垂水の釣り情報

釣果情報

釣果投稿

釣果の投稿はコチラから

釣果検索

条件別に過去釣果を検索

投稿者一覧

投稿者様の釣果集計です

[全件](3996件) を登録順表示

(写真をクリックすると拡大して見ることが出来ます)


[ <<BACK ][ TOP ][ NEXT>> ]

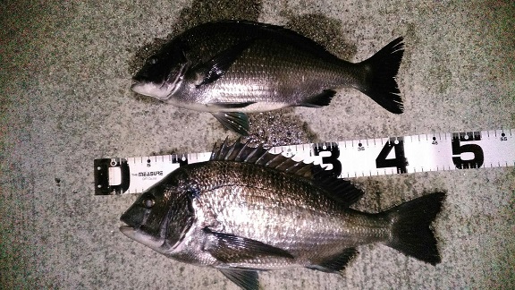
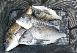
アジュール舞子   2025/07/12 (16時〜1時)
大サバ 41p 1匹 アジの切身 ウキ釣り
アジ 21〜23p 2匹 アジの切身 ウキ釣り
小サバ 13p 4匹 アジの切身 ウキ釣り
小アジ 12p 3匹 アジの切身 ウキ釣り
久しぶりに40オーバーが釣れました! [Web] 釣人:ヒスイ
アジュール舞子   2025/07/13 (7時〜13時)
グレ 23〜25p 4匹 オキアミ フカセ釣り
グレ 28〜32p 3匹 オキアミ フカセ釣り
   p  匹    
   p  匹    
ワンド内は大阪方面からの潮か、緑色で水潮の様な感じでした。その為かグレの姿が午前中見えず。潮が変わった午後から少し見えました。小サバとアジはいますが、フカセの邪魔にはなりませんでした。 釣人:せきやん
アジュール舞子   2025/06/21 (7時〜12時)
グレ 29〜30.5p 3匹 オキアミ フカセ釣り
グレ 20〜26p 11匹 オキアミ フカセ釣り
   p  匹    
   p  匹    
今日は潮によりますが、オセンが30mぐらいまで出て行きます。1時間強グレが出ました。遠投でど真ん中でもオキアミは食わず。潮の変わり目にぽつぽつ釣れましたが、超遠投でも20〜22cmが食いました。 釣人:せきやん
アジュール舞子   2025/06/15 (7時〜13時)
グレ 23〜28p 3匹 オキアミ フカセ釣り
   p  匹    
   p  匹    
   p  匹    
水潮と途中濁り潮が入って来た影響なのかグレの活性が低かったです ボラとオセンは元気でした。 釣人:h.カズ
アジュール舞子   2025/06/15 (7時〜12時)
チヌ 42p 1匹 オキアミ フカセ釣り
グレ 22と30p 2匹 オキアミ フカセ釣り
   p  匹    
   p  匹    
今日は大会の残りマキエを持って行きました。続いた雨のせいで水潮でオセンとボラは元気ですがグレは留守でした。底でちぬがつれました。11時前から少しグレが釣れました。 釣人:せきやん
アジュール舞子   2025/06/13 (6時〜12時)
グレ 22〜29p 8匹 オキアミ フカセ釣り
   p  匹    
   p  匹    
   p  匹    
グレはたまにしか浮きませんでした。小サバ、モジャコが多いです。 釣人:管理人
アジュール舞子   2025/05/31 (7時〜14時)
グレ 24〜30p 7匹 オキアミ フカセ釣り
   p  匹    
   p  匹    
   p  匹    
ボラの数が多すぎて、思うように挿し餌が入って行かなかったです。釣れたのは半ヒロから1.5ヒロくらいでした。人が打った撒き餌で良型連発!? 釣人:h.カズ
アジュール舞子   2025/05/31 (11時〜13時)
グレ 28〜29.5p 3匹 もらったオキアミ ウキ釣り
   p  匹    
   p  匹    
   p  匹    
竿とウキを持って行きました。隣の人のオキアミをもらいました。隣の人のマキエの横に仕掛けを入れさせてもらいました。ありがとうございました🐟 釣人:せきやん  
アジュール舞子   2025/05/28 (7時〜12時)
グレ 20〜29p 13匹 オキアミ フカセ釣り
   p  匹    
   p  匹    
   p  匹    
朝からよく浮いて、オセンもあまり沖に出なかったので釣りやすかったのですが沖アミの反応は良くなかったです 釣人:さわいち
アジュール舞子   2025/05/19 (7時〜15時)
グレ 23〜30p 8匹 オキアミ フカセ釣り
   p  匹    
   p  匹    
   p  匹    
オセンが少し沖まで出るようになって 小型グレも活性が上がってきました。釣れたのは1〜2ヒロでした。 釣人:h.カズ
アジュール舞子   2025/05/19 (7時〜15時)
グレ 20〜30p 18匹 オキアミ フカセ釣り
   p  匹    
   p  匹    
   p  匹    
全て浅ダナで喰いました。釣れる時と釣れない時のムラが大きいです。 釣人:管理人
西-3番  2025/04/30 (6時〜12時)
グレ 25〜28p 6匹 アオサ フカセ釣り
   p  匹    
   p  匹    
   p  匹    
今シーズン最初の釣果です。オキアミでは反応無く、アオサ、深ダナで釣れました。オセンはかなり居ますが動きが悪いです。 釣人:管理人
アジュール舞子   2024/10/26 (8時〜15時)
グレ 24〜31p 6匹 オキアミ フカセ釣り
   p  匹    
   p  匹    
   p  匹    
相変わらず小型のグレは元気です 久しぶりに30センチアップが釣れて良かったです。 釣人:h.カズ
中央-11番  2024/10/15 (16時〜21時)
アオリイカ 13〜22p 11匹 小アジ 泳がせ釣り
小アジ 10p 多数匹 アミエビ サビキ釣り
   p  匹    
   p  匹    
後半にアタリが連発しました。同行者も同型を2ケタ釣果です。 釣人:管理人
中央-8番  2024/10/15 (17時〜18時)
アオリイカ 14.15.22p 3匹 エギ ルアー・エギング
   p  匹    
   p  匹    
   p  匹    
昨日に続き連続で晩御飯前の1時間で3ハイ、大型1つを取り切れずタモは必要です。 釣人:せきやん
中央-8番  2024/10/14 (17時〜18時)
アオリイカ 13.15.16p 3匹 エギ ルアー・エギング
   p  匹    
   p  匹    
   p  匹    
晩御飯前にPM17時30分から18時30分の1時間での釣果です。 釣人:せきやん
西-3番  2024/10/01 (17時〜21時)
アオリイカ 13〜18p 5匹 小アジ 泳がせ釣り
タチウオ 70p 1匹 小アジ 泳がせ釣り
   p  匹    
   p  匹    
潮が飛んで釣り辛かったですが、アタリは頻繁にありました。20時過ぎからタチウオが回り出し、アオリのアタリは減りました。 釣人:管理人  
アジュール舞子   2024/08/28 (7時〜12時)
グレ 22〜29p 13匹 オキアミ フカセ釣り
   p  匹    
   p  匹    
   p  匹    
久しぶりのグレ釣り、セトレ前にて、潮が速いですがあまりスレてなくて楽しめました。 釣人:さわいち
西-3番  2024/07/08 (18時〜23時)
ツバス 33p 1匹 小サバ 泳がせ釣り
サバ 33〜36p 3匹 サバ切り身 ウキ釣り
   p  匹    
   p  匹    
夕方にサビキで小サバを10尾ほど釣って、18時30分にノマセ開始。2投目でツバスをゲット。日没後、小サバの切り身でサバ3本追加。時合いは22時前後。 釣人:管理人
アジュール舞子   2024/06/15 (6時〜11時)
グレ 22〜31p 11匹 オキアミ フカセ釣り
   p  匹    
   p  匹    
   p  匹    
グレは浮いたり浮かなかったりでしたが、何度か反転するような当たりがありました。少しオキアミの反応が良くなったのでしょうか? 釣人:h.カズ
アジュール舞子   2024/06/08 (6時〜11時)
グレ 23〜30p 5匹 オキアミ フカセ釣り
   p  匹    
   p  匹    
   p  匹    
グレはたくさん浮いてきますが、オキアミを喰ってくれまんでした! 釣人:h.カズ
アジュール舞子   2024/06/06 (6時〜12時)
グレ 20〜29p 8匹 オキアミ フカセ釣り
   p  匹    
   p  匹    
   p  匹    
相変わらず喰いは悪いです。 釣人:管理人
アジュール舞子   2024/05/30 (7時〜13時)
グレ 22〜29p 8匹 オキアミ フカセ釣り
   p  匹    
   p  匹    
   p  匹    
相変わらずの激シブです。後半は西流時に大阪湾からの泥水が入り、ボラ以外の魚が消えました。 釣人:管理人
アジュール舞子   2024/05/25 (6時〜11時)
グレ 25〜30p 2匹 オキアミ フカセ釣り
   p  匹    
   p  匹    
   p  匹    
日がさす頃になってグレは浮いてきました。あたりが小さく釣れたのは4ヒロくらいでした。 釣人:h.カズ
アジュール舞子   2024/05/21 (7時〜13時)
グレ 22〜29p 9匹 オキアミ フカセ釣り
   p  匹    
   p  匹    
   p  匹    
グレは良く浮いてましたが、サシエへの反応はすこぶる悪かったです。 釣人:管理人
アジュール舞子   2024/05/18 (6時〜11時)
グレ 21〜29p 8匹 オキアミ フカセ釣り
   p  匹    
   p  匹    
   p  匹    
オセンが出て来ると間もなくグレも浮いてきました。撒き餌の反応は良かったです。まだ、あたりが小さく上手く合わせることが出来ませんでしたが、久しぶりにグレの引きを楽しめて良かったです。 釣人:h.カズ
西-5番  2024/04/26 (9時〜14時)
グレ 21〜23p 3匹 アオサ フカセ釣り
   p  匹    
   p  匹    
   p  匹    
今シーズン最初のグレ狙い。アタリは殆ど無く、型も小さいです。オセンは居ますが、動きは悪いです。オキアミでは全く反応ありません。 釣人:管理人
西-3番  2024/01/02 (6時〜10時)
アジ 8〜16p 57匹 アミエビ サビキ釣り
   p  匹    
   p  匹    
   p  匹    
日が上がると、とたんに釣れなくなりました。 釣人:えつこ  
アジュール舞子   2023/12/29 (8時〜14時)
グレ 22p 1匹 オキアミ フカセ釣り
   p  匹    
   p  匹    
   p  匹    
釣果は全くでしたが、楽しく1日を過ごせました。ありがとうございました。 釣人:h.カズ
アジュール舞子   2023/12/29 (9時〜14時)
チヌ 39p 1匹 オキアミ フカセ釣り
   p  匹    
   p  匹    
   p  匹    
仲間3人でグレを狙いましたが、グレは3人で1枚でした。今年最後はチヌでした。色が赤くはありませんが、明日塩焼きにして、少し早い正月気分を味わいたいと思います。 釣人:せきやん
アジュール舞子   2023/12/20 (6時〜12時)
アイナメ 42.5p 1匹 シラサ エビ撒き釣り
コブダイ 35~45p 3匹 シラサ エビ撒き釣り
チヌ 46p 1匹 シラサ エビ撒き釣り
   p  匹    
朝イチ青物止められずハリス切れ、西風が強くなったので際で釣れました 釣人:さわいち
アジュール舞子   2023/12/16 (7時〜11時)
グレ 22〜30p 9匹 オキアミ フカセ釣り
   p  匹    
   p  匹    
   p  匹    
全て持っていくあたりで活性高かったです。強風のため早めにあがりました。 釣人:トニー
アジュール舞子   2023/12/09 (7時〜15時)
グレ 23〜30p 13匹 オキアミ フカセ釣り
   p  匹    
   p  匹    
   p  匹    
天候も良く30センチが2尾、良型が多かったので1日楽しめました。 釣人:h.カズ
アジュール舞子   2023/12/09 (7時〜15時)
グレ 21〜30p 19f匹 オキアミ フカセ釣り
   p  匹    
   p  匹    
   p  匹    
グレストのHさん、色々長時間ご指導頂きありがとうございました。 釣人:せきやん
アジュール舞子   2023/12/08 (8時〜13時)
グレ 27p 2匹 オキアミ フカセ釣り
   p  匹    
   p  匹    
   p  匹    
今日は小春日和で楽しい釣りでした。グレの皮を巻いて煮つけけて食べました、とても美味しかったです。 釣人:秋グレ
アジュール舞子   2023/11/26 (7時〜12時)
グレ 20〜27p 10匹 オキアミ フカセ釣り
   p  匹    
   p  匹    
   p  匹    
序盤気配なしでしたが、日が上がりだしてから活性あがりました。棚1〜1.5ヒロ。 釣人:トニー
アジュール舞子   2023/11/26 (7時〜12時)
グレ 23〜27.5p 15匹 オキアミ フカセ釣り
   p  匹    
   p  匹    
   p  匹    
活性が高かったのかよくグレは浮いてきました。手前より少し遠投するとそこそこの型が釣れました。 釣人:h.カズ  
アジュール舞子   2023/11/25 (7時〜11時)
グレ 20〜30p 38匹 オキアミ フカセ釣り
   p  匹    
   p  匹    
   p  匹    
1か月ぶりの釣り。ほとんどのサイズが20〜25cmでした。さゆり、アジは今日はいませんでした。 釣人:せきやん
アジュール舞子   2023/11/23 (7時〜14時)
グレ 23〜30.5p 6匹 オキアミ フカセ釣り
チヌ 43p 1匹 オキアミ フカセ釣り
   p  匹    
   p  匹    
潮が動くとグレが浮いてきて釣れましたが、小型が多かったです。 釣人:h.カズ
アジュール舞子   2023/11/22 (7時〜13時)
グレ 20〜27p 12匹 オキアミ フカセ釣り
   p  匹    
   p  匹    
   p  匹    
久しぶりに楽しめた釣り日和でしたがミスで大きいヤツ?を4匹バラシ、残念です。 釣人:YH
アジュール舞子   2023/11/22 (6時〜12時)
マゴチ 45~51p 3匹 シラサ エビ撒き釣り
マダイ 83p 1匹 シラサ エビ撒き釣り
イシダイ 30p 1匹    
チヌ 48p 1匹    
大きなマダイ、ストリンガーで活かしていたのですがフックがのびてオートリリースですので写真がありません。 釣人:さわいち
アジュール舞子   2023/11/19 (7時〜15時)
グレ 24〜32p 9匹 オキアミ フカセ釣り
   p  匹    
   p  匹    
   p  匹    
サヨリが回って来た影響もあって、ほとんどグレは浮いて来なく2〜4ヒロで釣れました。数は伸びなかったですが30センチUPが釣れたので良かったです。 釣人:h.カズ
アジュール舞子   2023/11/16 (8時〜13時)
ベラ 12〜18p 15匹 地ゴカイ 投げ釣り
ハゲ 11〜15p 3匹 地ゴカイ 投げ釣り
   p  匹    
   p  匹    
西流の反転した弱い流れで、ハゲの横引きベラのコツコツ当たりを楽しみました。 釣人:秋グレ
アジュール舞子   2023/11/15 (6時〜12時)
イシダイ 34p 1匹 シラサ エビ撒き釣り
   p  匹    
   p  匹    
   p  匹    
昼前に、釣れました、アジュールでイシダイ釣ったの初めてです。 釣人:さわいち
アジュール舞子   2023/11/11 (7時〜14時)
グレ 23〜29p 9匹 オキアミ フカセ釣り
   p  匹    
   p  匹    
   p  匹    
アジは殆ど居なくなっていましたが、小型のグレが元気良くなかなか良型が釣れませんでした。数、サイズ共にあと一歩でしたが、久しぶりに楽しめました。
釣人:h.カズ
西-5番  2023/11/08 (6時〜14時)
アオリイカ 20p 1匹 小アジ 泳がせ釣り
ツバス 40p 1匹 小アジ 泳がせ釣り
   p  匹    
   p  匹    
早朝以外はあたりも無かったです。
濁りが入ると良くないのかな?知らんけど...笑
天気良くてワイワイと楽しい1日でした。
釣人:ヤート
西-5番  2023/11/08 (6時〜14時)
チヌ 43〜47p 2匹 小アジ 泳がせ釣り
アオリイカ 13p 1匹 小アジ 泳がせ釣り
   p  匹    
   p  匹    
珍しくノマセでチヌが立て続けに釣れました。同行者はツバス、アオリを各1匹ずつの釣果です。青物、アオリ共にアタリは殆ど無いです。 釣人:管理人
西-5番  2023/10/16 (6時〜12時)
アオリイカ 15〜20p 2匹 生きアジ 泳がせ釣り
スズキ 81p 1匹 生きアジ 泳がせ釣り
   p  匹    
   p  匹    
ヤエンでイカ狙い。スズキはあたっても
アジの尾に針があるのですっぽ抜けるのですが
今回は奇跡か?笑
釣人:ヤート
西-3番  2023/10/15 (5時〜10時)
ツバス 43p 2匹 小アジ 泳がせ釣り
アオリイカ 15〜17p 2匹 小アジ 泳がせ釣り
   p  匹    
   p  匹    
ツバス、アオリ共に3回ずつアタリがありました。エサの小アジは終日湧いています。 釣人:管理人
西-3番  2023/10/08 (5時〜9時)
アオリイカ 19p 1匹 アジ 泳がせ釣り
   p  匹    
   p  匹    
   p  匹    
他に、アオリのアタリ2回、青物のアタリ1回ありましたが針掛がからず。 釣人:まさ  
西-3番  2023/10/08 (5時〜9時)
アジ 8〜12p 115匹 アミエビ サビキ釣り
   p  匹    
   p  匹    
   p  匹    
久しぶりの垂水での釣り。
たくさん釣れて楽しかったです。
釣人:えつこ  
アジュール舞子   2023/10/08 (8時〜12時)
グレ 20〜27p 15匹 オキアミ フカセ釣り
   p  匹    
   p  匹    
   p  匹    
久々の釣り、手前はオセンで真ん中はコッパが海面までその先はアジとウリボウ。遠投も深タナもアジ、ウリボウでましなサイズは全く見えませんでした。18〜20cmの木っ端が20以上釣れました。 釣人:せきやん
西-3番  2023/10/04 (5時〜10時)
ツバス 42p 1匹 小アジ 泳がせ釣り
   p  匹    
   p  匹    
   p  匹    
久々の釣りです。青物は早朝に3回アタリがあり、獲れたのはこの1本のみ。どれも型は小さいです。アオリのアタリも数回ありましたが、全て素針でした。 釣人:管理人
西-3番  2023/08/30 (5時〜9時)
ハマチ 57p 1匹 小アジ 泳がせ釣り
   p  匹    
   p  匹    
   p  匹    
久々の釣りです。朝一開始直後にヒットしました。その後9時半頃まで粘りましたが、アタリは小型のツバスのみです。合間の暇潰しでのエギングでは釣果はあったものの全てリリースサイズでした。 釣人:管理人
アジュール舞子   2023/07/08 (6時〜12時)
グレ 24〜30p 6匹 オキアミ フカセ釣り
   p  匹    
   p  匹    
   p  匹    
南寄りの風が強く釣りづらかったですが、何とか釣れました。 釣人:h.カズ
アジュール舞子   2023/07/02 (6時〜11時)
グレ 23〜33p 10匹 オキアミ フカセ釣り
   p  匹    
   p  匹    
   p  匹    
昨日の雨のせいか1ヒロあたりにグレが見えていました。今日は水面まで上がって来ませんでした。コサバ、アジは気になりません。 釣人:せきやん
アジュール舞子   2023/07/01 (7時〜12時)
グレ 23〜29p 10匹 オキアミ フカセ釣り
   p  匹    
   p  匹    
   p  匹    
朝一は活性が良く1ヒロまでで釣れましたが、後半は喰いが渋くなりました。
釣人:h.カズ
アジュール舞子   2023/06/24 (6時〜12時)
グレ 23〜30p 14匹 オキアミ フカセ釣り
   p  匹    
   p  匹    
   p  匹    
グレはあまり浮いて来なかったですが遠投で釣れました。 釣人:h.カズ
アジュール舞子   2023/06/20 (5時〜12時)
グレ 24〜31.5p 11匹 オキアミ フカセ釣り
   p  匹    
   p  匹    
   p  匹    
潮が緩んだ時だけ単発で釣れました。 釣人:管理人
アジュール舞子   2023/06/17 (6時〜13時)
グレ 22〜29p 7匹 オキアミ フカセ釣り
   p  匹    
   p  匹    
   p  匹    
手前でグレの姿が見えていましたが、2〜4ヒロで釣れました。小型が多かったです。 釣人:h.カズ
アジュール舞子   2023/06/17 (7時〜13時)
グレ 20〜32.5p 10匹 オキアミ フカセ釣り
   p  匹    
   p  匹    
   p  匹    
西流から東流になる前の10時頃までに、50cmのタナで良型2枚を含め7枚やる気のあるグレが釣れました。 釣人:せきやん
アジュール舞子   2023/06/14 (8時〜13時)
グレ 23~31p 3匹 オキアミ フカセ釣り
   p  匹    
   p  匹    
   p  匹    
1匹は映ってません、お腹の中はマキエすら入ってないので、食わないはずです、その代わり脂がたっぷりでポテポテです。美味しかったです。 釣人:さわいち
アジュール舞子   2023/06/10 (7時〜15時)
グレ 23〜28p 10匹 オキアミ フカセ釣り
   p  匹    
   p  匹    
   p  匹    
手前で小型のグレはよく浮いて来ましたが、サシエにはあまり反応しなく良型は2〜3ヒロで釣れました。 釣人:h.カズ
アジュール舞子   2023/06/07 (6時〜11時)
グレ 22~30p 11匹 オキアミ フカセ釣り
   p  匹    
   p  匹    
   p  匹    
前回は、浮きグレ狙いでダメだったので、2~3ヒロ狙いでやる気のあるグレが居ました。 釣人:さわいち
アジュール舞子   2023/06/04 (7時〜14時)
グレ 23〜29p 2匹 オキアミ フカセ釣り
   p  匹    
   p  匹    
   p  匹    
グレは時々浮きましたが、殆どサシエには反応しません。オセンは居ませんが、豆アジ、小サバが増えて来ました。 釣人:管理人
アジュール舞子   2023/06/03 (7時〜13時)
グレ 23〜31p 4匹 オキアミ フカセ釣り
   p  匹    
   p  匹    
   p  匹    
今日はあまりグレは浮いて来なかったですが、浮いて来たタイミングで2ヒロ前後で釣れました。31センチが釣れたので良かったです。 釣人:h.カズ
アジュール舞子   2023/05/27 (6時〜13時)
グレ 24〜29p 5匹 オキアミ フカセ釣り
   p  匹    
   p  匹    
   p  匹    
撒き餌にはよく反応して浮いて来ましたが喰いが渋かったです。 釣人:h.カズ
中央-11番  2023/05/08 (8時〜16時)
グレ 20〜24p 12匹 オキアミ フカセ釣り
   p  匹    
   p  匹    
   p  匹    
久々の垂水です。型は小さいですがグレのアタリが見れてよかったです。タナは3〜4ヒロ、午後20分ほど浮きましたが、喰わせきれませんでした。 釣人:東大阪ファミリー
アジュール舞子   2023/04/27 (7時〜14時)
グレ 26〜30p 2匹 オキアミ フカセ釣り
   p  匹    
   p  匹    
   p  匹    
午前中はエサ取りも殆ど居らず生命反応ゼロ。午後から流れが穏やかになるとグレがちらほら見える様になり、納竿間際に何とか2尾のみゲット。 釣人:管理人
西-5番  2023/04/20 (6時〜13時)
グレ 23〜30p 2匹 オキアミ・アオサ フカセ釣り
チヌ 50p 1匹 オキアミ フカセ釣り
   p  匹    
   p  匹    
今シーズン最初のグレ狙い。タナは3.5〜4ヒロとほぼ底近くです。グレは全く浮いてません。オセンも少ないです。 釣人:管理人
アジュール舞子   2023/01/06 (9時〜14時)
シマフグ 42p 1匹 オキアミ フカセ釣り
   p  匹    
   p  匹    
   p  匹    
初釣りでグレボウズです。珍しい魚が釣れたので投稿しました。 釣人:管理人
アジュール舞子   2022/12/27 (9時〜15時)
グレ 28〜34p 8匹 オキアミ フカセ釣り
コッパ 22〜24p 7匹 オキアミ フカセ釣り
   p  匹    
   p  匹    
コッパは時間によっては浮いてましたが良型は3,5〜4ヒロでくいました。 釣人:k,t
アジュール舞子   2022/12/21 (8時〜15時)
グレ 21〜31p 7匹 オキアミ フカセ釣り
   p  匹    
   p  匹    
   p  匹    
グレはたまに浮いて来ますが、その殆どが木っ端です。水温低下で喰いはかなり悪いです。30pUPは2枚のみ。 釣人:管理人
アジュール舞子   2022/12/21 (8時〜15時)
ぐれ 20〜27p 2匹 オキアミ フカセ釣り
   p  匹    
   p  匹    
   p  匹    
全くグレはやる気なし。あーシンド 釣人:kもりた  
アジュール舞子   2022/12/17 (7時〜12時)
グレ 23〜28p 8匹 オキアミ フカセ釣り
   p  匹    
   p  匹    
   p  匹    
グレはよく浮いては来てましたが、旨く喰わすことが出来ませんでした。 釣人:h.カズ  
アジュール舞子   2022/12/11 (8時〜12時)
グレ 23〜30p 16匹 オキアミ フカセ釣り
   p  匹    
   p  匹    
   p  匹    
朝から良い感じでグレが浮いて来て、アイゴも気にならない程度でした。久しぶりに二桁釣果で楽しめました。 釣人:h.カズ
アジュール舞子   2022/12/09 (7時〜15時)
ぐれ 24〜30p 30匹 オキアミS フカセ釣り
   p  匹    
   p  匹    
   p  匹    
午後は左急流で殆ど釣りにならず。もっと早く帰ればよかった? 釣人:kもりた
アジュール舞子   2022/12/09 (10時〜14時)
グレ 22〜32p 17匹 オキアミ フカセ釣り
   p  匹    
   p  匹    
   p  匹    
ひさしぶりのグレ釣りです。当て潮で苦戦しましたが、何とか釣れました。30pUPは2尾のみです。 釣人:管理人
アジュール舞子   2022/12/04 (7時〜14時)
グレ 30〜32 p 8匹 オキアミ フカセ釣り
   p  匹    
   p  匹    
   p  匹    
午前中までは30枚ほど釣っても型がのびず22〜27cmどまりでしたが午後から30オーバー連発。バリコも減り釣りやすいです。 釣人:k,t
アジュール舞子   2022/11/27 (19時〜23時)
サバ 32〜36p 3匹 スズメダイの切り身・アジの切り身 ウキ釣り
サバ 25〜26p 2匹 スズメダイの切り身・アジの切り身 ウキ釣り
   p  匹    
   p  匹    
アジュールにも大サバ居ました! [Web] 釣人:ヒスイ
西-3番  2022/11/27 (5時〜9時)
小アジ 8〜16p 8匹 アミエビ サビキ釣り
   p  匹    
   p  匹    
   p  匹    
日が昇ると釣れなくなりました。 釣人:えつこ  
西-3番  2022/11/27 (5時〜9時)
ヒラメ 40p 1匹 アジ 泳がせ釣り
   p  匹    
   p  匹    
   p  匹    
イカのあたりも数回ありましたが、針がかりせず残念。 釣人:まさ
西-3番  2022/11/22 (19時〜22時)
大サバ 36〜46p 3匹 オキアミ ウキ釣り
中サバ 25p 4匹 オキアミ ウキ釣り
アジ 25p 1匹 オキアミ ウキ釣り
ムツ 24p 1匹 オキアミ ウキ釣り
暇潰し、ダメ元で釣行。フグの猛攻で苦戦しましたが、運良くサバの回遊があり連発しました。 釣人:管理人
アジュール舞子   2022/11/19 (7時〜15時)
グレ 24〜29p 4匹 オキアミ フカセ釣り
   p  匹    
   p  匹    
   p  匹    
朝一からアイゴだらけでしたが、グレが浮いて来たタイミングで釣れました。午後からグレの姿が消えノーフィッシュでした、でもTFCの皆さんと楽しく釣りが出来て良かったです。 釣人:h.カズ
平磯海づり公園   2022/11/17 (8時〜14時)
カワハギ 10〜16p 11匹 石ゴカイ 投げ釣り
キュウセンベラ 9〜15p 14匹 石ゴカイ 投げ釣り
チャリコ 16までp 3匹 石ゴカイ 投げ釣り
   p  匹    
小物狙いでしたが、本当に小物でした。但しサイズ16cmのハゲで無料招待券ゲット! 釣人:kもりた
西-3番  2022/11/17 (4時〜12時)
アオリイカ 21〜27p 2匹 小アジ 泳がせ釣り
ハネ 62p 1匹 小アジ 泳がせ釣り
   p  匹    
   p  匹    
アオリは夜明け前に連発しました。青物は1回掛けましたが、ラインブレイクで獲れず。 釣人:管理人
西-3番  2022/11/11 (5時〜12時)
ハマチ 66p 1匹 小アジ 泳がせ釣り
アオリイカ 23p 1匹 小アジ 泳がせ釣り
   p  匹    
   p  匹    
青物のアタリは1回のみ。後半、サゴシらしき歯のある魚に数回ハリスを切られました。 釣人:管理人
アジュール舞子   2022/11/05 (7時〜12時)
グレ 27〜31p 4匹 オキアミ フカセ釣り
   p  匹    
   p  匹    
   p  匹    
朝一に遠投で良型 その後はコッパ多数、バリコ多数でした…
釣人:k,t
西-3番  2022/10/30 (5時〜12時)
アオリイカ 20p 1匹 アジ 泳がせ釣り
   p  匹    
   p  匹    
   p  匹    
これまで何度も頭をかじられてましたが、やっと釣れました。 釣人:まさ  
西-3番  2022/10/30 (5時〜12時)
小アジ 8〜16p 110匹 アミエビ サビキ釣り
グレ 27p 1匹 アミエビ サビキ釣り
カタクチイワシ 10p 10匹 アミエビ サビキ釣り
   p  匹    
バリコがたくさん釣れて針外しが怖ったです。 釣人:えつこ  
西-3番  2022/10/27 (5時〜10時)
シオ 40〜48p 2匹 小アジ 泳がせ釣り
アオリイカ 15〜20p 3匹 小アジ 泳がせ釣り
   p  匹    
   p  匹    
朝一の時合いに連チャンしました。バラシも数回ありました。 釣人:管理人
アジュール舞子   2022/10/22 (7時〜14時)
グレ 21〜28p 10匹 オキアミ フカセ釣り
   p  匹    
   p  匹    
   p  匹    
朝一は活性が低く釣れませんでしたが、お昼前にかけてそこそこ釣れました。アイゴが湧いてからは全くでした。 釣人:h.カズ
西-4番  2022/10/20 (9時〜14時)
ベラ 12〜19p 21匹 地ゴカイ 投げ釣り
ハゲ 11〜15p 10匹 地ゴカイ 投げ釣り
   p  匹    
   p  匹    
秋晴れで投げて壮快、PEラインで誘って着信、南蛮漬けで味わった。 釣人:秋グレ
西-3番  2022/10/18 (5時〜11時)
ツバス 45〜46p 2匹 小アジ 泳がせ釣り
カタクチ 8〜10p 多数匹 アミエビ サビキ釣り
   p  匹    
   p  匹    
この日も朝一に時合いがあり、友人と共に連チャンで釣れました。カタクチは殆どタモで掬いました。 釣人:管理人
アジュール舞子   2022/10/15 (7時〜14時)
グレ 20〜23p 3匹 オキアミ フカセ釣り
   p  匹    
   p  匹    
   p  匹    
浮いてくるグレは小型で釣れたのも20センチ前後でした 途中小型のアイゴが湧いてしまい、なす術無しって感じでした、 釣人:h.カズ
アジュール舞子   2022/10/15 (9時〜13時)
グレ 20〜24p 11匹 オキアミ フカセ釣り
   p  匹    
   p  匹    
   p  匹    
朝一番、西5番でしたのですがアジがすくえるくらいいて釣りにならず。アジュールに場所変え、アジはいませんが、小型アイゴだらけです。 釣人:せきやん
西-3番  2022/09/27 (5時〜11時)
ハマチ 65p 1匹 小アジ 泳がせ釣り
アオリイカ 16p 1匹 小アジ 泳がせ釣り
   p  匹    
   p  匹    
6時前に最初のアタリがありましたが獲れず。その後、6時半に再びヒットし、時間を掛けて獲りました。 釣人:管理人
西-3番  2022/09/16 (6時〜9時)
ツバス 41〜42p 4匹 小アジ 泳がせ釣り
   p  匹    
   p  匹    
   p  匹    
友人も4本獲り、2人で計8本釣れました。朝一の時合いで一時入れ喰いでした。 釣人:管理人
西-3番  2022/09/11 (5時〜9時)
小アジ 8〜13p 80匹 アミエビ サビキ釣り
   p  匹    
   p  匹    
   p  匹    
すくえるほどアジがいました。 釣人:えつこ  
西-3番  2022/09/03 (5時〜9時)
小アジ 8〜16p 117匹 アミエビ サビキ釣り
   p  匹    
   p  匹    
   p  匹    
水は濁っていましたが、問題なく釣れました。 釣人:えつこ  
西-3番  2022/08/20 (5時〜9時)
小アジ 8〜16p 82匹 アミエビ サビキ釣り
グレ 23p 1匹 アミエビ サビキ釣り
   p  匹    
   p  匹    
小サバが多く大変でした。 釣人:えつこ  
アジュール舞子   2022/08/19 (4時〜7時)
小アジ 10〜13p 80匹 アミエビ サビキ釣り
青アジ 9〜10p 20匹 アミエビ サビキ釣り
サンバソウ 5〜7p 7匹 アミエビ サビキ釣り
チャリコ 5〜6p 8匹 アミエビ サビキ釣り
大蔵海岸同様に「青」が混じりました。
釣人:kもりた  
西-3番  2022/08/14 (5時〜9時)
シオ 23〜33p 3匹 アジ 泳がせ釣り
   p  匹    
   p  匹    
   p  匹    
サイズは小ぶりですが、3匹釣れたので楽しかったです。 釣人:まさ  
西-3番  2022/08/14 (5時〜9時)
小アジ 8〜16p 53匹 アミエビ サビキ釣り
   p  匹    
   p  匹    
   p  匹    
小サバに仕掛けをグチャグチャにされるので、予備の仕掛けの準備が必要。 釣人:えつこ  
アジュール舞子   2022/08/12 (4時〜7時)
アジ 10〜13p 179匹 アミエビ サビキ釣り
   p  匹    
   p  匹    
   p  匹    
小アジは多いけど、人も多かったです。 釣人:kもりた  
西-3番  2022/08/07 (5時〜9時)
小アジ 8〜14p 131匹 アミエビ サビキ釣り
ツバス 23p 1匹 アミエビ サビキ釣り
カマス 24p 1匹 アミエビ サビキ釣り
   p  匹    
サビキなのに色々釣れて楽しかったです。 釣人:えつこ  
西-3番  2022/07/31 (5時〜9時)
小アジ 8〜12p 122匹 アミエビ サビキ釣り
   p  匹    
   p  匹    
   p  匹    
100匹オーバー!!大量の南蛮漬作ります。 釣人:えつこ  
東-9番  2022/07/26 (6時〜14時)
チヌ 25〜30p 2匹 オキアミ 紀州釣り
   p  匹    
   p  匹    
   p  匹    
来るのは大ボラばかりで疲れました。 釣人:kもりた
西-3番  2022/07/24 (5時〜9時)
豆アジ 6〜10p 93匹 アミエビ サビキ釣り
   p  匹    
   p  匹    
   p  匹    
残念です、100匹届かず 釣人:えつこ  
西-3番  2022/07/17 (5時〜10時)
ツバス 32p 1匹 アジ 泳がせ釣り
   p  匹    
   p  匹    
   p  匹    
朝1、強烈なあたりがありましたが、針が折れてばらしちゃいました 釣人:まさ  
西-3番  2022/07/17 (5時〜10時)
豆アジ 6〜10p 105匹 アミエビ サビキ釣り
アジ 23p 1匹 アミエビ サビキ釣り
   p  匹    
   p  匹    
なぜか1匹だけ、23センチのアジが釣れました 釣人:えつこ  
西-3番  2022/07/10 (5時〜10時)
豆アジ 6〜10p 73匹 アミエビ サビキ釣り
ツバス 30.5p 1匹 アミエビ サビキ釣り
   p  匹    
   p  匹    
まさかのサビキでツバスが釣れました。 釣人:えつこ  
西-5番  2022/07/10 (6時〜10時)
シオ 26p 1匹 豆アジ 泳がせ釣り
モジャコ 25p 1匹 豆アジ 泳がせ釣り
豆アジ 6〜10p 約100匹 アミエビ サビキ釣り
   p  匹    
豆アジは鈴なりで釣れます。モジャコのアタリは数回ありましたが、サイズが小さすぎて豆アジを呑んでくれません。 釣人:管理人
アジュール舞子   2022/07/06 (6時〜13時)
グレ 22〜31p 13匹 オキアミ フカセ釣り
   p  匹    
   p  匹    
   p  匹    
早朝はグレの活性が高く連チャンしましたが、9時頃からサヨリの群れが入り、数を伸ばせませんでした。 釣人:管理人
アジュール舞子   2022/07/01 (9時〜11時)
サバ 35p 3匹 キビナゴ ウキ釣り
   p  匹    
   p  匹    
   p  匹    
グレが釣れないので大鯖狙いました。地合いは21-22時頃でした。 釣人:トニー
アジュール舞子   2022/06/29 (5時〜12時)
ヒラスズキ 45p 1匹 シラサ エビ撒き釣り
ハネ 43~45p 2匹 シラサ エビ撒き釣り
ぐれ 28~30p 4匹    
シオ 30p 2匹 シラサ エビ撒き釣り
朝、風が強くて
悩んでいたのですが、やってよかったです。
釣人:さわいち
アジュール舞子   2022/06/30 (5時〜11時)
グレ 23〜31.5p 19匹 オキアミ フカセ釣り
   p  匹    
   p  匹    
   p  匹    
小サバは居ませんでしたが、鉛筆サヨリが湧いていました。オセンもかなり沖まで出ました。 釣人:管理人
アジュール舞子   2022/06/25 (6時〜12時)
グレ 24〜27p 2匹 オキアミ フカセ釣り
   p  匹    
   p  匹    
   p  匹    
今日は手前でグレは浮いて来てましたが喰いが渋かったです。
釣人:h.カズ
アジュール舞子   2022/06/22 (6時〜2時)
グレ 24〜28p 5匹 オキアミ フカセ釣り
真鯛 48p 1匹 オキアミ フカセ釣り
   p  匹    
   p  匹    
浮いているグレ釣りは難しいです。昼過ぎにウキ沈め釣りを始めた直後、運よくタイが当たりました<br>。 釣人:YH
アジュール舞子   2022/06/19 (7時〜13時)
グレ 26〜30p 5匹 ネリエ フカセ釣り
   p  匹    
   p  匹    
   p  匹    
オキアミで色々試したのですが釣れず、ネリエで少し釣れました。ワンド内の手前ではお昼でも超小豆アジが釣れていました。1号とかのサビキがいいと思います。 釣人:せきやん
アジュール舞子   2022/06/18 (6時〜13時)
グレ 22〜29p 8匹 オキアミ フカセ釣り
   p  匹    
   p  匹    
   p  匹    
朝一はグレの反応がいまいちでオセンが沖まで出でいましたが、下げ潮に変わってからポツポツ釣れました。 釣人:h.カズ
アジュール舞子   2022/06/15 (10時〜13時)
グレ 24~28p 6匹 オキアミ フカセ釣り
   p  匹    
   p  匹    
   p  匹    
管理人さん、有難うございました、又宜しくお願いします。 釣人:さわいち
アジュール舞子   2022/06/15 (10時〜16時)
グレ 21〜32p 10匹 オキアミ フカセ釣り
   p  匹    
   p  匹    
   p  匹    
30pUP4枚釣れました。グレは山ほど居ますが、相変わらず喰いは渋いです。後半、小サバ、豆アジが湧き、撃沈です。 釣人:管理人
アジュール舞子   2022/06/04 (6時〜13時)
グレ 23〜31p 8匹 オキアミ フカセ釣り
   p  匹    
   p  匹    
   p  匹    
早朝にまとまって釣れました。今日は休憩時間が長過ぎました。 釣人:管理人
アジュール舞子   2022/06/04 (6時〜13時)
グレ 24〜28,5p 8匹 オキアミ フカセ釣り
   p  匹    
   p  匹    
   p  匹    
今日も朝一からグレは浮いてきてポツポツ釣れましたが、小さいあたりをなかなか合わせることが出来ませんでした。 釣人:h.カズ

アジュール舞子   2022/05/29 (6時〜12時)
グレ 30.5〜31.5p 3匹 ネリエ フカセ釣り
グレ 25〜29p 9匹 ネリエ フカセ釣り
   p  匹    
   p  匹    
朝一からグレは見えましたが、オキアミでは釣れず。ネリエで思考錯誤で12枚釣れました。グレ針4号ではすっぽ抜け10回、ひねりがある針が良さそうです。 釣人:せきやん
アジュール舞子   2022/05/28 (6時〜13時)
グレ 23〜26p 6匹 オキアミ フカセ釣り
   p  匹    
   p  匹    
   p  匹    
グレは朝から浮いてきましたが、ヒットしたのは3ヒロ前後でした。お昼ごろから向かい風とあて潮で釣り辛かったです。 釣人:h.カズ
アジュール舞子   2022/05/25 (5時〜12時)
ハネ 60p 1匹 シラサ エビ撒き釣り
   p  匹    
   p  匹    
   p  匹    
なかなか反応の無い中帰る間際につれました、型のわりに元気でした。 釣人:さわいち
アジュール舞子   2022/05/21 (7時〜14時)
グレ 21〜29p 15匹 オキアミ フカセ釣り
   p  匹    
   p  匹    
   p  匹    
朝からグレの姿が見え、相変わらず喰いが渋いですが良い感じで釣れました。写真載せれなくてすみません。せきやんさん、ありがとうございました。 釣人:h.カズ
中央-11番  2022/05/18 (7時〜17時)
グレ 23〜30p 9匹 オキアミ フカセ釣り
   p  匹    
   p  匹    
   p  匹    
オセンの下からグレが出ず、沖までオセンだらけです。水道での釣果です。今年はグレの数が少ないような感じがします。 釣人:東大阪ファミリー
アジュール舞子   2022/05/18 (7時〜15時)
グレ 24〜31p 9匹 オキアミ フカセ釣り
   p  匹    
   p  匹    
   p  匹    
朝は潮が緩く、単発でグレがヒットしましたが、11時の東向き転流後は当て潮がきつくノーフィッシュ。 釣人:管理人
アジュール舞子   2022/05/15 (12時〜17時)
グレ 25〜30p 4匹 ネリエ フカセ釣り
   p  匹    
   p  匹    
   p  匹    
2日間昼からネリエ勉強釣り行、グレストのHさんがPM2時から釣りに来られ、ネリエで29〜31cm5枚、25cm2枚を釣り、色々教えて頂きました。ネリエは奥が深く難しいです。 釣人:せきやん
中央-11番  2022/05/09 (7時〜16時)
グレ 28〜23p 15匹 オキアミ フカセ釣り
   p  匹    
   p  匹    
   p  匹    
全面オセンでまき分けできず、釣り場を休めながら釣りました。タナはバラバラ、連荘アタリなし。 釣人:東大阪ファミリー
アジュール舞子   2022/05/10 (7時〜14時)
グレ 21〜29p 12匹 オキアミ フカセ釣り
   p  匹    
   p  匹    
   p  匹    
グレは9時頃から湧き出しましたが、相対的に型は小さいです。相変わらず喰いは渋く、なかなかヒットしません。 釣人:管理人
アジュール舞子   2022/05/07 (13時〜21時)
グレ 23〜25p 3匹 オキアミ フカセ釣り
メバル 15〜21p 9匹 オキアミ フカセ釣り
   p  匹    
   p  匹    
今季初グレが釣れました!夜はメバルが良く当たりました。 [Web] 釣人:ヒスイ
アジュール舞子   2022/05/06 (11時〜16時)
グレ 24〜32p 10匹 オキアミ フカセ釣り
   p  匹    
   p  匹    
   p  匹    
手前の見えているグレは殆どサシエに反応しませんが、少し沖を狙うとやる気のあるグレが喰ってくれました。 釣人:管理人
アジュール舞子   2022/05/04 (6時〜12時)
グレ 22~26p 10匹 オキアミ フカセ釣り
   p  匹    
   p  匹    
   p  匹    
沢山浮いているのですが中々口をつかわなかったのですが、10時位から釣れだしました。 釣人:さわいち
アジュール舞子   2022/05/05 (6時〜13時)
グレ 24〜29p 9匹 オキアミ フカセ釣り
   p  匹    
   p  匹    
   p  匹    
ゴールデンウィークで超満員でした。西5番と違いオセンは出すぎずグレは見えます。オキアミは食いが悪いです。グレストHさんに色々教わり2枚釣って帰りました。 釣人:せきやん
西-5番  2022/05/05 (6時〜13時)
グレ 20p 1匹 オキアミ フカセ釣り
   p  匹    
   p  匹    
   p  匹    
オセンをかわせませんでした。 釣人:えつこ  
西-5番  2022/05/05 (6時〜13時)
グレ 25p 1匹 オキアミ フカセ釣り
   p  匹    
   p  匹    
   p  匹    
オセンが沖まで出るので撃沈でした。 釣人:まさ  
アジュール舞子   2022/05/01 (7時〜13時)
グレ 23〜31p 14匹 オキアミ フカセ釣り
   p  匹    
   p  匹    
   p  匹    
グレはういたり沈んだりと1ヒロ〜2,5ヒロ
空振りスッポ抜け多く難しかったです
釣人:k,t
中央-11番  2022/04/28 (8時〜17時)
グレ 30p 2匹 オキアミ フカセ釣り
グレ 20〜26p 8匹 オキアミ フカセ釣り
   p  匹    
   p  匹    
中2日です。30cmきました。今日は浮きましたが喰わないです。1ヒロ〜3ヒロであたりました。 釣人:東大阪ファミリー
中央-11番  2022/04/25 (8時〜17時)
グレ 20〜28p 10匹 オキアミ フカセ釣り
   p  匹    
   p  匹    
   p  匹    
手前にはグレは見えず30〜40m以上の遠投で釣れました。タナ1ヒロから3ヒロとバラバラで、ほぼ2、3ヒロです。食いが悪いときはさしエサ触るだけでした。 釣人:東大阪ファミリー
アジュール舞子   2022/04/25 (7時〜14時)
グレ 23〜31p 6匹 オキアミ フカセ釣り
   p  匹    
   p  匹    
   p  匹    
今日は潮が複雑で、釣座を何度も変更しました。グレは見えてますが喰いません。難しかったです。 釣人:管理人
西-5番  2022/04/24 (15時〜18時)
グレ 20p 1匹 オキアミ フカセ釣り
グレ 25p 2匹 オキアミ フカセ釣り
   p  匹    
   p  匹    
2ヒロ前後
オセンの下、深いところにチラチラ見えてますが厳しかったです。
釣人:デイドリーム
アジュール舞子   2022/04/22 (7時〜13時)
グレ 26〜32p 14匹 オキアミ フカセ釣り
   p  匹    
   p  匹    
   p  匹    
今シーズン最初のグレ狙い。9時頃よりポロポロ釣れました。まだ活性低く、喰いは渋いです。 釣人:管理人
西-5番  2022/04/10 (14時〜18時)
グレ 24〜27p 3匹 アオサ フカセ釣り
   p  匹    
   p  匹    
   p  匹    
今シーズン初グレです。竿1〜2本先3ヒロ〜で釣れました。オセンはそこそこいます。 釣人:デイドリーム
東-6番  2022/01/31 (12時〜17時)
チヌ 38〜42p 2匹 コーン フカセ釣り
   p  匹    
   p  匹    
   p  匹    
13時半、16時にタナ3.5ヒロで釣れました。いずれも潮が緩んだ瞬間にアタリがありました。 釣人:管理人
東-6番  2022/01/19 (12時〜16時)
チヌ 48p 1匹 コーン フカセ釣り
   p  匹    
   p  匹    
   p  匹    
今年の初垂水です。15時半、テトラ際3.5ヒロで釣れました。まだまだオセン多く、オキアミでは無理です。 釣人:管理人
西-5番  2022/01/15 (7時〜14時)
チヌ 45p 1匹 オキアミ フカセ釣り
   p  匹    
   p  匹    
   p  匹    
2022年初チヌ。痩せた個体なので海に帰しました。小型てっちり?が多すぎです...(´;ω;`) 釣人:ヤート
アジュール舞子   2022/01/04 (7時〜13時)
グレ 24〜31p 18匹 オキアミ 石ゴカイ フカセ釣り
   p  匹    
   p  匹    
   p  匹    
時期が時期なので数は期待せず初釣り
潮よく水温が安定したのか食いよく数が釣れ30オーバー4枚
昼前から爆風でした
釣人:k,t
西-5番  2022/01/03 (6時〜12時)
グレ 23〜26p 4匹 オキアミ フカセ釣り
   p  匹    
   p  匹    
   p  匹    
新年早々とりあえず釣れたので満足です。 釣人:まさ  
西-5番  2022/01/02 (9時〜15時)
グレ 23〜29p 7匹 オキアミ フカセ釣り
   p  匹    
   p  匹    
   p  匹    
初釣り♪ 人が多く濃密でした(とほほ)棚2〜3ヒロ 魚より鵜が活発で家族連れに人気でした(笑) 釣人:ヤート
アジュール舞子   2022/01/02 (7時〜13時)
グレ 26〜30p 5匹 オキアミ フカセ釣り
   p  匹    
   p  匹    
   p  匹    
新年おめでとうございます。早速行ってしまいました。サヨリはもう居ないようです。オセンはやる気はありません。3ヒロできまってフグが釣れました。 釣人:せきやん
アジュール舞子   2021/12/29 (7時〜14時)
グレ 30〜33p 2匹 オキアミ、ゴカイ フカセ釣り
グレ 27p 1匹 オキアミ フカセ釣り
   p  匹    
   p  匹    
33pは垂水の自己記録で天候も良く最高の納竿日でした。エサ取りは非常に少ないです 釣人:YH
アジュール舞子   2021/12/22 (7時〜14時)
グレ 24〜30p 5匹 オキアミ石ゴカイ フカセ釣り
   p  匹    
   p  匹    
   p  匹    
  釣人:YH
アジュール舞子   2021/12/23 (7時〜15時)
グレ 22〜28p 6匹 オキアミ フカセ釣り
   p  匹    
   p  匹    
   p  匹    
今日はエサ取りを避け切れませんでした。トラブルも多く、リズムの悪い1日でした。 釣人:管理人
アジュール舞子   2021/12/23 (7時〜15時)
グレ 30〜33p 6匹 オキアミ フカセ釣り
グレ 24〜25p 2匹 オキアミ フカセ釣り
   p  匹    
   p  匹    
朝7時から開始で、am8時には鉛筆サヨリだらけになりました。小型のサヨリですがグレが嫌がり姿もまばらでした。オセンとの境目でのみたまに釣れました。 釣人:せきやん
アジュール舞子   2021/12/22 (8時〜14時)
グレ 23~30p 9匹 オキアミ フカセ釣り
   p  匹    
   p  匹    
   p  匹    
棚わ深く3ヒロ前後、途中から風が強くなりさっぱりでした。 釣人:さわいち
アジュール舞子   2021/12/21 (7時〜14時)
グレ 26〜30p 16匹 オキアミ フカセ釣り
   p  匹    
   p  匹    
   p  匹    
今日はほんの一瞬グレが見えました。タナ深し。 釣人:kもりた
アジュール舞子   2021/12/14 (7時〜14時)
グレ 23・26〜29.5p 12匹 オキアミ フカセ釣り
   p  匹    
   p  匹    
   p  匹    
潮が右に行きだしてからは喰いませんでした。 釣人:kもりた
中央-11番  2021/12/15 (8時〜16時)
グレ 20〜26p 7匹 オキアミ フカセ釣り
   p  匹    
   p  匹    
   p  匹    
全面小型サヨリで釣りにならず。16時に活性上がり釣れたのは20分ほど。厳しかったです。 釣人:東大阪ファミリー
西-5番  2021/12/11 (6時〜12時)
グレ 25p 1匹 オキアミ ウキ釣り
   p  匹    
   p  匹    
   p  匹    
なんとか、1匹釣れました。 釣人:えつこ  
西-5番  2021/12/11 (6時〜12時)
グレ 27〜29p 3匹 オキアミ フカセ釣り
   p  匹    
   p  匹    
   p  匹    
朝は全く反応がありませんでした。 釣人:まさ  
東-3番  2021/12/11 (14時〜17時)
カワハギ 14p 2匹 塩マムシ 胴付き・探り釣り
   p  匹    
   p  匹    
   p  匹    
フグ、スズメダイ、イソベラが多く、とても
釣りづらく寂しい釣果となりました。
釣人:根掛かり名人
アジュール舞子   2021/12/10 (7時〜14時)
グレ 22〜32p 14匹 オキアミ フカセ釣り
   p  匹    
   p  匹    
   p  匹    
サヨリだらけで苦戦しました。30pUPは5枚です。 釣人:管理人
西-5番  2021/12/06 (7時〜15時)
ツバス 42p 1匹 イワシ 泳がせ釣り
グレ 20〜27p 7匹 オキアミ フカセ釣り
   p  匹    
   p  匹    
イワシ、小アジ、グレ、ツバス、サヨリとお土産は盛りだくさんでしたが、疲れる1日でした。 釣人:管理人
西-5番  2021/12/06 (7時〜15時)
グレ 22〜29.5p 9匹 オキアミ フカセ釣り
チャリコ 26p 1匹 オキアミ フカセ釣り
カタクチイワシ 9p 197匹   サビキ釣り
   p  匹    
久々の西5番です。朝から南向きは全面小型サヨリが占領しサシエサ通らず、フグも浮いていてお手上げでした。サヨリさえいなければ釣れると思います。 釣人:せきやん
アジュール舞子   2021/11/29 (8時〜14時)
グレ 23〜33p 16匹 オキアミ フカセ釣り
   p  匹    
   p  匹    
   p  匹    
午後からは全く釣れませんでした。30pUPは2枚です。 釣人:管理人
アジュール舞子   2021/11/29 (7時〜14時)
グレ 21〜30p 8匹 オキアミ フカセ釣り
チヌ 45p 1匹 オキアミ フカセ釣り
アイゴ 38p 1匹 オキアミ フカセ釣り
   p  匹    
ワンド内の23cm前後のグレが少し先で見えるのですが、オキアミに興味が無く、タナ4ヒロ以上でチヌが2枚かかりました。 釣人:せきやん
アジュール舞子   2021/11/28 (17時〜21時)
サバ 34p 1匹 キビナゴ ウキ釣り
   p  匹    
   p  匹    
   p  匹    
明石大橋の下にてウキ釣り。
何とかボウズ逃れることができました。
釣人:根掛かり名人
アジュール舞子   2021/11/28 (7時〜13時)
グレ 28〜33p 10匹 オキアミ フカセ釣り
   p  匹    
   p  匹    
   p  匹    
ういてる時間もありましたが今日は食いが渋かったです。タナ2〜3 キープのみ写真小型〜27cmリリース 釣人:k,t
西-5番  2021/11/28 (6時〜12時)
グレ 20〜28p 3匹 オキアミ ウキ釣り
アイゴ 35p 1匹 オキアミ ウキ釣り
   p  匹    
   p  匹    
アイゴは一夜干しにして食べてみます。 釣人:えつこ  
西-5番  2021/11/28 (6時〜13時)
グレ 22〜30p 6匹 オキアミ フカセ釣り
   p  匹    
   p  匹    
   p  匹    
朝1番に型のいいグレが釣れました。 釣人:まさ  
東-3番  2021/11/27 (21時〜24時)
サバ 33〜38p 8匹 オキアミ ウキ釣り
サバ 24〜27p 9匹 オキアミ ウキ釣り
アジ 26p 1匹 オキアミ ウキ釣り
   p  匹    
サバは21時半〜23時までは入れ喰いでした。
小アジ、中サバ、フグが厄介でした。
釣人:管理人
東-3番  2021/11/27 (21時〜24時)
サバ 33〜42p 11匹 オキアミ ウキ釣り
小サバ 26〜29p 6匹 オキアミ ウキ釣り
大アジ 27p 1匹 オキアミ ウキ釣り
   p  匹    
ふと思いつき管理人さんを誘い急きょ行って来ました。寒かったです。喰いは渋く、ケミホタルで合せて釣れました。 釣人:せきやん
平磯海づり公園-11番  2021/11/27 (17時〜21時)
メバル 20〜27p 3匹 アオイソメ ウキ釣り
   p  匹    
   p  匹    
   p  匹    
年内最後のナイター営業日でした。
とても寒かったですが、何とか3匹釣ることが
出来ました(^^)/
釣人:根掛かり名人
西-5番  2021/11/26 (8時〜14時)
グレ 20〜26p 7匹 オキアミ フカセ釣り
   p  匹    
   p  匹    
   p  匹    
西風が強く逆光でウキが見えずPEを使用、右肩は力が入らずグレの引きが小型ながら強く逆に楽しめた 釣人:秋グレ
平磯海づり公園   2021/11/20 (17時〜21時)
メバル 20〜28p 8匹 アオイソメ ウキ釣り
アジ 26p 1匹 アオイソメ ウキ釣り
   p  匹    
   p  匹    
入場者は結構多かったです。アオイソメは一本掛けで、タナは2ヒロ。 釣人:根掛かり名人
アジュール舞子   2021/11/19 (8時〜14時)
グレ 20〜25p 21匹 オキアミ フカセ釣り
グレ 26〜32p 16匹 オキアミ フカセ釣り
   p  匹    
   p  匹    
後半はグレが浮きましたが、小型が多かったです。30pオーバーは6枚です。 釣人:管理人
アジュール舞子   2021/11/19 (7時〜14時)
グレ 24〜31p 27匹 オキアミ フカセ釣り
   p  匹    
   p  匹    
   p  匹    
一番いい場所と思うアジュール舞子の南角で場所が取れたのですが、思いのほか潮の流れが複雑でした。 釣人:せきやん
アジュール舞子   2021/11/17 (6時〜13時)
アコウ 44.5p 1匹 シラサ エビ撒き釣り
ヒラスズキ 57.5p 1匹 シラサ エビ撒き釣り
グレ 28~30p 20匹 シラサ エビ撒き釣り
   p  匹    
今日はラッキーな1日でした。 釣人:さわいち
アジュール舞子   2021/11/16 (6時〜14時)
グレ 25〜31p 11匹 オキアミ フカセ釣り
   p  匹    
   p  匹    
   p  匹    
久しぶりのグレ釣りでした。それに久しぶりに穂先折っちゃいました。でも、楽しい一日でした。 釣人:サトシF
アジュール舞子   2021/11/16 (7時〜14時)
グレ 23〜31p 29匹 オキアミ フカセ釣り
   p  匹    
   p  匹    
   p  匹    
最初から最後までずっと当て潮で疲れました。
30pオーバーは4枚です。
釣人:管理人
中央-11番  2021/11/15 (8時〜16時)
グレ 20〜28p 19匹 オキアミ フカセ釣り
   p  匹    
   p  匹    
   p  匹    
夕方だけ食いが立ちました。16j時半まで釣りました。午前はまったく釣れません。難しい釣りでした。 釣人:東大阪ファミリー
東-3番  2021/11/15 (0時〜2時)
サバ 34〜39p 25匹 オキアミ ウキ釣り
小サバ 26〜30p 8匹 オキアミ ウキ釣り
大アジ 25〜30p 6匹 オキアミ ウキ釣り
メバル 22p 1匹 オキアミ ウキ釣り
ふと釣りに行きたくなりPM22から行きました。PM23時からAM2時まで釣れ続き、まだまだ釣れましたがやめました。 釣人:せきやん
アジュール舞子   2021/11/13 (6時〜13時)
グレ 30〜32p 24匹 オキアミ フカセ釣り
   p  匹    
   p  匹    
   p  匹    
今日はよく釣れました。垂水で30クラス20枚以上は初めてです。リリースふくめると60枚ぐらいつれました。 釣人:k,t
中央-11番  2021/11/11 (8時〜16時)
グレ 20〜29p 22匹 オキアミ フカセ釣り
チヌ 44p 1匹 オキアミ フカセ釣り
   p  匹    
   p  匹    
天候悪く嵐で中断数回。タナはコロコロ変わりました。チヌはおまけで釣れました。 釣人:東大阪ファミリー
アジュール舞子   2021/11/09 (19時〜22時)
サバ 32p 1匹 きびなご ウキ釣り
   p  匹    
   p  匹    
   p  匹    
狙っていたタチウオは撃沈。
最後にエギングもやりましたがダメでした。
寒かったです。
釣人:根掛かり名人
一文字-9番  2021/11/06 (7時〜14時)
グレ 23〜35p 50匹 オキアミ フカセ釣り
   p  匹    
   p  匹    
   p  匹    
活性が高く楽しい釣りをさせてもらいました 釣人:尼崎のS  
西-5番  2021/11/07 (18時〜21時)
アジ 23p 1匹 イシゴカイ ウキ釣り
サバ 24p 1匹 イシゴカイ ウキ釣り
   p  匹    
   p  匹    
風が強く釣りづらかったです。
エギングもやりましたが、撃沈。
釣人:根掛かり名人
アジュール舞子   2021/11/07 (4時〜7時)
アオリイカ 13p 1匹 エギ ルアー・エギング
   p  匹    
   p  匹    
   p  匹    
3時間でアタリは1回だけ。エギングシーズンも終盤戦なので、引き続きサイズアップを目標に頑張ります。 釣人:根掛かり名人
西-5番  2021/11/06 (6時〜10時)
ヒラメ 51p 1匹 アジ 泳がせ釣り
アオリイカ 25p 1匹 アジ 泳がせ釣り
   p  匹    
   p  匹    
イカ釣りのおまけ?ヒラメが釣れました。玉網入れに駆けつけて頂いたルアーマンの方ありがとうございました。 釣人:ヤート
東-3番  2021/11/04 (1時〜7時)
サバ 25〜36p 18匹 オキアミ ウキ釣り
アジ 25p 1匹 オキアミ ウキ釣り
アオリイカ 13〜15p 2匹 小アジ 泳がせ釣り
   p  匹    
午前2時頃から1時間半ほど入れ喰いになりました。中サバが半数ほど混じりました。 釣人:管理人
中央-11番  2021/10/30 (7時〜16時)
グレ 20〜26p 7匹 オキアミ フカセ釣り
   p  匹    
   p  匹    
   p  匹    
14時までアタリなし。夕方にアタリ。タナは2ヒロ半〜3ヒロぐらい、疲れました。またバラシ1回ウリ多すぎ 釣人:東大阪ファミリー
東-3番  2021/10/29 (1時〜9時)
サバ 28〜38p 4匹 オキアミ ウキ釣り
アジ 30p 1匹 オキアミ ウキ釣り
グレ 30p 1匹 オキアミ ウキ釣り
アオリイカ 26p 1匹 小アジ 泳がせ釣り
サバは1時〜2時が時合いでした。中型のサバが多く、良型の数はかなり減りました。アジ、グレはおまけの釣果です。 釣人:管理人
東-3番  2021/10/27 (0時〜8時)
メジロ 66p 1匹 小アジ 泳がせ釣り
   p  匹    
   p  匹    
   p  匹    
夜釣りのサバ狙いは撃沈。夜明け後、アオリ狙いで偶然釣れました。 釣人:管理人
アジュール舞子   2021/10/22 (8時〜14時)
グレ 24〜32p 19匹 オキアミ フカセ釣り
   p  匹    
   p  匹    
   p  匹    
3ヶ月振りのアジュールです。マキエとサシエが離れると全く喰いません。ウリ坊も多いです。 釣人:管理人
アジュール舞子   2021/10/22 (8時〜14時)
グレ 26〜30p 6匹 オキアミ フカセ釣り
   p  匹    
   p  匹    
   p  匹    
秋シーズングレ釣り3回目です。秋はもっと簡単に釣れるシーズンと思っていましたが、難しいです。 釣人:せきやん
中央-11番  2021/10/21 (9時〜16時)
グレ 20〜28p 9匹 オキアミ フカセ釣り
   p  匹    
   p  匹    
   p  匹    
青アジ、ウリボウ大多数、ハリスの傷チェックを怠り良型2回バラシ、猛反省です。 釣人:東大阪ファミリー
東-3番  2021/10/19 (0時〜7時)
サバ 34〜37p 9匹 オキアミ ウキ釣り
大アジ 23〜25p 4匹 オキアミ ウキ釣り
   p  匹    
   p  匹    
昨日の単独と違い、みんなで行きました。2日間連続夜中は寒すぎました。2日間大アジは掛かるまで我慢をしたら釣れました。 釣人:せきやん
東-3番  2021/10/18 (0時〜4時)
サバ 33〜36p 8匹 オキアミ ウキ釣り
小サバ 26〜28p 3匹 オキアミ ウキ釣り
大アジ 23〜28p 7匹 オキアミ ウキ釣り
   p  匹    
PM23時から行ってました。流れが速すぎAM1時までは生命反応がありませんでした。諦めて帰ろうとしたAM1:30から釣れました。大アジは出来すぎです。 釣人:せきやん
東-3番  2021/10/19 (1時〜6時)
サバ 32〜39p 9匹 オキアミ ウキ釣り
   p  匹    
   p  匹    
   p  匹    
午前1時45分〜3時の間に入れ喰いになりました。 釣人:管理人
西-4番  2021/10/17 (5時〜7時)
アオリイカ 14p 1匹 エギ ルアー・エギング
   p  匹    
   p  匹    
   p  匹    
雨ニモマケズ、風ニモマケズ、何とか1杯釣ることが
できました。寒かったです。
できました。
釣人:根掛かり名人
アジュール舞子   2021/10/16 (4時〜7時)
アオリイカ 13p 2匹 慣゙ ルアー・エギング
アオリイカ 14p 1匹 慣゙ ルアー・エギング
   p  匹    
   p  匹    
今月入会し、初投稿です。
「一竿入魂」で頑張りますので、どうぞ宜しくお願い致します。
潮どまり前にヒットしました。
釣人:根がかり名人
東-3番  2021/10/14 (0時〜7時)
サバ 33〜37p 7匹 オキアミ ウキ釣り
小サバ 25〜26p 5匹 オキアミ ウキ釣り
アジ 23〜24p 2匹 オキアミ ウキ釣り
   p  匹    
サバ7本はすべてしめ鯖にしました。少しずつ上手に出来てきています。小サバは3枚におろし、すべての骨を抜き塩焼きにしました。 釣人:せきやん
東-3番  2021/10/14 (1時〜7時)
サバ 34〜38p 6匹 オキアミ ウキ釣り
アジ 26p 1匹 オキアミ ウキ釣り
アオリイカ 14p 1匹 小アジ 泳がせ釣り
   p  匹    
サバは午前2時〜3時に集中して釣れました。25p以下も数匹混じりました。 釣人:管理人
アジュール舞子   2021/10/13 (6時〜13時)
グレ 25~31p 8匹 シラサ エビ撒き釣り
20~46p 4匹 シラサ エビ撒き釣り
アコウ 38p 1匹    
チヌ 47p 1匹 シラサ エビ撒き釣り
午前はグレばかりで終了間際に釣れました、アコウ1匹バラシも、写真に写ってないのはプレゼンとリリース 釣人:さわいち
中央-11番  2021/10/12 (8時〜17時)
グレ 20〜28p 7匹 オキアミ フカセ釣り
   p  匹    
   p  匹    
   p  匹    
グレの数がすくなっかたです。久しぶりのフカセは疲れました 釣人:東大阪ファミリー
東-3番  2021/10/07 (0時〜7時)
サバ 33〜39p 14匹 オキアミ ウキ釣り
アジ 22〜26p 3匹 オキアミ ウキ釣り
アオリイカ 12〜18p 2匹 小アジ 泳がせ釣り
   p  匹    
休む間も無く釣れ続きました。お陰で腰が痛いです。
アオリは午前6時からの釣果。今期最大です。
釣人:管理人
東-3番  2021/10/07 (0時〜7時)
サバ 32〜41p 16匹 オキアミ ウキ釣り
   p  匹    
   p  匹    
   p  匹    
プラス2本です。十数年、毎年7月前後に夜サバ釣りをしますが、これだけ釣れたのは初めてです。途中でやめました。 釣人:せきやん
東-3番  2021/10/04 (0時〜7時)
サバ 32〜36p 4匹 オキアミ ウキ釣り
アオリイカ 14〜15p 2匹 小アジ 泳がせ釣り
   p  匹    
   p  匹    
サバは午前3時から連発しました。早朝の青物狙いは不発で、狙いをアオリに変えて2杯獲れました。 釣人:管理人
西   2021/09/22 (16時〜20時)
アオリイカ 9.5〜14.5p 8匹 エギ ルアー・エギング
   p  匹    
   p  匹    
   p  匹    
西エリアをうろうろし、西流れの潮だったのですが、流れの中を釣るエギもシンカーも腕もありません。本流の横で少し型が出ました。 釣人:せきやん
東-3番  2021/09/21 (4時〜8時)
メジロ 63〜64p 2匹 小アジ 泳がせ釣り
アオリイカ 10〜13p 2匹 エギ ルアー・エギング
   p  匹    
   p  匹    
AM5時30分に1本目、AM6時前に2本目が釣れました。出来すぎです。 釣人:せきやん
西   2021/09/17 (16時〜18時)
アオリイカ 9.5〜13p 10匹 エギ ルアー・エギング
   p  匹    
   p  匹    
   p  匹    
東3番、東1番、中央11番、西2番、西3番、西5番でエギングをよくします。3杯、8杯、12杯等むらがありますが大好きです。 釣人:せきやん
東-3番  2021/09/13 (5時〜9時)
メジロ 60〜70p 2匹 小アジ 泳がせ釣り
   p  匹    
   p  匹    
   p  匹    
朝一に連続で釣れました。7時以降はアタリありません。 釣人:管理人
東-3番  2021/09/10 (4時〜10時)
メジロ 64p 1匹 小アジ 泳がせ釣り
ツバス 42p 1匹 小アジ 泳がせ釣り
アオリイカ 15p 1匹 エギ ルアー・エギング
   p  匹    
当りは3回ありました。最後の当たりが取りきれませんでした。アオリイカのサイズが12〜15cmが混じるようになりました。 釣人:せきやん
東-3番  2021/09/07 (5時〜7時)
ツバス 38p 1匹 小アジ 泳がせ釣り
   p  匹    
   p  匹    
   p  匹    
朝一の一投目にせきやんさんとダブルヒット。その後アタリが一回ありましたが喰い込まず。 釣人:管理人
東-3番  2021/09/07 (5時〜7時)
ハマチ 60p 1匹 小アジ 泳がせ釣り
   p  匹    
   p  匹    
   p  匹    
AM6時前の朝一に釣れました。大好きなエギングのシーズンが来ました。アオリのサイズは現状では8〜12cmです。 釣人:せきやん
西-5番  2021/09/01 (6時〜12時)
グレ 22~28p 5匹 オキアミ フカセ釣り
小アジ 10p 20匹 オキアミ フカセ釣り
   p  匹    
   p  匹    
久しぶりに釣りを楽しみました、朝は小アジの猛攻にあいました。 釣人:さわいち
東-9番  2021/08/11 (7時〜15時)
チヌ 25までp 5匹 オキアミ 紀州釣り
ボラ 65までp 6匹 オキアミ 紀州釣り
   p  匹    
   p  匹    
8時間勤務でオオボラの攻勢に泣きました。写真間違って消してしまい添付できません。 釣人:kもりた  
アジュール舞子   2021/07/24 (20時〜24時)
サバ 31〜41p 11匹 アジの切り身 ウキ釣り
小サバ 12〜21p 7匹 アジの切り身  
   p  匹    
   p  匹    
今回は11本釣れました![Web] 釣人:ヒスイ
アジュール舞子   2021/07/10 (20時〜24時)
サバ 31〜40p 14匹 アジの切り身 ウキ釣り
アジ 20〜22p 2匹 アジの切り身 ウキ釣り
   p  匹    
   p  匹    
久々にまとまった群れが入りました! [Web] 釣人:ヒスイ
アジュール舞子   2021/07/06 (6時〜14時)
グレ 25〜29p 5匹 オキアミ フカセ釣り
アジ 20〜21p 2匹 オキアミ フカセ釣り
   p  匹    
   p  匹    
豆アジ、小サバ、フグが滅茶苦茶多いです。グレは一度も浮かず、タナは深いです。 釣人:管理人
アジュール舞子-11番  2021/07/06 (7時〜14時)
グレ 23〜30p 6匹 オキアミ フカセ釣り
   p  匹    
   p  匹    
   p  匹    
アジュール舞子の橋の下で初めて竿を出したのですが、潮が緩やかになるとアジとフグで釣りになりませんでした。 釣人:せきやん
アジュール舞子   2021/06/28 (12時〜16時)
グレ 28~30p 2匹 オキアミ フカセ釣り
   p  匹    
   p  匹    
   p  匹    
タナ50cmでもフグばかり、あて潮が止まった時に浮いてきました。 釣人:さわいち
中央-11番  2021/06/28 (7時〜17時)
グレ 22〜25p 5匹 オキアミ フカセ釣り
   p  匹    
   p  匹    
   p  匹    
小鯖、サヨリ多数。オセンの下で漂ってるだけです。サヨリの下には入ってきません。喰い悪いです。 釣人:東大阪ファミリー
アジュール舞子   2021/06/22 (6時〜13時)
グレ 22〜28p 8匹 オキアミ フカセ釣り
   p  匹    
   p  匹    
   p  匹    
今日はお手上げです。浮いているグレは殆どサシエを喰いません。アジュール通いは当分お休みです。 釣人:管理人
アジュール舞子-1番  2021/06/22 (6時〜13時)
グレ 21〜29p 8匹 オキアミ フカセ釣り
   p  匹    
   p  匹    
   p  匹    
お腹が一杯のグレが多いのか、所々で見えていますがお手上げでした。 釣人:せきやん
アジュール舞子   2021/06/17 (6時〜15時)
グレ 22〜33p 22匹 オキアミ フカセ釣り
   p  匹    
   p  匹    
   p  匹    
30pオーバーが3枚釣れました。午前中は良く釣れましたが、13時からはノーヒットです。 釣人:管理人
アジュール舞子   2021/06/16 (19時〜21時)
サバ 25~32p 3匹 キビナゴ ウキ釣り
   p  匹    
   p  匹    
   p  匹    
8時から9時の間にアタリが集中しました、棚は2ヒロ半でした。 釣人:さわいち
アジュール舞子-1番  2021/06/17 (6時〜15時)
グレ 20〜30p 13匹 オキアミ、ネリエ フカセ釣り
   p  匹    
   p  匹    
   p  匹    
午前中アジュールのワンド内は、1ヒロ前後でグレは多数見えていますが粉エサを吸う様でオキアミには食いが悪いです。 釣人:せきやん
アジュール舞子   2021/06/12 (20時〜24時)
サバ 45p 1匹 アジの切り身 ウキ釣り
サバ 33p 2匹 アジの切り身 ウキ釣り
小サバ 15p 3匹 アジの切り身 ウキ釣り
   p  匹    
今年もこの季節が来ましたね。 [Web] 釣人:ヒスイ
中央-11番  2021/06/07 (7時〜16時)
グレ 27〜30p 4匹 オキアミ フカセ釣り
グレ 20〜23p 14匹 オキアミ フカセ釣り
   p  匹    
   p  匹    
魚が浮いてこず、あっちこっちマキエしまっくて出てくるところ探しました。久しぶりの30センチアップです。 釣人:東大阪ファミリー
アジュール舞子   2021/06/07 (7時〜14時)
グレ 24〜29p 23匹 オキアミ フカセ釣り
   p  匹    
   p  匹    
   p  匹    
すみません、大蔵海岸での釣果です。 釣人:kもりた
中央-5番  2021/06/06 (15時〜19時)
豆アジ 5〜6p 10匹 オキアミ サビキ釣り
豆サバ 7〜8p 4匹 オキアミ サビキ釣り
   p  匹    
   p  匹    
6時ごろから豆アジがポツポツと釣れました!
もうちょいでシーズンですね(人*´∀`)。*゜+
釣人:うまなみ
西-5番  2021/06/03 (6時〜14時)
グレ 20〜22p 10匹 オキアミ フカセ釣り
グレ 25〜29p 15匹 オキアミ フカセ釣り
ハネ 49p 1匹 小サバ 泳がせ釣り
   p  匹    
今年最初の飲ませです。ハネは際で釣れました。グレはアジュールより釣り易いですが、良型は少ないです。 釣人:管理人
西-5番  2021/06/03 (7時〜14時)
グレ 20〜29p 28匹 オキアミ フカセ釣り
   p  匹    
   p  匹    
   p  匹    
久々の西5番、ほとんどが1ヒロ以内で釣れました。ボラがマキエに群がった後に、マーカーがわずかに動き釣れました。 釣人:せきやん
中央-11番  2021/05/31 (7時〜17時)
グレ 20〜23p 22匹 オキアミ フカセ釣り
グレ 25〜27p 3匹 オキアミ フカセ釣り
   p  匹    
   p  匹    
一日中海が濁ってました。20p前後が多かったです。食いが渋いです。 釣人:東大阪ファミリー
アジュール舞子   2021/06/01 (7時〜15時)
グレ 24〜29p 29匹 オキアミ フカセ釣り
   p  匹    
   p  匹    
   p  匹    
すみません、アジュールではなく大蔵海岸での釣果です。 釣人:kもりた
アジュール舞子   2021/05/31 (6時〜15時)
グレ 22〜31p 14匹 オキアミ フカセ釣り
   p  匹    
   p  匹    
   p  匹    
下手過ぎて釣りが嫌いになりました。
釣人:管理人
アジュール舞子-1番  2021/05/31 (6時〜15時)
グレ 21〜23p 3匹 オキアミ フカセ釣り
グレ 26〜31.5p 9匹 オキアミ フカセ釣り
   p  匹    
   p  匹    
久々の平日アジュールでした。上から目線で言ってはいませんが、アジュールの常連さんの釣り人が凄くみなさん上手でした。 釣人:せきやん
アジュール舞子   2021/05/26 (6時〜15時)
グレ 22〜29p 15匹 オキアミ フカセ釣り
   p  匹    
   p  匹    
   p  匹    
当て潮がきつくさっぱりでした。大潮は難しいです。 釣人:管理人
アジュール舞子   2021/05/26 (7時〜17時)
グレ 25〜29p 12匹 オキアミ フカセ釣り
   p  匹    
   p  匹    
   p  匹    
10時間のうち5時間は激流でお休みタイム、それにしても喰わせられませんでした 釣人:kもりた
アジュール舞子   2021/05/19 (7時〜12時)
グレ 20〜29p 23匹 オキアミ フカセ釣り
   p  匹    
   p  匹    
   p  匹    
グレは朝一から浮いていましたが、相変わらずアタリは渋いです。後半は遠投2ヒロ前後で良型が揃いました。 釣人:管理人
一文字-3番  2021/05/15 (7時〜12時)
グレ 25〜32p 12匹 オキアミ フカセ釣り
   p  匹    
   p  匹    
   p  匹    

浅だなで食いましたが渋いアタリが多かったです。
釣人:k,t
アジュール舞子   2021/05/14 (8時〜14時)
グレ 24〜29p 16匹 オキアミ フカセ釣り
   p  匹    
   p  匹    
   p  匹    
今日もグレは浮きましたが、なかなかサシエを喰い込みません。疲れる釣りです。 釣人:管理人
中央-11番  2021/05/13 (7時〜17時)
グレ 20〜29p 22匹 オキアミ フカセ釣り
   p  匹    
   p  匹    
   p  匹    
ポツポツ連れて型も良かったです。地元の方と楽しくしゃべりながら、釣らしていただきました。ありがとうございました。
釣人:東大阪ファミリー
アジュール舞子   2021/05/10 (7時〜15時)
グレ 25〜27p 16匹 オキアミS フカセ釣り
   p  匹    
   p  匹    
   p  匹    
何故か今日も27cmまでを16枚でした。刻んだ干しノリを撒餌に混ぜたら腹いっぱい喰ってました。 釣人:kもりた
アジュール舞子   2021/05/10 (8時〜16時)
グレ 25〜28p 10匹 オキアミ フカセ釣り
   p  匹    
   p  匹    
   p  匹    
グレは終日浮いてましたが、渋いアタリを合わせきれませんでした。反射神経が鈍ってます。 釣人:管理人

中央-11番  2021/05/10 (8時〜17時)
グレ 20〜25p 10匹 オキアミ フカセ釣り
   p  匹    
   p  匹    
   p  匹    
浮いていないときは、アタリは少ないですが、型がましです。浮いているグレは、エサを見切っていました。 釣人:東大阪ファミリー
アジュール舞子   2021/05/06 (8時〜14時)
グレ 22〜31.5p 22匹 オキアミ フカセ釣り
   p  匹    
   p  匹    
   p  匹    
遠投浅ダナです。午前中は良く喰いましたが、午後からは全くダメでした。型は大体が25pオーバーです。 釣人:管理人
アジュール舞子   2021/05/04 (7時〜14時)
グレ 27までp 16匹 オキアミ フカセ釣り
   p  匹    
   p  匹    
   p  匹    
今年のグレ初陣、人多く、グレ喰い渋りました。グレもマスク着用? 釣人:kもりた
アジュール舞子   2021/05/03 (7時〜12時)
グレ 20〜29p 10匹 オキアミ フカセ釣り
   p  匹    
   p  匹    
   p  匹    
中距離から長距離トラックに転職。なかなか釣りに行けなくなりました。休日のアジュユールは満員御礼でフカセは流せません。 釣人:せきやん
中央-11番  2021/04/28 (7時〜17時)
グレ 20〜27p 4匹 オキアミ フカセ釣り
   p  匹    
   p  匹    
   p  匹    
垂水のグレを釣りたくて来てしまいました。16時過ぎまであたりなし。時合は30分ほどでした。 釣人:東大阪ファミリー
西-5番  2021/04/21 (9時〜15時)
グレ 20〜28p 11匹 オキアミ、アオサ フカセ釣り
   p  匹    
   p  匹    
   p  匹    
今シーズン最初のグレ狙い。小型が多かったですが、何とか2ケタ釣れました。 釣人:管理人
東-6番  2021/03/18 (13時〜17時)
チヌ 52.5p 1匹 コーン フカセ釣り
   p  匹    
   p  匹    
   p  匹    
久しぶりの釣行で年無しが釣れました!
タナは3.5ヒロ、テトラ際でヒットです。
釣人:管理人
東-6番  2021/03/14 (13時〜18時)
チヌ 40〜43p 3匹 オキアミ フカセ釣り
   p  匹    
   p  匹    
   p  匹    
3匹とも16時半以降の釣果です。 釣人:デイドリーム
東-6番  2021/02/28 (11時〜17時)
チヌ 41〜44p 2匹 オキアミ フカセ釣り
   p  匹    
   p  匹    
   p  匹    
14時頃と16時頃、竿一本先3.5ヒロくらいで来ました。 釣人:デイドリーム
東-6番  2021/02/25 (11時〜16時)
チヌ 45p 1匹 オキアミ フカセ釣り
   p  匹    
   p  匹    
   p  匹    
開始早々でした❗ 釣人:サトシF
東-6番  2021/02/05 (11時〜17時)
チヌ 42〜48p 2匹 オキアミ フカセ釣り
メバル 19p 1匹 オキアミ フカセ釣り
   p  匹    
   p  匹    
2ヶ月振りの釣行です。後半にアタリが集中しました。エサ取り多いです。 釣人:管理人
東-6番  2021/02/05 (12時〜18時)
チヌ 36〜51p 2匹 オキアミ・コーン フカセ釣り
   p  匹    
   p  匹    
   p  匹    
PM12時半とPM17時に、タナ4ヒロ半前後で竿2本ぐらいで南に潮が動いた時に釣れました。 釣人:せきやん
アジュール舞子   2020/12/29 (9時〜14時)
グレ 26〜28p 7匹 オキアミ フカセ釣り
メバル 16p 1匹 オキアミ フカセ釣り
   p  匹    
   p  匹    
先日82歳、もたついて大潮の急流をつりこなせず御用納めとなりました。 釣人:kもりた
西-5番  2020/12/27 (7時〜13時)
グレ 22〜27p 5匹 オキアミ フカセ釣り
   p  匹    
   p  匹    
   p  匹    
西5番の角で釣りをしたのですが、帰るまで潮が全く動かず。オセンだらけで投げれる、超遠投でもオセンが釣れお手上げでした。 釣人:せきやん
アジュール舞子   2020/12/11 (10時〜14時)
グレ 23〜27p 19匹 オキアミ フカセ釣り
   p  匹    
   p  匹    
   p  匹    
ごぼう抜きサイズばかりでした。 釣人:kもりた
アジュール舞子   2020/12/10 (9時〜14時)
グレ 23〜30p 14匹 オキアミ フカセ釣り
   p  匹    
   p  匹    
   p  匹    
東への潮でまぁ釣れましたが、西へ流れ出してからは喰わせられず。 釣人:kもりた
西-5番  2020/12/10 (6時〜16時)
グレ 26〜30p 11匹 オキアミ フカセ釣り
グレ 20〜25p 10匹 オキアミ フカセ釣り
アオリイカ 12〜23.5p 2匹 小アジ 泳がせ釣り
   p  匹    
アオリは朝、夕に1杯ずつ釣れました。グレは遠投でも20p以下が釣れました。 釣人:管理人
西-5番  2020/12/10 (7時〜15時)
グレ 20〜30p 28匹 オキアミ フカセ釣り
   p  匹    
   p  匹    
   p  匹    
僕の場合サイズが20〜23cmが多かったです。オキアミを使えば、まだアジが20匹ぐらいなら釣れます。 釣人:せきやん
アジュール舞子   2020/12/07 (7時〜15時)
グレ 26〜32.5p 18匹 オキアミ フカセ釣り
   p  匹    
   p  匹    
   p  匹    
今回も手前の見えてるグレは無視して、遠投深ダナで狙いました。数は出ませんが型は揃いました。 釣人:管理人
アジュール舞子   2020/12/07 (7時〜15時)
グレ 20〜27p 11匹 オキアミ フカセ釣り
   p  匹    
   p  匹    
   p  匹    
海水が少し冷たく感じる様に思いました。そのせいか、バリもグレも僕も元気がありませんでした。 釣人:せきやん
中央-11番  2020/12/06 (14時〜16時)
グレ 23p 2匹 オキアミ フカセ釣り
   p  匹    
   p  匹    
   p  匹    
初めてのグレ釣りなので、引きの強さに驚きました。 釣人:えつこ  
中央-11番  2020/12/06 (14時〜16時)
グレ 23〜28p 3匹 オキアミ フカセ釣り
   p  匹    
   p  匹    
   p  匹    
短時間でしたが楽しめました。 釣人:まさ  
西-5番  2020/12/04 (6時〜16時)
グレ 23〜26p 20匹 オキアミ フカセ釣り
   p  匹    
   p  匹    
   p  匹    
楽しい一日でした❗ 釣人:サトシF  
西-5番  2020/12/04 (5時〜16時)
グレ 25〜29p 12匹 オキアミ フカセ釣り
グレ 20〜24p 8匹 オキアミ フカセ釣り
   p  匹    
   p  匹    
前半のアオリ狙いは不発。グレは遠投深ダナで型を狙いましたが、30pUPは出ませんでした。 釣人:管理人
アジュール舞子   2020/12/04 (10時〜15時)
グレ 23〜28p 23匹 オキアミ フカセ釣り
   p  匹    
   p  匹    
   p  匹    
タモ要らずのサイズばかりでした。 釣人:kもりた  
西-5番  2020/12/04 (7時〜16時)
グレ 20〜27.5p 34匹 オキアミ フカセ釣り
   p  匹    
   p  匹    
   p  匹    
スカリに穴があり10枚脱走。今日はグレストのHさんに色々教えて頂いたり、TFC4人でのフカセでカップ麺を食べたりと面白かったです。 釣人:せきやん
西-5番  2020/12/01 (6時〜15時)
グレ 26〜30p 12匹 オキアミ フカセ釣り
グレ 20〜26p 25匹 オキアミ フカセ釣り
アオリイカ 23p 1匹 小アジ 泳がせ釣り
   p  匹    
グレは遠投深ダナで少しマシなサイズが釣れました。アオリは朝夕に計3回アタリがありましたが、釣れたのは1杯のみです。 釣人:管理人
アジュール舞子   2020/12/01 (11時〜15時)
グレ 27〜30p 9匹 オキアミ フカセ釣り
グレ 24〜26p 7匹 オキアミ フカセ釣り
   p  匹    
   p  匹    
岩屋並みに留まって糸出し送り過ぎれば、喰っても巻き取るまでに底に入られてパーが数回。ウキを追って歩行
すべし。
釣人:kもりた
西-5番  2020/12/01 (7時〜15時)
グレ 20〜30p 31匹 オキアミ フカセ釣り
   p  匹    
   p  匹    
   p  匹    
遠投でもサシエサが取られます。バリも釣れたのですが餌取りの正体が分らないままポッポッ釣れました。20〜23cmも多かったです。 釣人:せきやん
アジュール舞子   2020/11/27 (7時〜16時)
グレ 30p 1匹 オキアミ フカセ釣り
グレ 28〜23p 25匹 オキアミ フカセ釣り
   p  匹    
   p  匹    
午後になって東への急流が緩み西への急流までの間、そこそこ喰いました。正味3時間ほどでした。 釣人:kもりた
中央-11番  2020/11/24 (8時〜17時)
グレ 20〜23p 37匹 オキアミ フカセ釣り
グレ 25〜27p 3匹 オキアミ フカセ釣り
   p  匹    
   p  匹    
午前中バリ子地獄でボウズ。潮替わり後の13時より一文字との水道で釣れました。バリ子もかわせました。 釣人:東大阪ファミリー
アジュール舞子   2020/11/24 (8時〜15時)
グレ 20〜27p 29匹 オキアミ フカセ釣り
グレ 28〜31.5p 20匹 オキアミ フカセ釣り
   p  匹    
   p  匹    
沖20m位まではバリコが湧いています。今日は遠投のし過ぎで肘が痛いです。 釣人:管理人
アジュール舞子   2020/11/24 (8時〜15時)
グレ 20〜32p 32匹 オキアミ フカセ釣り
   p  匹    
   p  匹    
   p  匹    
アイゴはまだいますが、午前中は当て潮だったので遠投でかわすことが出来ました。 釣人:せきやん
アジュール舞子   2020/11/18 (7時〜15時)
グレ 26〜30p 3匹 オキアミ フカセ釣り
   p  匹    
   p  匹    
   p  匹    
TFCメンバーの方々にお世話になりありがとうございました。30pが2匹で楽しい釣り日和でした。 釣人:YH
アジュール舞子   2020/11/18 (7時〜15時)
グレ 23〜30p 23匹 オキアミ フカセ釣り
   p  匹    
   p  匹    
   p  匹    
ホームの西5番でAM9時までで5枚、バリが多くアジュールに移動したのですが‥バリだらけで潮が流れる所でポッポッ18枚釣れました。 釣人:せきやん
アジュール舞子   2020/11/15 (7時〜15時)
グレ 27〜32,5p 35匹 オキアミ フカセ釣り
   p  匹    
   p  匹    
   p  匹    
タナは2〜3ヒロですが良型よく釣れ数おおいです。遠投のが型がいいです。 釣人:k,t
東-1番  2020/11/17 (9時〜17時)
グレ 20〜23p 30匹 オキアミ フカセ釣り
   p  匹    
   p  匹    
   p  匹    
相変わらずバリ子だらけ。バリ子とグレが一緒に動くのできびしいです。分離するので精一杯でした。 釣人:東大阪ファミリー
中央-11番  2020/11/12 (8時〜16時)
グレ 20〜25p 29匹 オキアミ フカセ釣り
   p  匹    
   p  匹    
   p  匹    
全面バリ子、グレより数が多く分離が
できませんでした。グレも小さいです。
釣人:東大阪ファミリー
アジュール舞子   2020/11/12 (7時〜16時)
グレ 30〜32.5p 10匹 オキアミ フカセ釣り
グレ 22〜30p 65匹 オキアミ フカセ釣り
   p  匹    
   p  匹    
エサ取り殆ど居ません。タナはやや深いですが、ほぼ入れ喰いで釣れます。 釣人:管理人
アジュール舞子-1番  2020/11/12 (7時〜16時)
グレ 20〜28p 30匹 オキアミ フカセ釣り
グレ 28〜30p 16匹 オキアミ フカセ釣り
   p  匹    
   p  匹    
ウリボウが今日はいませんでした。バリも少なかったです。管理人さんと同行したのですがマキエの同調コントロール勉強になりました。 釣人:せきやん
西-3番  2020/11/09 (6時〜10時)
アオリイカ 20p 1匹 小アジ 泳がせ釣り
   p  匹    
   p  匹    
   p  匹    
アタリは早朝に1回のみでした。 釣人:管理人
西-5番  2020/11/09 (5時〜8時)
アオリイカ 15〜22p 2匹 エギ ルアー・エギング
   p  匹    
   p  匹    
   p  匹    
今日はタモを持って行ったので取る事ができました。あたりは夜明け前後です。 釣人:せきやん
西-3番  2020/11/06 (5時〜12時)
アオリイカ 13〜17p 3匹 小アジ 泳がせ釣り
   p  匹    
   p  匹    
   p  匹    
微妙なアタリが多く、空振りも何度かありました。後半、ヒラスズキを掛けましたがバラシました。 釣人:管理人
西-3番  2020/11/06 (5時〜12時)
アオリイカ 12〜14p 3匹 エギ ルアー・エギング
   p  匹    
   p  匹    
   p  匹    
実はエギングも大好きです。今日ので今年100ハイを超えました。(自慢笑)大型アオリ抜き上げで落ちてしまいました。釣果は夜明け前後です。 釣人:せきやん
平磯海つり公園   2020/11/05 (7時〜15時)
グレ 22〜28p 25匹 オキアミ フカセ釣り
グレ 28〜31p 9匹 オキアミ フカセ釣り
   p  匹    
   p  匹    
ワンド内はウリボウだらけで、バリの数も増えてきました。潮の流れる南面とワンド内と何度も往復しながらポッポッ釣れました。 釣人:せきやん
アジュール舞子   2020/11/03 (7時〜12時)
グレ 24〜32p 30匹 オキアミ フカセ釣り
   p  匹    
   p  匹    
   p  匹    
厄介なウリボウが今日はさほどだったので釣りやすかったです。久々の30オーバー。 釣人:k,t
東-4番  2020/11/01 (8時〜15時)
グレ 20〜28p 10匹 オキアミ フカセ釣り
ハマチ 64p 1匹 小アジ 泳がせ釣り
   p  匹    
   p  匹    
今日はクラブの例会でした。グレは午前中の釣果。タナは深かったです。ハマチは午後からラスト1投で釣りました。 釣人:管理人
東-4番  2020/11/01 (7時〜12時)
グレ 20〜27p 11匹 オキアミ フカセ釣り
   p  匹    
   p  匹    
   p  匹    
今週4回目のフカセ釣りです。垂水で4回共に別々の場所で勉強になりました。今日はクラブの大会で楽しかったです。 釣人:せきやん
西-5番  2020/10/29 (6時〜16時)
アオリイカ 13〜17p 4匹 小アジ 泳がせ釣り
グレ 22〜26p 9匹 オキアミ フカセ釣り
   p  匹    
   p  匹    
午前中はアオリ狙い。午後からグレを狙いましたが、ウリ坊だらけで大苦戦でした。 釣人:管理人
西-5番  2020/10/29 (7時〜15時)
グレ 25〜27p 6匹 オキアミ フカセ釣り
   p  匹    
   p  匹    
   p  匹    
今週3回目のフカセ釣り、ウリボウは元気です。昨日のアジュールと違いマキエサと仕掛けを離しても西5のグレはやる気になってくれませんでした。 釣人:せきやん
西-5番  2020/10/28 (8時〜15時)
グレ 20〜28p 4匹 オキアミ フカセ釣り
   p  匹    
   p  匹    
   p  匹    
20p1匹、26p、27p、28p各1匹。ウリボーにやられました。

釣人:YH
中央-11番  2020/10/26 (10時〜17時)
グレ 20p 27匹 オキアミ フカセ釣り
グレ 26〜28p 5匹 オキアミ フカセ釣り
   p  匹    
   p  匹    
昼からの潮替わり後、型が上がりました。あいかわらず深く探れません。場所間違ってました。 釣人:東大阪ファミリー
アジュール舞子   2020/10/28 (6時〜12時)
スズキ 50~73p 3匹 シラサ エビ撒き釣り
チャリコ 25~30p 6匹 シラサ エビ撒き釣り
グレ 31p 1匹 シラサ エビ撒き釣り
ツバス 40~48p 2匹 シラサ エビ撒き釣り
今日は竿がよく曲がり楽しい釣りでした。 釣人:さわいち
アジュール舞子   2020/10/28 (7時〜14時)
グレ 22〜28p 25匹 オキアミ フカセ釣り
グレ 28〜32p 18匹 オキアミ フカセ釣り
   p  匹    
   p  匹    
茶色い海面の魚は全面がウリボウでマキエの反応が早く同調させると無理なので、マキエとサシエサを3m以上はなすとグレが釣れました。 釣人:せきやん
一文字-1番  2020/10/26 (7時〜15時)
グレ 20〜27p 13匹 オキアミ フカセ釣り
グレ 27〜32p 5匹 オキアミ フカセ釣り
アイゴ 38p 1匹 オキアミ フカセ釣り
   p  匹    
垂水一文字のトップの2人の先輩に色々教えて頂き、凄く勉強になった釣りでした。 釣人:せきやん
西-5番  2020/10/21 (7時〜14時)
グレ 20〜27p 17匹 オキアミ フカセ釣り
   p  匹    
   p  匹    
   p  匹    
10時頃から釣れだし、平均25センチ位。一度も浮いてきません。
釣人:YH
アジュール舞子   2020/10/21 (6時〜11時)
ハネ 57p 1匹 シラサ エビ撒き釣り
ツバス 47p 1匹 シラサ エビ撒き釣り
チャリコ 23~29p 4匹 シラサ エビ撒き釣り
グレ 29~31p 2匹 シラサ エビ撒き釣り
あとチヌ32.43.45.3匹大きい2匹は、リリース、早朝にハネ2匹バラシ。 釣人:さわいち
アジュール舞子   2020/10/20 (6時〜15時)
グレ 20〜27p 49匹 オキアミ フカセ釣り
グレ 27〜33p 20匹 オキアミ フカセ釣り
   p  匹    
   p  匹    
垂水波止グレフカセで69枚出来すぎです。30upは3枚でした。グレは一瞬見えますがタナは1〜4ヒロでした 釣人:せきやん
アジュール舞子   2020/10/17 (12時〜16時)
グレ 24〜29p 30匹 オキアミ フカセ釣り
   p  匹    
   p  匹    
   p  匹    
グレの活性高く当日あたればすべてグレでした。グレの数多いです。 釣人:k,t
中央-11番  2020/10/19 (9時〜17時)
グレ 20〜24p 34匹 オキアミ フカセ釣り
   p  匹    
   p  匹    
   p  匹    
今日サイズが伸びませんでんした。型狙いで深くするとバリ子、ウリボウ。数はでます。 釣人:東大阪ファミリー
東-3番  2020/10/19 (6時〜9時)
アオリイカ 15〜18p 2匹 小アジ 泳がせ釣り
   p  匹    
   p  匹    
   p  匹    
3人で5杯の釣果です。アタリは殆どありません。 釣人:管理人
西-5番  2020/10/18 (6時〜15時)
グレ 20〜29p 35匹 オキアミ フカセ釣り
   p  匹    
   p  匹    
   p  匹    
日曜日とあって超満員御礼。グレは終日浮かず、昼から潮が複雑でG8を最終3段打ちで、深いタナで来れば27〜29cmありました。
釣人:せきやん
西-3番  2020/10/16 (6時〜9時)
アオリイカ 12〜20p 2匹 小アジ 泳がせ釣り
   p  匹    
   p  匹    
   p  匹    
早朝の薄暗い時にアタリがありました。 釣人:管理人
中央-11番  2020/10/14 (8時〜16時)
グレ 20〜28p 17匹 オキアミ フカセ釣り
   p  匹    
   p  匹    
   p  匹    
手のひらサイズが多く、ウリボウ、青アジ多い。28センチ級3匹釣れたのがよかったです。タナ矢引〜1ヒロ 釣人:東大阪ファミリー
アジュール舞子   2020/10/14 (6時〜11時)
スズキ 57~68p 2匹 シラサ エビ撒き釣り
チャリコ 25~29p 2匹 シラサ エビ撒き釣り
グレ 26~27p 2匹 シラサ エビ撒き釣り
   p  匹    
終了間際にスズキが連発できました。 釣人:さわいち
東-3番  2020/10/14 (6時〜12時)
アオリイカ 14〜20p 2匹 アジ 掛け釣り
   p  匹    
   p  匹    
   p  匹    
早朝青物が回っていたせいか、当たりの回数が少なかったです。 釣人:せきやん
西-5番  2020/10/12 (6時〜17時)
グレ 20〜26p 26匹 オキアミ フカセ釣り
グレ 27〜28p 9匹 オキアミ フカセ釣り
アオリイカ 13p 1匹 小アジ 泳がせ釣り
   p  匹    
久しぶりのフカセです。午前中は小アジだらけで苦戦しましたが、中盤から入れ喰いでした。泳がせは朝一のアタリ1回のみ。 釣人:管理人
西-5番  2020/10/12 (6時〜16時)
グレ 20〜27p 41匹 オキアミ ネリエ フカセ釣り
   p  匹    
   p  匹    
   p  匹    
午前中は手前はオセン、沖は青アジとウリボウでオキアミが通用せず。ネリエでぽっぽつ釣れましたが昼からグレが浮きました。 釣人:せきやん
東-1番  2020/10/06 (6時〜10時)
アオリイカ 11〜19p 5匹 小アジ 泳がせ釣り
   p  匹    
   p  匹    
   p  匹    
アタリは少ないです。納竿間際に青物が掛かりましたが、ライン切れで獲れませんでした。 釣人:管理人
東-1番  2020/10/03 (5時〜10時)
アオリイカ 13〜22p 3匹 小アジ 泳がせ釣り
   p  匹    
   p  匹    
   p  匹    
アタリは全部で4回。潮が緩んでいる時に釣れました。エギングでは釣果ありませんでした。 釣人:管理人
西-3番  2020/09/24 (5時〜9時)
アオリイカ 15〜18p 3匹 エギ ルアー・エギング
アオリイカ 〜12p 5匹    
   p  匹    
   p  匹    
まだまだ小型が多いですが、何とかキープサイズ3杯獲れました。 釣人:管理人
西-3番  2020/09/09 (5時〜10時)
ツバス 38p 1匹 小アジ 泳がせ釣り
   p  匹    
   p  匹    
   p  匹    
早朝6時半、タナ2.5ヒロで釣れました。アタリは1回のみです。 釣人:管理人
アジュール舞子   2020/09/09 (5時〜11時)
グレ 31〜34.8p 3匹 シラサ エビ撒き釣り
   p  匹    
   p  匹    
   p  匹    
マイクロチャリコに悩まされながらなんとか釣れました
釣人:さわいち
西-3番  2020/08/28 (5時〜10時)
ハマチ 60p 1匹 アジ 泳がせ釣り
   p  匹    
   p  匹    
   p  匹    
今回も7時に釣れました。 釣人:まさ
西-3番  2020/08/25 (5時〜9時)
メジロ 80p 1匹 小アジ 泳がせ釣り
   p  匹    
   p  匹    
   p  匹    
7時頃にヒットしました。アタリはこの1回のみです。 釣人:管理人
西-3番  2020/08/16 (5時〜9時)
ツバス 36p 1匹 アジ 泳がせ釣り
   p  匹    
   p  匹    
   p  匹    
AM7時頃に釣れました。同行のまささんその後、約70cmクラスが来たのですが残念ながら取れませんでした。 釣人:せきやん
西-5番  2020/07/17 (5時〜17時)
ツバス 35p 1匹 豆アジ 泳がせ釣り
グレ 20〜26p 3匹 オキアミ フカセ釣り
豆アジ 7〜10p 40匹 アミエビ サビキ釣り
   p  匹    
今日も濁流でグレはさっぱり。ツバスはラスト1投で釣れました。 釣人:管理人
西-5番  2020/07/12 (6時〜15時)
ハマチ 61p 1匹 小サバ 泳がせ釣り
グレ 26p 1匹 オキアミ フカセ釣り
豆アジ 7〜10p 60匹 アミエビ サビキ釣り
   p  匹    
午前9時まで飲ませ、以降フカセに専念しましたが、10時から泥水が入りさっぱり。豆アジは終日釣れています。 釣人:管理人
アジュール舞子   2020/07/08 (20時〜24時)
サバ 30p 2匹 アジ切身 ウキ釣り
アジ 22p 2匹 アジ切身 ウキ釣り
小サバ 16〜22p 9匹 アジ切身 ウキ釣り
   p  匹    
今年もようやく釣れました![Web] 釣人:ヒスイ
西-5番  2020/06/29 (9時〜16時)
グレ 21〜26p 18匹 オキアミ フカセ釣り
   p  匹    
   p  匹    
   p  匹    
早朝は3時間ほど飲ませで青物を狙いましたが不発。グレは矢引〜3ヒロと潮によりタナはマチマチでした。 釣人:管理人
東-1番  2020/06/29 (6時〜15時)
グレ 20〜28p 22匹 オキアミ フカセ釣り
   p  匹    
   p  匹    
   p  匹    
小サバはいません、超遠投でゆっくりとウキを沈めて、約3〜4ヒロぐらいでライン、竿当たりで釣れました。 釣人:せきやん
アジュール舞子   2020/06/24 (4時〜11時)
ハネ 47~59p 2匹 シラサ エビ撒き釣り
グレ 30p 1匹    
チャリコ 20前後p 10匹    
   p  匹    
潮は良かったのですが、チャリコとフグばかりでした。 釣人:さわいち
アジュール舞子   2020/06/24 (6時〜15時)
グレ 21〜30p 11匹 オキアミ フカセ釣り
ウマヅラ 37.5p 1匹 オキアミ フカセ釣り
   p  匹    
   p  匹    
午前中は小サバ地獄、午後は当て潮で大苦戦。グレも喰い込みが悪く、針ハズレが何回もありました。 釣人:管理人
アジュール舞子   2020/06/24 (6時〜15時)
グレ 27〜31p 3匹 オキアミ フカセ釣り
グレ 20〜26p 7匹 オキアミ フカセ釣り
   p  匹    
   p  匹    
小サバは元気すぎ邪魔ですが、時折いない時にグレの姿が見えました。 釣人:せきやん
一文字-3番  2020/06/21 (10時〜16時)
グレ 23〜26p 15匹 オキアミ フカセ釣り
ウマズラハギ 38p 1匹 オキアミ フカセ釣り
   p  匹    
   p  匹    
浮くこともなく良型もでませんでした。 釣人:k,t
西-5番  2020/06/21 (6時〜16時)
グレ 22〜26p 8匹 オキアミ フカセ釣り
   p  匹    
   p  匹    
   p  匹    
久々の西5番、小サバは気にならない程度にいますが、グレの姿は見えずタナは深いです。 釣人:せきやん
アジュール舞子   2020/06/15 (6時〜15時)
グレ 22〜31p 14匹 オキアミ フカセ釣り
   p  匹    
   p  匹    
   p  匹    
小サバ多く大苦戦。グレは一度も浮くこと無く、タナは深いです。 釣人:管理人
アジュール舞子   2020/06/15 (6時〜15時)
グレ 23〜26p 7匹 オキアミ フカセ釣り
   p  匹    
   p  匹    
   p  匹    
やる気満々の小サバが湧いています。さしえさが通らずウキ2Bとかも使いました。気持ちが折れそうでした。 釣人:せきやん
アジュール舞子   2020/06/12 (6時〜15時)
グレ 20〜31p 36匹 オキアミ フカセ釣り
   p  匹    
   p  匹    
   p  匹    
小サバが厄介です。特に午後は大きな群れが入り、グレは殆ど釣れませんでした。30pUPは3枚です。 釣人:管理人
アジュール舞子   2020/06/12 (6時〜15時)
グレ 30p 1匹 オキアミ フカセ釣り
グレ 21〜25p 14匹 オキアミ フカセ釣り
   p  匹    
   p  匹    
管理人さんと釣りをしたのですが、圧倒的大差でした。初めてネリエでグレを2枚釣れました。 釣人:せきやん
中央-4番  2020/06/10 (6時〜7時)
豆アジ 6〜8p 100匹 アミエビ サビキ釣り
   p  匹    
   p  匹    
   p  匹    
早朝1時間の釣果です。 釣人:もと
一文字-3番  2020/06/07 (7時〜14時)
グレ 23〜29p 27匹 オキアミ フカセ釣り
   p  匹    
   p  匹    
   p  匹    
無数のグレがういてました。 釣人:k,t
アジュール舞子   2020/06/08 (6時〜12時)
グレ 30p 2匹 オキアミ フカセ釣り
グレ 23〜26p 6匹 オキアミ フカセ釣り
   p  匹    
   p  匹    
垂水で初めて水面直下で数百匹の帯状の湧きグレを見ました。ウキを避けるように釣れませんでした。 釣人:せきやん
東-3番  2020/05/30 (9時〜19時)
グレ 18〜25p 50匹 オキアミ フカセ釣り
アジ 18p 20匹    
   p  匹    
   p  匹    
ノリさんと2人の釣果です。マーカーで合わせる疲れる釣り。 釣人:蔵之臣
アジュール舞子   2020/06/02 (6時〜15時)
グレ 20〜31p 13匹 オキアミ フカセ釣り
   p  匹    
   p  匹    
   p  匹    
相変わらず喰いは悪いです。 釣人:管理人
アジュール舞子   2020/05/30 (6時〜16時)
グレ 20〜25p 9匹 オキアミ フカセ釣り
   p  匹    
   p  匹    
   p  匹    
グレはたくさん浮いているのですが、小さなアタリをアワセきれませんでした。 釣人:管理人
アジュール舞子   2020/05/30 (6時〜16時)
グレ 20〜30p 10匹 オキアミ フカセ釣り
   p  匹    
   p  匹    
   p  匹    
釣れそうな午前中が当て潮で難しかったです。オキアミの反応が悪いので、次回ネリエの勉強をしたいと思います。 釣人:せきやん
東-9番  2020/05/28 (7時〜16時)
チヌ 0p 0匹 オキアミ 紀州釣り
   p  匹    
   p  匹    
   p  匹    
同場所で5人のダンゴ屋が討ち死にでした。どうもアベノマスクがチヌには届いていると考えます。 釣人:kもりた  
アジュール舞子   2020/05/27 (6時〜16時)
グレ 28〜32p 4匹 オキアミ フカセ釣り
グレ 20〜26p 20匹 オキアミ フカセ釣り
   p  匹    
   p  匹    
グレは湧いてますが、オキアミへの反応がすこぶる悪いです。30pUPは全て午後から釣れました。 釣人:管理人
アジュール舞子   2020/05/27 (6時〜16時)
グレ 30〜34p 2匹 オキアミ フカセ釣り
グレ 23〜26p 11匹 オキアミ フカセ釣り
ウマズラ 30p 1匹 オキアミ フカセ釣り
   p  匹    
昼からは終始あて潮で、釣果が出せませんでした。 釣人:せきやん
アジュール舞子   2020/05/25 (6時〜14時)
グレ 22〜27p 20匹 オキアミ フカセ釣り
   p  匹    
   p  匹    
   p  匹    
アジュール舞子ではグレが見えていますが、オキアミをなかなか口にくわえてもらえません。 釣人:せきやん
アジュール舞子   2020/03/26 (7時〜12時)
チヌ 49p 1匹 オキアミ フカセ釣り
カンダイ 37p 1匹 オキアミ フカセ釣り
   p  匹    
   p  匹    
なんとか一匹つれました。 釣人:k,t
東-1番  2020/03/25 (10時〜17時)
ハゼ 10p 1匹 オキアミ フカセ釣り
   p  匹    
   p  匹    
   p  匹    
7時間エサ撒いて、当たりなし。チヌも潮もコロナで?動いていません。 釣人:kもりた  
東-6番  2020/03/07 (12時〜17時)
チヌ 31p 1匹 オキアミ フカセ釣り
ハネ 46p 1匹 オキアミ フカセ釣り
   p  匹    
   p  匹    
置き竿で小をしていたらパラパラとラインが出て釣れていました。今年の福田川河口はチヌが少ない様に思います。 釣人:せきやん
東-6番  2020/02/23 (13時〜17時)
チヌ 45p 1匹 オキアミ フカセ釣り
ウマズラ 30p 1匹 オキアミ フカセ釣り
   p  匹    
   p  匹    
餌取りはいますが、たまにオキアミが残る様になったので、竿1本少し タナ約3.5ヒロで14時にバラし、16時40分に1枚釣れました。 釣人:せきやん
東-6番  2020/02/08 (12時〜17時)
チヌ 42〜46p 2匹 コーン フカセ釣り
   p  匹    
   p  匹    
   p  匹    
PM3時と4時に、竿2本前後、タナ4ヒロ半〜5ヒロでコーンで釣れました。5年ぶりにナイトさんに会えたのが嬉しかったです。 釣人:せきやん
西-5番  2020/01/16 (8時〜13時)
チヌ 47p 1匹 ネリエ フカセ釣り
   p  匹    
   p  匹    
   p  匹    
急遽空いた時間に強行釣り行き^_^ 先日のリベンジ出来て良かった〜。オセンまだ頑張ってます。 釣人:ヤート
西-5番  2020/01/11 (7時〜13時)
グレ 20〜25p 7匹 アオサ フカセ釣り
   p  匹    
   p  匹    
   p  匹    
小型ですがアオサで釣れました。オセンの動きもかなり鈍くなってきました。 釣人:せきやん
一文字-4番  2020/01/05 (7時〜14時)
グレ 20〜25p 24匹 オキアミ フカセ釣り
グレ 29〜31p 2匹 オキアミ フカセ釣り
   p  匹    
   p  匹    
何とか2枚良型が釣れました。キーパーバッカンの中にのりをたくさん吐き出していました。 釣人:せきやん
中央-5番  2020/01/04 (7時〜15時)
グレ 20〜25p 12匹 オキアミ フカセ釣り
   p  匹    
   p  匹    
   p  匹    
初釣りです。年が明けてもオセンは元気です。後半は西風が強まり釣りにならず。 釣人:管理人
西-5番  2020/01/04 (7時〜16時)
グレ 20〜25p 14匹 オキアミ フカセ釣り
   p  匹    
   p  匹    
   p  匹    
おめでとうございます。初釣りです。オキアミでまだ釣れました。サイズよりいろんな人と会えた事が良かったです。 釣人:せきやん
西-5番  2019/12/29 (7時〜16時)
グレ 20〜25p 6匹 オキアミ フカセ釣り
   p  匹    
   p  匹    
   p  匹    
喰いが渋くて苦労しました。 釣人:まさ  
西-5番  2019/12/29 (7時〜16時)
グレ 20〜28p 15匹 オキアミ フカセ釣り
   p  匹    
   p  匹    
   p  匹    
沖では全く喰わず。殆ど竿3本先以内で釣れました。これで年内の釣りは終了です。 釣人:管理人
西-5番  2019/12/29 (7時〜16時)
グレ 21〜25p 5匹 オキアミ フカセ釣り
   p  匹    
   p  匹    
   p  匹    
今年最後の釣り行にしては渋い結果に終わってしまいました。最近色々見て学んだ事を来年活かせる様に頑張ります。 釣人:せきやん
西-5番  2019/12/28 (13時〜16時)
グレ 20〜24p 14匹 オキアミ フカセ釣り
   p  匹    
   p  匹    
   p  匹    
必死のパッチで仕事帰りに昼から到着
やはり型は小さいっす。全てリリース
釣人:ヤート
西-5番  2019/12/25 (7時〜14時)
グレ 20〜22p 9匹 オキアミ フカセ釣り
   p  匹    
   p  匹    
   p  匹    
来年もよろしくお願いいたします。 釣人:YH
一文字-4番  2019/12/22 (7時〜14時)
グレ 22〜26p 54匹 オキアミ フカセ釣り
   p  匹    
   p  匹    
   p  匹    
遠投、超遠投、右、左、中、のマキエでも24cm前後のグレが食いかわす事が出来ず、マキエをずらすと少し深い所でフグ‥フグが食ってきます。降参です。 釣人:せきやん
一文字-3番  2019/12/20 (7時〜12時)
グレ 23〜35p 15匹 オキアミ フカセ釣り
   p  匹    
   p  匹    
   p  匹    
垂水で久々の35pの良型よく引きました。もう一匹同型クラスタモ直前針外れ… 釣人:k,t
西-5番  2019/12/18 (7時〜14時)
グレ 20〜28.5p 14匹 オキアミ フカセ釣り
   p  匹    
   p  匹    
   p  匹    
久々に良型1匹でした。昼頃からサヨリがでました。 釣人:YH
中央-11番  2019/12/18 (11時〜16時)
グレ 20〜24p 18匹 オキアミ フカセ釣り
   p  匹    
   p  匹    
   p  匹    
型が小さいです。木っ端多数。納竿前一瞬浮きました。もう1回きたいなー。 釣人:東大阪ファミリー
一文字-4番  2019/12/15 (7時〜14時)
グレ 23〜28p 35匹 オキアミ フカセ釣り
グレ 29〜32p 8匹 オキアミ フカセ釣り
   p  匹    
   p  匹    
AM11時前まで、遠投浅ダナで29〜32cmを8枚、足元での良型バラシ5回、AM11時以降は同じパターンで25cm前後。隣に人が深ダナはためせず。 釣人:せきやん
西-5番  2019/12/14 (7時〜16時)
グレ 21〜24p 18匹 オキアミ フカセ釣り
グレ 30p 1匹 オキアミ フカセ釣り
   p  匹    
   p  匹    
グレの数で後から始めた管理人さんに追いつかれ、あっさり抜かれました。時には集中も出来て楽しかったです。 釣人:せきやん
西-5番  2019/12/14 (7時〜16時)
グレ 20〜24p 24匹 オキアミ フカセ釣り
   p  匹    
   p  匹    
   p  匹    
今回もアオリ狙いは不発。グレは何処を狙っても良型は出ませんでした。オセンは相変わらず活発です。 釣人:管理人
西-5番  2019/12/11 (7時〜1時)
グレ 20〜27.5p 6匹 オキアミ フカセ釣り
   p  匹    
   p  匹    
   p  匹    
今日で、今年の竿納め、来年も宜しくお願いします。 釣人:さわいち
西-5番  2019/12/10 (7時〜16時)
グレ 20〜32.5p 24匹 オキアミ フカセ釣り
   p  匹    
   p  匹    
   p  匹    
久々に30pオーバーが釣れました。早朝、夕方に飲ませもしましたが、今回もアタリゼロでした。 釣人:管理人

西-5番  2019/12/05 (7時〜13時)
グレ 20〜23p 10匹 オキアミ フカセ釣り
   p  匹    
   p  匹    
   p  匹    
釣果も身体も寒い一日でした。 釣人:YH
西-5番  2019/12/04 (8時〜13時)
グレ 21〜24p 15匹 オキアミ フカセ釣り
   p  匹    
   p  匹    
   p  匹    
西風に変わる10時までは良く釣れ、タナは4ヒロ位と深かったです。 釣人:さわいち
一文字-4番  2019/12/01 (7時〜15時)
グレ 20〜24p 26匹 オキアミ フカセ釣り
グレ 25〜26p 7匹 オキアミ フカセ釣り
グレ 29〜33p 2匹 オキアミ フカセ釣り
   p  匹    
昨日の残りマキエにパン粉を足して、グレ初めての垂水一文字に行きました。グレが手前で浮き沖でも浮いているようでしたが、上手く掛け合わす事が出来ませんでした。 釣人:せきやん
西-5番  2019/11/23 (6時〜17時)
グレ 20〜24p 8匹 オキアミ フカセ釣り
アオリイカ 25p 1匹 小アジ 泳がせ釣り
   p  匹    
   p  匹    
アオリは朝一の釣果。グレは集中力無く、釣果が伸びませんでした。 釣人:管理人
西-5番  2019/11/30 (6時〜17時)
アオリイカ 25p 1匹 アジ 泳がせ釣り
グレ 20〜23p 7匹 オキアミ フカセ釣り
   p  匹    
   p  匹    
アオリイカ自己記録更新です 釣人:まさ  
西-5番  2019/11/30 (6時〜16時)
グレ 20〜23p 12匹 オキアミ フカセ釣り
チヌ 50p 1匹 オキアミ フカセ釣り
   p  匹    
   p  匹    
海で食べるカップラーメンは格別に美味しいです。釣りをしている時間より話をしている時間の方が長かったです。 釣人:せきやん
西-5番  2019/11/27 (7時〜14時)
グレ 20〜23p 16匹 オキアミ フカセ釣り
   p  匹    
   p  匹    
   p  匹    
良い型が来ません、残念。 釣人:YH
西-5番  2019/11/27 (7時〜14時)
グレ 20〜23p 16匹 オキアミ フカセ釣り
   p  匹    
   p  匹    
   p  匹    
相変わらず小さいです。 釣人:さわいち
アジュール舞子   2019/11/23 (7時〜14時)
グレ 23〜29p 14匹 オキアミ フカセ釣り
   p  匹    
   p  匹    
   p  匹    
手前のほうは23センチ以下多く沖で少し深くおとすと少しマシなのがきました。 釣人:k,t
西-5番  2019/11/21 (6時〜9時)
アオリイカ 22p 1匹 小アジ 泳がせ釣り
ヒラメ 38p 1匹 小アジ 泳がせ釣り
   p  匹    
   p  匹    
青物のアタリはありませんでしたが、早朝にアオリ、ヒラメが連発しました。小アジの確保が難しいです。 釣人:管理人
中央-11番  2019/11/20 (9時〜15時)
グレ 20〜23p 15匹 オキアミ フカセ釣り
   p  匹    
   p  匹    
   p  匹    
今年は型が小さいです。よう釣らんだけですね。パターン変えてやっても同じでした。 釣人:東大阪ファミリー
西-5番  2019/11/20 (6時〜14時)
グレ 20〜23p 18匹 オキアミ フカセ釣り
   p  匹    
   p  匹    
   p  匹    
久しぶりのフカセ釣り、小型ばかりでした、橋本さん有難うございました。 釣人:さわいち
西-5番  2019/11/17 (6時〜16時)
グレ 20〜24p 26匹 オキアミ フカセ釣り
グレ 25〜29p 4匹 オキアミ フカセ釣り
   p  匹    
   p  匹    
昼からあまり釣れませんでした。思うようにサイズアップ出来ませんでした。 釣人:せきやん
西-5番  2019/11/15 (6時〜11時)
ハマチ 51p 1匹 小アジ 泳がせ釣り
ハネ 69p 1匹 小アジ 泳がせ釣り
チヌ 54p 1匹 小アジ 泳がせ釣り
アオリ 21p 1匹 小アジ 泳がせ釣り
今日は色んな魚が釣れました。早朝に青物のアタリが4回ありましたが、獲れたのは1本のみです。 釣人:管理人
アジュール舞子   2019/11/13 (6時〜11時)
ハネ 52p 1匹 シラサエビ エビ撒き釣り
ツバス 47p 1匹    
   p  匹    
   p  匹    
前回の大物青物バラシのリベンジで太仕掛けで挑んだのですがリベンジならず。 釣人:さわいち
東-1番  2019/11/12 (5時〜15時)
ヒラメ 40p 1匹 小アジ 泳がせ釣り
グレ 20〜25p 59匹 オキアミ フカセ釣り
サヨリ 29〜33p 8匹 オキアミ フカセ釣り
   p  匹    
青物狙いはアタリ無し。グレは20〜22pが湧いており、幾らでも釣れます。沖はサヨリだらけです。 釣人:管理人
中央-11番  2019/11/12 (12時〜16時)
グレ 20〜23p 16匹 オキアミ フカセ釣り
   p  匹    
   p  匹    
   p  匹    
久々の垂水、フカセ、アタリは釣果の倍、バリもおおいです。型が小さかったが、楽しかったです。 釣人:東大阪ファミリー
西-5番  2019/11/10 (6時〜12時)
アオリイカ 15p 1匹 小アジ 泳がせ釣り
   p  匹    
   p  匹    
   p  匹    
小アジが釣れなくなりました。青物のアタリもありませんでした。 釣人:管理人
一文字-3番  2019/11/10 (7時〜12時)
グレ 28〜32p 3匹 オキアミ フカセ釣り
   p  匹    
   p  匹    
   p  匹    
朝イチに良型3匹その後23センチクラスが多数でした。 釣人:k,t
西-5番  2019/11/10 (6時〜17時)
グレ 20〜24p 33匹 オキアミ フカセ釣り
グレ 25〜29p 8匹 オキアミ フカセ釣り
   p  匹    
   p  匹    
マキエと同調したら21cm前後でした。PM2:30からマキエサの先、5mぐらいに仕掛けを入れ忘れた頃に少し良型がきました。 釣人:せきやん
一文字-3番  2019/11/04 (9時〜16時)
グレ 21〜33p 34匹 オキアミ フカセ釣り
   p  匹    
   p  匹    
   p  匹    
20センチ前半がわいてて序盤は大きくても23センチどまり。後半良型がきました。 釣人:k,t
東-3番  2019/10/30 (6時〜10時)
ハマチ 50p 1匹 小アジ 泳がせ釣り
アオリイカ 15p 1匹 小アジ 泳がせ釣り
   p  匹    
   p  匹    
青物のアタリは朝一のみでした。 釣人:管理人
西-5番  2019/10/26 (6時〜16時)
グレ 20〜26p 27匹 オキアミ フカセ釣り
アオリイカ 19〜22p 2匹 小アジ 掛け釣り
   p  匹    
   p  匹    
アオリは8時、12時に釣れました。グレは一日中釣れましたが、良型は出ませんでした。 釣人:管理人
西-5番  2019/10/26 (6時〜16時)
グレ 20〜24p 42匹 オキアミ フカセ釣り
チヌ 44p 1匹 オキアミ フカセ釣り
   p  匹    
   p  匹    
大半が20〜22cmで、遠投をしたり、G8のガン玉を付けて深く入れたり、マキエとサシエサを離したりしたのですが、サイズup出来ませんでした。 釣人:せきやん
西-5番  2019/10/23 (7時〜14時)
グレ 20p 7匹 オキアミ フカセ釣り
ウスバハギ 34p 1匹 オキアミ フカセ釣り
   p  匹    
   p  匹    
多数のグレで7匹のみ20p 釣人:YH
アジュール舞子   2019/10/20 (7時〜13時)
グレ 21〜32p 31匹 オキアミ フカセ釣り
アオリイカ 19p 1匹 エギ ルアー・エギング
   p  匹    
   p  匹    
久々のフカセ。餌さとりもさほどいなく、くればグレで活性高かったです。 釣人:k,t
東-3番  2019/10/21 (6時〜12時)
ツバス 43p 1匹 小アジ 泳がせ釣り
アオリイカ 16p 1匹 小アジ 泳がせ釣り
   p  匹    
   p  匹    
アタリは朝一だけでした。 釣人:管理人
西-5番  2019/10/19 (16時〜21時)
タチウオ 71p 1匹 キビナゴ ウキ釣り
   p  匹    
   p  匹    
   p  匹    
今季初のタチウオです! [Web] 釣人:ヒスイ
西-5番  2019/10/19 (6時〜12時)
アオリイカ 16〜19p 3匹 アジ 掛け釣り
   p  匹    
   p  匹    
   p  匹    
ヤエンで先週のリベンジっす...うまかったぁ〜♪ 釣人:ヤート
西-3番  2019/10/19 (5時〜11時)
アオリイカ 16〜19p 2匹 アジ 掛け釣り
   p  匹    
   p  匹    
   p  匹    
AM7時半に少し型のいい青物がきたのですが、タモ入れで足元のケーソンに潜らればらしてしまいました。 釣人:せきやん
東-1番  2019/10/17 (6時〜12時)
アオリイカ 12〜19p 3匹 小アジ 泳がせ釣り
ツバス 42〜49p 2匹 小アジ 泳がせ釣り
ハネ 40p 1匹 小アジ 泳がせ釣り
   p  匹    
エサ代100円でこれだけ釣れれば上等です。 釣人:管理人
東-1番  2019/10/14 (5時〜12時)
ツバス 44〜46p 2匹 アジ 泳がせ釣り
   p  匹    
   p  匹    
   p  匹    
あたり4回で2匹ゲット、もう少しアジが小さければと悔やまれます。 釣人:まさ
西-3番  2019/10/14 (5時〜12時)
アオリイカ 13〜15p 2匹 エギ ルアー・エギング
   p  匹    
   p  匹    
   p  匹    
アオリは早朝にヒット。飲ませ釣りでは5回アタリがありましたが、全て針ハズレでバラシました。 釣人:管理人
西-3番  2019/10/14 (5時〜12時)
アオリイカ 16〜19p 2匹 エギ ルアー・エギング
ツバス 44p 1匹 アジ 泳がせ釣り
   p  匹    
   p  匹    
アオリイカは夜が明ける前の、5時頃にヤマシタのエギぴょんぴょんで釣れました。 釣人:せきやん
東-3番  2019/10/13 (17時〜23時)
アオリイカ 14〜19p 3匹 アジ 掛け釣り
   p  匹    
   p  匹    
   p  匹    
朝までするつもりだったのですが‥‥当たりが少なく帰ってきました。PM5時30分に集中しました。 釣人:せきやん
アジュール舞子   2019/10/09 (5時〜12時)
チヌ 44p 1匹 シラサエビ エビ撒き釣り
   p  匹    
   p  匹    
   p  匹    
青物が掛かり横に走られたので、仕掛けあげてと言うとなんでやねんと言われ穂先にラインが絡みラインブレイク、ショック! 釣人:さわいち
東-3番  2019/10/09 (6時〜10時)
アオリイカ 14〜15p 2匹 小アジ 泳がせ釣り
   p  匹    
   p  匹    
   p  匹    
アタリは早朝のみ。9時以降、潮が緩むと反応が無くなりました。青物も気配ありません。 釣人:管理人
西-3番  2019/10/05 (5時〜11時)
ハネ 62p 1匹 小アジ 泳がせ釣り
アオリイカ 13〜15p 2匹 小アジ 泳がせ釣り
アオリイカ 22p 1匹 エギ ルアー・エギング
   p  匹    
釣れたのは朝一のみ。青物のボイルは見られませんでした。 釣人:管理人
西-3番  2019/10/05 (5時〜11時)
ツバス 42p 1匹 アジ 泳がせ釣り
   p  匹    
   p  匹    
   p  匹    
1本だけ釣れました。 釣人:せきやん
アジュール舞子   2019/10/02 (5時〜11時)
ツバス 45p 1匹 シラサエビ エビ撒き釣り
ハネ 40〜45p 2匹 シラサエビ エビ撒き釣り
チャリコ 20〜25p 3匹 シラサエビ エビ撒き釣り
   p  匹    
相変わらずマイクロチャリコばかりです。 釣人:さわいち
東-3番  2019/09/30 (5時〜11時)
ハネ 60p 1匹 小アジ 泳がせ釣り
アオリイカ 13p 1匹 エギ ルアー・エギング
ケンサキイカ 12p 1匹 エギ ルアー・エギング
   p  匹    
朝一の1投目で釣れましたが、その後はアタリがありませんでした。同行の2人はそれぞれ青物1本ずつゲットです。 釣人:管理人
東-3番  2019/09/30 (5時〜12時)
ツバス 45p 1匹 アジ 泳がせ釣り
   p  匹    
   p  匹    
   p  匹    
潮が緩んだタイミングで釣れました。 釣人:まさ  
東-3番  2019/09/29 (6時〜12時)
アオリイカ 13〜15p 3匹 アジ 掛け釣り
   p  匹    
   p  匹    
   p  匹    
東4番のテトラで、型のいいアオリがかかったのですがタモをその時にかぎり忘れ、2回抜き上げでばらし。 釣人:せきやん
東-3番  2019/09/25 (5時〜11時)
ハマチ 44p 1匹 小アジ 泳がせ釣り
アオリイカ 13p 1匹 エギ ルアー・エギング
   p  匹    
   p  匹    
この日は2人でアタリは7回、獲れたのが2本だけでした。エサの小アジが大き過ぎて、喰い込まない様です。 釣人:管理人
アジュール舞子   2019/09/25 (5時〜11時)
スズキ 54p 1匹 シラサエビ エビ撒き釣り
ツバス 30〜43p 5匹 シラサエビ エビ撒き釣り
   p  匹    
   p  匹    
チャリコとダツが多く潮がいい感じになって消えた時に釣れました
釣人:さわいち
東-9番  2019/09/11 (9時〜15時)
キビレ 30〜赤ちゃんp 2匹 オキアミ 紀州釣り
チヌ 子供p 1匹 オキアミ 紀州釣り
アジ 13〜15p 3匹 オキアミ 紀州釣り
ボラ 68/64p 2匹 オキアミ 紀州釣り
ビーチパラソル下で頑張ッた甲斐なく、喰いません。魚居らん!? 釣人:kもりた
アジュール舞子   2019/09/04 (5時〜11時)
すずき 71p 1匹 シラサエビ エビ撒き釣り
ツバス 44p 1匹 シラサエビ エビ撒き釣り
シオ 25〜30p 2匹 シラサエビ エビ撒き釣り
グレ 30p 1匹 シラサエビ エビ撒き釣り
いろんな賑やかな釣りでした、大物青物80cm
級?バラシ。
釣人:さわいち
東-3番  2019/08/12 (4時〜11時)
ツバス 27p 1匹 アジ 泳がせ釣り
   p  匹    
   p  匹    
   p  匹    
船の往来が多く、汚れた潮の中での奇跡の一本でした。 釣人:まさ  
東-9番  2019/08/07 (6時〜15時)
チヌ 35〜25p 3匹 オキアミ 紀州釣り
アジ 21までp 5匹 オキアミ 紀州釣り
チャリコ 幼稚園生p 1匹 オキアミ 紀州釣り
ボラ 大学生?p 5匹 オキアミ 紀州釣り
炎天下、ビーチパラソル下で頑張りました。 釣人:kもりた
東-9番  2019/07/31 (7時〜14時)
チヌ 40〜25p 2匹 オキアミ 紀州釣り
アジ 22p 3匹 オキアミ 紀州釣り
   p  匹    
   p  匹    
ビーチパラソルの下で頑張りました。 釣人:kもりた
アジュール舞子   2019/07/31 (5時〜10時)
グレ 30〜34.5p 2匹 シラサエビ エビ撒き釣り
チャリコ 18〜24p 10匹 シラサエビ エビ撒き釣り
   p  匹    
   p  匹    
シラサエビで釣れるグレは型がいいです。 釣人:さわいち  
西-5番  2019/07/17 (7時〜16時)
グレ 20〜24p 2匹 オキアミ フカセ釣り
   p  匹    
   p  匹    
   p  匹    
サヨリも湧いてました。 釣人:YH
西-5番  2019/07/13 (7時〜14時)
グレ 23〜27p 5匹 オキアミ フカセ釣り
   p  匹    
   p  匹    
   p  匹    
前半戦最後のフカセ釣り。小サバ、小アジで大苦戦しました。 釣人:管理人
西-5番  2019/07/13 (6時〜15時)
グレ 25〜30p 2匹 オキアミ フカセ釣り
   p  匹    
   p  匹    
   p  匹    
小サバがやっかいです。サヨリが今日はいなかったので、何とか2枚釣れました。 釣人:せきやん
西-5番  2019/07/10 (6時〜13時)
グレ 27〜30p 3匹 オキアミ フカセ釣り
   p  匹    
   p  匹    
   p  匹    
久しぶりのグレ、ほぼ木っ端ばかり、昼前に潮が濁りさっぱり。 釣人:さわいち
西-5番  2019/07/08 (9時〜14時)
キュウセンベラ 10〜17p 32匹 ゴカイ 投げ釣り
アブラメ新子 18p 1匹 ゴカイ 投げ釣り
❓ベラ 12〜15p 3匹 ゴカイ 投げ釣り
   p  匹    
キュウセン、小さいのばかりでした。 釣人:kもりた  
アジュール舞子   2019/07/04 (20時〜23時)
サバ 32〜33p 8匹 アジの切り身 ウキ釣り
   p  匹    
   p  匹    
   p  匹    
短時間で8本も釣れて良かったです! [Web] 釣人:ヒスイ
中央-10番  2019/06/25 (18時〜19時)
豆アジ 5〜8p 238匹 アミエビ サビキ釣り
   p  匹    
   p  匹    
   p  匹    
夕涼みついでにチビを連れて釣行。足元の浅ダナで幾らでも釣れます。 釣人:管理人
西-5番  2019/06/20 (7時〜16時)
グレ 21〜29p 19匹 オキアミ フカセ釣り
ハネ 49p 1匹 カタクチ 泳がせ釣り
   p  匹    
   p  匹    
午前中と後半はサヨリが湧いてお手上げ状態でしたが、その間は入れ喰いでした。ハネはプール内での釣果。 釣人:管理人
西-5番  2019/06/19 (7時〜16時)
グレ 31p 1匹 オキアミ フカセ釣り
   p  匹    
   p  匹    
   p  匹    
1匹ですが、自分の新記録ができました。海面一面にサヨリの占める時間帯がありました。 釣人:YH
西-5番  2019/06/17 (7時〜14時)
グレ 24〜30p 12匹 オキアミ フカセ釣り
   p  匹    
   p  匹    
   p  匹    
今期、初2ケタ釣果です。29〜30.5pの良型が4枚釣れました。 釣人:管理人
東-6番  2019/06/16 (9時〜15時)
グレ 24〜31p 3匹 オキアミ フカセ釣り
チヌ 49p 1匹 オキアミ フカセ釣り
   p  匹    
   p  匹    
昨日の雨で、ゴミが多く、水潮でした。 釣人:せきやん
東-3番  2019/06/14 (5時〜13時)
豆アジ 5〜8p 約70匹 アミエビ サビキ釣り
アジ 21p 1匹 アミエビ サビキ釣り
   p  匹    
   p  匹    
飲ませのエサ用に豆アジを釣りましたが、青物は不発。結局、アジがおかずになりました。21pはまぐれです。 釣人:管理人
西-5番  2019/06/12 (7時〜15時)
グレ 24〜29p 8匹 オキアミ フカセ釣り
   p  匹    
   p  匹    
   p  匹    
形のいいのは昼過ぎに集中しました。 釣人:YH
西-5番  2019/06/09 (6時〜14時)
グレ 22〜26p 8匹 オキアミ フカセ釣り
   p  匹    
   p  匹    
   p  匹    
グレは良く浮きましたが、やはりサシエには反応が悪いです。特に後半はオキアミに見向きもしませんでした。 釣人:管理人
東-6番  2019/06/08 (8時〜11時)
グレ 23〜29p 5匹 オキアミ フカセ釣り
   p  匹    
   p  匹    
   p  匹    
3時間弱、東6番に行ってきました。本流が東流れの時は釣りやすいです。西流れになると難しいです。 釣人:せきやん
東-1番  2019/06/05 (5時〜11時)
メジロ 76p 1匹 シラサ エビ撒き釣り
ハネ 52p 1匹    
   p  匹    
   p  匹    
磯竿1号が5番まで曲がりました、約15分の格闘でした。 釣人:さわいち
西-5番  2019/06/06 (7時〜13時)
グレ 22〜30p 6匹 オキアミ フカセ釣り
   p  匹    
   p  匹    
   p  匹    
グレは見えてますが、さっぱり喰いません。マイクロ木っ葉も多過ぎです。 釣人:管理人
一文字-3番  2019/06/02 (7時〜14時)
グレ 25〜31p 4匹 オキアミ フカセ釣り
マダイ 37p 1匹 オキアミ フカセ釣り
ウマズラ 25〜38p 4匹 オキアミ フカセ釣り
   p  匹    
サイズはいいですがなかなか数釣りできません。 釣人:k,t
一文字-4番  2019/06/01 (8時〜16時)
グレ 31-20p 6匹 オキアミ フカセ釣り
ウマヅラハギ 28p 1匹 オキアミ フカセ釣り
   p  匹    
   p  匹    
10年振りの垂水。30オーバーが釣れて満足しました。 釣人:Kumapapa
東-6番  2019/06/02 (13時〜15時)
グレ 23〜30p 3匹 オキアミ フカセ釣り
   p  匹    
   p  匹    
   p  匹    
残りマキエがあったので、東6番に2時間弱行きました。3枚でしたが釣った感があり面白かったです。 釣人:せきやん
西-5番  2019/06/01 (6時〜13時)
グレ 23〜30p 3匹 オキアミ フカセ釣り
   p  匹    
   p  匹    
   p  匹    
久々に垂水でのグレ釣りですが‥‥難しいです。 釣人:せきやん
西-5番  2019/05/29 (6時〜13時)
グレ 22〜30p 11匹 オキアミ フカセ釣り
   p  匹    
   p  匹    
   p  匹    
パラパラと釣れるのですが連チャンがなかったです。 釣人:さわいち
中央-11番  2019/05/24 (7時〜17時)
グレ 20〜30p 14匹 オキアミ フカセ釣り
   p  匹    
   p  匹    
   p  匹    
久しぶりの30来ました。午後は、食いが悪いです。干潮時水温下がってる感じがします。 釣人:東大阪ファミリー
一文字-3番  2019/05/25 (6時〜11時)
グレ 29〜31p 5匹 オキアミ フカセ釣り
   p  匹    
   p  匹    
   p  匹    
あたれば30クラス。無数のグレがマキエに浮いてる時間ありましたが横動きでなかなか口をつかいません。 釣人:k,t
西-5番  2019/05/22 (7時〜15時)
グレ 22〜24p 2匹 オキアミ フカセ釣り
   p  匹    
   p  匹    
   p  匹    
  釣人:YH  
西-5番  2019/05/22 (7時〜16時)
グレ 25〜31p 4匹 オキアミ フカセ釣り
   p  匹    
   p  匹    
   p  匹    
グレは全く浮きません。午後からは釣果ゼロです。 釣人:管理人
西-5番  2019/05/22 (6時〜15時)
グレ 22〜30p 7匹 オキアミ フカセ釣り
   p  匹    
   p  匹    
   p  匹    
竿4、5本先、棚1〜3ヒロ、7匹中28up
5匹,型揃いでした。
釣人:さわいち
一文字-3番  2019/05/19 (8時〜15時)
グレ 29〜31p 4匹 オキアミ フカセ釣り
マダイ 45p 1匹 オキアミ フカセ釣り
ウマズラ 34p 1匹 オキアミ フカセ釣り
カンダイ 40p 1匹 オキアミ フカセ釣り
午前中のみ昼からはダメでした。マダイきてラッキーでした。回りも30オーバーよくでてました。 釣人:k,t
西-5番  2019/05/17 (8時〜16時)
グレ 23〜27p 3匹 オキアミ フカセ釣り
   p  匹    
   p  匹    
   p  匹    
見えてるグレは木っ葉のみです。良型は全く浮きませんでした。隣の方が37pのグレを釣られました。 釣人:管理人
平磯海つり公園   2019/05/15 (5時〜10時)
ハネ 49p 1匹 シラサ エビ撒き釣り
   p  匹    
   p  匹    
   p  匹    
当たりは頻繫にあるのですがほぼチャリコばかり。 釣人:さわいち
中央-11番  2019/05/16 (13時〜17時)
グレ 27p 1匹 オキアミ フカセ釣り
   p  匹    
   p  匹    
   p  匹    
寝坊しました。木っ端は見えますが、ましなサイズは、みえませんでした。 釣人:東大阪ファミリー
西-5番  2019/05/15 (7時〜15時)
グレ 22〜30p 8匹 オキアミ フカセ釣り
   p  匹    
   p  匹    
   p  匹    
今年初釣りです。30pはラッキーでした。午後からは1匹のみ。 釣人:YH
中央-10番  2019/05/11 (20時〜22時)
アコウ 33p 1匹 シラサエビ エビ撒き釣り
ガシラ 18p 2匹 シラサエビ エビ撒き釣り
メバル 15p 10匹 シラサエビ エビ撒き釣り
   p  匹    
可愛いメバル(10〜15cm)まつりでした。
アコウは宝くじに当たった感じですかねー♪
釣人:こてつ
西-5番  2019/04/25 (10時〜17時)
グレ 20〜28p 7匹 アオサ・オキアミ フカセ釣り
   p  匹    
   p  匹    
   p  匹    
今シーズン最初のグレ狙い。アオサで5枚、オキアミで2枚釣れました。ようやくグレシーズンの到来です。 釣人:管理人
一文字-6番  2019/04/13 (7時〜15時)
スズキ 79p 1匹 オキアミ フカセ釣り
   p  匹    
   p  匹    
   p  匹    
チヌ狙いでしたがダメでした。エサ取りが多過ぎて、かわすことが出来ませんでした。 釣人:管理人
一文字-6番  2019/04/13 (7時〜16時)
チヌ 33p 1匹 オキアミ フカセ釣り
   p  匹    
   p  匹    
   p  匹    
小潮でなのか、ベラ等エサ取りの猛攻が凄かったです。 釣人:せきやん
一文字-6番  2019/04/06 (7時〜16時)
チヌ 38〜40p 3匹 オキアミ フカセ釣り
   p  匹    
   p  匹    
   p  匹    
午前中の潮の早いタイミングで釣れました。 釣人:まさ  
一文字-6番  2019/04/06 (8時〜16時)
チヌ 35〜41p 5匹 オキアミ フカセ釣り
クジメ 22〜23p 2匹 オキアミ フカセ釣り
   p  匹    
   p  匹    
13年振りの垂一釣行。激流で苦戦しましたが、何とか釣ることが出来ました。 釣人:管理人
一文字-6番  2019/04/06 (7時〜16時)
チヌ 39〜41p 2匹 オキアミ フカセ釣り
   p  匹    
   p  匹    
   p  匹    
初めての垂水一文字です。棒ウキを久々に使いたくためしました。流れが速い時は円錐ウキが良かったと思いました。魚影は濃いです。 釣人:せきやん
東-6番  2019/03/15 (13時〜18時)
チヌ 33〜41p 2匹 オキアミ フカセ釣り
   p  匹    
   p  匹    
   p  匹    
納竿間際に連チャンしました。 釣人:管理人
東-6番  2019/03/03 (12時〜17時)
新記録! アイナメ 39.5p 1匹 オキアミ フカセ釣り
チヌ 36〜50p 2匹 オキアミ フカセ釣り
   p  匹    
   p  匹    
14時30分〜15時30分の間、魚の活性が上がりました。竿2本半、タナ5ヒロ 釣人:せきやん
東-6番  2019/03/03 (12時〜17時)
コブダイ 55p 1匹 オキアミ フカセ釣り
   p  匹    
   p  匹    
   p  匹    
ハリス1,5号で横に走ってくれたので、ラインを出してテトラを移動し取れました。 釣人:せきやん
東-1番  2019/03/02 (11時〜17時)
チヌ 37p 1匹 オキアミ フカセ釣り
   p  匹    
   p  匹    
   p  匹    
何とか釣れました。 釣人:ノリさん
東-6番  2019/03/02 (12時〜17時)
チヌ 39p 1匹 ネリエ フカセ釣り
コブダイ 37p 1匹 オキアミ フカセ釣り
ガシラ 10〜14p 8匹 オキアミ フカセ釣り
   p  匹    
エサ取りが多かったので、サシエをネリエに変えると釣れました。 釣人:管理人
東-6番  2019/02/24 (12時〜17時)
チヌ 33p 1匹 オキアミ フカセ釣り
   p  匹    
   p  匹    
   p  匹    
エサ取りが多く、苦戦しました。テトラ際、タナ3.5ヒロで15時に釣れました。 釣人:管理人
東-6番  2019/02/24 (12時〜18時)
チヌ 43p 1匹 オキアミ フカセ釣り
   p  匹    
   p  匹    
   p  匹    
PM4時前に、竿1本半弱、タナ3.3ヒロぐらいで釣れました。 釣人:せきやん
東-6番  2019/02/18 (午後時〜 時)
チヌ 34〜36p 4匹 オキアミ フカセ釣り
   p  匹    
   p  匹    
   p  匹    
15時頃からチヌの四つ子がやって来て、連続で釣れました。 釣人:管理人
東-6番  2019/02/16 (午後時〜 時)
チヌ 37p 1匹 オキアミ フカセ釣り
   p  匹    
   p  匹    
   p  匹    
PM4時に1枚ばらし、PM5時に釣れました。竿1本半、タナ3,8ヒロぐらいで 釣人:せきやん
東-4番  2019/02/10 (終日時〜 時)
チヌ 43〜53p 2匹 オキアミ フカセ釣り
   p  匹    
   p  匹    
   p  匹    
ねばって夕方に年無が釣れました。 釣人:k,t
東-4番  2019/02/10 (午後時〜 時)
チヌ 39p 1匹 オキアミ フカセ釣り
   p  匹    
   p  匹    
   p  匹    
東に流れていた潮が、西向きに流れを変えたPM3時に1枚釣れました。竿2本,4ヒロ 釣人:せきやん
東-6番  2019/01/02 (終日時〜 時)
チヌ 37p 1匹 オキアミ フカセ釣り
   p  匹    
   p  匹    
   p  匹    
開始30分。10時半に釣れました。
その後はのんびり。
釣人:ノリさん
東-6番  2019/02/02 (午後時〜 時)
チヌ 47p 1匹 オキアミ フカセ釣り
コブダイ 40p 1匹    
   p  匹    
   p  匹    
14時に釣れました。テトラ際、タナ3.5ヒロです。 釣人:管理人
東-4番  2019/02/02 (終日時〜 時)
チヌ 40p 1匹 オキアミ フカセ釣り
   p  匹    
   p  匹    
   p  匹    
PM3時頃、竿2本少し、タナ4ヒロ、オキアミで釣れました。 釣人:せきやん
東-5番  2019/02/01 (午後時〜 時)
チヌ 35〜48p 4匹 オキアミ フカセ釣り
   p  匹    
   p  匹    
   p  匹    
今季初チヌです。 釣人:k,t
東-6番  2019/01/27 (終日時〜 時)
チヌ 27〜44p 4匹 オキアミ フカセ釣り
   p  匹    
   p  匹    
   p  匹    
コプのアタリも多くよく切られます. 釣人:ノリさん
東-6番  2019/01/23 (終日時〜 時)
アブラメ 33p 1匹 シラサ エビ撒き釣り
メバル 19,20p 2匹    
   p  匹    
   p  匹    
初釣り、ボーズじゃなくてよかった。 釣人:さわいち <<<
東-6番  2019/01/20 (午後時〜 時)
チヌ 36p 1匹 ネリエ フカセ釣り
ガシラ 16〜19p 4匹 コーン  
コブダイ 30〜40p 3匹 オキアミ  
   p  匹    
今年初チヌです。サイズ以上にうれしい1枚です。 釣人:せきやん
東-8番  2019/01/07 (夜間時〜 時)
メバル 15〜21p 10匹 シラサエビ 胴付き・探り釣り
   p  匹    
   p  匹    
   p  匹    
時間があったので遊ばせてもらいました。 釣人:夕凪
東-6番  2019/01/06 (終日時〜 時)
アイナメ 28p 1匹 ネリエ フカセ釣り
コブダイ 35〜48p 4匹 コーン  
フグ 25〜35p 6匹    
   p  匹    
オキアミでは厳しく。大型コブダイに3回仕掛けを切られ、フグには針を取られました。 釣人:せきやん
西-5番  2019/01/04 (終日時〜 時)
グレ 23〜26p 2匹 オキアミ フカセ釣り
ウマヅラ 18〜37p 2匹    
   p  匹    
   p  匹    
初釣りです。グレは貧果に終わりましたが、いいお土産が釣れました。 釣人:管理人
西-5番  2019/01/04 (終日時〜 時)
グレ 23p 1匹 オキアミ フカセ釣り
アジ  p 6匹    
   p  匹    
   p  匹    
おめでとうございます。今年初釣りで1枚でした。次回はチヌ釣りに頑張ります。 釣人:せきやん
西-5番  2018/12/26 (終日時〜 時)
グレ 21〜30p 6匹 オキアミ フカセ釣り
ウマヅラ 20p 1匹    
   p  匹    
   p  匹    
釣り納めです。最後の最後に30pUPが釣れました。 釣人:管理人
西-5番  2018/12/23 (終日時〜 時)
グレ 21〜29p 12匹 オキアミ フカセ釣り
コウマヅラ  p 2匹    
   p  匹    
   p  匹    
長いこと家で飾っていた、浮きシマノDVCを途中から使いました。凄く便利でした。 釣人:せきやん
西-5番  2018/12/21 (終日時〜 時)
グレ 22〜30p 11匹 オキアミ フカセ釣り
ウマヅラ 21p 1匹    
サヨリ 30p 1匹    
   p  匹    
サヨリも殆ど居らず、釣り易かったのですが、釣果は伸ばせませんでした。 釣人:管理人
東-4番  2018/12/15 (終日時〜 時)
グレ 23〜25p 2匹 オキアミ フカセ釣り
アジ  p 30匹 パン粉ネリエ  
   p  匹    
   p  匹    
大波止先端はアジが多く、昼から東4番で小型2枚、15cm以下のコッパだらけです。 釣人:せきやん
西-5番  2018/12/13 (終日時〜 時)
グレ 25〜27p 2匹 オキアミ フカセ釣り
ウマヅラ 17〜21p 4匹    
   p  匹    
   p  匹    
エサ取りの多さに対処し切れませんでした。 釣人:管理人
西-5番  2018/11/30 (午前中時〜 時)
アオリイカ 17〜20p 3匹 アジ 泳がせ釣り
   p  匹    
   p  匹    
   p  匹    
時期的にボーズ覚悟でしたが...釣れてよかったぁ〜♪ 刺身&唐揚げ!海に感謝♪ 釣人:ヤート
西-5番  2018/11/30 (午前中時〜 時)
グレ 23〜29p 5匹 オキアミ フカセ釣り
ウマヅラ 16〜19p 3匹    
   p  匹    
   p  匹    
オセンの勢いを止められません。
グレは殆ど遠投で釣れました。
釣人:管理人
西-5番  2018/11/16 (終日時〜 時)
グレ 22〜30p 15匹 オキアミ フカセ釣り
アイゴ 35p 1匹    
   p  匹    
   p  匹    
久々の2ケタ釣果です。グレは浮かず、タナは3〜4ヒロと深めです。 釣人:管理人
西-5番  2018/11/14 (終日時〜 時)
グレ 22〜26p 5匹 オキアミ フカセ釣り
   p  匹    
   p  匹    
   p  匹    
西からの強風で仕掛け入りずらく…、タナ3ヒロ 釣人:さわいち
東-3番  2018/11/11 (午前中時〜 時)
アオリ 17p 1匹 小アジ 泳がせ釣り
   p  匹    
   p  匹    
   p  匹    
アタリは朝一に1回あっただけです。釣れる気配無く、お昼にギブアップです。 釣人:管理人
東-3番  2018/11/06 (終日時〜 時)
アオリ 14〜22p 4匹 小アジ 泳がせ釣り
   p  匹    
   p  匹    
   p  匹    
日に日に型が良くなっています。エサのアジはいくらでも獲れます。 釣人:管理人
東-3番  2018/11/04 (午前中時〜 時)
アオリイカ 15〜20p 4匹 アジ 掛け釣り
アジ  p 150匹    
   p  匹    
   p  匹    
流れが速く、竿1本ぐらいの所で釣れました。アジはタモですくいました。 釣人:せきやん
一文字-3番  2018/11/04 (午後時〜 時)
マダイ 30〜45p 3匹 オキアミ フカセ釣り
チャリコ 22〜26p 9匹    
   p  匹    
   p  匹    
内向きグレ不調で全体であがらず。マダイが。もう一匹針外れでいいのバラシ。 釣人:k,t

西-5番  2018/11/03 (終日時〜 時)
グレ 21〜29p 8匹 オキアミ フカセ釣り
アオリ 16p 1匹 小アジ  
   p  匹    
   p  匹    
フカセと泳がせの二刀流で狙いました。グレのタナが一定で無く、かなり苦戦しました。 釣人:管理人
西-5番  2018/11/03 (終日時〜 時)
グレ 21〜23p 4匹 オキアミ フカセ釣り
   p  匹    
   p  匹    
   p  匹    
今日も一生懸命したのですが4枚、サイズも伸びませんでした。 釣人:せきやん
東-3番  2018/11/01 (終日時〜 時)
アオリ 12〜20p 3匹 小アジ 泳がせ釣り
   p  匹    
   p  匹    
   p  匹    
ようやく20p超えが釣れました。午後からはアタリ無しです。 釣人:管理人
アジュール舞子   2018/10/28 (午後時〜 時)
メジロ 67p 1匹 オキアミ フカセ釣り
   p  匹    
   p  匹    
   p  匹    
コッパとチャリコのみ。フカセでメジロ、グレ狙いの磯竿1号スリルあり疲れました。 釣人:k,t
東-3番  2018/10/25 (終日時〜 時)
アオリ 15〜18p 3匹 小アジ 泳がせ釣り
   p  匹    
   p  匹    
   p  匹    
終日粘って3杯です。なかなかしんどい釣りです。 釣人:管理人
西-5番  2018/10/20 (夕方時〜 時)
アオリイカ 14〜16p 2匹 活アジ ウキ釣り
タチウオ 76〜86p 6匹 キビナゴ  
マイワシ 13〜16p 14匹 オキアミ  
   p  匹    
イワシは東11。イカは今季初![Web] 釣人:ヒスイ
西-5番  2018/10/21 (終日時〜 時)
アオリ 13〜18p 2匹 エギ2.5号 ルアー・エギング
   p  匹 小アジ  
   p  匹    
   p  匹    
早朝エギングで18p、午後に泳がせ釣りで13pが釣れました。 釣人:管理人
西-5番  2018/10/21 (終日時〜 時)
グレ 20〜23p 6匹 オキアミ フカセ釣り
   p  匹    
   p  匹    
   p  匹    
一生懸命で6枚、サイズが伸びませんでした。 釣人:せきやん
東-3番  2018/10/17 (終日時〜 時)
アオリ 15〜18p 4匹 小アジ 泳がせ釣り
   p  匹    
   p  匹    
   p  匹    
アジで狙うと型が揃いました。
青物はアタリ無しです。
釣人:管理人
中央-7番  2018/10/14 (夕方時〜 時)
豆アジ 12p 68匹 アミエビ サビキ釣り
   p  匹    
   p  匹    
   p  匹    
アジが表層まで食ってきました。ボラに邪魔されながら釣れました。 釣人:ジオング <<<
西-3番  2018/10/14 (夜間時〜 時)
タチウオ 75〜81p 5匹 キビナゴ ウキ釣り
ウマヅラハギ 13〜17p 5匹 オキアミ  
   p  匹    
   p  匹    
タチのアタリは13回でした![Web] 釣人:ヒスイ
西-5番  2018/10/14 (終日時〜 時)
グレ 21p 1匹 オキアミ フカセ釣り
アオリ 8〜13p 2匹 エギ2.5号  
   p  匹    
   p  匹    
グレ居ません。時期がまだ早すぎる様です。アオリは早朝エギングで。 釣人:管理人
西-3番  2018/10/12 (終日時〜 時)
アオリイカ 9〜13p 3匹 エギ2.5号 ルアー・エギング
   p  匹    
   p  匹    
   p  匹    
飲ませ釣りの合間に釣りました。青物狙いは不発です。 釣人:管理人
東-3番  2018/10/09 (午後時〜 時)
メジロ 66p 1匹 小アジ 泳がせ釣り
   p  匹    
   p  匹    
   p  匹    
初青物でした!引きがかなり強くて、楽しかったです。 釣人:さんだファーマー
西-3番  2018/10/03 (終日時〜 時)
ハマチ 43〜45p 2匹 小アジ 泳がせ釣り
   p  匹    
   p  匹    
   p  匹    
午前中は全くアタリはありませんでしたが、午後から単発で2本獲れました。 釣人:管理人
西-3番  2018/10/03 (終日時〜 時)
ハマチ 46p 1匹 アジ 泳がせ釣り
   p  匹    
   p  匹    
   p  匹    
貴重な一匹です❗ 釣人:サトシF
東-1番  2018/09/28 (夜間時〜 時)
タチウオ 68〜78p 4匹 キビナゴ ウキ釣り
   p  匹    
   p  匹    
   p  匹    
2時間で釣れました![Web] 釣人:ヒスイ
東-3番  2018/09/28 (終日時〜 時)
アオリ 7〜13p 7匹 エギ2.5号 ルアー・エギング
   p  匹    
   p  匹    
   p  匹    
潮が速すぎて苦戦しました。まだまだキープサイズは少ないです。 釣人:管理人
アジュール舞子   2018/09/26 (午前中時〜 時)
ハマチ 42〜46p 4匹 シラサ エビ撒き釣り
   p  匹    
   p  匹    
   p  匹    
終了間際に群れが入って来ました,バラシ2回 釣人:さわいち
西-5番  2018/09/18 (終日時〜 時)
グレ 20〜28p 25匹 オキアミ フカセ釣り
アイゴ 38p 1匹 パン粉の練り餌  
   p  匹    
   p  匹    
今日はオセン達が優秀な動きをしてくれました(笑) 釣人:ヤート
西-3番  2018/09/18 (午前中時〜 時)
ハマチ 43p 1匹 イワシ 泳がせ釣り
ハネ? 45p 1匹    
   p  匹    
   p  匹    
ハネは、少しへんだったので海にお帰りしてもらいました❗ 釣人:サトシF
西-3番  2018/09/13 (終日時〜 時)
メジロ 64p 1匹 イワシ 泳がせ釣り
   p  匹    
   p  匹    
   p  匹    
久しぶりの青物です❗ 釣人:サトシF
西-3番  2018/09/13 (終日時〜 時)
ハマチ 45〜46p 2匹 カタクチ 泳がせ釣り
セイゴ 15〜25p 4匹    
ガシラ 13〜24p 4匹    
   p  匹    
ハマチは15時〜16時にヒット。ガシラは潮止まりの間に探りで釣りました。 釣人:管理人
アジュール舞子   2018/08/29 (午前中時〜 時)
グレ 25〜28p 6匹 シラサ エビ撒き釣り
チャリコ 20〜26p 2匹    
   p  匹    
   p  匹    
エビ撒きなのにグレばかり 釣人:さわいち
アジュール舞子   2018/08/28 (夜間時〜 時)
アオリイカ 9〜14p 4匹 エギ ルアー・エギング
   p  匹    
   p  匹    
   p  匹    
エギにだいてくるサイズはまだ少ないですが今季発アオリです。 釣人:k,t
アジュール舞子   2018/08/21 (夜間時〜 時)
ケンサキイカ 12p 1匹 キビナゴ ウキ釣り
   p  匹    
   p  匹    
   p  匹    
昨日も一匹、不調です。アタリ有りますが、ちゃちゃを入れてくるのは他の魚ばかり。 釣人:トシ
西-4番  2018/08/22 (午前中時〜 時)
キュウセンベラ 7 〜19p 23匹 青虫 投げ釣り
イソべラ 8~19p 12匹 ルアー  
タチウオ 66〜69p 2匹    
   p  匹    
ベラはチビ鯛に邪魔されて苦戦、夜釣りのイカ釣りは太刀魚に変わりました。 釣人:さわいち
西-3番  2018/08/22 (夜間時〜 時)
アオリイカ 9〜11p 3匹 エギ ルアー・エギング
   p  匹    
   p  匹    
   p  匹    
またしても、少しだけ行って来ました。 釣人:せきやん
西-5番  2018/08/21 (夜間時〜 時)
アオリイカ 10p 1匹 エギ ルアー・エギング
タチウオ 指3本p 2匹 ビックバッカー  
   p  匹    
   p  匹    
太刀魚を初めてルアーで釣りました。 釣人:せきやん
西-2番  2018/08/21 (夜間時〜 時)
アオリイカ 5〜10p 2匹 エギ ルアー・エギング
タチウオ 65〜75p 3匹 ミノー  
   p  匹    
   p  匹    
アオリは時期が早く、キーパーサイズは無し。19時半よりタチウオ狙い。湧いてます。 釣人:管理人
西-3番  2018/08/20 (夜間時〜 時)
アオリイカ 10〜12p 2匹 エギ ルアー・エギング
   p  匹    
   p  匹    
   p  匹    
1時間だけ行ってきました。 釣人:せきやん
西-3番  2018/08/19 (夜間時〜 時)
アオリイカ 9〜10p 4匹 エギ ルアー・エギング
ケンサキイカ 9p 1匹    
   p  匹    
   p  匹    
ワンド内は、指3本ぐらいの太刀魚がわいていました。 釣人:せきやん
東-3番  2018/08/16 (夜間時〜 時)
サバ 35−40p 1匹 ジグ ルアー・エギング
タチウオ 70p 2匹 ミノージグ  
   p  匹    
   p  匹    
ケミ付で誘うと寄ってきたのはタッチー。高価なルアーをブチ切ってジエンド。 釣人:トシ
東-3番  2018/08/15 (夜間時〜 時)
サバ 35−40p 2匹 ジグ(グロー系) ルアー・エギング
   p  匹    
   p  匹    
   p  匹    
昨日はボウズ、光り物に変えたら釣果出ました。 釣人:トシ
東-3番  2018/08/13 (夜間時〜 時)
サバ 35−40p 1匹 ジグ ルアー・エギング
   p  匹 ミノージグ  
   p  匹    
   p  匹    
風強くベイト少ないみたいで不調でした。きずしの写真ですみません。 釣人:トシ
西-5番  2018/08/13 (午前中時〜 時)
グレ 23〜27p 3匹 オキアミ フカセ釣り
   p  匹    
   p  匹    
   p  匹    
小サバ、青アジ、赤アジ、ウルメイワシが湧いています。オキアミでは難しいです。 釣人:せきやん
東-3番  2018/08/10 (夜間時〜 時)
サバ 35−40p 5匹 ジグ ルアー・エギング
   p  匹 ミノージグ  
   p  匹    
   p  匹    
大潮の今日はタチウオが少なく、サバの時合が続きました。子供と2人1時間の釣果 釣人:トシ
東-3番  2018/08/09 (夜間時〜 時)
サバ 35−40p 2匹 ジグ ルアー・エギング
タチウオ 70p 2匹 シンペン  
   p  匹    
   p  匹    
19時30分から20時30分が最初の時合です。 釣人:トシ
中央-5番  2018/08/08 (夜間時〜 時)
40p 1匹 ジクサビキ ルアー・エギング
25p 1匹    
太刀魚 60p 10匹    
   p  匹    
目の前で泳いでます 釣人:take <<<
中央-11番  2018/08/08 (夕方時〜 時)
サバ 38p 1匹 キビナゴ ウキ釣り
タシウオ 60p 5匹    
   p  匹    
   p  匹    
アウトレットでの買い物帰りに1時間ほど試しました。タチウオ湧いてます。 釣人:管理人
東-3番  2018/08/05 (夜間時〜 時)
サバ 34〜40p 11匹 アジの切り身 ウキ釣り
サバ 15〜28p 8匹 オキアミ  
小アジ 8〜12p 62匹    
   p  匹    
20時〜22時が入れ食いでした![Web] 釣人:ヒスイ
西-3番  2018/08/04 (夜間時〜 時)
サバ 35〜43p 4匹 キビナゴ ウキ釣り
   p  匹    
   p  匹    
   p  匹    
まとまった群れが入った様で、連続でヒットしました。小サバも多いです。 釣人:管理人
西-3番  2018/08/02 (夜間時〜 時)
サバ 38p 1匹 キビナゴ ウキ釣り
   p  匹    
   p  匹    
   p  匹    
小サバが多くて厄介です。 釣人:管理人
西-3番  2018/07/28 (午前中時〜 時)
ガシラ 15〜20p 8匹 豆アジ切り身 胴付き・探り釣り
   p  匹    
   p  匹    
   p  匹    
飲ませ釣りの合間に釣りました。エサはサビキで釣った豆アジの切り身です。 釣人:管理人
西-3番  2018/07/24 (夜間時〜 時)
サバ 34p 1匹 キビナゴ ウキ釣り
   p  匹    
   p  匹    
   p  匹    
アタリは殆どありません。やはり、アジュール舞子の方が釣れてるみたいです。 釣人:管理人
アジュール舞子   2018/07/18 (午前中時〜 時)
ツバス 30〜32p 2匹 シラサ エビ撒き釣り
チャリコ 18〜22p 14匹    
   p  匹    
   p  匹    
頻繫にあたりはあるのですが小物ばかり、釣友は60cm真鯛 釣人:さわいち
西-5番  2018/07/18 (終日時〜 時)
グレ 22〜27p 6匹 オキアミ フカセ釣り
   p  匹 イシゴカイ  
   p  匹    
   p  匹    
漂うゴミと暑さに苦戦でした。写真はサイズ調整に失敗、不掲載にさせて下さい。 釣人:YH <<<
西-5番  2018/07/15 (終日時〜 時)
グレ 20〜23p 2匹 オキアミ フカセ釣り
   p  匹 石ゴカイ  
   p  匹    
   p  匹    
3人がかりで釣らせて頂きました。(感謝!感謝!でございます) 釣人:ヤート
アジュール舞子   2018/07/14 (夜間時〜 時)
サバ 35〜38p 9匹 アジの切り身 ウキ釣り
   p  匹    
   p  匹    
   p  匹    
大漁〜!![Web] 釣人:ヒスイ
西-5番  2018/07/15 (夕方時〜 時)
豆アジ 5〜10p 100匹 アミエビ サビキ釣り
   p  匹    
   p  匹    
   p  匹    
フカセの後に釣りました。プール内、沖向き、どこでも釣れます。 釣人:管理人
西-5番  2018/07/15 (終日時〜 時)
グレ 21〜30p 4匹 オキアミ フカセ釣り
   p  匹    
   p  匹    
   p  匹    
暑すぎて、集中力が欠けました。グレは浮いてますが喰いは悪いです。 釣人:管理人
西-5番  2018/07/15 (終日時〜 時)
グレ 24〜27p 6匹 オキアミ フカセ釣り
   p  匹    
   p  匹    
   p  匹    
今日は暑く、熱中症寸前でした。わいわい楽しい1日でした。 釣人:せきやん
東-1番  2018/07/14 (午前中時〜 時)
なし 0p 0匹 オキアミ 紀州釣り
   p  匹 コーン  
   p  匹 ネリエ  
   p  匹    
久々の釣行でしたが、反応皆無でした。 釣人:風 <<<
西-5番  2018/07/11 (終日時〜 時)
グレ 22〜24p 4匹 オキアミ フカセ釣り
   p  匹    
   p  匹    
   p  匹    
オセンだけがやたらと元気で肝心のグレは水潮でさっぱりdesita. 釣人:さわいち
西-5番  2018/07/11 (終日時〜 時)
グレ 23〜25p 3匹 オキアミ フカセ釣り
   p  匹 ゴカイ  
   p  匹    
   p  匹    
水は黒っぽく濁り、ごみも多い状況です。 釣人:YH
西-5番  2018/07/08 (終日時〜 時)
グレ 20〜30p 8匹 オキアミ フカセ釣り
   p  匹    
   p  匹    
   p  匹    
雨の影響で緑色の水潮でした。大量のゴミが次から次へ、小サバも多かったです。 釣人:せきやん
アジュール舞子   2018/06/30 (夜間時〜 時)
サバ 33p 2匹 アジの切身 ウキ釣り
   p  匹    
   p  匹    
   p  匹    
小さめ初物ゲット! [Web] 釣人:ヒスイ
西-5番  2018/07/01 (終日時〜 時)
グレ 23〜30p 4匹 オキアミ フカセ釣り
   p  匹    
   p  匹    
   p  匹    
昼から南風が強く釣れず。昼前グレは見えましたがど真ん中でもオキアミは食いません。 釣人:せきやん
西-5番  2018/06/25 (終日時〜 時)
グレ 20〜32p 6匹 オキアミ フカセ釣り
   p  匹 アオサ  
   p  匹 パン粉練り餌  
   p  匹    
午後の方が釣れました。オキアミ1匹 アオサ2匹 パン粉練り餌3匹 手まり寿司に♪ 釣人:ヤート
西-5番  2018/06/24 (終日時〜 時)
グレ 22〜29p 4匹 オキアミ フカセ釣り
   p  匹    
   p  匹    
   p  匹    
終日コッパとグレの姿が見えませんでした。難しいです。 釣人:せきやん
中央-11番  2018/06/21 (終日時〜 時)
グレ 20〜25p 9匹 オキアミ フカセ釣り
   p  匹    
   p  匹    
   p  匹    
木っ端多数、午後からはアタリなし。遠投で釣れました。 釣人:東大阪ファミリー
中央-11番  2018/06/16 (終日時〜 時)
グレ 23〜24p 2匹 オキアミ フカセ釣り
   p  匹    
   p  匹    
   p  匹    
木端グレは10枚以上釣れましたが、サイズアップが出来ませんでした。 釣人:せきやん
西-5番  2018/06/15 (終日時〜 時)
グレ 21〜28p 6匹 オキアミ フカセ釣り
   p  匹    
   p  匹    
   p  匹    
午前中は何度かグレは浮きました。午後からはグレの姿は消え、釣果ゼロです。 釣人:管理人
西-5番  2018/06/13 (終日時〜 時)
グレ 22〜24p 5匹 オキアミ フカセ釣り
   p  匹    
   p  匹    
   p  匹    
雨続きの水曜日久しぶりの釣り、午後から濁り潮、あて潮、、強風、、釣果なし。 釣人:さわいち
中央-11番  2018/06/10 (終日時〜 時)
グレ 22〜26p 5匹 オキアミ フカセ釣り
   p  匹    
   p  匹    
   p  匹    
当て潮、向かい風、ボラ等に00号の浮きを3個ロスト、色々ある1日でした。 釣人:せきやん
東-3番  2018/06/03 (夜間時〜 時)
アコウ 32p 1匹 サバの切り身 胴付き・探り釣り
ガシラ 16〜22p 3匹    
   p  匹    
   p  匹    
日没後にドスンとアコウ。夕方、イワシが回遊していました。 釣人:ゴールドブレンド
東-3番  2018/06/03 (午後時〜 時)
アブシン 12〜15p 6匹 青虫 投げ釣り
イソベラ 15p 2匹    
キュウセン 12p 2匹    
   p  匹    
ぼちぼちキュウセンが釣れはじめました。 釣人:ゴールドブレンド
中央-11番  2018/06/03 (終日時〜 時)
グレ 21〜27p 8匹 オキアミ フカセ釣り
   p  匹    
   p  匹    
   p  匹    
タナはすべて2ヒロ〜4ヒロで釣れました。終日グレは浮きませんでした。 釣人:せきやん
西-5番  2018/05/29 (終日時〜 時)
グレ 20〜25p 4匹 アオサ フカセ釣り
   p  匹    
   p  匹    
   p  匹    
オキアミ→微妙なアタリ→素鈎り→絶叫→繰り返し(笑)なんとかアオサで釣れました。 釣人:ヤート
西-5番  2018/05/29 (終日時〜 時)
グレ 23〜26p 3匹 オキアミ フカセ釣り
   p  匹    
   p  匹    
   p  匹    
グレは見えているのにさっぱり喰いません。 釣人:管理人
中央-11番  2018/05/28 (終日時〜 時)
グレ 20〜27p 13匹 オキアミ フカセ釣り
   p  匹    
   p  匹    
   p  匹    
朝は食い悪く、午後浮きましたが、食わせきれませんでした。 釣人:東大阪ファミリー
東-3番  2018/05/27 (午後時〜 時)
クジメ 26p 1匹 青虫 投げ釣り
ガシラ 20p 1匹 マムシ  
アブシン、ベラ 12〜15p 7匹    
   p  匹    
(たぶん)カンダイに竿を持ってかれました。なんとか回収。油断大敵です。 釣人:ゴールドブレンド
アジュール舞子   2018/05/27 (午前中時〜 時)
グレ 23〜29p 4匹 オキアミ フカセ釣り
アイゴ 37p 1匹    
カンダイ 61p 1匹    
   p  匹    
一時グレうきましたがなかなかくわず。いいアイゴとカンダイがつれました。 釣人:k,t
西-5番  2018/05/27 (終日時〜 時)
グレ 33.2p 1匹 アオサ フカセ釣り
   p  匹 オキアミ  
   p  匹    
   p  匹    
午前中にアオサで釣れた1枚。昼からグレが見えましたが釣る事が出来ませんでした。 釣人:せきやん
中央-11番  2018/05/25 (終日時〜 時)
グレ 21〜27p 2匹 オキアミ フカセ釣り
   p  匹    
   p  匹    
   p  匹    
グレは浮きません。3ヒロぐらい。厳しい状況でした。 釣人:東大阪ファミリー
西-5番  2018/05/24 (終日時〜 時)
グレ 20〜25p 5匹 オキアミ フカセ釣り
   p  匹    
   p  匹    
   p  匹    
メジナ君は刺しエサのオキアミをガン無視でございます。参りました(トホホ) 釣人:ヤート
西-5番  2018/05/24 (終日時〜 時)
グレ 20〜27p 14匹 オキアミ フカセ釣り
   p  匹 アオサ  
   p  匹    
   p  匹    
後半、オキアミでは全く反応が無くなったので、アオサに変えて5枚釣れました。 釣人:管理人
東-3番  2018/05/20 (夜間時〜 時)
ガシラ 17〜22p 2匹 サバの切り身 投げ釣り
アナゴ 35p 2匹 マムシ  
   p  匹    
   p  匹    
圧倒的にサバの切り身>マムシでした。海藻は結構、減りましたね。 釣人:ゴールドブレンド
西-5番  2018/05/20 (終日時〜 時)
グレ 23〜30p 5匹 オキアミ フカセ釣り
   p  匹    
   p  匹    
   p  匹    
午前中グレ見えてました。オキアミの反応が凄く悪いです。昼からは釣れませんでした。 釣人:せきやん
中央-11番  2018/05/17 (終日時〜 時)
グレ 20〜27p 17匹 オキアミ フカセ釣り
   p  匹    
   p  匹    
   p  匹    
後半浮きましたが、渋いです。サギに1匹食べられました。 釣人:東大阪ファミリー
西-5番  2018/05/16 (終日時〜 時)
グレ 21〜28p 11匹 アオサ フカセ釣り
   p  匹 オキアミ  
   p  匹    
   p  匹    
まだまだアオサの方が喰いはいいです。 釣人:管理人
西-5番  2018/05/16 (終日時〜 時)
グレ 22〜24p 3匹 オキアミ フカセ釣り
   p  匹    
   p  匹    
   p  匹    
オキアミでは難しい… 釣人:わいるだー
アジュール舞子   2018/05/16 (午前中時〜 時)
ハネ 45p 1匹 地エビ エビ撒き釣り
マゴチ 42.5p 1匹    
   p  匹    
   p  匹    
エビ撒きもこれから色々と釣れるので楽しみです。 釣人:さわいち
アジュール舞子   2018/05/12 (午前中時〜 時)
グレ 25〜27p 2匹 オキアミ フカセ釣り
小さなマダイ 29p 1匹    
   p  匹    
   p  匹    
今季初グレ狙い。かなりしぶく3〜4ヒロで。寂しい釣果となりました。 釣人:k,t
西-5番  2018/05/13 (午前中時〜 時)
グレ 22〜23p 2匹 アオサ フカセ釣り
   p  匹    
   p  匹    
   p  匹    
前日にオキアミを解凍してから、当日雨とわかりました。 釣人:せきやん
西-5番  2018/05/10 (終日時〜 時)
グレ 20〜28p 16匹 アオサ フカセ釣り
   p  匹 オキアミ  
   p  匹    
   p  匹    
楽しかった〜♪帰ってから刺身と天ぷらにして頂きました!感謝! 釣人:ヤート
西-5番  2018/05/10 (終日時〜 時)
グレ 22〜31p 22匹 アオサ フカセ釣り
   p  匹 オキアミ  
   p  匹    
   p  匹    
アオサではタナ2〜4ヒロ、オキアミではタナ1mで釣れました。 釣人:管理人
西-5番  2018/05/03 (午前中時〜 時)
グレ 27p 1匹 オキアミ フカセ釣り
   p  匹    
   p  匹    
   p  匹    
オキアミで釣れました。 釣人:わいるだー
西-5番  2018/05/05 (終日時〜 時)
グレ 22〜26p 3匹 オキアミ フカセ釣り
   p  匹    
   p  匹    
   p  匹    
昼からオセンが竿2本先まで。昼からグレは深い所にいましたが釣れませんでした。 釣人:せきやん
西-5番  2018/05/01 (終日時〜 時)
グレ 20〜27p 8匹 アオサ フカセ釣り
   p  匹    
   p  匹    
   p  匹    
当たりが渋くてハッキリとウキを沈めるアタリしか合わせれませ〜ん...難しい 汗 釣人:ヤート
西-5番  2018/05/01 (終日時〜 時)
グレ 22〜28p 17匹 アオサ フカセ釣り
   p  匹    
   p  匹    
   p  匹    
オキアミでも試しましたが、全く反応ありませんでした。 釣人:管理人
西-5番  2018/04/26 (終日時〜 時)
グレ 24p 1匹 アオサ フカセ釣り
   p  匹    
   p  匹    
   p  匹    
私一人ではズーボー濃厚でしたが、管理人さんのおかげで今年の初グレ♪感謝です♪ 釣人:ヤート
西-5番  2018/04/26 (終日時〜 時)
グレ 24〜31p 3匹 アオサ フカセ釣り
   p  匹    
   p  匹    
   p  匹    
今シーズンの開幕戦。底付近で何とか釣ることが出来ました。 釣人:管理人
東-6番  2018/04/21 (午後時〜 時)
チヌ 34p 1匹 オキアミ フカセ釣り
   p  匹    
   p  匹    
   p  匹    
16時頃に釣れました。サイズ以上にうれしい1枚です。 釣人:せきやん
西-5番  2018/04/19 (午前中時〜 時)
チヌ 40p 1匹 オキアミ フカセ釣り
   p  匹    
   p  匹    
   p  匹    
チヌは竿2本先くらい3ヒロで...隣の人がカゴ天秤でオセンかけてました。 釣人:ヤート
アジュール舞子-1番  2018/04/15 (夕方時〜 時)
カレイ 17p 1匹 マムシ 投げ釣り
ガシラ 20、16p 1匹 アオイソメ  
   p  匹    
   p  匹    
今期初カレイでしたが、サイズが…出直しです。次は塩マムシメインで行きます! 釣人:kswk
アジュール舞子   2018/04/15 (夕方時〜 時)
チヌ 33〜36p 2匹 オキアミ フカセ釣り
ガシラ 16p 2匹    
   p  匹    
   p  匹    
銀ピカゲット! [Web] 釣人:ヒスイ
東-6番  2018/04/15 (午後時〜 時)
チヌ 41p 1匹 オキアミ フカセ釣り
   p  匹    
   p  匹    
   p  匹    
雨の影響で強い2枚潮でした。浮きを沈めて穂先で皮一枚、奇跡的に1枚釣れました。 釣人:せきやん
東-6番  2018/04/08 (午後時〜 時)
チヌ 41〜46p 2匹 オキアミ フカセ釣り
   p  匹    
   p  匹    
   p  匹    
竿2本少し、タナ5ヒロ以上沈めながら、グレ針7号で飲ませて釣れました。 釣人:せきやん
東-6番  2018/03/23 (終日時〜 時)
チヌ 41p 1匹 オキアミ フカセ釣り
   p  匹    
   p  匹    
   p  匹    
やや沖で棚4ヒロで釣れました。帰って海鮮ちらし寿司にして頂きました(まいう〜♪) 釣人:ヤート
東-6番  2018/03/18 (午後時〜 時)
チヌ 46p 1匹 オキアミ フカセ釣り
   p  匹    
   p  匹    
   p  匹    
竿の下をやる気の無いチヌが5枚通過していきました。16時に当たりは一度でした。 釣人:せきやん
東-6番  2018/03/17 (終日時〜 時)
チヌ 47p 2匹 オキアミ フカセ釣り
   p  匹    
   p  匹    
   p  匹    
潮がふらつき難しい一日でした。15時以降の釣果です。 釣人:ノリさん
東-6番  2018/03/17 (午後時〜 時)
チヌ 47p 1匹 オキアミ フカセ釣り
   p  匹    
   p  匹    
   p  匹    
久々の釣果です。13時半頃に釣れました。竿1本先、タナ4ヒロちょっとです。 釣人:管理人
東-6番  2018/03/04 (午前中時〜 時)
チヌ 46p 1匹 オキアミ フカセ釣り
   p  匹    
   p  匹    
   p  匹    
今季2回目。久しぶりに魚に出会えました。12時ぐらいに釣れたって感じです。 釣人:ひろ
東-4番  2018/03/04 (午後時〜 時)
チヌ 43p 1匹 オキアミ フカセ釣り
   p  匹    
   p  匹    
   p  匹    
東6番満員で東4番でしました。17時30分に竿1本半、タナ3ヒロ半で釣れました。 釣人:せきやん
東-6番  2018/03/03 (午後時〜 時)
チヌ 45p 1匹 オキアミ フカセ釣り
   p  匹    
   p  匹    
   p  匹    
久しぶりのチヌですが外野から体色が汚いと散々言われたのでリリースしました。 釣人:ノリさん
東-6番  2018/03/02 (午後時〜 時)
チヌ 30p 1匹 オキアミ フカセ釣り
   p  匹    
   p  匹    
   p  匹    
せきやんさんの記事を参考にさせて頂いて 3ヒロで釣れました♪おおきに! 釣人:ヤート
東-6番  2018/02/25 (午後時〜 時)
チヌ 37p 1匹 オキアミ フカセ釣り
   p  匹    
   p  匹    
   p  匹    
あきらめかけていた17時に釣れました。竿1本少し、タナ3ヒロ少しで釣れました。 釣人:せきやん
東-6番  2018/02/22 (午後時〜 時)
チヌ 47p 1匹 オキアミ フカセ釣り
ガシラ 10〜16p 2匹    
   p  匹    
   p  匹    
サシエはたまにかじられる程度で、魚の活性はかなり低いです。 釣人:管理人
東-6番  2018/02/18 (午後時〜 時)
チヌ 38p 1匹 オキアミ フカセ釣り
   p  匹    
   p  匹    
   p  匹    
ボーズが続いていたので、うれしい1枚です。 釣人:せきやん
東-6番  2018/02/15 (午後時〜 時)
チヌ 35〜42p 2匹 オキアミ フカセ釣り
   p  匹    
   p  匹    
   p  匹    
今年の初釣りです。何とかチヌの顔が拝めました。アタリは超渋いです。 釣人:管理人
東-6番  2018/02/11 (午後時〜 時)
クジメ 25p 1匹 オキアミ フカセ釣り
   p  匹    
   p  匹    
   p  匹    
コブダイかもしれませんが、もう少しの所でテトラですれて切れてしまいました。 釣人:せきやん
東-6番  2018/02/04 (午後時〜 時)
チヌ 47p 1匹 オキアミ フカセ釣り
   p  匹 ネリエ  
   p  匹 サナギ  
   p  匹    
お隣がせきやんさんだったとは知らず、、、挨拶もせず、すみませんでした。 釣人:ふじ☆もん
平磯-10番  2018/02/04 (終日時〜 時)
チヌ 51p 1匹 オキアミ フカセ釣り
   p  匹    
   p  匹    
   p  匹    
低水温の為か時期外れのカワハギが何匹も海面に浮いてました。何とか一枚でした。 釣人:k,t
東-6番  2018/02/04 (午後時〜 時)
クジメ 24p 1匹 オキアミ フカセ釣り
   p  匹    
   p  匹    
   p  匹    
チヌの当たりは一度もありませんでした。 釣人:せきやん
東-6番  2018/01/28 (午後時〜 時)
チヌ 30〜40p 2匹 オキアミ フカセ釣り
タケノコメバル 37p 1匹    
クジメ 22p 1匹    
   p  匹    
水温低下でエサ取りがおらず、オキアミで釣れました。 釣人:せきやん
東-6番  2018/01/20 (午後時〜 時)
チヌ 45p 1匹 オキアミ フカセ釣り
   p  匹 コーン  
   p  匹 ネリエ  
   p  匹    
今年やっと釣れました。開始早々にコーンで釣れました。 釣人:せきやん
東-6番  2018/01/07 (午後時〜 時)
アイナメ 35p 1匹 コーン フカセ釣り
   p  匹 ネリエ  
   p  匹    
   p  匹    
チヌかコブダイか当たりは3回ありましたが、沈みテトラで切れてしまいました。 釣人:せきやん
東-6番  2018/01/04 (午後時〜 時)
チヌ 39p 1匹 コーン フカセ釣り
   p  匹 オキアミ  
   p  匹    
   p  匹    
初釣りです。関やんさんにコーンをもらって直ぐに釣れました。餌取り多いです。 釣人:ノリさん
アジュール舞子   2017/12/23 (終日時〜 時)
グレ 23〜30p 8匹 オキアミ フカセ釣り
   p  匹    
   p  匹    
   p  匹    
フグに何度も針をやられチャリコに遊ばれ、餌とりは元気なのにグレはしぶいです。 釣人:k,t
西-5番  2017/12/23 (終日時〜 時)
グレ 20〜27p 5匹 オキアミ フカセ釣り
   p  匹    
   p  匹    
   p  匹    
どこに投げてもオキアミがほぼ残りません。遠投してもチャリコが食ってきます。 釣人:せきやん
アジュール舞子   2017/12/20 (午前中時〜 時)
タイ 38p 1匹 シラサ エビ撒き釣り
   p  匹    
   p  匹    
   p  匹    
今年は今日で竿納め、来年も頑張ります、よろしくお願いします。 釣人:さわいち
中央-11番  2017/12/17 (終日時〜 時)
グレ 21〜29p 6匹 オキアミ フカセ釣り
   p  匹    
   p  匹    
   p  匹    
バケツの水がかなり冷たく、グレの食いも渋くスバリも多かったです。 釣人:せきやん
西-5番  2017/12/11 (終日時〜 時)
グレ 20〜24p 5匹 オキアミ フカセ釣り
   p  匹    
   p  匹    
   p  匹    
午前中は大量のオセンに撃沈。午後からは南風が強まり大苦戦。しんどい釣りでした。 釣人:管理人
西-5番  2017/12/10 (終日時〜 時)
グレ 23〜25p 4匹 オキアミ フカセ釣り
   p  匹    
   p  匹    
   p  匹    
写真プラス最後に1枚です。全面オセンでやられました。 釣人:せきやん

西-5番  2017/12/09 (午前中時〜 時)
グレ 21〜27p 7匹 オキアミ フカセ釣り
   p  匹    
   p  匹    
   p  匹    
久々の垂水。サヨリとバリコはいませんでした。風が強すぎ11時で撤収しました。 釣人:せきやん
西-5番  2017/12/04 (午前中時〜 時)
グレ 23〜27p 14匹 オキアミ フカセ釣り
   p  匹    
   p  匹    
   p  匹    
午後から雨で泣く泣く退散!5番中央やや西でメジロまだ上がってました。 釣人:ヤート
東-11番  2017/12/02 (夜間時〜 時)
マゴチ 38p 1匹 アオイソメ ルアー・エギング
ガシラ 17~20p 2匹    
メバル ~15p 5匹    
   p  匹    
ジグヘッドにアオイソメを付けて底引き。マゴチが釣れました。 釣人:つゑふ
西-5番  2017/11/28 (終日時〜 時)
グレ 23p 8匹 おきあみ フカセ釣り
   p  匹    
   p  匹    
   p  匹    
ピコピコしました♪ 釣人:蔵之臣 <<<
アジュール舞子   2017/11/29 (午前中時〜 時)
ヒラメ 45p 1匹 シラサ エビ撒き釣り
ツバス 45p 1匹    
グレ 25p 1匹    
   p  匹    
朝の一時だけ喰いがたちました、またまた青物1匹バラシ。 釣人:さわいち
西-5番  2017/11/28 (終日時〜 時)
グレ 22〜25p 8匹 オキアミ フカセ釣り
ウマヅラ 20p 1匹    
   p  匹    
   p  匹    
オセン、バリコ、サヨリが多過ぎてサシエが通りません。飲ませは不発でした。 釣人:管理人
東-2番  2017/11/26 (夜間時〜 時)
メバル 15〜22p 8匹 シラサエビ エビ撒き釣り
ガシラ 19p 1匹    
サバ 30p 1匹    
   p  匹    
19時にまとめて釣れました。タナ1ヒロ。その後はサッパリ。 釣人:ゴールドブレンド
一文字-9番  2017/11/25 (終日時〜 時)
メバル 23p 3匹 シラサエビ 胴付き・探り釣り
ガシラ 22p 25匹 アオイソメ  
キュウセンベラ 19p 50匹    
   p  匹    
ガシラ(小)リリース多数。チャリコと各種ベラの引きを楽しめた一日でした 釣人:こてつ
平磯-6番  2017/11/22 (午後時〜 時)
ガシラ 20p 2匹 シラサエビ エビ撒き釣り
アオリイカ 16p 1匹    
マダイ 13p 50匹    
   p  匹    
一投一釣のチャリコ祭となり、アオリイカも運良く上がり楽しい釣りとなりました。 釣人:こてつ
アジュール舞子   2017/11/22 (午前中時〜 時)
ヒラメ 50p 1匹 シラサ エビ撒き釣り
グレ 28p 1匹    
   p  匹    
   p  匹    
棚2ヒロ半まで浮いて来ました、朝いち青物バラシ。 釣人:さわいち
アジュール舞子   2017/11/19 (夕方時〜 時)
チヌ 49.5p 1匹 オキアミ フカセ釣り
小チヌ 25p 1匹    
   p  匹    
   p  匹    
暴風の中ゲット! [Web] 釣人:ヒスイ
西-5番  2017/11/17 (終日時〜 時)
アオリイカ 23p 1匹 アジ 泳がせ釣り
コッパグレ 15p 3匹 オキアミ  
   p  匹    
   p  匹    
当日はお騒がせしました。皆様!呑ませする時は竿受けに竿をキチンと置きましょう 笑 釣人:ヤート
中央-11番  2017/11/20 (終日時〜 時)
グレ 22p 2匹 オキアミ フカセ釣り
   p  匹    
   p  匹    
   p  匹    
全面サヨリその下はバリ子だらけ、お手上げ!本年最後のグレ釣り撃沈!ふーう 釣人:東大阪ファミリー <<<
西-5番  2017/11/17 (終日時〜 時)
グレ 20〜25p 11匹 オキアミ フカセ釣り
   p  匹    
   p  匹    
   p  匹    
結果は、ともかく楽しい一日でした! 釣人:サトシF
西-5番  2017/11/17 (終日時〜 時)
グレ 20〜31p 19匹 オキアミ フカセ釣り
   p  匹    
   p  匹    
   p  匹    
今日はサヨリに加え、バリコが湧いて大苦戦でした。 釣人:管理人
中央-11番  2017/11/13 (終日時〜 時)
グレ 20〜30p 20匹 オキアミ フカセ釣り
   p  匹    
   p  匹    
   p  匹    
サヨリ多すぎ、30センチは、良く引きました 釣人:東大阪ファミリー
西-5番  2017/11/12 (終日時〜 時)
グレ 20〜29p 25匹 オキアミ フカセ釣り
   p  匹    
   p  匹    
   p  匹    
サヨリが多過ぎて厄介です。飲ませもやりましたがノーヒット。 釣人:管理人
西-5番  2017/11/12 (終日時〜 時)
グレ 22〜28p 29匹 オキアミ フカセ釣り
   p  匹    
   p  匹    
   p  匹    
大遠投してもオキアミが取られます。23cm前後が中心です。でも面白いです。 釣人:せきやん
西-5番  2017/11/12 (午前中時〜 時)
グレ 21〜26p 13匹 オキアミ フカセ釣り
ウマズラ 36p 1匹    
   p  匹    
   p  匹    
サヨリとチャリコに苦戦 釣人:まさ <<<
アジュール舞子   2017/11/10 (午後時〜 時)
サヨリ 21〜29p 39匹 オキアミ ウキ釣り
   p  匹    
   p  匹    
   p  匹    
約2時間入れ食いでした![Web] 釣人:ヒスイ
西-5番  2017/11/09 (終日時〜 時)
ハマチ 67p 1匹 アジ ウキ釣り
アオリイカ 20p 4匹 オキアミ  
グレ 25p 3匹    
   p  匹    
やっと海の濁りも取れてラッキーな1日でした。 釣人:ヤート
西-5番  2017/11/08 (終日時〜 時)
アオリ 21p 1匹 小アジ 泳がせ釣り
   p  匹    
   p  匹    
   p  匹    
グレは海一面のサヨリに技術不足でした。 釣人:YH
東-8番  2017/11/07 (夜間時〜 時)
メバル 16 18p 10匹 シラサ 胴付き・探り釣り
   p  匹    
   p  匹    
   p  匹    
20時から22時半 単発のアタリを拾い歩く感じでいまいちでした。 釣人:夕凪
東-1番  2017/11/06 (早朝時〜 時)
メジロ 70p 1匹 小あじ 泳がせ釣り
   p  匹    
   p  匹    
   p  匹    
今年1本目がメジロでしたラッキーです 釣人:ヨッシー
西-5番  2017/11/07 (終日時〜 時)
グレ 20〜27p 26匹 オキアミ フカセ釣り
バリコ 20p 2匹    
アオリ 20p 1匹 小アジ  
   p  匹    
グレのタナは深いです。フカセで釣れたアジをエサにアオリも釣れました。 釣人:管理人
西-4番  2017/11/06 (夕方時〜 時)
カレイ 21〜30p 2匹 青虫 投げ釣り
チヌ 26p 1匹 マムシ  
チャリコ 21p 1匹    
   p  匹    
アジュールの浜で。夕まづめにバババっと釣れました。 釣人:ゴールドブレンド
中央-11番  2017/11/06 (終日時〜 時)
グレ 20〜25p 25匹 オキアミ フカセ釣り
バリ子  p 2匹    
チャリ子  p 数匹匹    
   p  匹    
サイズがもう一つですが、楽しかったです。棚は、2〜4ヒロ深いです。 釣人:東大阪ファミリー
西-5番  2017/11/05 (終日時〜 時)
アオリ 22〜23p 2匹 小アジ 泳がせ釣り
   p  匹    
   p  匹    
   p  匹    
青物はノーヒットでしたが、久しぶりにアオリが釣れました。 釣人:管理人
西-5番  2017/11/05 (終日時〜 時)
グレ 22〜27p 31匹 オキアミ フカセ釣り
   p  匹    
   p  匹    
   p  匹    
グレは浮かず、G7ガン玉浮きを沈めて竿当たりでほとんどが釣れました。 釣人:せきやん
アジュール舞子   2017/11/01 (午前中時〜 時)
ハネ 54p 1匹 シラサ エビ撒き釣り
グレ 23,31p 2匹    
   p  匹    
   p  匹    
青物二度バラシ悔しい 釣人:さわいち
平磯-8番  2017/11/01 (午前中時〜 時)
ベラ 10〜17p 51匹 ごかい 投げ釣り
ハゲ 10〜16p 10匹    
   p  匹    
   p  匹    
ハゲの引きを楽しみました 釣人:秋グレ
東-5番  2017/10/29 (夜間時〜 時)
タチウオ F3前後p 8匹 ルアー(グロー系) ルアー・エギング
   p  匹    
   p  匹    
   p  匹    
台風明けすぐの釣行でようやくまともな釣果でした。 釣人:kswk
西-5番  2017/10/25 (終日時〜 時)
グレ 20〜30p 8匹 オキアミ フカセ釣り
ツバス 48p 1匹 活アジ  
   p  匹    
   p  匹    
フカセをしていると飲ませのラインが走っていました。 釣人:さわいち
西-3番  2017/10/26 (終日時〜 時)
ハマチ 46〜49p 5匹 小アジ 泳がせ釣り
スズキ 70p 1匹 イワシ  
   p  匹 ジグ  
   p  匹    
午前中、数回ナブラが出ました。ジグでも初めてヒットしました。 釣人:管理人
中央-11番  2017/10/24 (終日時〜 時)
グレ 20〜23p 6匹 オキアミ フカセ釣り
   p  匹    
   p  匹    
   p  匹    
終日汚い水潮で厳しい状況でした。一文字との間でナブラが頻繁にありました。 釣人:東大阪ファミリー
西-3番  2017/10/25 (夜間時〜 時)
アオリイカ 17p 1匹 エギ ルアー・エギング
   p  匹    
   p  匹    
   p  匹    
2時間半シャクリ続けて、何とか1杯です。難しくなってきた様に思います。 釣人:せきやん
西-5番  2017/10/24 (終日時〜 時)
ハマチ 46〜47p 2匹 小アジ 泳がせ釣り
アオリ 20p 1匹    
グレ 28p 1匹 オキアミ  
   p  匹    
青物のアタリは4回、アオリ1回のみでした。グレは飲ませの合間にフカセでゲット。 釣人:管理人
西-3番  2017/10/23 (夜間時〜 時)
アオリイカ 13〜16p 3匹 エギ ルアー・エギング
   p  匹    
   p  匹    
   p  匹    
ちょっとだけ、行ってきました。 釣人:せきやん
西-5番  2017/10/18 (終日時〜 時)
グレ 22〜27p 9匹 オキアミ フカセ釣り
アオリイカ 15p 1匹 活アジ  
   p  匹    
   p  匹    
午後から竿4本先で少しましなのが来ました、 釣人:さわいち
西-3番  2017/10/19 (夜間時〜 時)
アオリイカ 12〜13p 3匹 エギ ルアー・エギング
   p  匹    
   p  匹    
   p  匹    
東3番では激流で釣りにならず、西3番に移動しました。 釣人:せきやん
東-3番  2017/10/18 (終日時〜 時)
アオリ 16〜22p 2匹 小アジ 泳がせ釣り
グレ 20〜23p 6匹 オキアミ  
サヨリ 30p 1匹    
   p  匹    
青物の気配無し。アオリもアタリは殆どありません。グレは飲ませの合間にウキ釣りで。 釣人:管理人
西-3番  2017/10/17 (夜間時〜 時)
アオリイカ 12〜16p 3匹 エギ ルアー・エギング
ケンサキイカ 14p 1匹    
   p  匹    
   p  匹    
行ったのが遅かったのですが20時以降は、釣れませんでした。 釣人:せきやん
西-7番  2017/10/14 (午後時〜 時)
ガシラ 30p 1匹 キビナゴ ブッコミ釣り
   p  匹    
   p  匹    
   p  匹    
置き竿にしていたら竿ごと持っていかれたが
なんとか回収したら釣れていた。
釣人:タロウ
西-3番  2017/10/14 (夜間時〜 時)
アオリイカ 10〜15p 7匹 エギ ルアー・エギング
   p  匹    
   p  匹    
   p  匹    
午前中、大波止でアジの掛け針釣りでボーズでした。夜少し西3に行ってきました。 釣人:せきやん
西-5番  2017/10/11 (終日時〜 時)
グレ 20〜28p 12匹 オキアミ フカセ釣り
アオリ 15p  匹 エギ  
   p  匹    
   p  匹    
生まれて初めてエギで釣れました♪ 釣人:ヤート
西-5番  2017/10/11 (終日時〜 時)
グレ 20〜26p 11匹 オキアミ フカセ釣り
   p  匹 ゴカイ  
   p  匹    
   p  匹    
午前中、ごみの多さに不快でした。 釣人:YH
西-5番  2017/10/11 (終日時〜 時)
グレ 22〜27p 9匹 オキアミ フカセ釣り
アオリイカ 12p 1匹 エギ  
   p  匹    
   p  匹    
陽が上がってからもアジでイカを狙ったのですが、明け方のエギのみでした。 釣人:さわいち
東-1番  2017/10/12 (夜間時〜 時)
アオリイカ 10〜19p 2匹 エギ ルアー・エギング
   p  匹    
   p  匹    
   p  匹    
100円のエギを使ってみました。刺さらず良型足元で2杯バラシました。 釣人:せきやん
東-3番  2017/10/11 (終日時〜 時)
アオリ 16〜20p 5匹 小アジ 泳がせ釣り
   p  匹    
   p  匹    
   p  匹    
青物はヒットしましたが獲れず。アオリは潮が動くと頻繁にアタリがありました。 釣人:管理人
アジュール舞子   2017/10/10 (夜間時〜 時)
アオリイカ 11〜19p 10匹 エギ ルアー・エギング
   p  匹    
   p  匹    
   p  匹    
激しいしゃくりでは釣れず、スローなしゃくりで釣れました。 釣人:k,t
東-3番  2017/10/08 (午前中時〜 時)
アオリイカ 23p 1匹 小アジ 泳がせ釣り
   p  匹    
   p  匹    
   p  匹    
安い掛けバリは掛かりにくいようで苦労しました。 釣人:まさ <<<
東-3番  2017/10/08 (終日時〜 時)
アオリ 14〜19p 5匹 小アジ 泳がせ釣り
   p  匹    
   p  匹    
   p  匹    
青物狙いで釣行。アオリしか釣れませんでしたが、型は揃いました。 釣人:管理人
東-3番  2017/10/08 (終日時〜 時)
アオリイカ 10〜16p 6匹 エギ ルアー・エギング
   p  匹 アジ  
   p  匹    
   p  匹    
夜明けまでエギングで5ハイ、夜明けからアジの掛け針釣りで1ハイでした。 釣人:せきやん
アジュール舞子   2017/10/07 (夜間時〜 時)
アオリイカ 11〜20p 9匹 エギ ルアー・エギング
   p  匹    
   p  匹    
   p  匹    
2杯いいのきました。 釣人:k,t
アジュール舞子   2017/10/04 (終日時〜 時)
グレ 20〜23p 18匹 オキアミ フカセ釣り
アオリイカ 12p 1匹 エギ  
   p  匹    
   p  匹    
小型ばかりでした。 釣人:さわいち <<<
西-3番  2017/10/05 (午後時〜 時)
アオリ 10〜16p 6匹 小アジ 泳がせ釣り
   p  匹    
   p  匹    
   p  匹    
青物狙いでしたが、撃沈です。代わりにアオリ2杯、その後エギングで4杯ゲットです。 釣人:管理人
東-3番  2017/10/01 (午前中時〜 時)
ハマチ 45p 1匹 小アジ 泳がせ釣り
アオリ 10〜19p 7匹    
   p  匹    
   p  匹    
アオリ7杯のうち3杯はエギングでの釣果です。ハマチは6時半に釣れました。 釣人:管理人
西-2番  2017/10/01 (夜間時〜 時)
アオリイカ 8〜12p 9匹 エギ ルアー・エギング
ケンサキイカ 11p 1匹    
   p  匹    
   p  匹    
ほぼワンド内、型は小さかったです。 釣人:せきやん
西-3番  2017/09/28 (夜間時〜 時)
アオリイカ 9〜18p 14匹 エギ ルアー・エギング
   p  匹    
   p  匹    
   p  匹    
18時30分〜22時までの釣果。面白いです。 釣人:せきやん
アジュール舞子   2017/09/27 (早朝時〜 時)
アオリイカ 12〜20p 6匹 エギ ルアー・エギング
   p  匹    
   p  匹    
   p  匹    
一匹少し、ましなのきました。 釣人:k,t
東-3番  2017/09/23 (午前中時〜 時)
ハマチ 42p 1匹 小アジ 泳がせ釣り
アオリ 10〜13p 3匹 エギ  
   p  匹    
   p  匹    
飲ませではアタリが3回有り、獲れたのは1本のみ。アオリは早朝エギングで。 釣人:管理人
東-3番  2017/09/23 (午前中時〜 時)
ツバス 37p 1匹 アジ 泳がせ釣り
   p  匹    
   p  匹    
   p  匹    
アオリ狙いでしたが、うれしい誤算です。 釣人:まさ <<<
西-3番  2017/09/19 (早朝時〜 時)
アオリ 11〜12p 3匹 エギ ルアー・エギング
   p  匹    
   p  匹    
   p  匹    
アオリの気配があまり感じられません。 釣人:管理人
西-3番  2017/09/15 (早朝時〜 時)
アオリ 11〜14p 4匹 エギ ルアー・エギング
   p  匹    
   p  匹    
   p  匹    
明るくなってからはノーヒットでした。 釣人:管理人
アジュール舞子   2017/09/13 (終日時〜 時)
アオリイカ 7〜14p 9匹 エギ ルアー・エギング
   p  匹    
   p  匹    
   p  匹    
今日は追いが悪く乗ってきたのは底ばかりでした。 釣人:さわいち
アジュール舞子   2017/09/13 (夜間時〜 時)
ケンサキイカ 12p 4匹 アジ ウキ釣り
   p  匹    
   p  匹    
   p  匹    
人は多いが当たりは少なくアワせ難しい。ケンサキは時期終わりでしょう。 釣人:トシ
西-5番  2017/09/13 (午前中時〜 時)
アオリ(朝) 8〜18p 4匹 エギ ルアー・エギング
アオリ(夜) 7〜11p 6匹    
   p  匹    
   p  匹    
朝、夜と2回釣行。午前10時にようやくマシなサイズが釣れました。夜は小さいです。 釣人:管理人
中央-10番  2017/09/10 (夕方時〜 時)
サッパ 12〜15p 23匹 アミエビ サビキ釣り
イワシ 8p 8匹    
   p  匹    
   p  匹    
餌を撒かなくてもサビキに食い付いてくるほど活性が高かったです。 釣人:ジオング
西-3番  2017/09/10 (早朝時〜 時)
アオリ 7〜12p 8匹 エギ ルアー・エギング
   p  匹    
   p  匹    
   p  匹    
殆どが5時〜6時に釣れました。明るくなってからはさっぱり。 釣人:管理人
西-3番  2017/09/09 (午前中時〜 時)
アオリ 10〜14p 4匹 エギ ルアー・エギング
   p  匹    
   p  匹    
   p  匹    
青物狙いの合間に釣りました。型が少しマシになって来ました。 釣人:管理人
西-3番  2017/09/09 (夜間時〜 時)
アオリイカ 10〜12p 12匹 エギ ルアー・エギング
   p  匹    
   p  匹    
   p  匹    
19時から22時までの釣果です。 釣人:せきやん
アジュール舞子   2017/09/07 (夜間時〜 時)
ケンサキイカ 25p 1匹 アジ ウキ釣り
   p  匹    
   p  匹    
   p  匹    
雨で当たり少ないが、掛かるのは大型ばかり。でも抜き上げ出来たのは1匹のみ。 釣人:トシ
アジュール舞子   2017/09/06 (終日時〜 時)
アオリイカ 10〜15p 14匹 エギ ルアー・エギング
剣先イカ 11〜22p 2匹    
   p  匹    
   p  匹    
初アオリイカ釣りにしては上出来、今日は刺身一杯。 釣人:さわいち
西-1番  2017/09/06 (午前中時〜 時)
スズキ 56〜84p 3匹 イワシ 泳がせ釣り
   p  匹    
   p  匹    
   p  匹    
イワシの確保が困難です。後半はダツの群れが入ってさっぱりでした。 釣人:管理人
西-1番  2017/09/04 (午前中時〜 時)
ブリ 80p 1匹 イワシ 泳がせ釣り
スズキ 65~78p 2匹    
   p  匹    
   p  匹    
えさの確保がたいへんです! 釣人:サトシF
西-1番  2017/09/01 (夕方時〜 時)
カマス 27〜30p 3匹 小アジ 泳がせ釣り
   p  匹    
   p  匹    
   p  匹    
ノマセでカマスゲット! [Web] 釣人:ヒスイ
西-2番  2017/09/03 (午前中時〜 時)
ハマチ 55p 1匹 豆アジ 泳がせ釣り
ハネ 58p 1匹 イワシ  
チヌ 50p 1匹    
   p  匹    
3匹とも浅ダナで喰いました。イカ、ガシラも含め、出来過ぎの1日です。 釣人:管理人
西-3番  2017/09/03 (早朝時〜 時)
ガシラ 15〜23p 8匹 魚切り身 胴付き・探り釣り
   p  匹    
   p  匹    
   p  匹    
飲ませの合間に釣りました。まさと2人の釣果です。 釣人:管理人
西-2番  2017/09/03 (早朝時〜 時)
ケンサキ 10〜15p 2匹 エギ ルアー・エギング
アオリ 6〜11p 6匹    
   p  匹    
   p  匹    
ケンサキは中央6番で、その後西へ移動してアオリを追加。まだ小さいです。 釣人:管理人
西-1番  2017/09/03 (午前中時〜 時)
スズキ 65p 1匹 イワシ 泳がせ釣り
   p  匹    
   p  匹    
   p  匹    
アジには見向きもしませんが、イワシだと一発でかかりました。 釣人:まさ <<<
アジュール舞子   2017/08/30 (夜間時〜 時)
ケンサキイカ 28p 20匹 アジ ウキ釣り
   p  匹    
   p  匹    
   p  匹    
前回5匹、前々回3匹でしたが、30日は12匹
大きいのも混じりました。
釣人:トシ
アジュール舞子   2017/08/30 (終日時〜 時)
グレ 20〜23p 8匹 オキアミ ヌカ切り
   p  匹    
   p  匹    
   p  匹    
グレよりチャリコとサンバソウの活性が高かった。 釣人:さわいち
中央-8番  2017/08/28 (午前中時〜 時)
ケンサキ 10〜13p 2匹 エギ ルアー・エギング
アオリ 6〜10p 9匹    
   p  匹    
   p  匹    
ケンサキ狙いで釣行。ケンサキ不調でアオリ狙いに変更するが、キープサイズは無し。 釣人:管理人
アジュール舞子   2017/08/23 (夜間時〜 時)
剣先イカ 10〜18p 9匹 エギ ルアー・エギング
アオリイカ 9p 2匹    
   p  匹    
   p  匹    
平日なのに凄い数の釣り人、群れが入って来ると連チャンで釣れました。 釣人:さわいち <<<
アジュール舞子   2017/08/23 (終日時〜 時)
グレ 20〜32p 21匹 オキアミ ヌカ切り
アイゴ 35p 1匹 ゴカイ  
   p  匹    
   p  匹    
オキアミよりもゴカイの方が反応が良かったです写真プラス12匹です隣人へお土産です 釣人:さわいち
中央-4番  2017/08/20 (夕方時〜 時)
小アジ 7〜10p 約60匹 アミエビ サビキ釣り
   p  匹    
   p  匹    
   p  匹    
タモで掬えるほど居ます。殆どが青アジでしたが、底付近でたまに赤も釣れました。 釣人:管理人
東-3番  2017/08/20 (午前中時〜 時)
アオリ 6〜9p 7匹 エギ2.5号 ルアー・エギング
   p  匹    
   p  匹    
   p  匹    
飲ませで釣行しましたが、反応が無いため合間に狙いました。1杯のみ子供用にキープ。 釣人:管理人 <<<
東-1番  2017/08/10 (夜間時〜 時)
カマス 25〜26p 3匹 サンマの切り身 ウキ釣り
   p  匹    
   p  匹    
   p  匹    
アタリはすごく多いです。 釣人:ゴールドブレンド
西-4番  2017/08/09 (終日時〜 時)
ベラ 11〜18p 70匹 青虫 投げ釣り
   p  匹    
   p  匹    
   p  匹    
南蛮漬けが食べたくて頑張って釣りました。 釣人:さわいち
東-3番  2017/08/05 (夜間時〜 時)
カマス 26〜28p 2匹 キビナゴ ウキ釣り
   p  匹    
   p  匹    
   p  匹    
サバ狙いの外道で釣れました。アタリは頻繁にありましたが、なかなか掛かりません。 釣人:管理人
アジュール舞子   2017/08/02 (午前中時〜 時)
グレ 20〜25p 6匹 オキアミ フカセ釣り
   p  匹    
   p  匹    
   p  匹    
沢山浮いて来るのですが、エサを負いません、おなかの中はかっらぽです。 釣人:さわいち
西-3番  2017/08/03 (夜間時〜 時)
タチウオ 50〜75p 4匹 サンマ切り身 ウキ釣り
   p  匹    
   p  匹    
   p  匹    
大サバ狙いでしたが、釣れたのは太刀魚ばかり。21〜22時にアタリが集中しました。 釣人:管理人
平磯   2017/08/03 (終日時〜 時)
キュウセンベラ 12〜18p 62匹 ゴカイ 投げ釣り
ホンベラ 14p 5匹    
キス 12p 3匹    
   p  匹    
10時間余頑張って無事生還。おまけはトラギス1、タコ1 釣人:kもりた
アジュール舞子   2017/07/29 (夜間時〜 時)
サバ 34〜41p 3匹 アジの切り身 ウキ釣り
アジ 10〜13p 15匹    
   p  匹    
   p  匹    
私にも釣れました! [Web] 釣人:ヒスイ
東-3番  2017/07/28 (夜間時〜 時)
サバ 38p 1匹 キビナゴ ウキ釣り
   p  匹    
   p  匹    
   p  匹    
PM8時20分に釣れました。竿先が折れ帰りました。 釣人:せきやん
東-8番  2017/07/26 (夜間時〜 時)
メバル 12〜20p 10〜匹 シラサ エビ撒き釣り
ガシラ 12〜20p 10〜匹    
アコウ 27p 1匹    
   p  匹    
メバル狙ってみました。 釣人:夕凪
東-1番  2017/07/22 (夜間時〜 時)
サバ 35〜37p 2匹 キビナゴ ウキ釣り
   p  匹    
   p  匹    
   p  匹    
真夜中にやっと釣れました。 釣人:せきやん
西-3番  2017/07/22 (夜間時〜 時)
サバ 35p 1匹 キビナゴ ウキ釣り
   p  匹    
   p  匹    
   p  匹    
4回目のチャレンジでようやく釣れました。 釣人:管理人
東-3番  2017/07/21 (夜間時〜 時)
太刀魚 指3本少しp 1匹 キビナゴ ウキ釣り
   p  匹    
   p  匹    
   p  匹    
狙いの魚種とは違いました。 釣人:せきやん
アジュール舞子   2017/07/19 (午後時〜 時)
グレ 20〜30p 3匹 オキアミ フカセ釣り
   p  匹    
   p  匹    
   p  匹    
午前は西5で坊主、午後より舞子ワンドへよく浮くも大量のゴミとクラゲにお手上げ 釣人:さわいち
アジュール舞子   2017/07/14 (夜間時〜 時)
サバ 35〜37p 2匹 サンマの切身 ウキ釣り
   p  匹    
   p  匹    
   p  匹    
混雑覚悟で釣行してきました。
二年振りのサバくんの引き・味は格別でした!
釣人:kswk
アジュール舞子   2017/07/08 (夜間時〜 時)
カサゴ 16〜22p 2匹 アジの切り身 投げ釣り
小アジ 10p 1匹    
   p  匹    
   p  匹    
サバは撃沈! [Web] 釣人:ヒスイ
西-1番  2017/07/02 (夕方時〜 時)
イワシ 10〜18p 100匹 アミエビ サビキ釣り
豆アジ 6p 2匹    
   p  匹    
   p  匹    
小サバにイライラ。今年はマイワシが多いですね。今日はアジは駄目でした。 釣人:ゴールドブレンド
西-1番  2017/07/01 (夜間時〜 時)
アナゴ 33p 2匹 アジの切身 投げ釣り
カサゴ 16~20p 2匹    
   p  匹    
   p  匹    
アナゴ居ました! [Web] 釣人:ヒスイ
西-2番  2017/06/29 (午後時〜 時)
スズキ 65p 1匹 イワシ 泳がせ釣り
   p  匹    
   p  匹    
   p  匹    
今年初です!! 釣人:サトシF
西-5番  2017/06/29 (終日時〜 時)
グレ 22〜26p 5匹 オキアミ フカセ釣り
   p  匹    
   p  匹    
   p  匹    
小雨の中頑張りましたが、オセンが多過ぎて撃沈です。 釣人:管理人
西-5番  2017/06/25 (午後時〜 時)
グレ 27p 1匹 オキアミ フカセ釣り
   p  匹    
   p  匹    
   p  匹    
雨上がり午後から行きましたが、グレは浮かず… 釣人:わいるだー
西-5番  2017/06/24 (終日時〜 時)
グレ 24〜27p 3匹 オキアミ フカセ釣り
   p  匹    
   p  匹    
   p  匹    
どこに投げても、オセンだらけでした。 釣人:せきやん
西-5番  2017/06/24 (終日時〜 時)
グレ 25〜30p 2匹 オキアミ フカセ釣り
   p  匹    
   p  匹    
   p  匹    
今日は釣れないと言われてたのでとても嬉しい釣果です。 釣人:ゆうすけ
西-5番  2017/06/23 (終日時〜 時)
グレ 24〜30p 3匹 オキアミ フカセ釣り
   p  匹    
   p  匹    
   p  匹    
グレは殆ど浮かず。撃沈です。 釣人:管理人
東-3番  2017/06/19 (夜間時〜 時)
グレ 24p 1匹 青虫 ウキ釣り
ガシラ 19〜24p 2匹    
メバル 15〜18p 2匹    
   p  匹    
久々の投稿です。タナは底ちょい上ぐらい。海藻が多くて難儀しました。 釣人:ゴールドブレンド
東-5番  2017/06/17 (終日時〜 時)
グレ 25p 1匹 オキアミ フカセ釣り
   p  匹    
   p  匹    
   p  匹    
はい、今日は反省点山ほどありました。<br>ありがとうございました。 釣人:ゆぅすけ
平磯-11番  2017/06/16 (午前中時〜 時)
ベラ 14〜20p 23匹 地ごかい 投げ釣り
   p  匹    
   p  匹    
   p  匹    
東流の引かれ潮での釣り。水温19度台ではベラの活性が低い。 釣人:秋グレ
西-5番  2017/06/14 (終日時〜 時)
グレ 22〜30p 17匹 オキアミ フカセ釣り
   p  匹    
   p  匹    
   p  匹    
この日もウミウのお陰で前半はさっぱり。ウミウが消えた後半は遠投矢引で連発。 釣人:管理人
中央-11番  2017/06/11 (終日時〜 時)
グレ 21〜30p 15匹 オキアミ フカセ釣り
   p  匹    
   p  匹    
   p  匹    
ひょっこりと管理人さんがこられ1枚、その後秋さんがこられ1枚釣って帰られました。 釣人:せきやん
西-5番  2017/06/10 (終日時〜 時)
グレ 20〜30p 16匹 オキアミ フカセ釣り
   p  匹    
   p  匹    
   p  匹    
オセンが沖で漂い、なかかな戻ってくれなくて苦戦しました。 釣人:管理人
西-5番  2017/06/10 (終日時〜 時)
グレ 22〜28p 11匹 オキアミ フカセ釣り
   p  匹    
   p  匹    
   p  匹    
一生懸命で、11枚でした。 釣人:せきやん
東-8番  2017/06/08 (夜間時〜 時)
メバル 16〜19p 8匹 ブツエビ 胴付き・探り釣り
   p  匹    
   p  匹    
   p  匹    
21時半〜23時半 15cm以下多数でした。
ガン玉Bのみ棚は表層でした。
釣人:夕凪
西-5番  2017/06/06 (終日時〜 時)
グレ 22〜31p 23匹 オキアミ フカセ釣り
   p  匹    
   p  匹    
   p  匹    
午後から喰いました。矢引きで良型連発でした。 釣人:管理人
西-5番  2017/06/04 (午前中時〜 時)
グレ 24~29p 4匹 オキアミ フカセ釣り
   p  匹    
   p  匹    
   p  匹    
朝早い時間に釣れて、その後一向に釣れませんでした。久しぶりに釣れました。 釣人:ひろ
西-5番  2017/06/04 (午前中時〜 時)
チヌ 55p 1匹 オキアミ フカセ釣り
   p  匹    
   p  匹    
   p  匹    
ボラかと思ったら、チヌでした。ボラに交じって浮いていました。 釣人:ひろ
アジュール舞子   2017/06/04 (午前中時〜 時)
グレ 22〜29p 14匹 オキアミ フカセ釣り
   p  匹    
   p  匹    
   p  匹    
20前半サイズが主体で型がそろいませんでした。 釣人:k,t
西-5番  2017/06/04 (終日時〜 時)
グレ 20〜28p 18匹 オキアミ フカセ釣り
   p  匹    
   p  匹    
   p  匹    
全体的に型が小さかったです。 釣人:せきやん
西-5番  2017/05/31 (終日時〜 時)
グレ 24−27p 3匹 オキアミ フカセ釣り
   p  匹    
   p  匹    
   p  匹    
水曜会参加しました。一投目でボラに竿先とウキを持って行かれました。 釣人:トシ
西-5番  2017/05/31 (終日時〜 時)
グレ 22〜30p 9匹 オキアミ フカセ釣り
   p  匹 ゴカイ  
   p  匹    
   p  匹    
ほとんど、午前中の釣果です。 釣人:YH

西-5番  2017/05/31 (終日時〜 時)
グレ 22〜28p 12匹 オキアミ フカセ釣り
   p  匹    
   p  匹    
   p  匹    
午前中は潮動かず、午後からはグレ浮くも南からの爆風 釣人:さわいち
西-5番  2017/05/30 (終日時〜 時)
グレ 25~30p 9匹 オキアミ フカセ釣り
   p  匹    
   p  匹    
   p  匹    
管理人さん、秋グレさん
ありがとうございました。
泣!ボラ!二桁 猛打賞!
釣人:ヤート
西-5番  2017/05/30 (終日時〜 時)
グレ 20〜30p 25匹 オキアミ フカセ釣り
   p  匹    
   p  匹    
   p  匹    
午後から全く喰わなくなりました。 釣人:管理人
西-5番  2017/05/30 (終日時〜 時)
グレ 26〜20p 5匹 オキアミ フカセ釣り
   p  匹    
   p  匹    
   p  匹    
必死のパッチで釣つて5枚 釣人:秋グレ
東-8番  2017/05/29 (夜間時〜 時)
メバル 12〜18p 15匹 ブツエビ エビ撒き釣り
   p  匹    
   p  匹    
   p  匹    
22時〜24時 潮が上がる時間狙って行きました。 釣人:夕凪
アジュール舞子   2017/05/28 (終日時〜 時)
グレ 21〜31p 26匹 オキアミ フカセ釣り
   p  匹    
   p  匹    
   p  匹    
画像つけるの忘れてました。午前中はよくうき食いよかったです。 釣人:k,t
東-8番  2017/05/28 (夜間時〜 時)
メバル 12〜18p 15匹 ブツエビ エビ撒き釣り
   p  匹    
   p  匹    
   p  匹    
20時〜22時の釣行 16センチ以下はリリース 釣人:夕凪
中央-11番  2017/05/28 (終日時〜 時)
グレ 20〜29p 12匹 オキアミ フカセ釣り
   p  匹    
   p  匹    
   p  匹    
せきやんさん、初めまして宜しくお願いします。 釣人:東大阪ファミリー
中央-11番  2017/05/28 (終日時〜 時)
グレ 23〜29p 8匹 オキアミ フカセ釣り
   p  匹    
   p  匹    
   p  匹    
マンガの様な話ですが、今日は釣っても数が増えず不思議に思ったら最後スカリに穴が! 釣人:せきやん
東-8番  2017/05/27 (夜間時〜 時)
メバル 12〜18p 10匹 ブツエビ エビ撒き釣り
   p  匹    
   p  匹    
   p  匹    
小さいのは全てリリース 釣人:夕凪
西-5番  2017/05/24 (終日時〜 時)
グレ 25p 1匹 オキアミ フカセ釣り
   p  匹    
   p  匹    
   p  匹    
管理人さんの横で勉強させてもらいました。 釣人:トシ
西-5番  2017/05/24 (午前中時〜 時)
グレ 20〜30p 17匹 オキアミ フカセ釣り
   p  匹    
   p  匹    
   p  匹    
オセンの動きが読み辛く、グレを浮かせるのに苦戦しました。 釣人:管理人
西-5番  2017/05/24 (終日時〜 時)
グレ 22〜30p 5匹 オキアミ フカセ釣り
   p  匹    
   p  匹    
   p  匹    
浮いているグレ釣れませんでした。 釣人:さわいち
中央-5番  2017/05/20 (終日時〜 時)
マコカレイ 20p 1匹 青イソメ 投げ釣り
マコカレイ 31p 1匹    
   p  匹    
   p  匹    
お昼頃に20センチを、15時半頃に31センチを釣り上げる事が出来ました。 釣人:釣りガール guri
アジュール舞子   2017/05/20 (午後時〜 時)
グレ 22〜30p 5匹 オキアミ フカセ釣り
   p  匹    
   p  匹    
   p  匹    
セトレ前で釣れました! [Web] 釣人:ヒスイ
西-5番  2017/05/22 (終日時〜 時)
グレ 22〜30p 9匹 オキアミ フカセ釣り
   p  匹    
   p  匹    
   p  匹    
エサの入り過ぎでしょうか?グレは居ますが、喰いは悪いです。 釣人:管理人
西-5番  2017/05/21 (終日時〜 時)
グレ 22〜28p 9匹 オキアミ フカセ釣り
   p  匹    
   p  匹    
   p  匹    
終日グレは浮きませんでしたが、楽しかったです。 釣人:せきやん
東-8番  2017/07/20 (夜間時〜 時)
メバル 〜19p 20〜30匹 ブツエビ エビ撒き釣り
   p  匹    
   p  匹    
   p  匹    
水位が低くて釣れるポイントが少なかったです。 釣人:夕凪
西-5番  2017/05/19 (午前中時〜 時)
グレ 22〜27p 6匹 オキアミ フカセ釣り
   p  匹    
   p  匹    
   p  匹    
孫と一緒に夕食でいただきます。 釣人:秋グレ
西-5番  2017/05/17 (終日時〜 時)
グレ 21〜30p 8匹 オキアミ フカセ釣り
   p  匹    
   p  匹    
   p  匹    
久しぶりの30pでした。海鳥に困りました。 釣人:YH
東-8番  2017/07/16 (夜間時〜 時)
メバル 12〜21p 〜25匹 ブツエビ エビ撒き釣り
ガシラ  p  匹    
   p  匹    
   p  匹    
リリースサイズが多かったです。 釣人:夕凪
西-5番  2017/05/16 (終日時〜 時)
グレ 22〜29p 15匹 オキアミ フカセ釣り
   p  匹    
   p  匹    
   p  匹    
午前中は好調でしたが、午後からはグレも浮かず、釣果を伸ばせませんでした。 釣人:管理人
中央-11番  2017/05/14 (午後時〜 時)
グレ 20〜29p 16匹 オキアミ フカセ釣り
   p  匹    
   p  匹    
   p  匹    
連日釣行、昨日の方が食いが良かったです。 釣人:東大阪ファミリー
西-5番  2017/05/14 (終日時〜 時)
グレ 22〜28p 18匹 オキアミ フカセ釣り
   p  匹    
   p  匹    
   p  匹    
電池切れで酸欠。死の活かせバッカンでした。竿3〜4本先 1ヒロ弱で釣れました。 釣人:せきやん
中央-11番  2017/05/13 (午後時〜 時)
グレ 20〜30p 25匹 オキアミ フカセ釣り
   p  匹    
   p  匹    
   p  匹    
30cm3匹 いつもより型がよかったです。西5に挑戦できず。 釣人:東大阪ファミリー
西-5番  2017/05/10 (終日時〜 時)
グレ 22〜25p 6匹 オキアミ フカセ釣り
   p  匹    
   p  匹    
   p  匹    
今季初グレ、これからが楽しみです、 釣人:さわいち <<<
西-5番  2017/05/10 (終日時〜 時)
グレ 20〜26p 8匹 オキアミ フカセ釣り
   p  匹    
   p  匹    
   p  匹    
グレは全く浮きませんでした。 釣人:YH
一文字-9番  2017/05/07 (午前中時〜 時)
メバル 32p 12匹 シラサエビ エビ撒き釣り
ガシラ 18p 2匹    
   p  匹    
   p  匹    
久し振りの一文字。朝一の二時間でバタバタと釣れました。楽しい一日でした(笑) 釣人:こてつ
東-4番  2017/05/07 (午前中時〜 時)
グレ 16p 1匹 オキアミ 紀州釣り
   p  匹    
   p  匹    
   p  匹    
小物ですが…紀州釣りで初獲物get。他、3回あたりがあるも、針と一緒にサヨナラ。 釣人:まるむし
アジュール舞子   2017/05/05 (午後時〜 時)
グレ 22p 2匹 オキアミ フカセ釣り
   p  匹    
   p  匹    
   p  匹    
何とか2枚!バラシ1でした。 [Web] 釣人:ヒスイ
東-11番  2017/05/04 (午前中時〜 時)
マコガレイ 40p 1匹 青虫 胴付き・探り釣り
   p  匹    
   p  匹    
   p  匹    
こんなところにまこがれいが❗❕❗ 釣人:タロウ
西-5番  2017/05/05 (終日時〜 時)
グレ 22〜27p 10匹 アオサ フカセ釣り
   p  匹 オキアミ  
   p  匹    
   p  匹    
昼からグレが浮きオキアミ矢引きで、管理人さんが1枚釣られました。 釣人:せきやん
西-5番  2017/05/03 (終日時〜 時)
グレ 25〜26p 2匹 アオサ フカセ釣り
   p  匹 オキアミ  
   p  匹    
   p  匹    
難しいです 釣人:せきやん
西-5番  2017/05/02 (終日時〜 時)
グレ 20〜28p 11匹 アオサ フカセ釣り
   p  匹 オキアミ  
   p  匹    
   p  匹    
グレは良く浮いてますが、なかなか喰ってくれません。 釣人:管理人
西-5番  2017/04/30 (終日時〜 時)
グレ 20〜29p 11匹 アオサ フカセ釣り
   p  匹 オキアミ  
   p  匹    
   p  匹    
グレ開幕戦。初日にしては上出来です。アタリは渋く、素針連発でした。 釣人:管理人
西-5番  2017/04/30 (終日時〜 時)
グレ 22〜24p 11匹 オキアミ フカセ釣り
   p  匹 のり  
   p  匹    
   p  匹    
爆風で心折れました 釣人:まさ
アジュール舞子   2017/04/20 (午後時〜 時)
チヌ 40〜46p 2匹 オキアミ フカセ釣り
   p  匹    
   p  匹    
   p  匹    
久々のフカセで、夕方に2枚。餌とりほとんどいませんでした。 釣人:k,t
東-6番  2017/04/22 (午前中時〜 時)
ウミタナゴ 22p 1匹 オキアミ フカセ釣り
ボラ 60p 1匹 ネリエ  
フグ 10p 1匹    
   p  匹    
初投稿です。周りの方は、穴釣で根魚を釣られてました。 釣人:まるむし
東-1番  2017/04/14 (夕方時〜 時)
コブダイ 80p 1匹 アケミの半貝 ブッコミ釣り
コブダイ 47p 1匹    
   p  匹    
   p  匹    
80cm 10キロ越えのコブダイはやりとり20分の大決闘でした(*´ω`*) 釣人:照さん
中央-7番  2017/03/28 (夕方時〜 時)
アナゴ 〜48p 4匹 青イソメ ブッコミ釣り
ガシラ 〜20p 4匹    
   p  匹    
   p  匹    
夕まずめでした。小雨やや寒。 釣人:才蔵
東-4番  2017/03/25 (午後時〜 時)
チヌ 39p 1匹 オキアミ フカセ釣り
   p  匹    
   p  匹    
   p  匹    
久々の釣りです。ワカメとホンダワラが邪魔で難しいです。 釣人:せきやん
アジュール舞子-4番  2017/03/25 (早朝時〜 時)
カレイ 18p 1匹 アオイソメ 投げ釣り
   p  匹 マムシ  
   p  匹    
   p  匹    
朝一、一投目できましたが以降沈黙でした…
夕マズメの方が良さそうです。
釣人:kswk
東-6番  2017/03/19 (午後時〜 時)
チヌ 42p 1匹 ネリエ フカセ釣り
   p  匹    
   p  匹    
   p  匹    
開始早々に釣れましたが、アタリはこれっきりでした。 釣人:管理人
東-6番  2017/03/12 (終日時〜 時)
チヌ 38p 1匹 オキアミ フカセ釣り
   p  匹    
   p  匹    
   p  匹    
今年お初のチヌです。良く引きました。 釣人:ノリさん <<<
東-6番  2017/02/26 (午後時〜 時)
チヌ 47p 1匹 オキアミ ウキ釣り
   p  匹    
   p  匹    
   p  匹    
複雑な潮の流れに苦労しました。 釣人:まさ <<<
東-6番  2017/02/26 (午後時〜 時)
チヌ 33〜48p 3匹 オキアミ フカセ釣り
   p  匹 ネリエ  
   p  匹    
   p  匹    
開始早々に2連続ヒット、納竿前に1枚追加出来ました。エサ取り多いです。 釣人:管理人
一文字-9番  2017/02/18 (午後時〜 時)
メバル 26p 2匹 シラサエビ エビ撒き釣り
ガシラ 18p 5匹    
   p  匹    
   p  匹    
久し振りの一文字楽しめました。 釣人:こてつ
東-6番  2017/02/18 (午後時〜 時)
チヌ 33〜41p 3匹 オキアミ フカセ釣り
   p  匹 ネリエ  
   p  匹    
   p  匹    
今日は潮があまり動かず釣り易かったです。エサ取り結構多かったです。 釣人:管理人
東-6番  2017/02/12 (午後時〜 時)
チヌ 41p 1匹 フカセ釣り
   p  匹    
   p  匹    
   p  匹    
意外!早い二枚潮の時に喰ってきました。 釣人:もりちゃん
東-6番  2017/02/08 (夕方時〜 時)
チヌ 45p 1匹 フカセ釣り
オニオコゼ 23p 1匹 中通し2号  
   p  匹    
   p  匹    
棚取りオモリにオコゼが飛びついてきました。パンパンに肥えたチヌ。 釣人:もりちゃん
東-6番  2017/02/04 (午後時〜 時)
チヌ 45p 1匹 オキアミ フカセ釣り
   p  匹    
   p  匹    
   p  匹    
15時半に釣れました。周りでも数枚釣れてました。 釣人:管理人
中央-9番  2017/01/07 (終日時〜 時)
イワシ 15〜25p 47匹 アミエビ サビキ釣り
ガシラ 20〜25p 7匹 オキアミ  
   p  匹    
   p  匹    
投サビキ下手で遠慮して朝は14匹、夕方も33匹、一文字のガシラは良型釣れず 釣人:滋賀のT <<<
西-5番  2017/01/07 (終日時〜 時)
グレ 20〜24p 8匹 アオサ フカセ釣り
   p  匹    
   p  匹    
   p  匹    
タナは4ヒロ以上。小型が多かったです。 釣人:管理人
中央-1番  2017/01/05 (午後時〜 時)
マイワシ 15〜23p 78匹 サビキ サビキ釣り
カタクチイワシ 10p 10匹    
   p  匹    
   p  匹    
カタクチの群れの下にマイワシが湧いていました。時合いは朝と夕方です。 釣人:管理人
西   2017/01/04 (終日時〜 時)
グレ 24〜31p 3匹 オキアミ フカセ釣り
   p  匹    
   p  匹    
   p  匹    
4時すぎまでボーズでダメかと思いつつ継続。夕方薄暗くなる前に三連ちゃんでした 釣人:k,t
中央-9番  2016/12/30 (終日時〜 時)
イワシ 18〜30p 80匹 アミエビ サビキ釣り
ガシラ 20〜25p 10匹 オキアミ  
メバル 25p 1匹    
   p  匹    
節分のイワシをしっかり確保できました
一文字のガシラは2/3以上リリース
釣人:滋賀のT <<<
中央-11番  2016/12/25 (午後時〜 時)
グレ 23〜26p 3匹 オキアミ フカセ釣り
   p  匹    
   p  匹    
   p  匹    
マリンピア前水道。西へ潮が動いた時の釣果。アジがまだいます。写真は後日。 釣人:ノリさん
中央-10番  2016/12/25 (終日時〜 時)
マイワシ 20p 66匹 アミエビ サビキ釣り
カタクチイワシ 12p 120匹 オキアミ  
ガシラ 20p 7匹    
   p  匹    
イワシ狙いで垂水へ→無事GETできました
その後一文字へ、でもガシラはチビばかり
釣人:滋賀のT <<<
西-5番  2016/12/21 (終日時〜 時)
グレ 27p 1匹 オキアミ フカセ釣り
   p  匹 ゴカイ  
   p  匹    
   p  匹    
「海」の変化にギブアップです。 釣人:YH
西-5番  2016/12/21 (終日時〜 時)
グレ 25〜28p 2匹 オキアミ フカセ釣り
ウマズラ 18〜22p 2匹    
   p  匹    
   p  匹    
終始当て潮と向かい風で遠投出来ず、際ではハゲ、お手上げでした。皆さん良いお年を。 釣人:さわいち
西-5番  2016/12/20 (終日時〜 時)
グレ 21〜30p 6匹 オキアミ フカセ釣り
   p  匹 アオサ  
   p  匹    
   p  匹    
終日、小アジが居ます。グレは午後から活性が上がりました。 釣人:管理人
西-5番  2016/12/20 (終日時〜 時)
グレ 25〜29p 2匹 オキアミ フカセ釣り
   p  匹    
   p  匹    
   p  匹    
  釣人:タクロー <<<
西-5番  2016/12/15 (終日時〜 時)
グレ 20〜28p 11匹 オキアミ フカセ釣り
   p  匹    
   p  匹    
   p  匹    
サヨリ、小アジ、イワシが居着いて大苦戦でした。 釣人:管理人
西-5番  2016/12/14 (終日時〜 時)
グレ 22〜30p 10匹 オキアミ フカセ釣り
   p  匹 ゴカイ  
   p  匹    
   p  匹    
待望していた30pがきました。 釣人:YH
西-5番  2016/12/11 (終日時〜 時)
グレ 21〜32p 17匹 オキアミ フカセ釣り
   p  匹    
   p  匹    
   p  匹    
今日は終日アジが湧いてました。グレのタナは深いです。 釣人:管理人
西-5番  2016/12/11 (終日時〜 時)
グレ 20〜29p 7匹 オキアミ フカセ釣り
ウマズラ 15p 3匹    
   p  匹    
   p  匹    
アジの猛攻に苦戦しました。 釣人:まさ <<<
西-5番  2016/12/08 (午後時〜 時)
グレ 24p 3匹 オキアミ フカセ釣り
ウマヅラ 20p 1匹    
   p  匹    
   p  匹    
久しぶりに行ってオセンを養ってきました。 釣人:kもりた <<<
西-5番  2016/12/07 (終日時〜 時)
グレ 23〜30p 13匹 オキアミ フカセ釣り
   p  匹    
   p  匹    
   p  匹    
全体的に20cm後半が多かったですが、喰いが浅く、抜けが多かったです。 釣人:さわいち
西-5番  2016/12/07 (午前中時〜 時)
グレ 25〜31p 5匹 オキアミ フカセ釣り
   p  匹    
   p  匹    
   p  匹    
今日は上手く攻めきれませんでした。 釣人:管理人
中央-10番  2016/12/03 (午後時〜 時)
グレ 30p 1匹 青イソメ 胴付き・探り釣り
ガシラ 13−23p 7匹 オキアミ  
メバル 13p 1匹    
   p  匹    
サビキ釣りでイワシも釣れました
探り釣りでカワハギもつれました
釣人:阪神タイガース
西-5番  2016/12/03 (終日時〜 時)
グレ 21〜32p 22匹 オキアミ フカセ釣り
スズキ 69p 1匹 イワシ  
   p  匹    
   p  匹    
たまたま釣れたイワシをそのまま付けて流しているとスズキがヒットしました。 釣人:管理人
西-5番  2016/11/30 (終日時〜 時)
グレ 23〜33p 20匹 オキアミ フカセ釣り
   p  匹    
   p  匹    
   p  匹    
今日は型が揃いました。30pオーバーが6枚釣れました。 釣人:管理人
西-5番  2016/11/30 (午後時〜 時)
グレ 25~30p 7匹 オキアミ フカセ釣り
   p  匹    
   p  匹    
   p  匹    
今日も行きました!皆さんありがとうございました。 釣人:サトシF
西-5番  2016/11/30 (終日時〜 時)
グレ 22〜29p 12匹 オキアミ フカセ釣り
   p  匹    
   p  匹    
   p  匹    
管理人さん今日はありがとうございました。 釣人:さわいち
西-5番  2016/11/29 (午後時〜 時)
グレ 23~30p 7匹 オキアミ フカセ釣り
   p  匹    
   p  匹    
   p  匹    
昨日のリベンジです!一匹忘れてしまいました! 釣人:サトシF <<<
西-5番  2016/11/25 (終日時〜 時)
グレ 24~31p 10匹 オキアミ フカセ釣り
   p  匹    
   p  匹    
   p  匹    
先日の管理人さんのアドバイスで
リベンジできました♪感謝♪
釣人:夢日和
西-5番  2016/11/23 (終日時〜 時)
グレ 20〜28p 18匹 オキアミ フカセ釣り
   p  匹    
   p  匹    
   p  匹    
久しぶりの西5&フカセ、強風で撒き餌と仕掛けがバラバラ、釣果は写真プラス2尾です 釣人:さわいち
西-5番  2016/11/22 (終日時〜 時)
グレ 23〜32p 15匹 オキアミ フカセ釣り
   p  匹    
   p  匹    
   p  匹    
午後から活性が上がりました。タナは1〜3ヒロとマチマチです。 釣人:管理人
中央-11番  2016/11/18 (終日時〜 時)
グレ 20弱p 4匹 オキアミ フカセ釣り
   p  匹    
   p  匹    
   p  匹    
管理人さん、まささん、ご挨拶できて良かったです。今後も宜しくお願いします。 釣人:東大阪ファミリー <<<
西-3番  2016/11/13 (終日時〜 時)
メジロ 68p 1匹 イワシ 泳がせ釣り
   p  匹    
   p  匹    
   p  匹    
一投目にヒットしました。「曲がり」ですが、良く引きました。 釣人:管理人
西-5番  2016/11/10 (終日時〜 時)
グレ 21〜33p 8匹 オキアミ フカセ釣り
   p  匹    
   p  匹    
   p  匹    
久々のフカセで良型が出ました。深いタナではウリ坊、チャリコが多いです。 釣人:管理人
西-3番  2016/11/06 (終日時〜 時)
サワラ 78p 1匹 イワシ 泳がせ釣り
   p  匹    
   p  匹    
   p  匹    
青物は不発。サワラは同サイズを他1本掛けましたが、タモ入れ時にバラシました。 釣人:管理人
中央-11番  2016/11/03 (午後時〜 時)
グレ 22〜28p 11匹 オキアミ フカセ釣り
   p  匹    
   p  匹    
   p  匹    
マリンピア前水道。足元3ヒロ。良型バラシあり。4枚人に上げて写っていません。 釣人:ノリさん
東-1番  2016/10/30 (早朝時〜 時)
ハマチ 50p 1匹 小アジ 泳がせ釣り
   p  匹    
   p  匹    
   p  匹    
どっぷり飲ませ釣りにはまりました。 釣人:ヨッシー
西   2016/10/30 (終日時〜 時)
グレ 22〜31p 8匹 オキアミ フカセ釣り
   p  匹    
   p  匹    
   p  匹    
アジュール舞子にて、全くうきませんでしたが、運良く30オーバー釣れました。 釣人:k,t
一文字-7番  2016/10/24 (午前中時〜 時)
ガシラ 21p 7匹 シラサエビ 胴付き・探り釣り
キュウセン 20p 40匹 サンマ切身  
   p  匹    
   p  匹    
今日はキュウセンが良い当たりを楽しませてくれました。 釣人:こてつ
西-5番  2016/10/22 (夕方時〜 時)
サゴシ 55p 1匹 活マイワシ 泳がせ釣り
マイワシ 14〜16p 116匹 オキアミ  
   p  匹    
   p  匹    
人生初のサゴシです! [Web] 釣人:ヒスイ
西-3番  2016/10/20 (終日時〜 時)
サゴシ 55p 1匹 小アジ 泳がせ釣り
ハマチ 46p 1匹 イワシ  
   p  匹    
   p  匹    
サゴシのアタリは8回で、獲れたのは1本のみ。周りでも青物は良く釣れていました。 釣人:管理人
西-3番  2016/10/12 (午後時〜 時)
グレ 23~27p 7匹 オキアミ フカセ釣り
   p  匹    
   p  匹    
   p  匹    
浮きません! 釣人:サトシF
西-3番  2016/10/13 (終日時〜 時)
ハマチ 66p 1匹 小アジ 泳がせ釣り
   p  匹    
   p  匹    
   p  匹    
初の青物ゲットです。 釣人:タクロー
西-3番  2016/10/13 (終日時〜 時)
アオリイカ 16〜17p 3匹 小アジ 泳がせ釣り
   p  匹    
   p  匹    
   p  匹    
サゴシは2回バラシました。アオリのアタリは3人で10回ほどありました。 釣人:管理人
東-4番  2016/10/03 (夕方時〜 時)
ウマズラハゲ 25ぐらいp 1匹 ルアー ルアー・エギング
   p  匹    
   p  匹    
   p  匹    
スレ掛かりでゲット 釣人:根掛カリンガー
西-3番  2016/10/06 (終日時〜 時)
ツバス 40〜41p 2匹 小アジ 泳がせ釣り
アオリイカ 17p 1匹    
   p  匹    
   p  匹    
ツバスは午後からの釣果。今日はバラシ連発でした。 釣人:管理人
東-3番  2016/10/02 (終日時〜 時)
アオリイカ 16〜17p 2匹 小アジ 泳がせ釣り
   p  匹    
   p  匹    
   p  匹    
青物狙いは不発。後半、アオリに的を絞り、何とか2杯ゲット。 釣人:管理人
一文字-4番  2016/10/01 (終日時〜 時)
アイゴ 40.5p 1匹 オキアミ フカセ釣り
   p  匹    
   p  匹    
   p  匹    
久しぶりにチヌ狙いで一文字に行ったのですが、釣れませんでした。 釣人:TOMO
西-3番  2016/09/30 (午前中時〜 時)
ツバス 46p 1匹 小アジ 泳がせ釣り
アオリイカ 13〜18p 2匹    
   p  匹    
   p  匹    
ツバスは1投目にヒット。アオリは早朝にエギングで釣りました。 釣人:管理人
西-3番  2016/09/26 (終日時〜 時)
サゴシ 52p 1匹 イワシ 泳がせ釣り
ツバス 40p 1匹 小アジ  
   p  匹    
   p  匹    
今シーズン最初の青物ゲットです。サゴシはルアーでも釣れています。 釣人:管理人
西-2番  2016/09/22 (午前中時〜 時)
アオリイカ 10〜17p 4匹 エギ ルアー・エギング
   p  匹    
   p  匹    
   p  匹    
久しぶりに竿を出しました。釣れてよかったです。写真撮る前に食べました。 釣人:ひろ <<<
東-4番  2016/09/21 (早朝時〜 時)
アオリイカ 11〜18p 3匹 エギ ルアー・エギング
   p  匹    
   p  匹    
   p  匹    
いわしが湧いていて、道糸に当たって釣りづらかったです。 釣人:さわいち
西-5番  2016/09/20 (夕方時〜 時)
アオリイカ 9〜16p 19匹 エギ ルアー・エギング
   p  匹    
   p  匹    
   p  匹    
18時〜20時半までの釣果。雨後で濁りはあるものの、1投目から連発しました。 釣人:管理人
西-3番  2016/09/16 (夜間時〜 時)
アオリイカ 8〜16p 17匹 エギ ルアー・エギング
ケンサキイカ 12p 1匹    
   p  匹    
   p  匹    
20時半〜24時までの釣果。23時からは西波止へ移動して釣りました。 釣人:管理人 <<<
西-4番  2016/09/14 (早朝時〜 時)
アオリイカ 10〜16p 4匹 エギ ルアー・エギング
   p  匹    
   p  匹    
   p  匹    
5時から6時半までの釣果 釣人:さわいち <<<
東-5番  2016/09/11 (午前中時〜 時)
ガシラ 16p 1匹 アオイソメ ブッコミ釣り
キュウセンベラ 16p 20匹 オキアミ  
豆アジ 13p 15匹    
   p  匹    
一投一釣のベラ祭り開催となりました。
豆アジは食する分だけ確保です。
釣人:こてつ
西-3番  2016/09/10 (夕方時〜 時)
アオリイカ 8〜14p 14匹 エギ ルアー・エギング
   p  匹    
   p  匹    
   p  匹    
明るいうちはノーヒットでしたが、日が暮れてから連発しました。 釣人:管理人 <<<
東-3番  2016/09/07 (早朝時〜 時)
アオリイカ 10〜12p 14匹 エギ2,5号 ルアー・エギング
   p  匹    
   p  匹    
   p  匹    
暗い内は、活性が高いです。 釣人:さわいち
東-3番  2016/09/04 (早朝時〜 時)
アオリイカ 10〜12p 3匹 エギ ルアー・エギング
   p  匹    
   p  匹    
   p  匹    
飲ませはノーヒット。アオリも早朝から濁りが入り不調。 釣人:管理人
西-3番  2016/09/03 (夕方時〜 時)
アオリ 7〜12p 9匹 エギ ルアー・エギング
ケンサキ 9〜14p 10匹    
   p  匹    
   p  匹    
今日はケンサキメインでの釣行です。アオリは小型ばかりでキープは3杯のみです。 釣人:管理人
東-3番  2016/09/01 (早朝時〜 時)
アオリイカ 7〜13p 15匹 エギ ルアー・エギング
   p  匹    
   p  匹    
   p  匹    
飲ませ釣りの合間に釣りました。殆どがリリースサイズです。飲ませは撃沈。 釣人:管理人
西-4番  2016/08/31 (夜間時〜 時)
アオリイカ 10〜12p 7匹 エギ2,5号 ルアー・エギング
剣先いか 15〜21p 2匹    
   p  匹    
   p  匹    
夜は少し大きいのが来ます。 釣人:さわいち
東-3番  2016/08/21 (早朝時〜 時)
チヌ 45p 1匹 豆アジ 泳がせ釣り
   p  匹    
   p  匹    
   p  匹    
奇形のためリリース。スズキはボイルも無くノーヒット。青物も気配無しです。 釣人:管理人
西-3番  2016/08/09 (夕方時〜 時)
小アジ 8〜13p 45匹 オキアミ サビキ釣り
小サバ 13~15p 2匹    
イワシ 11~13p 8匹    
   p  匹    
ファミリーで2時間楽しめました! [Web] 釣人:ヒスイ
東-3番  2016/08/07 (早朝時〜 時)
スズキ 76p 1匹 豆アジ 泳がせ釣り
   p  匹    
   p  匹    
   p  匹    
5時に釣れました。その後、6時に曲がりがヒット。アタリはこの2回のみです。 釣人:管理人
西-3番  2016/07/29 (午前中時〜 時)
ハネ 50p 1匹 豆アジ 泳がせ釣り
マダイ 70p 1匹    
マダイ 45p 1匹    
   p  匹    
ビックリです!自己記録です! 釣人:サトシF
東-3番  2016/07/27 (早朝時〜 時)
スズキ 60p 1匹 豆アジ 泳がせ釣り
   p  匹    
   p  匹    
   p  匹    
早朝、スズキのボイルが頻繁にありました。 釣人:管理人
中央-4番  2016/07/24 (夕方時〜 時)
豆アジ 5〜10p 100匹 アミエビ サビキ釣り
   p  匹    
   p  匹    
   p  匹    
半数以上、タモで掬いました。青アジがかなり増えて来ています。 釣人:管理人 <<<
西-3番  2016/07/23 (午前中時〜 時)
スズキ 60p 1匹 アジ 泳がせ釣り
   p  匹    
   p  匹    
   p  匹    
急遽いきました! 釣人:サトシF
中央-11番  2016/07/19 (午後時〜 時)
アイナメ 20p 1匹 シラサエビ 落とし込み・前打ち
ガシラ 16p 2匹 オキアミ  
マメアジ 10p 150匹    
   p  匹    
マメアジ、小サバが沸きすぎで底までたどり着けません。サビキなら爆釣か? 釣人:こてつ
東-9番  2016/07/20 (終日時〜 時)
チヌ 24.29p 2匹 オキアミ 紀州釣り
ボラ 55〜64p 6匹    
   p  匹    
   p  匹    
ダンゴを10時間投げ続けてお粗末な結果でした。 釣人:kもりた
西   2016/07/06 (終日時〜 時)
アイゴ 41p 1匹 オキアミ フカセ釣り
   p  匹    
   p  匹    
   p  匹    
たっぷりと肥えていました。 釣人:さわいち
西   2016/07/06 (終日時〜 時)
グレ 20〜25p 8匹 オキアミ フカセ釣り
アイゴ 37〜41p 2匹    
   p  匹    
   p  匹    
グレは沢山居て常に浮いているのですが、なかなか釣れません。舞子ワンドにて。 釣人:さわいち
東-11番  2016/07/03 (夕方時〜 時)
アジ 5〜8p 228匹 アミエビ サビキ釣り
   p  匹    
   p  匹    
   p  匹    
沸いてます 釣人:3104k
中央-4番  2016/07/03 (夕方時〜 時)
豆アジ 5〜8p 280匹 アミエビ サビキ釣り
   p  匹    
   p  匹    
   p  匹    
17時〜19時の釣果。物凄い数の豆アジが湧いています。小サバも混じります。 釣人:管理人
中央-11番  2016/06/27 (夕方時〜 時)
豆アジ 5〜8p 60匹 アミエビ サビキ釣り
   p  匹    
   p  匹    
   p  匹    
夕方1時間半ほどの釣果。粘れば幾らでも釣れます。 釣人:管理人 <<<
中央-11番  2016/06/26 (午後時〜 時)
キュウセンベラ 10-13p 7匹 青いそめ 胴付き・探り釣り
アジ 5p 6匹 アミエビ  
フグ 24p 1匹 オキアミ  
   p  匹    
私がフカセ釣りでフグを、子供が探り釣りとサビキで食べれる魚を釣りました。 釣人:阪神タイガース
西-1番  2016/06/22 (終日時〜 時)
グレ 22〜27p 10匹 オキアミ フカセ釣り
サヨリ 25〜35p 9匹    
   p  匹    
   p  匹    
いい感じで浮いてくるのですがサヨリと小サバに邪魔をされます。 釣人:さわいち

中央-11番  2016/06/19 (夕方時〜 時)
豆アジ 7〜10p 約150匹 アミエビ サビキ釣り
   p  匹    
   p  匹    
   p  匹    
16時〜18時の釣果です。豆アジ湧いてます。タナは浅めです。 釣人:管理人
平磯-11番  2016/06/14 (午前中時〜 時)
ベラ 11〜18p 18匹 ゴカイ 投げ釣り
メバル 15p 1匹    
   p  匹    
   p  匹    
投げてストレス解消、釣ってアタリを楽しみ、南蛮漬けで食べる 釣人:秋グレ
東-4番  2016/06/10 (終日時〜 時)
グレ 22〜31p 6匹 オキアミ フカセ釣り
   p  匹    
   p  匹    
   p  匹    
グレは15p以下の小型がやたらと多いです。潮も複雑で難しいです。 釣人:管理人
中央-11番  2016/06/09 (午後時〜 時)
グレ 20〜23p 2匹 オキアミ フカセ釣り
サヨリ 30前後p 3匹    
   p  匹    
   p  匹    
ボラ、豆アジが全面。戦闘モード失墜。フカセでは、限界です。 釣人:東大阪ファミリー
中央-11番  2016/06/08 (終日時〜 時)
グレ 21〜24p 3匹 オキアミ フカセ釣り
   p  匹    
   p  匹    
   p  匹    
浮いているグレ葉、木っ葉が多く、ほとんどくいません。 釣人:さわいち
中央-11番  2016/06/06 (終日時〜 時)
グレ 23〜25p 4匹 オキアミ フカセ釣り
   p  匹    
   p  匹    
   p  匹    
食い気なし。コサバあり。午後から浮きましたが、食いません。 釣人:東大阪ファミリー
西-5番  2016/05/27 (終日時〜 時)
グレ 20〜26p 6匹 オキアミ フカセ釣り
   p  匹    
   p  匹    
   p  匹    
投稿遅くなりました。相変わらず難しいです。 釣人:蔵之臣
西-5番  2016/06/01 (終日時〜 時)
グレ 21〜24p 10匹 オキアミ フカセ釣り
   p  匹    
   p  匹    
   p  匹    
フカセ師多く、午後からグレ浮くも全く口使わず。 釣人:さわいち
一文字-7番  2016/05/28 (終日時〜 時)
メバル 30p 10匹 シラサエビ エビ撒き釣り
ガシラ 24p 7匹    
   p  匹    
   p  匹    
一文字は週末のみ渡船再開です
楽しい1日となりました
釣人:こてつ
西-5番  2016/05/27 (終日時〜 時)
グレ 20〜28p 10匹 オキアミ フカセ釣り
   p  匹    
   p  匹    
   p  匹    
グレの活性低いです。特に午後からは、オセンも深く潜り、グレはノーフィッシュです。 釣人:管理人
西-5番  2016/05/25 (終日時〜 時)
グレ 22〜25p 5匹 オキアミ フカセ釣り
   p  匹    
   p  匹    
   p  匹    
今日は、気配がありませんでした。 釣人:さわいち <<<
中央-11番  2016/05/24 (終日時〜 時)
グレ 20〜27p 10匹 オキアミ フカセ釣り
木っ端  p 3匹    
   p  匹    
   p  匹    
ボラ大量。仕掛けメチャクチャ。マキエが大量にいります。 釣人:東大阪ファミリー
西-5番  2016/05/23 (終日時〜 時)
グレ 20〜26p 9匹 オキアミ フカセ釣り
   p  匹    
   p  匹    
   p  匹    
午後からはオセンが沖に出なくなり、グレの姿は消えました。午後は釣果ゼロです。 釣人:管理人
西-5番  2016/05/19 (終日時〜 時)
グレ 21〜25p 5匹 オキアミ フカセ釣り
   p  匹    
   p  匹    
   p  匹    
日中2時間半ほどの釣果。グレは浮いてますが、アタリを捉えるのが難しいです。 釣人:管理人
中央-11番  2016/05/19 (終日時〜 時)
グレ 20〜27p 7匹 オキアミ フカセ釣り
木っ端  p 5匹    
   p  匹    
   p  匹    
台所写真ですいません。浮いているグレは連れません。久しぶりの垂水でした。 釣人:東大阪ファミリー
西-5番  2016/05/18 (終日時〜 時)
グレ 22〜30p 15匹 オキアミ フカセ釣り
   p  匹    
   p  匹    
   p  匹    
終始あて潮でぱっとしませんでした。 釣人:さわいち
西-1番  2016/05/18 (午前中時〜 時)
スズキ 70p 1匹 イワシ 泳がせ釣り
   p  匹    
   p  匹    
   p  匹    
今年初です! 釣人:サトシF
西-5番  2016/05/17 (終日時〜 時)
グレ 20〜31p 27匹 オキアミ フカセ釣り
   p  匹    
   p  匹    
   p  匹    
終日遠投で疲れました。今日は一面オセンだらけでした。 釣人:管理人
中央-11番  2016/05/14 (終日時〜 時)
グレ 21〜28p 27匹 オキアミ フカセ釣り
   p  匹    
   p  匹    
   p  匹    
マリンピア駐車場前でグレは沢山いますが浮くタイミングをとらえるが難しいです。 釣人:ノリさん
西-5番  2016/05/12 (午前中時〜 時)
グレ 23~30p 9匹 オキアミ フカセ釣り
   p  匹    
   p  匹    
   p  匹    
久しぶりのグレ釣りです! 釣人:サトシF
西-5番  2016/05/12 (終日時〜 時)
グレ 20〜31p 20匹 オキアミ フカセ釣り
   p  匹    
   p  匹    
   p  匹    
浮いているグレは殆ど釣れず。良型は遠投で釣れました。 釣人:管理人
西   2016/05/08 (午前中時〜 時)
グレ 22〜28p 5匹 オキアミ フカセ釣り
アイゴ 38p 1匹    
   p  匹    
   p  匹    
グレは数のびず、久々に、いいアイゴ釣れました。 釣人:k,t
東-4番  2016/05/07 (夕方時〜 時)
ガシラ 17p 1匹 アオイソメ 投げ釣り
   p  匹    
   p  匹    
   p  匹    
大潮の激流に負け仕掛けロスト多数。厳しい釣りでした。 釣人:こてつ
西-5番  2016/05/06 (午前中時〜 時)
グレ 21〜26p 3匹 オキアミ フカセ釣り
   p  匹    
   p  匹    
   p  匹    
オセンは殆ど居ません。雨、向かい風で寒さに耐えきれず、昼過ぎにギブアップ。 釣人:管理人
東-9番  2016/05/05 (夜間時〜 時)
ガシラ 16〜19p 2匹 青虫 ウキ釣り
メバル 14〜18p 3匹    
   p  匹    
   p  匹    
19時〜22時。キワは反応無く、少し投げて。タナは底付近。サイズがイマイチ……。 釣人:ゴールドブレンド
中央-11番  2016/05/05 (終日時〜 時)
グレ 21〜30p 19匹 オキアミ フカセ釣り
   p  匹    
   p  匹    
   p  匹    
マリンピア立駐前の水路での釣果です。<br>激流の時は結構際で食ってきます。 釣人:ノリさん
西-5番  2016/05/04 (終日時〜 時)
グレ 22〜27p 4匹 オキアミ フカセ釣り
   p  匹    
   p  匹    
   p  匹    
水潮の影響でオセンも浮いてきませんでした。 釣人:さわいち
東-1番  2016/05/01 (午後時〜 時)
アイナメ 33p 1匹 マムシ 投げ釣り
アイナメ 17〜22p 2匹 青虫  
   p  匹    
   p  匹    
16時頃に。初めて垂水でポン級を釣りました。嬉しい! 釣人:ゴールドブレンド
西-5番  2016/05/01 (終日時〜 時)
グレ 20〜30p 8匹 オキアミ フカセ釣り
   p  匹 アオサ  
   p  匹    
   p  匹    
食いはシブかったです。 釣人:ウミノリダ
西   2016/05/01 (午後時〜 時)
グレ 21〜30p 8匹 オキアミ フカセ釣り
   p  匹    
   p  匹    
   p  匹    
食いがしぶかったですが、何とか釣れました。 釣人:k,t
西-5番  2016/04/30 (終日時〜 時)
グレ 20〜30p 8匹 アオサ フカセ釣り
   p  匹 オキアミ  
   p  匹    
   p  匹    
30pUPが2枚混じりました。エサの入り過ぎで、午後からは殆ど釣れませんでした。 釣人:管理人
西-5番  2016/04/27 (午前中時〜 時)
グレ 22〜29p 13匹 オキアミ フカセ釣り
   p  匹    
   p  匹    
   p  匹    
朝からよく浮いていたのですが、オキアミへの反応は良くなかったです、タナ矢引き。 釣人:さわいち
西-5番  2016/04/19 (終日時〜 時)
グレ 20〜25p 9匹 アオサ フカセ釣り
   p  匹    
   p  匹    
   p  匹    
濁りのせいか、喰いは渋めでした。 釣人:管理人
西-5番  2016/04/15 (終日時〜 時)
グレ 21〜31p 14匹 アオサ フカセ釣り
   p  匹    
   p  匹    
   p  匹    
今シーズン初狙いにしては出来過ぎの釣果です。30pオーバー3枚混じりました。 釣人:管理人
西-5番  2016/04/15 (終日時〜 時)
グレ 23~27p 4匹 ノリ フカセ釣り
   p  匹    
   p  匹    
   p  匹    
今年初です! 釣人:サトシF
東-6番  2016/04/06 (終日時〜 時)
チヌ 45,5p 1匹 オキアミ 紀州釣り
   p  匹    
   p  匹    
   p  匹    
今年、初チヌ釣行、3時半、一気にウキが消し込まれました。元気なチヌでした。 釣人:さわいち
東-4番  2016/04/03 (終日時〜 時)
チヌ 38p 1匹 激荒 フカセ釣り
   p  匹 フィッシュワゲット  
   p  匹 練り餌  
   p  匹    
激シブでした。 釣人:ウミノリダ
東-2番  2016/03/31 (夜間時〜 時)
カンダイ 24p 1匹 青虫 ウキ釣り
ガシラ 15〜21p 3匹    
メバル 15p 1匹    
   p  匹    
チビカンダイは夕マヅメに釣れました。アタリが少なかった……。 釣人:ゴールドブレンド
東-6番  2016/03/30 (午後時〜 時)
チヌ 35〜42p 3匹 ネリエ フカセ釣り
   p  匹    
   p  匹    
   p  匹    
エサ取りは結構います。テトラ際ベタ底で釣れました。 釣人:管理人
東-6番  2016/03/17 (午後時〜 時)
チヌ 33〜46p 2匹 ネリエ フカセ釣り
   p  匹    
   p  匹    
   p  匹    
今年初挑戦で釣れました。エサ取り多いです。15時、17時に釣れました。 釣人:管理人
東-6番  2016/02/18 (午後時〜 時)
チヌ 43〜46p 4匹 オキアミ フカセ釣り
   p  匹    
   p  匹    
   p  匹    
15時過ぎから17時の間でアタリあり。良く走るので根ズレ注意。お腹パンパンです。 釣人:ノリさん
東-6番  2016/02/11 (午後時〜 時)
コブダイ 57p 1匹 オキアミ フカセ釣り
チヌ 34p 1匹    
アイナメ 35p 1匹    
   p  匹    
ナイトさんと釣行。今日は色々と釣れましたが、根ずれでバラシ5回。魚は沢山います。 釣人:ノリさん
西-5番  2016/02/11 (終日時〜 時)
ガシラ 16p 2匹 オキアミ サビキ釣り
   p  匹    
   p  匹    
   p  匹    
イワシが釣れていると聞き行きました。
暖かい上に天気も良くいい釣りでした。
釣人:こてつ
平磯   2016/02/07 (午前中時〜 時)
チヌ 45〜47p 4匹 オキアミ フカセ釣り
   p  匹    
   p  匹    
   p  匹    
初、平磯でフカセしてみましたがチヌは結構濃いです。カンダイに四発切られました。 釣人:k,t
平磯-10番  2016/01/31 (午後時〜 時)
サヨリ 35p 20匹 オキアミ サビキ釣り
   p  匹    
   p  匹    
   p  匹    
タナ1m位でした 釣人:こてつ
東-6番  2016/01/31 (午後時〜 時)
チヌ 38p 1匹 オキアミ フカセ釣り
   p  匹    
   p  匹    
   p  匹    
潮が濁っていました。タナ5ヒロでベタ底です。 釣人:ノリさん
西-5番  2016/01/11 (終日時〜 時)
グレ 20〜24p 2匹 オキアミ フカセ釣り
   p  匹    
   p  匹    
   p  匹    
オセンが殆ど居ないため、グレも姿を現しません。撃沈です。 釣人:管理人
西-5番  2016/01/06 (終日時〜 時)
グレ 22〜27p 4匹 オキアミ フカセ釣り
   p  匹    
   p  匹    
   p  匹    
早い時期に初釣りができました。 釣人:さわいち
西-5番  2016/01/05 (終日時〜 時)
グレ 23~26p 8匹 オキアミ フカセ釣り
   p  匹    
   p  匹    
   p  匹    
今年も宜しくお願いします! 釣人:サトシF
西-5番  2016/01/05 (終日時〜 時)
グレ 22〜29p 19匹 オキアミ フカセ釣り
   p  匹    
   p  匹    
   p  匹    
まだまだグレは釣れますよ。タナは2〜4ヒロ。沖を狙った方が型はいいです。 釣人:管理人
西   2016/01/02 (午後時〜 時)
グレ 23〜28p 2匹 オキアミ フカセ釣り
メバル 15〜18p 3匹    
   p  匹    
   p  匹    
初釣りにて、底ねらい子ガシラばかりで夕方になんとかグレ。 釣人:k,t
西   2015/12/27 (午後時〜 時)
グレ 23〜31p 4匹 オキアミ フカセ釣り
   p  匹    
   p  匹    
   p  匹    
アジュール舞子にて底でなんとか釣れ運よく30オーバーでました。 釣人:k,t
西-5番  2015/12/23 (午前中時〜 時)
グレ 22〜27p 7匹 オキアミ フカセ釣り
   p  匹    
   p  匹    
   p  匹    
今年はこれで竿納めです。ありがとうございました、来年も宜しくお願いします。 釣人:さわいち
西-5番  2015/12/20 (終日時〜 時)
グレ 20〜29p 14匹 オキアミ フカセ釣り
サヨリ 25〜33p 2匹    
   p  匹    
   p  匹    
グレは何度も浮きましたが、喰わせるタイミングが結構難しかったです。 釣人:管理人
西-5番  2015/12/16 (終日時〜 時)
グレ 21〜30p 4匹 オキアミ フカセ釣り
   p  匹    
   p  匹    
   p  匹    
久々で2回目の30pで満足ですが、撒き餌ワークは難しいです。 釣人:YH
西-5番  2015/12/16 (終日時〜 時)
グレ 21〜29p 15匹 オキアミ フカセ釣り
   p  匹    
   p  匹    
   p  匹    
後半戦、サヨリとイワシと西風に撃沈でした。 釣人:さわいち
西-5番  2015/12/09 (終日時〜 時)
グレ 22〜29p 16匹 オキアミ フカセ釣り
   p  匹    
   p  匹    
   p  匹    
午後からは、型は良いのですが、遠投でないと釣れませんでした。 釣人:さわいち
西-5番  2015/12/09 (午前中時〜 時)
グレ 23〜27p 2匹 オキアミ フカセ釣り
   p  匹    
   p  匹    
   p  匹    
久しぶりに釣れました。 釣人:ひろ
西-5番  2015/12/06 (終日時〜 時)
グレ 21〜24p 9匹 オキアミ フカセ釣り
   p  匹    
   p  匹    
   p  匹    
全面、イワシに心が折れました。 釣人:まさ <<<
西-5番  2015/12/06 (終日時〜 時)
グレ 20〜28p 27匹 オキアミ フカセ釣り
ウマヅラ 35p 1匹    
サヨリ 25〜31p 2匹    
   p  匹    
11時頃からサヨリとイワシの大群が居座り、サシエが通らず苦戦しました。 釣人:管理人
西-5番  2015/12/02 (終日時〜 時)
グレ 22〜29p 26匹 オキアミ フカセ釣り
   p  匹    
   p  匹    
   p  匹    
釣り人多く角より4番目、竿3〜5本先タナ3〜4ヒロ午後より良型釣れました。 釣人:さわいち
西-5番  2015/11/30 (終日時〜 時)
グレ 20-30p 20匹 オキアミ フカセ釣り
   p  匹    
   p  匹    
   p  匹    
  釣人:ウミノリダー
西-5番  2007/11/27 (夜間時〜 時)
アオリイカ 300gp 1匹 エギ3.5号 ルアー・エギング
   p  匹    
   p  匹    
   p  匹    
西風爆風で極寒でした(>_<) 釣人:根カリンガー
東   2015/11/28 (終日時〜 時)
グレ 21〜29p 9匹 オキアミ フカセ釣り
サヨリ 30〜34p 100匹    
   p  匹    
   p  匹    
東1〜6番、11人全員の釣果です。グレ狙いでしたが、サヨリが多過ぎて撃沈です。 釣人:管理人 <<<
西-5番  2015/11/24 (終日時〜 時)
グレ 22〜30p 14匹 オキアミ フカセ釣り
   p  匹    
   p  匹    
   p  匹    
  釣人:ウミノリダー
西-5番  2015/11/25 (午前中時〜 時)
グレ 22〜27p 15匹 オキアミ フカセ釣り
   p  匹    
   p  匹    
   p  匹    
タナ深く3〜4ヒロ、最後まで釣れるパターンがつかめませんでした。 釣人:さわいち
西-5番  2015/11/23 (午前中時〜 時)
グレ 23~26p 20匹 オキアミ フカセ釣り
   p  匹    
   p  匹    
   p  匹    
よく浮いてました。 釣人:サトシF
西-5番  2015/11/24 (終日時〜 時)
グレ 20〜30p 19匹 オキアミ フカセ釣り
   p  匹    
   p  匹    
   p  匹    
久々の30UPです。午後から良型が連発しました。タナは深いです。 釣人:管理人
西-5番  2007/11/24 (終日時〜 時)
グレ 20~28p 22匹 オキアミ フカセ釣り
   p  匹    
   p  匹    
   p  匹    
ぽつぽつ釣れて楽しかったです。25cm以上は3匹のみ 釣人:いぐぱぱ
西-5番  2015/11/19 (終日時〜 時)
グレ 20〜27p 8匹 オキアミ フカセ釣り
   p  匹    
   p  匹    
   p  匹    
タナは深かったです。隣のヌカぎりの方が釣果は良かった。 釣人:YH
西-5番  2015/11/16 (終日時〜 時)
グレ 20〜26p 24匹 オキアミ フカセ釣り
   p  匹    
   p  匹    
   p  匹    
タナは深いです。タモ入れサイズは釣れませんでした。 釣人:管理人
西-5番  2015/11/15 (終日時〜 時)
グレ 20〜25p 6匹 オキアミ フカセ釣り
   p  匹    
   p  匹    
   p  匹    
朝の2時間のみで、後はアタリなしです。 釣人:たばこ屋 <<<
平磯-11番  2015/11/09 (午前中時〜 時)
アコウ 42.5p 1匹 シラサエビ エビ撒き釣り
キュウセンベラ 23.5p 1匹    
ガシラ 18p 4匹    
   p  匹    
あいにくの雨でしたが思わぬ高級魚に驚きました。 釣人:こてつ
西-5番  2015/11/11 (終日時〜 時)
グレ 20〜24p 8匹 オキアミ フカセ釣り
   p  匹    
   p  匹    
   p  匹    
数釣りが出来ません。さらなる臨機応変なる釣法を痛感。 釣人:YH
西-5番  2015/11/12 (終日時〜 時)
グレ 21〜27p 5匹 オキアミ フカセ釣り
   p  匹    
   p  匹    
   p  匹    
沈め探りでアタリを取るのが難しい 釣人:秋グレ
西-5番  2015/11/11 (終日時〜 時)
グレ 33,2p 1匹 オキアミ フカセ釣り
   p  匹    
   p  匹    
   p  匹    
  釣人:さわいち
西-5番  2015/11/11 (終日時〜 時)
グレ 20〜33p 29匹 オキアミ フカセ釣り
   p  匹    
   p  匹    
   p  匹    
早朝浮くも、その後はタナ3ヒロ前後、竿3〜5本先 釣人:さわいち
西-5番  2015/11/07 (午前中時〜 時)
グレ 20〜25p 9匹 オキアミ フカセ釣り
   p  匹    
   p  匹    
   p  匹    
久しぶりに釣れました。 釣人:わいるだー
西-3番  2015/11/05 (午前中時〜 時)
べラ 13〜20p 37匹 地ゴカイ 投げ釣り
   p  匹    
   p  匹    
   p  匹    
オモリが海底に着底後30秒以内に多くアタリがありました 釣人:秋グレ
西-4番  2015/11/05 (午後時〜 時)
グレ 23~30p 10匹 オキアミ フカセ釣り
べら 10p 4匹    
   p  匹    
   p  匹    
ひさしぶりの30です。 釣人:サトシF、妻
西-5番  2015/11/03 (終日時〜 時)
グレ 20〜28p 5匹 オキアミ フカセ釣り
   p  匹    
   p  匹    
   p  匹    
久しぶりのフカセで疲れました。 釣人:まさ <<<
西-5番  2015/11/03 (午後時〜 時)
アオリイカ 23p 1匹 小アジ 泳がせ釣り
   p  匹    
   p  匹    
   p  匹    
今期最大です。アタリは1回のみでした。 釣人:管理人
西-5番  2015/11/03 (午前中時〜 時)
グレ 20〜28p 11匹 オキアミ フカセ釣り
   p  匹    
   p  匹    
   p  匹    
今日は殆どグレは浮きませんでした。オセンもかなり沖に出る様になりました。 釣人:管理人
西-5番  2015/10/29 (午後時〜 時)
アオリイカ 18〜19p 2匹 小アジ 泳がせ釣り
   p  匹    
   p  匹    
   p  匹    
フカセの後、延長戦で夕方まで粘りました。タナは3.5〜4ヒロです。 釣人:管理人
西-5番  2015/10/29 (午前中時〜 時)
グレ 20〜28p 7匹 オキアミ フカセ釣り
   p  匹    
   p  匹    
   p  匹    
時々グレは浮きましたが、ボラの数が多過ぎて、最後まで苦戦しました。 釣人:管理人
西-5番  2015/10/28 (終日時〜 時)
グレ 20〜25p 14匹 オキアミ フカセ釣り
   p  匹    
   p  匹    
   p  匹    
グレは全く浮きませんでした。 釣人:YH
西   2015/10/28 (終日時〜 時)
アイゴ 39p 1匹 オキアミ フカセ釣り
グレ 20〜25p 9匹    
   p  匹    
   p  匹    
舞子のワンドで、風が強くなるまではよく浮いていました。 釣人:さわいち
西-4番  2015/10/26 (午後時〜 時)
グレ 20~25p 11匹 オキアミ フカセ釣り
ウミタナゴ 20p 1匹    
べラ 15p 1匹    
   p  匹    
人が多かったです。グレ浮いてました。 釣人:サトシF、妻
一文字-9番  2015/10/25 (終日時〜 時)
コブダイ 74p 1匹 アケミ ブッコミ釣り
   p  匹    
   p  匹    
   p  匹    
自己記録。同行者75cm 釣人:AY <<<
西-2番  2015/10/24 (午前中時〜 時)
アオリイカ 16p 1匹 イワシ 泳がせ釣り
ヒラメ 20p 1匹    
ダツ 50p 1匹    
   p  匹    
外向きで青物を狙いましたが、全く反応無しです。ナブラも出ませんでした。 釣人:管理人
西-5番  2015/10/22 (終日時〜 時)
グレ 20~25p 11匹 オキアミ フカセ釣り
   p  匹    
   p  匹    
   p  匹    
ひさしぶりのグレです! 釣人:サトシF <<<
西-1番  2015/10/21 (午後時〜 時)
ハマチ(まがり) 65p 1匹 イワシ 泳がせ釣り
   p  匹    
   p  匹    
   p  匹    
またもや、飲ませです。写真ありません! 釣人:サトシF <<<
西-1番  2015/10/20 (午後時〜 時)
ツバス 40p 1匹 イワシ 泳がせ釣り
   p  匹    
   p  匹    
   p  匹    
また、飲ませです。ナブラがありました!写真ありません! 釣人:サトシF <<<
西-1番  2015/10/19 (午後時〜 時)
スズキ 70p 1匹 イワシ 泳がせ釣り
   p  匹    
   p  匹    
   p  匹    
イワシ大漁です!すみません写真ありません! 釣人:サトシF <<<
一文字-9番  2007/10/23 (終日時〜 時)
グレ 24〜27p 4匹 オキアミ フカセ釣り
   p  匹    
   p  匹    
   p  匹    
トホホホ! サッパリでしたが、人さんのメジロ74cmを掬わせていただきました。 釣人:kもりた <<<
西-5番  2015/10/22 (終日時〜 時)
グレ 20〜28p 21匹 オキアミ フカセ釣り
   p  匹    
   p  匹    
   p  匹    
良く浮きましたが、喰いは悪いです。25pオーバーは僅か4枚でした。 釣人:管理人
東-3番  2015/10/15 (午前中時〜 時)
アオリイカ 12〜23p 2匹 小アジ 泳がせ釣り
   p  匹    
   p  匹    
   p  匹    
エサの小アジは殆ど釣れず。青物は今日も不発です。 釣人:管理人
東-3番  2015/10/12 (午前中時〜 時)
グレ 22〜28p 44匹 オキアミ フカセ釣り
   p  匹    
   p  匹    
   p  匹    
22〜23cm中心で25cm以下が多く、ましなサイズは4枚でした。 釣人:k,t
一文字-8番  2015/10/09 (午前中時〜 時)
グレ 23p 10匹 生オキアミ フカセ釣り
グレ 28p 6匹    
グレ 30p 5匹    
   p  匹    
一回の振込に3回は撒き餌しました。添加剤はグレ用を使用、ヌカを混ぜると釣果が下る 釣人:八幡くっすん <<<
東-4番  2015/10/07 (終日時〜 時)
グレ 20〜24p 11匹 オキアミ フカセ釣り
アオリ 18p 1匹 小アジ  
   p  匹    
   p  匹    
グレは午前中の釣果。午後から小アジのエサ釣りでアオリゲット。 釣人:管理人
東-3番  2015/10/04 (終日時〜 時)
ハマチ 48p 1匹 小アジ 泳がせ釣り
アオリイカ 16〜17p 2匹    
   p  匹    
   p  匹    
ハマチ、アオリともにアタリは午後からありました。 釣人:管理人
西-1番  2015/09/30 (夕方時〜 時)
スズキ 60〜70p 2匹 イワシ 泳がせ釣り
ハマチ  p 1匹    
   p  匹    
   p  匹    
遅れましたが・・・ ハマチは、まがりです! 釣人:サトシF
東-4番  2015/09/30 (午前中時〜 時)
グレ 22〜26p 4匹 オキアミ フカセ釣り
   p  匹    
   p  匹    
   p  匹    
飲ませ釣りの合間に1時間ほどフカセをやりました。青物は今回も不発です。 釣人:管理人 <<<
東-3番  2015/09/27 (午前中時〜 時)
アオリイカ 16〜18p 2匹 小アジ 泳がせ釣り
   p  匹    
   p  匹    
   p  匹    
アオリのアタリは3回のみ。青物の気配はありませんでした。 釣人:管理人
東-2番  2015/09/25 (夜間時〜 時)
アコウ 24p 1匹 青虫 ウキ釣り
ガシラ 16〜20p 2匹    
   p  匹    
   p  匹    
小さくても嬉しいアコウ。タナは中層で釣れました。 釣人:ゴールドブレンド
西-5番  2007/09/19 (終日時〜 時)
グレ 28~20p 11匹 オキアミ フカセ釣り
アイゴ 30p 1匹    
   p  匹    
   p  匹    
ひさしぶりのフカセ釣りでした! 釣人:サトシF
西-5番  2015/09/19 (終日時〜 時)
グレ 20〜27p 16匹 オキアミ フカセ釣り
アイゴ 37p 1匹    
チャリコ 22p 1匹    
   p  匹    
9時頃まではグレは良く浮きましたが、その後は全く浮かず。 釣人:管理人
西-5番  2015/09/15 (終日時〜 時)
グレ 20〜28p 11匹 オキアミ フカセ釣り
アオリ 8〜11p 5匹 エギ  
   p  匹    
   p  匹    
オセンの動きが複雑で苦戦しました。アオリは夕方にエギングで。 釣人:管理人
西-5番  2015/09/16 (早朝時〜 時)
アオリイカ 13〜15p 2匹 エギ3号 ルアー・エギング
   p  匹    
   p  匹    
   p  匹    
舞子で釣りました。 釣人:さわいち
東-4番  2015/09/12 (午前中時〜 時)
アイゴ 38p 1匹 練りエサ フカセ釣り
   p  匹    
   p  匹    
   p  匹    
久しぶりにチヌ狙いで行ったのですが、ダメでした。 釣人:TOMO
中央-1番  2015/09/11 (夕方時〜 時)
アジ 17p 40〜50匹 オキアミ サビキ釣り
   p  匹    
   p  匹    
   p  匹    
夕刻17時〜18時半まで小アジ祭りでした。
他、サバ、ウリボウ、イワシ多数
釣人:こてつ
西-5番  2015/09/09 (夕方時〜 時)
アオリイカ 12〜14p 3匹 エギ ルアー・エギング
   p  匹    
   p  匹    
   p  匹    
アタリの半分も乗せる事ができませんでした。 釣人:さわいち <<<
西-5番  2007/09/05 (終日時〜 時)
アイゴ 37p 1匹 オキアミ フカセ釣り
グレ 20〜23p 2匹    
サヨリ 25〜30p 4匹    
   p  匹    
グレは20p以下が多いです。朝夕はエギングでアオリ3杯。 釣人:管理人
東-3番  2007/09/05 (夜間時〜 時)
チヌ 42p 1匹 イワシ 投げ釣り
ガシラ 17〜23p 6匹 マムシ  
   p  匹    
   p  匹    
チヌはイワシで釣れました。ガシラも虫よりイワシがよく釣れました。 釣人:ゴールドブレンド
東-1番  2015/09/02 (午後時〜 時)
ガシラ 17p 1匹 イワシ 泳がせ釣り
アナハゼ 18p 1匹    
   p  匹    
   p  匹    
しょぼいノマセ釣果。ウルメイワシが大量回遊中。アジは暗くなってからきました。 釣人:ゴールドブレンド
西   2015/09/02 (夜間時〜 時)
アオリイカ 11〜14p 5匹 エギ ルアー・エギング
   p  匹    
   p  匹    
   p  匹    
20時〜22時、舞子で、夜は、やはり大きいのが釣れます。 釣人:さわいち
西-5番  2015/09/02 (午前中時〜 時)
アオリイカ 7〜10p 7匹 エギ ルアー・エギング
   p  匹    
   p  匹    
   p  匹    
今日は追いが悪く、あまり浮いてこず底で釣れました。 釣人:さわいち
一文字-6番  2015/08/31 (午前中時〜 時)
メジロ 65p 1匹 活きアジ 泳がせ釣り
   p  匹    
   p  匹    
   p  匹    
10年ROMって初投稿です。上あごはヒラマサっぽいですが… 釣人:しんぢ
西-2番  2015/08/29 (夕方時〜 時)
アオリイカ 6〜11p 12匹 エギ ルアー・エギング
   p  匹    
   p  匹    
   p  匹    
20時までの釣果。10pオーバー3杯のみキープ。まだ、際でしか乗って来ません。 釣人:管理人 <<<
西-2番  2015/08/27 (夕方時〜 時)
ケンサキイカ 20p 1匹 エギ ルアー・エギング
アオリイカ 7〜9p 5匹    
   p  匹    
   p  匹    
試し釣り。アオリはまだまだリリースサイズです。ケンサキのみキープ。 釣人:管理人
東-3番  2015/08/23 (早朝時〜 時)
スズキ 61p 1匹 イワシ 泳がせ釣り
   p  匹    
   p  匹    
   p  匹    
6時半頃に釣れました。7時前より東からの汚れた潮が入り、青物はさっぱりでした。 釣人:管理人
東-9番  2007/08/05 (終日時〜 時)
チヌ 23〜29p 3匹 オキアミ 紀州釣り
キビレ 26p 1匹    
チャリコ 25p 1匹    
   p  匹    
ダンゴ12時間完投。チビばかりのお粗末な釣果。招かざる相手ボラのヘソを5個! 釣人:kもりた
西-3番  2015/08/05 (夜間時〜 時)
サバ 34p 1匹 キビナゴ ウキ釣り
アジ 24p 1匹    
カマス 〜25p 3匹    
   p  匹    
小サバは居なかったのですが、ほとんどがカマスアタリでした。 釣人:さわいち
東-3番  2015/08/02 (午前中時〜 時)
ハマチ 61p 1匹 豆アジ 泳がせ釣り
   p  匹    
   p  匹    
   p  匹    
釣れたのは残念ながら曲がりです。アタリは早朝の潮止まり時の1回のみでした。 釣人:管理人
東-1番  2015/07/26 (夜間時〜 時)
サバ 35p 1匹 サンマの切り身 ウキ釣り
   p  匹    
   p  匹    
   p  匹    
20時半に3ヒロで。アタリはぼちぼちあります。 釣人:ゴールドブレンド

東-3番  2015/07/26 (早朝時〜 時)
ツバス 35p 1匹 豆アジ 泳がせ釣り
スズキ 71〜78p 2匹    
   p  匹    
   p  匹    
午前6時〜8時の間で釣れました。潮止まり時にアタリが連発しました。 釣人:管理人
中央-11番  2015/07/25 (夜間時〜 時)
サバ 36p 1匹 キビナゴ ウキ釣り
   p  匹    
   p  匹    
   p  匹    
小サバが多い中、ようやく21時半に釣れました。 釣人:管理人
東-4番  2015/07/18 (午前中時〜 時)
ガシラ 21p 8匹 アオイソメ 投げ釣り
   p  匹    
   p  匹    
   p  匹    
台風一過、ガシラの他にベラ多数が釣りを楽しませてくれました。 釣人:こてつ
東-1番  2007/07/11 (午前中時〜 時)
チヌ 42p 1匹 オキアミ 紀州釣り
   p  匹    
   p  匹    
   p  匹    
8-14時釣行 1番西向き 気配濃厚でしたが1匹のみ 今年も姿は拝めました 釣人:風
西-5番  2015/07/08 (夜間時〜 時)
サバ 36p 1匹 きびなご ウキ釣り
   p  匹    
   p  匹    
   p  匹    
アタリは頻繁にあるのですが小サバばかりです。 釣人:さわいち
中央-11番  2015/07/08 (夕方時〜 時)
豆アジ 5〜7p 20匹 アミエビ サビキ釣り
サバ 12〜18p 20匹    
イワシ 8〜10p 10匹    
   p  匹    
どのタナにもサバ、なかなかアジを釣らせてもらえません。 釣人:ゴールドブレンド
西-1番  2015/06/30 (午前中時〜 時)
スズキ 58〜72p 2匹 活きイワシ 泳がせ釣り
   p  匹    
   p  匹    
   p  匹    
朝一に連続で釣れました。エサのイワシはワンド内に大量にいます。 釣人:管理人
西-3番  2015/06/24 (午前中時〜 時)
べラ 11〜16p 25匹 地ゴカイ 投げ釣り
   p  匹    
   p  匹    
   p  匹    
緩い流れの東流とベラの活性が高い西流の始の潮を狙ってベラの着信を楽しみました 釣人:秋グレ
東-6番  2007/06/23 (終日時〜 時)
グレ 24〜33p 3匹 オキアミ フカセ釣り
   p  匹    
   p  匹    
   p  匹    
33pは午前中、東8番での釣果。午後から6番へ移動後2枚追加。 釣人:管理人
西-1番  2015/06/20 (午前中時〜 時)
スズキ 82~55p 2匹 イワシ 泳がせ釣り
   p  匹    
   p  匹    
   p  匹    
最後最後でビックなやつが食ってきました!自己記録更新です! 釣人:サトシF
東-5番  2015/06/14 (午前中時〜 時)
キュウセンベラ 19cm〜p 8匹 アオイソメ 投げ釣り
アイナメ 15p 1匹    
ガシラ 15p 1匹    
   p  匹    
キュウセンベラ祭りとなり、リリース多数。
海面にはスズメダイが無数に!
釣人:こてつ
西-5番  2015/06/13 (午前中時〜 時)
グレ 23~25p 2匹 オキアミ フカセ釣り
   p  匹    
   p  匹    
   p  匹    
だめでした! 釣人:サトシF <<<
西-5番  2015/06/13 (終日時〜 時)
グレ 21〜29p 7匹 オキアミ フカセ釣り
ツバス 24p 1匹    
   p  匹    
   p  匹    
オセンの多さは異常です。今日はイワシ、小サバ、サヨリも湧いてました。 釣人:管理人
東-6番  2015/06/10 (終日時〜 時)
グレ 21〜28p 7匹 オキアミ フカセ釣り
ウマヅラ 34p 1匹    
   p  匹    
   p  匹    
午後から強烈な当て潮で、殆ど釣りは出来ず。雨後の濁りでグレの喰いはイマイチ。 釣人:管理人
西-5番  2015/06/10 (終日時〜 時)
サヨリ 37、8p 1匹 オキアミ フカセ釣り
   p  匹    
   p  匹    
   p  匹    
上げてみると大きなサヨリちゃんでした。 釣人:さわいち
西-5番  2015/06/10 (終日時〜 時)
グレ 20〜27p 7匹 オキアミ フカセ釣り
   p  匹    
   p  匹    
   p  匹    
遠投でもオセンをかわすことができませんでした。 釣人:さわいち
一文字-8番  2015/06/02 (終日時〜 時)
グレ 24〜26p 2匹 オキアミ フカセ釣り
   p  匹    
   p  匹    
   p  匹    
恥ずかしながら、1日がかりでこの釣果! 釣人:kもりた
東-1番  2015/05/30 (午前中時〜 時)
ボラ 60p 2匹 オキアミ 紀州釣り
   p  匹    
   p  匹    
   p  匹    
久々釣行です チヌまで届かず もう少し 釣人:風 <<<
西-5番  2015/05/28 (終日時〜 時)
グレ 20〜25p 13匹 オキアミ フカセ釣り
   p  匹    
   p  匹    
   p  匹    
午後から向かい風と強烈な当て潮でオセンの分離が出来ず。難しいです。 釣人:管理人
西-5番  2015/05/27 (終日時〜 時)
グレ 21〜30p 24匹 オキアミ フカセ釣り
   p  匹    
   p  匹    
   p  匹    
超遠投、タナ1〜2ヒロ、午後からはあまり食わず、釣果は、写真+4匹です。 釣人:さわいち
西-5番  2015/05/25 (終日時〜 時)
グレ 21〜27p 17匹 オキアミ フカセ釣り
   p  匹    
   p  匹    
   p  匹    
オセン多過ぎです。マキエの量が全然足りませんでした。 釣人:管理人
西-5番  2015/05/22 (午後時〜 時)
グレ 25~26p 3匹 オキアミ フカセ釣り
   p  匹    
   p  匹    
   p  匹    
なんとか釣れました! 釣人:サトシF <<<
一文字-8番  2007/05/21 (終日時〜 時)
グレ 23〜27p 13匹 オキアミ フカセ釣り
   p  匹    
   p  匹    
   p  匹    
2千円払ってオセンと青サギを養ってきました。 釣人:kもりた
東-6番  2015/05/21 (午後時〜 時)
グレ 22〜29p 7匹 オキアミ フカセ釣り
   p  匹    
   p  匹    
   p  匹    
久々の東6です。午後から3時間半の釣行でしたが、オセン大量でギブアップです。 釣人:管理人
西-5番  2015/05/20 (終日時〜 時)
グレ 20〜29p 28匹 オキアミ フカセ釣り
   p  匹    
   p  匹    
   p  匹    
午後からは遠投、40m先タナ2ヒロ前後,釣果は写真プラス7匹です。 釣人:さわいち
中央-11番  2007/05/19 (終日時〜 時)
グレ 20〜27p 10匹 オキアミ フカセ釣り
   p  匹    
   p  匹    
   p  匹    
浮きますが食いません。スカリから7匹脱走ショック! 釣人:東大阪ファミリー
一文字-9番  2007/05/17 (終日時〜 時)
メバル 27-20p 4匹 ブツエビ ウキ釣り
ガシラ 20p 1匹 シラサエビ  
キュウセンベラ 17.5p 1匹    
   p  匹    
ブツエビ売ってたのでメバル釣行 他ガシラリリース15 楽しい一日でした 釣人:こてつ
一文字-8番  2015/05/18 (終日時〜 時)
グレ 22〜26p 14匹 オキアミ フカセ釣り
   p  匹    
   p  匹    
   p  匹    
予報どおりの向かい風で往生しました。
3回連続の14枚どまり、おかしなことです。
釣人:kもりた <<<
一文字-6番  2015/05/17 (終日時〜 時)
グレ 22〜28p 13匹 オキアミ フカセ釣り
   p  匹    
   p  匹    
   p  匹    
2〜3ヒロで、なかなかういてきませんでした。 釣人:k,t
西-5番  2015/05/15 (午前中時〜 時)
グレ 21〜26p 6匹 オキアミ フカセ釣り
   p  匹    
   p  匹    
   p  匹    
13時までの釣果。時々浮いていました。4匹はノリさんの魚です。 釣人:ひろ
西-5番  2015/05/14 (午前中時〜 時)
グレ 20〜24p 5匹 オキアミ フカセ釣り
   p  匹    
   p  匹    
   p  匹    
突然の雨のでお昼で撤収。グレは終始浮かず。 釣人:管理人
一文字-8番  2007/05/14 (午前中時〜 時)
グレ 23〜27p 14匹 オキアミ フカセ釣り
   p  匹    
   p  匹    
   p  匹    
予報外の雨にほうほうの態で逃げ帰り、残念ながらまた14枚止まり。 釣人:kもりた
西-5番  2015/05/13 (午後時〜 時)
グレ 20〜23p 8匹 オキアミ フカセ釣り
   p  匹    
   p  匹    
   p  匹    
オキアミへの反応が良くなってきたみたいです。 釣人:さわいち
一文字-8番  2007/05/11 (午後時〜 時)
グレ 23〜27p 14匹 オキアミ フカセ釣り
   p  匹    
   p  匹    
   p  匹    
向かい風で、2時から4時半の釣りでした。 釣人:kもりた
一文字-6番  2015/05/10 (終日時〜 時)
グレ 21〜29p 18匹 オキアミ フカセ釣り
   p  匹    
   p  匹    
   p  匹    
今日は、ういて、しずんでの繰り返しで1ヒロ〜4ヒロの間でくいました。 釣人:k,t
一文字-9番  2015/05/09 (午前中時〜 時)
メバル 30p 2匹 ブツエビ ウキ釣り
ガシラ 20〜15p 2匹    
   p  匹    
   p  匹    
メバルのアタリがほぼ無く厳しい一日でした。ベラ他リリース20ブツエビも時期終了? 釣人:こてつ
一文字-6番  2015/05/08 (午前中時〜 時)
マダイ 43p 1匹 オキアミ ウキ釣り
   p  匹    
   p  匹    
   p  匹    
6ヒロで 流していました 釣人:ウキがブシュー
一文字-8番  2007/05/07 (終日時〜 時)
グレ 24〜28p 16匹 オキアミ フカセ釣り
   p  匹    
   p  匹    
   p  匹    
今年の初グレ、早くもオセンに泣かされました。 釣人:kもりた
中央-11番  2015/05/07 (終日時〜 時)
グレ 21〜28p 6匹 オキアミ フカセ釣り
   p  匹    
   p  匹    
   p  匹    
昼すぎと夕方浮きましたが、食わすことができません。釣れてたのしかったです。 釣人:東大阪ファミリー
西-5番  2015/05/06 (終日時〜 時)
グレ 21〜23p 2匹 オキアミ フカセ釣り
   p  匹 アオサ  
   p  匹    
   p  匹    
グレは全く見えません。3〜4ヒロで辛うじて釣れました。 釣人:管理人
西-5番  2015/05/06 (終日時〜 時)
グレ 20〜23p 4匹 オキアミ フカセ釣り
   p  匹    
   p  匹    
   p  匹    
ヌカ切り師多く、思うように釣りをする事ができませんでした。 釣人:さわいち
一文字-6番  2015/05/05 (午前中時〜 時)
グレ 22〜31p 11匹 オキアミ フカセ釣り
   p  匹    
   p  匹    
   p  匹    
今年初めてのグレ釣行です。午前中にあたりました。 釣人:k.t
西-1番  2015/05/03 (終日時〜 時)
チヌ 50p 1匹 オキアミ サビキ釣り
   p  匹    
   p  匹    
   p  匹    
今年二枚目の年無し。 釣人:もりちゃん
西-5番  2015/04/29 (終日時〜 時)
グレ 21〜30p 4匹 オキアミ フカセ釣り
   p  匹    
   p  匹    
   p  匹    
グレ初釣行、釣れて良かったです。 釣人:さわいち
西-5番  2015/04/29 (終日時〜 時)
グレ 20〜25p 9匹 アオサ フカセ釣り
   p  匹    
   p  匹    
   p  匹    
今シーズン最初のグレ狙いです。午後からアタリが連発しました。 釣人:管理人
一文字-2番  2015/04/27 (午前中時〜 時)
マダイ 40〜46p 2匹 オキアミ ウキ釣り
   p  匹    
   p  匹    
   p  匹    
マダイ狙いで、4回目の挑戦で 釣れました。 釣人:ウキがブシュー <<<
一文字-4番  2015/04/25 (終日時〜 時)
チヌ 50.5p 1匹 オキアミ フカセ釣り
   p  匹    
   p  匹    
   p  匹    
今日はかなり厳しい一日でした。写真は写ってなかったのですが、投稿しておきます。 釣人:TOMO <<<
一文字-8番  2015/04/17 (午後時〜 時)
チヌ 38〜45p 5匹 オキアミ フカセ釣り
   p  匹    
   p  匹    
   p  匹    
風で釣りズラい一日でした。潮が緩んだ時にアタリがありました。 釣人:ウキがブシュー
一文字-6番  2015/04/17 (終日時〜 時)
チヌ 40~43p 5匹 オキアミ フカセ釣り
   p  匹    
   p  匹    
   p  匹    
予想外の強い西風で釣り辛かったです。タナは3.5ヒロ前後でした。 釣人:TOMO
一文字-9番  2015/04/11 (午前中時〜 時)
アイナメ 22〜39p 6匹 マムシ 胴付き・探り釣り
   p  匹    
   p  匹    
   p  匹    
アイナメの39cmは自己記録です。
なかなか厳しい一日でした。
釣人:AY
一文字-9番  2015/04/11 (終日時〜 時)
メバル 24〜15p 3匹 ブツエビ ウキ釣り
   p  匹 白魚  
   p  匹    
   p  匹    
その他ガシラリリースサイズ30程でした。
周辺、チヌ好調な様です。
釣人:こてつ
一文字-6番  2015/04/11 (終日時〜 時)
チヌ 33~43p 2匹 オキアミ フカセ釣り
   p  匹    
   p  匹    
   p  匹    
4ヒロで釣れました。今日も厳しい一日でした。しかし、一文字自体は好調のようです。 釣人:TOMO
一文字-4番  2015/04/04 (終日時〜 時)
チヌ 41p 1匹 オキアミ フカセ釣り
   p  匹    
   p  匹    
   p  匹    
辛うじて1枚釣れました。タナは3ヒロでした。 釣人:TOMO
一文字-9番  2015/03/27 (午後時〜 時)
メバル 24p 2匹 ブツエビ ウキ釣り
メバル 19p 1匹    
ガシラ 19〜15p 15匹    
   p  匹    
16時頃バタバタと釣れました 釣人:こてつ
東-2番  2015/03/26 (夜間時〜 時)
ガシラ 26p 1匹 青虫 ウキ釣り
ガシラ 21p 1匹    
   p  匹    
   p  匹    
19時〜21時。短時間でしたが良型に当たりました。キワで2ヒロぐらい。 釣人:ゴールドブレンド
一文字-4番  2015/03/27 (終日時〜 時)
チヌ 38-43p 4匹 オキアミ フカセ釣り
   p  匹    
   p  匹    
   p  匹    
少々遠投して4.5ヒロで釣れました。 釣人:TOMO
東-6番  2015/03/25 (終日時〜 時)
チヌ 40p 1匹 オキアミ フカセ釣り
   p  匹    
   p  匹    
   p  匹    
15時、タナ4ヒロでゆっくり右に流れてる時に、ウキが入りました。 釣人:さわいち
一文字-9番  2015/03/22 (午前中時〜 時)
メバル 24.5p 2匹 ブツエビ ウキ釣り
メバル 22p 1匹    
メバル 15p 2匹    
   p  匹    
その他ガシラリリース20匹 10時から13時まで3時間の釣行でした。 釣人:こてつ
一文字-4番  2015/03/21 (終日時〜 時)
チヌ 43-46p 2匹 オキアミ フカセ釣り
   p  匹    
   p  匹    
   p  匹    
4ヒロ前後で釣れました。今日はアタリも少なく厳しい一日でした。 釣人:TOMO
東-6番  2015/03/18 (終日時〜 時)
チヌ 42p 1匹 オキアミ フカセ釣り
   p  匹    
   p  匹    
   p  匹    
14時半,竿2本先、タナ4ヒロ、11時半バラシ1枚。 釣人:さわいち
一文字-11番  2015/03/15 (終日時〜 時)
ガシラ 16〜22p 12匹 オキアミ 胴付き・探り釣り
   p  匹    
   p  匹    
   p  匹    
小さいガシラはリリース18匹、大きいヤツに出会えません 釣人:滋賀のT <<<
一文字-9番  2015/03/08 (午後時〜 時)
メバル 18〜32p 16匹 シラウオ 胴付き・探り釣り
   p  匹    
   p  匹    
   p  匹    
昼14時前から14時過ぎまで入れ食いでした 釣人:S
一文字-9番  2015/03/07 (終日時〜 時)
メバル 23〜30p 3匹 シラウオ 胴付き・探り釣り
   p  匹    
   p  匹    
   p  匹    
アタリが少なく厳しい状況でした 釣人:S
一文字-4番  2015/03/07 (終日時〜 時)
チヌ 38-47p 4匹 オキアミ フカセ釣り
   p  匹    
   p  匹    
   p  匹    
4ヒロ前後で釣れました。 釣人:TOMO
一文字-6番  2015/02/28 (終日時〜 時)
ガシラ 20強p 2匹 オキアミ 胴付き・探り釣り
ガシラ 16〜19p 15匹    
アイナメ 20p 1匹    
   p  匹    
リリース・ガシラ20匹。チヌ、ガシラ、アイナメを頂き、ありがとうm(_ _)m 釣人:滋賀のT <<<
一文字-4番  2015/02/28 (終日時〜 時)
チヌ 44-48p 2匹 オキアミ フカセ釣り
   p  匹    
   p  匹    
   p  匹    
4ヒロ前後で釣れました。今日は厳しい一日でした。 釣人:TOMO
一文字-9番  2015/02/28 (終日時〜 時)
メバル 18〜28p 12匹 シラウオ 胴付き・探り釣り
   p  匹    
   p  匹    
   p  匹    
朝10時過ぎから昼までアタリが集中してました 釣人:S
東-6番  2015/02/25 (終日時〜 時)
チヌ 42〜43p 2匹 オキアミ フカセ釣り
   p  匹    
   p  匹    
   p  匹    
今年、最初の垂水釣行です。午後からテトラ際で釣れました。タナは4ヒロです。 釣人:管理人
東-6番  2015/02/25 (終日時〜 時)
チヌ 40p 1匹 オキアミ フカセ釣り
   p  匹    
   p  匹    
   p  匹    
何とか1匹釣れました,バラシ1匹。 釣人:さわいち
一文字-7番  2015/02/21 (終日時〜 時)
ガシラ 23p 2匹 オキアミ 胴付き・探り釣り
ガシラ 15〜18p 10匹    
アイナメ 20p 1匹    
   p  匹    
ガシラ貧果、チヌ釣人は大漁、頂いたチヌはしゃぶしゃぶ→美味かった、ありがとう 釣人:滋賀のT <<<
一文字-4番  2015/02/21 (終日時〜 時)
チヌ 43-49p 6匹 オキアミ フカセ釣り
   p  匹    
   p  匹    
   p  匹    
4.5ヒロ前後で釣れました。全て午前中の釣果で午後はアタリが有りませんでした。 釣人:TOMO
東-6番  2007/02/15 (午後時〜 時)
チヌ 49,50p 2匹 オキアミ フカセ釣り
   p  匹    
   p  匹    
   p  匹    
久しぶりの垂水です。バラシ1枚。 釣人:ノリさん
中央-11番  2015/02/16 (午後時〜 時)
洩湫メ 32〜40p 2匹 湾シ 投げ釣り
   p  匹    
   p  匹    
   p  匹    
夕まずめに立て読けてきました 釣人:働蒔ン <<<
東-6番  2015/02/15 (午後時〜 時)
チヌ 41〜50p 2匹 オキアミ フカセ釣り
   p  匹    
   p  匹    
   p  匹    
久々の釣り行、PM1時過ぎとPM2時半に釣れました。 釣人:せきやん
一文字-4番  2015/02/14 (終日時〜 時)
チヌ 38-43p 2匹 オキアミ フカセ釣り
   p  匹    
   p  匹    
   p  匹    
4ヒロ前後で釣れました。今日はアタリも少なく、厳しい一日でした。 釣人:TOMO
東-2番  2015/02/07 (夜間時〜 時)
ガシラ 22〜24p 2匹 青虫 ウキ釣り
ガシラ 17〜20p 3匹    
   p  匹    
   p  匹    
20時〜23時。ベタ底で。ひっさびさの24センチ。夜中でもチビが多いです。 釣人:ゴールドブレンド
一文字-4番  2015/02/07 (終日時〜 時)
ガシラ 24p 1匹 オキアミ 胴付き・探り釣り
アブラメ 25p 1匹    
ガシラ 15〜20p 10匹    
   p  匹    
穴釣りでガシラが釣れない。小型のリリースは16匹。厳しい一日でした。 釣人:滋賀のT <<<
一文字-5番  2015/02/07 (終日時〜 時)
アブラメ 30〜35p 2匹 シラサエビ 胴付き・探り釣り
メバル 20〜23p 3匹    
   p  匹    
   p  匹    
やっとメバルが食いだした… 釣人:S
一文字-4番  2015/02/07 (終日時〜 時)
チヌ 33-47p 4匹 オキアミ フカセ釣り
   p  匹    
   p  匹    
   p  匹    
4ヒロ前後で釣れました。アタリは今日も、そこそこ有りました。 釣人:TOMO
中央-11番  2015/02/01 (夕方時〜 時)
ガシラ 13〜22p 11匹 キビナゴ 胴付き・探り釣り
   p  匹    
   p  匹    
   p  匹    
アタリが少なかったです 釣人:S
東-1番  2015/02/01 (夕方時〜 時)
ガシラ 16〜20p 3匹 青虫 ウキ釣り
   p  匹    
   p  匹    
   p  匹    
キワ、底〜中層で。時合い以外はほぼ反応ゼロでした。 釣人:ゴールドブレンド
一文字-4番  2015/01/31 (終日時〜 時)
チヌ 34-46p 11匹 オキアミ フカセ釣り
   p  匹    
   p  匹    
   p  匹    
4ヒロ前後で釣れました。今日はバラシもなく、出来過ぎの一日でした。 釣人:TOMO
一文字-4番  2015/01/25 (終日時〜 時)
メバル 19p 1匹 ブツエビ エビ撒き釣り
ガシラ 10p 3匹    
ベラ 20p 2匹    
   p  匹    
初の垂一釣行。持ち帰り1匹でしたが楽しかったです。隣でチヌ38cmあがってました 釣人:こてつ
東-3番  2015/01/25 (夜間時〜 時)
ガシラ 15〜22p 7匹 マムシ 投げ釣り
   p  匹    
   p  匹    
   p  匹    
日没〜21時。探り釣りもしましたが、際は15p以下のチビばかりでした。 釣人:ゴールドブレンド
東-3番  2015/01/25 (午後時〜 時)
アイナメ 21p 1匹 マムシ 投げ釣り
クジメ 20p 1匹    
アナハゼ 17p 1匹    
   p  匹    
今年もよろしくお願いします。 釣人:ゴールドブレンド
一文字-3番  2015/01/24 (終日時〜 時)
アブラメ 30〜37p 2匹 シラサエビ 胴付き・探り釣り
チヌ 35p 1匹 地エビ  
   p  匹    
   p  匹    
  釣人:S
一文字-4番  2015/01/24 (終日時〜 時)
チヌ 35~41p 2匹 オキアミ フカセ釣り
   p  匹    
   p  匹    
   p  匹    
アタリは結構ありましたが、2匹しか取り込めませんでした。 釣人:TOMO
東-3番  2015/01/12 (午前中時〜 時)
メバル 14p 2匹 シラサエビ エビ撒き釣り
アイナメ 15p 1匹    
   p  匹    
   p  匹    
垂水釣り初めです!
あまりの寒さに逃げ帰ってきました(涙)
釣人:こてつ
東-5番  2015/01/11 (午後時〜 時)
チヌ 51p 1匹 オキアミ フカセ釣り
   p  匹    
   p  匹    
   p  匹    
棚3.5ヒロ。水温12度にしては元気のいい子でした。 釣人:もりちゃん
一文字-7番  2007/01/05 (終日時〜 時)
カンダイ 45p 2匹 オキアミ フカセ釣り
アブラメ 34p 1匹    
   p  匹    
   p  匹    
親には切られ続け、子だけ獲りました。痩せたアブラメのおまけです。 釣人:kもりた
一文字-4番  2015/01/03 (終日時〜 時)
チヌ 40p 1匹 オキアミ フカセ釣り
グレ 25p 1匹 グリンピース  
   p  匹    
   p  匹    
初釣りです。4ヒロで釣れました。 釣人:TOMO
一文字-6番  2014/12/30 (終日時〜 時)
グレ 21〜27p 7匹 沖アミ フカセ釣り
   p  匹    
   p  匹    
   p  匹    
底付近でなんとか。根掛かり多発、子ガシラに苦戦しました。 釣人:e.t
一文字-6番  2014/12/27 (終日時〜 時)
コブダイ 25p 1匹 オキアミ 胴付き・探り釣り
アイナメ 20p 4匹    
ガシラ 18p 7匹    
   p  匹    
釣ってもリリースサイズばかり ガシラ75匹、ソイ2匹、イソベラ3匹をリリース 釣人:滋賀のT <<<
東-3番  2014/12/27 (終日時〜 時)
ガシラ 19p 1匹 アオイソメ 投げ釣り
ガシラ 10p 10匹    
ベラ 20p 5匹    
   p  匹    
2014釣り納め(かも?
東エリア5番に移動後リリースサイズが10程釣れました
釣人:こてつ
一文字-8番  2014/12/27 (終日時〜 時)
グレ 30p 1匹 オキアミ フカセ釣り
チヌ 40p 2匹    
   p  匹    
   p  匹    
グレも今年も終わりですねぇ。42回釣行でグ=307枚・チ=106枚でした。 釣人:kもりた
一文字-6番  2014/12/23 (終日時〜 時)
グレ 22〜29p 8匹 沖アミ フカセ釣り
   p  匹    
   p  匹    
   p  匹    
3〜4ヒロで釣れました。苦戦する時期ですが釣れたら脂がのって美味しいです。 釣人:k,t
西-5番  2014/12/23 (終日時〜 時)
グレ 20〜24p 4匹 オキアミ フカセ釣り
メバル 21p 1匹    
   p  匹    
   p  匹    
寒さと風で心が折れました。水温低下でグレも激シブです。シーズン終了間近です。 釣人:管理人
一文字-5番  2014/12/21 (終日時〜 時)
グレ 22〜25p 6匹 沖アミ フカセ釣り
   p  匹    
   p  匹    
   p  匹    
食いが渋く浮いてきませんでしたがなんとか小型ばかりですが釣れました。 釣人:k.t
一文字-6番  2014/12/21 (終日時〜 時)
チヌ 36〜40p 2匹 コーン フカセ釣り
   p  匹 オキアミ  
   p  匹    
   p  匹    
3ヒロで釣れました。本命はグレだったのですが、グレは釣れませんでした。 釣人:TOMO
中央-11番  2007/12/13 (終日時〜 時)
グレ 25p 3匹 オキアミ フカセ釣り
   p  匹    
   p  匹    
   p  匹    
納竿前にアタリ。暗すぎて写真撮れずすみません。久しぶりの垂水でした。 釣人:東大阪ファミリー <<<
一文字-1番  2014/12/11 (終日時〜 時)
グレ 27〜46p 9匹 沖アミ フカセ釣り
   p  匹    
   p  匹    
   p  匹    
このサイズにはさすがに驚きました。垂一の私の最長寸36cmを大きくこえました。 釣人:k,t
西-5番  2014/12/10 (終日時〜 時)
グレ 20〜24p 13匹 オキアミ フカセ釣り
   p  匹    
   p  匹    
   p  匹    
管理人さん、撒き餌ワークに留意します。有難うございました。 釣人:YH
西-5番  2014/12/10 (終日時〜 時)
グレ 20^24p 11匹 オキアミ フカセ釣り
   p  匹    
   p  匹    
   p  匹    
今日は小型ばかりでした。 釣人:さわいち
西-5番  2014/12/10 (終日時〜 時)
グレ 20〜27p 17匹 オキアミ フカセ釣り
   p  匹    
   p  匹    
   p  匹    
今日は潮が複雑で苦戦しました。殆ど遠投で釣れました。 釣人:管理人
一文字-8番  2007/12/08 (終日時〜 時)
グレ 25〜32p 23匹 オキアミ フカセ釣り
   p  匹    
   p  匹    
   p  匹    
激流の中、まぁまぁ釣れました。 釣人:kもりた
西-5番  2007/12/07 (終日時〜 時)
グレ 20〜31p 25匹 オキアミ フカセ釣り
サヨリ 32p 1匹    
   p  匹    
   p  匹    
西風も強く、とても寒い1日でした。バリコは殆ど居ませんでした。 釣人:管理人
一文字-6番  2014/12/05 (午前中時〜 時)
グレ 20-30p 22匹 オキアミ フカセ釣り
   p  匹    
   p  匹    
   p  匹    
西風に負けて午前で撤収しました。 釣人:TOMO
西-5番  2014/12/03 (終日時〜 時)
グレ 20〜29p 19匹 オキアミ フカセ釣り
   p  匹    
   p  匹    
   p  匹    
強風、波のため釣りづらかったですがエサ取は少なかった。 釣人:YH
西-5番  2014/12/03 (終日時〜 時)
グレ 21〜22p 4匹 オキアミ フカセ釣り
   p  匹    
   p  匹    
   p  匹    
強風下、何とか4枚![Web] 釣人:ヒスイ
西-5番  2014/12/03 (午後時〜 時)
グレ 22〜25p 7匹 オキアミ フカセ釣り
   p  匹    
   p  匹    
   p  匹    
西からの爆風、東向きの水路で、小型ばかりでした。 釣人:さわいち
西-5番  2014/11/29 (終日時〜 時)
グレ 21〜27p 7匹 オキアミ フカセ釣り
   p  匹    
   p  匹    
   p  匹    
なんとか釣れました。 釣人:わいるだー
中央-11番  2014/11/29 (夜間時〜 時)
ガシラ 21p 2匹 シラサエビ エビ撒き釣り
メバル 14p 1匹    
   p  匹    
   p  匹    
10cm位のガシラ、メバルが計20ほど数つれましたが、持ち帰りは3匹でした。 釣人:こてつ
西-5番  2014/11/28 (終日時〜 時)
グレ 20〜30p 38匹 オキアミ フカセ釣り
   p  匹    
   p  匹    
   p  匹    
前半は小型が多かったですが、15時を過ぎてから良型が続きました。 釣人:管理人
一文字-8番  2007/11/27 (終日時〜 時)
グレ 24〜31p 32匹 オキアミ フカセ釣り
   p  匹    
   p  匹    
   p  匹    
午前は9番で、午後は8番(南向き)でそこそこ食いました。 釣人:kもりた
西-5番  2014/11/26 (終日時〜 時)
グレ 20〜28p 21匹 オキアミ フカセ釣り
   p  匹    
   p  匹    
   p  匹    
深場でもバリが良く釣れます。 釣人:YH
西-5番  2014/11/27 (終日時〜 時)
グレ 20〜30p 21匹 オキアミ フカセ釣り
   p  匹    
   p  匹    
   p  匹    
午後から活性が上がってきました。 釣人:さわいち
東-2番  2014/11/24 (夜間時〜 時)
ガシラ 23p 1匹 青虫 ウキ釣り
メバル 15〜21p 2匹    
   p  匹    
   p  匹    
アタリは頻繁にありますが小型が多いです。 釣人:ゴールドブレンド
西-5番  2014/11/24 (終日時〜 時)
グレ 20〜23p 8匹 オキアミ フカセ釣り
   p  匹    
   p  匹    
   p  匹    
久しぶりに釣れました。 釣人:ひろ
西-5番  2014/11/24 (終日時〜 時)
グレ 20〜26p 23匹 オキアミ フカセ釣り
   p  匹    
   p  匹    
   p  匹    
型が出ません。午後からは喰いが悪く、サシエは残りっぱなしでした。 釣人:管理人
西-5番  2014/11/24 (終日時〜 時)
グレ 23〜27p 15匹 オキアミ フカセ釣り
   p  匹    
   p  匹    
   p  匹    
ひさしぶりです! 釣人:サトシF <<<
西-5番  2014/11/23 (午後時〜 時)
カレイ 24p 1匹 マムシ 投げ釣り
カワハギ 17p 1匹    
   p  匹    
   p  匹    
アジュールのサーフでの釣果です。マラソン参加や沿道応援の方々お疲れ様でした。 釣人:SHIGE
一文字-8番  2007/11/04 (終日時〜 時)
グレ 25〜30p 30匹 オキアミ フカセ釣り
   p  匹    
   p  匹    
   p  匹    
久しぶりの「垂一」、結構良かったです。 釣人:Kもりた
西-3番  2014/11/21 (終日時〜 時)
グレ 20〜30p 4匹 オキアミ フカセ釣り
アイゴ 12〜16p 5匹    
カマス 15p 1匹    
   p  匹    
30cmゲット![Web] 釣人:ヒスイ
一文字-8番  2007/11/21 (終日時〜 時)
グレ 24〜28p 27匹 オキアミ フカセ釣り
   p  匹    
   p  匹    
   p  匹    
2千円使った割りに小型で少数!? 釣人:kもりた
西-5番  2014/11/20 (午後時〜 時)
グレ 21〜29p 8匹 オキアミ フカセ釣り
   p  匹    
   p  匹    
   p  匹    
午後3時〜4時頃アタリがありました 釣人:秋グレ

西-5番  2014/11/19 (終日時〜 時)
グレ 20〜27p 22匹 オキアミ フカセ釣り
   p  匹    
   p  匹    
   p  匹    
自分にとっては最多の釣果です。 釣人:YH
西-5番  2014/11/19 (終日時〜 時)
グレ 23p 1匹 オキアミ フカセ釣り
   p  匹    
   p  匹    
   p  匹    
自己記録更新 釣人:さわいち
西-5番  2014/11/19 (終日時〜 時)
グレ 20〜33p 25匹 オキアミ フカセ釣り
   p  匹    
   p  匹    
   p  匹    
30cm級が5枚も釣れこんなに釣れたのは初です。 釣人:さわいち
西-5番  2014/11/16 (午前中時〜 時)
カレイ 24p 1匹 マムシ 投げ釣り
ベラ等  p 多数匹    
   p  匹    
   p  匹    
年に一度のカレイ釣りで、今年も釣れて良かったです。 釣人:ともとも <<<
東-2番  2014/11/15 (夜間時〜 時)
メバル 23p 1匹 青虫 ウキ釣り
ガシラ 16〜20p 6匹    
   p  匹    
   p  匹    
際でタナ2〜3ヒロ。ガシラが浮いてました。 釣人:ゴールドブレンド
西-5番  2014/11/15 (終日時〜 時)
グレ 20〜31p 36匹 オキアミ フカセ釣り
   p  匹    
   p  匹    
   p  匹    
西5番では珍しく、30pオーバーが3枚出ました。 釣人:管理人
一文字-8番  2007/11/11 (終日時〜 時)
グレ 25〜31p 21匹 オキアミ フカセ釣り
   p  匹    
   p  匹    
   p  匹    
午前中は潮が西へ飛んで手におえず。12時半に第1号がきて4時までの釣果。 釣人:kもりた
西-5番  2014/11/12 (終日時〜 時)
グレ 22〜29p 7匹 オキアミ フカセ釣り
   p  匹    
   p  匹    
   p  匹    
午後の一時に釣れました、タナは底近く、かなり深いです。 釣人:さわいち
西-5番  2014/11/11 (終日時〜 時)
グレ  20〜26p 7匹 オキアミ フカセ釣り
グレ 20弱p 5匹 石ゴカイ  
   p  匹    
   p  匹    
また、管理人さんの技を見て勉強させて頂きました。 釣人:グチオヤジ <<<
西-5番  2014/11/11 (終日時〜 時)
グレ 20〜30p 16匹 オキアミ フカセ釣り
チヌ 27p 1匹    
   p  匹    
   p  匹    
バリコの活性、高過ぎです。タナは3ヒロ以下と相変わらず深いです。 釣人:管理人
西-5番  2014/11/05 (終日時〜 時)
グレ 20〜24p 5匹 オキアミ フカセ釣り
   p  匹 イシゴカイ  
   p  匹    
   p  匹    
30pくらいを釣ってみたいです。 釣人:YH
西-5番  2014/11/05 (終日時〜 時)
グレ 23〜31p 6匹 オキアミ フカセ釣り
アオリイカ 12p 1匹 エギ3号  
   p  匹    
   p  匹    
バリコは沖に出ないのですが、沖のボラは元気が良すぎて仕掛けが馴染みません。 釣人:さわいち
平磯-11番  2014/11/04 (午前中時〜 時)
べラ 12〜18p 34匹 地ゴカイ 投げ釣り
丸ハゲ 13〜17p 3匹    
   p  匹    
   p  匹    
潮になじませありのままに釣り、南蛮漬けでいただきました。 釣人:秋グレ
東-1番  2014/11/01 (夜間時〜 時)
タチウオ 93p 1匹 サンマの切り身 ウキ釣り
   p  匹    
   p  匹    
   p  匹    
17時〜22時。雨上がりの20時半にタナ1ヒロで。アタリはこの一度だけ。 釣人:ゴールドブレンド
一文字-3番  2014/11/02 (午後時〜 時)
チヌ 41p 1匹 オキアミ フカセ釣り
   p  匹    
   p  匹    
   p  匹    
グレ狙いでチヌ!潮が緩すぎ。下げは2番上げは3番。ハゲとボラとフグのみ。 釣人:蒼1
西-5番  2007/10/29 (夜間時〜 時)
アオリイカ 22p 1匹 エギ3.0号 ルアー・エギング
   p  匹    
   p  匹    
   p  匹    
エギ込みで600グラム。久しぶりに投稿できて良かったです(^^)v 釣人:根掛カリンガー
西-5番  2007/11/01 (午前中時〜 時)
カレイ 28p 1匹 マムシ 投げ釣り
チャリコ 15p 1匹    
   p  匹    
   p  匹    
アジュールのサーフにて。11時頃にヒットし雨上がり日の幸運な釣果でした。 釣人:SHIGE
東-2番  2007/10/30 (早朝時〜 時)
コウイカ 13p 1匹 エギ3.5号 ルアー・エギング
   p  匹    
   p  匹    
   p  匹    
AM6時半 釣人:ジプシー
東-2番  2007/10/24 (午前中時〜 時)
コウイカ 14p 1匹 エギ3.5号 ルアー・エギング
   p  匹    
   p  匹    
   p  匹    
AM9時 内向き 300g 釣人:ジプシー
西-5番  2014/10/30 (終日時〜 時)
グレ 20〜32p 29匹 オキアミ フカセ釣り
   p  匹    
   p  匹    
   p  匹    
タナはかなり深いです。バリコさえかわせば、何とかグレは釣れます。 釣人:管理人
西-5番  2007/10/29 (終日時〜 時)
グレ 20〜21p 6匹 オキアミ フカセ釣り
   p  匹    
   p  匹    
   p  匹    
バリコは相変わらず居座っています。 釣人:YH
東-8番  2007/10/25 (午後時〜 時)
カレイ 30p 1匹 アオイソメ 投げ釣り
   p  匹    
   p  匹    
   p  匹    
潮が緩やかな昼12時頃にヒットしました。今マムシが品薄状態です。 釣人:SHIGE
一文字-4番  2014/10/24 (終日時〜 時)
グレ 20〜28p 26匹 オキアミ フカセ釣り
   p  匹    
   p  匹    
   p  匹    
今日はエサ取りが少なくて釣りやすかったです。 釣人:TOMO
西-5番  2014/10/22 (終日時〜 時)
グレ 20〜23p 9匹 オキアミ フカセ釣り
   p  匹 ゴカイ  
アオリイカ 18p 1匹    
   p  匹    
気味悪いくらいのバリコの多さです。 釣人:YH
西-5番  2014/10/23 (終日時〜 時)
グレ 20〜24p 14匹 オキアミ フカセ釣り
   p  匹    
   p  匹    
   p  匹    
7時半〜15時までの釣果。タナ深いです。バリコが多過ぎて厄介でした。 釣人:管理人
西-5番  2014/10/23 (早朝時〜 時)
アオリイカ 23〜24p 2匹 エギ2号 ルアー・エギング
   p  匹    
   p  匹    
   p  匹    
午前6時〜6時半までの釣果。久々の良型です。 釣人:管理人
西-5番  2014/10/23 (終日時〜 時)
グレ 20〜23p 6匹 オキアミ フカセ釣り
   p  匹    
   p  匹    
   p  匹    
厳しいです! 釣人:サトシF
西-5番  2014/10/22 (終日時〜 時)
アオリイカ 22p 1匹 エギ3号 ルアー・エギング
グレ 20〜29p 5匹 オキアミ  
チヌ 26p 1匹    
   p  匹    
イカは西4番で、フカセはタナが深く3〜4ヒロ。 釣人:さわいち
東-9番  2014/10/19 (夜間時〜 時)
カマス 29p 1匹 サバの切り身 ウキ釣り
ガシラ 18p 1匹    
   p  匹    
   p  匹    
21時にタナ1ヒロ。ガシラは探り釣りです。 釣人:ゴールドブレンド
中央-7番  2014/10/18 (終日時〜 時)
カワハギ 8〜15p 12匹 青イソメ 胴付き・探り釣り
ベラ  p 多数匹    
   p  匹    
   p  匹    
夜のカワハギ鍋分は確保しましたが、良型少なし 釣人:オカマ道
西-5番  2014/10/15 (終日時〜 時)
アオリイカ 12〜14p 3匹 エギ3号 ルアー・エギング
グレ 23p 1匹    
アイゴ 27p 1匹    
   p  匹    
バリをかわすことが出来ませんでした。 釣人:さわいち
西-5番  2014/10/16 (終日時〜 時)
グレ 20〜27p 13匹 アミエビ フカセ釣り
   p  匹    
   p  匹    
   p  匹    
9時〜14時の釣果。バリコが多くて非常に厄介です。小アジは全く居ません。 釣人:管理人
西-5番  2014/10/12 (午後時〜 時)
カレイ 26p 1匹 マムシと 投げ釣り
約300gp 1匹 アオイソメの  
カワハギ 10p 1匹 ミックス  
   p  匹    
アジュールのサーフでの釣果です。風が強く釣り難かったですが今秋初カレイでした。 釣人:SHIGE
西-5番  2014/10/08 (終日時〜 時)
グレ 20〜31p 3匹 オキアミ フカセ釣り
サヨリ 28p 1匹    
   p  匹    
   p  匹    
毒魚が多く,フカセは厳しいです、タナ3ヒロ。 釣人:さわいち
東-3番  2007/10/01 (午前中時〜 時)
アオリイカ 12〜14p 2匹 エギ3号 ルアー・エギング
   p  匹    
   p  匹    
   p  匹    
掛け釣りの予定がアジ釣れませんでした。PM1:00まで 釣人:YH
西-5番  2014/10/01 (早朝時〜 時)
アオリイカ 12〜14p 2匹 エギ3号 ルアー・エギング
アオリイカ 10〜22p 4匹    
   p  匹    
   p  匹    
下の釣果は、18〜21時舞子で。 釣人:さわいち
西-5番  2014/09/30 (終日時〜 時)
ウマヅラ 36p 1匹 オキアミ フカセ釣り
   p  匹    
   p  匹    
   p  匹    
久しぶりの良型です。 釣人:管理人
西-5番  2014/09/30 (終日時〜 時)
グレ 20〜27p 10匹 オキアミ フカセ釣り
   p  匹    
   p  匹    
   p  匹    
グレは全く浮かず。タナは深いです。 釣人:管理人
東-3番  2014/09/28 (午前中時〜 時)
アオリ 13〜18p 2匹 小アジ 掛け釣り
   p  匹    
   p  匹    
   p  匹    
青物狙いはさっぱり。エサの小アジがなかなか釣れません。 釣人:管理人
東-3番  2014/09/23 (午前中時〜 時)
アオリイカ 12〜15p 2匹 小アジ 泳がせ釣り
グレ 20〜23p 3匹 オキアミ  
   p  匹    
   p  匹    
青物のアタリは3人で1度のみ。グレは東2番内側をフカセで釣りました。 釣人:管理人
西-5番  2014/09/22 (終日時〜 時)
グレ 20〜27p 9匹 オキアミ フカセ釣り
アイゴ 33p 1匹    
アオリ 11p 1匹 エギ  
   p  匹    
久々のフカセです。ボラが異常なほど居ます。グレは20p以下も多いです。 釣人:管理人
一文字-6番  2014/09/22 (終日時〜 時)
グレ 25〜27p 5匹 オキアミ フカセ釣り
   p  匹    
   p  匹    
   p  匹    
手の平サイズも多数釣れました。 釣人:TOMO
一文字-6番  2014/09/22 (終日時〜 時)
アイゴ 33p 1匹 オキアミ フカセ釣り
   p  匹    
   p  匹    
   p  匹    
アイゴ・・・久しぶりに釣りました。 釣人:TOMO
東-1番  2014/09/20 (夜間時〜 時)
タチウオ 58〜74p 3匹 イワシ ウキ釣り
   p  匹    
   p  匹    
   p  匹    
タナ2ヒロ、18時〜21時。暗くなってからは北側の港内でアタリました。 釣人:ゴールドブレンド
東-1番  2014/09/20 (夜間時〜 時)
チャリコ 21p 1匹 青虫 投げ釣り
ガシラ 20p 1匹 イワシ  
アナゴ 34〜39p 3匹    
   p  匹    
寒かったです! 釣人:ゴールドブレンド
平磯-1番  2014/09/20 (夕方時〜 時)
キビレ 24p 1匹 マムシ 投げ釣り
   p  匹    
   p  匹    
   p  匹    
キスは不発に終わりました。エサ獲りの猛攻は相変わらずでした。 釣人:SHIGE
東-3番  2014/09/17 (午前中時〜 時)
アオリイカ 12p 1匹 活アジ 掛け釣り
アオリイカ 10〜18p 6匹 エギ  
   p  匹    
   p  匹    
下のアオリイカは18時〜20時舞子での釣果 釣人:さわいち
東-3番  2014/09/16 (午前中時〜 時)
ヒラメ 38p 1匹 小アジ 泳がせ釣り
カマス 26p 1匹 イワシ  
ガシラ 22p 1匹    
   p  匹    
ヒラメ初ゲットです。カマスとガシラは活きイワシで釣れました。 釣人:管理人
東-1番  2014/09/14 (夕方時〜 時)
アジ 12-14p 20-30匹 アミエビ サビキ釣り
   p  匹    
   p  匹    
   p  匹    
17-19時、散発です。 釣人:風 <<<
東-3番  2014/09/12 (早朝時〜 時)
アオリ 6〜14p 2匹 エギ ルアー・エギング
   p  匹    
   p  匹    
   p  匹    
濁りと激流で後半はさっぱりでした。飲ませもしましたが、アタリはありません。 釣人:管理人
西-5番  2014/09/10 (終日時〜 時)
グレ 20〜26p 6匹 オキアミ ヌカ切り
   p  匹    
   p  匹    
   p  匹    
サンバソの幼魚がいっぱい釣れてしまいます。 釣人:YH
東-3番  2014/09/10 (午前中時〜 時)
アオリイカ 14〜15p 2匹 活あじ 掛け釣り
   p  匹    
   p  匹    
   p  匹    
エサのアジがいません、 釣人:さわいち
中央-8番  2014/09/09 (夜間時〜 時)
アオリ 10〜16p 3匹 エギ2.5号 ルアー・エギング
   p  匹    
   p  匹    
   p  匹    
19時半〜22時の釣果。開始早々から潮が速く、苦戦しました。 釣人:管理人
東-3番  2014/09/06 (終日時〜 時)
ツバス 32p 1匹 小アジ 泳がせ釣り
アオリ 12〜14p 3匹 エギ  
   p  匹    
   p  匹    
ツバスは7時にヒットしました。3杯釣れたアオリの内、2杯はエギでゲットです。 釣人:管理人
西-5番  2014/09/06 (早朝時〜 時)
アオリイカ 6〜13p 11匹 エギ2号 ルアー・エギング
   p  匹    
   p  匹    
   p  匹    
3時間半粘っての釣果です。以前と比べるとヒット率は下がりました。 釣人:管理人
西-3番  2014/09/04 (夕方時〜 時)
アオリイカ 6〜12p 5匹 エギ ルアー・エギング
   p  匹    
   p  匹    
   p  匹    
16時半からの2時間の釣果です。今日はアタリが少なかったです。 釣人:管理人
東-1番  2014/09/03 (終日時〜 時)
アイナメ 18p 1匹 青虫 投げ釣り
ガシラ 17p 1匹    
キス、ベラ、マゴチ 12〜18p 25匹    
   p  匹    
秋の五目釣りシーズン到来! 釣人:ゴールドブレンド
東-1番  2014/08/30 (夕方時〜 時)
アジ 10p 50〜匹 アミエビ サビキ釣り
サバ 15p 10〜匹    
   p  匹    
   p  匹    
まさに湧いています 釣人:風 <<<
西-5番  2014/08/29 (早朝時〜 時)
アオリイカ 7〜13p 16匹 エギ ルアー・エギング
   p  匹    
   p  匹    
   p  匹    
5時半〜7時半の釣果。10p以上は5杯のみ。まだまだキープ出来る型は少ないです。 釣人:管理人
西-5番  2014/08/27 (早朝時〜 時)
アオリイカ 7〜10p 6匹 エギ2号 ルアー・エギング
   p  匹    
   p  匹    
   p  匹    
濁り潮が入って来るまでいい感じで釣れました。 釣人:さわいち
西-5番  2014/08/27 (終日時〜 時)
グレ 20〜30p 7匹 オキアミ ヌカ切り
チヌ 29p 1匹    
   p  匹    
   p  匹    
午後から潮が澄んだ時にバタバタと釣れました、タナ2ヒロ半。 釣人:さわいち
中央-10番  2014/08/19 (午後時〜 時)
ヒラメ 55p 1匹 アジ?? 泳がせ釣り
アジ 10p 多数匹    
   p  匹    
   p  匹    
サビキをしていたらそれにかかったアジに食いつきました 釣人:NT <<<
西-2番  2014/08/23 (夜間時〜 時)
アオリイカ 7〜12p 9匹 エギ ルアー・エギング
   p  匹    
   p  匹    
   p  匹    
今シーズンの試釣。例年並みに活性は高いです。キーパーサイズはまだ出ません。 釣人:管理人
中央-5番  2014/08/20 (午後時〜 時)
ソウシハギ 10p 1匹 オキアミ サビキ釣り
サバ 13p 5匹    
   p  匹    
   p  匹    
きれいな色だけど...
食べたらダメな魚が釣れました(*_*)
釣人:しょうた
中央-7番  2014/08/14 (夜間時〜 時)
カマス 20〜24p 2匹 キビナゴ ウキ釣り
ヒイカ 11p 1匹    
   p  匹    
   p  匹    
2〜3ヒロ。アタリは多いですがワイヤーハリスを使ってたのでなかなか乗らず。 釣人:ゴールドブレンド
西-5番  2014/07/30 (終日時〜 時)
グレ 25p 2匹 オキアミ フカセ釣り
さより 27,30p 2匹    
   p  匹    
   p  匹    
午後からは、サバオンリー、竿3本先タナ1ヒロ。 釣人:さわいち
東-9番  2014/07/28 (終日時〜 時)
チヌ 38p 1匹 コーン 紀州釣り
   p  匹    
   p  匹    
   p  匹    
11時間力投して、最後の1投に来た不運な奴です。それにしても食いませんなぁ! 釣人:kもりた
中央-5番  2014/07/25 (午後時〜 時)
スズキ 55p 1匹 サバ 泳がせ釣り
サバ 10〜15p 15匹 あみえび  
   p  匹    
   p  匹    
パパが釣ったサバで遊んでいたら釣れました。重たかったです… 釣人:しょうた
西-5番  2014/07/23 (終日時〜 時)
グレ 20〜25p 5匹 オキアミ ヌカ切り
   p  匹    
   p  匹    
   p  匹    
パラパラ釣れるものの形は小さくて15cm
級多く、小サバが沢山います。
釣人:さわいち
西-5番  2014/07/21 (終日時〜 時)
グレ 23p 1匹 オキアミ フカセ釣り
カマス 26p 1匹 豆アジ  
   p  匹    
   p  匹    
グレは釣れても木っ葉が多いです。カマスは飲ませ釣りで釣れました。 釣人:管理人
中央-11番  2014/07/20 (夜間時〜 時)
サバ 38p 1匹 キビナゴ ウキ釣り
   p  匹    
   p  匹    
   p  匹    
10時過ぎから断続的にアタルも5回バラシました。やっとの1匹でした。 釣人:SHIGE
中央-11番  2007/07/20 (夜間時〜 時)
カマス 20p 1匹 キビナゴ ウキ釣り
   p  匹    
   p  匹    
   p  匹    
9時過ぎに小さい群れが来ていた様です。 釣人:SHIGE
中央-11番  2007/07/20 (夜間時〜 時)
アナゴ 30p 2匹 サンマの切り身 投げ釣り
ガシラ 22p 1匹    
   p  匹    
   p  匹    
潮がゆるやかだったので釣り易かったです。 釣人:SHIGE
中央-8番  2014/07/17 (夜間時〜 時)
小サバ 18〜20p 2匹 サンマの切り身 ウキ釣り
   p  匹    
   p  匹    
   p  匹    
大サバ空振り。小サバにずっとエサをつつかれます。 釣人:ゴールドブレンド <<<
中央-7番  2014/07/17 (夕方時〜 時)
小サバ 12〜18p 46匹 アミエビ サビキ釣り
小アジ 7〜10p 4匹    
   p  匹    
   p  匹    
アジたったの4尾…… 釣人:ゴールドブレンド
西-2番  2014/07/16 (午前中時〜 時)
マイワシ 12〜18p 50匹 アミエビ サビキ釣り
小アジ 8〜12p 15匹    
小サバ 12〜18p 30匹    
   p  匹    
飲ませ釣りのエサとして釣った分です。2時間ほどの釣果です。 釣人:管理人 <<<
中央-5番  2007/07/12 (午前中時〜 時)
イワシ 10〜20p 27匹 アミエビ サビキ釣り
アイナメ 15p 3匹 シラサエビ  
ベラ 15p 1匹 石ゴカイ  
   p  匹    
初めて垂水漁協へ行きました!9時〜13時の釣果です。 釣人:しょうた
西-1番  2014/07/01 (午前中時〜 時)
ハネ 40〜50p 2匹 イワシ 泳がせ釣り
   p  匹    
   p  匹    
   p  匹    
急遽飲ませ釣りです。 釣人:サトシF
東-1番  2014/06/28 (午前中時〜 時)
チヌ 46p 1匹 オキアミL 紀州釣り
ベラ 10-15p 数匹 ネリエ  
   p  匹    
   p  匹    
ちぬは潮止り前の13時頃。活性良好ですがその後ボラバトルとなり続きません。 釣人:風
西-5番  2014/06/25 (終日時〜 時)
グレ 23〜24p 4匹 オキアミ フカセ釣り
   p  匹    
   p  匹    
   p  匹    
遠投でもオセンをかわす事が出来ません、小サバもいます。 釣人:さわいち
西-5番  2007/06/24 (終日時〜 時)
グレ 23〜29p 3匹 オキアミ フカセ釣り
   p  匹    
   p  匹    
   p  匹    
小サバが多く、なかなかサシエが通りません。 釣人:管理人
西-4番  2014/06/20 (午前中時〜 時)
べラ 11〜17p 31匹 地ゴカイ 投げ釣り
アブラメ 14p 4匹    
   p  匹    
   p  匹    
東流から西流に変わった時活性が高かった 釣人:秋グレ
西-5番  2014/06/17 (終日時〜 時)
グレ 23〜27p 4匹 オキアミ フカセ釣り
   p  匹    
   p  匹    
   p  匹    
午前中はさっぱり。午後からド遠投で釣れました。タコは貰いものです。 釣人:管理人
東-2番  2014/06/14 (午前中時〜 時)
なし 0p 0匹 オキアミ 紀州釣り
   p  匹    
   p  匹    
   p  匹    
ボラは来ますが、チヌの活性もう少し。 釣人:風 <<<
西-5番  2014/06/11 (終日時〜 時)
グレ 22〜23p 2匹 オキアミ フカセ釣り
   p  匹    
   p  匹    
   p  匹    
グレの姿が全く見えません。 釣人:管理人
西-5番  2014/06/11 (終日時〜 時)
グレ 21,29p 2匹 オキアミ フカセ釣り
   p  匹    
   p  匹    
   p  匹    
気配が全くありませんでした。 釣人:さわいち
中央-3番  2014/06/10 (終日時〜 時)
グレ 22〜31p 5匹 オキアミ フカセ釣り
   p  匹    
   p  匹    
   p  匹    
東風というので3番へ。雰囲気はもひとつでしたが、31cmでました。 釣人:グチオヤジ
平磯-9番  2014/06/09 (午前中時〜 時)
べラ 11〜17p 23匹 地ゴカイ 投げ釣り
   p  匹    
   p  匹    
   p  匹    
東流の緩い引かれ潮を狙って、100M沖からの着信を楽しみました 釣人:秋グレ
東-4番  2014/06/08 (終日時〜 時)
グレ 25〜31p 4匹 オキアミ フカセ釣り
   p  匹    
   p  匹    
   p  匹    
途中から潮が速過ぎて、釣りになりませんでした。グレは浮いてません。 釣人:管理人
東-8番  2007/06/08 (午前中時〜 時)
なし なしp なし匹 オキアミ 紀州釣り
   p  匹    
   p  匹    
   p  匹    
久々の釣行。ダンゴシーズン到来ですが、今日は気配なしです。 釣人:風 <<<
西-5番  2014/06/04 (午前中時〜 時)
グレ 23〜28p 11匹 オキアミ フカセ釣り
   p  匹    
   p  匹    
   p  匹    
あて潮+方向性のない風、釣りずらかった。 釣人:さわいち
西-5番  2014/06/03 (終日時〜 時)
グレ 21〜29p 15匹 オキアミ フカセ釣り
   p  匹    
   p  匹    
   p  匹    
早朝から喰いは活発でしたが、午後から南風が吹き出し、13時過ぎに納竿。 釣人:管理人
西-5番  2014/06/02 (終日時〜 時)
グレ 22〜27p 11匹 オキアミ フカセ釣り
   p  匹    
   p  匹    
   p  匹    
姿は見えませんでしたが沖目に少し浮いていたようです。 風が吹き出してアウト。 釣人:グチオヤジ
東   2014/05/31 (早朝時〜 時)
アオリイカ 0.3gp 4匹 エギ3.5号 ルアー・エギング
   p  匹    
   p  匹    
   p  匹    
潮止まり直前のタイミングで子イカを4匹。親イカは足元で痛恨のバラし。 釣人:スラックマスター
東-3番  2007/05/31 (夜間時〜 時)
アナゴ 62p 1匹 マムシ 投げ釣り
アナゴ 31〜43p 6匹 サンマの切り身  
ガシラ 16〜23p 4匹    
   p  匹    
久し振りのデカアナゴ。暴風&激流で釣りにくかったです。 釣人:ゴールドブレンド
西-5番  2014/05/28 (終日時〜 時)
グレ 23〜29p 7匹 おきあみ フカセ釣り
   p  匹    
   p  匹    
   p  匹    
厳しいです・・・ 釣人:蔵之臣
西-5番  2007/05/28 (終日時〜 時)
グレ 21〜28p 8匹 オキアミ フカセ釣り
   p  匹    
   p  匹    
   p  匹    
釣り日和で楽しい一日でした。管理人さん有難うございました。 釣人:YH
西-5番  2014/05/28 (終日時〜 時)
グレ 23〜28p 5匹 オキアミ フカセ釣り
   p  匹    
   p  匹    
   p  匹    
5枚ですが精一杯です。 釣人:せきやん
西-5番  2014/05/28 (終日時〜 時)
グレ 22〜28p 15匹 オキアミ フカセ釣り
   p  匹    
   p  匹    
   p  匹    
ほとんど午前中の釣果、午後からはあまり釣れませんでした。 釣人:さわいち
西-5番  2014/05/28 (終日時〜 時)
グレ 22〜28p 13匹 オキアミ フカセ釣り
   p  匹    
   p  匹    
   p  匹    
午後からグレは浮きましたが、サシエには見向きもしませんでした。 釣人:管理人
中央-7番  2014/05/25 (夕方時〜 時)
メイタガレイ 23p 1匹 青虫 投げ釣り
キス 18p 1匹    
アナゴ 30〜43p 7匹    
   p  匹    
18時〜21時。カレイは19時半にチョイ投げで釣れました。 釣人:ゴールドブレンド
西-5番  2014/05/22 (終日時〜 時)
グレ 23〜30p 4匹 おきあみ フカセ釣り
   p  匹    
   p  匹    
   p  匹    
難しいです 釣人:蔵之臣
中央-11番  2007/05/22 (終日時〜 時)
グレ 29p 1匹 おきあみ フカセ釣り
グレ 木っ端p 1匹    
   p  匹    
   p  匹    
2回目のフカセ釣り、初グレ、初垂水です。東大阪Fと同行、グレ釣りにはまりそう。 釣人:まっさん
中央-11番  2014/05/22 (終日時〜 時)
チヌ 53p 1匹 オキアミ フカセ釣り
   p  匹    
   p  匹    
   p  匹    
押してくる潮時、釣れました。 釣人:東大阪ファミリー
中央-11番  2014/05/22 (終日時〜 時)
グレ 21〜26p 4匹 オキアミ フカセ釣り
   p  匹    
   p  匹    
   p  匹    
久しぶりに、友人と釣行です。喋り倒して釣ってました。 釣人:東大阪ファミリー
西-5番  2014/05/22 (終日時〜 時)
グレ 21〜29p 7匹 オキアミ フカセ釣り
   p  匹    
   p  匹    
   p  匹    
グレは終日浮かず。エサの入り過ぎで喰いはイマイチ。 釣人:管理人
西-5番  2014/05/22 (終日時〜 時)
グレ 25p 1匹 オキアミ フカセ釣り
   p  匹    
   p  匹    
   p  匹    
朝一番から夕方までで、1枚…難しいです。 釣人:せきやん
西-5番  2014/05/20 (終日時〜 時)
グレ 26.5p 1匹 オキアミ フカセ釣り
   p  匹    
   p  匹    
   p  匹    
西5で初めての1匹でした![Web] 釣人:ヒスイ
西-5番  2014/05/21 (終日時〜 時)
グレ 22〜30p 8匹 オキアミ フカセ釣り
   p  匹    
   p  匹    
   p  匹    
終日グレ浮かず、竿3〜5本先、タナ3ヒロ前後。 釣人:さわいち
中央-11番  2014/05/19 (終日時〜 時)
グレ 26〜29p 3匹 オキアミ フカセ釣り
グレ 23p 1匹    
   p  匹    
   p  匹    
やっと釣れました。朝は、カンダイのみ、午後にあたりました。 釣人:東大阪ファミリー
中央-11番  2014/05/19 (終日時〜 時)
カンダイ 49p 1匹 オキアミ フカセ釣り
  40p 1匹    
   p  匹    
   p  匹    
午前中 グレなし 釣人:東大阪ファミリー
東   2014/05/17 (午後時〜 時)
アオリイカ 1.3kgp 1匹 エギ3.5号 ルアー・エギング
アオリイカ 0.3kgp 1匹    
アオリイカ 0.2kgp 1匹    
   p  匹    
ひさしぶりの垂水で1時間での釣果。子イカをサイトで2杯と親イカをドリフトで1杯。 釣人:スラックマスター
西-5番  2014/05/11 (午前中時〜 時)
グレ 23〜29p 7匹 オキアミ フカセ釣り
   p  匹    
   p  匹    
   p  匹    
浮いていましたが、釣る腕が有りませんでした。 釣人:ひろ <<<
西-5番  2014/05/14 (終日時〜 時)
グレ 22〜29p 14匹 オキアミ フカセ釣り
   p  匹    
   p  匹    
   p  匹    
今日も食いが渋かったので、ハリス0.8針1号の細仕掛けで。 釣人:さわいち
西-5番  2014/05/10 (終日時〜 時)
グレ 22〜23p 2匹 儀頴 フカセ釣り
   p  匹    
   p  匹    
   p  匹    
なんとか釣れました 釣人:わいるだー
西-5番  2014/05/11 (午前中時〜 時)
グレ 23〜28p 5匹 オキアミ フカセ釣り
   p  匹    
   p  匹    
   p  匹    
今年初です。 釣人:サトシF <<<
西-5番  2014/05/10 (終日時〜 時)
グレ 23〜31p 6匹 おきあみ フカセ釣り
   p  匹    
   p  匹    
   p  匹    
浮きますが滅多に釣れません 釣人:蔵之臣
西-5番  2014/05/10 (終日時〜 時)
グレ 23〜28p 3匹 オキアミ フカセ釣り
   p  匹    
   p  匹    
   p  匹    
午後からグレは浮きましたが、エサの入り過ぎで喰いはイマイチでした。 釣人:管理人
西-5番  2014/05/09 (終日時〜 時)
グレ 25p 1匹 オキアミ フカセ釣り
   p  匹    
   p  匹    
   p  匹    
午後グレ見えるも食わず超貧果。コーナーの方ゴカイで5枚、4人で10枚まででした。 釣人:kもりた <<<
西-5番  2014/05/06 (午前中時〜 時)
グレ 21〜26p 2匹 あおさ ウキ釣り
   p  匹    
   p  匹    
   p  匹    
投稿遅れました。今年初めてのグレです。2尾でも嬉しい。 釣人:元気屋マッキー
西-5番  2014/05/08 (終日時〜 時)
グレ 24〜27p 4匹 オキアミ フカセ釣り
   p  匹    
   p  匹    
   p  匹    
風も潮もアゲンストで難儀でした。 釣人:kもりた
西-5番  2014/05/07 (終日時〜 時)
グレ 24〜29p 10匹 オキアミ フカセ釣り
   p  匹    
   p  匹    
   p  匹    
終日浮いていても口つかわず、アタリは渋く釣れた魚はほとんど皮1枚です。タナ1ヒロ 釣人:さわいち
西-5番  2014/05/03 (午前中時〜 時)
グレ 28p 1匹 オキアミ フカセ釣り
   p  匹    
   p  匹    
   p  匹    
後にも先にもこれ1尾のみでした。しかし、待望の1尾でした。 釣人:ひろ
西-5番  2014/05/02 (終日時〜 時)
グレ 21〜25p 2匹 オキアミ フカセ釣り
   p  匹    
   p  匹    
   p  匹    
オキアミで釣れましたが、難しいです。 釣人:せきやん
西-5番  2014/05/02 (終日時〜 時)
グレ 21〜29p 6匹 アオサ フカセ釣り
   p  匹 オキアミ  
   p  匹    
   p  匹    
オキアミで4枚釣れました。午後からグレが浮きましたが、サシエへの反応は悪いです。 釣人:管理人

東-6番  2014/04/28 (夜間時〜 時)
タケノコメバル 27p 1匹 プラグ ルアー・エギング
   p  匹    
   p  匹    
   p  匹    
浅場でメバルを狙っていたら、ガツンとヒットしてびっくりしました 釣人:ガシラ大好き中年
西-5番  2014/04/27 (終日時〜 時)
グレ 28〜29p 2匹 アオサ フカセ釣り
   p  匹    
   p  匹    
   p  匹    
朝に2枚釣った後は夕方までノーヒットでした。 釣人:管理人
中央-11番  2014/04/24 (終日時〜 時)
チヌ 42p 1匹 オキアミ フカセ釣り
   p  匹    
   p  匹    
   p  匹    
グレなし 釣人:東大阪ファミリー
西-3番  2014/04/23 (午後時〜 時)
グレ 24p 1匹 オキアミ フカセ釣り
ガシラ 18p 1匹    
   p  匹    
   p  匹    
何とかグレ1枚ゲット出来ました! [Web] 釣人:ヒスイ
西-5番  2014/04/23 (終日時〜 時)
グレ 27〜29p 2匹 アオサ フカセ釣り
   p  匹    
   p  匹    
   p  匹    
今シーズン最初のグレ狙い。昼過ぎに釣れました。タナは3.5〜4ヒロ。 釣人:管理人
西-5番  2014/04/23 (終日時〜 時)
グレ 28〜29p 2匹 アオサ フカセ釣り
   p  匹    
   p  匹    
   p  匹    
2枚ですが、今年初で嬉しいです。 釣人:せきやん
中央-11番  2014/04/22 (夜間時〜 時)
グレ 22〜28p 2匹 青虫 ウキ釣り
   p  匹    
   p  匹    
   p  匹    
キワでタナ底、21時に。予想外の2尾でした。 釣人:ゴールドブレンド
中央-2番  2014/04/22 (午前中時〜 時)
チヌ 42.5p 1匹 オキアミ フカセ釣り
   p  匹    
   p  匹    
   p  匹    
3回ボーズ、4回目にしてヤットコサです。 釣人:kもりた
西-5番  2014/04/12 (午後時〜 時)
カレイ 20p 1匹 マムシ 投げ釣り
   p  匹    
   p  匹    
   p  匹    
アジュールのサーフでの釣果です。今春初カレイでしたがリリースサイズでした。 釣人:SHIGE 
中央-7番  2014/04/10 (午後時〜 時)
カレイ 17〜20p 4匹 青虫 投げ釣り
アナゴ 30〜35p 3匹 マムシ  
   p  匹    
   p  匹    
チビばかりですが。もうウミケムシが湧いてます。イヤだイヤだ。 釣人:ゴールドブレンド
東-9番  2014/04/06 (夜間時〜 時)
ガシラ 18〜22p 2匹 マムシ 投げ釣り
アナゴ 30〜40p 7匹    
   p  匹    
   p  匹    
アナゴ釣り放題です。しかし昨日は寒かった! 釣人:ゴールドブレンド
東-9番  2014/04/06 (夕方時〜 時)
カンダイ 50p 1匹 青虫 ウキ釣り
クジメ 17p 1匹    
   p  匹    
   p  匹    
際を探っていたらドスンと。竿が折れそうでした。 釣人:ゴールドブレンド
一文字-4番  2014/04/05 (終日時〜 時)
チヌ 35〜39p 2匹 オキアミ フカセ釣り
   p  匹    
   p  匹    
   p  匹    
タナ4ヒロで釣れました。 釣人:TOMO
東-6番  2014/03/31 (午後時〜 時)
チヌ 39p 1匹 オキアミ フカセ釣り
   p  匹    
   p  匹    
   p  匹    
PM2時頃に約4.5ヒロできました。 釣人:せきやん
一文字-4番  2014/03/29 (終日時〜 時)
チヌ 35〜44p 3匹 オキアミ フカセ釣り
   p  匹    
   p  匹    
   p  匹    
タナ3〜4ヒロで釣れました。 釣人:TOMO
東-6番  2014/03/15 (終日時〜 時)
チヌ 42.5p 1匹 オキアミ フカセ釣り
   p  匹    
   p  匹    
   p  匹    
12時バラシ、14時半の釣果です。 釣人:ノリさん
西-5番  2014/03/22 (夜間時〜 時)
ガシラ 22p 1匹 マムシ 投げ釣り
   p  匹    
   p  匹    
   p  匹    
アジュールのサーフでの釣果です。超久々の釣行でした。 釣人:SHIGE 
東-5番  2014/03/18 (夜間時〜 時)
メバル 25〜27p 7匹 ワーム ルアー・エギング
   p  匹    
   p  匹    
   p  匹    
時合の約1時間半で入れ食い状態でした。
クーラーに入らずやむなく納竿しました。
釣人:ガシラ大好き中年
一文字-4番  2014/03/15 (終日時〜 時)
チヌ 35p 1匹 オキアミ フカセ釣り
   p  匹    
   p  匹    
   p  匹    
タナ4ヒロで釣れました。 釣人:TOMO
東-4番  2014/03/12 (終日時〜 時)
チヌ 38p 1匹 オキアミ フカセ釣り
ガシラ 12〜16p 5匹    
   p  匹    
   p  匹    
昼前にワカメの沖、タナ4,5ヒロ、夕方バラシ1尾、釣れてよかったです。 釣人:さわいち
東-5番  2014/03/10 (午後時〜 時)
チヌ 38〜42p 2匹 オキアミ フカセ釣り
   p  匹    
   p  匹    
   p  匹    
初めての東エリア。タモ入れ寸前で一番でかいやつが針外れ。ショック 釣人:東大阪ファミリー
東-5番  2014/03/08 (夜間時〜 時)
メバル 25p 2匹 ワーム ルアー・エギング
メバル 23p 4匹    
メバル 20p 3匹    
   p  匹    
約2時間の間に大型を含めてよく釣れました。 釣人:ガシラ大好き中年
東-4番  2014/02/25 (午後時〜 時)
チヌ 38〜40p 2匹 オキアミ フカセ釣り
   p  匹    
   p  匹    
   p  匹    
ワカメで何度も合わせを入れました。PM4時と5時に西に流れた時にきました。 釣人:せきやん
一文字-4番  2014/02/22 (終日時〜 時)
グレ 24p 1匹 オキアミ 胴付き・探り釣り
メバル 20p 1匹    
ガシラ 16〜20p 17匹    
   p  匹    
リリース/ガシラ14 チヌ1匹頂き、刺身で、旨かった 釣人:滋賀のT <<<
東-4番  2014/02/13 (午後時〜 時)
チヌ 42p 1匹 オキアミ フカセ釣り
   p  匹    
   p  匹    
   p  匹    
ホンダワラとワカメがかなり邪魔です。ホンダワラの先で、4ヒロで釣れました。 釣人:せきやん
中央-7番  2014/02/02 (午後時〜 時)
カレイ 10〜15p 3匹 オキアミ 投げ釣り
ガシラ 10p 1匹    
   p  匹 ゴカイ  
   p  匹    
朝は雨が降っていて、昼からの釣りでした。水が澄んでいて魚が少なかった。 釣人:くま3 <<<
一文字-4番  2014/02/01 (終日時〜 時)
ガシラ 18〜25p 18匹 オキアミ 胴付き・探り釣り
メバル 24p 1匹    
アイナメ 18〜24p 3匹    
   p  匹    
リリース/ガシラ15、ソイ1 釣人:滋賀のT <<<
西-5番  2014/01/25 (終日時〜 時)
アイナメ 26p 1匹 オキアミ 胴付き・探り釣り
タナゴ 25p 1匹    
ガシラ 10〜20p 19匹 ゴカイ  
   p  匹    
今日はあったかかったです。良いカタのアイナメ釣れました。 釣人:みっちゃん
西-5番  2014/01/23 (午後時〜 時)
メバル 23p 1匹 オキアミ 胴付き・探り釣り
ガシラ 12〜18p 10匹    
   p  匹    
   p  匹    
お初です。帰り際エサ沢山まいたらメバルきました。 釣人:みっちゃん
東-4番  2014/01/22 (午後時〜 時)
チヌ 30p 1匹 オキアミ フカセ釣り
   p  匹    
   p  匹    
   p  匹    
フグとガシラを含む根魚がエサ取りで、さしえが毎回のこりませんでした。 釣人:せきやん
一文字-2番  2014/01/18 (終日時〜 時)
アイナメ 18〜25p 3匹 オキアミ 胴付き・探り釣り
ガシラ 15〜23p 14匹 シラサエビ  
メバル 18p 1匹    
   p  匹    
この大きさのアイナメは初めて リリース/ガシラ24、ソイ4、イソベラ4 釣人:滋賀のT
東-6番  2014/01/15 (午後時〜 時)
チヌ 35p 1匹 オキアミ フカセ釣り
   p  匹    
   p  匹    
   p  匹    
小さいですが嬉しい1枚です。夕方4時頃、潮が緩みかけた時に、3.5ヒロで。 釣人:せきやん
中央-7番  2014/01/13 (終日時〜 時)
キス 15p 2匹 ゴカイ 投げ釣り
カレイ 15p 1匹 オキアミ  
ナマコ 8p 1匹    
   p  匹    
午前中にキスとカレイ、夕方にナマコが釣れました。回遊魚は少なかった。 釣人:くま3 <<<
一文字-4番  2014/01/12 (終日時〜 時)
ガシラ 18〜20p 20匹 オキアミ 胴付き・探り釣り
アブラメ 20p 2匹    
   p  匹    
   p  匹    
リリース/ガシラ28、アブラメ1、ベラ2 大きいガシラはどこへ? 釣人:滋賀のT <<<
西-4番  2014/01/04 (午後時〜 時)
ガシラ 21〜25p 5匹 マムシ 胴付き・探り釣り
アイナメ 18〜20p 2匹 イワシ  
アナハゼ 17p 1匹    
   p  匹    
14時〜21時。投げ釣りもしましたがアイナメのみ。今年もよろしくお願いします! 釣人:ゴールドブレンド
東-6番  2014/01/03 (午前中時〜 時)
チヌ 40p 1匹 フカセ釣り
   p  匹    
   p  匹    
   p  匹    
釣り易い潮でしたが1枚だけでした。今年は少ない? 釣人:もりちゃん
一文字-4番  2014/01/03 (終日時〜 時)
ガシラ 21p 2匹 オキアミ 胴付き・探り釣り
ソイ 21p 1匹    
ガシラ 〜18p 8匹    
   p  匹    
大半はリリース/ガシラ35匹、イソベラ3匹、アイナメ2匹 釣人:滋賀のT <<<
一文字-4番  2013/12/30 (終日時〜 時)
ガシラ 24p 5匹 生のオキアミ 胴付き・探り釣り
ガシラ チビ〜20p 56匹    
アイナメ 20p 4匹    
   p  匹    
良い型が釣れました。帰省した娘に刺身を出せました。マッキーさんご無沙汰です。 釣人:滋賀のT <<<
西-5番  2013/12/29 (夕方時〜 時)
グレ 23p 1匹 オキアミ フカセ釣り
海タナゴ 20p 1匹    
アジ 15p 1匹    
   p  匹    
15:30〜西風ビュービュー納竿で釣れて良かったです^^ 釣人:元気屋マッキー <<<
中央-7番  2013/12/29 (午後時〜 時)
ヒガンフグ 28p 1匹 マムシ 投げ釣り
キス 16p 1匹 青虫  
ガシラ 17p 1匹    
   p  匹    
エサ盗りも消えてすっかり冬の海。カレイかと思ったらデカフグ……リリースです。 釣人:ゴールドブレンド
西-5番  2013/12/23 (終日時〜 時)
グレ 22〜31p 5匹 オキアミ フカセ釣り
   p  匹    
   p  匹    
   p  匹    
まだアジが居ます。今日はせきやんさんに完敗です。 釣人:管理人
一文字-6番  2013/12/22 (終日時〜 時)
ガシラ 23p 1匹 オキアミ 胴付き・探り釣り
ガシラ 15〜20p 24匹    
ガシラ・リリース 〜15p 25匹    
   p  匹    
どんどん釣れますが、大きいヤツが少ないです 釣人:滋賀のT <<<
西-5番  2013/12/23 (終日時〜 時)
グレ 22〜29p 7匹 オキアミ フカセ釣り
   p  匹    
   p  匹    
   p  匹    
午前中は全く釣れず0枚、夕方パタパタと釣れました。 釣人:せきやん
西-5番  2013/12/19 (終日時〜 時)
グレ 22〜27p 7匹 オキアミ フカセ釣り
   p  匹 ゴカイ  
   p  匹    
   p  匹    
時々アジの群れが来襲、午後から2匹のみ。 釣人:YH
西-5番  2013/12/16 (終日時〜 時)
グレ 22〜29p 9匹 オキアミ フカセ釣り
ウマヅラ 22p 1匹    
   p  匹    
   p  匹    
小アジが少なくなった14時〜15時頃に、連続でヒットしました。 釣人:管理人
西-5番  2013/12/16 (終日時〜 時)
グレ 22〜28p 5匹 オキアミ フカセ釣り
   p  匹    
   p  匹    
   p  匹    
いまだ、ほぼ終日アジがいました。 釣人:せきやん
西-2番  2013/12/13 (夕方時〜 時)
アジ 14〜18p 29匹 アミエビ サビキ釣り
カタクチイワシ 10〜13p 14匹    
マイワシ 18〜22p 3匹    
   p  匹    
14時半〜17時。暴風でした。まだまだアジはいけそうです。 釣人:ゴールドブレンド
東-11番  2013/12/11 (夜間時〜 時)
タケノコメバル 19p 1匹 サンドワーム ルアー・エギング
   p  匹    
   p  匹    
   p  匹    
中層で。本格的に寒くなってきましたね。かなり風が冷たかったです。 釣人:ゴールドブレンド
西-5番  2013/12/11 (終日時〜 時)
グレ 20〜28p 5匹 イシゴカイ フカセ釣り
   p  匹    
   p  匹    
   p  匹    
すごい強風下の釣り初体験でした。 釣人:YH
西-5番  2013/12/11 (午前中時〜 時)
グレ 23,29p 2匹 オキアミ フカセ釣り
   p  匹    
   p  匹    
   p  匹    
強風、向かい風、心が折れました。 釣人:さわいち
西-5番  2013/12/05 (終日時〜 時)
グレ 23〜33p 13匹 オキアミ フカセ釣り
   p  匹    
   p  匹    
   p  匹    
久々の良型です。午後からはオセンも消え、生命反応無し。後半、ようやく際で連発。 釣人:管理人
西-5番  2013/12/05 (終日時〜 時)
グレ 28p 1匹 オキアミ フカセ釣り
   p  匹    
   p  匹    
   p  匹    
調子にのってスカリを持って行くから1枚のみ‥占有率を教えて頂き7%でした。 釣人:せきやん
西-5番  2013/12/04 (終日時〜 時)
グレ 23〜28p 5匹 オキアミ フカセ釣り
   p  匹    
   p  匹    
   p  匹    
潮止まりに目の前で潜水漁が始まりました、撃沈です。 釣人:さわいち
東-1番  2013/12/03 (夜間時〜 時)
チヌ 30〜38p 2匹 マムシ 投げ釣り
   p  匹 ユムシ  
   p  匹    
   p  匹    
一文字向きで21時、23時に。アナゴとの戦いでしたが粘った甲斐がありました。 釣人:ゴールドブレンド
西-5番  2013/12/03 (終日時〜 時)
グレ 20〜29p 25匹 オキアミ フカセ釣り
   p  匹    
   p  匹    
   p  匹    
小アジの回遊はお昼前後のみでした。グレは夕方になって活性が上がりました。 釣人:管理人
西-5番  2013/12/03 (終日時〜 時)
グレ 23〜30p 13匹 オキアミ フカセ釣り
   p  匹    
   p  匹    
   p  匹    
アジはお昼の約1時間ぐらいの間でした。 釣人:せきやん
西-5番  2013/11/30 (終日時〜 時)
グレ 20〜28p 5匹 オキアミ フカセ釣り
   p  匹    
   p  匹    
   p  匹    
アジが邪魔で、思うように出来ませんでした。 釣人:まさ <<<
中央-5番  2013/12/02 (夜間時〜 時)
ガシラ 20〜21p 2匹 赤イソメ ウキ釣り
メバル 15p 1匹    
ウミタナゴ 22p 1匹    
   p  匹    
20時〜0時。キワでタナ3ヒロぐらい。今日はメバルの反応がイマイチでした。 釣人:ゴールドブレンド
西-5番  2013/12/01 (午前中時〜 時)
チヌ 39p 1匹 練り餌 フカセ釣り
グレ 21p 1匹    
   p  匹    
   p  匹    
アジが多くて、かわせないので練り餌をつけたらきました。久しぶりです。 釣人:ひろ
東   2013/12/01 (早朝時〜 時)
アオリイカ 600gp 5匹 エギ3.5号 ルアー・エギング
   p  匹    
   p  匹    
   p  匹    
朝4時スタートでの釣果★約1年振りに垂水に来ましたがまだまだイカは残ってますね! 釣人:スラックマスター
西-5番  2013/11/30 (終日時〜 時)
グレ 21〜30p 18匹 オキアミ フカセ釣り
   p  匹    
   p  匹    
   p  匹    
アジが多過ぎて、オセンも沖に出ません。難しい1日でした。 釣人:管理人
西-5番  2013/11/30 (終日時〜 時)
グレ 21〜29p 5匹 オキアミ フカセ釣り
   p  匹    
   p  匹    
   p  匹    
ほぼ終日アジがいました。難しいです。 釣人:せきやん
東-6番  2013/11/29 (午後時〜 時)
チヌ 40p 多数匹 オキアミ フカセ釣り
   p  匹    
   p  匹    
   p  匹    
エサ取り多数。エサ取りのど真中3ヒロがチヌの喰う位置。タイミングの釣りでした。 釣人:もりちゃん
西-5番  2013/11/27 (終日時〜 時)
グレ 22〜29p 7匹 オキアミ フカセ釣り
   p  匹    
   p  匹    
   p  匹    
午後から西5番は、波しぶきをかぶるぐらい大荒れでした。 釣人:さわいち <<<
西-5番  2013/11/27 (午前中時〜 時)
グレ 23〜25p 3匹 オキアミ フカセ釣り
   p  匹    
   p  匹    
   p  匹    
前半は小アジの猛攻に遭い、後半は強い向かい風で早々に断念しました。 釣人:管理人 <<<
中央-5番  2013/11/26 (夜間時〜 時)
メバル 16〜17p 3匹 青虫 ウキ釣り
   p  匹    
   p  匹    
   p  匹    
20時頃にアタリが多かったです。アジもたくさんいます。 釣人:ゴールドブレンド
西-5番  2013/11/27 (終日時〜 時)
グレ 23〜24p 2匹 オキアミ フカセ釣り
   p  匹    
   p  匹    
   p  匹    
海上のうねりと風に、昼過ぎには心が折れました。 釣人:せきやん
西-5番  2013/11/24 (終日時〜 時)
グレ 20〜29p 9匹 オキアミ フカセ釣り
   p  匹    
   p  匹    
   p  匹    
アジがかなりいました! 釣人:サトシF
中央-8番  2013/11/23 (夜間時〜 時)
サバ 39p 1匹 青虫 ウキ釣り
チャリコ 20p 1匹    
ガシラ 18p 1匹    
   p  匹    
青虫にこんなサバがくるとは。ハネだと思ったら走り回るので焦りました。タナ3ヒロ。 釣人:ゴールドブレンド
西-5番  2013/11/22 (午前中時〜 時)
グレ 20〜25p 4匹 オキアミ フカセ釣り
   p  匹    
   p  匹    
   p  匹    
風が強かったので、明日リベンジです。 釣人:サトシF
東-3番  2013/11/20 (午前中時〜 時)
アオリイカ 19〜21p 2匹 小アジ 掛け釣り
   p  匹    
   p  匹    
   p  匹    
同じイカだと思うのですが、何度もチャレンジしてくれ7打数2安打でした。 釣人:せきやん
西-5番  2013/11/16 (夕方時〜 時)
ハネ 40p 1匹 アオイソメ 投げ釣り
   p  匹    
   p  匹    
   p  匹    
アジュールのサーフでの釣果です。風もなく絶好の釣行日でした。 釣人:SHIGE
西-5番  2013/11/16 (午後時〜 時)
カレイ 25p 1匹 マムシ 投げ釣り
   p  匹    
   p  匹    
   p  匹    
アジュールのサーフでの釣果です。小ぶりでしたが結構肉厚サイズでした。 釣人:SHIGE
西-4番  2013/11/16 (午前中時〜 時)
グレ 30〜20p 12匹 オキアミ フカセ釣り
   p  匹    
   p  匹    
   p  匹    
アジがかなりいました! 釣人:サトシF
西-5番  2013/11/14 (終日時〜 時)
グレ 20〜29p 19匹 オキアミ フカセ釣り
   p  匹    
   p  匹    
   p  匹    
アジの滞在時間が長過ぎました。今日は相対的に型が小さかったです。 釣人:管理人
西-5番  2013/11/14 (終日時〜 時)
グレ 20〜29p 10匹 オキアミ フカセ釣り
   p  匹    
   p  匹    
   p  匹    
昼からの一番いいと思う時間帯に、アジが約3時間居座り続けました。 釣人:せきやん
西-5番  2013/11/13 (終日時〜 時)
グレ 23〜29p 9匹 オキアミ フカセ釣り
   p  匹    
   p  匹    
   p  匹    
釣れたのは2時〜4時の間、竿5,6本先タナは1〜3ヒロ 釣人:さわいち <<<
西-5番  2013/11/12 (午前中時〜 時)
アオリイカ 21〜23p 2匹 小アジ 掛け釣り
   p  匹    
   p  匹    
   p  匹    
フカセの合間、午前中に釣りました。アタリは3回しかありませんでした。 釣人:管理人
西-5番  2013/11/12 (終日時〜 時)
グレ 20〜30p 35匹 オキアミ フカセ釣り
   p  匹    
   p  匹    
   p  匹    
今日は終日小アジの回遊があり、特に午前中は苦戦しました。27p以上は17枚です。 釣人:管理人
西-5番  2013/11/12 (終日時〜 時)
グレ 22〜28p 13匹 オキアミ フカセ釣り
   p  匹    
   p  匹    
   p  匹    
オセンが沖まで、アジも回遊もあり。マキエの遠投での同調を練習します。 釣人:せきやん
東-3番  2013/11/11 (午前中時〜 時)
アオリイカ 15〜23p 2匹 小アジ 掛け釣り
   p  匹    
   p  匹    
   p  匹    
風がかなり厄介でした。あたりは3回のみでした 釣人:せきやん
西-5番  2013/11/09 (午前中時〜 時)
カレイ 23〜24p 2匹 マムシ 投げ釣り
   p  匹    
   p  匹    
   p  匹    
アジュールのサーフでの釣果です。今日のサイズはイマイチでした。 釣人:SHIGE
西-5番  2013/11/08 (終日時〜 時)
グレ 20〜31p 23匹 オキアミ フカセ釣り
   p  匹    
   p  匹    
   p  匹    
4ヶ月ぶりのグレ狙い。30pオーバーが5枚混じりました。午後からアタリ多いです。 釣人:管理人
西-5番  2013/11/08 (終日時〜 時)
スズキ 71p 1匹 イサギの子 泳がせ釣り
アオリイカ 14p 1匹 小アジ  
   p  匹    
   p  匹    
フカセの合間に釣りました。とにかく忙しい1日でした。 釣人:管理人
西-5番  2013/11/08 (終日時〜 時)
グレ 22〜27p 10匹 オキアミ フカセ釣り
   p  匹    
   p  匹    
   p  匹    
朝一以外はアジはいませんでした。面白かったです。勉強になりました。 釣人:せきやん
東-3番  2013/11/07 (夜間時〜 時)
アオリイカ 28p 1匹 餌木 ルアー・エギング
   p  匹    
   p  匹    
   p  匹    
1020gありました。タモがなく取り込めたのは幸運でした。 釣人:ガシラ大好き中年
東-3番  2013/11/05 (午前中時〜 時)
アオリイカ 18〜24p 4匹 小アジ 掛け釣り
アナハゼ 23p 1匹    
   p  匹    
   p  匹    
5打席、4安打、あたりはかなり減りました。 釣人:せきやん
東-3番  2013/11/03 (午前中時〜 時)
アナハゼ 20p 1匹 小アジ 掛け釣り
   p  匹    
   p  匹    
   p  匹    
小あじを飲み込んビックリです。今日はアジが、ほぼ釣れませんでした。 釣人:せきやん
東-3番  2013/10/30 (午前中時〜 時)
アオリイカ 20p 1匹 あじ 掛け釣り
   p  匹    
   p  匹    
   p  匹    
あたりも少なく、数が減った様な気がします。 釣人:さわいち
西-4番  2013/10/30 (夜間時〜 時)
マダイ 24〜28p 2匹 マムシ 投げ釣り
   p  匹    
   p  匹    
   p  匹    
20時頃に。チビですが釣れて良かった。 釣人:ゴールドブレンド
東-3番  2013/10/29 (終日時〜 時)
アオリイカ 11〜20p 2匹 小アジ 掛け釣り
   p  匹    
   p  匹    
   p  匹    
アタリは随分減りました。小アジは終日釣れてます。 釣人:管理人
西-5番  2013/10/27 (午前中時〜 時)
カレイ 35p 1匹 マムシ 投げ釣り
カワハギ 16p 1匹    
   p  匹    
   p  匹    
アジュールのサーフにて。エサ獲り活性低くベラも皆無でラッキーでした。 釣人:SHIGE
東-3番  2013/10/23 (午前中時〜 時)
アオリイカ 18〜19p 3匹 アジ 掛け釣り
   p  匹    
   p  匹    
   p  匹    
潮が濁っていてあまり良くありませんでした。 釣人:さわいち
東-9番  2013/10/22 (終日時〜 時)
チヌ 27p 1匹 オキアミ 紀州釣り
人間 160p 1匹 玉の柄  
   p  匹    
   p  匹    
本命はサッパリでしたが、思わぬ大物をあげました。皆さんライフジャケットを是非!! 釣人:kもりた
東-3番  2013/10/21 (終日時〜 時)
アオリイカ 16〜25p 5匹 アジ 掛け釣り
   p  匹    
   p  匹    
   p  匹    
10打数、5安打。凄い引きでした。 釣人:せきやん
東-3番  2013/10/21 (終日時〜 時)
アオリイカ 17〜22p 5匹 小アジ 掛け釣り
   p  匹    
   p  匹    
   p  匹    
14時までの釣果。午前9時以降、アタリは殆どありませんでした。 釣人:管理人
西-5番  2013/10/19 (終日時〜 時)
カレイ 25p 1匹 マムシ 投げ釣り
カワハギ 13p 1匹    
アイナメ 15p 1匹    
   p  匹    
アジュールのサーフでの釣果です。今秋初カレイでした。エサ獲り強風相変わらずです。 釣人:SHIGE
東-3番  2013/10/17 (午前中時〜 時)
アオリイカ 17〜20p 3匹 アジ 掛け釣り
   p  匹    
   p  匹    
   p  匹    
20打席、3安打、難しいです。 釣人:せきやん
東-4番  2013/10/14 (午前中時〜 時)
アオリイカ 15〜19p 4匹 小アジ 掛け釣り
   p  匹    
   p  匹    
   p  匹    
なかなか針掛からなく苦戦しました。 釣人:まさ <<<
東-3番  2013/10/14 (午前中時〜 時)
アオリイカ 12〜19p 5匹 小アジ 掛け釣り
   p  匹    
   p  匹    
   p  匹    
潮が緩むとアタリは遠のきました。小アジは終日釣れています。 釣人:管理人
東-3番  2013/10/13 (夜間時〜 時)
太刀魚(F3) 74p 1匹 キビナゴ ウキ釣り
   p  匹    
   p  匹    
   p  匹    
今期初の太刀魚でした。夕方中央11にカマスの群れが来ていた様です。 釣人:SHIGE 
東-3番  2013/10/13 (終日時〜 時)
アオリイカ 14〜18p 3匹 アジ 掛け釣り
   p  匹    
   p  匹    
   p  匹    
掛かる確率は約3割、どうにか確率を上げたいです。 釣人:せきやん
西-5番  2013/10/12 (午前中時〜 時)
カワハギ 13〜18p 5匹 マムシ 投げ釣り
   p  匹    
   p  匹    
   p  匹    
アジュールのサーフでの釣果です。カレイ不発でエサ獲り軍団の秒殺の嵐に遇いました。 釣人:SHIGE
中央-5番  2013/10/10 (午後時〜 時)
ハゲ 12〜16p 11匹 青虫 投げ釣り
ガシラ 20p 1匹    
   p  匹    
   p  匹    
ヒラメを狙いたかったのですが今日はキスが釣れず…。 釣人:ゴールドブレンド
東-3番  2013/10/09 (午後時〜 時)
アオリイカ 14〜15p 3匹 活アジ 掛け釣り
チヌ 46,5p 1匹    
   p  匹    
   p  匹    
アタリはよくあるのですが、掛け釣り初心者釣り上げることが出来ません。 釣人:さわいち
中央-7番  2013/10/08 (午後時〜 時)
ハゲ 12〜16p 10匹 青虫 投げ釣り
キス 13〜17p 6匹 マムシ  
ガッチョ 20p 1匹    
   p  匹    
干潮後はサッパリ。カレイも狙いましたがエサ盗りが多過ぎてなんともかんとも。 釣人:ゴールドブレンド
東-3番  2013/10/06 (午前中時〜 時)
アオリイカ 14〜19p 2匹 アジ 掛け釣り
   p  匹    
   p  匹    
   p  匹    
激流でした。潮が緩んだ10時頃当たりが。肝心な時にアジが窒息死してしまいました。 釣人:せきやん
東-3番  2013/10/01 (夜間時〜 時)
ガシラ 20p 1匹 サンマの切り身 投げ釣り
アナゴ 38〜43p 2匹    
   p  匹    
   p  匹    
遅くなりましたが。うーん、久々に東3へ行きましたがパッとしない釣果です。 釣人:ゴールドブレンド
東-3番  2013/10/04 (終日時〜 時)
アオリイカ 13〜18p 8匹 小アジ 掛け釣り
   p  匹    
   p  匹    
   p  匹    
午前中、激流の中で良く釣れました。午後からは潮が止まり、アタリは無くなりました。 釣人:管理人
東-3番  2013/10/04 (終日時〜 時)
アオリ 15〜18p 6匹 アジ 掛け釣り
   p  匹    
   p  匹    
   p  匹    
午前中が良かったです。 釣人:せきやん
西-5番  2013/10/02 (夜間時〜 時)
アオリイカ 15〜16p 2匹 エギ3.0号 ルアー・エギング
   p  匹    
   p  匹    
   p  匹    
着いてすぐの時合いでヒット。その後1時間であたりが2回あり納竿。 釣人:根掛カリンガー
西-5番  2013/10/02 (終日時〜 時)
グレ 21〜28p 7匹 オキアミ ヌカ切り
   p  匹    
   p  匹    
   p  匹    
型のわりにパワーがありよく肥えていました。 釣人:さわいち
東-3番  2013/10/02 (早朝時〜 時)
アオリイカ 16p 1匹 エギ3,5号 ルアー・エギング
   p  匹    
   p  匹    
   p  匹    
何んとか潮止まりに足もとで1匹ゲットしました。 釣人:さわいち
東-9番  2013/10/01 (午後時〜 時)
チヌ 23p 1匹 オキアミ 紀州釣り
   p  匹    
   p  匹    
   p  匹    
ボラもあたらないと寂しいものです。
惨敗!
釣人:kもりた
東-3番  2013/09/30 (終日時〜 時)
アオリイカ 11〜16p 2匹 小アジ 掛け釣り
   p  匹    
   p  匹    
   p  匹    
青物に備え、孫針を軸の太い物に替えたのですが、アオリには不向きでした。 釣人:管理人
東-3番  2013/09/30 (終日時〜 時)
アオリ 15〜19p 4匹 アジ 掛け釣り
   p  匹    
   p  匹    
   p  匹    
早朝から朝9時までに当たりが多かったです。 釣人:せきやん
東-3番  2013/09/27 (終日時〜 時)
アオリイカ 10〜14p 7匹 アジ 掛け釣り
アオリイカ 16〜18p 3匹    
   p  匹    
   p  匹    
青物狙いの仕掛けに孫針を付けて釣りました。ツバスのアタリは1度のみ。 釣人:管理人
東-3番  2013/09/27 (終日時〜 時)
アオリイカ 16〜17p 3匹 アジ 掛け釣り
   p  匹    
   p  匹    
   p  匹    
エギング初心者には無理で、アジの掛け針で釣れました。面白いです。 釣人:せきやん
東-4番  2013/09/25 (早朝時〜 時)
アオリイカ 13〜15p 5匹 エギ3号 ルアー・エギング
   p  匹    
   p  匹    
   p  匹    
早朝の潮止まりの一時に釣れました。 釣人:さわいち
西-3番  2013/09/20 (夜間時〜 時)
アオリイカ 8〜11p 4匹 エギ2号 ルアー・エギング
   p  匹    
   p  匹    
   p  匹    
18時半〜19時半の釣果。日が完全に暮れるとさっぱり釣れなくなりました。 釣人:管理人 <<<
西-5番  2013/09/18 (午前中時〜 時)
グレ 25〜29p 3匹 オキアミ ヌカ切り
   p  匹 イシゴカイ  
   p  匹    
   p  匹    
エサトリはオセンは少なく、アジばかり。 釣人:YH
西-5番  2013/09/18 (終日時〜 時)
ボラ 73p 1匹 ゴカイ ヌカ切り
   p  匹    
   p  匹    
   p  匹    
なかなか玉網に入らず,上がってきてビックリの大きさでした。 釣人:さわいち
西-5番  2013/09/18 (終日時〜 時)
グレ 21〜29p 4匹 ゴカイ ヌカ切り
   p  匹 オキアミ  
   p  匹    
   p  匹    
まだまだアジがたっぷりいます。 釣人:さわいち
東-3番  2013/09/12 (終日時〜 時)
ツバス 22〜30p 3匹 小アジ 泳がせ釣り
   p  匹    
   p  匹    
   p  匹    
もう少しサイズがあれば… 釣人:まさ <<<
東   2013/09/14 (午前中時〜 時)
アオリイカ 12〜20p 7匹 2.5号 ルアー・エギング
ケンサキイカ 12p 1匹    
   p  匹    
   p  匹    
東から中央エリアをランガンしました!
今年はあたり年だ〜〜!!
釣人:BRAQUE

東-3番  2013/09/12 (終日時〜 時)
ツバス 28〜33p 3匹 小アジ 泳がせ釣り
アオリイカ 8〜18p 19匹 エギ2号  
ケンサキイカ 10p 3匹    
   p  匹    
ツバスは7時〜8時にヒット。アオリは潮止まり時に良く釣れました。 釣人:管理人
東-2番  2013/09/12 (終日時〜 時)
チヌ 32p 1匹 オキアミ 紀州釣り
   p  匹 コーン  
   p  匹    
   p  匹    
久々の紀州釣り、オキアミではアジが毎回の様に、コーンで釣れました。 釣人:せきやん
東-3番  2013/09/10 (午後時〜 時)
ツバス 30p 1匹 小アジ 泳がせ釣り
シオ 38p 1匹    
アオリ 8〜11p 3匹 エギ2号  
   p  匹    
午後から今度は飲ませに挑戦。アオリは青物狙いの合間にエギングでゲット。 釣人:管理人
東-3番  2013/09/10 (午前中時〜 時)
アオリイカ 13〜16p 4匹 エギ2号 ルアー・エギング
アオリイカ 7〜10p 3匹    
   p  匹    
   p  匹    
朝一の潮止まり時に釣れました。 釣人:管理人
東-9番  2013/09/09 (終日時〜 時)
キビレ 28p 1匹 オキアミ 紀州釣り
チヌ 23p 1匹 コーン  
   p  匹    
   p  匹    
魚(当たり)少なし! 釣人:kもりた
東-9番  2013/09/09 (終日時〜 時)
ボラ 72p 1匹 オキアミ 紀州釣り
   p  匹    
   p  匹    
   p  匹    
糸1.2号で上げるのに時間かかりました。 釣人:kもりた
西-3番  2013/09/08 (夜間時〜 時)
アオリイカ 8〜15p 4匹 エギ ルアー・エギング
   p  匹    
   p  匹    
   p  匹    
ぽつぽつ釣れました 釣人:3104k <<<
西-3番  2013/09/06 (夜間時〜 時)
アオリイカ 7〜13p 6匹 エギ ルアー・エギング
   p  匹    
   p  匹    
   p  匹    
絶好の釣り日和でした。 釣人:3104k <<<
西-3番  2013/09/06 (夜間時〜 時)
アオリイカ 12〜14p 5匹 エギ2号 ルアー・エギング
アオリイカ 7〜11p 5匹    
   p  匹    
   p  匹    
20時〜22時の釣果。ワンドの中でも良く釣れました。 釣人:管理人
東-9番  2013/09/06 (午後時〜 時)
チヌ 23・33p 2匹 コーン 紀州釣り
   p  匹    
   p  匹    
   p  匹    
昨日ボーズ、今日リベンジで2枚。水温低下かかなり難儀です。 釣人:kもりた
西-2番  2013/09/04 (早朝時〜 時)
アオリイカ 8〜10p 4匹 エギ2号 ルアー・エギング
   p  匹    
   p  匹    
   p  匹    
雨の中頑張って釣りました 釣人:さわいち
中央-5番  2013/09/02 (終日時〜 時)
イサキ 3~5p 20匹 オキアミ サビキ釣り
アジ 5~12p 30匹    
シマダイ 10〜13p 3匹    
   p  匹    
五番内湾向き
針は小さい物が食いがよい
釣人:ガシロウト <<<
西-5番  2013/08/28 (終日時〜 時)
グレ 20〜26p 4匹 オキアミ ヌカ切り
   p  匹    
   p  匹    
   p  匹    
ダンゴに群がるエサ取りにウンザリ、海面真っ黒。ボラ、サヨリ、アジ、オセンその他。 釣人:YH
西-2番  2013/08/28 (午前中時〜 時)
アオリイカ 7〜13p 9匹 エギ2号 ルアー・エギング
   p  匹    
   p  匹    
   p  匹    
先週から1週間でずいぶん大きくなっていました。 釣人:さわいち
中央-4番  2013/08/25 (夕方時〜 時)
小アジ 10p 100匹 アミエビ サビキ釣り
   p  匹    
   p  匹    
   p  匹    
40cm位のハネがウロウロしていました。 釣人:kamio <<<
東-9番  2013/08/27 (終日時〜 時)
チヌ 47〜43p 2匹 コーン 紀州釣り
チヌ 31〜34p 3匹    
   p  匹    
   p  匹    
今日はボラが1本だけ、コーン正解。 釣人:kもりた
西-5番  2013/08/21 (終日時〜 時)
グレ 20p 2匹 オキアミ ヌカ切り
   p  匹    
   p  匹    
   p  匹    
疲れました。 釣人:さわいち <<<
東-9番  2013/08/20 (午後時〜 時)
チヌ 45〜23p 6匹 オキアミ 紀州釣り
   p  匹    
   p  匹    
   p  匹    
久しぶりの6枚。 釣人:kもりた
東-3番  2013/08/17 (夜間時〜 時)
サバ 38〜43p 2匹 キビナゴ ウキ釣り
   p  匹    
   p  匹    
   p  匹    
この盆明けの時期に驚きでした。アタリも太刀魚っぽかったです。 釣人:SHIGE
東-3番  2013/08/17 (午前中時〜 時)
ハマチ(曲がり) 60p 1匹 アジ 泳がせ釣り
   p  匹    
   p  匹    
   p  匹    
釣れたと思ったら曲がり(奇形)でした。残念。 釣人:まさ <<<
西-2番  2013/08/16 (午後時〜 時)
アジ 10p 25匹 アミエビ サビキ釣り
   p  匹    
   p  匹    
   p  匹    
夏休みのファミリーフィッシング情報です!1時間ほどの釣果です。 釣人:ゆうはるのパパ <<<
西-5番  2013/08/13 (終日時〜 時)
グレ 21〜29p 6匹 オキアミ ヌカ切り
   p  匹 イシゴカイ  
   p  匹    
   p  匹    
久々の29pです。 釣人:YH
東-9番  2013/08/12 (終日時〜 時)
チヌ 32p 1匹 オキアミ 紀州釣り
キビレ 26p 1匹    
タコ1、ボラ4匹 60p 4匹    
   p  匹    
ボラのソロバン玉4個を肴にビール旨し。 釣人:kもりた
西-5番  2013/08/08 (終日時〜 時)
グレ 20〜25p 4匹 オキアミ ヌカ切り
チヌ 38p 1匹    
   p  匹    
   p  匹    
ボラ、サヨリは相変わらずですがオセンは少ない気がします。チヌは初めての釣果です。 釣人:YH
中央-7番  2013/08/07 (夜間時〜 時)
ガシラ 20〜25p 2匹 小サバ 投げ釣り
アナゴ 40〜55p 3匹 ユムシ  
   p  匹    
   p  匹    
デカイのはユムシにきました。中央7でも風が無くて、死ぬほど暑かった……!! 釣人:ゴールドブレンド
西-5番  2013/08/07 (終日時〜 時)
グレ 20〜28p 6匹 オキアミ ヌカ切り
   p  匹    
   p  匹    
   p  匹    
タナ2ヒロ、ボラにだんごを潰され無い様に投げるのが大変です。 釣人:さわいち
東-9番  2013/08/04 (午後時〜 時)
マダイ 43p 1匹 オキアミ 紀州釣り
   p  匹    
   p  匹    
   p  匹    
無風で暑かったけど、マダイ久しぶりです。 釣人:kもりた
東-2番  2013/08/03 (午後時〜 時)
チヌ 49p 1匹 オキアミ 紀州釣り
   p  匹    
   p  匹    
   p  匹    
これはチヌだと浮かせるとボラで、ボラと思った当りがチヌでした。面白いです。 釣人:せきやん
西-5番  2013/07/31 (午前中時〜 時)
グレ 25^29p 3匹 オキアミ ヌカ切り
   p  匹    
   p  匹    
   p  匹    
タナ2ヒロ、エサ取り多すぎです。 釣人:さわいち <<<
東-2番  2013/07/28 (午後時〜 時)
チヌ 50.5p 1匹 オキアミ 紀州釣り
   p  匹    
   p  匹    
   p  匹    
ボラだと思いやり取り、チヌでビックリです。東3番でコーンでマダイ釣れてました。 釣人:せきやん
中央-5番  2013/07/24 (午前中時〜 時)
サヨリ 22〜25p 31匹 おきあみS  ウキ釣り
   p  匹    
   p  匹    
   p  匹    
コマセに寄ってくるボラに悩まされ数伸びず残念。サヨリの魚影はかなり濃い。 釣人:サヨリストーカー <<<
西-5番  2013/07/24 (午前中時〜 時)
グレ 26p 1匹 オキアミ ヌカ切り
   p  匹    
   p  匹    
   p  匹    
グレ狙い二人のみ。秋口まで数は望めないのでしょうか 釣人:YH
西-5番  2013/07/24 (終日時〜 時)
グレ 20〜25p 2匹 オキアミ ヌカ切り
   p  匹    
   p  匹    
   p  匹    
今年のグレは手ごわいです、見えていても食いつきません。 釣人:さわいち
中央-7番  2013/07/20 (夜間時〜 時)
ガシラ 14〜25p 2匹 オキアミ ウキ釣り
   p  匹    
   p  匹    
   p  匹    
深夜1時にまぐれで釣れました。 釣人:管理人
中央-10番  2013/07/20 (午後時〜 時)
チヌ 36p 1匹 オキアミ 紀州釣り
   p  匹    
   p  匹    
   p  匹    
一年ぶりのタンゴ、バタバタでした。 釣人:まさ <<<
平磯-11番  2013/07/17 (午前中時〜 時)
サヨリ 22〜29p 75匹 オキアミS ウキ釣り
   p  匹    
   p  匹    
   p  匹    
長潮、竿2本沖、タナ30〜50cm。殆ど入れ掛り。魚体50%は頭でっかちの痩型。 釣人:サヨリストカー <<<
東-3番  2013/07/14 (夜間時〜 時)
サバ 39〜40p 2匹 サンマの切り身 ウキ釣り
   p  匹    
   p  匹    
   p  匹    
今期初の大サバです。11時半頃とその1時間後にアタリました。 釣人:SHIGE
西-3番  2013/07/10 (終日時〜 時)
グレ 23〜24p 2匹 オキアミ ヌカ切り
   p  匹    
   p  匹    
   p  匹    
暑いし数が出ないしツカレました 釣人:YH
西-5番  2013/07/10 (終日時〜 時)
グレ 23〜28p 2匹 オキアミ フカセ釣り
サヨリ 25前後p 20匹    
   p  匹    
   p  匹    
終日サヨリにやられました、タナ2ヒロ 釣人:さわいち
平磯-2番  2013/07/07 (午後時〜 時)
キス 12p 1匹 パワーイソメ 投げ釣り
ガシラ 15〜19p 2匹    
   p  匹    
   p  匹    
久々の平磯でしたが根掛かり多発で惨敗でした。 釣人:SHIGE
西-1番  2013/06/28 (午前中時〜 時)
スズキ 65~50p 2匹 イワシ 泳がせ釣り
   p  匹    
   p  匹    
   p  匹    
少し遅れましたが・・・ 釣人:サトシF
西-5番  2013/06/27 (終日時〜 時)
グレ 23〜27p 4匹 オキアミ フカセ釣り
   p  匹    
   p  匹    
   p  匹    
終日、小アジ、小サバ、サヨリが回遊して苦戦しました。特に小サバは多いです。 釣人:管理人
東-2番  2013/06/23 (終日時〜 時)
チヌ 29p 1匹 オキアミ 紀州釣り
   p  匹    
   p  匹    
   p  匹    
ボラの活性が凄いです。着水と同時にダンゴをくわえたまま走り回ります。 釣人:せきやん
東-3番  2013/06/23 (午後時〜 時)
チヌ 42p 1匹 オキアミ 紀州釣り
ベラ・チャリコ 15p 多数匹 ネリエ  
   p  匹    
   p  匹    
銀鱗久しぶりに見れました。 釣人:風
東-6番  2013/06/22 (夜間時〜 時)
チヌ 40p 1匹 ジグヘッド+ワーム ルアー・エギング
   p  匹    
   p  匹    
   p  匹    
雨が続いたので良いかもと思い行って良かったです^^ 釣人:nabechan
中央-11番  2013/06/18 (夕方時〜 時)
豆アジ 6〜9p 116匹 アミエビ サビキ釣り
サバ 6〜8p 5匹    
イワシ 10p 1匹    
   p  匹    
水道でタナ表層。17時からずっと鈴なりでしたが、18時半にピタリと止まりました。 釣人:ゴールドブレンド
西-5番  2013/06/18 (午前中時〜 時)
オセン 7p 3匹 オキアミ フカセ釣り
   p  匹    
   p  匹    
   p  匹    
グレ坊主 まきえの投入位置? 釣人:秋グレ <<<
東-2番  2013/06/17 (終日時〜 時)
チヌ 30p 1匹 オキアミ 紀州釣り
   p  匹    
   p  匹    
   p  匹    
サイズよりも、嬉しい1枚です。 釣人:せきやん
東-4番  2013/06/16 (終日時〜 時)
グレ 22-26p 4匹 オキアミ フカセ釣り
   p  匹    
   p  匹    
   p  匹    
久々の複数枚でした。11時〜5時の釣果。 釣人:NIGHT
東-4番  2013/06/16 (午前中時〜 時)
ベラ 15p 数匹 オキアミ 紀州釣り
   p  匹    
   p  匹    
   p  匹    
久々の釣行。雨後の影響か活性イマイチでした。 釣人:風 <<<
西-5番  2013/06/12 (終日時〜 時)
グレ 23〜24p 2匹 オキアミ フカセ釣り
   p  匹    
   p  匹    
   p  匹    
釣り場に着くと東からの爆風でした。 釣人:さわいち
中央-11番  2013/06/09 (夕方時〜 時)
豆アジ 6〜8p 約60匹 アミエビ サビキ釣り
イワシ 10p 3匹    
   p  匹    
   p  匹    
アジが釣れ始めました。このサイズのアジが美味しいです。 釣人:せきやん「
東-3番  2013/06/08 (夕方時〜 時)
アイナメ 16〜17p 2匹 アオイソメ 投げ釣り
   p  匹    
   p  匹    
   p  匹    
2時間の釣行でしたがエサ取りのフグが多かったです。 釣人:SHIGE
東-2番  2013/06/07 (終日時〜 時)
ボラ 60前後p 8匹 オキアミ 紀州釣り
   p  匹    
   p  匹    
   p  匹    
分かってはいても、ゆっ〜くりシモルと、合わせてしまうのですよね 釣人:せきやん
西-5番  2013/06/05 (終日時〜 時)
グレ 23〜28p 8匹 オキアミ フカセ釣り
   p  匹    
   p  匹    
   p  匹    
沖30〜40m先単発でパラパラと釣れました 釣人:さわいち <<<
東-9番  2013/06/04 (午後時〜 時)
ボラ 60クラスp 5匹 オキアミ 紀州釣り
   p  匹    
   p  匹    
   p  匹    
チヌ居ないのですかねぇ。 釣人:kもりた
西-5番  2013/06/04 (終日時〜 時)
グレ 23〜30p 9匹 オキアミ フカセ釣り
   p  匹    
   p  匹    
   p  匹    
遠投浅ダナでの釣果。後半は向かい風が強まり遠投出来ず。早めに撤収しました。 釣人:管理人
平磯-9番  2013/06/04 (午前中時〜 時)
べラ 11〜17p 19匹 地ゴカイ 投げ釣り
アブラメ 15p 2匹    
   p  匹    
   p  匹    
東流、引かれ潮を狙ってベラ釣り
砂の中に潜っているベラもいる
釣人:秋グレ
東-3番  2013/06/02 (終日時〜 時)
ガシラ 18〜22p 4匹 青虫 投げ釣り
アナゴ 35〜40p 3匹 サンマの切り身  
ベラ 12〜18p 約30匹    
   p  匹    
12時〜21時。昼はベラ、夜はガシラ狙い。風が強くて寒いぐらいでした。 釣人:ゴールドブレンド
東-4番  2013/06/02 (終日時〜 時)
グレ 26〜28p 2匹 オキアミ フカセ釣り
   p  匹    
   p  匹    
   p  匹    
朝の一時だけ釣れました。午後はさっぱり。グレの数が少ないです。 釣人:管理人
東-4番  2013/06/02 (終日時〜 時)
グレ 24p 1匹 オキアミ フカセ釣り
   p  匹    
   p  匹    
   p  匹    
激しぶ 釣人:NIGHT
西-5番  2013/05/31 (終日時〜 時)
グレ 22〜29p 6匹 オキアミ フカセ釣り
   p  匹    
   p  匹    
   p  匹    
ミニ木っ葉は際に見えてますが、キープサイズは浮いてません。オセン多過ぎです。 釣人:管理人
西-5番  2013/05/31 (終日時〜 時)
グレ 24p 1匹 オキアミ フカセ釣り
   p  匹    
   p  匹    
   p  匹    
相変わらず難しいです。 釣人:せきやん
中央-4番  2013/05/30 (夜間時〜 時)
ガシラ 15〜24p 4匹 シラサ エビ撒き釣り
メバル 14〜15p 4匹    
   p  匹    
   p  匹    
22時〜1時。キワでタナ2ヒロ。0時頃にまとめて釣れました。 釣人:ゴールドブレンド
西-4番  2013/05/27 (午後時〜 時)
ベラ 12〜20p 10匹 青虫 投げ釣り
アイナメ 14〜17p 3匹    
   p  匹    
   p  匹    
ホンダワラがめちゃくちゃ多いので、L型天秤だと絡んで大変です。 釣人:ゴールドブレンド
一文字-6番  2013/05/25 (夜間時〜 時)
めばる 27.5p 1匹 フロートリグ ルアー・エギング
   p  匹 ジグヘッド1.0g  
   p  匹    
   p  匹    
潮止まり手前pm9:00にヒットです。一文字のメバルはでかい 釣人:しんのすけ
西-5番  2013/05/25 (夕方時〜 時)
カレイ 20p 1匹 マムシ 投げ釣り
アイナメ 24〜20p 2匹    
   p  匹    
   p  匹    
アジュールのサーフでの釣果です。強風で釣難くかったです。日没後はさっぱりでした。 釣人:SHIGE
西-5番  2013/05/24 (終日時〜 時)
グレ 22〜27p 5匹 オキアミ フカセ釣り
   p  匹    
   p  匹    
   p  匹    
釣り荒れしててオキアミじゃ厳しいです。<br>人減ってから何とか釣れました 釣人:3104k
西-5番  2013/05/22 (終日時〜 時)
グレ 23p 1匹 オキアミ フカセ釣り
グレ 15p 4匹    
   p  匹    
   p  匹    
超遠投、オセンの居ない所にグレも居ませんでした、撃沈でした。 釣人:さわいち <<<
西-5番  2013/05/21 (終日時〜 時)
グレ 23〜25p 2匹 オキアミ フカセ釣り
   p  匹 アオサ  
   p  匹    
   p  匹    
遠投してもオセンがかわせません。15p前後のミニ木っ葉はちらほら見えてます。 釣人:管理人 <<<
西-5番  2013/05/21 (終日時〜 時)
グレ 23〜24p 3匹 オキアミ フカセ釣り
   p  匹 アオサ  
   p  匹    
   p  匹    
難しいです。オセンが沖まで。足元でアオサで2枚 釣人:せきやん
西-5番  2013/05/21 (終日時〜 時)
おせん 8p 4匹 オキアミ フカセ釣り
ぼら 60p 1匹 海苔  
   p  匹    
   p  匹    
嫌な予感は当たるものでぐれ坊主です 釣人:蔵之臣 <<<
西-5番  2013/05/15 (終日時〜 時)
グレ 23〜30p 11匹 オキアミ フカセ釣り
   p  匹    
   p  匹    
   p  匹    
潮が良ければ浮いているのですが、思うようにオセンをかわせず、苦戦しました。 釣人:さわいち
一文字-3番  2013/05/11 (午前中時〜 時)
マダイ 43p 1匹 オキアミ カゴ天秤釣り
   p  匹    
   p  匹    
   p  匹    
エサ取りが増えてきましたね。 釣人:コナン
中央-11番  2013/05/10 (午後時〜 時)
グレ 20〜25p 10匹 オキアミ フカセ釣り
カンダイ 32p 1匹    
   p  匹    
   p  匹    
雨の中がんばりました。ボラが多すぎ 釣人:東大阪ファミリー
西-5番  2013/05/08 (終日時〜 時)
グレ 22〜28p 5匹 オキアミ フカセ釣り
   p  匹    
   p  匹    
   p  匹    
竿4〜6本先タナ3〜4ヒロ、西風が強く釣り辛かった。 釣人:さわいち
一文字-11番  2013/05/05 (午前中時〜 時)
カンダイ 35p 1匹 青虫 胴付き・探り釣り
ガシラ 8〜15p 12匹    
   p  匹    
   p  匹    
狙いのガシラは不調<br>。。 釣人:マオマオ
西-5番  2013/05/06 (終日時〜 時)
グレ 20〜28p 11匹 アオサ フカセ釣り
   p  匹 オキアミ  
   p  匹    
   p  匹    
お昼前後が一番喰いが良かったです。遠投でもアタリが出ました。 釣人:管理人
西-5番  2013/05/06 (終日時〜 時)
グレ 22〜25p 4匹 オキアミ フカセ釣り
   p  匹 アオサ  
   p  匹    
   p  匹    
勉強になりました。 釣人:せきやん
西-5番  2013/05/06 (終日時〜 時)
グレ 22〜30p 4匹 オキアミ フカセ釣り
   p  匹    
   p  匹 アオサ  
   p  匹    
いきなり30.5のグレゲット 釣人:まさ <<<
西-5番  2013/05/04 (終日時〜 時)
グレ 22〜27p 5匹 オキアミ フカセ釣り
   p  匹 アオサ  
   p  匹    
   p  匹    
今シーズン初グレゲット。 釣人:まさ <<<
西-5番  2013/05/04 (終日時〜 時)
グレ 21〜29p 19匹 オキアミ フカセ釣り
   p  匹 アオサ  
   p  匹    
   p  匹    
今シーズン最初のグレ狙い。順調な滑り出しです。 釣人:管理人
西-4番  2013/05/04 (夜間時〜 時)
アナゴ 約40p 1匹 マムシ 投げ釣り
   p  匹    
   p  匹    
   p  匹    
アナゴは極太でしたがカレイ、メバルは撃沈しました。 釣人:SHIGE
中央-7番  2013/05/02 (午後時〜 時)
コブダイ 48p 1匹 アオムシ 胴付き・探り釣り
   p  匹    
   p  匹    
   p  匹    
タモ貸していただいたかたありがとうございました。 釣人:ヤマヨシ
東-6番  2013/05/01 (午後時〜 時)
チヌ 48p 1匹 オキアミ フカセ釣り
   p  匹    
   p  匹    
   p  匹    
ボラ/ウミタナゴ/オセンみんな春。チヌだけ3月同様冬服のまま・・もう春ですよ。 釣人:もりちゃん
東   2013/04/29 (夜間時〜 時)
アオリイカ 1.3kgp 3匹 エギ4寸 ルアー・エギング
アオリイカ 0.3kgp 1匹    
アオリイカ 0.3kgp 1匹    
   p  匹    
表層〜中層ドリフトにのみ反応あり。別パターン模索中。 釣人:スラックマスター
中央-3番  2013/04/28 (夜間時〜 時)
メバル 14〜15p 6匹 シラサ エビ撒き釣り
ガシラ 15〜18p 4匹    
ムラソイ 18p 1匹    
   p  匹    
2時ぐらいが良かったです。常夜灯周りはよく釣れますがサイズは出ないですねぇ。 釣人:ゴールドブレンド
西-5番  2013/04/27 (午後時〜 時)
カレイ 26p 1匹 マムシと 投げ釣り
アナゴ 30p 1匹 アオイソメの  
   p  匹 ミックス  
   p  匹    
アジュールのサーフでの釣果です。今春初カレイですがアタリは感じられず。 釣人:SHIGE
東   2013/04/26 (夜間時〜 時)
アオリイカ 2.3kgp 1匹 エギ4寸 ルアー・エギング
アオリイカ 0.3kgp 1匹    
剣先イカ 0.3kgp  匹    
   p  匹    
2キロオーバーはかなり引きました‼ 釣人:スラックマスター
東-6番  2013/04/26 (午後時〜 時)
チヌ 35p 1匹 オキアミ フカセ釣り
   p  匹    
   p  匹    
   p  匹    
小さいですがボーズが続いていたので嬉しい1枚です。 釣人:せきやん
中央-2番  2013/04/23 (終日時〜 時)
チヌ 49・42p 2匹 オキアミ フカセ釣り
   p  匹    
   p  匹    
   p  匹    
10時〜16時の間、14時と15時頃来ました。
もう1cm欲しい!
釣人:kもりた
一文字-4番  2013/04/18 (午前中時〜 時)
チヌ 40ー43p 3匹 オキアミ フカセ釣り
   p  匹    
   p  匹    
   p  匹    
初投稿です。4時間ほどの釣行。フグ多いですよ。 釣人:コナン
東-6番  2013/04/20 (午後時〜 時)
チヌ 44〜46p 3匹 オキアミ フカセ釣り
   p  匹    
   p  匹    
   p  匹    
チヌ師さんにはさまれながらなんとか釣れました。 釣人:ノリさん
中央-2番  2013/04/14 (終日時〜 時)
チヌ 48.5p 1匹 オキアミ フカセ釣り
クジメ 20〜24p 2匹    
   p  匹    
   p  匹    
7時開始、3時半に一発来ました。しんどー 釣人:kもりた
西-5番  2013/04/13 (夜間時〜 時)
ガシラ 23p 1匹 マムシと 投げ釣り
   p  匹 アオイソメの  
   p  匹 ミックス  
   p  匹    
アジュールのサーフでの釣果です。エサ獲り不在。藻やワカメ絡み放題でした。 釣人:SHIGE
中央-7番  2013/04/09 (午後時〜 時)
アナゴ 35〜50p 4匹 マムシ 投げ釣り
   p  匹 青虫  
   p  匹    
   p  匹    
カレイ空振り。夕マヅメにぶっといアナゴがきました。まだエサ盗りはいません。 釣人:ゴールドブレンド
東-6番  2013/04/08 (終日時〜 時)
チヌ 37p 1匹 オキアミ フカセ釣り
   p  匹    
   p  匹    
   p  匹    
遅れましたが・・・ 釣人:サトシF
東-6番  2013/04/05 (午後時〜 時)
ハネ 50p 1匹 オキアミ フカセ釣り
メバル 17〜19p 2匹    
   p  匹    
   p  匹    
ホンダワラとワカメに引っ掛かりすぎます。 釣人:せきやん
中央-3番  2013/03/31 (夜間時〜 時)
メバル 14〜16p 8匹 シラサエビ ウキ釣り
ガシラ 17p 1匹    
   p  匹    
   p  匹    
21時〜0時。少しだけ撒きました。1ヒロ。活性高かったです。 釣人:ゴールドブレンド
東-6番  2013/03/29 (午後時〜 時)
チヌ 40p 1匹 オキアミ フカセ釣り
   p  匹    
   p  匹    
   p  匹    
ベタ底でも生命反応ゼロ。こんな時でもスイッチが入ると一瞬浮きます。2.5ヒロ。 釣人:もりちゃん
中央-7番  2013/03/26 (午前中時〜 時)
カレイ 20p 1匹 アオイソメ 投げ釣り
   p  匹    
   p  匹    
   p  匹    
エサ取りもいない厳しい状況でしたが、なんとか釣れました 釣人:投げ釣り一筋
一文字-6番  2013/03/24 (終日時〜 時)
グレ 24p 1匹 オキアミ 胴付き・探り釣り
ガシラ 21p 2匹    
ガシラ 〜19p 11匹    
   p  匹    
2号ハリスを切られることも
グレとガシラ大はお刺身・塩焼き、味噌汁で
釣人:滋賀のT <<<
西-3番  2013/03/23 (夜間時〜 時)
ガシラ 15p 1匹 アオイソメ ウキ釣り
   p  匹    
   p  匹    
   p  匹    
夕方のカレイ不発に続きメバルも撃沈でした。 釣人:SHIGE
東-6番  2013/03/20 (午後時〜 時)
チヌ 42,46p 2匹 オキアミ フカセ釣り
   p  匹    
   p  匹    
   p  匹    
まだ水温は低い様です。 釣人:ノリさん
東-6番  2013/03/20 (終日時〜 時)
チヌ 48p 1匹 オキアミ フカセ釣り
   p  匹    
   p  匹    
   p  匹    
ホンダワラチヌ 釣人:蔵之臣 <<<
中央-10番  2013/03/16 (夜間時〜 時)
メバル 14〜17p 2匹 アオイソメ ウキ釣り
   p  匹    
   p  匹    
   p  匹    
釣れただけでもOK牧場でした 釣人:SHIGE
中央-3番  2013/03/07 (夜間時〜 時)
メバル 16.18p 2匹 アオイソメ ウキ釣り
ゴンズイ 15p 1匹    
   p  匹    
   p  匹    
20時半の釣果です 釣人:なまくら
中央-1番  2013/02/27 (夕方時〜 時)
ガシラ 24p 1匹 地エビ 胴付き・探り釣り
   p  匹    
   p  匹    
   p  匹    
久々のビッグサイズです! 釣人:ゴールドブレンド
東-9番  2013/02/24 (夕方時〜 時)
ガシラ 15〜21p 3匹 地エビ ウキ釣り
   p  匹    
   p  匹    
   p  匹    
夕マヅメに。メバルっぽいアタリも何度かありましたが乗らず。 釣人:ゴールドブレンド
一文字-6番  2013/02/03 (終日時〜 時)
ガシラ 23p 2匹 オキアミ 胴付き・探り釣り
ガシラ 21〜16p 18匹    
ガシラ・リリース 〜16p 20匹    
   p  匹    
いつも拝見しています。初投稿です。写真なくてすみません。 釣人:滋賀のT <<<
中央-7番  2013/02/01 (夕方時〜 時)
ガシラ 16〜21p 2匹 マムシ 投げ釣り
キス 13p 1匹    
アナゴ 30p 1匹    
   p  匹    
季節外れのチビギス。雨のせいで時合いに無念の撤収です。 釣人:ゴールドブレンド
東-4番  2013/01/31 (午後時〜 時)
チヌ 37p 1匹 オキアミ フカセ釣り
   p  匹    
   p  匹    
   p  匹    
今日は潮が速く苦戦しました。チヌは14時過ぎ、潮が一瞬緩んだ時に釣れました。 釣人:管理人
東-4番  2013/01/31 (午後時〜 時)
チヌ 35p 1匹 オキアミ フカセ釣り
   p  匹    
   p  匹    
   p  匹    
PM14時に釣れました。あたりはその一度だけでした。 釣人:せきやん
東-4番  2013/01/30 (午後時〜 時)
チヌ 34p 1匹 オキアミ フカセ釣り
   p  匹    
   p  匹    
   p  匹    
14時際3.5ヒロ、その後は潮動かずフグばかりでした。 釣人:さわいち
東-4番  2013/01/29 (午後時〜 時)
チヌ 34p 1匹 オキアミ フカセ釣り
ガシラ 10〜12p 7匹    
   p  匹    
   p  匹    
流れが緩むとガシラばかり釣れました。チヌは16時にヒット。 釣人:管理人
東-4番  2013/01/23 (午後時〜 時)
チヌ 31〜44p 3匹 オキアミ フカセ釣り
ガシラ 10〜17p 8匹    
   p  匹    
   p  匹    
東初チヌ、2匹目根に入られバラシ、いい感じに流れた時にアタリました。 釣人:さわいち
西-4番  2013/01/22 (午後時〜 時)
ガシラ 10〜12p 2匹 青虫 投げ釣り
タコ 極小p 1匹 マムシ  
   p  匹    
   p  匹    
今年初の投げ釣りは見事な空振りでした。ワンド内にイワシが回っていました。 釣人:ゴールドブレンド
東-4番  2013/01/22 (午後時〜 時)
チヌ 37〜42p 2匹 オキアミ フカセ釣り
   p  匹    
   p  匹    
   p  匹    
PM2時、3時、4時と3回当たりがありました。喰いは渋いです。 釣人:せきやん
東   2013/01/20 (午前中時〜 時)
ガシラ 15p 2匹 シラサ 胴付き・探り釣り
アブラメ 19p 1匹    
メバル 14p 1匹    
   p  匹    
当たりは多数です。 釣人:釣り坊主
東-4番  2013/01/20 (午後時〜 時)
チヌ 43p 1匹 オキアミ フカセ釣り
   p  匹    
   p  匹    
   p  匹    
エサ取りいませんでした。何とか17時に釣れました。 釣人:ノリさん
東-4番  2013/01/19 (午後時〜 時)
ガシラ 10〜13p 5匹 オキアミ フカセ釣り
アイナメ 15p 1匹    
   p  匹    
   p  匹    
チヌ狙いで釣行しましたが、エサ取りをかわすことが出来ずに撃沈です。 釣人:管理人 <<<
東-6番  2013/01/18 (午後時〜 時)
チヌ 44p 1匹 オキアミ フカセ釣り
   p  匹 コーン  
   p  匹    
   p  匹    
餌取りは元気です。コーンで、置き竿で、電話中に釣れていました。 釣人:せきやん
東-4番  2013/01/15 (午後時〜 時)
チヌ 27〜36p 2匹 オキアミ フカセ釣り
ガシラ 10〜15p 7匹    
   p  匹    
   p  匹    
13時半〜17時までの釣果。オセンが多く、サシエがなかなか通りません。 釣人:管理人
東-4番  2013/01/15 (午後時〜 時)
チヌ 52p 1匹 オキアミ フカセ釣り
   p  匹    
   p  匹    
   p  匹    
おめでとうございます。潮の流れが緩んだPM2時にきました。 釣人:せきやん
東-4番  2013/01/12 (午後時〜 時)
チヌ 39-37p 2匹 練り餌 フカセ釣り
   p  匹 オキアミ  
   p  匹    
   p  匹    
明けましておめでとうございます。例年に比較しえさ取りが若干多い様です。 釣人:NIGHT

西-4番  2013/01/04 (夜間時〜 時)
ガシラ 10〜20p 4匹 マムシ 投げ釣り
アナゴ 極少p 1匹 アオイソメ  
   p  匹    
   p  匹    
新年明けましておめでとうございます。極寒の釣行は厳しかったです。 釣人:SHIGE
西-5番  2012/12/23 (午前中時〜 時)
グレ 21〜29p 11匹 オキアミ フカセ釣り
   p  匹 アオサ  
   p  匹    
   p  匹    
強風のため12時に撤収。今日はサヨリは居らず、釣り易かったです。 釣人:管理人
西-5番  2012/12/19 (終日時〜 時)
グレ 22〜26p 8匹 アオサ フカセ釣り
   p  匹    
   p  匹    
   p  匹    
サヨリの大群が終日居座り、オキアミでは全く歯が立ちませんでした。 釣人:管理人
西-5番  2012/12/19 (終日時〜 時)
グレ 24〜26p 3匹 オキアミ フカセ釣り
   p  匹 あおさ  
   p  匹    
   p  匹    
終日サヨリがいました。頂いたアオサで初めて釣れました。 釣人:せきやん
中央-11番  2012/12/16 (夜間時〜 時)
めばる 15p 1匹 めばるingかぶら ルアー・エギング
   p  匹    
   p  匹    
   p  匹    
[Web] 釣人:BR@QUE
西-5番  2012/12/12 (終日時〜 時)
グレ 22〜26p 4匹 オキアミ フカセ釣り
サヨリ 24〜36p 18匹    
   p  匹    
   p  匹    
グレ狙いは8人。午前中はサヨリだらけ、午後はフグのオンパレードでした。 釣人:管理人
東   2012/12/11 (終日時〜 時)
メバル 16〜18p 2匹 ジグヘッド。 ルアー・エギング
   p  匹    
   p  匹    
   p  匹    
詳細はコチラ。[Web] 釣人:Hiroki <<<
東-10番  2012/12/09 (午後時〜 時)
マイワシ 17〜19p 4匹 オキアミ サビキ釣り
カタクチイワシ 9前後p 20匹    
   p  匹    
   p  匹    
少し釣れました![Web] 釣人:ヒスイ
西-5番  2012/12/05 (終日時〜 時)
グレ 20〜25p 9匹 オキアミ フカセ釣り
   p  匹    
   p  匹    
   p  匹    
私は小さいぐれしか釣りません! 釣人:蔵之臣
西-5番  2012/12/05 (終日時〜 時)
グレ 21〜30p 7匹 オキアミ フカセ釣り
   p  匹    
   p  匹    
   p  匹    
今日はイワシとサヨリに手を焼きました。寒さにも耐えきれず、最後まで調子上がらず。 釣人:管理人
西-5番  2012/12/05 (終日時〜 時)
グレ 22〜28p 6匹 オキアミ フカセ釣り
   p  匹    
   p  匹    
   p  匹    
寒いし、難しいです。 釣人:せきやん
西-5番  2012/12/05 (終日時〜 時)
グレ 23〜27p 10匹 オキアミ フカセ釣り
サヨリ 25〜30p 8匹    
   p  匹    
   p  匹    
タナはかなり深く、表層にはイワシとサヨリがいっぱいいました。 釣人:さわいち <<<
東   2012/12/04 (夜間時〜 時)
メバル 14〜18p 2匹 ワーム ルアー・エギング
   p  匹    
   p  匹    
   p  匹    
[Web] 釣人:Hiroki
西-5番  2012/12/01 (午前中時〜 時)
グレ 23〜28p 12匹 オキアミ フカセ釣り
   p  匹    
   p  匹    
   p  匹    
風が強くて寒かった〜。 釣人:まさ <<<
西-5番  2012/11/30 (終日時〜 時)
グレ 20〜30p 11匹 オキアミ フカセ釣り
サヨリ 31p 1匹    
   p  匹    
   p  匹    
グレ狙い12人で超満員。一番西に入りましたが激流で大苦戦。27p超は5枚。 釣人:管理人
西-5番  2012/11/28 (終日時〜 時)
グレ 22〜30p 8匹 オキアミ フカセ釣り
   p  匹    
   p  匹    
   p  匹    
沈め釣り初挑戦、東の角でこの貧果、さらなる学習を痛感。30pが唯一の成果でした。 釣人:YH
西-5番  2012/11/28 (終日時〜 時)
グレ 20〜29p 37匹 オキアミ フカセ釣り
サヨリ 30p 1匹    
   p  匹    
   p  匹    
潮が速過ぎて苦戦しました。タナは3ヒロ前後。午後は喰いが落ちました。 釣人:管理人
西-5番  2012/11/28 (終日時〜 時)
グレ 22〜29p 24匹 オキアミ フカセ釣り
   p  匹    
   p  匹    
   p  匹    
初めて浮きを沈めてやりました、初の20匹アップです。 釣人:さわいち
一文字-4番  2012/11/25 (午後時〜 時)
グレ 22〜30p 22匹 オキアミ フカセ釣り
   p  匹    
   p  匹    
   p  匹    
皆さんおひさしです。デジカメがつぶれ写真がありませんが、まずまず釣れました。 釣人:NIGHT <<<
西-5番  2012/11/27 (終日時〜 時)
グレ 21〜29p 19匹 オキアミ フカセ釣り
   p  匹    
   p  匹    
   p  匹    
浮きを沈めて、回収時に釣れていた事が数回ありました。 釣人:せきやん
西-5番  2012/11/24 (午前中時〜 時)
カレイ 23p 1匹 マムシ 投げ釣り
カワハギ 15〜17p 5匹 青イソメ  
オニオコゼ  p 1匹    
   p  匹    
神戸マラソンの前哨戦に。久々のカレイ釣りでゲットできて満足でした。 釣人:ともとも
中央-8番  2012/11/25 (夜間時〜 時)
アオリイカ 20p 1匹 エギ3.5号 ルアー・エギング
   p  匹    
   p  匹    
   p  匹    
[Web] 釣人:KINGPROX
西-5番  2012/11/24 (午後時〜 時)
グレ 21〜27p 8匹 オキアミ フカセ釣り
   p  匹    
   p  匹    
   p  匹    
PM15時〜PM17時の2時間、昨夜の教えを勉強中です。 釣人:せきやん
西-5番  2012/11/21 (終日時〜 時)
グレ 21〜30p 31匹 オキアミ フカセ釣り
   p  匹    
   p  匹    
   p  匹    
午後から喰い活発。25pオーバー13枚。タナは3〜4.5ヒロです。 釣人:管理人
西-5番  2012/11/21 (午後時〜 時)
グレ 22〜29p 5匹 オキアミ フカセ釣り
   p  匹    
   p  匹    
   p  匹    
東4番で1枚、潮が早く、西5番に移動、4枚。勉強になりました。 釣人:せきやん
西-5番  2012/11/21 (終日時〜 時)
グレ 22〜28p 12匹 オキアミ フカセ釣り
   p  匹    
   p  匹    
   p  匹    
単発でしか釣る事が出来ませんでした、タナ2〜4ヒロ 釣人:さわいち
西-5番  2012/11/18 (終日時〜 時)
グレ 21〜28p 10匹 オキアミ フカセ釣り
   p  匹 イシゴカイ  
   p  匹    
   p  匹    
タナ、3〜4ヒロ。フカセ釣り4人、ヌカギリ1人でした。 釣人:YH
東-4番  2012/11/15 (午後時〜 時)
グレ 23と28p 2匹 オキアミ フカセ釣り
   p  匹    
   p  匹    
   p  匹    
早々にチヌ狙いに変更したのですが、底はフグだらけでした。 釣人:せきやん
西-5番  2012/11/14 (終日時〜 時)
グレ 22〜28p 14匹 オキアミ フカセ釣り
   p  匹    
   p  匹    
   p  匹    
西からの暴風、雨、仕掛けがなかなか入らず、3ヒロ前後で釣れました。 釣人:さわいち
東-9番  2012/11/12 (終日時〜 時)
カンダイ 26p 1匹 青虫 投げ釣り
キス 16p 1匹 マムシ  
ハゲ 13p 1匹    
   p  匹    
暴風で大変でした。カレイ一枚ぐらい釣りたかったぁ…。 釣人:ゴールドブレンド
西-5番  2012/11/10 (午後時〜 時)
カレイ 29p 1匹 マムシ 投げ釣り
カワハギ 15p 1匹    
   p  匹    
   p  匹    
アジュールのサーフでの釣果です。予想した潮変りの2時半頃にヒットしました。 釣人:SHIGE
東-4番  2012/11/09 (午後時〜 時)
グレ 21〜25p 7匹 オキアミ フカセ釣り
   p  匹    
   p  匹    
   p  匹    
潮の流れが止まらず… 釣人:せきやん
西-5番  2012/11/08 (終日時〜 時)
グレ 20〜29p 22匹 オキアミ フカセ釣り
   p  匹    
   p  匹    
   p  匹    
10時半〜16時の釣果。グレのタナは2〜4ヒロ。風が強く苦戦しました。 釣人:管理人
西-5番  2012/11/07 (終日時〜 時)
グレ 20〜28p 19匹 オキアミ フカセ釣り
   p  匹    
   p  匹    
   p  匹    
グレ浮かず、西風が強かったのでタナ深く4ヒロ固定、竿3〜6本先 釣人:さわいち
西-5番  2012/11/03 (午前中時〜 時)
グレ 〜24p 4匹 オキアミ フカセ釣り
   p  匹    
   p  匹    
   p  匹    
久しぶりの西5、浮かずサヨリ攻めにて撃沈 釣人:トモ
西-5番  2012/11/03 (午前中時〜 時)
カレイ 32p 1匹 マムシ 投げ釣り
カワハギ 10p 1匹    
   p  匹    
   p  匹    
アジュールのサーフでの釣果です。今期初の秋カレイでした。 釣人:SHIGE
西-5番  2012/10/31 (終日時〜 時)
グレ 20〜23p 19匹 オキアミ フカセ釣り
   p  匹 イシゴカイ  
   p  匹    
   p  匹    
管理人さん、何かとお世話になり有難うございました。 釣果は友人と二人の合計です。 釣人:YH
西-5番  2012/10/31 (終日時〜 時)
グレ 22〜24p 7匹 オキアミ フカセ釣り
   p  匹    
   p  匹    
   p  匹    
夕食にします 釣人:秋グレ
西-5番  2012/10/31 (終日時〜 時)
グレ 20〜30p 15匹 オキアミ フカセ釣り
   p  匹    
   p  匹    
   p  匹    
今日もグレは浮かず。タナは2〜4ヒロ。30p2枚は15時にヒット。 釣人:管理人
東-4番  2012/10/30 (午後時〜 時)
グレ 20〜24p 5匹 オキアミ フカセ釣り
ちぬ 33p 1匹    
   p  匹    
   p  匹    
久々の釣りです。おせん、アジ、フグ、木っ端、セイゴ、ぐれ、ちぬ・・にぎやかです。 釣人:せきやん
西-5番  2012/10/25 (午後時〜 時)
グレ 20〜25p 8匹 オキアミ フカセ釣り
アオリイカ  p  匹 アジ  
   p  匹    
   p  匹    
以前に管理人さんに教わった沈め釣りで釣れました(感謝)アオリもおまけで(嬉) 釣人:夢日和
西-5番  2012/10/24 (終日時〜 時)
グレ 20〜22p 7匹 石ゴカイ フカセ釣り
   p  匹 オキアミ  
   p  匹    
   p  匹    
ダイワのマゼラー、マキエを混ぜる道具を置き忘れました。 釣人:YH
東   2012/10/25 (夜間時〜 時)
アオリ 胴長25p 1匹 餌木3.5号 ルアー・エギング
   p  匹    
   p  匹    
   p  匹    
詳細はブログにて。[Web] 釣人:Hiroki <<<
西-5番  2012/10/24 (終日時〜 時)
グレ 20~27p 19匹 オキアミ フカセ釣り
サヨリ  p  匹    
   p  匹    
   p  匹    
全然だめ 釣人:蔵
西-5番  2012/10/24 (終日時〜 時)
グレ 20〜28p 33匹 オキアミ フカセ釣り
サヨリ 30p 5匹    
   p  匹    
   p  匹    
今日のタナは2〜3ヒロでした。後半はサヨリの群れが入り、苦戦しました。 釣人:管理人
西-5番  2012/10/24 (終日時〜 時)
グレ 20〜27p 18匹 オキアミ フカセ釣り
   p  匹    
   p  匹    
   p  匹    
久しぶりに皆さんとよい釣りができました、ありがとうございました。 釣人:さわいち
平磯-11番  2012/10/22 (午前中時〜 時)
べラ 12〜18p 15匹 地ゴカイ 投げ釣り
丸ハゲ 10p 1匹    
   p  匹    
   p  匹    
ハゲが釣りたかった 残念 釣人:秋グレ
西-5番  2012/10/20 (午前中時〜 時)
チヌ 43p 1匹 マムシ 投げ釣り
カワハギ 14p 1匹    
   p  匹    
   p  匹    
アジュールのサーフでの釣果です。カレイ撃沈しましたが3年ぶりのチヌでした。 釣人:SHIGE
西-5番  2012/10/17 (午前中時〜 時)
グレ 21〜23p 6匹 オキアミ フカセ釣り
   p  匹    
   p  匹    
   p  匹    
雨が降ってきたので9時半までの釣果、タナ1ヒロから2ヒロ 釣人:さわいち
西-4番  2012/10/15 (午前中時〜 時)
ベラ、イソベラ 12〜19p 11匹 青虫 投げ釣り
ハゲ 12〜14p 6匹 石ゴカイ  
チャリコ 15p 1匹    
   p  匹    
10cmぐらいのチビが多くて大変。フグも結構いました。 釣人:ゴールドブレンド
東-3番  2012/10/14 (夜間時〜 時)
アオリイカ 15p 1匹 エギ ルアー・エギング
   p  匹    
   p  匹    
   p  匹    
[Web] 釣人:egi world
東-11番  2012/10/13 (夜間時〜 時)
アオリイカ 12p 1匹 エギ ルアー・エギング
   p  匹    
   p  匹    
   p  匹    
[Web] 釣人:egi world
中央-11番  2012/10/12 (午後時〜 時)
アオリイカ 20p 1匹 ベラ泳がせ ウキ釣り
アイゴ 28〜29p 2匹 オキアミ胴付き  
カワハギ 11〜16p 10匹    
   p  匹    
詳しくはブログにて。[Web] 釣人:ヒスイ
西-5番  2012/10/10 (終日時〜 時)
グレ 20〜23p 10匹 オキアミ フカセ釣り
   p  匹    
   p  匹    
   p  匹    
午後からオセンが活発すぎて釣果なし、午前中は潮次第で浮いていました。 釣人:さわいち
東   2012/10/09 (終日時〜 時)
アオリ 13〜16p 6匹 餌木 ルアー・エギング
アオリ 19〜23p 4匹    
   p  匹    
   p  匹    
詳細はブログにて。[Web] 釣人:Hiroki
西-5番  2012/10/09 (午前中時〜 時)
グレ 20〜21p 2匹 オキアミ フカセ釣り
バリコ 29.5p 1匹    
   p  匹    
   p  匹    
グレは全く浮かず。イワシの群れが邪魔をして苦戦しました。 釣人:管理人
西-5番  2012/10/08 (午前中時〜 時)
グレ 19〜21p 3匹 オキアミ フカセ釣り
   p  匹    
   p  匹    
   p  匹    
グレが湧いた瞬間もありました。でも釣る腕がありませんでした。 釣人:ひろ
西-5番  2012/10/08 (午前中時〜 時)
グレ 20p 1匹 オキアミ フカセ釣り
   p  匹    
   p  匹    
   p  匹    
今季初垂水。坊主じゃなくて良かった。グレ君は撮影後元気に海に帰りました^^ 釣人:元気屋マッキー
西-5番  2012/10/08 (午後時〜 時)
カワハギ 10未満p 7匹 マルキューの 投げ釣り
   p  匹 パワーイソメ  
   p  匹    
   p  匹    
アジュールのサーフでの釣果です。手乗りサイズばかりで全てリリースしました。 釣人:SHIGE
東-5番  2012/10/04 (夜間時〜 時)
アオリイカ 20p 1匹 エギ3.5号 ルアー・エギング
   p  匹    
   p  匹    
   p  匹    
潮:東 風:ほぼ無風 連続ジャークのあとにスラックジャークで乗ってきました 釣人:KINGPROX
西-5番  2012/10/02 (終日時〜 時)
グレ 20〜25p 15匹 オキアミ フカセ釣り
   p  匹    
   p  匹    
   p  匹    
タクローさんの釣果です。 釣人:管理人 <<<
中央   2012/10/03 (夜間時〜 時)
アオリイカ 15p 1匹 エギ 3号 ルアー・エギング
   p  匹    
   p  匹    
   p  匹    
今期初2年ぶりのアオリでした。 釣人:SHIGE
西-5番  2012/10/03 (終日時〜 時)
グレ 20〜27p 14匹 オキアミ フカセ釣り
サンバソウ 18〜20p 4匹    
アオリイカ 10p 2匹 エギ  
   p  匹    
午前中はよく浮いていたのですが午後からは浮かず、タナ矢引きから1ヒロ。 釣人:さわいち
中央-10番  2012/09/22 (午後時〜 時)
アオリイカ 9-13p 2匹 エギ2.5寸 ルアー・エギング
   p  匹    
   p  匹    
   p  匹    
[Web] 釣人:黒の氣志團
西-5番  2012/10/02 (終日時〜 時)
グレ 20〜27p 23匹 オキアミ フカセ釣り
アオリイカ 10p 2匹 エギ  
ダツ 49p 1匹    
   p  匹    
小アジも殆ど居らず、釣り易かったです。グレのタナは矢引き〜1.5ヒロです。 釣人:管理人
東-3番  2012/09/29 (終日時〜 時)
アオリイカ 8〜10p 2匹 エギ ルアー・エギング
アオリイカ 15〜18p 4匹    
   p  匹    
   p  匹    
潮止まりの時に釣れました。 釣人:管理人 <<<
東-3番  2012/09/29 (午前中時〜 時)
ハマチ 43、46p 2匹 アジ 泳がせ釣り
   p  匹    
   p  匹    
   p  匹    
初青物ゲットン!! 釣人:まさ <<<
中央-11番  2012/09/28 (夜間時〜 時)
270gp 1匹 エギ3号 ルアー・エギング
340gp 1匹    
   p  匹    
   p  匹    
アオリまた撃沈しました。台風には注意しましょう。 釣人:SHIGE
一文字-11番  2012/09/23 (午前中時〜 時)
ツバス 40p 1匹 メタルジグ ルアー・エギング
ツバス 38p 1匹    
   p  匹    
   p  匹    
  釣人:T・H <<<
西-2番  2012/09/22 (終日時〜 時)
グレ 20〜24p 8匹 オキアミ フカセ釣り
   p  匹    
   p  匹    
   p  匹    
前半は5番で2枚、お昼前から大阪湾からの濁流が入り2番へ移動、6枚追加。 釣人:管理人
中央-7番  2012/09/21 (夜間時〜 時)
アナゴ 28〜49p 3匹 青虫 投げ釣り
セイゴ 18〜20p 2匹    
キス 18p 1匹    
   p  匹    
アナゴを釣ってからハネ狙いで東6に移動。不発。チビセイゴめっちゃ多いです。 釣人:ゴールドブレンド
中央-11番  2012/09/21 (夜間時〜 時)
太刀魚 71〜77p 2匹 キビナゴ ウキ釣り
   p  匹    
   p  匹    
   p  匹    
深夜2時にアタリましたがアオリは撃沈しました。 釣人:SHIGE
東-6番  2012/09/15 (午後時〜 時)
アナゴ 20p 1匹 ゴカイ 胴付き・探り釣り
べら  p 3匹    
カワハギ  p  匹    
   p  匹    
シビアな釣りしてました。 釣人:ひでやん
西-5番  2012/09/16 (夜間時〜 時)
ガシラ 17〜19p 3匹 サンマの切り身 投げ釣り
アナゴ 34〜41p 3匹    
   p  匹    
   p  匹    
アジュールのサーフでの釣果です。強風の中投釣りは無謀でした。 釣人:SHIGE
西-5番  2012/09/12 (終日時〜 時)
グレ 21〜22p 3匹 オキアミ フカセ釣り
アオリイカ 8p 2匹    
   p  匹    
   p  匹    
アジとサンバソウ以外は活性が低く、グレもほとんど浮きませんでした。 釣人:さわいち
西-5番  2012/09/09 (終日時〜 時)
アオリイカ 6〜8p 6匹 エギ ルアー・エギング
   p  匹    
   p  匹    
   p  匹    
昨日からリリースサイズばかりです。 釣人:管理人 <<<
西   2012/09/08 (早朝時〜 時)
アオリイカ 6〜7p 4匹 エギ ルアー・エギング
   p  匹    
   p  匹    
   p  匹    
南風が強い上に、サイズも小さく早々に断念。 釣人:管理人 <<<
西-3番  2012/09/08 (午後時〜 時)
カワハギ 13p 1匹 ぎじえ ルアー・エギング
ガシラ 10p 1匹    
   p  匹    
   p  匹    
はじめてつれました 釣人:六年生 <<<
中央-10番  2012/09/08 (夕方時〜 時)
アオリイカ 8-13p 5匹 エギ2.5寸 ルアー・エギング
   p  匹    
   p  匹    
   p  匹    
[Web] 釣人:黒の氣志團
西-4番  2012/09/07 (夜間時〜 時)
タチウオ 71〜79p 2匹 イワシ ウキ釣り
ガシラ 16〜22p 3匹    
   p  匹    
   p  匹    
地合いは19時半。アタリは頻繁にありました。ガシラはブッコミです。 釣人:ゴールドブレンド
西-5番  2012/09/05 (終日時〜 時)
グレ 20〜22p 7匹 オキアミ フカセ釣り
アオリイカ 8〜12p 6匹    
アオリイカ 19p 1匹 エギ  
   p  匹    
グレはサヨリとアジがいない時だけ浮いてました。 釣人:さわいち <<<
東-1番  2012/09/04 (終日時〜 時)
アオリイカ 10〜15p 12匹 エギ ルアー・エギング
スルメイカ 14p 2匹    
   p  匹    
   p  匹    
飲ませのつもりで行きましたがエギングに集中し過ぎました。よくある事です。 釣人:蔵 <<<
西-3番  2012/09/04 (午前中時〜 時)
グレ 20〜26p 4匹 オキアミ ヌカ切り
   p  匹    
   p  匹    
   p  匹    
11時〜13時迄の短時間釣行。餌取りも多く、何とか拾い釣りと言う感じでした。 釣人:さとりん
東-3番  2012/09/04 (終日時〜 時)
アオリイカ 6〜14p 10匹 エギ ルアー・エギング
   p  匹    
   p  匹    
   p  匹    
飲ませ釣りの合間での釣果。青物、スズキのアタリは1度もありませんでした。 釣人:管理人 <<<
東-9番  2012/09/02 (午前中時〜 時)
アオリイカ 6〜10p 5匹 エギ ルアー・エギング
   p  匹    
   p  匹    
   p  匹    
のんびりと 釣人:3104k <<<
中央-7番  2012/09/02 (午前中時〜 時)
オニオコゼ 25p 1匹 チャリコ 泳がせ釣り
   p  匹    
   p  匹    
   p  匹    
餌のイワシ・アジがまったく確保できないまま、仕方なしのチャリコで足元際々での釣果 釣人:原付西区民 <<<
東-3番  2012/09/02 (午前中時〜 時)
メジロ 71p 1匹 小アジ 泳がせ釣り
ダツ 35p 1匹    
カマス 20p 1匹    
   p  匹    
青物のアタリは2回。1回は針ハズレ。今回も養殖の脱走魚です。 釣人:管理人
東-3番  2012/09/02 (午前中時〜 時)
カマス 20p 1匹 アジ 泳がせ釣り
アオリイカ 13p 1匹 エギ  
   p  匹    
   p  匹    
釣れたカマスもかじられた跡が…飲ませて飲ませばよかったの?! 釣人:まさ <<<
西-5番  2012/09/01 (終日時〜 時)
グレ 20〜23p 4匹 オキアミ フカセ釣り
チヌ 31p 1匹    
アオリイカ 13p 1匹 エギ  
   p  匹    
ひさびさのフカセ、浮いても喰いません。疲れました。 釣人:まさ <<<
西-5番  2012/09/01 (終日時〜 時)
グレ 20〜27p 9匹 オキアミ フカセ釣り
チヌ 31p 1匹    
アオリイカ 6〜15p 22匹 エギ  
   p  匹    
2ヶ月ぶりのフカセ。アオリは8時、グレは14時迄の釣果。アオリは初キーパーです。 釣人:管理人
西-2番  2012/08/29 (午前中時〜 時)
アオリイカ 7〜11p 14匹 エギ2号 ルアー・エギング
   p  匹    
   p  匹    
   p  匹    
まだまだキープサイズは少ないです。 釣人:さわいち <<<
東-3番  2012/08/26 (終日時〜 時)
アオリイカ 6〜13p 4匹 エギ ルアー・エギング
カマス 22p 1匹 イワシ  
   p  匹    
   p  匹    
11時〜12時半の釣果。早朝から飲ませで青物を狙いましたが、濁流の影響で不発。 釣人:管理人 <<<
一文字-8番  2012/08/25 (夜間時〜 時)
太刀魚 79〜80p 2匹 活きアジ ウキ釣り
(指4本)  p  匹 キビナゴ  
   p  匹    
   p  匹    
8番と9番(西向き)の沖でアタリました。朝にハマチ、伊勢エビの釣果もありました。 釣人:SHIGE
中央-7番  2012/08/25 (夕方時〜 時)
アコウ 41p 1匹 イワシ ブッコミ釣り
アナゴ 35〜44p 3匹 青虫  
   p  匹    
   p  匹    
アコウは日没直後、足下にイワシのブッコミで。前回とまったく同じサイズでした。 釣人:ゴールドブレンド
西-4番  2012/08/25 (夜間時〜 時)
アオリイカ 7〜10p 6匹 エギ ルアー・エギング
   p  匹    
   p  匹    
   p  匹    
追いかけて来ないし底でしか乗らない・・・ 釣人:3104k <<<
西-5番  2012/08/22 (終日時〜 時)
グレ 20〜22p 4匹 オキアミ フカセ釣り
アオリイカ 7〜10p 5匹    
サヨリ 28〜30p 2匹    
   p  匹    
グレはよく浮いてますが食いが悪いです。 釣人:さわいち
東   2012/08/20 (午前中時〜 時)
アオリイカ 7〜13p 11匹 エギ ルアー・エギング
   p  匹    
   p  匹    
   p  匹    
エギに興味津々です。 釣人:バケモノ
東-3番  2012/08/21 (午前中時〜 時)
メジロ 64p 1匹 イワシ 泳がせ釣り
アオリイカ 6〜10p 10匹 エギ  
   p  匹    
   p  匹    
今回のメジロも「曲がり」でした。アオリのキープサイズは無し。 釣人:管理人 <<<
東-3番  2012/08/20 (午前中時〜 時)
スズキ 67p 1匹 イワシ 泳がせ釣り
   p  匹    
   p  匹    
   p  匹    
やっと釣れました。 釣人:まさ <<<
東-1番  2012/08/18 (午前中時〜 時)
メジロ 71p 1匹 イワシ 泳がせ釣り
   p  匹    
   p  匹    
   p  匹    
養殖から脱走した奇形魚(曲がり)です。アタリは5回ありました。 釣人:管理人 <<<
中央-11番  2012/08/16 (夜間時〜 時)
太刀魚 65p 1匹 豆アジ ウキ釣り
(指2本)  p  匹    
   p  匹    
   p  匹    
8〜9時に断続的にアタリはありました。が、活きエサが不漁でした。 釣人:SHIGE
西-5番  2012/08/12 (午前中時〜 時)
グレ 20〜25p 4匹 オキアミ フカセ釣り
   p  匹    
   p  匹    
   p  匹    
浮いていましたが、食いが悪いです。 釣人:サトシF <<<
東-1番  2012/08/10 (夜間時〜 時)
太刀魚(指3本) 68p 1匹 キビナゴ ウキ釣り
   p  匹    
   p  匹    
   p  匹    
今期初の太刀魚でした。 釣人:SHIGE
東-1番  2012/08/10 (夜間時〜 時)
ガシラ 20p 1匹 サンマの切り身 投げ釣り
   p  匹    
   p  匹    
   p  匹    
アナゴは撃沈しました。 釣人:SHIGE
中央-5番  2012/08/09 (夜間時〜 時)
タチウオ 82p 1匹 ウルメイワシ ブッコミ釣り
マイワシ 13〜15p 11匹 アミエビ  
ウルメイワシ 8〜12p 24匹    
   p  匹    
タチウオは21時頃に引き釣りで。アタリは3回アリ。イワシは日没前30分の釣果。 釣人:P・O
西-4番  2012/08/05 (午後時〜 時)
ガシラ 17〜21p 4匹 青虫 投げ釣り
アイナメ 17p 1匹 キビナゴ  
ベラ 13〜18p 14匹    
   p  匹    
真昼間なのに、ガシラがキビナゴに猛アタックしてきました。 釣人:ゴールドブレンド
東-3番  2012/08/05 (午後時〜 時)
スズキ 81p 1匹 イワシ 泳がせ釣り
メジロ 76p 1匹 豆アジ  
   p  匹    
   p  匹    
仕掛けは竿1.7号、ウキ2B、道糸2号、ハリス1.5号、チヌ針3号です。 釣人:管理人
東-2番  2012/07/31 (終日時〜 時)
チヌ 38p 1匹 オキアミ 紀州釣り
   p  匹    
   p  匹    
   p  匹    
ボラ結構きついです 釣人:まさ <<<
東-3番  2012/08/05 (午前中時〜 時)
シイラ 20p 23匹 おきあみ カゴ天秤釣り
   p  匹    
   p  匹    
   p  匹    
tureta 釣人:ガシラハンテー <<<
東-2番  2012/07/31 (終日時〜 時)
ハネ 45〜58p 2匹 豆アジ 泳がせ釣り
   p  匹    
   p  匹    
   p  匹    
昼までに2本、その後もボイル続くがとらえきれず 釣人:蔵之臣
東-3番  2012/08/03 (夜間時〜 時)
サバ 39p 1匹 キビナゴ ウキ釣り
   p  匹    
   p  匹    
   p  匹    
深夜1時頃のアタリです。太刀魚はゲットならずに残念でした。 釣人:SHIGE
中央-7番  2012/07/29 (夜間時〜 時)
サバ 30p 1匹 キビナゴ ウキ釣り
サバ 40〜44p 2匹 オキアミ  
   p  匹    
   p  匹    
4人で40pオーバー10本の釣果。中型のサバ、タチウオも結構います。 釣人:管理人 <<<
東-1番  2012/07/28 (午前中時〜 時)
ベラ 10-15p 5-6匹 オキアミ 紀州釣り
アジ 10p 数匹 ネリエサ  
   p  匹    
   p  匹    
チヌまでエサが届きません 釣人:風 <<<
東-1番  2012/07/27 (夜間時〜 時)
サバ 38〜43p 2匹 サンマの切り身 ウキ釣り
   p  匹    
   p  匹    
   p  匹    
9時からは頻繁に、10時過ぎにも断続的なアタリ。太刀魚も出没し始めました。 釣人:SHIGE
東-9番  2012/07/27 (午後時〜 時)
チヌ 44〜51p 2匹 オキアミ 紀州釣り
   p  匹    
   p  匹    
   p  匹    
久しぶりの歳なしゲット! 釣人:kもりた
西-5番  2012/07/25 (夜間時〜 時)
サバ 38p 1匹 キビナゴ ウキ釣り
小サバ 23〜28p 5匹    
   p  匹    
   p  匹    
アタリは頻繁にあるのですが魚が小さいのかなかなか針にのりません。 釣人:さわいち
中央-4番  2012/07/22 (夕方時〜 時)
豆アジ 5〜10p 100匹 アミエビ サビキ釣り
   p  匹    
   p  匹    
   p  匹    
夕方7時前から入れ食いになりました 釣人:kamio
西-2番  2012/07/23 (午前中時〜 時)
セイゴ 40p 1匹 豆アジ 泳がせ釣り
   p  匹    
   p  匹    
   p  匹    
前半は外向きで青物を狙うも不発。ワンド内、ハネの魚影が濃いです。 釣人:管理人
西-2番  2012/07/23 (午前中時〜 時)
ハネ 46p 1匹 アジ 泳がせ釣り
   p  匹    
   p  匹    
   p  匹    
今年初です。 釣人:サトシF
東-3番  2012/07/21 (夜間時〜 時)
サバ 40〜42p 2匹 キビナゴ ウキ釣り
   p  匹 サンマの切り身  
   p  匹    
   p  匹    
10時過ぎと12時頃に。群れは今年も小さく喰いも超渋でした。 釣人:SHIGE
西-5番  2012/07/21 (午前中時〜 時)
グレ 25p 1匹 オキアミ フカセ釣り
コッパ 19p 2匹    
   p  匹    
   p  匹    
久しぶりです。このほか長い奴を3度ほどかけました。 釣人:ひろ
東-1番  2012/07/21 (午後時〜 時)
小アジ、イワシ 10p 数匹 オキアミ 紀州釣り
   p  匹    
   p  匹    
   p  匹    
西風、南風、東風・・風が回り対応しきれませんでした。暑さも半端でないです。 釣人:風 <<<
西-5番  2012/07/18 (終日時〜 時)
グレ 25〜26p 2匹 オキアミ フカセ釣り
   p  匹    
   p  匹    
   p  匹    
木っ端は沢山浮いていますがキープサイズは何処へ 釣人:さわいち
西-3番  2012/07/18 (午前中時〜 時)
グレ 23〜26p 2匹 オキアミ ヌカ切り
   p  匹    
   p  匹    
   p  匹    
八時〜十時までの超短時間釣行。2.5ヒロくらい。餌取りが半端じゃないです。 釣人:さとりん
西-4番  2012/07/16 (午後時〜 時)
クジメ 21p 1匹 青虫 投げ釣り
アイナメ 16〜17p 2匹    
ベラ、イソベラ 13〜19p 11匹    
   p  匹    
12時〜14時の釣果。あまりにも風が強かったのですぐに帰りました。 釣人:ゴールドブレンド

平磯-11番  2012/07/13 (午前中時〜 時)
グレ 20p 1匹 オキアミ フカセ釣り
バリコ 23p 1匹    
サヨリ 22〜25p 5匹    
   p  匹    
海は濁ってゴミだらけ。潮も速く、やり辛い1日でした。グレは4ヒロで。 釣人:管理人
西-5番  2012/07/11 (午前中時〜 時)
グレ 20p 2匹 オキアミ フカセ釣り
さより 25〜30p 3匹    
   p  匹    
   p  匹    
沖合までオセンとサヨリが漂い、際は木端が浮くもののなかなかキープサイズが釣れず。 釣人:さわいち
東-1番  2012/07/07 (午前中時〜 時)
アオリイカ 700gp 1匹 エギ3.5号 ルアー・エギング
   p  匹    
   p  匹    
   p  匹    
徐々にサイズアップ↑一生懸命アワセたけどエギがボロボロ 釣人:スラックマスター
東-1番  2012/07/07 (午後時〜 時)
チヌ 27〜31p 2匹 オキアミL 紀州釣り
   p  匹    
   p  匹    
   p  匹    
久々チヌ。雨後の割に活性高かったです。 釣人:風
東   2012/07/01 (午前中時〜 時)
アオリイカ 520gp 1匹 エギ3.5寸 ルアー・エギング
   p  匹    
   p  匹    
   p  匹    
表層に居てました。 釣人:スラックマスター
平磯-7番  2012/06/29 (午後時〜 時)
グレ 22〜26p 3匹 オキアミ フカセ釣り
小アジ、イワシ 10〜17p 60匹 アミエビ  
   p  匹    
   p  匹    
平磯無料DAY。集魚剤が使えないため、パン粉+アミエビで代用。イワシはサビキで。 釣人:管理人
中央-7番  2012/06/27 (午後時〜 時)
カレイ 23〜26p 2匹 青虫 投げ釣り
ガシラ、キス 17〜18p 2匹 マムシ  
アナゴ 28〜34p 3匹    
   p  匹    
15時〜20時の釣果。カレイは一投目に内向き。帰り際、一文字方向に遠投で。 釣人:ゴールドブレンド
西-5番  2012/06/24 (終日時〜 時)
グレ 21〜24p 3匹 ゴカイ フカセ釣り
   p  匹 オキアミ  
   p  匹    
   p  匹    
ゴミが溜り、水がかなり濁った時間帯があり、グレは全く浮きません。 釣人:YH
西-4番  2012/06/23 (夜間時〜 時)
ガシラ 13〜17p 2匹 マムシ 投げ釣り
アナゴ 30〜35p 2匹    
   p  匹    
   p  匹    
サビキでアジや良型イワシが釣れていました。エイも出没する季節になりました。 釣人:SHIGE
東-1番  2012/06/23 (午後時〜 時)
真鯛 30p 1匹 オキアミL 紀州釣り
   p  匹    
   p  匹    
   p  匹    
久々の釣行でした。 釣人:風
西-5番  2012/06/22 (終日時〜 時)
グレ 23〜27p 3匹 オキアミ フカセ釣り
   p  匹    
   p  匹    
   p  匹    
10時〜15時半までの釣果。雨後で海は濁り気味。今回は遠投では喰わず。 釣人:管理人
西-3番  2012/06/20 (午前中時〜 時)
グレ 23〜25p 4匹 オキアミ ヌカ切り
コッパグレ  p 5匹    
   p  匹    
   p  匹    
10時半までの釣果。グレの腹にはマキエはほぼ入っていません。タナ2.5ヒロ前後。 釣人:さとりん
西-4番  2012/06/17 (午後時〜 時)
豆アジ 6〜8p 11匹 アミエビ サビキ釣り
イワシ 15p 2匹    
オセン  p 大量匹    
   p  匹    
18時まで釣りましたがアジは来ず。地合いもっと後?オセンを少しだけ塩焼き用に。 釣人:ゴールドブレンド
東-9番  2012/06/18 (午後時〜 時)
ボラ 60〜65p 3匹 オキアミ 紀州釣り
   p  匹    
   p  匹    
   p  匹    
ボラ以外全く生物反応無し。 釣人:kもりた <<<
西-5番  2012/06/15 (終日時〜 時)
グレ 21〜31p 3匹 オキアミ フカセ釣り
   p  匹    
   p  匹    
   p  匹    
9時半〜13時半までの釣果。31pは超遠投3ヒロで。手前は小型が多いです。 釣人:管理人
西-5番  2012/06/13 (終日時〜 時)
グレ 24p 1匹 ゴカイ フカセ釣り
   p  匹    
   p  匹    
   p  匹    
ボラ、オセン活発グレは全く見えません。いつもより水が汚れているように見えました。 釣人:YH
西-3番  2012/06/13 (午前中時〜 時)
グレ 23〜27p 4匹 オキアミ ヌカ切り
   p  匹    
   p  匹    
   p  匹    
10時〜13時の釣果。今年は渋いスタートですね。グレの腹の中は海草だらけでした。 釣人:さとりん
西-5番  2012/06/06 (終日時〜 時)
グレ 22〜25p 7匹 オキアミ フカセ釣り
   p  匹    
   p  匹    
   p  匹    
午前までの釣果、午後からオセンが沖合まで漂い釣果なし、竿5本先タナ1ヒロ 釣人:さわいち
中央-7番  2012/06/03 (早朝時〜 時)
メイタガレイ 21p 1匹 マムシ 投げ釣り
チャリコ 17p 1匹    
イソベラ 16p 1匹    
   p  匹    
夜釣りで大物狙いでしたが不発。朝マヅメにどうにかカレイが釣れました。 釣人:ゴールドブレンド
西-5番  2012/06/03 (午前中時〜 時)
グレ 23〜25p 4匹 オキアミ フカセ釣り
   p  匹    
   p  匹    
   p  匹    
沖目 2ヒロでポツポツです。 釣人:勘太郎
西-5番  2012/06/02 (午後時〜 時)
グレ 22〜25p 4匹 オキアミ フカセ釣り
   p  匹    
   p  匹    
   p  匹    
今シーズン初のグレです! 釣人:わいるだー <<<
中央-7番  2012/06/01 (午後時〜 時)
メイタガレイ 18p 1匹 青虫 投げ釣り
チャリコ 18p 1匹 マムシ  
アイナメ、キス、ベラ 12〜16p 4匹    
   p  匹    
港内が少しにぎやかに。エサ盗りは多いです。終始ハオコゼに手を焼きました。 釣人:ゴールドブレンド
西-5番  2012/05/30 (終日時〜 時)
グレ 21〜24p 7匹 ゴカイ フカセ釣り
   p  匹    
   p  匹    
   p  匹    
刺し餌にオキアミも使っていますが、難しいです。 釣人:YH
西-5番  2012/05/31 (終日時〜 時)
グレ 22〜29p 7匹 オキアミ フカセ釣り
   p  匹    
   p  匹    
   p  匹    
9時半〜15時の釣果。グレは終日浮かず。29pは約40m沖、2ヒロで釣れました。 釣人:管理人
西-5番  2012/05/30 (終日時〜 時)
グレ 22〜25p 8匹 オキアミ フカセ釣り
   p  匹    
   p  匹    
   p  匹    
帰る間際、竿5本先のオセンがいない所でタナ1ヒロバタバタと釣れました。 釣人:さわいち
西-5番  2012/05/27 (午前中時〜 時)
グレ 23p 1匹 オキアミ フカセ釣り
   p  匹    
   p  匹    
   p  匹    
ボラとオセンが海面いっぱいに居ました。グレは見えませんでした。 釣人:ひろ
西-5番  2012/05/26 (夜間時〜 時)
カレイ 27p 1匹 マムシ 投げ釣り
ガシラ 16〜19p 2匹    
   p  匹    
   p  匹    
アジュールのサーフでの釣果です。7時過ぎにアタリました。 釣人:SHIGE
西-5番  2012/05/23 (終日時〜 時)
グレ 20〜25p 6匹 イシゴカイ フカセ釣り
   p  匹    
   p  匹    
   p  匹    
集中した時間帯は無く、ポツリ、ポツリでした。 釣人:YH
西-5番  2012/05/23 (終日時〜 時)
グレ 24p 1匹 オキアミ フカセ釣り
   p  匹    
   p  匹    
   p  匹    
なんとか1匹ゲットできました。 釣人:さわいち
西-5番  2012/05/22 (終日時〜 時)
グレ 20〜26p 10匹 アオサ フカセ釣り
コッパ 20以下p 2匹    
   p  匹    
   p  匹    
オキアミではよう釣りませんでした。アオサに変えて釣れました。 釣人:元気屋マッキー
西-5番  2012/05/17 (終日時〜 時)
グレ 22〜27p 4匹 オキアミ フカセ釣り
   p  匹    
   p  匹    
   p  匹    
オセンが沖で漂い大苦戦。グレは全く見えません(浮きません)でした。 釣人:管理人
東   2012/05/17 (午後時〜 時)
アオリイカ 20p 1匹 エギ3.5寸 ルアー・エギング
   p  匹    
   p  匹    
   p  匹    
ベタ底で釣れました。 釣人:スラックマスター
中央-11番  2012/05/17 (終日時〜 時)
グレ 20〜25p 3匹 オキアミ フカセ釣り
   p  匹    
   p  匹    
   p  匹    
タナ4ヒロ 撃沈でした 釣人:東大阪ファミリー
西-5番  2012/05/16 (終日時〜 時)
グレ 20〜23p 7匹 イシゴカイ フカセ釣り
アジ 13p 1匹    
   p  匹    
   p  匹    
時々、浮いてきますが、・・・
さわいちさん有難うございました。
釣人:YH
西-5番  2012/05/17 (終日時〜 時)
グレ 23p 2匹 オキアミ フカセ釣り
   p  匹    
   p  匹    
   p  匹    
オセンをあちこち連れまわし、やっぱりよう釣りません。管理人さんすみません! 釣人:kもりた <<<
西-5番  2012/05/16 (終日時〜 時)
グレ 23〜25p 5匹 オキアミ フカセ釣り
   p  匹    
   p  匹    
   p  匹    
竿3〜4本先タナは1ヒロ、Y.H.さんありがとうございました 釣人:さわいち
西-5番  2012/05/13 (午後時〜 時)
グレ 25p 1匹 オキアミ フカセ釣り
   p  匹    
   p  匹    
   p  匹    
かろうじて初グレ。
時々浮いては来るんですが。。。
釣人:勘太郎
西-5番  2012/05/15 (終日時〜 時)
グレ 20〜26p 4匹 オキアミ フカセ釣り
   p  匹    
   p  匹    
   p  匹    
今年、初西5です。 釣人:タバコ屋
西-5番  2012/05/13 (午前中時〜 時)
グレ 25p 1匹 オキアミ フカセ釣り
   p  匹    
   p  匹    
   p  匹    
グレが深くで、餌が届きません。西門は浮いていました。 釣人:ひろ
中央-11番  2012/05/12 (夜間時〜 時)
アナゴ 38p 1匹 マムシと 投げ釣り
   p  匹 ユムシの  
   p  匹 ミックス  
   p  匹    
結構寒かったです。チヌらしきアタリあるもバラシで終わりました。 釣人:SHIGE
西-5番  2012/05/10 (終日時〜 時)
グレ 20〜25p 6匹 イシゴカイ フカセ釣り
   p  匹    
   p  匹    
   p  匹    
8日の管理人さんの情報どうりタナを深くとりました。 釣人:YH
西-5番  2012/05/08 (終日時〜 時)
グレ 22〜25p 5匹 オキアミ フカセ釣り
アジ 19p 1匹    
   p  匹    
   p  匹    
朝から始めて、15時頃ようやくグレが浮きました。タナは深いです。 釣人:管理人
西-5番  2012/05/08 (午後時〜 時)
グレ 20p 1匹 オキアミ フカセ釣り
   p  匹    
   p  匹    
   p  匹    
難しいです。 釣人:せきやん
西-5番  2012/05/08 (終日時〜 時)
グレ 24p 1匹 オキアミ フカセ釣り
   p  匹    
   p  匹    
   p  匹    
10時間でマグレ子ちゃんオンリィワン! 管理人さんありがとうございました。 釣人:kもりた <<<
中央-9番  2012/05/07 (夜間時〜 時)
アコウ 41p 1匹 シラサエビ エビ撒き釣り
ガシラ 15〜17p 3匹    
   p  匹    
   p  匹    
PM7:30にヒット。強烈な引きでした! 釣人:ゴールドブレンド
西-5番  2012/05/06 (午前中時〜 時)
グレ 21〜23p 4匹 オキアミ フカセ釣り
   p  匹    
   p  匹    
   p  匹    
久しぶりに魚の引きを楽しみました。 釣人:ひろ
中央-5番  2012/05/05 (夜間時〜 時)
アナゴ 24p 1匹 アオイソメ 投げ釣り
   p  匹    
   p  匹    
   p  匹    
アジュールのサーフでの釣果です。カレイとチヌは撃沈でした。 釣人:SHIGE
西-5番  2012/05/05 (午前中時〜 時)
グレ 23〜25p 5匹 オキアミ フカセ釣り
   p  匹    
   p  匹    
   p  匹    
今シーズン初めてのグレ狙い。タナは結構深いです。 釣人:管理人
西-5番  2012/05/03 (終日時〜 時)
グレ 22p 1匹 オキアミ フカセ釣り
   p  匹    
   p  匹    
   p  匹    
なんとか1匹釣れました、タナ1ヒロ半、これからが楽しみです。 釣人:さわいち
東-6番  2012/04/19 (午後時〜 時)
チヌ 31〜39p 2匹 オキアミ フカセ釣り
   p  匹    
   p  匹    
   p  匹    
干潮止まりのPM12時半〜PM2時の間に4回当たりがありました。 釣人:せきやん
東-4番  2012/04/17 (午後時〜 時)
チヌ 28〜37p 3匹 オキアミ フカセ釣り
   p  匹    
   p  匹    
   p  匹    
PM4〜5時に喰いが立ちました。ボラの活性が上がってきました。 釣人:せきやん
東-5番  2012/04/15 (終日時〜 時)
チヌ 33p 1匹 オキアミ フカセ釣り
   p  匹    
   p  匹    
   p  匹    
13時頃の1枚。14時頃は激流になり追加できず。 釣人:NIGHT
中央-7番  2012/04/13 (午前中時〜 時)
クジメ 24p 1匹 青虫 投げ釣り
   p  匹 マムシ  
   p  匹    
   p  匹    
AM9時半頃に釣れました。エサ盗りはまだまったくいません。 釣人:ゴールドブレンド
東-4番  2012/04/13 (午後時〜 時)
チヌ 31〜36p 2匹 オキアミ フカセ釣り
   p  匹    
   p  匹    
   p  匹    
東向きの潮が、西向きに変わったPM4時に、居食いで2枚釣れました。 釣人:せきやん
東-4番  2012/04/10 (午後時〜 時)
チヌ 35〜41p 3匹 オキアミ フカセ釣り
   p  匹    
   p  匹    
   p  匹    
干潮止まりのPM4〜5時だけ潮が止まり釣れました。グレ針7号、ウキ沈めて 釣人:せきやん
東-4番  2012/04/08 (終日時〜 時)
チヌ 39p 1匹 オキアミ フカセ釣り
   p  匹    
   p  匹    
   p  匹    
今年、垂水初釣行です。14時頃、潮が緩んだ瞬間に釣れました。 釣人:管理人
東-6番  2012/04/08 (終日時〜 時)
チヌ 33p 1匹 オキアミ フカセ釣り
   p  匹    
   p  匹    
   p  匹    
PM3時頃、南に潮が動いた時に仕掛け回収したら釣れていました。さしえさ冷たいです 釣人:せきやん
東-4番  2012/04/01 (終日時〜 時)
チヌ 35-41p 4匹 オキアミ フカセ釣り
   p  匹    
   p  匹    
   p  匹    
のっこんで来ました。 釣人:NIGHT
東-6番  2012/03/30 (午後時〜 時)
チヌ 37〜41p 3匹 オキアミ フカセ釣り
   p  匹    
   p  匹    
   p  匹    
北向き潮が止まったPM3〜ラインが走り3枚、シケがひどくスカリ破損2枚回収 釣人:せきやん
東-6番  2012/03/24 (終日時〜 時)
チヌ 45p 1匹 オキアミ フカセ釣り
   p  匹    
   p  匹    
   p  匹    
珍しく正午近くに釣れました。良く引く綺麗なチヌでした。 釣人:NIGHT
東-6番  2012/03/24 (午後時〜 時)
チヌ 34p 1匹 オキアミ フカセ釣り
   p  匹    
   p  匹    
   p  匹    
今日は福田川沿いに10人並びました。河口側より沖側が良かったようです。 釣人:ノリさん
東-6番  2012/03/20 (終日時〜 時)
チヌ 37.5p 1匹 オキアミ フカセ釣り
   p  匹    
   p  匹    
   p  匹    
喰いがまだ思わしく無く、難しいです。 釣人:せきやん
東-4番  2012/03/19 (午後時〜 時)
チヌ 38,41p 2匹 オキアミ フカセ釣り
   p  匹    
   p  匹    
   p  匹    
午後と夕方に釣れました。近くでも2枚釣れてました。 釣人:ノリさん
東-4番  2012/03/18 (午後時〜 時)
チヌ 37p 1匹 オキアミ フカセ釣り
   p  匹    
   p  匹    
   p  匹    
なんとか釣れました。16時頃です。 釣人:NIGHT
東-4番  2012/03/18 (午前中時〜 時)
チヌ 37p 1匹 オキアミ フカセ釣り
   p  匹    
   p  匹    
   p  匹    
13時ごろにきました。根に入られましたが何とか獲れました。久しぶりです。 釣人:ひろ
東-4番  2012/03/10 (午後時〜 時)
チヌ 36-38p 2匹 オキアミ フカセ釣り
   p  匹    
   p  匹    
   p  匹    
何とか釣れました。 釣人:NIGHT
東-3番  2012/03/01 (夜間時〜 時)
メバル 16〜21p 7匹 ワーム ルアー・エギング
   p  匹 カブラ  
   p  匹    
   p  匹    
久しぶりの投稿です。
詳しくは「大城の釣りバカ日記」で。
釣人:DAIJYO
東-6番  2012/03/04 (午後時〜 時)
チヌ 36〜43p 2匹 オキアミ フカセ釣り
   p  匹    
   p  匹    
   p  匹    
2週間ぶりの釣り行、かなり渋いです。PM3時小、PM5時半中、 釣人:せきやん
東-4番  2012/03/03 (午後時〜 時)
チヌ 41p 1匹 オキアミ フカセ釣り
   p  匹    
   p  匹    
   p  匹    
1時30分頃、ゆっくり沖に出る潮で来ました。 釣人:NIGHT
東   2012/03/01 (夜間時〜 時)
メバル 10〜20p 10匹 ワーム ルアー・エギング
   p  匹    
   p  匹    
   p  匹    
詳細はブログにて。[Web] 釣人:Hiroki
東-4番  2012/02/26 (午後時〜 時)
チヌ 38p 1匹 オキアミ フカセ釣り
   p  匹    
   p  匹    
   p  匹    
非常ひ厳しい釣でした。5時前にやっと。 釣人:NIGHT
中央-9番  2012/01/18 (夜間時〜 時)
メバル 12p 1匹 ワーム ルアー・エギング
   p  匹    
   p  匹    
   p  匹    
アタリは結構あったのですが…… 釣人:ゴールドブレンド
東-4番  2012/02/18 (午後時〜 時)
チヌ 47p 1匹 オキアミ フカセ釣り
   p  匹    
   p  匹    
   p  匹    
確かに寒い 釣人:NIGHT
東-4番  2012/02/18 (午後時〜 時)
チヌ 42p 1匹 オキアミ フカセ釣り
   p  匹    
   p  匹    
   p  匹    
最後の1投できました。初40オーバーです。
皆様ありがとう。
釣人:タバコ屋
東-4番  2012/02/18 (午後時〜 時)
チヌ 36p 1匹 オキアミ フカセ釣り
   p  匹    
   p  匹    
   p  匹    
寒すぎ 釣人:まさ <<<
東-4番  2012/02/16 (午後時〜 時)
チヌ 40p 1匹 オキアミ フカセ釣り
   p  匹    
   p  匹    
   p  匹    
東4番、池の様に潮が動かず…3時半少し動いた時、二枚目バラシ…その後当たり無し 釣人:せきやん
東-4番  2012/02/15 (午後時〜 時)
チヌ 37〜47p 3匹 オキアミ フカセ釣り
   p  匹    
   p  匹    
   p  匹    
2時間に1枚のペースでした。 釣人:せきやん
東-4番  2012/02/10 (午後時〜 時)
チヌ 32〜45p 3匹 オキアミ フカセ釣り
   p  匹    
   p  匹    
   p  匹    
潮の下げ止まりから上げ潮のはじまりPM4時〜当たりがありました。 釣人:せきやん
東-6番  2012/02/08 (午後時〜 時)
チヌ 30〜48p 6匹 オキアミ フカセ釣り
   p  匹    
   p  匹    
   p  匹    
雪降るは…寒すぎ…見にこられた方、無愛想ですいません。PM3〜PM5時に5枚 釣人:せきやん
東-4番  2012/02/06 (午後時〜 時)
チヌ 35p 1匹 オキアミ フカセ釣り
   p  匹    
   p  匹    
   p  匹    
さし餌が冷たく感じました。 釣人:せきやん
東-1番  2012/02/04 (夕方時〜 時)
チヌ 40p 1匹 オキアミ フカセ釣り
   p  匹    
   p  匹    
   p  匹    
塩屋のテトラで釣りました。口元に大きなイボの様なもの有り。何かな? 釣人:スーパーカブ
東-6番  2012/02/03 (午後時〜 時)
チヌ 31〜36p 2匹 オキアミ フカセ釣り
   p  匹    
   p  匹    
   p  匹    
寒い… 釣人:せきやん
東-4番  2012/02/01 (午後時〜 時)
チヌ 33p 1匹 オキアミ フカセ釣り
   p  匹    
   p  匹    
   p  匹    
強風でした… 釣人:せきやん
東-6番  2012/01/31 (終日時〜 時)
チヌ 33〜40p 2匹 オキアミ フカセ釣り
   p  匹    
   p  匹    
   p  匹    
久しぶりのチヌです。せきやんさん色々ありがとうございます。 釣人:サトシF
東-4番  2012/01/31 (午後時〜 時)
チヌ 36〜40p 6匹 オキアミ フカセ釣り
   p  匹    
   p  匹    
   p  匹    
1時〜2時東向きの潮で2枚、3時半〜4時半西向きの潮で4枚、昨日も西向きが良いと 釣人:せきやん
東-4番  2012/01/30 (午後時〜 時)
チヌ 33〜40p 5匹 オキアミ フカセ釣り
   p  匹    
   p  匹    
   p  匹    
エサ取りが少なくなっています。竿1本弱際際、3ヒロ弱、際すぎて2枚取り込めず。 釣人:せきやん
東-4番  2012/01/29 (午前中時〜 時)
チヌ 37p 1匹 オキアミ フカセ釣り
メバル 16p 1匹    
クジメ 〜20p 2匹    
   p  匹    
釣れたのは13時です。NIGHTさんのアドバイスのおかげです。 釣人:ひろ
東-4番  2012/01/29 (午後時〜 時)
黒鯛 33-37p 3匹 オキアミ フカセ釣り
   p  匹    
   p  匹    
   p  匹    
15時半から30分間隔で来ました。今年は水温が高く、まだまだ釣れそうな予感。 釣人:NIGHT
東-4番  2012/01/28 (午後時〜 時)
チヌ 34p 1匹 オキアミ フカセ釣り
   p  匹    
   p  匹    
   p  匹    
バッカンが海に落ちてしまい。これからで終了でした。竿1本以内際、2ヒロ半 釣人:せきやん
東-6番  2012/01/26 (午後時〜 時)
チヌ 42〜43p 2匹 オキアミ フカセ釣り
   p  匹 コーン  
   p  匹    
   p  匹    
竿1本半、4ヒロ弱、フグが多くオキアミが通らず、2枚共にコーンで 釣人:せきやん
東-4番  2012/01/22 (午後時〜 時)
チヌ 31p 1匹 オキアミ フカセ釣り
   p  匹    
   p  匹    
   p  匹    
久しぶりに釣れました。<br>初釣り初チヌです。<br>今年も宜しくです。 釣人:勘太郎
東-6番  2012/01/22 (午後時〜 時)
チヌ 38p 1匹 オキアミ フカセ釣り
   p  匹    
   p  匹    
   p  匹    
初釣り楽しめました。先端2枚、昨日も5枚釣れている様です。 釣人:ノリさん
東   2012/01/17 (夜間時〜 時)
メバル 13〜17p 4匹 ジグヘッド ルアー・エギング
   p  匹    
   p  匹    
   p  匹    
詳細はブログにて。[Web] 釣人:Hiroki
中央-6番  2012/01/12 (夜間時〜 時)
アナゴ 32〜40p 2匹 マムシ 投げ釣り
メバル 14p 1匹    
   p  匹    
   p  匹    
メバルは足下で。気温は低かったですが、風も無く快適でした。 釣人:ゴールドブレンド
東   2012/01/12 (夜間時〜 時)
メバル 12〜20p 3匹 ジグヘッド ルアー・エギング
   p  匹    
   p  匹    
   p  匹    
詳細はブログにて。[Web] 釣人:Hiroki
西-5番  2012/01/07 (終日時〜 時)
グレ 21-25p 5匹 あおさ フカセ釣り
   p  匹    
   p  匹    
   p  匹    
オキアミ撃沈5時間で坊主、あおさ1時間で5枚。 釣人:NIGHT
西-5番  2012/01/09 (午後時〜 時)
グレ 21p 1匹 あおさ フカセ釣り
   p  匹    
   p  匹    
   p  匹    
11時から2時まで反応なし納竿前に1尾が慰めてくれたので撮影後リリース^^ 釣人:元気屋マッキー
中央-6番  2012/01/05 (夜間時〜 時)
アナゴ 30〜45p 5匹 青虫 投げ釣り
ハゼ 21p 1匹 マムシ  
   p  匹    
   p  匹    
19時〜22時の釣果。マムシの食いが抜群でした。今年もよろしくお願いします。 釣人:ゴールドブレンド
西-5番  2012/01/04 (終日時〜 時)
グレ 21〜24p 4匹 オキアミ フカセ釣り
   p  匹 イシゴカイ  
   p  匹    
   p  匹    
昼前からの強風波のため釣り辛く、午後は釣果なし。今年もよろしくおねがいします 釣人:YH
西-5番  2012/01/03 (午前中時〜 時)
グレ 20〜25p 7匹 あおさ フカセ釣り
   p  匹    
   p  匹    
   p  匹    
明けましておめでとうございます。8時から1時までラッキー7であがりました。 釣人:元気屋マッキー
西-5番  2012/01/02 (夜間時〜 時)
アナゴ 44p 1匹 マムシ 投げ釣り
   p  匹    
   p  匹    
   p  匹    
新年明けましておめでとうございます。今年も釣りを楽しみたいと思います。 釣人:SHIGE
西-5番  2012/01/01 (午後時〜 時)
グレ 20-25p 5匹 オキアミ フカセ釣り
   p  匹    
   p  匹    
   p  匹    
明けましておめでとうございます。2時〜4時30分の釣果、グレ見えます。 釣人:NIGHT
西-5番  2010/12/30 (午後時〜 時)
グレ 20〜25p 5匹 オキアミ フカセ釣り
   p  匹 あおさ  
   p  匹    
   p  匹    
昨日釣ったグレ。造りで孫に。煮付けで娘に。垂水のグレほんとに美味しい。 釣人:元気屋マッキー
西-5番  2010/12/30 (午後時〜 時)
グレ 20〜25p 5匹 オキアミ フカセ釣り
   p  匹 あおさ  
   p  匹    
   p  匹    
北風ぴゅ〜ぴゅ〜でも楽しかった!明日はゆっくり休みます。皆さん良いお年を 釣人:元気屋マッキー
西-5番  2011/12/29 (終日時〜 時)
グレ 20〜25p 16匹 オキアミ フカセ釣り
   p  匹 ゴカイ  
   p  匹    
   p  匹    
午後は強風波で2匹のみ。さとしFさんありがとうございました。皆様よいお年を。 釣人:YH
西-5番  2011/12/29 (午前中時〜 時)
グレ 23〜32p 7匹 オキアミ フカセ釣り
   p  匹    
   p  匹    
   p  匹    
久しぶりの30オーバー!皆さん良いお年を! 釣人:サトシF
西-5番  2010/12/28 (午後時〜 時)
グレ 23p 5匹 オキアミ フカセ釣り
   p  匹    
   p  匹    
   p  匹    
1時間1匹の低調竿納めでした。皆さんよいお年を! 釣人:kもりた <<<
一文字-1番  2010/12/24 (午後時〜 時)
グレ 22-27p 7匹 オキアミ フカセ釣り
ウマヅラ 32p 1匹    
   p  匹    
   p  匹    
風のため4番を諦め1番に移動しやっと釣れました。風、霰、雨なんでも有りでした。 釣人:NIGHT
西-5番  2011/12/23 (終日時〜 時)
グレ 20〜25p 12匹 オキアミ フカセ釣り
   p  匹    
   p  匹    
   p  匹    
後半、たまにグレが浮きましたが、喰いは悪いです。 釣人:管理人
西-5番  2010/12/23 (終日時〜 時)
グレ 22〜25p 12匹 オキアミ フカセ釣り
   p  匹    
   p  匹    
   p  匹    
タナは二ヒロぐらいでした。 釣人:まさ <<<
西-5番  2010/12/22 (午前中時〜 時)
グレ 20〜25p 10匹 オキアミ フカセ釣り
   p  匹    
   p  匹    
   p  匹    
今年の竿納めとなりました。 釣人:さわいち
西-5番  2011/12/20 (終日時〜 時)
グレ 20〜24p 18匹 オキアミ フカセ釣り
   p  匹 イシゴカイ  
   p  匹    
   p  匹    
一時西風強し。タナ1mから2ヒロ、匹数は垂水での自己新記録で楽しい一日でした。 釣人:YH
西-5番  2010/12/19 (終日時〜 時)
グレ 22-24p 2匹 オキアミ フカセ釣り
   p  匹    
   p  匹    
   p  匹    
終日西風、技術不足を痛感。
今年はこれで納竿します。
釣人:釣り好き <<<
西-5番  2010/12/19 (終日時〜 時)
グレ 22〜26p 6匹 オキアミ フカセ釣り
   p  匹    
   p  匹    
   p  匹    
西風が強く大変でした。 釣人:まさ <<<
西-5番  2011/12/19 (終日時〜 時)
グレ 22〜29p 13匹 オキアミ フカセ釣り
   p  匹    
   p  匹    
   p  匹    
西風強く、調子上がらず。グレは後半浮きましたが、一瞬でした。 釣人:管理人
西-5番  2010/12/18 (午後時〜 時)
グレ 20〜25p 2匹 オキアミ フカセ釣り
こっぱ 18p 1匹    
   p  匹    
   p  匹    
2時から5時まで。別餌の人が入れ食いで釣ってました! 釣人:元気屋マッキー <<<
中央-4番  2011/12/18 (午後時〜 時)
アジ 18〜20p 5匹 アミエビ サビキ釣り
サバ 21p 1匹 青虫  
ガシラ 20p 1匹    
   p  匹    
地合いは16時半。一瞬でしたが型は良かったです。ガシラはブッコミで。 釣人:ゴールドブレンド
西-5番  2010/12/18 (午前中時〜 時)
グレ 22〜24p 3匹 オキアミ フカセ釣り
ウミタナゴ 24p 1匹    
   p  匹    
   p  匹    
寒さと波と風が厳しかったです。 釣人:ひろ
西-5番  2010/12/15 (終日時〜 時)
グレ 21-25p 12匹 オキアミ フカセ釣り
   p  匹    
   p  匹    
   p  匹    
午後から西風強し。撒き餌が東に飛んで釣り辛かった。 釣人:釣り好き
西-5番  2010/12/15 (終日時〜 時)
グレ 24〜25p 10匹 オキアミ フカセ釣り
   p  匹    
   p  匹    
   p  匹    
風と流れが強く食い込みが悪くバラシ多数 釣人:さわいち
西-5番  2011/12/15 (終日時〜 時)
グレ 20〜32p 19匹 オキアミ フカセ釣り
サヨリ 34p 1匹    
   p  匹    
   p  匹    
バリコは少なく釣り易かったのですが、西風と西流の潮に手を焼きました。 釣人:管理人
西-3番  2011/12/14 (午前中時〜 時)
グレ 22〜27p 10匹 オキアミ ヌカ切り
バリコ  p 6匹    
   p  匹    
   p  匹    
9時までは苦戦しましたがそれからパラパラと釣れました。バリコの一夜干しが楽しみ。 釣人:さとりん
西-5番  2011/12/13 (終日時〜 時)
グレ 20〜26p 24匹 オキアミ フカセ釣り
   p  匹    
   p  匹    
   p  匹    
バリコわんさか居ます。50匹以上釣りました。 釣人:管理人
西-5番  2010/12/12 (終日時〜 時)
グレ 20-24p 9匹 オキアミ フカセ釣り
   p  匹    
   p  匹    
   p  匹    
バリコまだまだいます。 釣人:釣り好き
西-5番  2011/12/08 (終日時〜 時)
グレ 20〜27p 25匹 オキアミ フカセ釣り
イスズミ 20p 1匹    
   p  匹    
   p  匹    
北西風と大量のバリコに手を焼きました。グレは遠投1ヒロで喰いました。 釣人:管理人

西-3番  2011/12/07 (午前中時〜 時)
グレ 20〜25p 13匹 オキアミ ヌカ切り
チヌ 32p 1匹    
バリコ  p 7匹    
   p  匹    
管理人さんの腕はほんま素晴らしいですね!最近バリコの一夜干しにはまっています。 釣人:さとりん
西-5番  2010/12/08 (終日時〜 時)
グレ 20〜23p 3匹 オキアミ フカセ釣り
   p  匹    
   p  匹    
   p  匹    
雨冷たし、風冷たし、グレ活性低し、あ〜あ
寒かった。
釣人:さわいち <<<
西-5番  2011/12/07 (終日時〜 時)
グレ 22〜23p 3匹 オキアミ フカセ釣り
   p  匹    
   p  匹    
   p  匹    
グレの姿は全く見えず。2ヒロで来ました。3匹のみで未熟さを痛感してます。 釣人:YH
西-5番  2011/12/06 (終日時〜 時)
グレ 20〜25p 37匹 オキアミ フカセ釣り
   p  匹    
   p  匹    
   p  匹    
今日は潮が動かなかったせいか、大量のバリコとマイクロ木っ葉が居て苦労しました。 釣人:管理人
西-5番  2010/12/04 (午前中時〜 時)
グレ 20〜22p 2匹 オキアミ フカセ釣り
バリコ 15〜18p 8匹    
   p  匹    
   p  匹    
朝7時から14時まで1度もグレ浮かず。東角遠投の人が好釣果 型も良かったです。 釣人:元気屋マッキー <<<
西-5番  2010/12/05 (終日時〜 時)
グレ 20−25p 19匹 オキアミ フカセ釣り
   p  匹    
   p  匹    
   p  匹    
終日だらだらした潮。オセンが沖まで出ているためやや遠投(東から二人目の場所) 釣人:釣り好き
一文字-6番  2010/12/04 (午後時〜 時)
グレ 20-26p 17匹 オキアミ フカセ釣り
   p  匹    
   p  匹    
   p  匹    
久しぶりに投稿します。3.5時間の釣りでしたが、西風がきつく同調が難しい! 釣人:NIGHT
西-3番  2010/12/04 (午前中時〜 時)
グレ 22〜25p 4匹 オキアミ フカセ釣り
   p  匹    
   p  匹    
   p  匹    
タナは深いです。深いとマキエとサシエが合いません。 釣人:ひろ
西-3番  2011/12/03 (午前中時〜 時)
グレ 22〜28p 17匹 オキアミ ヌカ切り
コッパグレ  p 3匹    
バリコ  p 3匹    
   p  匹    
8時半から釣り始めて、早い段階から釣れてきました。バリコは少なかったです。 釣人:さとりん
西-5番  2010/12/01 (終日時〜 時)
グレ 20〜25p 17匹 オキアミ フカセ釣り
   p  匹    
   p  匹    
   p  匹    
終日、スズキが2匹うろうろしていたのでグレ浮かず 釣人:さわいち
西-5番  2010/11/30 (終日時〜 時)
グレ 20−24p 14匹 オキアミ フカセ釣り
   p  匹    
   p  匹    
   p  匹    
東角で上潮中釣れたが、午後下げ潮となり不調。下げ潮時は中程の場所が良いかも。 釣人:釣り好き
平磯-1番  2010/11/26 (午後時〜 時)
アコウ 47.0p 1匹 本コウジ 投げ釣り
   p  匹    
   p  匹    
   p  匹    
運良く釣ることができました。SHIGEさんの記録を更新してしまい申し訳ないです。 釣人:こばっく
西-5番  2011/11/30 (終日時〜 時)
グレ 20〜30p 8匹 オキアミ フカセ釣り
   p  匹 イシゴカイ  
   p  匹    
   p  匹    
  釣人:YH
西-5番  2011/11/30 (終日時〜 時)
グレ 20〜29p 42匹 オキアミ フカセ釣り
   p  匹    
   p  匹    
   p  匹    
9時〜3時半までの釣果。昼から約2時間アタリ無し。バリコは相変わらず多いです。 釣人:管理人
東-3番  2010/11/28 (終日時〜 時)
グレ 20〜26p 12匹 オキアミ ヌカ切り
   p  匹    
   p  匹    
   p  匹    
三時までの釣果です。この日は昼からが良かったです。バリコはまだ居ました。<br> 釣人:さとりん
西-4番  2011/11/28 (午後時〜 時)
ハゲ 16p 1匹 青虫 投げ釣り
チャリコ 15p 1匹    
ベラ 15〜17p 3匹    
   p  匹    
今日はサッパリでした〜。フグが多過ぎる! 釣人:ゴールドブレンド
西-5番  2011/11/27 (終日時〜 時)
グレ 22〜30p 13匹 オキアミ フカセ釣り
   p  匹    
   p  匹    
   p  匹    
やっとつ抜け達成です。これで1人前? 釣人:タバコや <<<
西-5番  2011/11/27 (午後時〜 時)
グレ 23〜25p 11匹 オキアミ フカセ釣り
   p  匹    
   p  匹    
   p  匹    
久しぶりの垂水です。 釣人:サトシF <<<
西-5番  2011/11/27 (午前中時〜 時)
グレ 20〜25p 7匹 オキアミ フカセ釣り
   p  匹    
   p  匹    
   p  匹    
エサ取りがバリコからオセンに変わりました。 釣人:ひろ
西-5番  2011/11/27 (終日時〜 時)
カレイ 21p 1匹 マムシ 投げ釣り
   p  匹    
   p  匹    
   p  匹    
アジュールのサーフでの釣果です。11時頃アタリました。カレイもいよいよ終盤です。 釣人:SHIGE
西-5番  2010/11/24 (終日時〜 時)
グレ 20−25p 14匹 オキアミ フカセ釣り
グレ 28p 1匹    
   p  匹    
   p  匹    
西風強くもバリ少なし、さわいちさんも釣れていました。 釣人:釣り好き
西-5番  2010/11/24 (終日時〜 時)
グレ 20〜25p 8匹 オキアミ フカセ釣り
   p  匹    
   p  匹    
   p  匹    
デジカメ壊れたので写真が撮れませんでした、釣り好きさん証人お願いします 釣人:さわいち <<<
中央-11番  2010/11/23 (夕方時〜 時)
アオリイカ 〜800gp 3匹 エギ ルアー・エギング
   p  匹    
   p  匹    
   p  匹    
良い感じ 釣人:YAMA <<<
西-5番  2010/11/23 (午前中時〜 時)
グレ 20〜23p 5匹 オキアミS フカセ釣り
こっぱ 15〜18p 7匹    
バリ 15p 5匹    
   p  匹    
バリコが減りました。餌の残っている時間が長くなりました。撒餌に反応しません・・・ 釣人:元気屋マッキー
中央-5番  2011/11/23 (午後時〜 時)
カワハギ 15〜18p 4匹 マムシ 投げ釣り
   p  匹    
   p  匹    
   p  匹    
アジュールのサーフでの釣果です。カレイまたしても撃沈しました。 釣人:SHIGE
東-3番  2011/11/22 (午前中時〜 時)
グレ 20〜28p 23匹 オキアミ ヌカ切り
   p  匹    
   p  匹    
   p  匹    
ヌカ切りなので、タナは3〜3.5ヒロでした。バリコは居なかったです。 釣人:さとりん
西-5番  2011/11/17 (終日時〜 時)
グレ 20〜25p 26匹 オキアミ フカセ釣り
   p  匹    
   p  匹    
   p  匹    
午前中グレは1枚も釣れず。午後から良く浮き、矢引きで連発しました。 釣人:管理人
西-5番  2010/11/17 (終日時〜 時)
グレ 22〜24p 8匹 オキアミ フカセ釣り
   p  匹    
   p  匹    
   p  匹    
バリが居なくなった時だけ釣れました。 釣人:さわいち
東-11番  2011/11/16 (夜間時〜 時)
ガシラ 17p 1匹 ワーム ルアー・エギング
   p  匹    
   p  匹    
   p  匹    
スロープで釣れました。 釣人:ゴールドブレンド
東-7番  2011/11/15 (午前中時〜 時)
ボラ 55〜60p 2匹 オキアミ 紀州釣り
   p  匹    
   p  匹    
   p  匹    
いつものようにシツコク粘る気がしませんでした。 釣人:kもりた <<<
西-5番  2010/11/13 (午前中時〜 時)
グレ 23p 1匹 オキアミS フカセ釣り
ばりこ 15〜18p 35匹    
木っ端グレ 15p 2匹    
   p  匹    
ちらっと浮いた時に釣れた1尾です。あとはバリコが遊んでくれました。 釣人:元気屋マッキー
一文字-9番  2011/11/13 (午前中時〜 時)
マダイ 47p 1匹 オキアミ フカセ釣り
   p  匹    
   p  匹    
   p  匹    
赤灯南側から潮に流してきました。 釣人:せら
東   2011/11/13 (夜間時〜 時)
アオリイカ 25p 1匹 エギ3.5号 ルアー・エギング
   p  匹    
   p  匹    
   p  匹    
潮が西から東へ反転してすぐにつれました。 釣人:KINGPROX
中央-5番  2011/11/13 (午前中時〜 時)
カワハギ 16p 1匹 マムシ 投げ釣り
   p  匹    
   p  匹    
   p  匹    
アジュールのサーフでの釣果です。カレイはまたしても撃沈でした。 釣人:SHIGE
東   2011/11/11 (夜間時〜 時)
アオリイカ 26.5p 1匹 エギ ルアー・エギング
アオリイカ 15p 1匹    
   p  匹    
   p  匹    
激流の中での貴重な2杯 釣人:ガシラハンター
西-5番  2010/11/10 (終日時〜 時)
グレ 20〜22p 6匹 オキアミ フカセ釣り
   p  匹    
   p  匹    
   p  匹    
バリが多すぎてグレが浮いてきませんでした。 釣人:さわいち
西-5番  2011/11/09 (終日時〜 時)
グレ 20〜22p 7匹 オキアミ フカセ釣り
   p  匹    
   p  匹    
   p  匹    
あいかわらずのバリコで、撒き餌が難しいです。 釣人:YH
西-3番  2010/11/08 (午前中時〜 時)
カレイ 30p 1匹 青虫 投げ釣り
ガシラ 16p 2匹    
ベラ 15〜20p 9匹    
   p  匹    
あと20p弱のハゲを2匹。全部20mぐらいのチョイ投げです。 釣人:ゴールドブレンド
平磯-11番  2011/11/08 (終日時〜 時)
べラ 20〜14p 22匹 地ゴカイ 投げ釣り
ハゲ 19〜15p 6匹    
   p  匹    
   p  匹    
根掛かりが多いので引釣をせず、30秒以内の当たりをイッキに巻き取る 釣人:秋グレ
中央-5番  2011/11/06 (午前中時〜 時)
カワハギ 13〜16p 2匹 マムシ 投げ釣り
   p  匹    
   p  匹    
   p  匹    
アジュールのサーフでの釣果です。カレイは不発。今年は雨上がりの釣行が多いです。 釣人:SHIGE
東   2011/11/05 (夜間時〜 時)
アオリイカ 15〜22p 3匹 エギ3.5号 ルアー・エギング
   p  匹    
   p  匹    
   p  匹    
22cm:600g、18cm:400g、15cm:200gの3杯が釣れました。 釣人:KINGPROX
東   2011/11/04 (夜間時〜 時)
アオリイカ 15〜21p 3匹 エギ 掛け釣り
   p  匹    
   p  匹    
   p  匹    
なんとか3杯釣れました 潮速くやりにくかったです 釣人:ガシラハンター
中央-11番  2011/11/03 (午前中時〜 時)
ベラ 14〜19p 6匹 青虫 投げ釣り
ハゲ 13〜20p 7匹 マムシ  
ガシラ 17〜18p 3匹    
   p  匹    
ベラ以外は落とし込みも合わせて。正午からは激流で釣りになりませんでした。 釣人:ゴールドブレンド
西-5番  2010/11/03 (終日時〜 時)
グレ 20〜24p 6匹 オキアミ フカセ釣り
   p  匹    
   p  匹    
   p  匹    
ラスト1時間角に入れた釣果です。 釣人:まさ <<<
西-5番  2010/11/03 (終日時〜 時)
グレ 20〜26p 13匹 オキアミ フカセ釣り
   p  匹    
   p  匹    
   p  匹    
浮いてきてもなかなか釣ることができませんでした。 釣人:さわいち
西-5番  2011/11/03 (終日時〜 時)
グレ 20〜23p 11匹 オキアミ フカセ釣り
   p  匹    
   p  匹    
   p  匹    
今日はあまり浮きませんでした。釣人が多過ぎたのかもしれません。 釣人:管理人
中央-7番  2011/11/01 (午前中時〜 時)
ベラ 10~18p 7匹 青虫 投げ釣り
カワハギ 15~20p 2匹 ゴカイ  
チャリコ 12p 1匹    
   p  匹    
先端フェンス先にベラがウヨウヨ。カワハギはフカセで。11時以降潮速く、さっぱり。 釣人:泰史&こずえ
西-5番  2010/10/31 (終日時〜 時)
グレ 20〜23p 7匹 フカセ フカセ釣り
   p  匹    
   p  匹    
   p  匹    
久しぶりに西5に来ましたが、未だ「つ抜け」達成ならず。 釣人:タバコや
西-5番  2010/10/30 (午前中時〜 時)
グレ 20〜23p 5匹 オキアミS フカセ釣り
ばりこ 12〜17p うんざり匹    
   p  匹    
   p  匹    
雨は降らなかったが釣り人少なかった。中々上手くなれませんね。少し休憩しよかな? 釣人:元気屋マッキー
平磯   2011/10/29 (夜間時〜 時)
アオリイカ 18〜23p 3匹 エギ ルアー・エギング
   p  匹    
   p  匹    
   p  匹    
平磯ナイターで仕留めました 詳しくはブログで 釣人:ガシラハンター
西-5番  2011/10/29 (午前中時〜 時)
カレイ 30p 1匹 アオイソメ 投げ釣り
   p  匹    
   p  匹    
   p  匹    
アジュールのサーフでの釣果です。10時頃アタリました。エサ取りは凄じかったです。 釣人:SHIGE
東-1番  2010/10/25 (終日時〜 時)
アオリ 300gp 1匹 餌木 ルアー・エギング
アオリ 900gp 1匹    
アオリ 1070gp 1匹    
   p  匹    
詳細はブログにて。[Web] 釣人:Hiroki
中央-7番  2010/10/27 (午前中時〜 時)
アイナメ 18p 1匹 青虫 投げ釣り
木っ端グレ 15p 2匹    
アイゴ 15〜17p 2匹    
   p  匹    
カレイ不発。アイナメ以外は足下のミャク釣りで。 釣人:ゴールドブレンド <<<
東   2011/10/26 (夕方時〜 時)
アオリイカ 13p 1匹 エギ ルアー・エギング
   p  匹    
   p  匹    
   p  匹    
今年はサッパリです 釣人:ガシラハンター
西-5番  2011/10/27 (終日時〜 時)
グレ 20〜23p 8匹 オキアミ フカセ釣り
グレ 25〜30p 4匹    
   p  匹    
   p  匹    
久々に30pが釣れました。タナは1m位です。相変わらずバリコは多いです。 釣人:管理人
西-5番  2010/10/27 (終日時〜 時)
グレ 20〜22p 18匹 オキアミ フカセ釣り
   p  匹    
   p  匹    
   p  匹    
午前中はよく浮いていました。だいぶ良くなって来たので、これから楽しみです。 釣人:さわいち <<<
中央-5番  2011/10/26 (午前中時〜 時)
15p 1匹 マムシ 投げ釣り
キス 18p 5匹 青虫  
アブラメ 18p 1匹    
   p  匹    
カレイ狙いで行きましたが駄目でした。キスは11時前後に集中して釣れてます 釣人:泰史
中央-7番  2010/10/25 (午後時〜 時)
カレイ 23p 1匹 マムシ 投げ釣り
ハゲ 10〜18p 3匹 青虫  
ウミタナゴ 17p 1匹    
   p  匹    
タナゴは足下をこすって。アイゴがウジャウジャいます。 釣人:ゴールドブレンド
西-5番  2011/10/26 (午後時〜 時)
べラ 11〜17p 14匹 地ゴカイ 投げ釣り
ハゲ 12〜19p 4匹    
   p  匹    
   p  匹    
東流を狙って釣ったがなぜか喰いが悪かった 釣人:秋グレ
中央   2011/10/24 (夜間時〜 時)
アオリイカ 15〜20p 2匹 エギ3.5号 ルアー・エギング
   p  匹    
   p  匹    
   p  匹    
今年は、なかなか乗ってくれません、微妙なあたりにあわせを入れてGETできました。 釣人:KINGPROX
平磯-5番  2011/10/23 (午後時〜 時)
カレイ 25〜28p 2匹 青イソメ(太い) ブッコミ釣り
グレ 19〜24p 2匹    
カサゴ 18p 1匹    
   p  匹    
カレイは重たいです 釣人:崖っぷちのタイガース <<<
西-5番  2011/10/23 (終日時〜 時)
カレイ 31p 1匹 マムシ 投げ釣り
アイナメ 16p 1匹    
カワハギ 13p 1匹    
   p  匹    
アジュールのサーフでの釣果です。カレイは朝一にゲット。その後はエサ取りにKO。 釣人:SHIGE
西-5番  2010/10/23 (午前中時〜 時)
バリコ 15〜17p 12匹 オキアミ フカセ釣り
   p  匹    
   p  匹    
   p  匹    
ひれを鋏で落し立塩してるとこです。今夜干して、孫の明日の晩御飯のおかずです^^ 釣人:元気屋マッキー
西-5番  2010/10/23 (午前中時〜 時)
グレ 20〜23p 4匹 オキアミ フカセ釣り
木端  p 2匹    
バリコ 15〜17p 12匹    
   p  匹    
グレは良く見えてたのですがまだまだってことですね。木端は元気よく海に帰りました。 釣人:元気屋マッキー
東   2011/10/23 (午前中時〜 時)
アオリイカ 16-18p 2匹 エギ3.5寸 ルアー・エギング
   p  匹    
   p  匹    
   p  匹    
今日は厳しかった↓午後からも頑張るつもりでしたが、しゃくり疲れたので帰ります↓ 釣人:スラックマスター
東   2010/10/20 (終日時〜 時)
アオリ 推定18p 1匹 餌木 ルアー・エギング
   p  匹    
   p  匹    
   p  匹    
詳細はブログにて。[Web] 釣人:Hiroki <<<
西-5番  2010/10/20 (終日時〜 時)
グレ 20〜23p 9匹 オキアミ フカセ釣り
   p  匹    
   p  匹    
   p  匹    
相変わらずバリだらけでグレが浮いてきても食い気がありませんでした。 釣人:さわいち
東   2011/10/19 (夜間時〜 時)
モンゴウイカ 20p 1匹 エギ ルアー・エギング
   p  匹    
   p  匹    
   p  匹    
20cm;490g 釣魚記録よろしくです(><)  釣人:ガシラハンター
東   2011/10/18 (夜間時〜 時)
タコ 7p 1匹 エギ ルアー・エギング
   p  匹    
   p  匹    
   p  匹    
イカ釣れずタコのみ オートリリースです 釣人:ガシラハンター
西-5番  2010/10/18 (午前中時〜 時)
かわはぎ 12〜15p 3匹 しらさえび 胴付き・探り釣り
   p  匹    
   p  匹    
   p  匹    
ふかせのグレは全く浮かずバリだけでした。バリ以外と美味しいと好評でした。 釣人:元気屋マッキー
東-4番  2010/10/18 (早朝時〜 時)
ガシラ 20p 1匹 シラサ 胴付き・探り釣り
ガシラ 12〜15p 4匹    
メバル 15p 1匹    
   p  匹    
初穴釣りでしたが、いいサイズが釣れました。 釣人:徒歩3分
東-2番  2010/10/17 (午後時〜 時)
アイゴ 15p 5匹 網エビ サビキ釣り
   p  匹    
   p  匹    
   p  匹    
  釣人:おデブ釣りジジイ <<<
東   2011/10/16 (夕方時〜 時)
アオリイカ 17〜18p 2匹 エギ3.5号 ルアー・エギング
   p  匹    
   p  匹    
   p  匹    
西風が強く、釣りにくかったです。 釣人:KINGPROX
東   2010/10/16 (終日時〜 時)
アオリ 推定17p 1匹 餌木 ルアー・エギング
アオリ 推定14p 1匹    
アオリ 推定22p 1匹    
   p  匹    
詳細はコチラ。[Web] 釣人:Hiroki
東-6番  2010/10/16 (午前中時〜 時)
グレ 20p 1匹 オキアミ フカセ釣り
コッパ 手のひらp 4匹    
   p  匹    
   p  匹    
西5番強風のため久々にテトラに上がりました。 釣人:ひろ
西-5番  2011/10/16 (午後時〜 時)
カワハギ 16p 1匹 マムシ 投げ釣り
   p  匹    
   p  匹    
   p  匹    
アジュールのサーフでの釣果です。カレイは釣れず強風に苦しみました。 釣人:SHIGE
東   2011/10/16 (午前中時〜 時)
アオリイカ 17-18p 3匹 エギ3.5号 ルアー・エギング
   p  匹    
   p  匹    
   p  匹    
スラックジャークで遊んでたら釣れてました(^^) 釣人:スラックマスター
東   2011/10/15 (午後時〜 時)
アオリイカ 13-18p 9匹 エギ3.5号 ルアー・エギング
   p  匹    
   p  匹    
   p  匹    
潮目を狙い打ち 3時間勝負 釣人:スラックマスター
東   2011/10/15 (夕方時〜 時)
アオリイカ 15〜22p 2匹 エギ3.5号 ルアー・エギング
   p  匹    
   p  匹    
   p  匹    
500gありました。(^^)v 今シーズン自己記録です。 釣人:KINGPROX
西-5番  2010/10/13 (終日時〜 時)
グレ 20〜22p 5匹 オキアミ フカセ釣り
   p  匹    
   p  匹    
   p  匹    
おせんより多いバリコにやられました 釣人:さわいち
西-5番  2011/10/12 (終日時〜 時)
グレ 20〜23p 5匹 オキアミ フカセ釣り
   p  匹    
   p  匹    
   p  匹    
浮いてきたのは14時から15時位。タコ餌木でタコ1杯つれました。 釣人:YH
中央-10番  2010/10/11 (午後時〜 時)
ボラ 60p 2匹 オキアミ 紀州釣り
   p  匹    
   p  匹    
   p  匹    
ダンゴ効いてくる頃船係留、場所替わりして又船係留でついていませんでした。 釣人:kもりた <<<
東   2011/10/10 (夜間時〜 時)
アオリイカ 11〜17p 4匹 エギ ルアー・エギング
   p  匹    
   p  匹    
   p  匹    
潮の動いている時間帯狙い撃ちで4杯GET 最大寸は17.5cm;350g 釣人:ガシラハンター
西-3番  2011/10/09 (午後時〜 時)
バリコ 15〜17p 31匹 オキアミ(小) カゴ天秤釣り
   p  匹    
   p  匹    
   p  匹    
頑張って狙っても31匹でした。結構棚が上下するのかも?一夜干しダー★ 釣人:kもりた <
西-5番  2011/10/10 (早朝時〜 時)
カワハギ 10〜15p 6匹 マムシ 投げ釣り
   p  匹    
   p  匹    
   p  匹    
アジュールのサーフでの釣果です。カレイと海神社のウナギは不発でした。 釣人:SHIGE
西-5番  2010/10/10 (午前中時〜 時)
グレ 20〜22p 7匹 オキアミ フカセ釣り
   p  匹    
   p  匹    
   p  匹    
エギングもしましたがダメでした。 釣人:ひろ
西-5番  2011/10/09 (夜間時〜 時)
アオリイカ 胴長16p 1匹 エギ3.5号 ルアー・エギング
   p  匹    
   p  匹    
   p  匹    
潮止まりを狙って1時間勝負。20時過ぎショートジャークからのステイでドン! 釣人:ジョイマン
西-5番  2010/10/09 (午前中時〜 時)
グレ 20〜23p 3匹 オキアミ フカセ釣り
   p  匹    
   p  匹    
   p  匹    
管理人さんの横で垂水の初グレ!3尾でも記念の魚です。孫が食べてくれました^^v 釣人:元気屋マッキー
西-5番  2011/10/09 (午前中時〜 時)
グレ 20〜24p 22匹 オキアミ フカセ釣り
   p  匹    
   p  匹    
   p  匹    
後半はバリコばかりでグレの姿は見えず。 釣人:管理人
東   2010/10/08 (夜間時〜 時)
アオリイカ 17p 1匹 アオリQ3.0 ルアー・エギング
   p  匹    
   p  匹    
   p  匹    
今年は渋いです。詳細は「サミタの波止釣り日記」で検索!! 釣人:サミタ
東   2011/10/07 (夜間時〜 時)
アオリイカ 11〜17p 3匹 エギ ルアー・エギング
タコ 5p 1匹    
   p  匹    
   p  匹    
数は出ませんが徐々にサイズアップしてきました 釣人:ガシラハンター
東   2011/10/04 (夜間時〜 時)
アオリイカ 8〜13p 2匹 エギ ルアー・エギング
   p  匹    
   p  匹    
   p  匹    
詳細は[Web] 釣人:ガシラハンター
西-3番  2010/10/07 (午後時〜 時)
バリコ 15p 21匹 酒カス カゴ天秤釣り
   p  匹 オキアミ  
   p  匹    
   p  匹    
向い風バリコひらひら顔面へ!
一夜干しの賞味が楽しみ!
釣人:kもりた <<<
東-1番  2010/10/06 (終日時〜 時)
アオリ 14p 1匹 餌木 ルアー・エギング
アオリ 18p 1匹    
   p  匹    
   p  匹    
詳細はブログにて。[Web] 釣人:Hiroki
西-5番  2010/10/02 (終日時〜 時)
バリコ 15p いっぱい匹 オキアミ フカセ釣り
   p  匹    
   p  匹    
   p  匹    
管理人さんレクチャーありがとうございました。グレ針2号やけど見つけました^^ 釣人:マッキー <<<
中央-11番  2011/10/03 (夜間時〜 時)
アオリイカ 11〜13p 2匹 エギ2.5号 ルアー・エギング
   p  匹    
   p  匹    
   p  匹    
あまりの寒さに30分で退散。アオリは際で釣れました。 釣人:管理人 <<<
西-5番  2011/10/04 (午後時〜 時)
グレ 20〜22p 5匹 オキアミ フカセ釣り
   p  匹    
   p  匹    
   p  匹    
アイゴ30匹以上、かわす事が出来ず。 釣人:せきやん
東-9番  2011/10/04 (終日時〜 時)
チヌ 24・32p 2匹 オキアミ 紀州釣り
   p  匹    
   p  匹    
   p  匹    
ダンゴ何球投げたことやら、ボラとの格闘とで明日は腕上がるかなぁ? 釣人:kもりた <
東   2011/10/02 (夜間時〜 時)
アオリイカ 12〜15p 4匹 エギ ルアー・エギング
   p  匹    
   p  匹    
   p  匹    
東エリア〜広範囲のランガンでGET 詳細はブログご参照  釣人:ガシラハンター
西-5番  2011/10/02 (終日時〜 時)
グレ 20〜25p 12匹 オキアミ フカセ釣り
アオリイカ 8〜18p 4匹 エギ2.5号  
   p  匹    
   p  匹    
バリコが湧いてグレの喰いはイマイチ。アオリ18pは今期ベストです。 釣人:管理人
西-5番  2011/09/29 (終日時〜 時)
グレ 20〜25p 9匹 オキアミ フカセ釣り
   p  匹    
   p  匹    
   p  匹    
おくれましたが・・ 釣人:サトシF <<<
西-5番  2011/10/01 (夕方時〜 時)
カレイ 21p 1匹 マムシ 投げ釣り
   p  匹    
   p  匹    
   p  匹    
アジュールのサーフでの釣果です。今季初のカレイゲットでした。 釣人:SHIGE
西-5番  2011/10/01 (夜間時〜 時)
アナゴ 46〜47p 2匹 マムシ 投げ釣り
アナゴ 20〜35p 4匹 サンマの切り身  
   p  匹    
   p  匹    
アジュールのサーフでの釣果。アナゴ爆釣でした。 釣人:SHIGE
中央-4番  2010/10/01 (早朝時〜 時)
タコ 約30p 1匹 青虫 胴付き・探り釣り
   p  匹    
   p  匹    
   p  匹    
ガシラ狙いでしたが蛸が釣れました! 釣人:ゴールドブレンド
東-2番  2010/10/01 (早朝時〜 時)
アイゴ 15〜17p 9匹 アミエビ サビキ釣り
グレ 10〜15p 10匹    
イサキ 〜10p 10匹    
   p  匹    
詳しくはサミタの波止釣り日記まで。アイゴってこんなにいたっけ? 釣人:サミタ
東   2011/09/30 (夜間時〜 時)
アオリイカ 8〜15p 4匹 エギ ルアー・エギング
   p  匹    
   p  匹    
   p  匹    
1時間で4杯GET 潮のヨレ目がポイントです 詳しくはブログご参照 釣人:ガシラハンター
西-2番  2011/09/28 (夜間時〜 時)
アオリイカ 9〜13p 6匹 エギ2.5号 ルアー・エギング
   p  匹    
   p  匹    
   p  匹    
19時〜21時の釣果。西5沖向きで1時間ほど粘りましたが全く反応無し。 釣人:管理人 <<<
東   2010/09/28 (終日時〜 時)
アオリ 10〜15p 5匹 餌木2.5号 ルアー・エギング
   p  匹    
   p  匹    
   p  匹    
詳細はコチラ。[Web] 釣人:Hiroki <<<
西-5番  2011/09/28 (午前中時〜 時)
グレ 20〜21p 6匹 オキアミ フカセ釣り
   p  匹    
   p  匹    
   p  匹    
AM10〜PM1時まで。緑色の潮で、にごっていました。 釣人:せきやん
西-5番  2011/09/27 (午後時〜 時)
アオリイカ 8〜13p 3匹 エギ2.5号 ルアー・エギング
   p  匹    
   p  匹    
   p  匹    
14時〜16時の釣果。濁りが入り乗りが悪かったです。 釣人:管理人 <<<
西-5番  2010/09/24 (午前中時〜 時)
グレ 20〜22p 5匹 オキアミ フカセ釣り
   p  匹    
   p  匹    
   p  匹    
ボラが怖くて、合わせられません。 釣人:ひろ
一文字-1番  2011/09/24 (夜間時〜 時)
セイゴ 34〜35p 2匹 アオイソメ ウキ釣り
   p  匹    
   p  匹    
   p  匹    
他の釣人からの戴き物です。メバル20cm程度も釣れていました。 釣人:SHIGE
一文字-1番  2011/09/24 (夜間時〜 時)
太刀魚(指2,5) 73p 1匹 キビナゴ ウキ釣り
   p  匹    
   p  匹    
   p  匹    
朝方に8番で青物が。9,7番でカワハギもよく釣れていました。 釣人:SHIGE
西-5番  2011/09/24 (午後時〜 時)
グレ 20〜23p 5匹 オキアミ フカセ釣り
   p  匹    
   p  匹    
   p  匹    
ひさびさです。ボラ多過ぎです… 釣人:せきやん
西-5番  2011/09/23 (終日時〜 時)
グレ 20〜26p 21匹 オキアミ フカセ釣り
アオリイカ 10〜15p 11匹 エギ2.5号  
   p  匹    
   p  匹    
14時までの釣果。アオリは早朝、正午前に釣れました。グレ25p超は2枚のみ。 釣人:管理人
西-5番  2010/09/23 (終日時〜 時)
グレ 〜23p 9匹 フカセ フカセ釣り
   p  匹    
   p  匹    
   p  匹    
つ抜けの為、残業するが達成できず。 釣人:たばこ屋 <<<
西-5番  2010/09/23 (午前中時〜 時)
グレ 20〜23p 3匹 オキアミ フカセ釣り
   p  匹    
   p  匹    
   p  匹    
久しぶりに行きましたがボラが多すぎ厳しい。お隣の会長さんは流石でした。 釣人:トモ <<<
西-5番  2010/09/18 (午前中時〜 時)
グレ 18〜21p 10匹 オキアミ フカセ釣り
   p  匹    
   p  匹    
   p  匹    
久しぶりに魚が釣れました。↑やまぱぱさん僕が証人になります。 釣人:ひろ
西-5番  2011/09/18 (午前中時〜 時)
グレ 26p 1匹 オキアミ フカセ釣り
グレ 20-23p 8匹    
   p  匹    
   p  匹    
写メの保存を忘れて証拠がありません。ひろさん、証人になってくれませんか? 釣人:やまぱぱ <<<
西-5番  2010/09/19 (午前中時〜 時)
グレ 20〜23p 5匹 オキアミ フカセ釣り
   p  匹    
   p  匹    
   p  匹    
ボラかけまくりました。 釣人:まさ <<<
西-5番  2010/09/17 (午前中時〜 時)
グレ 20〜23p 5匹 オキアミ フカセ釣り
   p  匹    
   p  匹    
   p  匹    
2ヒロ以上入れるとフグ、アジ、コサバ、カマスどした。 釣人:まさ <<<
西-5番  2011/09/19 (午前中時〜 時)
グレ 20〜23p 17匹 オキアミ フカセ釣り
グレ 27〜28p 2匹    
アオリイカ 8〜12p 5匹 エギ2.5号  
   p  匹    
グレ良型は遠投浅ダナで。木っ葉はあまり沖に出ません。アオリは9時までの釣果。 釣人:管理人
西-5番  2010/09/18 (午前中時〜 時)
グレ 20〜23p 9匹 オキアミ フカセ釣り
グレ 〜20p 6匹    
   p  匹    
   p  匹    
小さいけどいっぱい釣れました! 釣人:わいるだー
東   2011/09/17 (夜間時〜 時)
アオリイカ 22p 1匹 エギ ルアー・エギング
   p  匹    
   p  匹    
   p  匹    
なんとこの時期においての親アオリ 22cm;580gでしたが抱卵してました 釣人:ガシラハンター
西-5番  2011/09/17 (終日時〜 時)
グレ 20〜27p 17匹 オキアミ フカセ釣り
アオリイカ 11p 1匹 エギ2.5号  
   p  匹    
   p  匹    
雨、風のため14時で撤収。釣れた殆どが20〜23pの小型ばかりです。 釣人:管理人 <<<


[ <<BACK ][ TOP ][ NEXT>> ]

(3/267)