垂水の釣り情報

釣果情報

釣果投稿

釣果の投稿はコチラから

釣果検索

条件別に過去釣果を検索

投稿者一覧

投稿者様の釣果集計です

[全件](3996件) を登録順表示

(写真をクリックすると拡大して見ることが出来ます)


[ <<BACK ][ TOP ]

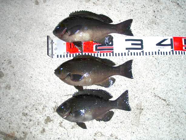
西-5番  2011/09/16 (午前中時〜 時)
グレ 20〜24p 14匹 オキアミ フカセ釣り
   p  匹    
   p  匹    
   p  匹    
朝8時半から2時間。結構浮いてましいたが針掛りしません。 釣人:ノリさん
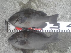
西-5番  2011/09/15 (夕方時〜 時)
アオリ 8p 1匹 エギ ルアー・エギング
   p  匹    
   p  匹    
   p  匹    
何とか一匹釣れましたがリリースです。↓さわいちさんお疲れ様でした。 釣人:ノリさん
西-5番  2010/09/15 (終日時〜 時)
グレ 27p 1匹 オキアミ フカセ釣り
  20〜22p 12匹    
   p  匹    
   p  匹    
少しましな型が1匹きました、30cm級バラシ、油断してました。 釣人:さわいち
西-5番  2011/09/14 (終日時〜 時)
グレ 20〜27p 15匹 オキアミ フカセ釣り
アオリイカ 8〜13p 10匹 エギ2.5号  
   p  匹    
   p  匹    
グレは浮いてますが小型が多いです。アオリは殆どがまだリリースサイズです。 釣人:管理人
西-5番  2010/09/14 (終日時〜 時)
グレ 18〜22p 8匹 オキアミ フカセ釣り
アオリイカ 8〜12p 11匹 エギ2.5号  
   p  匹    
   p  匹    
ボラがぐれ以上に浮いてるのでアタリが非常にややこしい 釣人:蔵之臣 <<<
東   2010/09/14 (終日時〜 時)
アオリ 全長約15p 4匹 餌木2.5号 ルアー・エギング
アオリ 胴長約15p 2匹    
   p  匹    
   p  匹    
詳細はコチラ。[Web] 釣人:Hiroki
東   2011/09/14 (夕方時〜 時)
アオリイカ 11p 2匹 エギ ルアー・エギング
   p  匹    
   p  匹    
   p  匹    
昨日のようには釣れませんでした 釣人:ガシラハンター
東   2011/09/13 (夜間時〜 時)
アオリイカ 9〜13p 10匹 エギ ルアー・エギング
   p  匹    
   p  匹    
   p  匹    
今シーズン初2桁いきました 釣人:ガシラハンター
平磯   2010/09/10 (午前中時〜 時)
ガシラ 22p 1匹 撃投ジグ ルアー・エギング
アジ 15〜18p 20匹    
   p  匹    
   p  匹    
今日の平磯は皆撃沈。詳しくは”サミタの波止釣り日記”で検索。 釣人:サミタ
中央-11番  2011/09/09 (夜間時〜 時)
太刀魚(指3本) 45p 1匹 キビナゴ ウキ釣り
   p  匹    
   p  匹    
   p  匹    
今季初の太刀魚は共食いされた痛々しい太刀魚君でした。 釣人:SHIGE
西   2011/09/08 (終日時〜 時)
アオリイカ 9〜14p 6匹 エギ フカセ釣り
ハネ 62〜67p 2匹 活きイワシ  
グレ 20〜27p 16匹 オキアミ  
   p  匹    
アオリは早朝エギングで、ハネは午前中飲ませで釣りました。フカセは12時〜16時。 釣人:管理人
西-5番  2010/09/08 (終日時〜 時)
グレ 20〜24p 18匹 オキアミ フカセ釣り
あおりいか 10〜12p 5匹 エギ2号  
   p  匹    
   p  匹    
少し小さいですがよく浮いていました、午後から潮が濁りさっぱりでした。 釣人:さわいち
東-9番  2011/09/06 (午後時〜 時)
チヌ 手の平p 2匹 オキアミ 紀州釣り
   p  匹    
   p  匹    
   p  匹    
あきまへーん 釣人:kもりた <<<
平磯-1番  2011/09/06 (午前中時〜 時)
ハマチ 43p 8匹 ミノー ルアー・エギング
   p  匹 PB  
   p  匹    
   p  匹    
朝一の30分で写真の7本(全てミノー)写真撮影後、PBで1本追加。 釣人:ジョイマン
中央-7番  2010/09/05 (夕方時〜 時)
スズキ 69p 1匹 イワシ 胴付き・探り釣り
カワハギ 13〜15p 8匹 青虫  
カマス 24p 1匹 ミノー  
   p  匹    
スズキは際のノマセ。カワハギはかなりの数がいます。 釣人:P.O
中央-5番  2011/08/31 (午前中時〜 時)
カワハギ 15〜18p 8匹 パワーイソメ 胴付き・探り釣り
キュウセンベラ 14p 1匹    
   p  匹    
   p  匹    
やはりカワハギはアタリが分かりにくい・・・でもおもしろい! 釣人:たまたつ <<<
西-1番  2011/08/30 (夜間時〜 時)
ケンサキイカ 胴長14p 1匹 餌木2.5号 ルアー・エギング
   p  匹    
   p  匹    
   p  匹    
今季初エギングでget。明確なアタリでした。 釣人:ジョイマン
西-5番  2010/08/28 (終日時〜 時)
グレ 20〜25p 3匹 オキアミ フカセ釣り
アオリイカ 7p 1匹 エギ  
   p  匹    
   p  匹    
仕掛けが入り過ぎると小アジが喰います。オセンは沖に出ません。 釣人:管理人
東-9番  2010/08/27 (午前中時〜 時)
チヌ 24p 1匹 オキアミ 紀州釣り
   p  匹    
   p  匹    
   p  匹    
これは絶対チヌです! 釣人:ひろ
東   2011/08/26 (夜間時〜 時)
アオリイカ 9〜12p 2匹 エギ ルアー・エギング
   p  匹    
   p  匹    
   p  匹    
詳細は[Web] 釣人:ガシラハンター
中央   2011/08/25 (夜間時〜 時)
ケンサキイカ 7〜10p 2匹 エギ ルアー・エギング
   p  匹    
   p  匹    
   p  匹    
詳細は[Web] 釣人:ガシラハンター
中央   2010/08/24 (夕方時〜 時)
アオリ 全長20p 2匹 餌木 ルアー・エギング
   p  匹    
   p  匹    
   p  匹    
詳細は[Web] 釣人:Hiroki <<<
西-2番  2011/08/24 (夕方時〜 時)
アオリイカ 7〜13p 5匹 エギ ルアー・エギング
   p  匹    
   p  匹    
   p  匹    
南向きは風強く断念。18時〜19時半までの釣果。13p以外は小さ過ぎてリリース。 釣人:管理人 <<<
中央-1番  2011/08/22 (夜間時〜 時)
アオリイカ 9p 1匹 エギ ルアー・エギング
   p  匹    
   p  匹    
   p  匹    
[Web] 釣人:ガシラハンター
中央   2010/08/19 (夕方時〜 時)
アオリ 胴長約14p 1匹 餌木 ルアー・エギング
アオリ 胴長約7p 1匹    
   p  匹    
   p  匹    
詳細はブログにて。[Web] 釣人:Hiroki <<<
東-6番  2011/08/20 (夜間時〜 時)
キビレ 25p 1匹 チヌボンボン ルアー・エギング
チヌ 45p 1匹    
   p  匹    
   p  匹    
キビレは、撮影中に暴れて海に逃亡しました。(^_^;) 釣人:KINGPROX
東-3番  2011/08/20 (早朝時〜 時)
メジロ 73p 1匹 小アジ 泳がせ釣り
   p  匹    
   p  匹    
   p  匹    
今期2本目は養殖の奇形魚でした。気の毒なのでリリース。 釣人:管理人
西-3番  2010/08/17 (午後時〜 時)
ガシラ 24p 1匹 キビナゴ 胴付き・探り釣り
小アジ 10〜13p 約50匹 アミエビ  
   p  匹    
   p  匹    
ガシラは日没後、ワンド内で。小アジは16時〜18時の間に飛ばしサビキで。 釣人:ゴールドレブンド
中央-4番  2011/08/14 (夜間時〜 時)
カマス 15-25p 3匹 キビナゴ ウキ釣り
   p  匹    
   p  匹    
   p  匹    
1.5ヒロ。20時〜21時で。 釣人:21.
東-6番  2011/08/13 (夜間時〜 時)
チヌ 40p 1匹 チヌボンボン ルアー・エギング
マゴチ 30p 1匹    
   p  匹    
   p  匹    
マゴチ初めて釣りました。 釣人:KINGPROX
中央-4番  2011/08/04 (午後時〜 時)
カワハギ 8−13p 5匹 マムシ ブッコミ釣り
   p  匹 青イソメ  
   p  匹    
   p  匹    
十分に 水分補給しましょう 釣人:崖っぷちの炎天下 <<<
中央-3番  2011/08/03 (夜間時〜 時)
カマス 20p 6匹 キビナゴ ウキ釣り
   p  匹    
   p  匹    
   p  匹    
同行者は27pまでを7尾。今が狙い目です。 釣人:管理人
西-2番  2011/08/01 (夜間時〜 時)
カマス 20〜27p 5匹 スピナー ルアー・エギング
   p  匹    
   p  匹    
   p  匹    
20時〜22時の釣果。アタリは頻繁にあります。 釣人:管理人
中央-6番  2011/08/01 (夜間時〜 時)
シーバス 44p 1匹 ワーム ルアー・エギング
   p  匹    
   p  匹    
   p  匹    
夏メバルを狙ってたところ鱸がHITしました  釣人:ガシラハンター
東-3番  2011/07/29 (夜間時〜 時)
サバ 39p 1匹 キビナゴ ウキ釣り
   p  匹    
   p  匹    
   p  匹    
12時半頃のアタリ。太刀魚は2時半頃に頻繁にアタルも釣れずに残念でした。 釣人:SHIGE
中央-11番  2011/07/28 (夜間時〜 時)
サバ 40p 1匹 キビナゴ ウキ釣り
   p  匹    
   p  匹    
   p  匹    
10時過ぎにきました!太刀魚のアタリもありました。 釣人:SHIGE
東-1番  2011/07/27 (午前中時〜 時)
アジ 7〜14p 59匹 アミエビ サビキ釣り
   p  匹    
   p  匹    
   p  匹    
天秤カゴ釣りも試みましたが、ガシラ、ベラのみ。昼ごろから強風のため引き揚げ。 釣人:YH
中央-3番  2010/07/24 (夜間時〜 時)
ガシラ 24p 1匹 キビナゴ 胴付き・探り釣り
   p  匹    
   p  匹    
   p  匹    
久々に良いサイズ。深夜までイワシが回遊していました。 釣人:ゴールドブレンド <<<
西-5番  2011/07/25 (午前中時〜 時)
べラ 11〜17p 24匹 地ゴカイ 投げ釣り
   p  匹    
   p  匹    
   p  匹    
東流で90m沖の潮目を狙って、オモリ23号PEラインの手持竿で当たりをキャッチ 釣人:秋グレ
中央-5番  2010/07/23 (午後時〜 時)
クジメ 17p 1匹 マムシ ブッコミ釣り
ハネ 40p 1匹 青イソメ  
セイゴ 30p 1匹    
   p  匹    
ポアレにして食べます 釣人:崖っぷちのギリシャ <<<
東-6番  2011/07/22 (夜間時〜 時)
うなぎ 56p 1匹 みみず ブッコミ釣り
   p  匹    
   p  匹    
   p  匹    
初のウナギ釣りでゲット!<br>30分程の釣行でした。 釣人:ともとも
西-5番  2010/07/22 (終日時〜 時)
グレ 27p 1匹 オキアミ フカセ釣り
   p  匹    
   p  匹    
   p  匹    
曇天、絶好の釣り日和。終日竿振って珠玉の一匹。 釣人:釣り好き
西-3番  2011/07/18 (早朝時〜 時)
メジロ 75p 1匹 活きイワシ 泳がせ釣り
   p  匹    
   p  匹    
   p  匹    
あまりの引きに腰が砕けそうになりました。 釣人:管理人
西-4番  2010/07/17 (夜間時〜 時)
アナゴ 41〜34p 2匹 サンマの切り身 投げ釣り
ガシラ 21p 1匹    
   p  匹    
   p  匹    
夏の夜釣りが本格化してきました。太刀魚はまだの様です。 釣人:SHIGE
東-4番  2010/07/17 (午後時〜 時)
ツバス 35p 1匹 ジグ ルアー・エギング
   p  匹    
   p  匹    
   p  匹    
よく走った 釣人:うみぼうず <<<
中央-1番  2010/07/13 (午前中時〜 時)
アイナメ 16p 1匹 アオイソメ 落とし込み・前打ち
ベラ 15p 1匹 ゴカイ  
オニカサゴ フグなど 5〜10p 5匹    
   p  匹    
アイナメは開始2分でゲット。落とし込んでサイトフィッシングみたいな感じで 釣人:新米釣り師ky <<<
中央-5番  2010/07/03 (午後時〜 時)
青べら 27p 1匹 まむし ブッコミ釣り
カサゴ 19.5p 1匹 石ごかい  
   p  匹    
   p  匹    
もう一匹 欲しいです 釣人:崖っぷちのナダル <<<
西-5番  2010/06/28 (夕方時〜 時)
グレ 15〜20p 11匹 オキアミ フカセ釣り
   p  匹    
   p  匹    
   p  匹    
ポイントには釣り人がいませんでしたがグレもいませんでした。強風で難しい 釣人:ISO <<<
西-5番  2011/06/29 (午後時〜 時)
グレ 24p 1匹 オキアミ フカセ釣り
   p  匹    
   p  匹    
   p  匹    
15p以下はたくさん居ますが、キープサイズは見えません。今年は非常に厳しいです。 釣人:管理人
東-9番  2010/06/29 (午後時〜 時)
ボラ 60〜66p 8匹 オキアミ 紀州釣り
   p  匹    
   p  匹    
   p  匹    
腕肩痛が心配でーす。チヌは居ませんでした。写真撮るのもあほらしい!! 釣人:kもりた <<<
西-5番  2011/06/22 (終日時〜 時)
グレ 23〜24p 3匹 オキアミ フカセ釣り
   p  匹    
   p  匹    
   p  匹    
ボラ、オセン、コッパの活性は高いです。 釣人:せきやん
中央   2011/06/21 (夜間時〜 時)
メバル 30p 1匹 ワーム ルアー・エギング
   p  匹    
   p  匹    
   p  匹    
下記釣果尺メバルです 詳しくはブログで 釣人:ガシラハンター
中央   2011/06/21 (夜間時〜 時)
メバル 15p 1匹 ワーム ルアー・エギング
メバル 20〜25p 6匹    
メバル 30p 1匹    
   p  匹    
梅雨メバル、フルボッコしてしまいました 釣人:ガシラハンター
西-5番  2011/06/15 (終日時〜 時)
グレ 27p 1匹 おきあみ フカセ釣り
さより 35p 1匹    
   p  匹    
   p  匹    
Give… 釣人:せきやん
西-5番  2010/06/15 (終日時〜 時)
グレ 23p 1匹 オキアミ フカセ釣り
   p  匹    
   p  匹    
   p  匹    
オセンとボラは活発ですがグレは釣れる気配が全くありません。 釣人:さわいち
西-5番  2011/06/14 (終日時〜 時)
グレ 22〜25p 2匹 オキアミ フカセ釣り
   p  匹    
   p  匹    
   p  匹    
グレの気配は殆どありません。見えているのは15p以下ばかりです。 釣人:管理人
西-5番  2011/06/14 (終日時〜 時)
グレ 20〜25p 6匹 オキアミ フカセ釣り
   p  匹    
   p  匹    
   p  匹    
渋すぎ。 釣人:サトシF
中央-11番  2011/06/14 (夜間時〜 時)
メバル 12〜22p 8匹 ワーム ルアー・エギング
   p  匹    
   p  匹    
   p  匹    
まだまだ釣れます梅雨メバル^^(夜間1時間半の釣果) 釣人:ガシラハンター
西-5番  2011/06/14 (終日時〜 時)
グレ 24p 1匹 オキアミ フカセ釣り
   p  匹    
   p  匹    
   p  匹    
疲れた 釣人:秋グレ
東-2番  2010/06/10 (夜間時〜 時)
メバル 17〜18p 5匹 青イソメ ウキ釣り
   p  匹    
   p  匹    
   p  匹    
深夜のウキ釣り。水潮のためか貧果でした。 釣人:さっさん
西-5番  2011/06/10 (終日時〜 時)
グレ 21〜25p 4匹 オキアミ フカセ釣り
   p  匹    
   p  匹    
   p  匹    
管理人さんのアドバイスで遠投。エサが届いたとき釣れました。 釣人:釣り好き
西-5番  2011/06/09 (終日時〜 時)
グレ 21〜29p 14匹 オキアミ フカセ釣り
   p  匹    
   p  匹    
   p  匹    
10時半〜16時の釣果。グレは浮きませんでしたが1〜2ヒロで喰って来ました。 釣人:管理人
中央-8番  2011/06/07 (夜間時〜 時)
メバル 15〜20p 7匹 ワーム ルアー・エギング
メバル 25p 1匹    
   p  匹    
   p  匹    
25cm出ました^^ 詳しくはブログで 釣人:ガシラハンター
西-5番  2011/06/06 (終日時〜 時)
グレ 27p 1匹 オキアミ フカセ釣り
グレ 22p 1匹    
   p  匹    
   p  匹    
全く浮いてきません。竿3〜4本先で釣れました。 釣人:釣り好き
平磯-5番  2010/06/05 (午後時〜 時)
カサゴ 19-27p 2匹 マムシ ブッコミ釣り
   p  匹    
   p  匹    
   p  匹    
貧打、貧打の連続 釣人:崖っぷちのタイガース <<<
平磯-6番  2011/06/04 (夜間時〜 時)
メバル 22p 2匹 ワーム ルアー・エギング
メバル 23p 1匹    
   p  匹    
   p  匹    
ブリーデン13styleフィッシングカップでの釣果です。詳細はブログで。 釣人:ガシラハンター
一文字-9番  2010/06/04 (夜間時〜 時)
アイナメ 10p 2匹 マムシ 胴付き・探り釣り
ガシラ 19〜20p 2匹    
   p  匹    
   p  匹    
強風と高波で釣り難かったです。 釣人:SHIGE
西-5番  2011/06/04 (午後時〜 時)
グレ 24p 1匹 オキアミ フカセ釣り
   p  匹    
   p  匹    
   p  匹    
小さいですが、今年初グレです。 釣人:せきやん
西-5番  2011/06/03 (終日時〜 時)
グレ 27p 1匹 オキアミ フカセ釣り
   p  匹    
   p  匹    
   p  匹    
マグレ、今年初釣り。 釣人:釣り好き
西-5番  2010/06/02 (終日時〜 時)
グレ 24〜28p 4匹 オキアミ フカセ釣り
グレ 〜20p 5匹    
   p  匹    
   p  匹    
竿3本先タナは1ヒロ,きわは木っ葉ばかりでした。 釣人:さわいち
中央-6番  2010/05/30 (夜間時〜 時)
メバル 22p 1匹 青虫 ウキ釣り
   p  匹    
   p  匹    
   p  匹    
アタリはあります 今の時期細いハリスではせっかくの大物きられますよ 釣人:しんのすけ
西-5番  2011/05/24 (終日時〜 時)
グレ 22〜28p 3匹 オキアミ フカセ釣り
   p  匹    
   p  匹    
   p  匹    
オセン、ボラ活発。グレは見えません。 釣人:管理人
西-5番  2010/05/24 (午後時〜 時)
グレ 24,29p 2匹 オキアミ フカセ釣り
   p  匹    
   p  匹    
   p  匹    
今日も厳しい1日でした。 釣人:さわいち
中央-6番  2011/05/21 (夜間時〜 時)
メバル 12〜18p 12匹 ワーム ルアー・エギング
   p  匹    
   p  匹    
   p  匹    
詳細は[Web] 釣人:ガシラハンター
西-5番  2011/05/21 (午後時〜 時)
グレ 30p 1匹 オキアミ フカセ釣り
   p  匹    
   p  匹    
   p  匹    
強風の中粘り、ようやく納竿間際にまぐれで釣れました。グレは終日浮かず。 釣人:管理人
西-5番  2010/05/20 (午後時〜 時)
グレ 26p 1匹 オキアミ フカセ釣り
グレ 22p 1匹    
   p  匹    
   p  匹    
グレは浮いてきましたが口は使いませんでした。 釣人:さわいち
西-5番  2010/05/18 (終日時〜 時)
グレ 23p 1匹 オキアミ フカセ釣り
   p  匹    
   p  匹    
   p  匹    
やっと釣れました… 釣人:わいるだー
西-5番  2011/05/18 (終日時〜 時)
グレ 25〜30p 3匹 オキアミ フカセ釣り
コッパ 18p 1匹    
   p  匹    
   p  匹    
当て潮、濁り潮で苦戦。でも今年初出撃でボーズにならずにすんでよかった。 釣人:グチオヤジ
西-5番  2011/05/18 (午後時〜 時)
グレ 29p 1匹 オキアミ フカセ釣り
   p  匹    
   p  匹    
   p  匹    
今シーズンの初グレです。午後から濁流が流れ活性は良く無かったです。 釣人:管理人
中央-8番  2011/05/17 (夕方時〜 時)
メバル 17〜22p 7匹 青虫 ウキ釣り
   p  匹    
   p  匹    
   p  匹    
八時頃から地合OK メバル簡単に ゲット 棚2.25位 今夜は潮が良かった 釣人:しんのすけ
中央-11番  2011/05/14 (夜間時〜 時)
メバル 15〜18p 13匹 ワーム ルアー・エギング
   p  匹    
   p  匹    
   p  匹    
詳細は[Web] 釣人:ガシラハンター
東   2010/05/15 (夜間時〜 時)
メバル 22p 1匹 ワーム ルアー・エギング
   p  匹    
   p  匹    
   p  匹    
良型です。詳細はブログにて[Web] 釣人:Hiroki
西-5番  2011/05/14 (夕方時〜 時)
アイナメ 23p 1匹 マムシ 投げ釣り
   p  匹    
   p  匹    
   p  匹    
久々の投稿です。今年2度目の釣行で初釣果でした。 釣人:SHIGE
西-5番  2010/05/14 (午前中時〜 時)
海タナゴ 31p 1匹 オキアミ フカセ釣り
めばる 14〜17p 2匹    
   p  匹    
   p  匹    
今日も水温は低かったです、でもグレのシーズンは近そうです。 釣人:さわいち
東-9番  2010/05/08 (終日時〜 時)
カレイ 15〜25p 3匹 青マム ブッコミ釣り
   p  匹    
   p  匹    
   p  匹    
辛気臭い・・・また来年 釣人:3104k
東-4番  2011/05/08 (終日時〜 時)
チヌ 42p 1匹 おきあみ フカセ釣り
   p  匹    
   p  匹    
   p  匹    
NIGHT氏のアドバイスお陰でPM5時過ぎに竿1本3ヒロそこベタで 釣人:せきやん
中央-11番  2011/05/06 (夜間時〜 時)
メバル 12〜17p 5匹 かぶら ルアー・エギング
   p  匹    
   p  匹    
   p  匹    
中層の早引きで連れました。 釣人:Kingprox
中央-11番  2011/05/05 (夜間時〜 時)
メバル 12〜15p 3匹 かぶら ルアー・エギング
   p  匹    
   p  匹    
   p  匹    
夜光虫で海が光っていました。 釣人:Kingprox
東   2010/05/06 (夜間時〜 時)
メバル 12〜18p 約30匹 ジグヘッド ルアー・エギング
   p  匹    
   p  匹    
   p  匹    
詳細はブログにて[Web] 釣人:Hiroki
東-6番  2011/05/06 (午後時〜 時)
チヌ 35p 1匹 オキアミ フカセ釣り
   p  匹    
   p  匹    
   p  匹    
17時頃、際狙いタナ4ヒロでヒットしました。 釣人:管理人
東-4番  2010/05/05 (終日時〜 時)
チヌ 33-39p 2匹 オキアミ フカセ釣り
   p  匹    
   p  匹    
   p  匹    
ノッコミ!!!3回アタリありました。最初の1枚目はボラ級!バラシ。残念!!! 釣人:NIGHT
西-5番  2010/05/04 (終日時〜 時)
めばる 15〜17p 5匹 オキアミ フカセ釣り
   p  匹    
   p  匹    
   p  匹    
グレの気配全く無く、付け餌が冷たいので、グレはもうしばらくかかりそうです。 釣人:さわいち <<<
中央-8番  2010/05/03 (夜間時〜 時)
メバル 15〜23p 11匹 青虫 ウキ釣り
   p  匹    
   p  匹    
   p  匹    
16p以下はリリースしました。 釣人:マツパパ
西-5番  2011/05/03 (午後時〜 時)
コブダイ 35〜40p 2匹 オキアミ フカセ釣り
メバル 10〜15p 4匹    
   p  匹    
   p  匹    
グレ狙いでの釣行でしたが姿見えず。オセンも全くいません。コブはタナ4ヒロ。 釣人:管理人
東-9番  2010/05/03 (午後時〜 時)
カレイ 16〜26p 2匹 青虫 ブッコミ釣り
   p  匹    
   p  匹    
   p  匹    
毎年恒例のカレイ釣り。2時間の釣果っす 釣人:3104k
東-4番  2010/05/03 (午前中時〜 時)
メバル 15p 3匹 オキアミ フカセ釣り
   p  匹    
   p  匹    
   p  匹    
6時から8時半の釣果。グレは釣れませんでした。 釣人:西っさん <<<
中央-11番  2011/05/02 (夜間時〜 時)
メバル 23p 1匹 かぶら ルアー・エギング
   p  匹    
   p  匹    
   p  匹    
バイトはあるが、なかなかのらない(>_<) 釣人:Kingprox
東-6番  2010/05/02 (午前中時〜 時)
チヌ 30p 1匹 オキアミ 紀州釣り
   p  匹    
   p  匹    
   p  匹    
竿2本先のホンダワラ奥。まだエサ取りも少ない様子。これからの上向きに期待。 釣人:もりさん <<<
中央-6番  2011/04/12 (夜間時〜 時)
ガシラ 20p 1匹 ワーム ルアー・エギング
   p  匹    
   p  匹    
   p  匹    
メバル撃沈、リグを替えてボトム狙いでガシラHIT 釣人:ガシラハンター
中央-6番  2011/04/09 (夜間時〜 時)
メバル 15〜18p 2匹 ワーム ルアー・エギング
   p  匹    
   p  匹    
   p  匹    
1時間やってメバル2匹 くさい釣果でした 釣人:ガシラハンター
東-6番  2011/03/26 (午前中時〜 時)
メバル 10〜17p 7匹 オキアミ フカセ釣り
   p  匹    
   p  匹    
   p  匹    
ワカメが邪魔で、際は攻められません。 釣人:ひろ
西-4番  2011/04/04 (午後時〜 時)
アイナメ 18〜26p 2匹 青イソメ 投げ釣り
   p  匹 マムシ  
   p  匹    
   p  匹    
異様にデカいクサフグも釣れました。 釣人:なめまろ
中央-11番  2010/03/31 (夜間時〜 時)
メバル 16p 1匹 ワーム ルアー・エギング
メバル 10〜11p 3匹    
   p  匹    
   p  匹    
チビばっかりですね。。。 釣人:ゴールドブレンド <<<
西-5番  2010/03/27 (終日時〜 時)
チヌ  p 0匹 オキアミ フカセ釣り
グレ  p 0匹    
   p  匹    
   p  匹    
生命反応はフグ7cm、ガシラ10cmと隣人のメバル15cmクラスx10尾程度だけ 釣人:やまぱぱ <<<
一文字-4番  2010/03/19 (終日時〜 時)
メバル 17〜27p 20匹 ワーム 胴付き・探り釣り
   p  匹 シラウオ  
   p  匹    
   p  匹    
今日も良い釣りができました。
詳しくはHPまで。
釣人:DAIJYO
一文字-6番  2010/03/06 (午前中時〜 時)
メバル 17〜29p 12匹 ワーム ルアー・エギング
   p  匹 シラウオ  
   p  匹    
   p  匹    
久々の一文字釣行です。
詳しくは「DAIJYOの釣りバカ日記」まで。
釣人:DAIJYO
中央-5番  2011/03/11 (午前中時〜 時)
ガシラ 20〜21p 0匹 マムシ ブッコミ釣り
   p  匹    
   p  匹    
   p  匹    
必ず 携帯ラジオを持っていきましょう 釣人:崖っぷちのニッポン <<<
東-1番  2010/03/02 (夜間時〜 時)
メバル 14〜19p 12匹 ワーム ルアー・エギング
メバル 20〜23p 3匹    
   p  匹    
   p  匹    
時合の間だけ反応がよかったです。短時間でしたが、よく釣れました。 釣人:Hiroki
東-5番  2011/02/18 (夕方時〜 時)
メバル 20〜27p 3匹 ワーム ルアー・エギング
メバル 13〜19p 7匹    
   p  匹    
   p  匹    
暗くなってから時合の間だけ釣れました。地合い以外は非常に反応が悪かったです。 釣人:Hiroki
東   2011/02/19 (夜間時〜 時)
メバル 12〜15p 15匹 ワーム ルアー・エギング
   p  匹    
   p  匹    
   p  匹    
判を捺したように同じようなロリサイズばかり… 疲れました 釣人:ガシラハンター
東   2011/02/16 (夜間時〜 時)
メバル 10〜19p 16匹 ワーム ルアー・エギング
   p  匹    
   p  匹    
   p  匹    
東エリアのランガンで久々にメバリング爆りました 詳しくはブログで 釣人:ガシラハンター
西   2010/02/12 (夜間時〜 時)
ガシラ 23p 1匹 ワーム ルアー・エギング
   p  匹    
   p  匹    
   p  匹    
初のワーム釣りで良型ゲット!♨の前の砂浜で投げました。明朝の朝飯にします。 釣人:Mr.ゴム
東-9番  2011/02/12 (夜間時〜 時)
メバル 13〜14p 3匹 ワーム ルアー・エギング
   p  匹    
   p  匹    
   p  匹    
潮が悪く貧果でしたがリハビリを兼ねて楽しめました 詳しくはブログで 釣人:ガシラハンター
東-7番  2010/02/05 (午前中時〜 時)
あぶらめ 20p 1匹 シラサ エビ撒き釣り
   p  匹    
   p  匹    
   p  匹    
ほんとにつれませんね。ところで水温はどこの温度ですか 釣人:ケブ <<<
中央-4番  2011/02/05 (夜間時〜 時)
メバル 12〜15p 5匹 ワーム ルアー・エギング
   p  匹    
   p  匹    
   p  匹    
釣れることは釣れるのですがマイクロサイズばかりでした。詳しくはブログで 釣人:ガシラハンター
中央-6番  2011/02/02 (夜間時〜 時)
メバル 20p 1匹 ミノー ルアー・エギング
   p  匹    
   p  匹    
   p  匹    
ミノーで初めて釣れました。
詳しくはブログで
釣人:ガシラハンター
東-6番  2011/01/29 (午後時〜 時)
アイナメ 31p 1匹 オキアミ フカセ釣り
ガシラ 20p 1匹    
   p  匹    
   p  匹    
東6先端で6ヒロ。エサトリも全くいません。水温低く厳しい状況でした。 釣人:ノリさん
東-4番  2010/01/21 (夜間時〜 時)
クロソイ 27p 1匹 ワーム ルアー・エギング
メバル 17p 2匹    
セイゴ 20〜28p 2匹    
   p  匹    
いい引きしました!
詳しくは「大城の釣りバカ日記」まで。
釣人:ジョー
東-6番  2010/01/24 (午後時〜 時)
チヌ 30〜35p 2匹 オキアミ フカセ釣り
   p  匹    
   p  匹    
   p  匹    
紀州にフカセに迷走しましたが、ようやく初物を上げることができました。 釣人:ふじ★もん
中央-11番  2010/01/23 (夜間時〜 時)
メバル 10〜16p 4匹 青虫 胴付き・探り釣り
ガシラ 12p 1匹    
   p  匹    
   p  匹    
水路での釣果です。ポツポツと釣れました。 釣人:ゴールドブレンド <<<
平磯-6番  2011/01/23 (午後時〜 時)
ガシラ 15p 0匹 マムシ 投げ釣り
ハゼ 15p 1匹    
   p  匹    
   p  匹    
午後から強風で、当たり分からず、 釣人:崖っぷちの日韓戦 <<<
中央-6番  2011/01/19 (夜間時〜 時)
メバル 12〜15p 3匹 ワーム ルアー・エギング
   p  匹    
   p  匹    
   p  匹    
大潮満潮にトライしたのですがショボい釣果となりました。詳しくはブログで。 釣人:ガシラハンター
東-5番  2010/01/15 (午後時〜 時)
チヌ 40-42p 2匹 オキアミ フカセ釣り
   p  匹    
   p  匹    
   p  匹    
投稿遅くなりましたが土曜に2枚でした。いつもの通り16時から連荘です。 釣人:NIGHT
東-4番  2011/01/11 (夜間時〜 時)
メバル 10〜17p 16匹 ワーム ルアー・エギング
   p  匹    
   p  匹    
   p  匹    
20時〜22時の2時間のメバリングの釣果です。詳しくはブログで。 釣人:ガシラハンター
中央-3番  2011/01/08 (夜間時〜 時)
メバル 10〜17p 14匹 ワーム ルアー・エギング
   p  匹    
   p  匹    
   p  匹    
まだまだサイズが小さいですがランガンが功を奏して結構釣れました。 釣人:ガシラハンター
東-6番  2010/01/08 (午後時〜 時)
チヌ 37p 1匹 オキアミ フカセ釣り
   p  匹    
   p  匹    
   p  匹    
タナ3ヒロぐらいできました。 釣人:まさ <<<
東-4番  2011/01/08 (午後時〜 時)
チヌ 38〜40p 3匹 オキアミ フカセ釣り
   p  匹    
   p  匹    
   p  匹    
潮止まりの15時位から1時間で釣れました。ウキ下2ヒロ沈め釣り。 釣人:ノリさん
東-4番  2010/01/08 (午後時〜 時)
チヌ 30-48p 2匹 オキアミ フカセ釣り
   p  匹    
   p  匹    
   p  匹    
15時30分、16時20分頃に来ました。一人脱走のためお隣さんに負けました。 釣人:NIGHT
西-5番  2011/01/03 (午後時〜 時)
グレ 27p 1匹 オキアミ フカセ釣り
   p  匹    
   p  匹    
   p  匹    
初釣り。駄目元で行きましたが、親切な1匹が遊んでくれました。 釣人:トモ
中央-4番  2011/01/05 (夜間時〜 時)
メバル 10〜15p 6匹 ワーム ルアー・エギング
   p  匹    
   p  匹    
   p  匹    
19時から1時間弱の釣果です。まだまだ型が小さいですがメバルゲーム楽しめました。 釣人:ガシラハンター
東-4番  2010/01/04 (午後時〜 時)
チヌ 36p 1匹 オキアミ フカセ釣り
   p  匹    
   p  匹    
   p  匹    
際狙い、2.5ヒロで来ました。 釣人:NIGHT
中央-4番  2010/01/02 (午後時〜 時)
カサゴ 15p 1匹 マムシ ブッコミ釣り
   p  匹    
   p  匹    
   p  匹    
初詣後に、 釣人:崖っぷちの派遣社員 <<<
東-4番  2010/12/22 (夜間時〜 時)
セイゴ 20〜30p 16匹 青虫 ブッコミ釣り
   p  匹    
   p  匹    
   p  匹    
虫ヘッド釣法。
詳しくは「大城の釣りバカ日記」にて。
釣人:ジョー
東-9番  2010/12/19 (終日時〜 時)
ウミケムシ 15p 2匹 アオイソメ 投げ釣り
   p  匹    
   p  匹    
   p  匹    
はじめてつりました。
かなりショッキングです。
釣人:まーさん <<<
西-5番  2010/12/21 (終日時〜 時)
グレ 23〜30p 5匹 オキアミ フカセ釣り
   p  匹    
   p  匹    
   p  匹    
午前中はオセンの姿も無く生命反応ゼロ。グレは12時〜14時に単発で釣れました。 釣人:管理人
西-5番  2010/12/21 (終日時〜 時)
グレ 26,27p 2匹 オキアミ フカセ釣り
   p  匹    
   p  匹    
   p  匹    
管理人さんありがとうごさいました。 釣人:さわいち
中央-10番  2010/12/20 (夜間時〜 時)
メバル 10〜14p 9匹 ワーム ルアー・エギング
シーバス 22〜28p 3匹    
   p  匹    
   p  匹    
メバリングでシーバスがしかも3匹釣れました!!詳しくはブログで 釣人:ガシラハンター
西-5番  2010/12/20 (終日時〜 時)
グレ 22〜30p 5匹 オキアミ フカセ釣り
   p  匹    
   p  匹    
   p  匹    
午後から竿3〜4本先タナは2ヒロ半活性は低かったです。 釣人:さわいち
東-6番  2010/12/19 (午後時〜 時)
コブダイ 30p 1匹 マムシ ブッコミ釣り
ガシラ 17〜25p 6匹    
ハゼ 20p 1匹    
   p  匹    
風も穏やかで、サイコー。 釣人:崖っぷちの海老 <<<
中央-4番  2010/12/19 (夜間時〜 時)
ガシラ 15p 1匹 ワーム ルアー・エギング
   p  匹    
   p  匹    
   p  匹    
本日も1時間ほど撃ちに行きましたがメバルはいませんでした。 釣人:ガシラハンター
西-5番  2010/12/19 (午後時〜 時)
グレ 22〜30p 4匹 オキアミ フカセ釣り
ウマヅラ 22p 1匹    
   p  匹    
   p  匹    
13時半〜16時までの釣果。夕方は全く釣れませんでした。 釣人:管理人
西-5番  2010/12/19 (終日時〜 時)
グレ 23〜29p 4匹 オキアミ フカセ釣り
タナゴ 24p 1匹    
カモメ 50p 1匹    
   p  匹    
水温が上がる昼からが良いようです。今日はスプール落としてしまいました。 釣人:ノリさん
西-5番  2010/12/19 (午後時〜 時)
グレ 28〜29p 2匹 おきあみ フカセ釣り
   p  匹    
   p  匹    
   p  匹    
今日は色々勉強になりました。遠投しラインだけで小さい当たりを取るのは無理です.. 釣人:せきやん
中央-9番  2010/12/16 (夕方時〜 時)
ムラソイ 16p 1匹 ワーム ルアー・エギング
ガシラ 15p 1匹    
   p  匹    
   p  匹    
夕方1時間弱の釣果。気温5度ととにかく寒かったです。 釣人:ガシラハンター
西-5番  2010/12/13 (午後時〜 時)
グレ 23〜30p 5匹 オキアミ フカセ釣り
コッパグレ 18p 2匹    
   p  匹    
   p  匹    
久しぶりの垂水です 難しいですね 釣人:O氏
西-5番  2010/12/11 (午後時〜 時)
くれ 23〜28p 3匹 おきあみS フカセ釣り
   p  匹    
   p  匹    
   p  匹    
西5に入る事は珍しく、常連さんにもっと話をし情報を...反省です 釣人:せきやん
一文字-6番  2010/12/11 (終日時〜 時)
グレ 20-27p 10匹 オキアミ フカセ釣り
   p  匹    
   p  匹    
   p  匹    
船着き場南向き。風が強い!潮が早い!腕がない! 釣人:NIGHT
西-5番  2010/12/11 (午前中時〜 時)
グレ 26〜32p 2匹 オキアミ フカセ釣り
   p  匹    
   p  匹    
   p  匹    
8時ごろに釣れました。その後強風・うねりのため退散。 釣人:ひろ
西-5番  2010/12/10 (終日時〜 時)
グレ 23-29p 6匹 オキアミ フカセ釣り
   p  匹    
   p  匹    
   p  匹    
満員状態。釣場間隔が狭く、釣り辛かった。でも自分の技量ならまあまあか。 釣人:釣り好き
中央-11番  2010/12/09 (午後時〜 時)
ウマズラハギ 21p 1匹 シラサエビ サビキ釣り
海タナゴ 17p 1匹 オキアミ  
   p  匹    
   p  匹    
中1の期末テストが終わって行きました結構ウマズラがいて友達はアジが釣れてました 釣人:中☆のんちゃん☆1 <<<
西-5番  2010/12/10 (終日時〜 時)
グレ 21〜31p 26匹 オキアミ フカセ釣り
ウマヅラ 20〜36p 2匹    
   p  匹    
   p  匹    
タナは1m〜3ヒロとマチマチ。夕方、良型が連発しました。30pオーバーは3枚。 釣人:管理人
西-5番  2010/12/07 (終日時〜 時)
グレ 22〜28p 10匹 オキアミ フカセ釣り
   p  匹    
   p  匹    
   p  匹    
釣っている所を潜り漁をされて最悪、3時間ぐらい釣れませんでした。 釣人:さわいち
西-5番  2010/12/06 (終日時〜 時)
グレ 22-30p 7匹 オキアミ フカセ釣り
   p  匹    
   p  匹    
   p  匹    
これと言った時間無し。バラバラ、ぼつぼつ釣れました。疲れた。 釣人:釣り好き <<<
西-5番  2010/12/06 (終日時〜 時)
グレ 23〜29p 6匹 オキアミ フカセ釣り
   p  匹    
   p  匹    
   p  匹    
朝から満員御礼、餌が沢山入っているのかオセンもグレも撒き餌に反応なし 釣人:さわいち
一文字-6番  2010/12/05 (午後時〜 時)
グレ 21p 18匹 オキアミ フカセ釣り
   p  匹    
   p  匹    
   p  匹    
風も無く昨日よりは釣りやすかったです。 釣人:NIGHT
西-5番  2010/12/05 (終日時〜 時)
カレイ 32p 1匹 マムシ 投げ釣り
アイナメ 22p 1匹    
   p  匹    
   p  匹    
アジュールのサーフでの釣果です。8時頃にアタリましたが、午後はさっぱりでした。 釣人:SHIGE
一文字-4番  2010/12/04 (終日時〜 時)
グレ 23〜30p 15匹 オキアミ フカセ釣り
   p  匹    
   p  匹    
   p  匹    
久しぶりの垂一。人が多く撒き餌入りすぎ。やっと2桁です。 釣人:ノリさん
西-5番  2010/12/04 (終日時〜 時)
グレ 24-30p 9匹 オキアミ フカセ釣り
   p  匹    
   p  匹    
   p  匹    
遅く出たら満席。ひろさんに場所譲ってもらいました。釣果安定の兆し。 釣人:釣り好き <<<
一文字-4番  2010/12/04 (終日時〜 時)
グレ 21-30p 19匹 オキアミ フカセ釣り
   p  匹    
   p  匹    
   p  匹    
風があり隣人ありで難しいです。 釣人:NIGHT
西-5番  2010/12/04 (午前中時〜 時)
グレ 28〜31p 4匹 オキアミ フカセ釣り
グレ 25以下p 2匹    
   p  匹    
   p  匹    
9時前後の30分ぐらいで釣れました。 釣人:ひろ
西-5番  2010/12/01 (終日時〜 時)
グレ 23-29p 7匹 オキアミ フカセ釣り
アイゴ 19p 1匹    
海タナゴ 21p 1匹    
   p  匹    
忘れ物 「杓 釣研」 090-1462-1912 連絡願いたく。 釣人:釣り好き
西-5番  2010/12/01 (終日時〜 時)
グレ 23〜32p 12匹 オキアミ フカセ釣り
ウマヅラ 15〜22p 3匹    
   p  匹    
   p  匹    
釣座は中央付近。納竿間際に一瞬グレが浮いて、30pオーバー連発(3枚)しました。 釣人:管理人
西-3番  2010/11/30 (終日時〜 時)
グレ 25〜30p 12匹 オキアミ フカセ釣り
   p  匹    
   p  匹    
   p  匹    
6:30既に5番は満員。アジいっぱい。アタリは渋めだが、良型ぞろいでした。 釣人:グチオヤジ <<<
中央-7番  2010/11/30 (夜間時〜 時)
アオリイカ 17p 1匹 エギ3.5号 ルアー・エギング
   p  匹    
   p  匹    
   p  匹    
昨シーズンメバリング実績ポイントリサーチを兼ねて中央エリアでエギングしてきました 釣人:ガシラハンター
西-5番  2010/11/29 (終日時〜 時)
グレ 23〜30p 7匹 オキアミ フカセ釣り
   p  匹    
   p  匹    
   p  匹    
まだまだアジがたっぷりいます、居なくなった時に遠投でパラパラ釣れました 釣人:さわいち
西-5番  2010/11/28 (夜間時〜 時)
タコ 3〜5p 3匹 エギ3.5号 ルアー・エギング
   p  匹    
   p  匹    
   p  匹    
アオリイカはもう終了のようです。
かわりに小タコが3匹釣れました。
釣人:ガシラハンター
一文字-6番  2010/11/28 (午前中時〜 時)
グレ 20-28p 10匹 オキアミ フカセ釣り
   p  匹    
   p  匹    
   p  匹    
東船着き南側。人も少なく釣安かったですが、風が強くなり9時過ぎで断念。 釣人:NIGHT
中央-10番  2010/11/28 (午後時〜 時)
アイナメ 19p 1匹 マムシ 投げ釣り
   p  匹    
   p  匹    
   p  匹    
エサ獲りは少なかったのですが、カレイ不発に終わりました。 釣人:SHIGE
西-5番  2010/11/27 (終日時〜 時)
グレ 26〜30p 15匹 オキアミ フカセ釣り
グレ 20〜26p 11匹    
   p  匹    
   p  匹    
午後からアジが回り出し苦戦。サヨリは居なかったです。タナは矢引き〜2ヒロ。 釣人:管理人
東-4番  2010/11/26 (午前中時〜 時)
グレ 22−27p 7匹 オキアミ フカセ釣り
こっぱぐれ 10−20p 15匹    
   p  匹    
   p  匹    
こっぱとフグがおおく、釣りにくかった。 釣人:kazuki <<<
西-5番  2010/11/27 (終日時〜 時)
グレ 24〜29p 9匹 オキアミ フカセ釣り
   p  匹    
   p  匹    
   p  匹    
あのアタリは私には取れません。 釣人:まさ <<<
西-5番  2010/11/24 (午後時〜 時)
グレ 21〜30p 11匹 オキアミ フカセ釣り
ウマヅラ 17〜20p 2匹    
   p  匹    
   p  匹    
13時〜16時の釣果。釣人10名で超満員。釣座は中央付近。タナは1mまで。 釣人:管理人
西-5番  2010/11/24 (終日時〜 時)
グレ 20〜26p 5匹 オキアミ フカセ釣り
   p  匹    
   p  匹    
   p  匹    
午前中はサヨリ地獄、午後からはポツポツ、30cm級はばらし、もっと修行します。 釣人:さわいち
東-4番  2010/11/23 (終日時〜 時)
グレ 22〜27p 3匹 おきあみ フカセ釣り
ちぬ 27p 1匹    
おまづら 35p 1匹    
   p  匹    
ウマヅラ食べ方教えて頂き、N先輩有難うございました。キモ非常に美味でした。 釣人:せきやん
東-4番  2010/11/23 (午後時〜 時)
グレ 23-29p 4匹 オキアミ フカセ釣り
   p  匹    
   p  匹    
   p  匹    
小さいフグが沢山いました。 釣人:NIGHT
西-5番  2010/11/22 (終日時〜 時)
グレ 24〜28p 6匹 オキアミ フカセ釣り
アイゴ 22p 1匹    
サヨリ 32p 1匹    
   p  匹    
朝1時間ほど釣れました、すぐにアジが回って来てさっぱりでした。 釣人:さわいち <<<
西-5番  2010/11/21 (午前中時〜 時)
グレ 22〜29p 9匹 オキアミ フカセ釣り
   p  匹    
   p  匹    
   p  匹    
グレ浮かず、サヨリに苦しみました。 釣人:わいるだー
東-9番  2010/11/21 (午後時〜 時)
カワハギ 17p 1匹 青虫 投げ釣り
キス、ガッチョ 14〜18p 4匹    
チャリコ 13〜15p 3匹    
   p  匹    
カレイは釣れず。小物釣り楽しめました。 釣人:ゴールドブレンド <<<
中央-10番  2010/11/21 (終日時〜 時)
カレイ 21p 1匹 マムシ 投げ釣り
   p  匹    
   p  匹    
   p  匹    
11〜2時までの釣行で今期初の港内でのカレイでした。 釣人:SHIGE
西-5番  2010/11/20 (終日時〜 時)
カレイ 17〜31p 2匹 マムシ 投げ釣り
   p  匹    
   p  匹    
   p  匹    
アジュールのサーフでの釣果です。潮変わりの11時半頃と2時半頃にアタリました。 釣人:SHIGE
東-4番  2010/11/19 (夜間時〜 時)
アオリイカ 34p 1匹 エギ3.5号 ルアー・エギング
   p  匹    
   p  匹    
   p  匹    
34cm;1,600g
垂水の釣り情報記録再更新!!!
釣人:ガシラハンター
中央-11番  2010/11/19 (終日時〜 時)
グレ 25〜29p 8匹 オキアミ フカセ釣り
   p  匹    
   p  匹    
   p  匹    
釣りやすかったが、釣果は今ひとつ。修行がたりません。 釣人:東大阪ファミリー
西-5番  2010/11/18 (終日時〜 時)
グレ 20〜26p 23匹 オキアミ フカセ釣り
グレ 27〜32p 14匹    
ウマヅラ 17〜20p 2匹    
   p  匹    
10時〜16時の釣果。タナはAMは2ヒロ、PMは1ヒロ以内。30オーバーは4枚。 釣人:管理人
西-5番  2010/11/17 (終日時〜 時)
グレ 20-28p 11匹 オキアミ フカセ釣り
   p  匹    
   p  匹    
   p  匹    
一日中ぼつぼつ釣れました。 釣人:釣り好き
中央-11番  2010/11/16 (夜間時〜 時)
アオリイカ 31p 1匹 エギ3.5号 ルアー・エギング
   p  匹    
   p  匹    
   p  匹    
1.3キロ ガシラハンターさん ありがとう キンアジで釣れました。 釣人:KING PROX
東-3番  2010/11/16 (夜間時〜 時)
アオリイカ 28p 1匹 エギ3.5号 ルアー・エギング
   p  匹    
   p  匹    
   p  匹    
またまたデカアオリがHIT!!!
重量945g、キロアップまで55g届かず
釣人:ガシラハンター
西-5番  2010/11/16 (終日時〜 時)
グレ 23〜29p 20匹 オキアミ フカセ釣り
コッパグレ 15cmp 12匹    
サヨリ 25〜32p 7匹    
   p  匹    
半年振りの垂水。一日中浮かず。午前はコッパのみ。午後から超遠投、2ヒロ半で。 釣人:グチオヤジ
西-5番  2010/11/15 (終日時〜 時)
グレ 27p 2匹 オキアミ フカセ釣り
グレ 23-24p 2匹    
   p  匹    
   p  匹    
14:00〜15:00までの一瞬釣れました。終日潮が動かず、北風が寒かった。 釣人:釣り好き
西-5番  2010/11/15 (終日時〜 時)
グレ 24〜29p 5匹 オキアミ 紀州釣り
サヨリ 30〜32p 2匹    
   p  匹    
   p  匹    
14時から16時潮が動きだすと同時に釣れました、釣り好きさんお疲れ様でした。 釣人:さわいち
西-5番  2010/11/14 (終日時〜 時)
グレ 20〜24p 3匹 オキアミ フカセ釣り
   p  匹    
   p  匹    
   p  匹    
海の色悪く、終日浮かず。昨日釣り過ぎ? 釣人:わいるだー
東-1番  2010/11/14 (午前中時〜 時)
ウマズラ 31.5p 1匹 オキアミ サビキ釣り
カサゴ 16p 1匹 アミエビ  
スズメダイ 13〜16p 2匹    
   p  匹    
7時〜10時の時間帯で釣りました。あとハオコゼ1、コモンフグ6と釣れました 釣人:さいころ
一文字-6番  2010/11/13 (夜間時〜 時)
アオリイカ 35〜20p 3匹 エギ ルアー・エギング
   p  匹    
   p  匹    
   p  匹    
また`アップ!1750gありました。釣魚記録更新お願いします! 釣人:ジョー
西-5番  2010/11/13 (午前中時〜 時)
グレ 24〜29p 21匹 オキアミ フカセ釣り
木っ葉  p 2匹    
   p  匹    
   p  匹    
アジ少なく、サヨリいなかったので釣り易かった。 釣人:西っさん
東-4番  2010/11/13 (夜間時〜 時)
アオリイカ 21p 1匹 エギ3.5号 ルアー・エギング
   p  匹    
   p  匹    
   p  匹    
21cm以上が釣りてえ〜 釣人:紀州釣りを愛する釣人 <<<
東-3番  2010/11/13 (夜間時〜 時)
アオリイカ 20〜25p 5匹 エギ3.5号 ルアー・エギング
   p  匹    
   p  匹    
   p  匹    
まさかの怒濤の5連チャン!!!! 釣人:ガシラハンター
東-4番  2010/11/06 (午後時〜 時)
グレ 22-27p 6匹 オキアミ フカセ釣り
   p  匹    
   p  匹    
   p  匹    
投稿遅くなりました。2時間の釣果でした。
東も結構穴場ですね。
釣人:NIGHT
一文字-4番  2010/11/13 (終日時〜 時)
グレ 21-29p 16匹 オキアミ フカセ釣り
   p  匹    
   p  匹    
   p  匹    
人多く、オセンのため遠投試みるも風強し。
修行有るのみ。
釣人:NIGHT
西-5番  2010/11/13 (終日時〜 時)
カレイ 33p 1匹 マムシ 投げ釣り
   p  匹    
   p  匹    
   p  匹    
西5ではなくアジュールのサーフでの釣果です。上げ潮の3時過ぎにアタリました。 釣人:SHIGE
西-5番  2010/11/13 (終日時〜 時)
カワハギ 21p 1匹 マムシ 投げ釣り
   p  匹    
   p  匹    
   p  匹    
西5ではなくアジュールのサーフでの釣果です。アタリは無く活性が低かった様です。 釣人:SHIGE
西-5番  2010/11/12 (夜間時〜 時)
アオリイカ 19p 1匹 エギ3.5号 ルアー・エギング
アオリイカ 15p 1匹    
   p  匹    
   p  匹    
コンディションは良かったのですがアタリがなく我慢のエギングでした 釣人:ガシラハンター
西-5番  2010/11/12 (夜間時〜 時)
アオリイカ 胴長21p 1匹 エギ3.5号 ルアー・エギング
   p  匹    
   p  匹    
   p  匹    
かなりしぶかった。詳しくは「神戸(塩屋・垂水・舞子)周辺でのつり日記」で 釣人:さっさん
西-2番  2010/11/11 (夜間時〜 時)
ケンサキイカ 15p 1匹 エギ3.5号 ルアー・エギング
アオリイカ 17p 1匹    
   p  匹    
   p  匹    
秋エギングもそろそろ終焉の予感です… 釣人:ガシラハンター
一文字-3番  2010/11/11 (終日時〜 時)
グレ 25〜30p 30匹 オキアミ フカセ釣り
グレ 23〜24p 5匹    
   p  匹    
   p  匹    
激流完成だけ釣れました。緩むとだめ。人が多すぎて釣りにくかったです 釣人:蒼礁会1号
西-5番  2010/11/10 (終日時〜 時)
グレ 23〜28p 2匹 オキアミ フカセ釣り
サヨリ 33〜36p 10匹    
   p  匹    
   p  匹    
サヨリ、小アジに手を焼きました。グレは全く浮かず 釣人:管理人
東-3番  2010/11/10 (夜間時〜 時)
アオリイカ 32p 1匹 エギ3.5号 ルアー・エギング
   p  匹    
   p  匹    
   p  匹    
初`アップです!! 釣人:ジョー
西-5番  2010/11/10 (終日時〜 時)
グレ 21-28p 5匹 オキアミ フカセ釣り
   p  匹    
   p  匹    
   p  匹    
西風強く、釣りづらかった。<br>13:00頃からアジ回遊。 釣人:釣り好き
西   2010/11/04 (午前中時〜 時)
カレイ 40.5 p 1匹 アオイソメ  投げ釣り
チャリコ 10 p 1匹    
   p  匹    
   p  匹    
やっと釣れてうれしかった。今度は、東二見で釣ろうと思っている。  釣人:カレイハンター
西-5番  2010/11/08 (終日時〜 時)
グレ 21-28p 3匹 オキアミ フカセ釣り
   p  匹    
   p  匹    
   p  匹    
サワイチさんの隣でやってました。
執拗な西風に降参しました。
釣人:釣り好き <<<
西-5番  2010/11/08 (終日時〜 時)
グレ 22〜24p 4匹 オキアミ フカセ釣り
皮はぎ 22p 1匹    
   p  匹    
   p  匹    
午後から風が強くなり釣りにならず,鯵にもやられました 釣人:さわいち <<<
一文字-3番  2010/11/07 (終日時〜 時)
カワハギ 18〜23p 6匹 シラサエビ 胴付き・探り釣り
ウマヅラハギ 17,19p 2匹    
メバル 18p 1匹    
   p  匹    
一文字初挑戦。凄まじい流れに驚きました・・・。 釣人:P.O.
東-3番  2010/11/06 (夜間時〜 時)
アオリイカ 18p 1匹 エギ3.5号 ルアー・エギング
アオリイカ 23p 1匹    
   p  匹    
   p  匹    
数は減りましたがサイズは大きいです。
詳しくはブログで
釣人:ガシラハンター
西-5番  2010/11/06 (終日時〜 時)
グレ 22〜29p 11匹 オキアミ フカセ釣り
   p  匹    
   p  匹    
   p  匹    
朝一は浮いてました、喰いも良かったです。午後はさっぱり… 釣人:わいるだー
西-5番  2010/11/06 (終日時〜 時)
グレ 20-25p 8匹 アミエビ フカセ釣り
   p  匹    
   p  匹    
   p  匹    
形が今一。浮き方が地味。
アジはメッキリ減りました。
釣人:釣り好き <<<
西-5番  2010/11/03 (終日時〜 時)
カレイ 21p 1匹 マムシ 投げ釣り
カワハギ 22位p 2匹    
   p  匹    
   p  匹    
アジュールのサーフでの釣果です。エサ獲りは少。カワハギは逃亡。寒さも堪えました。 釣人:SHIGE
東-9番  2010/11/03 (午前中時〜 時)
マコガレイ 30p 1匹 塩マムシ 投げ釣り
マコガレイ 26p 1匹 青虫  
   p  匹    
   p  匹    
80m位の駆け上がり付近で連続ヒットです。時合いは短いですので短時間勝負でした。 釣人:まーさん
西-5番  2010/11/03 (終日時〜 時)
グレ 22-25p 5匹 オキアミ ヌカ切り
グレ 26-28p 12匹    
   p  匹    
   p  匹    
正統派フカセ師さんに叱られそうですが、今はヌカ切りの方がいいみたいです 釣人:やまぱぱ
西-5番  2010/11/03 (午後時〜 時)
グレ 26、29p 2匹 オキアミ フカセ釣り
   p  匹    
   p  匹    
   p  匹    
グレ浮かず、アジもまだ少しいます。撃沈でした。 釣人:まさ <<<
東-3番  2010/11/02 (夜間時〜 時)
アオリイカ 30p 1匹 エギ ルアー・エギング
アオリイカ 15p 1匹    
   p  匹    
   p  匹    
またもやモンスターアオリ1150gGET!!
垂水の釣り情報記録再更新!!
釣人:ガシラハンター
東-5番  2010/11/01 (終日時〜 時)
グレ 22-28p 6匹 オキアミ フカセ釣り
   p  匹    
   p  匹    
   p  匹    
東6で1枚、東5でアジが消え5枚。風強すぎ。 釣人:NIGHT
西-5番  2010/11/01 (終日時〜 時)
グレ 26-27p 2匹 オキアミ フカセ釣り
グレ 24-25p 2匹    
グレ 21-22p 2匹    
   p  匹    
午前中西風強く釣りにならず。
午後からグレ浮きました。
釣人:釣り好き
西-1番  2010/10/30 (夜間時〜 時)
アオリイカ 21.5p 1匹 エギ3.5号 ルアー・エギング
   p  匹    
   p  匹    
   p  匹    
静かなワンド内のRun&GunでHITしました(470g) 釣人:ガシラハンター
西-4番  2010/10/29 (夜間時〜 時)
アオリイカ 26p 1匹 3.5号 ルアー・エギング
アオリイカ 15p 1匹    
   p  匹    
   p  匹    
  釣人:akihisa <<<
中央-5番  2010/10/27 (午後時〜 時)
カレイ 22〜24p 2匹 青虫 投げ釣り
ガシラ 15p 1匹    
キス 14p 1匹    
   p  匹    
カレイは北向きに投げて釣れました。もう湾の奥まで入っているみたいです。 釣人:ゴールドブレンド <<<
西   2010/10/27 (夕方時〜 時)
アオリイカ 25p 1匹 エギ薫3.5号 ルアー・エギング
ケンサキイカ 13p 1匹    
   p  匹    
   p  匹    
またまた出ましたビッグサイズ720g!!!詳しくはブログで 釣人:ガシラハンター
西-5番  2010/10/26 (終日時〜 時)
グレ 21-27p 4匹 オキアミ フカセ釣り
   p  匹    
   p  匹    
   p  匹    
強烈な北風。16:00から釣れました。
アジはいませんでした。
釣人:釣り好き <<<
東-4番  2010/10/23 (終日時〜 時)
グレ 23p 1匹 生おきあみ フカセ釣り
ちぬ 25〜27p 2匹 加工おきあみ  
こっぱ  p 9匹    
   p  匹    
波止ぐれはよう釣りません 釣人:蔵 <<<
東-3番  2010/10/23 (午後時〜 時)
グレ 24p 2匹 沖アミ フカセ釣り
グレ 27〜29p 6匹    
   p  匹    
   p  匹    
午後から釣行 釣人:小G郎
東-4番  2010/10/23 (夜間時〜 時)
アオリイカ 21p 1匹 エギ ルアー・エギング
   p  匹    
   p  匹    
   p  匹    
21cmの引きはいいですね。 釣人:紀州釣りを愛する釣人 <<<
西-5番  2010/10/23 (夜間時〜 時)
アオリイカ 21.5p 1匹 エギ3.5号 ルアー・エギング
   p  匹    
   p  匹    
   p  匹    
めっきり数は減りましたが型が大きくなってきました 釣人:ガシラハンター
西-3番  2010/10/23 (終日時〜 時)
グレ 25-27p 5匹 オキアミ ヌカ切り
グレ 20-23p 7匹    
   p  匹    
   p  匹    
ひさびさの釣果、ヌカ切りでは初めて釣れました。棚は3.5ヒロ程度。 釣人:やまぱぱ
東-4番  2010/10/23 (午後時〜 時)
グレ 20〜28p 5匹 オキアミ フカセ釣り
サンバソウ 20p 1匹    
セイゴ 25pp  匹    
   p  匹    
13時〜17時の釣果。潮が緩むとアジ地獄でした。15時半以降はグレノーヒット。 釣人:管理人
西-5番  2010/10/21 (午後時〜 時)
ウマヅラ 32p 1匹 オキアミ フカセ釣り
アオリイカ 10〜18p 3匹 エギ2.5号  
   p  匹    
   p  匹    
グレ20p未満は多数釣れましたがキープサイズはゼロ。アオリは15時頃遠投で。 釣人:管理人
西-5番  2010/10/20 (終日時〜 時)
グレ 24〜25p 2匹 オキアミ フカセ釣り
グレ 21〜22p 2匹    
   p  匹    
   p  匹    
遠投はアジ、手前はオセンの絨毯。
日没前に3匹ゲット。
釣人:釣り好き
西-5番  2010/10/20 (午前中時〜 時)
グレ 20〜24p 3匹 オキアミ フカセ釣り
   p  匹    
   p  匹    
   p  匹    
9時ごろ浮いていましたが、その後オセンの下に見えるのですが釣れず。 釣人:ひろ
西-5番  2010/10/18 (終日時〜 時)
グレ 21〜22p 2匹 オキアミ フカセ釣り
   p  匹    
   p  匹    
   p  匹    
16:00〜16:30の間だけ釣れました。 釣人:釣り好き
西-3番  2010/10/18 (午前中時〜 時)
べラ 12〜19p 39匹 地ゴカイ 投げ釣り
ハゲ 17p 8匹    
   p  匹    
   p  匹    
東流開始前1時〜東流最強後1時     100M沖の潮目でベラの着信活発 釣人:秋グレ
東-4番  2010/10/17 (終日時〜 時)
グレ 22〜24p 8匹 石ゴカイ フカセ釣り
グレ 28〜29p 4匹 沖アミ  
   p  匹    
   p  匹    
一日中 パラパラ食いました 釣人:小G郎
西-4番  2010/10/17 (午後時〜 時)
アジ 10〜15p 約70匹 アミエビ サビキ釣り
   p  匹    
   p  匹    
   p  匹    
アジは昼間によく釣れました。夕マヅメはイマイチ。 釣人:ゴールドブレンド <<<
西-5番  2010/10/17 (午後時〜 時)
グレ 20〜22p 3匹 オキアミ フカセ釣り
うまづらハギ 36p 1匹    
   p  匹    
   p  匹    
あじ・あじ・PM16〜PM17時消えた時のみ釣れました。 釣人:せきやん
西-5番  2010/10/17 (終日時〜 時)
カレイ 27p 1匹 マムシ 投げ釣り
カワハギ 15〜17p 3匹    
ベラ  p 多数匹    
   p  匹    
西5ではなくアジュールの砂浜での釣果です。カレイ狙いはエサ獲りとの闘いです。 釣人:SHIGE
東-4番  2010/10/15 (夜間時〜 時)
アオリイカ 28.5p 1匹 エギ3.5号 ルアー・エギング
アオリイカ 18.0p 1匹    
   p  匹    
   p  匹    
なんと28.5cm(1,020g)のアオリイカGET!垂水の釣り情報記録更新! 釣人:ガシラハンター
東-4番  2010/10/16 (午前中時〜 時)
グレ 21・22p 2匹 オキアミ フカセ釣り
セイゴ 20・21p 2匹    
コッパ 手のひらp 多数匹    
   p  匹    
エサ取りがコッパです。今日はアジほとんどいませんでした。 釣人:ひろ
東-5番  2010/10/13 (夕方時〜 時)
ツバス 38p 1匹 ジグ35g ルアー・エギング
   p  匹    
   p  匹    
   p  匹    
  釣人:見習いサーファー <<<
西-8番  2010/10/11 (午後時〜 時)
イシダイ 20〜21p 3匹 マムシ ブッコミ釣り
草フグ 7p 1匹    
   p  匹    
   p  匹    
幼魚でも引きは強烈でした、スーパーで買ってません。 釣人:崖っぷちのタイガース <<<
東-8番  2010/10/11 (夕方時〜 時)
アオリイカ 13〜17p 2匹 エギ3.5号 ルアー・エギング
ケンサキイカ 15p 1匹    
   p  匹    
   p  匹    
夕方17時から1時間の釣果です 釣人:紀州 <<<
東-4番  2010/10/11 (午前中時〜 時)
グレ 23p 2匹 オキアミ フカセ釣り
   p  匹    
   p  匹    
   p  匹    
10時から1時間はいい感じでした。その後はアジ地獄でした。1匹は逃走しました。 釣人:ひろ
東-4番  2010/10/10 (午前中時〜 時)
グレ 20.5p 1匹 オキアミ フカセ釣り
   p  匹    
   p  匹    
   p  匹    
昼頃海面は綺麗でグレの姿を探したのですが見ることが出来ませんでした 釣人:せきやん
西-3番  2010/10/09 (夜間時〜 時)
アオリイカ 15〜18p 5匹 エギ3号 ルアー・エギング
アオリイカ 10p 4匹    
ケンサキイカ 19p 1匹    
   p  匹    
際は小型。キーパーは中遠投の潮ヨレ狙いで。雨に濡れて寒かったです。 釣人:デイドリーム
西-5番  2010/10/08 (終日時〜 時)
グレ 22p 1匹 オキアミ フカセ釣り
アオリ 9〜14p 8匹 エギ  
ダツ 40pp  匹    
   p  匹    
終日小アジが居座り、フカセは午前中で断念。午後から17時までエギング。 釣人:管理人 <<<
西-5番  2010/10/07 (終日時〜 時)
グレ 29p 1匹 サシアミ S フカセ釣り
グレ 20p 2匹    
   p  匹    
   p  匹    
午前中のみ。引き潮になったとたんアジ地獄 釣人:釣り好き
西-3番  2010/10/07 (夜間時〜 時)
アオリイカ 14〜21p 3匹 エギ3.5号 ルアー・エギング
   p  匹    
   p  匹    
   p  匹    
漸く良型が来ました。一文字との水道。22時頃でした。その後潮が飛びさっぱり。 釣人:デイドリーム
西-5番  2010/10/06 (午前中時〜 時)
アオリイカ 18p 1匹 エギ ルアー・エギング
   p  匹    
   p  匹    
   p  匹    
  釣人:ラックチビ <<<
東-7番  2010/10/01 (夜間時〜 時)
アオリイカ 13p 1匹 エギ2.5号 ルアー・エギング
ケンサキイカ 15p 3匹    
   p  匹    
   p  匹    
潮が飛び4番テトラから移動しましたが撃沈でした。 釣人:デイドリーム <<<
西-5番  2010/10/02 (終日時〜 時)
グレ 20〜25p 2匹 サシアミ S フカセ釣り
   p  匹    
   p  匹    
   p  匹    
「西5」でした。編集パスワードを忘れ、修正出来ませんでした。改めて報告します・ 釣人:釣り好き <<<
西-5番  2010/10/02 (終日時〜 時)
グレ 20〜27p 4匹 オキアミ フカセ釣り
   p  匹    
   p  匹    
   p  匹    
グレはたま〜に見えますが数は少なく深いです。糠ぎりさんは西3で沢山釣ってました。 釣人:ノリさん
西-1番  2010/10/02 (夜間時〜 時)
アオリイカ 13p 1匹 エギ ルアー・エギング
ケンサキイカ 15p 1匹    
   p  匹    
   p  匹    
風裏を求めて行き着いた西エリアでしたがやはり型が小さく2匹しか釣れませんでした。 釣人:ガシラハンター
東-8番  2010/10/01 (夜間時〜 時)
アオリイカ 11〜21p 4匹 エギ2.5〜3.0号 ルアー・エギング
   p  匹    
   p  匹    
   p  匹    
20〜23:30の釣果です21cmは20:30ごろ3・0号のエギで乗って来ました 釣人:紀州釣りを愛する釣人 <<<
中央-7番  2010/09/30 (夕方時〜 時)
アオリイカ 10〜13p 4匹 エギ ルアー・エギング
   p  匹    
   p  匹    
   p  匹    
17時から1時間の釣果。小型ばかりでキーパはゼロ。 釣人:管理人 <<<
西-3番  2010/09/30 (夜間時〜 時)
アオリイカ 12〜14p 6匹 エギ2.5号 ルアー・エギング
ケンサキイカ 14〜18p 3匹    
   p  匹    
   p  匹    
22〜23時。小雨も降り寒かったです。沖は何故かアオリの反応無し。全て際で。 釣人:デイドリーム <<<
東-4番  2010/09/29 (夕方時〜 時)
アオリイカ 12〜19p 6匹 エギ3.0号 ルアー・エギング
   p  匹    
   p  匹    
   p  匹    
西エリアより東テトラのほうが全体的にサイズが大きいです! 釣人:ガシラハンター
西-5番  2010/09/29 (夜間時〜 時)
アオリ 〜15p 2匹 エギ3.0号 ルアー・エギング
   p  匹    
   p  匹    
   p  匹    
1時間弱で2杯の釣果まずまずです。 釣人:さっさん
東-4番  2010/09/28 (夜間時〜 時)
太刀魚 78p 1匹 ワインド ルアー・エギング
   p  匹    
   p  匹    
   p  匹    
21時半ごろです。美味しく頂きました。 釣人:名無し <<<
西-5番  2010/09/28 (夜間時〜 時)
アオリイカ 14p 1匹 エギ3.0号 ルアー・エギング
   p  匹    
   p  匹    
   p  匹    
風がビュービュー強くやりにくかったです 釣人:ガシラハンター
中央-8番  2010/09/28 (夕方時〜 時)
アオリイカ 9〜19p 6匹 エギ2号 ルアー・エギング
   p  匹    
   p  匹    
   p  匹    
16時〜18時までの釣果。1投目に19pが来て驚きました。 釣人:管理人
西-5番  2010/09/28 (終日時〜 時)
グレ 20〜23p 5匹 サシアミ S フカセ釣り
   p  匹    
   p  匹    
   p  匹    
午後2時まで。後はアジの猛攻に気が萎えました。引き潮になるとアジが湧いて来ます。 釣人:釣り好き <<<
西-5番  2010/09/27 (午前中時〜 時)
アオリイカ 10〜17p 10匹 エギ2,5号 ルアー・エギング
アオリイカ 8〜9p 4匹    
   p  匹    
   p  匹    
大きいのはお刺身でいただきます 釣人:さわいち
西-5番  2010/09/27 (終日時〜 時)
グレ 20〜32p 5匹 オキアミ フカセ釣り
チヌ 22p 1匹 エギ2号  
アオリイカ 8〜10p 6匹    
   p  匹    
グレは10時〜13時、アオリは15時迄の釣果。午後から小アジが回り出しお手上げ。 釣人:管理人
東-3番  2010/09/26 (夜間時〜 時)
ケンサキイカ 15p 1匹 エギ2.5号 ルアー・エギング
   p  匹    
   p  匹    
   p  匹    
18時〜21時までの釣果。今日東エリアは今一つ。。 釣人:ラトル
西-5番  2010/09/26 (夕方時〜 時)
アオリイカ 10〜14p 9匹 エギ2.5号 ルアー・エギング
   p  匹    
   p  匹    
   p  匹    
日が暮れた途端、アタリが遠退きました。 釣人:デイドリーム <<<
中央-11番  2010/09/25 (夜間時〜 時)
太刀魚(指3本半) 68p 1匹 キビナゴ ウキ釣り
   p  匹    
   p  匹    
   p  匹    
共食いされ尻尾がない太刀魚君でした。昨晩はイカは不調だったみたいです。 釣人:SHIGE
中央-11番  2010/09/24 (夜間時〜 時)
太刀魚(指3本) 73p 1匹 キビナゴ ウキ釣り
カマス 24p 1匹    
   p  匹    
   p  匹    
アオリの25cmも上がっていました。昨夜は結構な寒さでした。 釣人:SHIGE
一文字-1番  2010/09/24 (午前中時〜 時)
かじき ?p 1匹 おきあみ サビキ釣り
   p  匹    
   p  匹    
   p  匹    
カジキわつったのでわなく目撃しました 釣人:ぐれぐれぐーれぐーれ <<<
中央-11番  2010/09/22 (午後時〜 時)
ベラ 11〜20p 8匹 青虫 投げ釣り
ハゲ 13p 2匹    
チャリコ 8〜13p 3匹    
   p  匹    
久し振りに投げ釣り。楽しめました。 釣人:ゴールドブレンド <<<
東-4番  2010/09/22 (夜間時〜 時)
アオリイカ 8〜20p 3匹 エギ2.0号 ルアー・エギング
ケンサキイカ 12〜18p 2匹    
   p  匹    
   p  匹    
デカアオリ(20cm:380g)釣れました。やはり東テトラはデカいのが居ます! 釣人:ガシラハンター
西-4番  2010/09/18 (夜間時〜 時)
アオリイカ 10〜13p 3匹 エギ2.0号 ルアー・エギング
   p  匹    
   p  匹    
   p  匹    
しょぼかったです。西エリアは小型しかいません 釣人:ガシラハンター
中央-11番  2010/09/21 (夕方時〜 時)
コブダイ 20p 1匹 アサリ 胴付き・探り釣り
カワハギ 18p 1匹    
   p  匹    
   p  匹    
エギング前にアサリを餌に1時間位。バラシが多かったです。イカはボウズでした。 釣人:ぷる
東-9番  2010/09/21 (午後時〜 時)
ボラ 64〜69p 6匹 オキアミ 紀州釣り
   p  匹    
   p  匹    
   p  匹    
チヌは全く当たりなしでした。 釣人:kもりた <<<
西-5番  2010/09/21 (終日時〜 時)
グレ 25p 1匹 サシアミ S  フカセ釣り
   p  匹    
   p  匹    
   p  匹    
いきなり1匹ゲット。それっきり。
暑かった。まだ時期が早かったみたいです。
釣人:釣り好き <<<
中央-11番  2010/09/20 (夜間時〜 時)
太刀魚(指3本) 74p 1匹 キビナゴ ウキ釣り
   p  匹    
   p  匹    
   p  匹    
9時過ぎの義父の釣果です。せきやんさんと御会いする事ができました。 釣人:SHIGE
中央-11番  2010/09/20 (夕方時〜 時)
タコ 300g p 1匹 たこテンヤ 胴付き・探り釣り
   p  匹    
   p  匹    
   p  匹    
半身刺身、半身ブッギリ→鉄板→スリオロシニンニク+タコ+醤油=蒸して、美味 釣人:せきやん
中央-10番  2010/09/19 (夜間時〜 時)
ケンサキイカ 12p 1匹 エギ2.5号 ルアー・エギング
   p  匹    
   p  匹    
   p  匹    
エギング2回目にして初イカゲットです!(2号は坊主でした) 釣人:釣吉1号・2号
東-1番  2010/09/19 (終日時〜 時)
チヌ 30p 1匹 オキアミ 紀州釣り
   p  匹 コーン  
   p  匹    
   p  匹    
紀州釣り初心者。色々な事をたくさんの方に教えて頂き本当にありがとうございます。 釣人:せきやん
中央-11番  2010/09/18 (午前中時〜 時)
カワハギ 10〜20p 12匹 エビ 胴付き・探り釣り
イシダイ 15p 1匹 アサリ  
   p  匹    
   p  匹    
二人での釣果です。2匹は小さいので逃がしました。いよいよシーズン到来がじゃ! 釣人:釣吉1号・2号
中央-7番  2010/09/16 (夜間時〜 時)
ケンサキイカ 10〜13p 4匹 エギ2.5号 ルアー・エギング
   p  匹    
   p  匹    
   p  匹    
初心者なので満足してますが、近くの方がアオリ爆釣!管理人さんかも・・スゴイ! 釣人:ぷる <<<
中央-7番  2010/09/17 (夜間時〜 時)
ケンサキイカ 10〜13p 4匹 エギ ルアー・エギング
   p  匹    
   p  匹    
   p  匹    
アオリイカがかかりません。 釣人:ひろ <<<
中央-11番  2010/09/17 (夜間時〜 時)
ケンサキイカ 10p 1匹 エギ2,5号 ルアー・エギング
   p  匹    
   p  匹    
   p  匹    
修行の身なので釣れただけでも良しです。帰り際中央11でアオリもあがっていました。 釣人:SHIGE
中央-11番  2010/09/17 (夜間時〜 時)
太刀魚(指2本半) 72p 1匹 キビナゴ ウキ釣り
   p  匹    
   p  匹    
   p  匹    
8時半頃、約3ヒロで掛かりました。 釣人:SHIGE
中央-10番  2010/09/16 (夜間時〜 時)
アオリイカ 6〜11p 4匹 エギ2.5号 ルアー・エギング
ケンサキイカ 10p 2匹    
   p  匹    
   p  匹    
22〜23時の釣果。時間が遅すぎました。 釣人:デイドリーム <<<
西-5番  2010/09/14 (夜間時〜 時)
アオリイカ 13p 1匹 エギ2.0号 ルアー・エギング
   p  匹    
   p  匹    
   p  匹    
くっさい釣果でえらいすんまへーん>< 釣人:ガシラハンター
中央-8番  2010/09/16 (夕方時〜 時)
アオリイカ 6〜8p 12匹 エギ2号 ルアー・エギング
アオリイカ 11〜15p 7匹    
   p  匹    
   p  匹    
15時〜18時半までの釣果。17時頃から爆釣でした。7杯だけキープしました。 釣人:管理人 <<<
中央-5番  2010/09/13 (夜間時〜 時)
アオリイカ 10〜12p 3匹 エギ2、2.5号 ルアー・エギング
スルメイカ 10〜25p 7匹    
   p  匹    
   p  匹    
アオリの成長がいまいち。20時から23時までの釣果。9月末頃がベストかも・・。 釣人:もりさん <<<
西-5番  2010/09/13 (夜間時〜 時)
アオリイカ 8〜12p 12匹 エギ2号 ルアー・エギング
   p  匹    
   p  匹    
   p  匹    
爆風で海も荒れてました。キープサイズがなかなか乗ってくれません。 釣人:デイドリーム <<<
西-5番  2010/09/14 (夕方時〜 時)
アオリイカ 8〜15p 18匹 エギ2.5号 ルアー・エギング
   p  匹    
   p  匹    
   p  匹    
オレンジのエギに反応、入れ乗りでした 釣人:さわいち
中央-5番  2010/09/12 (午前中時〜 時)
チヌ 37p 1匹 練り餌 紀州釣り
   p  匹    
   p  匹    
   p  匹    
朝6時から。熱いので9時で切り上げちゃいました。 釣人:みちひと
中央-7番  2010/09/11 (夜間時〜 時)
アオリイカ 14p 1匹 エギ ルアー・エギング
ケンサキイカ 8〜20p 9匹    
   p  匹    
   p  匹    
疲れました 釣人:3104k <<<
中央-11番  2010/09/12 (夜間時〜 時)
ケンサキイカ 10〜14p 3匹 キビナゴ ウキ釣り
   p  匹    
   p  匹    
   p  匹    
強風と激流の為跳ね上げ天秤仕掛けにて釣れました。アタリは多くもチビが多いです。 釣人:SHIGE
西-1番  2010/09/12 (終日時〜 時)
アオリイカ 5〜7p 5匹 エギ1,8 ルアー・エギング
   p  匹    
   p  匹    
   p  匹    
浮きまくりでした。シーバスっ子がベイトを
追っていました。
釣人:つりっ子 <<<
中央-7番  2010/09/11 (夜間時〜 時)
アオリイカ 6〜14p 6匹 エギ2.5号 ルアー・エギング
ケンサキイカ 12p 2匹    
   p  匹    
   p  匹    
今日はリリースサイズが多かったです。 釣人:デイドリーム <<<
中央-7番  2010/09/11 (夜間時〜 時)
アオリ 10〜16p 3匹 エギ ルアー・エギング
ケンサキ 10〜15p 3匹    
   p  匹    
   p  匹    
南風が強く、やり難かったです。アオリは底、ケンサキは中層で釣れました。 釣人:管理人 <<<
西-5番  2010/09/11 (夕方時〜 時)
カマス 30p 2匹 匠(パールホワイト) ルアー・エギング
   p  匹    
   p  匹    
   p  匹    
暗くなりかけたころ、連続できました。 釣人:ganci
西-5番  2010/09/09 (夜間時〜 時)
ケンサキイカ 27p 1匹 エギ2.5号 ルアー・エギング
アオリイカ 8〜12p 4匹    
   p  匹    
   p  匹    
アオリはまだまだ小さいです。21〜23時の釣果。 釣人:デイドリーム
西-5番  2010/09/05 (夜間時〜 時)
ケンサキイカ 12p 3匹 エギ2.5号 ルアー・エギング
   p  匹    
   p  匹    
   p  匹    
数は居る様ですが乗って来ません。 釣人:デイドリーム <<<
西-2番  2010/09/05 (夜間時〜 時)
アオリイカ 10p 3匹 エギ2号 ルアー・エギング
ケンサキ 10〜12p 2匹    
   p  匹    
   p  匹    
今日も南風が強く、沖向きは狙えず。ケンサキは浅ダナで釣れました。 釣人:管理人 <<<
中央-11番  2010/09/05 (夜間時〜 時)
ケンサキイカ 7〜10p 2匹 2,5号エギ ルアー・エギング
   p  匹    
   p  匹    
   p  匹    
エギングデビュー戦でビギナーズラックです。 釣人:SHIGE
西-3番  2010/09/05 (午前中時〜 時)
グレ 26p 1匹 オキアミ フカセ釣り
   p  匹    
   p  匹    
   p  匹    
メッチャ暑かった。写真ピンボケですみません。 釣人:やまぱぱ
東-1番  2010/09/03 (夜間時〜 時)
カマス 27〜30p 3匹 キビナゴ ウキ釣り
ガシラ 17p 1匹    
   p  匹    
   p  匹    
風があって涼しい夜でした。 釣人:ゴールドブレンド
中央-11番  2010/09/03 (夜間時〜 時)
太刀魚(指3本) 73p 1匹 キビナゴ ウキ釣り
   p  匹    
   p  匹    
   p  匹    
ようこそお戻り下さいました。 釣人:SHIGE
一文字-1番  2010/09/02 (終日時〜 時)
グレ 20、25p 2匹 オキアミ フカセ釣り
   p  匹    
   p  匹    
   p  匹    
今年5匹目。海面はアジだらけ。激流の中にグレは沢山いますが餌を喰いません。 釣人:ノリさん <<<
一文字-4番  2010/09/02 (終日時〜 時)
イスズミ 21〜23p 2匹 おきあみ フカセ釣り
ぐれ 20p 1匹 自家製ねりえ  
   p  匹    
   p  匹    
一丁前にハリスざらざら 釣人:蔵之臣
西-4番  2010/09/02 (夜間時〜 時)
ケンサキイカ 10〜12p 4匹 エギ2.0号 ルアー・エギング
   p  匹    
   p  匹    
   p  匹    
なかなかシブかったです。 釣人:ガシラハンター
東-7番  2010/09/02 (夜間時〜 時)
アオリイカ 10〜12p 3匹 エギ2号 ルアー・エギング
   p  匹    
   p  匹    
   p  匹    
21時〜24時。気配少なく作業場の明かりが点いた途端アタリが更に遠退きました。 釣人:デイドリーム <<<
東-9番  2010/09/01 (午後時〜 時)
ボラ 69.5p 1匹 オキアミ 紀州釣り
チヌ 〜35.5p 2匹    
キビレ 〜28p 3匹    
   p  匹    
ビーチパラソルのお陰で何とか熱中症を免れました。 釣人:kもりた
西-2番  2010/08/30 (夜間時〜 時)
アオリイカ 8〜14p 3匹 エギ2号 ルアー・エギング
カマス 22〜28p 4匹 キビナゴ  
   p  匹    
   p  匹    
ようやくキーパーサイズのアオリが釣れました。カマスはキビナゴのエサ釣りでゲット。 釣人:管理人
西-4番  2010/08/30 (夜間時〜 時)
あおりいか 6〜12p 3匹 2号エギ ルアー・エギング
   p  匹 2.5号エギ  
   p  匹    
   p  匹    
お久し!西は1杯。その後中央で2杯。本日西4は歯の鋭い奴出没の為食い悪し! 釣人:もりさん <<<
西-2番  2010/08/29 (午前中時〜 時)
チヌ 30p 1匹 オキアミ 紀州釣り
アオリ 10p 4匹 エギ  
   p  匹    
   p  匹    
2年ぶりのダンゴでしたが、握力の限界で半日でギブアップ。アオリは早朝の釣果。 釣人:管理人
一文字-9番  2010/08/28 (夜間時〜 時)
ガシラ 20〜26p 2匹 サンマの切り身 投げ釣り
   p  匹    
   p  匹    
   p  匹    
14時間でガシラ2匹のみの釣果でした。太刀魚、青物等全て撃沈。イカの気配有。 釣人:SHIGE
東-2番  2010/08/28 (午後時〜 時)
タコ 500gp 1匹 だんご 紀州釣り
   p  匹    
   p  匹    
   p  匹    
ダンゴ好きなタコ チヌより喜ぶ家族 複雑です・・連敗中・・・ 釣人:せきやん
西-5番  2010/08/27 (午前中時〜 時)
ベラ 16p 1匹 オキアミ フカセ釣り
アジ 11〜18p 5匹    
   p  匹    
   p  匹    
ベラ・アジ・サヨリの猛攻です。潮も早い… 釣人:すまんちゅ <<<
中央-8番  2010/08/22 (夜間時〜 時)
アオリイカ 8〜11p 6匹 エギ2号 ルアー・エギング
   p  匹    
   p  匹    
   p  匹    
夜遅くはアタリが遠のきました。 釣人:管理人 <<<
西-5番  2010/08/25 (終日時〜 時)
グレ 18p 2匹 ネリエ フカセ釣り
グレ 24〜28p 3匹 オキアミ  
   p  匹    
   p  匹    
アジ、サヨリ猛攻時はグレの姿が消えます。 釣人:まさ <<<
西-5番  2010/08/25 (終日時〜 時)
グレ 27p 1匹 オキアミ フカセ釣り
チヌ 34p 1匹    
サヨリ 30〜35p 4匹    
   p  匹    
終日、小アジ、サヨリの猛攻に苦戦しました。オキアミでは太刀打ち出来ません。 釣人:管理人
西-5番  2010/08/25 (夜間時〜 時)
アオリイカ 8〜10p 2匹 エギ2号 ルアー・エギング
   p  匹    
   p  匹    
   p  匹    
18時半〜20時の釣果 19時過ぎに釣れました。 釣人:3104k <<<
西-5番  2010/08/24 (夜間時〜 時)
アオリイカ 8〜10p 6匹 エギ2号 ルアー・エギング
   p  匹    
   p  匹    
   p  匹    
19時半〜21時の釣果。風が強くやり難かったです。まだまだリリースサイズばかり。 釣人:管理人 <<<
西-5番  2010/08/22 (終日時〜 時)
グレ 26p 1匹 オキアミ フカセ釣り
ケンサキ 10p 7匹 エギ  
アオリ 10p 1匹    
   p  匹    
グレの喰いは渋いです。ケンサキ・アオリの新子はリリースサイズ。来月が楽しみです。 釣人:ノリさん
一文字-4番  2010/08/22 (終日時〜 時)
グレ 25〜30p 34匹 オキアミ フカセ釣り
   p  匹 ネリエ  
   p  匹    
   p  匹    
アジ、オセン、猛暑に参ります。10〜15時の釣果。タナは矢引き。 釣人:デイドリーム <<<
一文字-5番  2010/08/22 (午前中時〜 時)
アオリイカ 10p 4匹 エギ ルアー・エギング
   p  匹    
   p  匹    
   p  匹    
朝まずめにヒットしました。アジュール舞子の西エリアは今、タチウオ釣れてますか? 釣人:釣り基地 <<<
西-5番  2010/08/22 (終日時〜 時)
グレ 26〜28p 2匹 オキアミ フカセ釣り
アオリイカ 7〜10p 5匹 エギ2号  
ケンサキイカ 8〜10p 3匹    
   p  匹    
終日小アジが回り、苦戦しました。ケンサキは夜間、アオリは早朝、夕方に釣れました。 釣人:管理人 <<<
西-5番  2010/08/22 (午後時〜 時)
グレ 24〜27p 4匹 ネリエ フカセ釣り
   p  匹    
   p  匹    
   p  匹    
とにかく暑かった… 釣人:まさ <<<
平磯-5番  2010/08/22 (午前中時〜 時)
シイラ 40p 6匹 ジグ ルアー・エギング
ツバス 35p 2匹    
   p  匹    
   p  匹    
青物がまわってきていてなかなかつれました^^今年はシイラもまわってきています。 釣人:管理人 <<<
西-5番  2010/08/18 (午後時〜 時)
グレ 15〜18p 3匹 オキアミ フカセ釣り
グレ 20〜27p 6匹    
チヌ 43p 1匹    
   p  匹    
喰いはかなり渋いです。グレのタナは矢引き〜1.5ヒロ、チヌは2ヒロです。 釣人:管理人
西-3番  2010/08/18 (午前中時〜 時)
アオリイカ 胴長6〜9p 8匹 エギ2号 ルアー・エギング
   p  匹    
   p  匹    
   p  匹    
まだまだ食べれるサイズではありません。時期が早い様です。 釣人:管理人 <<<
西-5番  2010/08/18 (終日時〜 時)
グレ 20〜26p 3匹 オキアミ フカセ釣り
   p  匹    
   p  匹    
   p  匹    
浮きましたが、食いが悪いです。 釣人:サトシF <<<
一文字-4番  2010/08/15 (午後時〜 時)
グレ 23-26p 4匹 オキアミ フカセ釣り
   p  匹    
   p  匹    
   p  匹    
正面からの南風で遠投効かず。残念!!!修行が必要。 釣人:NIGHT
平磯-4番  2010/08/16 (午後時〜 時)
クロダイ 45.5p 1匹 本コウジ 投げ釣り
   p  匹    
   p  匹    
   p  匹    
閉園前の最後の一投で最後の本コウジを投げ込んだら釣れました。結構重かったです。 釣人:こばっく
平磯-4番  2010/08/16 (午後時〜 時)
キチヌ 41.5p 1匹 本コウジ 投げ釣り
   p  匹    
   p  匹    
   p  匹    
まさか、平磯海づり公園でキチヌ(キビレ)が釣れるとは思いませんでした・・・。 釣人:こばっく
西-5番  2010/08/16 (終日時〜 時)
アオリイカ 胴長11p 3匹 エギ1,8 ルアー・エギング
   p  匹    
   p  匹    
   p  匹    
小さすぎ 釣人:三田 <<<
東-4番  2010/08/13 (午後時〜 時)
グレ 24p 1匹 オキアミ フカセ釣り
小チヌ 21-22p 2匹    
   p  匹    
   p  匹    
暑かった、また釣れども釣れどもアジだった。 釣人:NIGHT
西-3番  2010/08/13 (夜間時〜 時)
サバ 40p 1匹 キビナゴ ウキ釣り
サバ 33p 1匹    
サバ 20p 1匹    
   p  匹    
22時から23時ころ単発で来ました。ちびサバ
はりリースしました。
釣人:トモ
西-3番  2010/08/08 (夜間時〜 時)
サバ 45〜35p 8匹 きびなご ウキ釣り
太刀魚 60p 1匹    
   p  匹    
   p  匹    
21時半頃から入れ食いになりました。 釣人:トモ
東-3番  2010/08/15 (夕方時〜 時)
アナハゼ 20p 1匹 マキエ サビキ釣り
アジ 12以下p 10匹    
   p  匹    
   p  匹    
飲ませ不発。太刀魚狙いで道糸プツン。お盆に釣りは駄目かも知れませんね。 釣人:SHIGE
東-2番  2010/08/15 (午後時〜 時)
チヌ 30p 1匹 オキアミ 紀州釣り
チヌ 15p 1匹    
   p  匹    
   p  匹    
一年ぶりのダンゴ、慣れてきたころ日が暮れました。 釣人:まさ <<<
東-5番  2010/08/14 (早朝時〜 時)
ハマチ 71p 1匹 ルアー(ワインド) ルアー・エギング
   p  匹    
   p  匹    
   p  匹    
5時40分に、いきなりでした。それまでは全く当たり無しでした。 釣人:テン
西   2010/08/08 (夜間時〜 時)
タチウオ 75p 2匹 キビナゴ ウキ釣り
   p  匹    
   p  匹    
   p  匹    
アジュールで釣ったのですが、垂水いけばよかった・・・。サバが釣りたい!!!! 釣人:さっさん
中央-5番  2010/08/06 (夜間時〜 時)
タチウオ 60〜75p 6匹 キビナゴ ウキ釣り
サバ 45p 1匹 カタクチイワシ  
   p  匹    
   p  匹    
漁港の内部にも回遊しているようです。サバはイワシエサに来ました。 釣人:ツケメン
西-2番  2010/08/08 (夜間時〜 時)
サバ 35〜45p 10匹 キビナゴ ウキ釣り
   p  匹    
   p  匹    
   p  匹    
PM9:15頃からワンド内で入れ食いになりました。3本だけ持ち帰りました 釣人:T AND M
西-3番  2010/08/08 (夕方時〜 時)
ハネ 42p 1匹 アジ 泳がせ釣り
   p  匹    
   p  匹    
   p  匹    
日暮れ間際に何とか釣れました。 釣人:ノリさん <<<
西-5番  2010/08/08 (終日時〜 時)
グレ 25〜27p 2匹 オキアミ フカセ釣り
ハネ 44p 1匹 活きアジ  
サバ 40p 1匹 キビナゴ  
   p  匹    
グレは日中フカセ、ハネは夕方飲ませ、サバは夜釣りです。疲れました。 釣人:管理人
東-9番  2010/08/08 (午後時〜 時)
チヌ 40p 1匹 コーン フカセ釣り
  28p 1匹    
   p  匹    
   p  匹    
えさとり多い! 釣人:健太郎
中央-5番  2010/08/08 (午後時〜 時)
チヌ 22〜40p 4匹 オキアミ 紀州釣り
   p  匹 コーン  
   p  匹    
   p  匹    
活性高かったです。 釣人:マツパパ
中央-8番  2010/08/07 (夜間時〜 時)
サバ 45p 1匹 きびなご ウキ釣り
さば 40p 1匹    
たちうお 65p 1匹    
   p  匹    
2回さばのあたりのみ。たちうおの当りも少ない、8日東1番だんご釣り不発でした。 釣人:せきやん
東-4番  2010/08/06 (夜間時〜 時)
タチウオ 65p 3匹 さんまの切り身 ウキ釣り
サバ 42p 1匹    
   p  匹    
   p  匹    
サバ3アタリ中1ゲット
引きが強くめっちゃ楽しい。
釣人:かずひこちゃん
東-4番  2010/08/07 (午前中時〜 時)
グレ 22〜25p 2匹 オキアミS フカセ釣り
チヌ 22p 1匹    
   p  匹    
   p  匹    
グレ1匹脱走。短時間でしたが、浮きました。 釣人:西っさん
中央-6番  2010/08/05 (夜間時〜 時)
タチウオ 60〜75p 12匹 キビナゴ ブッコミ釣り
   p  匹    
   p  匹    
   p  匹    
21時〜22時までの釣果、入れ食いでした。 釣人:タッチー狙い
西-5番  2010/08/05 (夜間時〜 時)
サバ 40〜45p 3匹 キビナゴ ウキ釣り
タチウオ 60p 3匹    
   p  匹    
   p  匹    
あたりが出だしたのがPM10:00から、そこから連発できました。 釣人:T AND M
中央-8番  2010/08/05 (夕方時〜 時)
サバ 35p 1匹 キビナゴ フカセ釣り
太刀魚 50p 1匹    
   p  匹    
   p  匹    
カタクチイワシをエサに湾内の方がよくサバが釣れていました。 釣人:ノリさん <<<
西-5番  2010/08/05 (午前中時〜 時)
スズキ 60p 1匹 小アジ 泳がせ釣り
   p  匹    
   p  匹    
   p  匹    
10時にヒット。その後バラシ1回。デジカメ水没して写真ありません。 釣人:管理人 <<<
中央-8番  2010/08/03 (夜間時〜 時)
サバ 40p 1匹 きびなご ウキ釣り
たちうお 約65p 3匹    
   p  匹    
   p  匹    
さばの当り2回のみ、今日は全体的に厳しい夜でした。たちうお回遊多いです。 釣人:せきやん
中央-8番  2010/08/01 (夜間時〜 時)
サバ 36〜45p 4匹 キビナゴ ウキ釣り
   p  匹    
   p  匹    
   p  匹    
相当数アタリが有りますが食いが浅く針外れ連発です。18〜21時の釣果。 釣人:デイドリーム <<<
一文字-4番  2010/08/01 (終日時〜 時)
グレ 24〜28p 21匹 オキアミ フカセ釣り
   p  匹    
   p  匹    
   p  匹    
10〜15時の釣果。オセン、猛暑に完敗です。 釣人:デイドリーム <<<
西-5番  2010/08/02 (夜間時〜 時)
サバ 35〜42p 10匹 キビナゴ ウキ釣り
   p  匹    
   p  匹    
   p  匹    
5回目のチャレンジで初サバGET<br>バラシも多々有り、当りはほぼ一投毎に有り 釣人:T AND M <<<
東-5番  2010/08/02 (夜間時〜 時)
ガシラ 20〜22p 3匹 ワーム ルアー・エギング
   p  匹    
   p  匹    
   p  匹    
21時半から1時間の釣果です。やはりガシラのいいサイズは夜間に限ります。 釣人:ガシラハンター
中央-8番  2010/08/01 (夜間時〜 時)
サバ 40cm級p 1匹 きびなご ウキ釣り
サバ 30cm級p 1匹    
   p  匹    
   p  匹    
初のサバ釣り、6回掛けて取り込めたのは2尾だけ。未熟です。また挑戦します。 釣人:やまぱぱ <<<
中央-8番  2010/08/02 (夜間時〜 時)
サバ 39−45p 3匹 きびなご ウキ釣り
   p  匹    
   p  匹    
   p  匹    
PM10頃、ルアーでもお隣さん釣られていました。 釣人:せきやん
中央   2010/08/02 (夕方時〜 時)
ツバス 32〜3p 2匹 ミノー ルアー・エギング
   p  匹    
   p  匹    
   p  匹    
初めてで釣ってビックリ!物凄く活性が高かったです。 釣人:yutaka
東-3番  2010/08/01 (夜間時〜 時)
サバ 39p 1匹 キビナゴ ウキ釣り
   p  匹    
   p  匹    
   p  匹    
3連続バラシの結果です。(><)<br>8時頃のあっという間の回遊でした。 釣人:SHIGE
東-3番  2010/08/01 (夜間時〜 時)
太刀魚 68p 1匹 キビナゴ ウキ釣り
   p  匹    
   p  匹    
   p  匹    
9時頃、エサは最後の1匹で掛かりました。 釣人:SHIGE
平磯-11番  2010/08/01 (午後時〜 時)
かわはぎ 26p 3匹 石ゴカイ ブッコミ釣り
歯オコゼ 7p 2匹    
   p  匹    
   p  匹    
腕から塩が吹き出てました、暑い 釣人:崖っぷちの阪神 <<<
東-6番  2010/08/01 (夜間時〜 時)
サバ 46p 1匹 メタルジグ ルアー・エギング
   p  匹    
   p  匹    
   p  匹    
暗くなって少しイワシが廻ってきたところできました。 釣人:つりいちすけ <<<
中央-8番  2010/08/01 (夜間時〜 時)
サバ 35〜42p 3匹 キビナゴ ウキ釣り
   p  匹    
   p  匹    
   p  匹    
アタリは何度もありますが、喰い込みが悪いです。早合わせは禁物です。 釣人:管理人 <<<
中央-8番  2010/07/31 (夜間時〜 時)
サバ 35〜45p 8匹 キビナゴ ウキ釣り
   p  匹 イワシ  
   p  匹    
   p  匹    
イワシが回遊すると確率大です。油断すると仕掛けブチ切られます。2号以上で。 釣人:ノリさん
東-3番  2010/07/31 (午後時〜 時)
ベラ 13〜18p 29匹 青虫 投げ釣り
ガシラ 11〜12p 2匹    
クジメ 13p 1匹    
   p  匹    
PM2:00〜3:00、ベラ入れ食いでした。ガシラはリリース。 釣人:ゴールドブレンド
東-4番  2010/07/31 (午後時〜 時)
グレ 25-26p 3匹 オキアミ フカセ釣り
   p  匹    
   p  匹    
   p  匹    
久しぶりに透き通った潮でした。 釣人:NIGHT
中央-8番  2010/07/31 (夜間時〜 時)
サバ 35〜48p 5匹 キビナゴ ウキ釣り
   p  匹    
   p  匹    
   p  匹    
イワシの回遊があれば釣れる可能性大です。ルアーでも釣れています。 釣人:管理人
東-4番  2010/07/31 (午前中時〜 時)
グレ 21p 2匹 オキアミ フカセ釣り
コッパ u-20p 1匹    
   p  匹    
   p  匹    
最後にボラ君にウキを盗られました。 釣人:ひろ
東-5番  2010/07/30 (夜間時〜 時)
ガシラ 15〜20p 5匹 ワーム ルアー・エギング
   p  匹    
   p  匹    
   p  匹    
今日も風が強くキャスティングに苦戦しました。ジャスト1時間の釣果です。 釣人:ガシラハンター
東-4番  2010/07/26 (夜間時〜 時)
ガシラ 15〜19p 4匹 ワーム ルアー・エギング
ムラソイ 10〜20p 2匹    
   p  匹    
   p  匹    
風が強くてやりにくかったですが1時間強でそこそこ釣れました。 釣人:ガシラハンター
東-4番  2010/07/25 (午前中時〜 時)
サヨリ 23〜29p 4匹 サシエSサイズ ウキ釣り
   p  匹    
   p  匹    
   p  匹    
1匹抜け出し1匹隣の方に戴きました。手返しの悪さが反省の釣行でした。 釣人:SHIGE
東-3番  2010/07/24 (夕方時〜 時)
ヨロイメバル 13p 1匹 アミエビ 胴付き・探り釣り
アジ、イワシ 8〜11p 30匹 オセンの切り身  
   p  匹    
   p  匹    
初ヨロイメバル。エサはサビキで釣ったオセンの切り身です。釣れるもんですね。 釣人:ゴールドブレンド
中央-8番  2010/07/24 (夜間時〜 時)
タチウオ 40〜70p 7匹 キビナゴ ウキ釣り
   p  匹    
   p  匹    
   p  匹    
アタリは頻繁にあります。型は小さいです。 釣人:管理人 <<<
東-3番  2010/07/24 (夕方時〜 時)
ヒラメ そこそこp 1匹 サビキ(ヒラメ) サビキ釣り
ガシラ そこそこp 1匹 イワシ(ガシラ)  
   p  匹    
   p  匹    
SHIGEさん目撃しました。イワシ欲しかったのですが、何故かヒラメが 釣人:おっとまん
東-1番  2010/07/24 (夜間時〜 時)
アナゴ 26〜32p 2匹 アオイソメ 投げ釣り
   p  匹    
   p  匹    
   p  匹    
東3でも小さめの太刀魚が釣れていた様です。エサ獲りのフグが多かったです。 釣人:SHIGE
東-4番  2010/07/24 (午前中時〜 時)
チヌ 20p 1匹 オキアミ フカセ釣り
コッパ 〜20p 2匹    
   p  匹    
   p  匹    
久しぶりにチヌを釣りました。小さいですが…。 釣人:ひろ
西-2番  2010/07/22 (夜間時〜 時)
タチウオ 40〜50p 3匹 きびなご ウキ釣り
   p  匹 おきあみ  
   p  匹    
   p  匹    
小太刀が山ほどいてお祭り騒ぎです 釣人:蔵之臣 <<<
西-2番  2010/07/22 (夜間時〜 時)
タチウオ 40〜50p 4匹 キビナゴ ウキ釣り
   p  匹    
   p  匹    
   p  匹    
アタリは頻繁にありますが、小さ過ぎてなかなか針掛かりしません。 釣人:管理人 <<<
東-6番  2010/07/22 (夜間時〜 時)
ガシラ 10〜20p 4匹 ワーム ルアー・エギング
ムラソイ 16p 1匹    
   p  匹    
   p  匹    
19時半から1時間半の釣果です。夜間でも汗ばむほど暑かったです。 釣人:ガシラハンター
東-4番  2010/07/19 (午前中時〜 時)
シイラ 約12p 1匹 サシエSサイズ ウキ釣り
   p  匹    
   p  匹    
   p  匹    
謎だった魚はシイラと判明しました。 釣人:SHIGE
中央-4番  2010/07/20 (早朝時〜 時)
アジ・サバ 6〜15p 117匹 オキアミ サビキ釣り
   p  匹    
   p  匹    
   p  匹    
よく釣れました! 釣人:BM
西-4番  2010/07/19 (午後時〜 時)
豆アジ、小サバ 7〜14p 88匹 オキアミ サビキ釣り
イワシ 10〜11p 3匹    
   p  匹    
   p  匹    
少し投げると、大きめのアジが釣れました。 釣人:ゴールドブレンド <<<
平磯-1番  2010/07/19 (午前中時〜 時)
キス 12p 1匹 石ゴカイ ブッコミ釣り
べら 20p 8匹    
ガシラ 13p 5匹    
   p  匹    
暑さでボーっとしました、熱中症に気をつけましょう 釣人:崖っぷちの民主党 <<<
東-4番  2010/07/19 (夕方時〜 時)
ガシラ そこそこp 10匹 シラサ 胴付き・探り釣り
   p  匹    
   p  匹    
   p  匹    
そこそこのガシラが釣れました。 釣人:おっとまん
東-6番  2010/07/19 (午後時〜 時)
チヌ 36p 1匹 オキアミ フカセ釣り
   p  匹 ねりえ  
   p  匹    
   p  匹    
茶色の海水面、見えない所で豆アジ・おせん・ボラ、ネリエで18時に 釣人:せきやん
東-5番  2010/07/19 (午前中時〜 時)
サヨリ 23〜25p 2匹 Sサイズのサシエ ウキ釣り
   p  匹    
   p  匹    
   p  匹    
最近ボーズ続きだったので久々の投稿が嬉しいです。海の濁りには参りました。 釣人:SHIGE
東-2番  2010/07/18 (午後時〜 時)
チヌ 23〜41p 2匹 オキアミ 紀州釣り
   p  匹    
   p  匹    
   p  匹    
小さいのはリリースしました。 釣人:マツパパ
中央-11番  2010/07/17 (午後時〜 時)
豆アジ、豆サバ 7〜10p 37匹 アミエビ サビキ釣り
イワシ 8〜15p 21匹    
メバル 13〜14p 2匹    
   p  匹    
水路で。アジはマズメより日中の方がよく釣れました。雨上がりで海が茶色かった! 釣人:ゴールドブレンド
東-6番  2010/07/17 (夕方時〜 時)
ガシラ 13〜20p 7匹 ワーム ルアー・エギング
ムラソイ 10〜16p 6匹    
メバル 15p 1匹    
   p  匹    
1時間10分、屈託庵とのコラボ釣果です。20cmのみキープ、あとはリリースです。 釣人:ガシラハンター
西-4番  2010/07/17 (夜間時〜 時)
ガシラ 13p 1匹 イワシ ウキ釣り
   p  匹    
   p  匹    
   p  匹    
本命はボーズ。ちっこいガシラはリリース。 釣人:ジオング <<<
中央-10番  2010/07/16 (夜間時〜 時)
メバル 16〜29p 7匹 アオムシ ウキ釣り
ガシラ 20p 1匹    
   p  匹    
   p  匹    
じあいの30分で釣れました 釣人:マツパパ&マツムスコ
中央-1番  2010/07/09 (夕方時〜 時)
アジ 10〜18p 119匹 アミエビ サビキ釣り
メバル 15〜20p 7匹    
   p  匹    
   p  匹    
爆釣です。皆さん僕の名前覚えてくれて、いますか? 釣人:みっちー <<<
東-4番  2010/07/09 (終日時〜 時)
グレ 23〜25p 2匹 おきあみ フカセ釣り
ちび 17p 1匹    
   p  匹    
   p  匹    
10時〜14時まで、相当厳しい、アタリを見ればわかりますが沖には出たがっていない 釣人:蔵之臣
西-5番  2010/07/10 (午後時〜 時)
グレ 25p 3匹 オキアミ フカセ釣り
小アジ 8〜11p 30匹    
イワシ 7〜12p 50匹    
   p  匹    
15時〜18時の釣果。グレはフカセで、アジ、イワシはサビキでの釣果。 釣人:管理人 <<<
東-4番  2010/07/10 (午前中時〜 時)
サヨリ 〜32p 9匹 オキアミS フカセ釣り
グレ 木っ葉p 3匹    
豆アジ  p 8匹    
   p  匹    
辺り一面サヨリ。そこにボラ。怖くて合わせられませんでした。 釣人:西っさん <<<
一文字-3番  2010/07/08 (午前中時〜 時)
シマアジ 40p 1匹 オキアミ ウキ釣り
グレ 〜29p 52匹    
   p  匹    
   p  匹    
写真投稿できなくてすいません^^
沖縄のしかけで釣れました
釣人:沖縄の覇者 <<<
東-6番  2010/07/04 (夕方時〜 時)
ガシラ 24.5p 1匹 ワーム ルアー・エギング
   p  匹    
   p  匹    
   p  匹    
久々のメガガシラです。 釣人:ガシラハンター
東-6番  2010/07/04 (夕方時〜 時)
ガシラ 12〜24p 10匹 ワーム ルアー・エギング
ムラソイ 10〜16p 7匹    
   p  匹    
   p  匹    
本日夕刻1時間20分屈託庵との釣果です。 釣人:ガシラハンター
東-4番  2010/07/04 (午前中時〜 時)
グレ 15〜20p 5匹 オキアミ フカセ釣り
サヨリ  〜34p 12匹    
小アジ  p 5匹    
   p  匹    
ボラ、サヨリ、アジ、オセン多数 釣人:勘太郎
西-5番  2010/07/04 (終日時〜 時)
グレ 20〜25p 8匹 オキアミ フカセ釣り
サヨリ 23〜30p 多数匹    
豆アジ 8〜10p 多数匹    
   p  匹    
サヨリ、豆アジ、オセンが多過ぎてお手上げでした。 釣人:管理人
中央-1番  2010/07/04 (午前中時〜 時)
7〜9p 20匹 アミエビ サビキ釣り
メバル 15p 1匹    
   p  匹    
   p  匹    
こんにちは、これからどんどん投稿します。 釣人:みっちー <<<
西-5番  2010/07/04 (終日時〜 時)
グレ 23〜26p 2匹 オキアミ フカセ釣り
   p  匹    
   p  匹    
   p  匹    
う〜ん・・・むつかしい・・・ 釣人:まさ <<<
西-3番  2010/07/02 (午前中時〜 時)
べラ 12〜19p 21匹 地ゴカイ 投げ釣り
   p  匹    
   p  匹    
   p  匹    
10時〜12時 100M沖からべラの着信あり 釣人:秋グレ
西-5番  2010/07/01 (終日時〜 時)
グレ 21〜27p 18匹 オキアミ フカセ釣り
   p  匹    
   p  匹    
   p  匹    
午前中は豆アジ、サヨリの回遊がありグレ釣れず。グレが釣れたのは13時から。 釣人:管理人
東-6番  2010/06/29 (夕方時〜 時)
ヨロイメバル 10〜16p 2匹 ワーム ルアー・エギング
ガシラ・クロソイ 14p 1匹    
アイナメ他 18p 1匹    
   p  匹    
福田川尻の石積みで6目達成しました。夕方1時間ちょいの釣果です。 釣人:ガシラハンター
平磯-4番  2010/06/27 (午前中時〜 時)
チヌ 47.6p 1匹 本コウジ 投げ釣り
   p  匹    
   p  匹    
   p  匹    
今回も平磯海づり公園のチヌですが、産卵後の固体で重量感はそれ程でもなかったです。 釣人:こばっく
西-5番  2010/06/28 (終日時〜 時)
グレ 20〜27p 24匹 オキアミ フカセ釣り
   p  匹    
   p  匹    
   p  匹    
グレ狙いは5名。出遅れたため中央寄りで竿を出しましたが、グレは良く浮きました。 釣人:管理人
東-4番  2010/06/27 (終日時〜 時)
グレ 23-26p 2匹 オキアミ フカセ釣り
   p  匹    
   p  匹    
   p  匹    
南風で釣りにくかったです。 釣人:NIGHT
中央-11番  2010/06/25 (午後時〜 時)
グレ 不明p 1匹 オキアミ フカセ釣り
   p  匹    
   p  匹    
   p  匹    
予報が外れ、小雨の中で・・・1枚だけ 味醂付けにしました。 釣人:パイザ
一文字-4番  2010/06/24 (終日時〜 時)
グレ 23-26p 3匹 おきあみ フカセ釣り
   p  匹    
   p  匹    
   p  匹    
どうでしょうか? 釣人:蔵之臣
西-5番  2010/06/23 (午後時〜 時)
グレ 23p 1匹 オキアミ フカセ釣り
グレ 24p 1匹    
グレ 25p 1匹    
   p  匹    
目の前がゴミだらけで参りました。管理人さん、勉強になりました。 釣人:やまぱぱ
西-5番  2010/06/23 (終日時〜 時)
グレ 22〜27p 11匹 オキアミ フカセ釣り
   p  匹    
   p  匹    
   p  匹    
雨後で凄いゴミでした。グレは前半浮かず。納竿間際になって活性上がりました。 釣人:管理人
中央-7番  2010/06/22 (午後時〜 時)
タコ 約30p 1匹 青虫 投げ釣り
ベラ 19p 1匹    
アイナメ 15〜18p 2匹    
   p  匹    
初めて蛸を釣りました。一緒にかかったアイナメを狙ってた? 釣人:ゴールドブレンド
東-4番  2009/05/20 (午前中時〜 時)
グレ 木っ葉p 2匹 オキアミS フカセ釣り
メバル 12p 1匹    
   p  匹    
   p  匹    
汚い潮にお手上げでした。 釣人:西っさん <<<
西-5番  2009/06/17 (終日時〜 時)
グレ 22〜25p 3匹 オキアミ フカセ釣り
   p  匹    
   p  匹    
   p  匹    
必死なんだけど、テクニックの差は如何ともし難たい。次は頑張るぞ。 釣人:釣り好き <<<
西-5番  2010/06/17 (終日時〜 時)
グレ 21〜27p 35匹 オキアミ フカセ釣り
   p  匹    
   p  匹    
   p  匹    
暑さで倒そうになりました。グレは遠投で良く釣れました。 釣人:管理人
東-5番  2010/06/16 (夕方時〜 時)
ガシラ 13p 1匹 ワーム ルアー・エギング
ヨロイメバル 15p 1匹    
アイナメ 21p 1匹    
   p  匹    
夕方1.5時間の釣果です 釣人:ガシラハンター
西-5番  2009/06/14 (終日時〜 時)
グレ 23〜26p 10匹 オキアミ フカセ釣り
グレ 20p 1匹    
   p  匹    
   p  匹    
終日グレは浮いてましたが、食いは渋かったです 釣人:さわいち
西-5番  2009/06/13 (終日時〜 時)
グレ 21-26p 12匹 オキアミ フカセ釣り
   p  匹    
   p  匹    
   p  匹    
14時頃からは1人で雨の中の鍛錬。雨でライン操作が上手く出来ず。修行足らず。 釣人:NIGHT
西-5番  2010/06/12 (終日時〜 時)
グレ 23-24p 6匹 オキアミ フカセ釣り
   p  匹    
   p  匹    
   p  匹    
14時頃まで。ずっと浮いてましたがオキアミは嫌いみたいでした。写真撮らず。 釣人:やまぱぱ <<<
平磯-6番  2010/06/12 (午後時〜 時)
ガシラ 13p 1匹 石ゴカイ ブッコミ釣り
   p  匹    
   p  匹    
   p  匹    
月曜はカメルーンでも釣るか 釣人:崖っぷちのサッカー <<<
東-3番  2010/06/12 (午前中時〜 時)
クジメ 15〜19p 2匹 青虫 投げ釣り
アイナメ 12〜16p 3匹    
キュウセン 14p 1匹    
   p  匹    
隣のおじさんが21cmのベラをくれました。 釣人:ゴールドブレンド
東-4番  2009/06/12 (午前中時〜 時)
グレ 24p 5匹 オキアミS フカセ釣り
グレ 木っ端p 4匹    
   p  匹    
   p  匹    
11時頃浮いてきましたが、喰い渋い。 釣人:西っさん
東-4番  2010/06/12 (午前中時〜 時)
グレ 23.0p 1匹 オキアミ フカセ釣り
グレ 24.0p 1匹    
   p  匹    
   p  匹    
AM6:00〜PM14;00まで。僕には精一杯です 釣人:せきやん
東-4番  2010/06/09 (夕方時〜 時)
ガシラ 20p 1匹 岩ガニ 胴付き・探り釣り
   p  匹    
   p  匹    
   p  匹    
たった1匹です… 釣人:ガシラハンター
西-5番  2010/06/09 (終日時〜 時)
グレ 22〜27p 8匹 オキアミ フカセ釣り
   p  匹    
   p  匹    
   p  匹    
グレ狙いは7名。潮が濁り、喰いは超渋く、全員で10枚ほどしか釣れませんでした。 釣人:管理人
東-3番  2010/06/08 (午後時〜 時)
ガシラ 17〜18p 2匹 青虫 胴付き・探り釣り
メバル 13p 1匹    
グレ 16p 1匹    
   p  匹    
チビですが初グレ。太い青虫を食ってきたので驚きました。 釣人:ゴールドブレンド
西-5番  2010/06/08 (午前中時〜 時)
グレ 22〜30p 14匹 オキアミ フカセ釣り
   p  匹    
   p  匹    
   p  匹    
11時頃までまったく気配なし。その後2時間程でバタバタと。風強いが活性高かった。 釣人:グチオヤジ
東-4番  2010/06/06 (午前中時〜 時)
グレ 24p 1匹 オキアミ フカセ釣り
   p  匹    
   p  匹    
   p  匹    
海は良い感じだったのですが…。 釣人:ひろ
中央-11番  2010/06/07 (夕方時〜 時)
メバル 13p 1匹 青虫 投げ釣り
ガシラ 13p 1匹    
アイナメ 15p 1匹    
   p  匹    
ウミケムシの猛攻を受けました…。 釣人:ゴールドブレンド <<<
平磯   2010/06/06 (午後時〜 時)
ハオコゼ 6p 3匹 石ゴカイ ブッコミ釣り
メバル 9p 1匹 オキアミ  
クジメ 13p 1匹    
   p  匹    
久しぶりの大漁に興奮しました 釣人:崖っぷちのサッカー <<<
東-4番  2010/06/06 (午前中時〜 時)
グレ 24p 1匹 オキアミ フカセ釣り
小メバル  p 数匹    
   p  匹    
   p  匹    
・・・・・ 釣人:勘太郎
東-6番  2010/06/06 (夕方時〜 時)
ガシラ 12p 1匹 ワーム ルアー・エギング
ムラソイ 15p 1匹    
   p  匹    
   p  匹    
ロックフィッシュのワーミング、楽しかったです^^ 釣人:ガシラハンター
東-6番  2009/06/06 (夕方時〜 時)
ムラソイ 10〜15p 13匹 ワーム ルアー・エギング
ガシラ 16p 1匹    
   p  匹    
   p  匹    
夕暮れ時に連発しました 釣人:屈託庵
東-4番  2009/06/06 (午前中時〜 時)
グレ 25p 1匹 オキアミS フカセ釣り
グレ 26p 1匹    
   p  匹    
   p  匹    
渋いですね。汚い潮流れて来てうんざり。 釣人:西っさん <<<
西-5番  2010/06/06 (終日時〜 時)
グレ 24-29p 8匹 オキアミ フカセ釣り
   p  匹    
   p  匹    
   p  匹    
西5では31cm超はムリか?ゴミ多く汚い潮でボラ天下の一日でした。 釣人:やまぱぱ
東-9番  2009/06/04 (午後時〜 時)
ボラ 69以下p 6匹 オキアミ 紀州釣り
チヌ 26p 1匹    
   p  匹    
   p  匹    
今期ダンゴ初握りはボラばかり。ババたれもスレできました。 釣人:kもりた
東-1番  2010/06/04 (夜間時〜 時)
ガシラ 20p 1匹 アオイソメ 投げ釣り
   p  匹    
   p  匹    
   p  匹    
久しぶりの金曜の夜釣りでした。アナゴは不発に終わりました。 釣人:SHIGE
平磯-4番  2009/06/02 (午後時〜 時)
チヌ 54.0p 1匹 本コウジ 投げ釣り
ガシラ 18.0p 1匹    
   p  匹    
   p  匹    
人生初の年無しチヌを釣りました!抱卵固体のため、のっこみチヌまだいけるかもです! 釣人:こばっく
東-6番  2010/06/02 (夕方時〜 時)
ムラソイ 13・15p 2匹 岩ガニ 胴付き・探り釣り
   p  匹    
   p  匹    
   p  匹    
夕方の垂水漁港、好きです^^ 釣人:ガシラハンター
西-5番  2009/06/01 (終日時〜 時)
グレ 22〜28p 8匹 オキアミ フカセ釣り
   p  匹    
   p  匹    
   p  匹    
午後は南風が強く、釣りにならず。
グレねらいの人は三人だけでした。
釣人:釣り好き <<<
中央-11番  2010/05/31 (終日時〜 時)
グレ 23〜25p 3匹 オキアミ フカセ釣り
グレ 18〜20p 4匹    
   p  匹    
   p  匹    
本日撃沈されました。 釣人:東大阪ファミリー
一文字-3番  2009/05/28 (午後時〜 時)
グレ 24〜30p 22匹 オキアミ フカセ釣り
   p  匹 サシアミ  
   p  匹    
   p  匹    
グレ浮くも食い悪い、当たりも小さい 釣人:蒼礁会1号
一文字-8番  2009/05/21 (終日時〜 時)
グレ 23〜27p 7匹 オキアミ フカセ釣り
   p  匹    
   p  匹    
   p  匹    
霧が上がってもグレは今一上がりませんでした。 釣人:kもりた
東   2010/05/30 (夕方時〜 時)
ガシラ 17p 1匹 磯ガニ 胴付き・探り釣り
   p  匹    
   p  匹    
   p  匹    
カニング最高! 釣人:ガシラハンター
西-5番  2009/05/28 (午前中時〜 時)
グレ 22〜30p 13匹 オキアミ フカセ釣り
   p  匹    
   p  匹    
   p  匹    
あたりは激シブでした。 釣人:トモ
西-5番  2010/05/30 (終日時〜 時)
グレ 23-27p 7匹 オキアミ フカセ釣り
   p  匹    
   p  匹    
   p  匹    
23cm未満x3は即放流。浮いたり沈んだり、とにかく激渋でした。 釣人:やまぱぱ
西-5番  2009/05/29 (午前中時〜 時)
グレ 22-27p 9匹 オキアミ フカセ釣り
   p  匹    
   p  匹    
   p  匹    
昼前にやっと浮き出しました。 釣人:NIGHT
西-5番  2009/05/28 (終日時〜 時)
グレ 20-31p 5匹 オキアミ フカセ釣り
   p  匹    
   p  匹    
   p  匹    
初めて30cmオーバーを釣りました。<br> 釣人:釣り好き
一文字-4番  2009/05/27 (終日時〜 時)
グレ 20〜29p 56匹 おきあみ フカセ釣り
   p  匹    
   p  匹    
   p  匹    
おせんをまとめずタイミングのみでぐれ 見えてなくてもおせんは全面に居ます 釣人:蔵之臣
西-5番  2010/05/28 (終日時〜 時)
グレ 20〜30p 18匹 オキアミ フカセ釣り
   p  匹    
   p  匹    
   p  匹    
グレ狙いは全員で10人。皆さん良く釣ってらっしゃいました。 釣人:管理人
中央-11番  2010/05/25 (午前中時〜 時)
グレ 20〜30p 34匹 オキアミ フカセ釣り
木っ端  p 4匹    
   p  匹    
   p  匹    
1年ぶりの垂水です。たくさん釣れました。 釣人:東大阪ファミリー
一文字-4番  2009/05/21 (終日時〜 時)
グレ 20〜30p 25匹 オキアミ フカセ釣り
   p  匹    
   p  匹    
   p  匹    
ウキが消し込むアタリは数えるほど サシエを隣の方に頂いたので4枚差上げました 釣人:蔵之臣
西-5番  2009/05/25 (終日時〜 時)
グレ 23〜27p 16匹 オキアミ フカセ釣り
   p  匹    
   p  匹    
   p  匹    
午後から風が強くなり苦戦しました 釣人:さわいち <<<
西-5番  2010/05/25 (終日時〜 時)
グレ 21〜29p 28匹 サシアミ フカセ釣り
   p  匹    
   p  匹    
   p  匹    
午後から南風が強まりさっぱり。喰いも相変わらず渋く、素針連発でした。 釣人:管理人
一文字-4番  2009/05/22 (終日時〜 時)
グレ 22-29p 16匹 オキアミ フカセ釣り
   p  匹    
   p  匹    
   p  匹    
2人隣の方は80枚だそうです。まるでマシンガンのようなコマセワークでした。 釣人:NIGHT
東-4番  2010/05/22 (午後時〜 時)
グレ 23p 1匹 オキアミ フカセ釣り
ボラ 70p 1匹    
   p  匹    
   p  匹    
ハリス0.8でボラとの死闘を制しました。テトラですくい上げるのがまた大変でした。 釣人:ノリさん
東-4番  2010/05/23 (終日時〜 時)
グレ 24p 2匹 オキアミ フカセ釣り
   p  匹    
   p  匹    
   p  匹    
午後からは殆ど毎回サシエが残りました。生命反応ありません。 釣人:管理人 <<<
一文字-4番  2009/05/22 (終日時〜 時)
グレ 23〜24p 4匹 オキアミ フカセ釣り
   p  匹    
   p  匹    
   p  匹    
初めての一文字です。遠投ではコマセを合わせることが出来ませんでした。 釣人:ひろ
東-4番  2009/05/22 (終日時〜 時)
グレ 22〜28p 2匹 オキアミ フカセ釣り
   p  匹    
   p  匹    
   p  匹    
激流、向かい風で昼からは釣りになりませんでした。 釣人:まさ <<<
中央-4番  2010/05/22 (夕方時〜 時)
マアナゴ 40p 1匹 オキアミ 胴付き・探り釣り
メバル 9〜12p 4匹    
ガシラ 12p 1匹    
   p  匹    
メバルはチビばかりでした。 釣人:ゴールドブレンド <<<
西-5番  2010/05/21 (午前中時〜 時)
グレ 22〜25p 6匹 オキアミ フカセ釣り
   p  匹    
   p  匹    
   p  匹    
夕食の一品に 釣人:秋グレ
西-5番  2009/05/20 (終日時〜 時)
グレ 22〜31p 43匹 オキアミ フカセ釣り
   p  匹    
   p  匹    
   p  匹    
14時頃から突然喰いが悪くなりました。30pオーバーは4枚です。 釣人:管理人
西-5番  2009/05/18 (午後時〜 時)
グレ 24〜30p 4匹 オキアミ フカセ釣り
   p  匹    
   p  匹    
   p  匹    
14時〜15時半の釣果。サトシF君のマキエを借りて釣らせてもらいました。 釣人:管理人 <<<
西-5番  2009/05/18 (終日時〜 時)
グレ 23〜30p 30匹 オキアミ フカセ釣り
   p  匹    
   p  匹    
   p  匹    
爆釣です。午後から爆風でした。 釣人:サトシF
西-5番  2010/05/18 (午前中時〜 時)
グレ 22〜27p 22匹 オキアミ フカセ釣り
   p  匹 石ゴカイ  
   p  匹    
   p  匹    
浮き始めるまでゴカイで3つ。あとはオキアミ。はじめて20匹超えました。 釣人:グチオヤジ
西-5番  2009/05/15 (終日時〜 時)
グレ 19〜30p 4匹 オキアミ フカセ釣り
   p  匹    
   p  匹    
   p  匹    
まだまだ修行が足りません... 釣人:kumapapa
中央-7番  2009/05/17 (午後時〜 時)
グレ 29.5p 1匹 オキアミ 紀州釣り
ボラ 55p 1匹    
   p  匹    
   p  匹    
筏竿でのチヌ狙いに間違ってきました。コブ?には一発で飛ばされました。 釣人:kもりた
西-5番  2010/05/17 (終日時〜 時)
グレ 23〜26p 6匹 オキアミ フカセ釣り
  30.5p 1匹    
   p  匹    
   p  匹    
なんとか30cmを1匹釣ることができました 釣人:さわいち <<<
西-5番  2009/05/16 (終日時〜 時)
グレ 23〜25p 7匹 オキアミ フカセ釣り
   p  匹    
   p  匹    
   p  匹    
少し遅れましたが。 釣人:サトシF <
東-4番  2009/05/16 (午前中時〜 時)
グレ 27p 1匹 オキアミ フカセ釣り
グレ 25p 1匹    
グレ 22〜23p 2匹    
   p  匹    
オセン・ボラあまり姿見ず。グレ浮かず。1.5〜2ヒロ 釣人:勘太郎 <
中央-4番  2010/05/16 (夜間時〜 時)
メバル 10〜15p 3匹 青虫 胴付き・探り釣り
クジメ 14p 1匹    
   p  匹    
   p  匹    
やたらと湿度の高い夜でした。 釣人:ゴールドブレンド <<<
東-4番  2010/05/16 (終日時〜 時)
グレ 22〜26p 3匹 オキアミ フカセ釣り
   p  匹    
   p  匹    
   p  匹    
グレ初心者 色々教わり西○先輩ありがとうございました。 釣人:せきやん
西-5番  2010/05/15 (終日時〜 時)
グレ 21-27p 9匹 オキアミ フカセ釣り
   p  匹    
   p  匹    
   p  匹    
早朝〜午前はよく釣れました。午後からは浮いてきても渋かった。 釣人:やまぱぱ
中央-4番  2010/05/13 (夜間時〜 時)
メバル 12〜17p 4匹 青虫 胴付き・探り釣り
   p  匹    
   p  匹    
   p  匹    
魚が跳ね回ってました。 釣人:ゴールドブレンド <<<
西-5番  2010/05/13 (終日時〜 時)
グレ 21〜29.5p 21匹 オキアミ フカセ釣り
   p  匹    
   p  匹    
   p  匹    
私も21匹です。グレはたくさん居ますが、喰いはかなり渋いです。素針連発でした。 釣人:管理人
一文字-8番  2009/05/13 (終日時〜 時)
グレ 24〜29.5p 21匹 オキアミ フカセ釣り
   p  匹    
   p  匹    
   p  匹    
今夏?グレ初舞台です。北西の風オー寒ぅー 釣人:kもりた
西-5番  2009/05/13 (終日時〜 時)
グレ 23〜27p 21匹 オキアミ フカセ釣り
   p  匹    
   p  匹    
   p  匹    
アタリが渋いため、疲れました。 釣人:まさ
西-5番  2009/05/11 (終日時〜 時)
グレ 21〜27p 22匹 オキアミ フカセ釣り
   p  匹    
   p  匹    
   p  匹    
濁りが入り、魚の姿見えず。後半は潮がフラつき釣果伸びず。タナは矢引き〜1ヒロ。 釣人:管理人
西-5番  2010/05/11 (午前中時〜 時)
グレ 22-29p 7匹 オキアミ フカセ釣り
   p  匹    
   p  匹    
   p  匹    
早い時間水潮のせいか全くだめ。9時頃からようやくオセンが寄り始め・・・ 釣人:グチオヤジ
西-5番  2009/05/10 (午前中時〜 時)
グレ 28〜29p 3匹 オキアミ フカセ釣り
グレ 〜25p 8匹    
   p  匹    
   p  匹    
初めての2ケタ釣果です。 釣人:ひろ
西-5番  2009/05/09 (午前中時〜 時)
グレ 30p 1匹 オキアミ フカセ釣り
グレ 27p 1匹    
グレ 22〜25p 6匹    
   p  匹    
初グレです。
あと初ボラと。
釣人:勘太郎
中央-11番  2009/05/08 (午前中時〜 時)
グレ 22〜23p 2匹 オキアミ フカセ釣り
   p  匹    
   p  匹    
   p  匹    
久しぶりに竿を振りましたが、なんとか2匹ゲットできました。 釣人:kumapapa
中央-5番  2010/05/08 (終日時〜 時)
カレイ 15〜25p 2匹 青虫 投げ釣り
メバル 10〜15p 4匹    
   p  匹    
   p  匹    
良いサイズが釣れました。メバルはミャク釣りです。赤潮汚かったー。 釣人:ゴールドブレンド
中央   2009/05/09 (早朝時〜 時)
メバル 10〜15p 15匹 ワーム ルアー・エギング
ガシラ 12p 1匹    
ムラソイ 11,13p 2匹    
   p  匹    
6:00〜1時間ほどで連発しました 釣人:屈託庵
西-5番  2010/05/08 (終日時〜 時)
グレ 22-25p 11匹 オキアミ フカセ釣り
   p  匹 石ゴカイ  
   p  匹    
   p  匹    
午前中はよく浮いていました。風もなく穏かな釣り日和でした。 釣人:やまぱぱ
西-5番  2010/05/02 (午前中時〜 時)
グレ 20〜25p 5匹 オキアミ フカセ釣り
   p  匹    
   p  匹    
   p  匹    
今年初釣行でラッキーでした。 釣人:トモ
西-5番  2009/05/05 (午前中時〜 時)
グレ 21〜27p 3匹 オキアミS フカセ釣り
   p  匹    
   p  匹    
   p  匹    
わいるだーさんと同じ。午前中はほとんど浮かず。 釣人:西っさん
東-4番  2009/05/04 (午前中時〜 時)
メバル 9〜12p 9匹 オキアミS フカセ釣り
   p  匹    
   p  匹    
   p  匹    
東のグレは確認出来ませんでした。オセンもいませんでした。 釣人:西っさん <<<
西-5番  2009/05/02 (終日時〜 時)
グレ 21〜24p 5匹 オキアミS フカセ釣り
   p  匹    
   p  匹    
   p  匹    
パサパサ感のあるマキエにしました。画像アップ出来ませんでした。 釣人:西っさん <<<
西-5番  2009/05/04 (終日時〜 時)
グレ 23〜29p 3匹 オキアミ フカセ釣り
   p  匹    
   p  匹    
   p  匹    
環付沈め竿アタリぐれ
疲れ果ててグッズグズのグッダグダでした
釣人:蔵之臣 <<<
西-5番  2009/05/05 (終日時〜 時)
グレ 23〜25p 2匹 オキアミ フカセ釣り
   p  匹    
   p  匹    
   p  匹    
気分的に釣りにならず… 釣人:わいるだー <<<
西-5番  2010/05/04 (終日時〜 時)
グレ 22p 2匹 オキアミ フカセ釣り
   p  匹 アオサ  
   p  匹    
   p  匹    
腕以上に体力、気力、睡眠が不足し過ぎて話しに成りませんでした。 釣人:デイドリーム <<<
平磯-7番  2010/05/04 (夜間時〜 時)
ガシラ 21p 1匹 石ゴカイ ブッコミ釣り
   p  匹    
   p  匹    
   p  匹    
竿を引き込むトルクに意識が飛びました 隣のサギに与えました 釣人:崖っぷちの石川遼 <<<
西-5番  2009/05/04 (終日時〜 時)
グレ 20〜23p 3匹 オキアミ フカセ釣り
   p  匹    
   p  匹    
   p  匹    
意識朦朧としてました。 釣人:3104k <<<
西-5番  2009/05/04 (終日時〜 時)
グレ 21〜25p 4匹 アオサ フカセ釣り
ガシラ 10〜13p 5匹 オキアミ  
   p  匹    
   p  匹    
フカセ釣り師は全部で9名。エサが入り過ぎ。 釣人:管理人
西-5番  2009/05/04 (終日時〜 時)
グレ 21〜24p 4匹 オキアミ フカセ釣り
   p  匹 アオサ  
   p  匹    
   p  匹    
タナは1.5〜4ヒロとバラバラでした。 釣人:まさ <<<
西   2010/05/03 (午後時〜 時)
ヨロイメバル 21p 1匹 ワーム ルアー・エギング
ベッコウゾイ 22p 1匹    
   p  匹    
   p  匹    
端午の節句に合わせるかのようにヨロイメバルが釣れました。まさに奇跡です。 釣人:ガシラハンター
西-5番  2009/05/03 (午後時〜 時)
グレ 30p 1匹 オキアミ フカセ釣り
グレ 25-26p 2匹    
グレ 22-23p 3匹    
   p  匹    
西はファミリーでいっぱいでしたが、西の角だけ空いていました。ラッキー!! 釣人:ひろ
中央-9番  2010/05/02 (夕方時〜 時)
メバル 18p 3匹 ママワーム ルアー・エギング
メバル 15p 4匹    
ガシラ 10p 1匹    
   p  匹    
満潮まぎわにばたばた当たりがきました! 釣人:メバリングのヒデ
東-6番  2010/05/02 (午後時〜 時)
チヌ 50.3p 1匹 オキアミ フカセ釣り
   p  匹    
   p  匹    
   p  匹    
PM18時ボラ様消え、PM18:10突然来ました。竿1本半ホンダワラ付近 釣人:せきやん
西-5番  2010/04/30 (終日時〜 時)
グレ 25p 1匹 オキアミ フカセ釣り
グレ 24p 3匹    
グレ 23p 1匹    
   p  匹    
1月以来のまともなサカナで感激!3ヒロ程度です。オセンがではじめてます。 釣人:やまぱぱ
東-6番  2009/04/29 (終日時〜 時)
チヌ 42p 1匹 オキアミ フカセ釣り
   p  匹    
   p  匹    
   p  匹    
3.5〜4ヒロ。ボラ活性すこぶる高く、数も半端ないですが、マキエで分離可能です。 釣人:もりさん
東-6番  2009/04/29 (午後時〜 時)
チヌ 45p 1匹 オキアミ フカセ釣り
   p  匹    
   p  匹    
   p  匹    
18時10分頃何の前ぶれも無くウキが消しこまれました。約4ヵ月ぶりの垂水チヌ。 釣人:NIGTH
東-9番  2009/04/29 (午後時〜 時)
カレイ 22p 1匹 青虫 投げ釣り
アイナメ 24p 1匹    
   p  匹    
   p  匹    
湾内にも多少入って来てる様子 釣人:3104k <<<
東-6番  2010/04/29 (終日時〜 時)
クジメ 18p 2匹 オキアミ フカセ釣り
テポドンボラ 約60p 1匹    
   p  匹    
   p  匹    
隣の男前のお兄さんがチヌを見事に(^^)右にボラ.左に仕掛け色々勉強になりました 釣人:せきやん
中央-4番  2010/04/28 (夜間時〜 時)
ガシラ 19p 1匹 青虫 胴付き・探り釣り
メバル 11〜15p 2匹    
   p  匹    
   p  匹    
酒蒸しでいただきます^^ 釣人:ゴールドブレンド
西-5番  2009/04/26 (午後時〜 時)
チヌ 45p 1匹 オキアミ フカセ釣り
グレ 25〜26p 2匹    
   p  匹    
   p  匹    
ボラが見え出しました中層にはおせんもまだ水温低くタナは3ヒロ〜4.5ヒロ 釣人:さわいち <<<
中央-7番  2010/04/25 (午後時〜 時)
カレイ 18p 1匹 マムシ 投げ釣り
マアナゴ 38p 1匹    
   p  匹    
   p  匹    
ヒトデに苦しみましたが、カレイが釣れて良かった! 釣人:ゴールドブレンド
中央   2009/04/25 (早朝時〜 時)
メバル 11〜14p 5匹 ワーム ルアー・エギング
   p  匹    
   p  匹    
   p  匹    
夜明け直前に5連発しました。 釣人:屈託庵
中央   2010/04/24 (終日時〜 時)
メバル 12〜16p 3匹 angleworm ルアー・エギング
ガシラ 14〜18p 1匹 earthworm  
   p  匹    
   p  匹    
PM8:00にアタリ有り。煮付けにしていただきました。 釣人:Unknown <<<
西-5番  2009/04/24 (午後時〜 時)
グレ 23p 1匹 オキアミ フカセ釣り
   p  匹    
   p  匹    
   p  匹    
今年もいよいよグレ開幕です。水温が低くオセンが全くいません。2ヒロ半。 釣人:ノリさん
西-5番  2010/04/24 (午後時〜 時)
アイナメ 20p 1匹 マムシ 投げ釣り
グジメ 20p 1匹    
   p  匹    
   p  匹    
西5の隣のアジュールの砂浜での釣果です。カレイは空振りでした。 釣人:SHIGE
中央-3番  2010/04/23 (夜間時〜 時)
メバル 16p 1匹 ワーム ルアー・エギング
   p  匹    
   p  匹    
   p  匹    
長潮の夜、ド貧果やってしまいました>< 釣人:ガシラハンター
中央-11番  2010/04/20 (夜間時〜 時)
メバル 15〜20p 3匹 ワーム ルアー・エギング
   p  匹    
   p  匹    
   p  匹    
ヘタクソですんまそーん! 釣人:ガシラハンター
中央-5番  2010/04/18 (午後時〜 時)
メバル 10〜14p 2匹 青虫 胴付き・探り釣り
カレイ 16p 1匹    
アイナメ 12p 1匹    
   p  匹    
持ち帰りサイズは一匹も釣れませんでした。。。 釣人:ゴールドブレンド <<<
中央   2013/04/19 (早朝時〜 時)
ガシラ 14〜18p 3匹 ワーム ルアー・エギング
   p  匹    
   p  匹    
   p  匹    
AM5:30にアタリ有り。 釣人:阿呆やん <<<
東-6番  2009/04/18 (午前中時〜 時)
チヌ 31p 1匹 オキアミ フカセ釣り
   p  匹    
   p  匹    
   p  匹    
初チヌです。テトラ際。 釣人:勘太郎
東-6番  2010/04/18 (終日時〜 時)
チヌ 49p 1匹 オキアミ フカセ釣り
   p  匹    
   p  匹    
   p  匹    
PM18時すぎ微妙な当り、泳がせ泳がせ口の横皮1枚奇跡の1枚 釣人:せきやん
中央   2010/04/17 (終日時〜 時)
メバル 13〜21p 8匹 ワーム ルアー・エギング
ガシラ 16〜21p 4匹    
   p  匹    
   p  匹    
釣果は、自分を映し出す鏡である。 釣人:坂アマや葉に寝悩まて <<<
中央   2010/04/17 (夜間時〜 時)
メバル 15〜20p 3匹 ワーム ルアー・エギング
   p  匹    
   p  匹    
   p  匹    
えらいすんまへーん!! 釣人:ガシラハンター
中央-2番  2009/04/15 (午後時〜 時)
チヌ 45p 1匹 オキアミ フカセ釣り
クジメ 15p 1匹    
ナマコ 600gp 1匹    
   p  匹    
病み上がりの初陣に当たってくれました。 釣人:kもりた
中央-11番  2010/04/13 (夜間時〜 時)
ガシラ 23p 1匹 ワーム ルアー・エギング
メバル 15〜23p 12匹    
   p  匹    
   p  匹    
今シーズンのメバリング最高の釣果でした^^やはり新月の大潮は釣れます! 釣人:ガシラハンター
東-6番  2010/04/11 (終日時〜 時)
チヌ 33〜41p 2匹 オキアミ フカセ釣り
チヌ 25p 3匹    
   p  匹    
   p  匹    
午前中はこの時期でなぜか小チヌ。<br>時合は短いです。 釣人:デイドリーム
中央-5番  2009/04/11 (午後時〜 時)
メバル 10〜12p 10匹 青虫 胴付き・探り釣り
ガシラ 10p 1匹 アミエビ  
アイナメ 15p 1匹    
   p  匹    
昼ごろから急に釣れだしました。久々の垂水への釣行でした。 釣人:たまたつ
中央-5番  2010/04/10 (午前中時〜 時)
シロギス 17p 1匹 青虫 投げ釣り
   p  匹    
   p  匹    
   p  匹    
風が強烈でした! 釣人:ゴールドブレンド <<<
中央-5番  2009/04/08 (午後時〜 時)
ボラ 60p 3匹 オキアミ 紀州釣り
   p  匹    
   p  匹    
   p  匹    
チヌアタリはありませんでしたが、ボラアタリ継続で楽しめました。 釣人:ふじ★もん <<<
西   2010/04/06 (終日時〜 時)
メバル 15p 1匹 ワーム ルアー・エギング
ガシラ 17p 1匹    
   p  匹    
   p  匹    
お金で買えない価値があります。ほんと崖っぷち… 釣人:葉左派 <<<
中央   2010/04/06 (夜間時〜 時)
メバル 16〜18p 4匹 ワーム ルアー・エギング
   p  匹    
   p  匹    
   p  匹    
気温15度、風速2m/s(体感0)、水温11.0度のなかなかいい感じの夕べでした 釣人:ガシラハンター
平磯-8番  2010/04/05 (午後時〜 時)
ガシラ 13p 1匹 蒼いそめ ブッコミ釣り
   p  匹    
   p  匹    
   p  匹    
金と時間はいくらでもあるのに なんで魚にはもてないんだろう? 釣人:崖っぷちの釣り師 <<<
平磯-4番  2010/04/07 (午後時〜 時)
ハオコゼ 5p 1匹 蒼いそめ ブッコミ釣り
   p  匹 オキアミ  
   p  匹 石ゴカイ  
   p  匹    
ガシラハンターさん またチヌ釣ってください 釣人:崖っぷちの釣り師 <<<
西   2010/04/03 (夜間時〜 時)
ガシラ 17p 1匹 ワーム ルアー・エギング
   p  匹    
   p  匹    
   p  匹    
たった1匹のみ 釣人:ガシラハンター
東-6番  2010/04/03 (終日時〜 時)
チヌ 38.5p 1匹 オキアミ フカセ釣り
   p  匹    
   p  匹    
   p  匹    
北風強く.浮き3B.水中浮き-2B.竿1本少し3ヒロ,PM3時〜PM4時活性アリ 釣人:せきやん
東   2010/03/30 (夜間時〜 時)
メバル 22p 1匹 ワーム ルアー・エギング
ガシラ 20p 1匹    
   p  匹    
   p  匹    
メバル自己記録更新!!! 釣人:ガシラハンター
西   2010/03/30 (早朝時〜 時)
メバル 10〜15p 2匹 ワーム ルアー・エギング
ガシラ 11〜14p 4匹 シルバー  
   p  匹    
   p  匹    
ガシラばっかり (−_−;) 釣人:jpumtm <<<
東-6番  2010/03/28 (午後時〜 時)
チヌ 47.5p 1匹 オキアミ フカセ釣り
チヌ 40.5p 1匹    
   p  匹    
   p  匹    
PM2:30から3:30まであたりあり。竿1本少し3.5ひろ0号シブ沈めて 釣人:せきやん
中央   2009/03/23 (夜間時〜 時)
メバル 15〜17p 2匹 エコギア アクア ルアー・エギング
   p  匹 ゴカイ  
   p  匹    
   p  匹    
中層を丹念に探ると1投ごとにアタリがきます。7:30〜8:30までの釣果。 釣人:yutaka
中央   2010/03/22 (早朝時〜 時)
メバル 12,14p 2匹 ワーム ルアー・エギング
ムラソイ 16,19p 2匹    
   p  匹    
   p  匹    
潮が動かなかったせいか、食いはもう一つでした。 釣人:屈託庵
東-6番  2010/03/22 (終日時〜 時)
チヌ 38p 1匹 オキアミ フカセ釣り
   p  匹    
   p  匹    
   p  匹    
朝6時から、夕方4時半やっと、竿1本3ヒロ底、アドバイスありがとうございます。 釣人:せきやん
一文字-6番  2010/03/22 (午前中時〜 時)
アイナメ 20p 1匹 マムシ 投げ釣り
   p  匹    
   p  匹    
   p  匹    
カレイ狙いでしたが撃沈でした。だいぶ春らしくなってきました。 釣人:SHIGE
東-5番  2010/03/20 (午前中時〜 時)
Blackseab… 46p 1匹 Krill フカセ釣り
   p  匹    
   p  匹    
   p  匹    
A sprat to catch a mackerel. 釣人:Bream <<<
西   2010/03/20 (早朝時〜 時)
タコ 18p 1匹 アミエビ サビキ釣り
   p  匹    
   p  匹    
   p  匹    
急に重くなったのであげてみるとアミカゴにタコがのっていました。 釣人:genius <<<
中央-9番  2010/03/18 (早朝時〜 時)
海鼠 18p 1匹 ルアー・エギング
   p  匹    
   p  匹    
   p  匹    
底が見えにくかった… ふんにゃあ〜〜 ま〜〜〜〜 )^o^( 釣人:ふんにゃあ星人 <<<
西   2010/03/17 (午後時〜 時)
テンコチ 14〜17p 5匹 ごかい 投げ釣り
   p  匹    
   p  匹    
   p  匹    
いっぱい釣れたーーーーーーーー 釣人:ターマイト <<<
東-1番  2010/03/15 (午後時〜 時)
ハゼ 18〜20p 2匹 あおいそめ 投げ釣り
   p  匹    
   p  匹    
   p  匹    
今度はふんにゃあ星人さんといこ。 釣人:ホーネット <<<
東-4番  2009/03/12 (夜間時〜 時)
チヌ 51p 1匹 オキアミ フカセ釣り
メバル 15〜23p 3匹    
   p  匹    
   p  匹    
外道でメバルも釣れました。 釣人:まつぱぱ
東-6番  2009/03/07 (午前中時〜 時)
チヌ 50p 1匹 オキアミ フカセ釣り
   p  匹    
   p  匹    
   p  匹    
朝7時くらいにど〜んと来てくれました。 高校生で始めて釣れたので、良かったです。 釣人:kai
一文字-7番  2009/03/05 (終日時〜 時)
チヌ 45p 1匹 シラサ 落とし込み・前打ち
鈴木 40p 1匹    
   p  匹    
   p  匹    
やっとシーズンか? 釣人:ガシラハンター <<<
西-5番  2009/03/11 (午前中時〜 時)
チヌ 48p 1匹 オキアミ フカセ釣り
   p  匹    
   p  匹    
   p  匹    
今日初めてチヌつりました中学生ですもしお会いしたらアドバイスください 釣人:さかなくん <<<
中央-11番  2010/03/06 (夜間時〜 時)
メバル 13〜20p 5匹 ワーム ルアー・エギング
   p  匹    
   p  匹    
   p  匹    
水路で釣れました。 釣人:KING PROX
中央-11番  2010/03/02 (夜間時〜 時)
メバル 12p 1匹 ワーム ルアー・エギング
   p  匹    
   p  匹    
   p  匹    
やっと一匹(^^)v 釣人:KING PROX
中央-9番  2010/03/01 (早朝時〜 時)
ナマコ 13p 1匹 モリ ルアー・エギング
   p  匹    
   p  匹    
   p  匹    
波が…………… ふんにゃあ〜
ま〜〜〜〜〜〜〜〜 (;゜0゜)
釣人:ふんにゃあ星人 <<<
中央-11番  2010/02/28 (午前中時〜 時)
フグ 24p 1匹 あおいそめ 投げ釣り
ひとで 8p 2匹    
   p  匹    
   p  匹    
食べれるの釣れんかった海上保安庁来てかえれ言われた。悔しいです 釣人:ジャイアンツ <<<
中央   2010/02/27 (夕方時〜 時)
メバル 15p 1匹 ワーム ルアー・エギング
   p  匹    
   p  匹    
   p  匹    
風に負けました・・・・ 釣人:屈託庵
東-6番  2009/02/28 (午後時〜 時)
チヌ 47p 1匹 オキアミ フカセ釣り
   p  匹    
   p  匹    
   p  匹    
17時すぎ竿1本少し 3ヒロ半 やっとの思いで取り込めました(^^)  釣人:せきやん
中央-9番  2010/02/26 (午前中時〜 時)
ナマコ 18p 1匹 タコジク ルアー・エギング
   p  匹    
   p  匹    
   p  匹    
波がきたりして底が見えにくかった…
ふんにゃあ〜 (;゜0゜)
釣人:ふんにゃあ星人 <<<
西-7番  2010/02/24 (午前中時〜 時)
ウミタナゴ 14〜16p 2匹 ゴカイ 投げ釣り
   p  匹    
   p  匹    
   p  匹    
ウミタナゴをねらってないんですけど釣れました。メバルを釣りたいです。 釣人:ふんにゃあ星人 <<<
中央   2010/02/20 (夜間時〜 時)
メバル 16〜20p 4匹 ワーム ルアー・エギング
   p  匹    
   p  匹    
   p  匹    
今季初20cmが出ました! 釣人:ガシラハンター
中央-11番  2010/02/20 (夜間時〜 時)
メバル 15〜20p 8匹 ワーム ルアー・エギング
   p  匹    
   p  匹    
   p  匹    
水路でマリンピアとの境目柵のところで釣れました。 釣人:KING PROX
中央-11番  2010/02/20 (早朝時〜 時)
メバル 15〜17p 2匹 ワーム ルアー・エギング
   p  匹    
   p  匹    
   p  匹    
早朝5時30分の釣果です。 釣人:KING PROX
中央   2009/02/20 (早朝時〜 時)
メバル 14p 1匹 ワーム ルアー・エギング
   p  匹    
   p  匹    
   p  匹    
寒くてアタリも3回ほどしかありませんでした。 釣人:屈託庵
中央-11番  2010/02/16 (夜間時〜 時)
メバル 16p 1匹 アオイソメ 胴付き・探り釣り
   p  匹    
   p  匹    
   p  匹    
今年初メバル。やっと釣れた…! 釣人:ゴールドブレンド <<<
中央-10番  2010/02/13 (午後時〜 時)
アナゴ 40〜46p 3匹 サバの切り身 投げ釣り
ガシラ 13p 1匹 アオイソメ  
   p  匹    
   p  匹    
同じようなサイズのアナゴが連続で釣れました。ガシラはリリース。 釣人:ゴールドブレンド <<<
西-9番  2010/02/05 (終日時〜 時)
ウミタナゴ 13〜19p 5匹 アミエビ サビキ釣り
   p  匹    
   p  匹    
   p  匹    
メバルをねらっていたんですけど… 釣人:サンドウィッチ <<<
西-11番  2009/02/17 (夕方時〜 時)
わかめ 結構でかいp 大量匹 あおいそめ 投げ釣り
   p  匹    
   p  匹    
   p  匹    
くそほど釣れんかったー 釣人:ムイラクルヒ(逆) <<<
中央-4番  2010/02/13 (終日時〜 時)
ナマコ 21p 2匹 タコジク ルアー・エギング
   p  匹    
   p  匹    
   p  匹    
おもいっきり引っ張ったら竿先が折れてしまった。海鼠めー( *`ω´) 釣人:生ゴミ君tami <<<
中央-11番  2010/02/13 (夜間時〜 時)
青メバル 15p 1匹 ワーム ルアー・エギング
茶メバル 15p 1匹    
   p  匹    
   p  匹    
青メバルをはじめて釣りました。いい引きだった(^^)v 釣人:KING PROX
中央-1番  2010/02/13 (夜間時〜 時)
メバル 13〜16p 2匹 ワーム(ガルプ) ルアー・エギング
   p  匹    
   p  匹    
   p  匹    
大潮の下げ時でかなりシブかったです。 釣人:ガシラハンター
中央-11番  2010/02/12 (夜間時〜 時)
メバル 10〜15p 4匹 ワーム ルアー・エギング
   p  匹    
   p  匹    
   p  匹    
星が綺麗だった! 釣人:KING PROX
中央-1番  2010/02/09 (夜間時〜 時)
メバル 16〜17p 2匹 ワーム(ガルプ) ルアー・エギング
ガシラ 15〜20p 2匹    
   p  匹    
   p  匹    
うーん、ちゅーいんぐぼーん 釣人:ガシラハンター
西-5番  2009/02/07 (午後時〜 時)
アイナメ 30p 1匹 マムシ 投げ釣り
   p  匹    
   p  匹    
   p  匹    
西5ではなくアジュール舞子の砂浜での釣果です。 釣人:SHIGE
中央   2009/02/07 (早朝時〜 時)
ガシラ 27p 1匹 ワーム ルアー・エギング
   p  匹    
   p  匹    
   p  匹    
寒くて辛かったですが報われました。 釣人:kuttakuan
中央-11番  2010/02/06 (午後時〜 時)
タコ 21p 1匹 タコエギ ルアー・エギング
   p  匹 ブルー  
   p  匹    
   p  匹    
暇だからまた狙ってみた。
5時頃釣れた。
釣人:Octopus <<<
中央-11番  2010/02/06 (夜間時〜 時)
メバル 10〜21p 10匹 ワーム ルアー・エギング
   p  匹    
   p  匹    
   p  匹    
水路のマリンピアとの境目で潮が東から西に変わるタイミングで爆釣しました(^^)v 釣人:KING PROX
中央-1番  2010/02/05 (夜間時〜 時)
メバル 10p 1匹 ワーム ルアー・エギング
   p  匹    
   p  匹    
   p  匹    
バイトはあるけど、なかなか乗りませんでした。(^^)v 釣人:KING PROX
中央-11番  2010/01/27 (夜間時〜 時)
メバル 10〜13p 3匹 ワーム ルアー・エギング
   p  匹    
   p  匹    
   p  匹    
海面に街灯の光があたってる南側の境目で釣れました(^^)v 釣人:KING PROX
東-2番  2010/02/05 (午後時〜 時)
タコ 16&19p 2匹 タコエギ ルアー・エギング
   p  匹 オレンジ  
   p  匹    
   p  匹    
暇だったから狙ってみた。 釣人:Octopus <<<
中央-1番  2010/02/01 (夜間時〜 時)
メバル 15〜19p 5匹 ワーム(ガルプ) ルアー・エギング
ガシラ 13p 1匹    
   p  匹    
   p  匹    
3日連チャンです。雨上がりで寒かったです。詳しくはブログで。 釣人:ガシラハンター
東-4番  2010/01/31 (夜間時〜 時)
メバル 14〜18p 8匹 ワーム(ガルプ) ルアー・エギング
   p  匹    
   p  匹    
   p  匹    
霧がキツかったです。メバルの活性はイマイチでした。 釣人:ガシラハンター
東-10番  2009/01/30 (夜間時〜 時)
メバル 15〜26p 3匹 青虫 ウキ釣り
   p  匹    
   p  匹    
   p  匹    
レギュラーサイズより、すこし大きいのが釣れました。 釣人:まつぱぱ
東-4番  2010/01/30 (夜間時〜 時)
メバル 13〜18p 13匹 ワーム(ガルプ) ルアー・エギング
   p  匹    
   p  匹    
   p  匹    
満潮から下げ出しの潮が動き出したタイミングに集中してバイトがありました。 釣人:ガシラハンター
東-4番  2009/01/30 (午後時〜 時)
チヌ 43p 1匹 オキアミ フカセ釣り
   p  匹    
   p  匹    
   p  匹    
2枚バラシ。3時〜日没にアタリあり。チヌいます。一文字も釣れてます。 釣人:ノリさん
東-4番  2010/01/11 (午後時〜 時)
チヌ 33p 1匹 オキアミ フカセ釣り
アイナメ 20p 1匹    
   p  匹    
   p  匹    
昼過ぎからアタリ低調で、だめかと思いましたが、、、。2時頃タナ4ヒロで。 釣人:やまぱぱ
中央-10番  2010/01/26 (夜間時〜 時)
メバル 12〜13p 2匹 ガルプ・ベビサ ルアー・エギング
   p  匹    
   p  匹    
   p  匹    
潮ドン引きで苦行を強いられました。 釣人:ガシラハンター
中央-11番  2010/01/24 (夜間時〜 時)
メバル 15p 2匹 ワーム ルアー・エギング
   p  匹 ジグ1.8g  
   p  匹    
   p  匹    
底でゆっくり巻いて釣れました(*^^)v 釣人:KING PROX
西-5番  2009/01/23 (夜間時〜 時)
メバル 10p 1匹 ワーム ルアー・エギング
   p  匹    
   p  匹    
   p  匹    
  釣人:安近短な釣り人
東   2009/01/23 (夕方時〜 時)
メバル 10〜15p 2匹 ワーム ルアー・エギング
カサゴ 16p 1匹 エビ  
   p  匹    
   p  匹    
寒かったぁ〜 釣人:komei
中央-11番  2010/01/19 (夜間時〜 時)
メバル 10p 1匹 ワーム ルアー・エギング
   p  匹    
   p  匹    
   p  匹    
夜光虫で海が光っていました。 釣人:KING PROX
中央-11番  2010/01/15 (夜間時〜 時)
メバル 10〜15p 3匹 ワーム ルアー・エギング
   p  匹    
   p  匹    
   p  匹    
フォールで食ってきました。 釣人:KING PROX
中央-11番  2010/01/16 (夜間時〜 時)
メバル 10〜15p 5匹 ワーム ルアー・エギング
ガシラ 15p 1匹    
   p  匹    
   p  匹    
22時〜24時の2時間の釣果です。(^_^)v 釣人:KING PROX
一文字   2010/01/13 (午後時〜 時)
カレイ 28p 1匹 マムシ 投げ釣り
   p  匹    
   p  匹    
   p  匹    
午後4時〜午後5時半の釣果 釣人:KEN
中央-5番  2009/01/12 (早朝時〜 時)
ガシラ 17p 1匹 サバの切り身 胴付き・探り釣り
   p  匹    
   p  匹    
   p  匹    
今週は寒そうですね。 釣人:ゴールドブレンド <<<
東   2009/01/12 (午前中時〜 時)
18〜25p 4匹 マムシ 投げ釣り
   p  匹    
   p  匹    
   p  匹    
寒い〜 風が強くて、仕掛けが絡まる。 困るな〜 釣人:タサ無さに話す <<<
一文字-9番  2010/01/11 (午前中時〜 時)
ホウボウ 17p 1匹 シラサエビ エビ撒き釣り
   p  匹    
   p  匹    
   p  匹    
厳しい時期に1匹でも釣れれば儲けモノと考えています。 釣人:SHIGE
一文字-9番  2010/01/11 (午前中時〜 時)
ガシラ 10〜13p 2匹 シラサエビ 胴付き・探り釣り
   p  匹    
   p  匹    
   p  匹    
義父の釣果です。まわりでも今日のガシラは小型ばかりでした。 釣人:SHIGE
東-4番  2009/01/10 (終日時〜 時)
チヌ 45p 1匹 オキアミ フカセ釣り
   p  匹    
   p  匹    
   p  匹    
根がかりかと思ったら、首を振ったのでびっくりしました。 釣人:ひろ
東-4番  2010/01/10 (午後時〜 時)
チヌ 33p 1匹 オキアミ フカセ釣り
   p  匹    
   p  匹    
   p  匹    
う〜ん交通事故的ですね。 釣人:まさ
中央-4番  2010/01/06 (夜間時〜 時)
ガシラ 22p 1匹 サバの切り身 胴付き・探り釣り
マアナゴ 40p 1匹    
   p  匹    
   p  匹    
風が強かったです…! 釣人:ゴールドブレンド
東-3番  2010/01/05 (早朝時〜 時)
メバル 13〜15p 2匹 アミエビ 落とし込み・前打ち
   p  匹    
   p  匹    
   p  匹    
今日は風が強くて大変でした。 釣人:嫁ぎーーーナ <<<
東-5番  2010/01/04 (終日時〜 時)
メバル 12〜18p 3匹 ワーム(ピンク) ルアー・エギング
   p  匹    
   p  匹    
   p  匹    
風が強い。 あけっましって おめでとうごっざいまっす。 釣人:オーガスト <<<
一文字-2番  2010/01/04 (終日時〜 時)
メバル 12〜16p 4匹 シラサ エビ撒き釣り
ガシラ 10p 1匹 ブツ  
タナゴ 20p 1匹    
   p  匹    
初釣りは誠に貧果でした。 釣人:kもりた <<<
東-5番  2009/01/03 (夕方時〜 時)
アブラメ 28p 1匹 シラサエビ 落とし込み・前打ち
メバル 15p 1匹    
   p  匹    
   p  匹    
  釣人:航夢の父たん <<<
平磯-4番  2010/01/04 (午前中時〜 時)
メバル 18p 1匹 シラサエビ 落とし込み・前打ち
   p  匹    
   p  匹    
   p  匹    
あけましておめでとうございます。今年もよろしくお願いします。メバルは、朝まずめ! 釣人:釣り名人 <<<
一文字-9番  2009/01/04 (早朝時〜 時)
ガシラ 18p 1匹 アオイソメ 投げ釣り
   p  匹    
   p  匹    
   p  匹    
アイナメ狙いで撃沈でした。 釣人:SHIGE
東-4番  2009/01/04 (午前中時〜 時)
ハネ 41p 1匹 オキアミ フカセ釣り
アジ 20p 1匹    
   p  匹    
   p  匹    
今年もよろしくお願いします。 釣人:せきやん
東-3番  2009/01/03 (夜間時〜 時)
ガシラ 18.5p 1匹 ワーム ルアー・エギング
   p  匹    
   p  匹    
   p  匹    
メバル狙いでしたがガシラしか釣れませんでした。 釣人:ガシラハンター
東-3番  2009/01/03 (午後時〜 時)
グジメ 18p 1匹 アオイソメ 投げ釣り
サザエ 1個p  匹    
   p  匹    
   p  匹    
明けましておめでとうございます。今年も宜しく御願いします。 釣人:SHIGE <<<
東-4番  2009/01/03 (終日時〜 時)
チヌ 25p 1匹 練り餌 フカセ釣り
   p  匹 オキアミ  
   p  匹    
   p  匹    
オキアミはメバルが居るためダメ!練り餌でやっと夕方に喰いました。タナは竿1本。 釣人:NIGHT
中央-5番  2010/01/02 (夜間時〜 時)
ガシラ 19〜24p 3匹 サバの切り身 胴付き・探り釣り
   p  匹    
   p  匹    
   p  匹    
明けましておめでとうございます。夜中に行きましたが、それほど寒くなかったです。 釣人:ゴールドブレンド
東-3番  2010/01/02 (夜間時〜 時)
メバル 10〜15p 3匹 ワーム ルアー・エギング
ガシラ 15p 1匹    
   p  匹    
   p  匹    
明けましておめでとうございます。キープサイズはでませんでしたが楽しめました。 釣人:ガシラハンター
西-5番  2010/01/02 (午後時〜 時)
グレ 20、23p 2匹 アオサ フカセ釣り
   p  匹    
   p  匹    
   p  匹    
深ダナでなんとかゲット。 釣人:まさ <<<
西-4番  2009/12/27 (終日時〜 時)
ガシラ 15〜20p 4匹 オキアミ 胴付き・探り釣り
メバル 10〜15p 3匹 ガルプワーム  
アナハゼ 20p 1匹    
   p  匹    
エサ取りの小魚がうじゃうじゃいました。
足元の際を探ると根魚が掛かりました。
釣人:ゆく
中央-5番  2009/12/29 (夜間時〜 時)
ヒイカ 7〜10p 5匹 エギ1.5B ルアー・エギング
   p  匹 ピンク  
   p  匹    
   p  匹    
底から中層で釣れました(^^)v 釣人:KING PROX
中央-5番  2009/12/29 (午後時〜 時)
マアナゴ 55p 1匹 マムシ 投げ釣り
   p  匹    
   p  匹    
   p  匹    
今日も大きなアナゴが釣れました。 釣人:ゴールドブレンド <<<
平磯-5番  2009/12/29 (午後時〜 時)
うみたなこ 25p うそ匹 マムシ ブッコミ釣り
ガシラ 20p うそ匹    
あいなめ 20p うそ匹    
   p  匹    
↓29日平磯海づり公園は休みです。嘘の釣果報告は止めましょうね↓ 釣人:正しい報告を! <<<
平磯-5番  2009/12/29 (午後時〜 時)
うみたなこ 25p 1匹 マムシ ブッコミ釣り
ガシラ 20p 1匹    
あいなめ 22p 1匹    
   p  匹    
海が透明すぎて 食わない 釣人:崖っぷちの釣り師 <<<
中央-11番  2009/12/29 (午後時〜 時)
グレ 24p 1匹 オキアミS フカセ釣り
カタクチ  p 1匹    
アジ  p 1匹    
   p  匹    
久しぶりの垂水です 今年の竿納めは31日の予定です 釣人:パイザ
中央-3番  2009/12/28 (夜間時〜 時)
ヒイカ 7p 1匹 エギ1.5号 ルアー・エギング
   p  匹 ピンク  
   p  匹    
   p  匹    
寒かったです。釣れてよかった(^^)v 釣人:KING PROX
西-10番  2009/12/28 (終日時〜 時)
メバル 14〜16p 6匹 ワーム ルアー・エギング
   p  匹 イエロー  
   p  匹 ピンク  
   p  匹    
釣れてよかった。
そう言えばへんな書き込みが・・・
釣人:シャドゥ <<<
西-8番  2009/12/28 (午後時〜 時)
チヌ 31p 1匹 えび 落とし込み・前打ち
おこぜ 8〜11p 4匹    
   p  匹    
   p  匹    
つれて良かった。 釣人:ジャイアンツ <<<
中央-10番  2009/12/28 (終日時〜 時)
ゴンズイ 12〜16p 3匹 オキアミ 投げ釣り
スズメダイ 13〜15p 2匹 アオイソメ  
タコ 21p 2匹    
   p  匹    
今日は、寒かったー。
ジャイアンツさんといっしょに行きました
釣人:シャドゥ <<<
中央-5番  2009/12/27 (夜間時〜 時)
マアナゴ 45〜67p 2匹 アオムシ 投げ釣り
ガシラ 16〜18p 2匹    
アイナメ 18p 1匹    
   p  匹    
釣り歴3ヶ月ですが、驚きの大物が釣れました!アイナメとガシラは探り釣りです。 釣人:ゴールドブレンド
平磯   2009/12/27 (午後時〜 時)
scorpion-f 15-18p 3匹 マムシ ブッコミ釣り
   p  匹    
   p  匹    
   p  匹    
透明度が良すぎて ダメでした 釣人:崖っぷちの釣り師 <<<
東-5番  2009/12/27 (終日時〜 時)
ガシラ 16〜19p 3匹 ネリエ フカセ釣り
   p  匹 オキアミ  
   p  匹    
   p  匹    
まだまだ垂水で修業の身です。 釣人:せきやん
東-5番  2009/12/24 (午後時〜 時)
おこぜ 9p 1匹 あおいそめ 泳がせ釣り
ごんずい 14p 1匹    
   p  匹    
   p  匹    
食える魚つれんカッター。今度シャドゥさんとこかな。 釣人:ジャイアンツ
中央-11番  2009/12/23 (夜間時〜 時)
ガシラ 18-23p 3匹 ワーム ルアー・エギング
   p  匹    
   p  匹    
   p  匹    
7時ころ集中してきました。メバルは結構きましたが、型が小さいものばかり。 釣人:のん
東-3番  2009/12/22 (夜間時〜 時)
メバル 10〜15p 7匹 ワーム ルアー・エギング
   p  匹    
   p  匹    
   p  匹    
バイトは頻繁にあるのですがなかなか乗りませんでした。 釣人:ガシラハンター
中央-11番  2009/12/20 (午前中時〜 時)
アイナメ 17p 1匹 マムシ 投げ釣り
   p  匹    
   p  匹    
   p  匹    
カレイ狙いは4月まで一旦終了です。 釣人:SHIGE
中央-3番  2009/12/17 (夜間時〜 時)
ヒイカ 7p 1匹 エギ1.5B ルアー・エギング
   p  匹 レンジハンター  
   p  匹 オレンジ  
   p  匹    
新製品のナオリー1.5B フィッシングマックス神戸ハーバー店で¥710でした。 釣人:KING PROX
中央-1番  2009/12/16 (午前中時〜 時)
メバル 12〜22p 7匹 ジグ+ワーム ルアー・エギング
   p  匹 ホワイト  
   p  匹    
   p  匹    
結構釣れて良かった。
次回サイズアップ目指す。
釣人:シャドゥ <<<
西-5番  2009/12/15 (終日時〜 時)
グレ 20〜27p 20匹 オキアミ フカセ釣り
   p  匹    
   p  匹    
   p  匹    
西風が強くやり辛かったです。タナは1ヒロまで。ボラは1匹も居ませんでした。 釣人:管理人
西-5番  2009/12/13 (午後時〜 時)
グレ 23〜29p 11匹 オキアミ フカセ釣り
   p  匹    
   p  匹    
   p  匹    
用事が終わった14:00時から短時間集中して挑戦しました。 釣人:トモ
西-5番  2009/11/28 (終日時〜 時)
グレ 30〜20p 13匹 オキアミ フカセ釣り
   p  匹    
   p  匹    
   p  匹    
昼から活性あがってきました。 釣人:トモ
一文字-4番  2009/12/10 (終日時〜 時)
グレ 21〜28p 27匹 オキアミ フカセ釣り
   p  匹    
   p  匹    
   p  匹    
用心棒として8羽のカモメがウキを囲んでくれます! 釣人:蔵之臣
一文字-4番  2009/11/19 (終日時〜 時)
グレ 20〜26p 41匹 オキアミ フカセ釣り
   p  匹    
   p  匹    
   p  匹    
台風マンは生まれ変わったら確実にオセンです 釣人:蔵之臣
中央-5番  2009/12/09 (夕方時〜 時)
ガシラ 26p 1匹 切り身 胴付き・探り釣り
   p  匹    
   p  匹    
   p  匹    
ハオコゼばかりでしたが、日没後に大きいのが釣れました。 釣人:ゴールドブレンド
中央-10番  2009/12/09 (午前中時〜 時)
メバル 15〜21p 5匹 ジグ+ワーム 投げ釣り
ハゼ 10〜16p 3匹 アオイソメ  
カレイ 24p 1匹    
   p  匹    
メバルがよく釣れてきた。
次回、良型を狙いたい。
釣人:シャドゥ <<<
西-5番  2009/12/08 (終日時〜 時)
グレ 20〜30p 6匹 オキアミ フカセ釣り
チヌ 23p 1匹    
   p  匹    
   p  匹    
朝は、浮きましたが。昼からは、撃沈です。 釣人:サトシF
西-5番  2009/12/08 (終日時〜 時)
グレ 21〜25p 5匹 オキアミ フカセ釣り
   p  匹    
   p  匹    
   p  匹    
今日は少し西側で竿を出しました。先週の釣果はマグレです。 釣人:管理人
中央-11番  2009/12/08 (午前中時〜 時)
オコゼ 12〜16p 5匹 アオイソメ 投げ釣り
カレイ 25p 1匹    
メバル 16〜19p 3匹    
   p  匹    
今度は、ジャイアンツさんと一緒に行きます。 釣人:シャドゥ <<<
平磯   2009/12/06 (午前中時〜 時)
スズメダイ 21p 1匹 あおいそめ 泳がせ釣り
アイナメ 18p 1匹 アミエビ  
ハゼ 12p 1匹    
   p  匹    
風が吹いていてとてもさぶかった。 釣人:ジャイアンツ <<<
中央-11番  2009/12/07 (午前中時〜 時)
カレイ 27p 1匹 マムシ 投げ釣り
メバル 17p 1匹 アオイソメ  
タコ 16p 1匹    
   p  匹    
たまたまタコが釣れました。
いい御土産です。
釣人:シャドゥ <<<
平磯-2番  2009/12/06 (午前中時〜 時)
scorpion-f 22-24p 5匹 マムシ カゴ天秤釣り
アジ 23p 2匹    
   p  匹    
   p  匹    
アジはとなりの人がくれました 釣人:崖っぷちの釣り師 <<<
東-10番  2009/12/06 (午前中時〜 時)
ベラ 12〜21p 15匹 アオイソメ 投げ釣り
ハゼ 10〜16p 7匹 石ゴカイ  
メバル 18〜22p 2匹    
   p  匹    
次回夜釣りで専門的にメバルを狙いたい。 釣人:シャドゥ <<<
中央-10番  2009/12/06 (午後時〜 時)
カレイ 21p 1匹 マムシ 投げ釣り
   p  匹    
   p  匹    
   p  匹    
今日は寒かったです。手持ち無沙汰の投釣りは寒さに応えます。 釣人:SHIGE
西-5番  2009/12/06 (午前中時〜 時)
グレ 25-30p 2匹 オキアミ フカセ釣り
   p  匹    
   p  匹    
   p  匹    
風が強くてグレ浮かず。2時前までの釣果です。メジャーを買わなきゃいけませんね。 釣人:やまぱぱ
東-4番  2009/12/05 (終日時〜 時)
チヌ 15−27p 3匹 オキアミ フカセ釣り
グレ 23−26p 3匹    
   p  匹    
   p  匹    
ポツリポツリと釣れました。夕方からは河豚地獄。残念!!! 釣人:NIGHT
東-9番  2009/12/05 (午後時〜 時)
カレイ 23p 1匹 マムシ 投げ釣り
ネズミゴチ 23p 1匹    
   p  匹    
   p  匹    
良型イワシの群れが今日も居ます。サビキ仕掛を忘れました(><) 釣人:SHIGE
西-5番  2009/12/04 (終日時〜 時)
グレ 20〜28p 63匹 オキアミ フカセ釣り
   p  匹    
   p  匹    
   p  匹    
6時間飲まず食わずで頑張りました。タナは矢引き〜1ヒロ、ポイントは竿2本先です。 釣人:管理人
西-5番  2009/12/02 (終日時〜 時)
グレ 20〜24p 2匹 オキアミ フカセ釣り
   p  匹    
   p  匹    
   p  匹    
人が多くて釣りにくかったです。西5の前で潜水士が潜って貝取りしてました。 釣人:わいるだー
中央-5番  2009/12/01 (夜間時〜 時)
ガシラ 16p 1匹 アオイソメ 胴付き・探り釣り
   p  匹    
   p  匹    
   p  匹    
小型ばっかり。15センチ以上は1匹でした。 釣人:ジオング <<<
西-5番  2009/12/02 (終日時〜 時)
グレ 25〜27p 2匹 オキアミ フカセ釣り
アイナメ 20p 1匹 シラサ  
   p  匹    
   p  匹    
グレはタクローさん、アイナメはMIKKOさんの釣果です。 釣人:管理人 <<<
西-5番  2009/12/02 (終日時〜 時)
グレ 21〜27p 13匹 オキアミ フカセ釣り
   p  匹    
   p  匹    
   p  匹    
今日はグレ狙いの釣人7名。エサが入り過ぎの感あり。タナは矢引き〜2ヒロ 釣人:管理人
一文字-4番  2009/11/29 (午後時〜 時)
グレ 23〜33p 43匹 オキアミ フカセ釣り
   p  匹    
   p  匹    
   p  匹    
11〜16時の釣果。潮が飛ぶ時の方が食いが上がりました。タナは遠投矢引き〜2ヒロ 釣人:デイドリーム
西-5番  2009/11/29 (午後時〜 時)
グレ 30〜20p 6匹 オキアミ フカセ釣り
   p  匹    
   p  匹    
   p  匹    
昨日より浮いていましたが、浮いたグレは釣る技術がありません。遠投2ヒロ 釣人:トモ
西-5番  2009/11/29 (終日時〜 時)
グレ 25-28p 7匹 オキアミ フカセ釣り
   p  匹    
   p  匹    
   p  匹    
2時頃までの釣果。納竿の頃にグレの活性が上がってきたようでした。 釣人:やまぱぱ
東-4番  2009/11/29 (午前中時〜 時)
グレ 21、23p 2匹 オキアミS フカセ釣り
チヌ 12p 1匹    
   p  匹    
   p  匹    
一応チヌです。オセンの活性は良かったです。 釣人:西っさん
東-4番  2009/11/29 (午前中時〜 時)
チヌ 25p 1匹 オキアミ フカセ釣り
   p  匹    
   p  匹    
   p  匹    
最後の1投できました。タナ2ヒロ。グレを狙ってもやっぱりチヌ。 釣人:NIGHT
中央-10番  2009/11/29 (午前中時〜 時)
カレイ 20p 1匹 マムシ 投げ釣り
   p  匹    
   p  匹    
   p  匹    
今年のカレイはエッグボールにマムシが良いみたいです。 釣人:SHIGE
西-5番  2009/11/28 (午前中時〜 時)
グレ 22〜29p 5匹 オキアミ フカセ釣り
   p  匹    
   p  匹    
   p  匹    
昨日釣りすぎ?グレ浮かず、タナは1〜2ヒロ。強風の日は釣りしてはいけませんね… 釣人:わいるだー
中央-8番  2009/11/28 (夜間時〜 時)
アオリイカ 19p 1匹 エギ3.5号 ルアー・エギング
   p  匹 赤えびカラー  
   p  匹    
   p  匹    
連続ジャーク後のフォールで乗りました。 時間=21時ごろ 釣人:KING PROX
西-5番  2009/11/28 (終日時〜 時)
グレ 24〜26p 8匹 オキアミ フカセ釣り
   p  匹    
   p  匹    
   p  匹    
とても寒い一日でした。隣の釣り人がオセンをバッカンに入れて来るので困りました。 釣人:ノリさん
東-4番  2009/11/28 (終日時〜 時)
チヌ 25-26p 2匹 オキアミ フカセ釣り
グレ 24-25p 2匹    
   p  匹    
   p  匹    
2ヒロできました。 釣人:NIGHT
西-5番  2009/11/27 (午後時〜 時)
グレ 20〜33p 29匹 オキアミ フカセ釣り
   p  匹    
   p  匹    
   p  匹    
12時から16時までの釣果。30pオーバーは4枚です。タナは矢引き〜1.5ヒロ。 釣人:管理人
西-4番  2009/11/25 (午後時〜 時)
グレ 23〜24p 3匹 オキアミ フカセ釣り
   p  匹    
   p  匹    
   p  匹    
汚い潮と鰯の大群でグレ浮かず、夕方やっとこさ釣れました。タナは1ヒロ以内です。 釣人:わいるだー
西-5番  2009/11/24 (終日時〜 時)
サンバソウ 23p 1匹 オキアミ カゴ天秤釣り
   p  匹    
   p  匹    
   p  匹    
少し遅れました。 釣人:サトシF
西-4番  2009/11/25 (午前中時〜 時)
グレ 20〜26p 8匹 オキアミ フカセ釣り
ゴンズイ 14〜19p 4匹    
   p  匹    
   p  匹    
最近よく釣れるな〜
うれしいですな〜   C:。ミ
釣人:春夏秋冬釣りビトン <<<
西-3番  2009/11/23 (午後時〜 時)
グレ 22〜28p 6匹 オキアミ フカセ釣り
   p  匹    
   p  匹    
   p  匹    
向かい風、当て潮で釣りにくかったです。
まったく浮かずタナ2ヒロくらい?
釣人:トモ
西-1番  2009/11/23 (午後時〜 時)
グレ 20〜23p 6匹 オキアミ フカセ釣り
   p  匹    
   p  匹    
   p  匹    
カタクチを塩漬けにして探(ry 釣人:蔵之臣 <<<
西-5番  2009/11/24 (午後時〜 時)
グレ 20〜27p 10匹 オキアミ フカセ釣り
   p  匹    
   p  匹    
   p  匹    
雨のため早めに納竿しました。ワンド内はイワシが多数居ます。 釣人:管理人
西-1番  2009/11/23 (午後時〜 時)
スズキ 70p 1匹 カタクチイワシ 泳がせ釣り
   p  匹    
   p  匹    
   p  匹    
まささんの網でカタクチイワシを大量にすくってエサにしました。喰いは渋いです。 釣人:ノリさん
東-4番  2009/11/22 (終日時〜 時)
チヌ 23、37p 2匹 オキアミ フカセ釣り
   p  匹    
   p  匹    
   p  匹    
フタヒロ強ぐらいで食ってきました。 釣人:まさ <<<
平磯   2009/11/23 (午前中時〜 時)
scorpion-f 26p 2匹 マムシ ブッコミ釣り
black-f グレ 28p 0匹    
ゴンズイ 27p 5匹    
   p  匹    
太鼓リールが壊れるほどの根掛かり
まいったなあ もー
釣人:崖っぷちの釣り師 <<<
東-4番  2009/11/22 (終日時〜 時)
チヌ 28〜36p 4匹 オキアミ フカセ釣り
グレ 24p 1匹    
メバル 12p 1匹    
   p  匹    
グレは朝一のみ、竿1本先、2ヒロ。チヌはテトラべた際、2〜3ヒロ。 釣人:もりさん <<<
東-4番  2009/11/22 (午後時〜 時)
チヌ 44p 1匹 オキアミ フカセ釣り
   p  匹    
   p  匹    
   p  匹    
テトラ際できました。 釣人:勘太郎
東-9番  2009/11/22 (午前中時〜 時)
渡り蟹 25位p 1匹 アオイソメ 投げ釣り
   p  匹    
   p  匹    
   p  匹    
鍼が脚に引っかかってきました。 釣人:SHIGE
東-6番  2009/10/22 (午前中時〜 時)
キス 15〜20p 3匹 青イソメ 投げ釣り
   p  匹    
   p  匹    
   p  匹    
あとはフグばっかりでした。 釣人:ガッシー君 <<<
西   2009/11/22 (午前中時〜 時)
カレイ 25p 1匹 青イソメ 投げ釣り
アイナメ 20p 1匹 マムシ  
ガシラ 12〜23p 5匹    
   p  匹    
朝一番にカレイ、お昼からガシラが続けて釣れました。他の人も釣れていました。 釣人:釣太郎 <<<
東-9番  2009/11/22 (午前中時〜 時)
カレイ 22〜26p 2匹 マムシ 投げ釣り
   p  匹 アオイソメ  
   p  匹    
   p  匹    
多数のイワシの群れを発見。港内は水温が高いみたいです。ヒラメも狙えますね。 釣人:SHIGE
東-4番  2009/11/21 (夕方時〜 時)
グレ 23p 5匹 オキアミ フカセ釣り
   p  匹    
   p  匹    
   p  匹    
モーちょっと釣りたかったです。
次は、2ケタ目指します。ё § ¶ 〒
釣人:ё ё ё 雛 <<<
東-4番  2009/11/21 (終日時〜 時)
コブダイ 26p 1匹 オキアミ フカセ釣り
グレ 21〜23p 3匹 ネリえさ  
   p  匹    
   p  匹    
見よう見真似でグレ釣りを・・・楽しかったです。 釣人:せきやん
東-4番  2009/11/21 (終日時〜 時)
チヌ 26−35p 2匹 オキアミ フカセ釣り
グレ 25p 2匹    
   p  匹    
   p  匹    
チヌが来ないのでグレ釣りに切り替えてからグレ、そして夕方チヌがきました。 釣人:NIGHT
西-5番  2009/11/21 (午前中時〜 時)
カレイ 25p 1匹 青磯目 投げ釣り
   p  匹    
   p  匹    
   p  匹    
でかい引きだった・・・( ^^) _旦~~ 釣人:釣り吉さんぺい <<<
西-5番  2009/11/21 (午後時〜 時)
グレ 20〜26p 7匹 オキアミ フカセ釣り
   p  匹    
   p  匹    
   p  匹    
一人釣り大会です!夕方矢引きで浮きました。遅合わせの方がバラシ少なくいいです。 釣人:わいるだー
西-5番  2009/10/17 (午前中時〜 時)
カレイ 27p 1匹 アオイソメ 投げ釣り
   p  匹    
   p  匹    
   p  匹    
2年前に投稿した時と同じ場所で再びカレイが釣れました! 釣人:みっち@
中央   2009/11/20 (夜間時〜 時)
うみうし 30p 1匹 青イソメ 胴付き・探り釣り
   p  匹    
   p  匹    
   p  匹    
子供とガシラを狙っていたら釣れてしまいました 釣人:垂水初心者 <<<
一文字-4番  2009/11/19 (午後時〜 時)
グレ 20〜30p 19匹 オキアミ フカセ釣り
   p  匹    
   p  匹    
   p  匹    
午後からは食いが落ちました。良型をテトラ際で数回バラシました。 釣人:ノリさん
一文字-4番  2009/11/19 (午前中時〜 時)
グレ 20〜30p 43匹 オキアミ フカセ釣り
   p  匹    
   p  匹    
   p  匹    
食いが浅くバラシも多いです。 釣人:ノリさん
中央-7番  2009/11/18 (夜間時〜 時)
アオリイカ 20p 1匹 エギ3.5号 ルアー・エギング
   p  匹 オレンジ  
   p  匹 赤テープ  
   p  匹    
大潮 潮流=東 時間=23時ごろ
寒かったけど、釣れたからうれしい(^_^)v
釣人:KING PROX
西-5番  2009/11/18 (終日時〜 時)
グレ 20〜30.5p 24匹 オキアミ フカセ釣り
   p  匹    
   p  匹    
   p  匹    
前半タナは矢引き、午後からは1.5ヒロでした。喰いは浅いです。 釣人:管理人
中央-6番  2009/11/18 (早朝時〜 時)
アオリイカ 23p 1匹 エギ3、5 ルアー・エギング
   p  匹 オレンジ  
   p  匹    
   p  匹    
刺身にしていただきました。
やっぱりおいしい。
釣人:目子不意 <<<
中央-11番  2009/11/17 (午前中時〜 時)
グレ 22p 1匹 オキアミ フカセ釣り
   p  匹    
   p  匹    
   p  匹    
今日は、雨も降っていたしとても寒かった。
次はもっと大きいサイズを釣りたい。
釣人:Mr.グレ <<<
西   2009/11/17 (午前中時〜 時)
ガシラ 10〜19p 5匹 ワーム 落とし込み・前打ち
   p  匹    
   p  匹    
   p  匹    
寒かった・・・
釣れてよかった。
釣人:( ^^) _旦~~ <<<
東-5番  2009/11/16 (午後時〜 時)
ガシラ 13〜21p 7匹 ワーム(カサゴ職人) ルアー・エギング
アイナメ 15p 1匹 ワーム(ガルプ)  
   p  匹    
   p  匹    
久しぶりの垂水でのガシリングでした。詳しくはブログで。 釣人:ガシラハンター
中央-7番  2009/11/16 (夜間時〜 時)
アオリイカ 15〜27p 2匹 エギ3.5号 ルアー・エギング
   p  匹 オレンジ  
   p  匹 下地=赤テープ  
   p  匹    
初めての投稿です、よろしくお願いします。大潮 潮流=東 時間=22時ごろ 釣人:KING PROX
中央-2番  2009/11/16 (午前中時〜 時)
タコ 18p 2匹 タコテンヤ ルアー・エギング
   p  匹    
   p  匹    
   p  匹    
釣れないかと思ったけど釣れてよかった。 釣人:タコ釣り明神 <<<
中央-11番  2009/11/16 (終日時〜 時)
グレ 24p 1匹 オキアミ 紀州釣り
   p  匹    
   p  匹    
   p  匹    
チヌを狙いに行ったはずが…。隣で子供がサビキングで子メバル爆釣でした。 釣人:ひろ
一文字-2番  2009/11/15 (午前中時〜 時)
ベラ ?p 9匹匹 イソメ 投げ釣り
   p  匹    
   p  匹    
   p  匹    
やったー 釣人:鰧 <<<
東-7番  2009/11/15 (午後時〜 時)
ヒラメ 40〜41p 2匹 活きアジ 泳がせ釣り
   p  匹    
   p  匹    
   p  匹    
念願のヒラメGet!しかも2枚、寒かったけど、頑張った甲斐がありました。 釣人:トラウトマン
東-10番  2009/11/14 (終日時〜 時)
チヌ 15〜42p 2匹 コーン 紀州釣り
キビレ 25p 1匹 オキアミ  
タコ 20?p 1匹    
   p  匹    
タコさんが、いつの間にか歩いて海に帰って行きました。 ショックです。 釣人:マツムスコ
西-5番  2009/11/14 (午後時〜 時)
グレ 22〜27p 5匹 オキアミ フカセ釣り
   p  匹    
   p  匹    
   p  匹    
浮いてないですが2ヒロ以内でよくアタリました。オセンよりボラの下です。 釣人:わいるだー
西-5番  2009/11/12 (午前中時〜 時)
グレ 20−25p 4匹 オキアミ フカセ釣り
   p  匹    
   p  匹    
   p  匹    
夕食で食べた時少し脂が乗つてきた 釣人:秋グレ <<<
西-5番  2009/11/08 (夕方時〜 時)
グレ 21p 1匹 オキアミ フカセ釣り
   p  匹    
   p  匹    
   p  匹    
午後は釣れないと思ってたのですが、夕方一瞬だけ浮いたようです… 釣人:わいるだー
西-5番  2009/11/08 (午前中時〜 時)
グレ 23p 1匹 オキアミ フカセ釣り
チヌ 30p 1匹    
   p  匹    
   p  匹    
守る会会長辞任です…朝一はグレ浮いてましたが、汚い潮で何もいなくなりました 釣人:わいるだー
東-4番  2009/11/08 (夕方時〜 時)
グレ 24p 1匹 オキアミ フカセ釣り
チヌ 34p 1匹    
   p  匹    
   p  匹    
オセンも殆どいないので、グレからチヌに切り替え、直にきました。(1枚ばらし) 釣人:NIGHT
東-4番  2009/11/08 (午前中時〜 時)
グレ 22p 1匹 オキアミS フカセ釣り
   p  匹    
   p  匹    
   p  匹    
活性もアタリも渋い・・・。 釣人:西っさん <<<
東-9番  2009/11/07 (午後時〜 時)
カレイ 23p 1匹 アオイソメ 投げ釣り
   p  匹    
   p  匹    
   p  匹    
隣の名人級の方が25cmクラスを6枚あげていました。 釣人:SHIGE
中央-5番  2009/11/04 (夕方時〜 時)
メジナ 20p 1匹 アミエビ サビキ釣り
   p  匹    
   p  匹    
   p  匹    
まさかサビキでメジナが釣れるとは思わなかった 釣人:おじさん <<<
一文字-4番  2009/11/03 (終日時〜 時)
グレ 23〜28p 30以上匹 オキアミ フカセ釣り
   p  匹    
   p  匹    
   p  匹    
今日は母上の誕生日でした 釣人:蔵之臣
一文字-4番  2009/11/03 (終日時〜 時)
グレ 20-25p 13匹 オキアミ フカセ釣り
チヌ 31p 1匹    
   p  匹    
   p  匹    
漁師さん、虎の穴タイガーぺチンさんは30枚以上・・・私はやっぱりチヌ師? 釣人:NIGHT
一文字-4番  2009/11/01 (午前中時〜 時)
グレ 20-26p 11匹 オキアミ フカセ釣り
   p  匹    
   p  匹    
   p  匹    
午後から雨のため断念。 釣人:NIGHT
平磯-8番  2009/11/03 (夕方時〜 時)
scorpion-f 23p 2匹 マムシ 胴付き・探り釣り
black-f グレ 25p 1匹    
conger-eel 42p 1匹    
   p  匹    
風が冷たい分 水温があたたかく感じました 釣人:崖っぷちの釣り師 <<<
西-5番  2009/11/03 (午前中時〜 時)
グレ 22p 2匹 オキアミ フカセ釣り
   p  匹    
   p  匹    
   p  匹    
激寒でした。 釣人:わいるだー
西-5番  2009/10/31 (午前中時〜 時)
グレ 22p 1匹 オキアミ フカセ釣り
   p  匹    
   p  匹    
   p  匹    
タナが深いです 釣人:わいるだー
西-5番  2009/11/03 (終日時〜 時)
グレ 24p 1匹 オキアミ フカセ釣り
   p  匹    
   p  匹    
   p  匹    
食いが渋いというか、グレはいたのかな?! 釣人:まさ <<<
一文字-6番  2009/11/03 (午後時〜 時)
アイナメ 20p 1匹 ゴカイ フカセ釣り
ガシラ 7〜13p 9匹 アサリ  
ウミタナゴ 12p 1匹    
   p  匹    
初めての一文字で爆釣でした 釣人:世界のコイケ
一文字-4番  2009/11/03 (午後時〜 時)
グレ 20〜26p 12匹 オキアミ フカセ釣り
   p  匹    
   p  匹    
   p  匹    
午後からはグレの姿が減りました。オセンが沖にまでいました。 釣人:ノリさん
一文字-4番  2009/11/03 (午前中時〜 時)
グレ 20〜26p 28匹 オキアミ フカセ釣り
   p  匹    
   p  匹    
   p  匹    
棚は1ヒロ。大潮で潮が速く難しい釣りでした。 釣人:ノリさん
西-5番  2009/11/03 (終日時〜 時)
グレ 22〜23p 2匹 オキアミ フカセ釣り
チヌ 34p 1匹    
   p  匹    
   p  匹    
午後からは何も釣れませんでした。エサ取りも殆ど居ません。 釣人:管理人
東-7番  2009/11/02 (午後時〜 時)
チヌ 37〜40p 2匹 コーン 紀州釣り
   p  匹 おきあみ  
   p  匹    
   p  匹    
両方コーンでした。 釣人:マツムスコ
東-4番  2009/11/02 (終日時〜 時)
グレ 20-22p 4匹 オキアミ フカセ釣り
メバル 14-16p 6匹    
   p  匹    
   p  匹    
暴風のため9番に移動したら、メバルばっかり釣れました。 釣人:ひろ
東-9番  2009/11/01 (午前中時〜 時)
チヌ 45p 1匹 コーン 紀州釣り
   p  匹    
   p  匹    
   p  匹    
雨で中断しましたが、サイズアップしてきました。 釣人:マツパパ
東-4番  2009/11/01 (午前中時〜 時)
グレ 23p 1匹 オキアミ フカセ釣り
メバル 14p 1匹    
   p  匹    
   p  匹    
矢引きでした。 釣人:勘太郎
東-4番  2009/11/01 (午前中時〜 時)
アコウ 31p 1匹 ネリエ フカセ釣り
カワハギ 20p 1匹    
   p  匹    
   p  匹    
雨で断念しました。 ↑アコウでは無くコブダイです。 釣人:せきやん
一文字-7番  2009/10/31 (夕方時〜 時)
カワハギ 18p 1匹 アサリ 胴付き・探り釣り
ガシラ 14〜22p 5匹 キビナゴ  
   p  匹    
   p  匹    
今夜は満月の大潮でしたが撃沈でした。ガシラは6番での穴釣りです。 釣人:SHIGE
西-5番  2009/10/31 (終日時〜 時)
グレ 21〜26p 8匹 オキアミ フカセ釣り
   p  匹    
   p  匹    
   p  匹    
グレは殆ど見えません。細仕掛けがいいようです。 釣人:ノリさん
東-9番  2009/10/31 (終日時〜 時)
チヌ 25p 1匹 オキアミ 紀州釣り
   p  匹 ボケ  
   p  匹    
   p  匹    
全般に良くありません。午後の潮変わりから漸く来ました。 釣人:ハットリ
東-5番  2009/10/29 (午前中時〜 時)
平目 35p 2匹 アジ 泳がせ釣り
ツバス 40p 1匹    
   p  匹    
   p  匹    
はじめて大物釣りましたタナは3ヒロはんです 釣人:さかなくん <<<
一文字-4番  2009/10/26 (終日時〜 時)
グレ 20-27p 21匹 オキアミ フカセ釣り
   p  匹    
   p  匹    
   p  匹    
全然浮かず。 釣人:NIGHT
西-5番  2009/10/25 (午後時〜 時)
カワハギ 15p 1匹 青虫 胴付き・探り釣り
ベラ 6〜12p 17匹 ゴカイ  
   p  匹    
   p  匹    
  釣人:山々 <<<
東-4番  2009/10/25 (午前中時〜 時)
グレ 24p 1匹 オキアミ フカセ釣り
コッパ 手の平p 2匹    
   p  匹    
   p  匹    
今日は暴風と激流で散々でした。 釣人:ひろ
東-4番  2009/10/24 (午後時〜 時)
グレ 21-24p 2匹 オキアミ フカセ釣り
メバル 16p 1匹    
   p  匹    
   p  匹    
久しぶりに魚を釣りました。1匹は先に逃げちゃいました。 釣人:ひろ
一文字-5番  2009/10/24 (午後時〜 時)
カワハギ 19p 1匹 アサリ 胴付き・探り釣り
ガシラ 10p 1匹    
   p  匹    
   p  匹    
夜間は8番で太刀魚狙うも撃沈でした。太刀魚は完全に終わりの様です。 釣人:SHIGE
東-6番  2009/10/24 (午前中時〜 時)
ギンポ 29p 1匹 シラサエビ 胴付き・探り釣り
クジメ 15〜21p 9匹    
メバル 10〜18p 5匹    
   p  匹    
久しぶりの投稿です。 釣人:さっくん
中央-10番  2009/10/23 (夜間時〜 時)
ハネ 56p 1匹 シラサ ウキ釣り
   p  匹    
   p  匹    
   p  匹    
タモをかして下さった方、有難うございました。 釣人:KT
西-5番  2009/10/21 (終日時〜 時)
グレ 20〜25p 6匹 オキアミ フカセ釣り
   p  匹    
   p  匹    
   p  匹    
グレは午前中しか釣れませんでした。午後からはオセンも消えました。 釣人:管理人
東-4番  2009/10/20 (夜間時〜 時)
アオリイカ 19p 1匹 エギ ルアー・エギング
   p  匹    
   p  匹    
   p  匹    
秋イカもそろそろ終盤です。なんとか1杯340g上がりました。 釣人:ガシラハンター
平磯-3番  2009/10/18 (午前中時〜 時)
scorpion-f 19p 2匹 マムシ ブッコミ釣り
filefish 18p 3匹    
rainbow-f 15p 8匹    
   p  匹    
のんびりと過ごしました 釣人:崖っぷちの釣り師 <<<
東-4番  2009/10/18 (午前中時〜 時)
グレ 20〜24p 12匹 オキアミS フカセ釣り
グレ 20以下p 1匹    
   p  匹    
   p  匹    
今日は数に拘りました。次回はサイズアップ。 釣人:西っさん
一文字-7番  2009/10/18 (午後時〜 時)
ガシラ 20〜15p 4匹 アオイソメ 胴付き・探り釣り
ホウボウ 15p 1匹    
フグ・ベラ 10〜15p 30匹    
   p  匹    
午前中のカレイと午後のカワハギ狙いは撃沈です。エサ獲りが多過ぎます(><) 釣人:SHIGE
一文字-4番  2009/10/17 (終日時〜 時)
グレ 20-29p 29匹 オキアミ フカセ釣り
   p  匹    
   p  匹    
   p  匹    
垂水の漁師さんみたいには釣れませんが、自己最高枚数更新です。 釣人:NIGHT
東-9番  2009/10/16 (午前中時〜 時)
チヌ 25p 2匹 ボケ 紀州釣り
   p  匹 オキアミ  
   p  匹    
   p  匹    
こんな小さいのしか居ませんでした。 釣人:ハットリ
一文字-4番  2009/10/15 (午後時〜 時)
グレ 20〜26p 39匹 オキアミ フカセ釣り
ウマズラ 27p 1匹    
   p  匹    
   p  匹    
今日は一日でグレ66匹の釣果でした。一文字はよく釣れます。西が型が良いようです。 釣人:ノリさん
一文字-4番  2009/10/15 (午前中時〜 時)
グレ 20〜26p 27匹 オキアミ フカセ釣り
   p  匹    
   p  匹    
   p  匹    
一文字には元気なグレが沢山います。 釣人:ノリさん
一文字-4番  2009/10/15 (終日時〜 時)
グレ 20〜27p 50匹 オキアミ フカセ釣り
   p  匹    
   p  匹    
   p  匹    
帰りにインキーしてJAF呼びました 釣人:蔵之臣
平磯-1番  2009/10/14 (午後時〜 時)
阪神タイガース 15p 1匹 アオイソメ 胴付き・探り釣り
   p  匹    
   p  匹    
   p  匹    
このタイガース柄の魚は何という名前でしょうか?<br>塩屋漁港で釣れました。 釣人:ガシラハンター
西-5番  2009/10/13 (午後時〜 時)
グレ 21〜26p 12匹 オキアミ フカセ釣り
アオリイカ 16p 1匹 エギ2号  
   p  匹    
   p  匹    
沖はボラ大群で狙えず。竿1本先、オセンの群れの中をタナ1ヒロで釣りました。 釣人:管理人
西-1番  2009/10/11 (午前中時〜 時)
メバル 12〜17p 4匹 ブツエビ 胴付き・探り釣り
ガシラ 14p 1匹    
ベラ 13p 1匹    
   p  匹    
  釣人:いなかっぺ <<<
西-3番  2009/10/12 (終日時〜 時)
ガシラ 14〜20p 12匹 アジ胴切り身 サビキ釣り
メバル 13〜15p 9匹 オキアミ  
ベラ  p 2匹 アミエビ  
   p  匹    
父ばかり自由で子供2人と息子【助けて】父【自分の事はやれ】20cmブッコ抜き 釣人:せきやん
中央-11番  2009/10/10 (午前中時〜 時)
カワハギ 14-18p 2匹 エビ 胴付き・探り釣り
   p  匹    
   p  匹    
   p  匹    
小さいのはリリースしました。何回かばらしてしまいました。辛うじて一匹... 釣人:ハゲ釣り人
西-5番  2009/10/10 (午前中時〜 時)
グレ 20〜22p 2匹 オキアミ フカセ釣り
   p  匹    
   p  匹    
   p  匹    
朝からテンション下がりまくりで… 釣人:わいるだー
東-1番  2009/10/11 (午後時〜 時)
アオリイカ 21p 1匹 エギ3号 ルアー・エギング
   p  匹    
   p  匹    
   p  匹    
昨日は中央より元気な小イカちゃんも多いように見えました。 釣人:こるせっと
東-4番  2009/10/11 (午後時〜 時)
グレ 22,5p 1匹 オキアミ フカセ釣り
   p  匹    
   p  匹    
   p  匹    
大きなスカリにグレ1匹・・寂しい 釣人:せきやん
東-4番  2009/10/10 (午後時〜 時)
グレ 20〜24p 7匹 オキアミ フカセ釣り
   p  匹    
   p  匹    
   p  匹    
東のグレは元気です。沢山います。ボラも100匹位いました。こちらも爆釣。 釣人:ノリさん
中央-11番  2009/10/11 (午後時〜 時)
カワハギ 18p 1匹 アオイソメ 胴付き・探り釣り
   p  匹    
   p  匹    
   p  匹    
同サイズのカワハギがぽっぽっと釣れていましたがチビ君がまだ多いです。 釣人:SHIGE
東-4番  2009/10/10 (午後時〜 時)
グレ 20-23p 11匹 オキアミ フカセ釣り
   p  匹    
   p  匹    
   p  匹    
姿は見えずとも良く釣れました。小さいですが垂水での自己最高枚数です。 釣人:NIGHT
東-3番  2009/10/09 (夜間時〜 時)
太刀魚(指4本) 79p 1匹 キビナゴ ウキ釣り
   p  匹    
   p  匹    
   p  匹    
寒さを感じながら太刀魚を釣るのは妙な感じです。 釣人:SHIGE
西-5番  2009/10/09 (終日時〜 時)
グレ 20〜27p 7匹 オキアミ フカセ釣り
アオリイカ 9〜15p 3匹 エギ2号  
   p  匹    
   p  匹    
グレはあまり浮かず。急激な水温低下or水潮のせい?エギングは17時〜18時。 釣人:管理人
西-5番  2009/10/09 (終日時〜 時)
グレ 20〜23p 4匹 オキアミ フカセ釣り
チヌ 25p 1匹    
イカ  p 1匹    
   p  匹    
渋いです。 釣人:サトシF
東-7番  2009/10/05 (午後時〜 時)
ハマチ 57p 1匹 活きアジ 泳がせ釣り
   p  匹    
   p  匹    
   p  匹    
養殖の奇形かな?でも、引きは楽しめました。 釣人:トラウトマン
中央-6番  2009/10/04 (午前中時〜 時)
チヌ 32p 1匹 オキアミ 紀州釣り
   p  匹    
   p  匹    
   p  匹    
久しぶりの釣果です。 釣人:勘太郎
中央-9番  2009/10/05 (夜間時〜 時)
アオリイカ 12〜15p 4匹 エギ2.5号 ルアー・エギング
   p  匹    
   p  匹    
   p  匹    
強い向かい風、雨で散々です。11番付近は潮が飛び釣りになりませんでした。 釣人:デイドリーム <<<
西-5番  2009/10/03 (終日時〜 時)
グレ 20〜24p 8匹 オキアミ フカセ釣り
チヌ 24p 1匹    
   p  匹    
   p  匹    
少し遅れましたが・・食いは、渋いです。 釣人:サトシF <
東-9番  2009/10/04 (午後時〜 時)
キス 15p 2匹 アオイソメ 投げ釣り
カワハギ 14p 1匹    
   p  匹    
   p  匹    
投げでのカワハギ狙いでしたが嬉しい外道君でした。本命のみリリースしました。 釣人:SHIGE
東-9番  2009/10/04 (午後時〜 時)
カレイ 17p 1匹 アオイソメ 投げ釣り
   p  匹    
   p  匹    
   p  匹    
今年初顔合せでしたが勿論リリースです。これからのカレイに期待です。 釣人:SHIGE
東-4番  2009/10/04 (午前中時〜 時)
キュウセン 21〜23p 3匹 コーン フカセ釣り
   p  匹 ネリえさ  
   p  匹    
   p  匹    
コーン・練りえさでチヌのはずが・・・ 釣人:せきやん
中央-11番  2009/10/03 (夜間時〜 時)
アオリイカ 11p 1匹 エギ3.0号 ルアー・エギング
   p  匹    
   p  匹    
   p  匹    
1匹しか釣れませんでした。 釣人:ガシラハンター
中央-11番  2009/10/03 (夜間時〜 時)
タコ 7p 1匹 エギ3.0号 ルアー・エギング
   p  匹    
   p  匹    
   p  匹    
またしてもタコが釣れましたがちっちゃすぎたのでリリースです。 釣人:ガシラハンター
西-3番  2009/10/01 (夕方時〜 時)
アオリイカ 12〜16p 4匹 2号エギ ルアー・エギング
   p  匹    
   p  匹    
   p  匹    
夕方6時から30分の釣果です。今年初めてのキーパサイズが釣れました。 釣人:管理人
西-3番  2009/10/01 (終日時〜 時)
グレ 20〜28p 11匹 オキアミ フカセ釣り
チヌ 35p 1匹    
   p  匹    
   p  匹    
グレは矢引き〜1.5ヒロ、チヌは2ヒロです。オキアミへの反応がすこぶる悪いです。 釣人:管理人
一文字-4番  2009/10/01 (終日時〜 時)
グレ 20〜26p 25匹 オキアミ フカセ釣り
   p  匹    
   p  匹    
   p  匹    
結構日焼けしました 釣人:蔵之臣
中央-11番  2009/10/01 (夜間時〜 時)
アオリイカ 12p 1匹 エギ3.0号 ルアー・エギング
   p  匹    
   p  匹    
   p  匹    
あきませんでした。隣のヤエン師さんが25センチ超を数杯上げてました。完敗です。 釣人:ガシラハンター
一文字-4番  2009/10/01 (終日時〜 時)
グレ 20〜26p 15匹 オキアミ フカセ釣り
   p  匹    
   p  匹    
   p  匹    
グレは沢山います。オセンが沖迄出で来るので苦戦しました。ボラも強敵。 釣人:ノリさん
一文字-8番  2009/10/01 (終日時〜 時)
グレ 19−23p 8匹 石ゴカイ フカセ釣り
   p  匹    
   p  匹    
   p  匹    
グレ浮かず。沈めてやっとコッパがきましたが、フナムシの方がよさそうでした。 釣人:kもりた <<<
西-3番  2009/10/01 (午後時〜 時)
グレ 23p 2匹 オキアミ フカセ釣り
アオリイカ 15p 2匹    
   p  匹    
   p  匹    
バンバン浮いているのに喰いません! 釣人:まさ <<<
中央-1番  2009/09/27 (午前中時〜 時)
アジ 10p 10匹 アミエビ サビキ釣り
タナゴ 12p 1匹 オキアミ  
メバル 8p 1匹    
   p  匹    
無理っす。 釣人:イチロー <<<
中央-11番  2009/09/27 (夕方時〜 時)
カマス 28p 1匹 ワーム ルアー・エギング
ガシラ 15p 1匹    
   p  匹    
   p  匹    
  釣人:yuu228
東-3番  2009/09/19 (夜間時〜 時)
スズキ 80p 1匹 ちろり ブッコミ釣り
ちぬ 39p 1匹 ゆむし  
たい 32p 1匹    
   p  匹    
遅くなりました。大潮は良いですね。他に92センチのスズキも見ました。 釣人:ゆたし
中央-10番  2009/09/27 (終日時〜 時)
チヌ 40p 1匹 オキアミ 紀州釣り
グレ 23p 2匹    
   p  匹    
   p  匹    
地元の方々のご指導に感謝。チヌは午後5時半に。ありがとうございました。 釣人:トムソーヤ
東-5番  2009/09/27 (夕方時〜 時)
イシガキダイ 22p 1匹 石ゴカイ 胴付き・探り釣り
ガシラ 13〜15p 4匹    
   p  匹    
   p  匹    
夕まづめの一瞬に釣れました。イシガキダイは引きが凄まじかったです。釣魚記録?! 釣人:マグロ兄貴
東-9番  2009/09/26 (午後時〜 時)
チヌ 49p 2匹 オキアミ フカセ釣り
ガシラ 20p 1匹 コーン  
   p  匹    
   p  匹    
15時頃連続して当たりがありました。 釣人:健太郎
東-9番  2009/09/27 (午後時〜 時)
カワハギ 11〜17p 2匹 アオイソメ 胴付き・探り釣り
   p  匹    
   p  匹    
   p  匹    
まだまだチビ君が多いみたいです。カレイも狙ってみましたが気配はありませんでした。 釣人:SHIGE
東-3番  2009/09/27 (夜間時〜 時)
アオリイカ 10〜15p 3匹 エギ3.0号 ルアー・エギング
   p  匹    
   p  匹    
   p  匹    
深夜1時間半の釣果です。東テトラまだまだ気配あります! 釣人:ガシラハンター
一文字-8番  2009/09/26 (夜間時〜 時)
太刀魚 87(指4本半)p 1匹 活きアジ ウキ釣り
   p  匹    
   p  匹    
   p  匹    
スケールがずれで申し訳ありません。ちょい遠投で2ヒロ半でした。 釣人:SHIGE
一文字-9番  2009/09/26 (夜間時〜 時)
太刀魚 73(指3本)p 1匹 活きアジ ウキ釣り
   p  匹    
   p  匹    
   p  匹    
小潮でしたが5番で30cmのアコウや20cmのアオリが釣れていました。 釣人:SHIGE
中央-11番  2009/09/26 (午後時〜 時)
カワハギ 18〜20p 4匹 エビ 胴付き・探り釣り
ガシラ 20p 1匹    
ベラ  p 多数匹    
   p  匹    
効率的に釣れました。横で鰻を釣り上げた人がいて珍しさに人だかりができていました。 釣人:ハゲ釣り人
西-5番  2009/09/26 (午後時〜 時)
グレ 23〜30p 7匹 オキアミ フカセ釣り
木っ端  p 3匹    
   p  匹    
   p  匹    
昨日釣り過ぎ↓↓ 釣人:ノリさん
西-5番  2009/09/26 (終日時〜 時)
グレ 20−28p 5匹 オキアミ フカセ釣り
   p  匹    
   p  匹    
   p  匹    
昨日釣りすぎ? 釣人:NIGHT
西-5番  2009/09/25 (午後時〜 時)
グレ 20〜27p 18匹 オキアミ フカセ釣り
アオリイカ 10〜13p 4匹 エギ2号  
   p  匹    
   p  匹    
グレは昼から4時間の釣果。自分のペースで釣りが出来たのが良かったです。 釣人:管理人
一文字-9番  2009/09/24 (早朝時〜 時)
アオリイカ 15〜20p 3匹 エギ3号 ルアー・エギング
   p  匹    
   p  匹    
   p  匹    
青物狙いで釣行しましたが不発でエギングしました。先週よりサイズが一回り大きくなった感じです。 釣人:fish1173
西-5番  2009/09/23 (午後時〜 時)
グレ 20-22p 3匹 オキアミ フカセ釣り
   p  匹    
   p  匹    
   p  匹    
皆さん上手です。練習あるのみ。 釣人:NIGHT
西-5番  2009/09/23 (夕方時〜 時)
アオリイカ 8〜13p 3匹 エギ2.5号 ルアー・エギング
   p  匹    
   p  匹    
   p  匹    
全てリリースサイズでした 釣人:蔵之臣 <<<
西-5番  2009/09/23 (午後時〜 時)
グレ 23〜28p 3匹 オキアミ フカセ釣り
アオリイカ 12p 1匹 エギ2号  
   p  匹    
   p  匹    
11〜14時 16時〜の釣果。オセンの活性が終日低く撃沈です。 釣人:デイドリーム
西-5番  2009/09/23 (午後時〜 時)
グレ 22〜23p 5匹 オキアミ フカセ釣り
アオリ 10〜12p 5匹 エギ2号  
   p  匹    
   p  匹    
グレは14〜17時、アオリは17時〜20時の釣果。グレの喰いは相変わらず渋いです 釣人:管理人
東-3番  2009/09/23 (夕方時〜 時)
アオリイカ 胴長15p 2匹 エギ3号 ルアー・エギング
タコ  p 1匹    
   p  匹    
   p  匹    
今年初物。やっと釣れました。 釣人:カズンガーZ
平磯-3番  2009/09/22 (午後時〜 時)
scorpion- 25p 2匹 マムシ ブッコミ釣り
octopus 18p 1匹    
warasse 13p 2匹    
   p  匹    
たこスパゲティ 子供に人気でした 釣人:崖っぷちの釣り師 <<<
西-5番  2009/09/22 (午前中時〜 時)
グレ 20〜23p 4匹 オキアミ フカセ釣り
グレ 〜20p 2匹    
   p  匹    
   p  匹    
天気悪かったからか、よく浮いてました… 釣人:わいるだー
西   2009/09/20 (午前中時〜 時)
ガシラ 7 p 10匹 石ゴカイ 胴付き・探り釣り
   p  匹 サシエビ   
   p  匹    
   p  匹    
ガシラのチビばかり、釣果が、落ちてます。
イカとか釣んの無理っす。  
釣人:名人 <<<
中央-11番  2009/09/22 (早朝時〜 時)
ガシラ 18p 1匹 アサリ 胴付き・探り釣り
   p  匹    
   p  匹    
   p  匹    
カワハギ狙いでしたが不発に終わりました。アジは何処に? 釣人:SHIGE
一文字-3番  2009/09/21 (午前中時〜 時)
グレ 26〜31p 10匹 イシゴカイ フカセ釣り
   p  匹    
   p  匹    
   p  匹    
久々に好調でした。 釣人:グレッチ
一文字-9番  2009/09/17 (夕方時〜 時)
アオリイカ 15〜18p 2匹 エギ3号 ルアー・エギング
   p  匹    
   p  匹    
   p  匹    
友人はエギ3.5号で胴長18〜20p2杯釣りました。 釣人:fish1173
平磯   2009/09/20 (早朝時〜 時)
カワハギ 19、20p 2匹 石ゴカイ 胴付き・探り釣り
アブラメ 10,13p 2匹    
ササノハベラ 17p 1匹    
   p  匹    
カワハギはよくひきました。 釣人:イクラ <<<
西-4番  2009/09/16 (夕方時〜 時)
タコ 8p 1匹 エギ2.0号 ルアー・エギング
   p  匹    
   p  匹    
   p  匹    
アオリ狙いでエギを投げてたところタコがくっついてきました! 釣人:ガシラハンター
西-5番  2009/09/16 (終日時〜 時)
グレ 21〜28p 9匹 オキアミ フカセ釣り
アオリ 10〜13p 3匹 エギ2号  
   p  匹    
   p  匹    
グレは20p以下の木っ葉が多いです。アオリは18時〜19時、エギングで。 釣人:管理人
西-5番  2009/09/16 (終日時〜 時)
グレ 〜19p 3匹 オキアミ フカセ釣り
グレ 21〜23p 7匹    
   p  匹    
   p  匹    
ボラの数が多すぎ!! 釣人:まさ <<<
中央-11番  2009/09/15 (夜間時〜 時)
ガシラ 20p 1匹 アオイソメ 投げ釣り
   p  匹    
   p  匹    
   p  匹    
約1時間の釣りでしたが、潮がゆるやかになってきたら運良く釣れました。 釣人:SHIGE
一文字-4番  2009/09/14 (午後時〜 時)
グレ 22〜25p 17匹 オキアミ フカセ釣り
アオリイカ 10〜11p 2匹 エギ2号  
アオリ(12日分) 12〜13p 4匹    
   p  匹    
木っ葉だらけでさっぱりです。数は釣れますが良型は・・・アオリは中央の釣果。 釣人:デイドリーム
東-4番  2009/09/13 (夜間時〜 時)
アオリイカ 10p 3匹 エギ2号 ルアー・エギング
   p  匹    
   p  匹    
   p  匹    
1杯は中央・西波止で釣りました。今年は調子が上がりません。 釣人:管理人 <<<
西-5番  2009/09/13 (午後時〜 時)
グレ 23-25p 3匹 オキアミ フカセ釣り
   p  匹    
   p  匹    
   p  匹    
浮いてきても刺餌には興味がないのはなぜでしょうか? 釣人:やまぱぱ <<<
平磯-6番  2009/09/10 (午後時〜 時)
globefish 12p 3匹 蒼いそめ ブッコミ釣り
filefish 5p 2匹 オキアミ  
flat fish 24p 1匹    
   p  匹    
のどかな一日でした 釣人:崖っぷちの釣り師 <<<
東-9番  2009/09/11 (午後時〜 時)
チヌ 23p 1匹 オキアミ 紀州釣り
ボラ 45〜60p 5匹    
たこ  p 1匹    
   p  匹    
潮動かず、オキアミ付いたままが殆んど。 釣人:kもりた <<<
東-9番  2009/09/10 (午前中時〜 時)
ハマチ 60p 1匹 活きアジ 泳がせ釣り
   p  匹    
   p  匹    
   p  匹    
初青物で引きにびっくりしました。メジャーなしで60cm玉網から少し出ていました。 釣人:トラウトマン
東-4番  2009/09/08 (夜間時〜 時)
アオリイカ 11〜15p 2匹 エギ3.0号 ルアー・エギング
   p  匹    
   p  匹    
   p  匹    
23時以降にアタリが集中しました。東テトラ、サイズがデカいです!! 釣人:ガシラハンター
東-4番  2009/09/08 (夜間時〜 時)
ケンサキイカ 17p 1匹 エギ3.0号 ルアー・エギング
   p  匹    
   p  匹    
   p  匹    
東テトラ4番は潮の流れ等いい条件が揃っています! 釣人:ガシラハンター
西-5番  2009/09/08 (夕方時〜 時)
アオリイカ 8〜11p 4匹 2号エギ ルアー・エギング
   p  匹    
   p  匹    
   p  匹    
際でのヒットが多かったです。 釣人:管理人 <<<
西-4番  2009/09/05 (夜間時〜 時)
タチウオ 80p 1匹 キビナゴ ウキ釣り
   p  匹    
   p  匹    
   p  匹    
20時30分ごろ、電気ウキが沈みました。アタリは数回ありました。 釣人:ganci
西-5番  2009/09/06 (終日時〜 時)
グレ 20-25p 3匹 オキアミ フカセ釣り
ハマチ(曲がり) 約50p 1匹 アジ  
   p  匹    
   p  匹    
ハマチは残念ながら曲がっていました。グレは時折浮くも刺し餌には興味示さず。 釣人:やまぱぱ <<<
東-1番  2009/09/06 (午前中時〜 時)
カワハギ 14〜18p 4匹 青イソメ 胴付き・探り釣り
チャリコ 6〜10p 2匹    
ベラ 10〜22p 3匹    
   p  匹    
早く大きい肝が食べたいですね。 釣人:ガッチョ <<<
西-5番  2009/09/03 (終日時〜 時)
グレ 20〜22p 3匹 オキアミ フカセ釣り
チヌ 24p 1匹 エギ2号  
アオリイカ 7〜11p 7匹    
   p  匹    
アオリはエギングで。全てリリースサイズでした。グレも木っ葉ばかりです。 釣人:管理人 <<<
西-3番  2009/09/02 (夜間時〜 時)
アオリイカ 8〜13p 8匹 エギ2号 ルアー・エギング
   p  匹 エギ3号  
   p  匹    
   p  匹    
今の時期にしては良型が来ました。22時〜にアタリが集中しました。バラシ多いです。 釣人:デイドリーム <<<
西-5番  2009/08/30 (終日時〜 時)
グレ 20〜22p 2匹 オキアミ フカセ釣り
アオリイカ 8〜10p 6匹 エギ2号  
タコ 15p 1匹    
   p  匹    
8〜22時の釣果。アオリは21時以降に際でアタリが多かったです。疲れました。 釣人:デイドリーム <<<
西-8番  2009/08/30 (夕方時〜 時)
アオリイカ 胴長10p 1匹 エギ2、5号 ルアー・エギング
シロギス 10〜14p 5匹 イシゴカイ  
マイワシ 10p 約30匹 アミエビ  
   p  匹    
アオリは昼からやっていました。7時ごろあたりが出始めました。 釣人:セフィアBB <<<
西-4番  2009/08/29 (夜間時〜 時)
タチウオ 60p 1匹 いわし似ルアー ルアー・エギング
たちうお 100p 1匹    
   p  匹    
   p  匹    
画像なし。ぺこり。この時期に指4本が来るとわ。恐るべし垂水。 釣人:のりじi <<<
西-3番  2009/08/30 (終日時〜 時)
ハネ 48p 1匹 活きイワシ 泳がせ釣り
アオリイカ 7〜11p 8匹 エギ2号  
   p  匹    
   p  匹    
アオリは西5番での釣果。午後からフカセをしましたが、グレは木っ葉のみ。 釣人:管理人
西-3番  2009/08/30 (午後時〜 時)
スズキ 70p 1匹 イワシ 泳がせ釣り
   p  匹    
   p  匹    
   p  匹    
ズバっと! 釣人:3104k
西-3番  2009/08/30 (終日時〜 時)
ガシラ 15〜20p 3匹 イワシ切り身 胴付き・探り釣り
グレ 20p 2匹 オキアミ  
   p  匹    
   p  匹    
グレは昼からフカセで西五番です。 釣人:まさ <<<
東-1番  2009/08/29 (夕方時〜 時)
ホウボウ 22p 1匹 イワシ 泳がせ釣り
   p  匹    
   p  匹    
   p  匹    
20時過ぎに60cmクラスの太刀魚、21時以降はカマスが多数釣れていました。 釣人:SHIGE
西-3番  2009/08/26 (終日時〜 時)
ハネ 48〜57p 2匹 活きイワシ 泳がせ釣り
ツバス 30p 1匹 エギ2号  
アオリイカ 8〜11p 3匹    
   p  匹    
ハネは日中、ツバス、アオリは午前9時頃に釣れました。 釣人:管理人
西-3番  2009/08/26 (午前中時〜 時)
スズキ 72〜50p 4匹 イワシ 泳がせ釣り
   p  匹    
   p  匹    
   p  匹    
スズキ日和でした。 釣人:サトシF
西-5番  2009/08/26 (午前中時〜 時)
イワシ 10p 3匹 オキアミ フカセ釣り
アジ 10p 1匹 石ゴカイ  
その他 0p 数匹    
   p  匹    
グレ浮かずイワシ、アジ、オセン、ベラ、サンバソウ五目達成(悲) 釣人:たにちゃん <<<
東-6番  2009/08/25 (夜間時〜 時)
アオリイカ 11p 1匹 2.5号エギ ルアー・エギング
ケンサキイカ 8p 1匹    
   p  匹    
   p  匹    
貧果に終わりました。まだアオリ狙いはちょい早いかもです。 釣人:ガシラハンター
東-6番  2009/08/24 (午前中時〜 時)
ツバス 40p 1匹 ルアー ジグ ルアー・エギング
   p  匹    
   p  匹    
   p  匹    
写真を撮る余裕がありませんでした。隣の人も2匹GETしてました。 釣人:ISO <<<
西-1番  2009/08/24 (夕方時〜 時)
スズキ 73p 1匹 イワシ 泳がせ釣り
   p  匹    
   p  匹    
   p  匹    
自己新記録です!(すくってもらいました)
頑張りました!
釣人:サトシF
西-5番  2009/08/23 (終日時〜 時)
ガシラ 18p 1匹 かたくちイワシ 泳がせ釣り
アオリイカ 15p 2匹    
   p  匹    
   p  匹    
グレはダメでした。飲ませのイワシがガシラに変身してました!? 釣人:やまぱぱ <<<
西-5番  2009/08/23 (終日時〜 時)
アオリイカ 8〜10p 11匹 エギ2号 ルアー・エギング
   p  匹    
   p  匹    
   p  匹    
飲ませ、フカセは撃沈。合間の釣果。まだまだ型が小さくリリースサイズが多いです。 釣人:デイドリーム <<<
東-6番  2009/08/23 (夜間時〜 時)
ケンサキイカ 9〜13p 2匹 エギ2.0号 ルアー・エギング
   p  匹    
   p  匹    
   p  匹    
アオリイカ狙いでしたがケンサキイカが釣れました。 釣人:ガシラハンター
西-5番  2009/08/23 (夕方時〜 時)
スズキ 66p 1匹 活きイワシ 泳がせ釣り
   p  匹    
   p  匹    
   p  匹    
タナは2ヒロ。青物の気配もあります。 釣人:管理人
西-3番  2009/08/23 (午前中時〜 時)
アオリイカ 8〜11p 6匹 エギ2号 ルアー・エギング
   p  匹    
   p  匹    
   p  匹    
際で良くヒットしました。殆どがリリースサイズです。 釣人:管理人 <<<
西-2番  2009/08/22 (夜間時〜 時)
アオリイカ 8〜10p 4匹 エギ2号 ルアー・エギング
サバ 23〜26p 8匹 オキアミ  
   p  匹    
   p  匹    
アオリはまだリリースサイズですが、ようやく釣れ出しました。 釣人:管理人 <<<
西-3番  2009/08/14 (夕方時〜 時)
マコガレイ 30p 1匹 アオイソメ 投げ釣り
キュウセン 18p 3匹    
   p  匹    
   p  匹    
潮どまりのひとときに一文字との中央で。 釣人:お嬢ちゃん
西-5番  2009/08/20 (午後時〜 時)
ガシラ 15p 1匹 カニ 胴付き・探り釣り
ギンポ 24p 1匹    
   p  匹    
   p  匹    
一緒にいったマスターの釣果。天ぷらうまかった!! 釣人:釣り大将
西-5番  2009/08/19 (午後時〜 時)
グレ 20〜27p 5匹 オキアミ フカセ釣り
サバ 25p 8匹    
   p  匹    
   p  匹    
イワシ、サヨリが居座り苦戦しました。サバは夕方、ワンド内で釣れました。 釣人:管理人
西-5番  2009/08/12 (午前中時〜 時)
グレ 20〜23p 4匹 オキアミ フカセ釣り
   p  匹    
   p  匹    
   p  匹    
ほんのわずかな時間浮いたときに釣れました。でかいのは見えません。 釣人:トモ
東-4番  2009/08/15 (終日時〜 時)
グレ 20p 1匹 オキアミ フカセ釣り
グレ 15p 1匹    
   p  匹    
   p  匹    
朝は飲ませ、午後はフカセで。グレの気配ほぼ無し。ルアーのハネ絶好調でした。 釣人:デイドリーム <<<
一文字-4番  2009/08/14 (午後時〜 時)
グレ 24〜31p 7匹 オキアミ フカセ釣り
グレ 20前後p 相当匹    
   p  匹    
   p  匹    
無限の木っ葉とオセンで撃沈。一瞬だけ良型が浮きました。当日一文字は全体的に不調。 釣人:デイドリーム
東-3番  2009/08/14 (早朝時〜 時)
ガシラ 15〜23p 2匹 豆イワシ ブッコミ釣り
   p  匹    
   p  匹    
   p  匹    
ハネ,青物は撃沈でしたが他の方が50cm位のハマチを釣り上げていました。 釣人:SHIGE
西-5番  2009/08/13 (午後時〜 時)
グレ 20〜30p 11匹 オキアミ フカセ釣り
グレ 〜20p 4匹    
   p  匹    
   p  匹    
午後に浮きましたがボラの中以外では喰いが悪いです。タナは矢引き。 釣人:デイドリーム
平磯-7番  2009/08/10 (午前中時〜 時)
stingray 約90p 0匹 マムシ ブッコミ釣り
   p  匹    
   p  匹    
   p  匹    
一発で竿ごと破壊されました、 釣人:崖っぷちの釣り師 <<<
西-5番  2009/08/08 (午後時〜 時)
グレ 26〜28p 2匹 オキアミ フカセ釣り
   p  匹    
   p  匹    
   p  匹    
一時だけ浮きましたがやはり喰いません。タナは矢引き。 釣人:デイドリーム
西-4番  2009/08/08 (夕方時〜 時)
キュウセン♀ 20p 1匹 アオイソメ 胴付き・探り釣り
ガシラ 7p 1匹    
豆アジ 7p 1匹    
   p  匹    
キュウセンのひきがはんぱなかった。 釣人:イナカッペ <<<
東-4番  2009/08/08 (早朝時〜 時)
ハマチ 59p 1匹 ミノ− ルアー・エギング
   p  匹    
   p  匹    
   p  匹    
周りは釣れておらずこれ1匹のみ 釣人:み-くん
東-4番  2009/08/08 (夕方時〜 時)
真鯛 49p 1匹 弾丸ジグ ルアー・エギング
   p  匹    
   p  匹    
   p  匹    
久々に垂水漁港でつれました。いままでこんな大物つったことなかったです。 釣人:さっさん
西-5番  2009/08/08 (終日時〜 時)
グレ 20〜28p 2匹 オキアミ フカセ釣り
   p  匹    
   p  匹    
   p  匹    
初めての投稿です。これからも、サトFを宜しくお願いします。 釣人:サトシF
東-4番  2009/08/08 (午前中時〜 時)
チヌ 35-46p 2匹 練り餌 フカセ釣り
   p  匹 オキアミ  
   p  匹    
   p  匹    
涼しいはずの午前中でしたが暑かった。 釣人:NIGHT
平磯-5番  2009/08/07 (午前中時〜 時)
flat fish 12p 2匹 蒼いそめ ブッコミ釣り
starfish 8p 1匹    
stingfish 7p 1匹    
   p  匹    
欲を言えば、熱帯魚が釣れれば水槽が派手になるんですが 釣人:崖っぷちの釣り師 <<<
西-5番  2009/08/07 (午後時〜 時)
カマス 20〜24p 2匹 カニ サビキ釣り
ベラ 14〜22p  匹    
   p  匹    
   p  匹    
カマスもっと釣りたいですねぇ。 釣人:釣り大将
西-5番  2009/08/06 (午後時〜 時)
ガシラ 13〜17p 3匹 カニ サビキ釣り
ベラ 13〜17p 2匹    
カマス 20p 1匹    
   p  匹    
  釣人:釣り大将
東-4番  2009/08/05 (夕方時〜 時)
スズキ 80p 1匹 ソフトルア− ルアー・エギング
   p  匹    
   p  匹    
   p  匹    
やっと投稿できる魚を釣りました・・・が<br>写真ファイルが大きく載せられず・・・ 釣人:み-くん
西-5番  2009/08/03 (終日時〜 時)
グレ 20〜31p 11匹 オキアミ フカセ釣り
   p  匹    
   p  匹    
   p  匹    
午後からは大量の浮遊物が漂い、やり難かったです。グレは遠投矢引きです。 釣人:管理人
西-5番  2009/08/03 (終日時〜 時)
グレ 20〜31p 4匹 オキアミ フカセ釣り
   p  匹    
   p  匹    
   p  匹    
木っ葉は多数釣れました。夕方からは小アジが回り出し、グレはさっぱりでした。 釣人:サトシ・F
西-5番  2009/08/01 (午後時〜 時)
グレ 20〜26p 4匹 オキアミ フカセ釣り
木っ端  p 8匹    
   p  匹    
   p  匹    
木っ端は沢山います。矢引きでボラの中を釣る感じでした。 釣人:ノリさん <<<
東-2番  2009/08/02 (午後時〜 時)
スズキ 69p 1匹 アジ 泳がせ釣り
   p  匹    
   p  匹    
   p  匹    
久々に重い物釣りました。 釣人:3104k
東-4番  2009/08/02 (午後時〜 時)
チヌ 34p 1匹 練り餌 フカセ釣り
   p  匹    
   p  匹    
   p  匹    
真昼間(3時ごろ?)だけど福田川の濁りで釣れたみたいです。 釣人:NIGHT
西-5番  2009/08/01 (終日時〜 時)
グレ 21-27p 4匹 オキアミ フカセ釣り
   p  匹    
   p  匹    
   p  匹    
オキアミサイズSから極Sに変えた途端喰いました。 釣人:NIGHT
西-5番  2009/08/01 (午前中時〜 時)
グレ 20p 1匹 オキアミS フカセ釣り
グレ 26p 1匹    
木っ葉  p 2匹    
   p  匹    
色々仕掛を換えて見る事ですね。 釣人:西っさん <<<
西-5番  2009/08/01 (午前中時〜 時)
グレ 25p 1匹 オキアミ フカセ釣り
   p  匹    
   p  匹    
   p  匹    
雷とゲリラ豪雨で最悪でしたがグレは浮いてました… 釣人:わいるだー
東-1番  2009/08/01 (夕方時〜 時)
豆アジ 10以下p 10匹 マキエ サビキ釣り
豆イワシ 10以下p 15位匹    
   p  匹    
   p  匹    
アジは少。イワシの群れでハネは多数発見。夜間のサバ、太刀魚の気配はありません。 釣人:SHIGE <<<
西-5番  2009/07/30 (終日時〜 時)
グレ 20〜30p 3匹 オキアミ フカセ釣り
コッパ 10〜19p 5匹    
   p  匹    
   p  匹    
あたりが渋くて疲れる釣りです。 釣人:まさ <<<
西-5番  2009/07/30 (終日時〜 時)
グレ 20〜25p 4匹 オキアミ フカセ釣り
   p  匹    
   p  匹    
   p  匹    
20p未満の木っ葉多数。たまに良型が見えますが、サシエには殆ど反応しません。 釣人:管理人
中央-11番  2009/07/28 (夕方時〜 時)
アジ 15〜5p 31匹 アミエビ サビキ釣り
サンバソウ 8p 1匹    
イワシ 7〜16p 13匹    
   p  匹    
小さいながらサンバソウ。
そろそろ、あの引きが楽しめそうです。
釣人:ガッチョ
西-5番  2009/07/26 (終日時〜 時)
グレ 30p 2匹 オキアミ フカセ釣り
   p  匹    
   p  匹    
   p  匹    
オセンを一切沖に出さず、ボラの中を釣る感じで 釣人:デイドリーム
西-5番  2009/07/26 (終日時〜 時)
グレ 25〜27p 2匹 サシアミ フカセ釣り
   p  匹    
   p  匹    
   p  匹    
右隣の泥っぽい人が「妻鹿か!」ってくらい詰めてきたので投入が難しかったです・・・ 釣人:蔵之臣
平磯-6番  2009/07/26 (午前中時〜 時)
オセン 4p 2匹 蒼いそめ ブッコミ釣り
歯オコゼ 6p 3匹    
カワハギ 5p 2匹    
   p  匹    
10cm未満は家で水槽で鑑賞します  釣人:崖っぷちの釣り師 <<<
東-3番  2009/07/26 (終日時〜 時)
小アジ 6〜11p 100匹 アミエビ サビキ釣り
   p  匹    
   p  匹    
   p  匹    
際のアジは小型が多いです。サビキは5号がお勧め。同型のイワシも数釣れています。 釣人:管理人 <<<
中央-9番  2009/07/25 (夜間時〜 時)
クロソイ 20p 1匹 ソフトルアー ルアー・エギング
   p  匹    
   p  匹    
   p  匹    
帰り際の10時にようやくゲット。毎年7月は良くない。 釣人:のん
東-5番  2009/07/25 (夜間時〜 時)
ガシラ 29p 1匹 ワーム ルアー・エギング
ガシラ 20p 1匹    
ムラソイ 12p 1匹    
   p  匹    
自己記録更新!!!!垂水の釣り情報記録タイ!! 釣人:ガシラハンター
西-2番  2009/07/23 (夕方時〜 時)
スズキ 63p 1匹 アジ 泳がせ釣り
   p  匹    
   p  匹    
   p  匹    
フカセの後、2時間試しました。アタリは3回あり、喰い込んだのはこの1本のみです。 釣人:管理人
西-5番  2009/07/23 (午後時〜 時)
グレ 31p 1匹 オキアミ フカセ釣り
   p  匹    
   p  匹    
   p  匹    
東→西流で終日海は茶色でした。木っ葉は群れてますが、良型の時合いは一瞬です。 釣人:管理人
西-5番  2009/07/19 (午前中時〜 時)
グレ 〜20p 5匹 オキアミ フカセ釣り
   p  匹    
   p  匹    
   p  匹    
オセン多すぎ。まったく分離できず。少量の
コッパしか見えません。
釣人:トモ <<<
西-5番  2009/07/20 (終日時〜 時)
グレ 27〜30p 3匹 オキアミ フカセ釣り
グレ 〜20p 8匹 ネリエ  
   p  匹    
   p  匹    
見えていますがほとんど喰いません。タナは〜2ヒロ。木っ葉めちゃくちゃ多いです。 釣人:デイドリーム
西-5番  2009/07/20 (夕方時〜 時)
小アジ 8〜12p 30匹 アミエビ サビキ釣り
   p  匹    
   p  匹    
   p  匹    
最近、アジの回遊が少なくなりました。タナは4〜6ヒロと深めです。飲ませは激沈。 釣人:管理人 <<<
中央-9番  2009/07/18 (終日時〜 時)
ボラ 65〜58p 3匹 オキアミ 紀州釣り
   p  匹    
   p  匹    
   p  匹    
65(70は険寸ミスでした)のを携帯写真で撮りました。大変申し訳ありません 釣人:kもりた
中央-9番  2009/07/18 (終日時〜 時)
キビレ 30p 1匹 オキアミ 紀州釣り
カレイ 20p 1匹    
   p  匹    
   p  匹    
ボラもそんなにあたってきません。キビれとカレイの小さいのがやっと・・ 釣人:kもりた
中央-4番  2009/07/15 (午前中時〜 時)
アジ 6〜12p 149匹 アミエビ サビキ釣り
メバル 13p 4匹    
   p  匹    
   p  匹    
メバルは朝、釣れました。
アジは朝からお昼まで釣れました。
釣人:みっちー <<<
一文字-5番  2009/07/11 (午後時〜 時)
ガシラ 15〜17p 6匹 シラサエビ 胴付き・探り釣り
ガシラ 15未満p 9匹    
ベラ 15〜20p 20匹    
   p  匹    
写真以外は全てリリース。ベラは赤ベラ、イソベラが多かったです。 釣人:チームラトル
西-5番  2009/07/11 (終日時〜 時)
グレ 25p 1匹 オキアミ フカセ釣り
   p  匹    
   p  匹    
   p  匹    
グレは浮きません。疲れました。 釣人:サトシ・F
西-5番  2009/07/11 (終日時〜 時)
グレ 24〜27p 4匹 オキアミ フカセ釣り
   p  匹    
   p  匹    
   p  匹    
グレは木っ葉サイズが多いです。サヨリ、豆アジは午前中のみ活発でした。 釣人:管理人
西-3番  2009/07/11 (午前中時〜 時)
グレ 30p 1匹 オキアミS フカセ釣り
木っ葉  p 4匹    
   p  匹    
   p  匹    
オセンは元気なし!元気あるのはボラだけ!アジはタナ深いのでまだやり易い。 釣人:西っさん
西-5番  2009/07/07 (午後時〜 時)
ハマチ 55p 2匹 オセン 泳がせ釣り
   p  匹    
   p  匹    
   p  匹    
釣れたオセンをそのまま泳がせていたら釣れました。たぶん養殖の奇形魚です。 釣人:管理人
西-5番  2009/07/07 (午後時〜 時)
グレ 23〜25p 2匹 オキアミ フカセ釣り
   p  匹    
   p  匹    
   p  匹    
逆風でエサ取りの分離が上手く出来ませんでした。豆アジ、サヨリ多数です。 釣人:管理人
中央-1番  2009/07/05 (午前中時〜 時)
アジ 6〜10p 56匹 アミエビ サビキ釣り
メバル 13p 2匹    
コチ 15p 1匹    
   p  匹    
いっぱいつれた 釣人:みっちー <<<
東-4番  2009/07/05 (午前中時〜 時)
チヌ 40-42p 2匹 練り餌 フカセ釣り
   p  匹    
   p  匹    
   p  匹    
朝7時と8時頃に来ました。タナは3ヒロ強。残念ながら1枚ばらし。 釣人:NIGHT
中央-11番  2009/07/04 (夕方時〜 時)
キス 10p 1匹 アオイソメ 投げ釣り
アナゴ 25p 1匹    
   p  匹    
   p  匹    
アナゴは夜間。夜間まで豆イワシ豆サバが多かったです。アジは姿が見られず。 釣人:SHIGE
中央-11番  2009/07/04 (夜間時〜 時)
アコウ 44p 1匹 豆イワシ 泳がせ釣り
   p  匹    
   p  匹    
   p  匹    
「釣ったんだ」じゃなくて「釣れたんだ」です。エレベーター仕掛けで際より竿1本先。 釣人:SHIGE
東-4番  2009/07/04 (午前中時〜 時)
グレ 26〜28p 2匹 オキアミ フカセ釣り
木っ葉  p 10匹    
サヨリ 23〜30p 6匹    
   p  匹    
グレ、サヨリ各1匹、バッカンから飛び跳ね逃げました。木っ葉は多いです。 釣人:西っさん
中央-2番  2009/06/29 (早朝時〜 時)
チヌ 14p 5匹 ゴカイ フカセ釣り
   p  匹    
   p  匹    
   p  匹    
今日は、気分的に、あまり釣れませんでした。 釣人:メバちゃん <<<
西-5番  2009/06/30 (終日時〜 時)
グレ 23〜29p 7匹 オキアミ フカセ釣り
サヨリ 25〜30p 20匹    
   p  匹    
   p  匹    
ボラ、オセン、木っ葉、豆アジ、サヨリ、イワシが山ほどいます。15時までの釣果。 釣人:管理人
東-4番  2009/06/28 (終日時〜 時)
グレ 26p 1匹 オキアミ フカセ釣り
グレ 〜20p 3匹    
チヌ 30p 1匹    
   p  匹    
ボラ、サヨリが多すぎです。15時以降一瞬良い雰囲気になりました。 釣人:デイドリーム <<<
西-3番  2009/06/27 (終日時〜 時)
グレ 24p 1匹 オキアミ フカセ釣り
   p  匹    
   p  匹    
   p  匹    
当て潮きついです。ついに西にもアジが回ってきました! 釣人:わいるだー <<<
中央-11番  2009/06/27 (夜間時〜 時)
ガシラ 14〜22p 3匹 ワーム ルアー・エギング
   p  匹    
   p  匹    
   p  匹    
ワームのロングキャストでGETしました。垂水ここのところ調子いいです。 釣人:ガシラハンター
西-5番  2009/06/28 (早朝時〜 時)
キス 10〜13p 3匹 マムシ 投げ釣り
アイナメ 20p 1匹 青虫  
アブシン 6〜9p 5匹    
   p  匹    
キスは嬉しかったのですがリリース。
これから楽しめそうです。
釣人:ガッチョ
東-5番  2009/06/28 (終日時〜 時)
チヌ 36〜42p 2匹 オキアミ フカセ釣り
   p  匹    
   p  匹    
   p  匹    
グレ狙いが・・・二つヒロチョイできました。 釣人:まさ <<<
一文字-5番  2009/06/27 (夕方時〜 時)
メバル 15〜17p 2匹 シラサエビ 胴付き・探り釣り
ガシラ 13〜15p 2匹 青虫  
アイナメ、クジメ 15〜18p 2匹    
   p  匹    
その他13センチ未満のメバル・ガシラ・アイナメ10匹リリースしました。 釣人:チームラトル
一文字-9番  2009/06/27 (夜間時〜 時)
チヌ 42p 1匹 ユムシ 投げ釣り
   p  匹    
   p  匹    
   p  匹    
潮がゆるやかな19時半頃にきました。ハネ狙いの豆アジでの飲ませは不発でした。 釣人:SHIGE
中央-10番  2009/06/27 (夜間時〜 時)
ガシラ 19-24p 2匹 ワーム ルアー・エギング
ガシラ 14-p 6匹    
   p  匹    
   p  匹    
8時過ぎまでは小型ばかりだったが、以降潮が動き出したらやっと持ち帰りサイズがきた。 釣人:のん
東-4番  2009/06/27 (午後時〜 時)
グレ 22-30p 3匹 オキアミ フカセ釣り
   p  匹    
   p  匹    
   p  匹    
4時 頃から1時間の間で来ました。2枚どでかいのをバラしてしまいました。 釣人:NIGHT <<<
中央-10番  2009/06/24 (午後時〜 時)
ガシラ 15〜20p 5匹 カニ 胴付き・探り釣り
   p  匹    
   p  匹    
   p  匹    
久しぶりに垂水にお邪魔しました。やっぱり垂水はいいですね! 釣人:ガシラハンター
西-5番  2009/06/23 (午後時〜 時)
グレ 24〜31p 5匹 オキアミ フカセ釣り
   p  匹    
   p  匹    
   p  匹    
16時までの釣果。遠投でも木っ葉多数。15時以降はアタリ無し。グレは全く浮かず。 釣人:管理人
西-5番  2009/06/21 (午前中時〜 時)
グレ 24p 1匹 オキアミ フカセ釣り
   p  匹    
   p  匹    
   p  匹    
第1投目で元竿が折れました。コッパがオセンの下にウヨウヨいました。 釣人:ひろ
東-4番  2009/06/21 (午前中時〜 時)
グレ 25p 1匹 オキアミ フカセ釣り
木っ葉  p 4匹    
   p  匹    
   p  匹    
釣れたのは9時過ぎ頃。オセンの活性がワンランク上がった時だけ釣れました。 釣人:西っさん
中央-11番  2009/06/20 (午前中時〜 時)
グレ 24p 1匹 オキアミ フカセ釣り
木っ葉  p 12匹    
   p  匹    
   p  匹    
当て潮時はやり難いです。ボラの活性高い。 釣人:西っさん
中央-10番  2009/06/19 (夜間時〜 時)
ガシラ 17-20p 3匹 ワーム ルアー・エギング
   p  匹    
   p  匹    
   p  匹    
8時前後に活性が上がって纏まって釣れました。金曜日なのになんで人が多いの? 釣人:のん
西-5番  2009/06/16 (終日時〜 時)
グレ 22〜29p 4匹 オキアミ フカセ釣り
   p  匹    
   p  匹    
   p  匹    
水温が安定しないためか活性はかなり悪いです。午後からグレは殆ど浮かず。 釣人:管理人
一文字-4番  2009/06/14 (終日時〜 時)
グレ 23〜28p 10匹 オキアミ フカセ釣り
   p  匹    
   p  匹    
   p  匹    
相変わらずオセンが超大漁。その上腕が伴わず話になりません。 釣人:デイドリーム <<<
西-5番  2009/06/16 (午前中時〜 時)
グレ 23〜25p 4 匹 オキアミ フカセ釣り
木っ端グレ  p 2匹    
   p  匹    
   p  匹    
「浮きグレを 狙えど浮かず 浮かぬ顔」
写真取り忘れました。
釣人:グチオヤジ <<<
東-10番  2009/06/14 (午後時〜 時)
チヌ 45p 1匹 オキアミ フカセ釣り
   p  匹    
   p  匹    
   p  匹    
垂水で初チヌ初心者です。17時ぐらいに3回アタリあり2回ばらしました。 釣人:健太郎
東-4番  2009/06/14 (午後時〜 時)
グレ 23−28p 3匹 オキアミ フカセ釣り
   p  匹    
   p  匹    
   p  匹    
浮きません、釣れません、あきません。 釣人:NIGHT
一文字-8番  2009/06/12 (終日時〜 時)
グレ 27〜21p 10匹 オキアミ フカセ釣り
   p  匹    
   p  匹    
   p  匹    
グレ浮かず、しかも木っ葉メーン。オセンとカゴが俄かに増えました。 釣人:kもりた
中央-10番  2009/06/13 (夜間時〜 時)
ガシラ 24p 1匹 ワーム ルアー・エギング
   p  匹    
   p  匹    
   p  匹    
今日は当たりが少なかったが、唯一が最近では一番引きがよかった。 釣人:のん
一文字-9番  2009/06/13 (夜間時〜 時)
チヌ 40p 1匹 ユムシ 投げ釣り
ガシラ 20p 1匹 アオイソメ  
   p  匹    
   p  匹    
チヌはお腹がパンパンでした。猛烈なアタリを楽しめました。 釣人:SHIGE
一文字-9番  2009/06/13 (夕方時〜 時)
メバル 10〜13p 4匹 オキアミ サビキ釣り
   p  匹    
   p  匹    
   p  匹    
投げサビキでの釣果ですが、オセンが殆んどでした。 釣人:SHIGE
東-4番  2009/06/13 (午後時〜 時)
グレ 22-29p 4匹 オキアミ フカセ釣り
   p  匹    
   p  匹    
   p  匹    
夢は2桁! まだまだ修行がたりません。 釣人:NIGHT
西-5番  2009/06/12 (終日時〜 時)
グレ 22〜31p 11匹 オキアミ フカセ釣り
   p  匹    
   p  匹    
   p  匹    
お昼前後は良く浮きましたが、喰いは超渋いです。竿3本までは木っ葉多いです。 釣人:管理人
西-5番  2009/06/11 (午後時〜 時)
グレ 23p 1匹 オキアミ、石ゴカイ フカセ釣り
木っ端グレ 15cm級p 8匹    
   p  匹    
   p  匹    
昼過ぎまでは比較的良く浮いてました。木っ端はゴカイがお好きなようです。 釣人:やまぱぱ
西-5番  2009/06/09 (午前中時〜 時)
グレ 25〜31p 4匹 オキアミ フカセ釣り
オセン  p 多数匹    
   p  匹    
   p  匹    
浮くのは一瞬だけ。浮きグレ狙いで浮かないのは辛い。オセン、ボラ針掛かり超多数。 釣人:グチオヤジ
東-4番  2009/06/07 (午後時〜 時)
グレ 30p 1匹 オキアミ フカセ釣り
木っ端 15〜18p 多数匹    
   p  匹    
   p  匹    
グレは余り見ません。木っ端は沢山つれました。 釣人:ノリさん
中央-11番  2009/06/06 (終日時〜 時)
グレ 30p 2匹 オキアミ フカセ釣り
グレ 15〜25p 5匹    
   p  匹    
   p  匹    
時合は一瞬でした。たまたま竿を出していた結果です。 釣人:kumapapa
西-5番  2009/06/07 (終日時〜 時)
グレ 21〜24p 3匹 オキアミ フカセ釣り
   p  匹    
   p  匹    
   p  匹    
昼からは浮いてました。際のグレは喰い悪く、釣ったのは沖で少し深めでした。 釣人:わいるだー
一文字-4番  2009/06/07 (終日時〜 時)
グレ 20〜24p 4匹 オキアミ フカセ釣り
グレ 25〜31p 6匹    
   p  匹    
   p  匹    
今日は一文字全体でも活性が低そうでした。相変わらずオセンが多すぎ厳しいです。 釣人:デイドリーム
西-5番  2009/06/06 (午後時〜 時)
グレ 25〜26p 2匹 オキアミ フカセ釣り
   p  匹    
   p  匹    
   p  匹    
午後からはさっぱり。タモから1匹逃走しました。 釣人:デイドリーム
東-4番  2009/06/07 (午前中時〜 時)
グレ 29p 1匹 オキアミ フカセ釣り
木っ端 U18p 6匹    
オセン  p 多数匹    
   p  匹    
大会参加のためチヌ狙いでしたが、全然ダメでした。途中からグレ狙いで。 釣人:ひろ
中央-10番  2009/06/06 (夜間時〜 時)
ガシラ 15-18p 4匹 ソフトルアー ルアー・エギング
メバル 15p 1匹    
   p  匹    
   p  匹    
あたりはあるけど中々大型がこない。 釣人:のん <<<
一文字-4番  2009/06/06 (夜間時〜 時)
アナゴ 39p 1匹 ユムシ 投げ釣り
ガシラ 22p 1匹 アオイソメ  
ガシラ 15〜10p 4匹    
   p  匹    
今年初のアナゴが釣れましたが、エサ獲りの多さに閉口しました。 釣人:SHIGE
西-5番  2009/06/07 (午前中時〜 時)
グレ 24-25p 2匹 オキアミ フカセ釣り
   p  匹    
   p  匹    
   p  匹    
オセンの下に木っ端が見えますが、この木っ端しか浮かず。 釣人:NIGHT <<<
西-5番  2009/06/06 (午後時〜 時)
グレ 29p 1匹 オキアミ フカセ釣り
グレ 22p 1匹    
   p  匹    
   p  匹    
オセン、ボラの活性高いです。木っ葉浮きまくっていました。 釣人:西っさん <<<
西-5番  2009/06/02 (午前中時〜 時)
グレ 22〜30p 7匹 オキアミ フカセ釣り
   p  匹    
   p  匹    
   p  匹    
管理人さんのおこぼれを少々。 色々参考になりました。ありがとうございます。 釣人:グチオヤジ
西-5番  2009/06/02 (終日時〜 時)
グレ 20〜29p 22匹 オキアミ フカセ釣り
   p  匹    
   p  匹    
   p  匹    
後半、南風が強くなり少し早めに撤収。例のごとく午後からは喰いが極端に落ちました。 釣人:管理人
一文字-4番  2009/05/31 (終日時〜 時)
グレ 25〜30p 3匹 オキアミ フカセ釣り
チャリコ 27p 1匹    
ガッシー 15〜17p 4匹    
   p  匹    
なんと3枚も釣れました!オマケに赤い彗星もね!!昨年の伊島から昇り調子でっす☆ 釣人:蔵之臣
西-5番  2009/05/31 (午前中時〜 時)
グレ 28p 1匹 オキアミ フカセ釣り
木っ端  p 1匹    
   p  匹    
   p  匹    
昼ごろむちゃくちゃ浮いてましたが、、、 釣人:勘太郎
一文字-4番  2009/05/31 (終日時〜 時)
グレ 23〜30p 9匹 オキアミ フカセ釣り
ガシラ 17〜19p 11匹 キビナゴ  
   p  匹    
   p  匹    
ガシラは探りで。オセンが沖まで全面に居座り纏められません。棚は矢引き。 釣人:サトシ・F <<<
一文字-7番  2009/06/01 (終日時〜 時)
グレ 30〜23p 30匹 オキアミ フカセ釣り
   p  匹    
   p  匹    
   p  匹    
あまり浮かなかったけど、主に沈めてぼちぼち釣れました。東隣釣座の方、又よろしく。 釣人:kもりた
東-2番  2009/05/31 (終日時〜 時)
チヌ 24/25p 2匹 オキアミ 紀州釣り
   p  匹    
   p  匹    
   p  匹    
サイズ・数ともなかなか結果が出ません。
ボラ多数。写真は忘れていました。
釣人:doimoi <<<
一文字-4番  2009/05/31 (終日時〜 時)
グレ 23〜31p 16匹 オキアミ フカセ釣り
   p  匹    
   p  匹    
   p  匹    
三枚逃走。タナは1ヒロ前後です。潮が濁り、昼過ぎから活性が下がりました。 釣人:デイドリーム
東-4番  2009/05/31 (終日時〜 時)
グレ 25〜30p 6匹 オキアミ フカセ釣り
木っ端 15p 多数匹    
   p  匹    
   p  匹    
午前中は木っ端多数。3時以降やっと釣れました。 釣人:ノリさん
東-4番  2009/05/31 (午前中時〜 時)
グレ 24p 1匹 オキアミ フカセ釣り
   p  匹    
   p  匹    
   p  匹    
木っ端や小メバルも沢山釣れました。 釣人:ひろ
東-4番  2009/05/31 (終日時〜 時)
グレ 29-30p 3匹 オキアミ フカセ釣り
   p  匹    
   p  匹    
   p  匹    
今日は3枚いっときました。3104Kさんの撒餌ワークのアドバイスが効きました。 釣人:NIGHT
一文字-3番  2009/05/31 (終日時〜 時)
グレ 23〜27p 5匹 オキアミ フカセ釣り
   p  匹    
   p  匹    
   p  匹    
ほとんどグレは見えませんでした。 釣人:まさ <<<
東-4番  2009/05/31 (午前中時〜 時)
グレ 24〜29p 4匹 オキアミ フカセ釣り
木っ葉  p 8匹    
   p  匹    
   p  匹    
木っ葉多いです。00号で通しました。 釣人:西っさん
一文字-1番  2009/05/30 (夜間時〜 時)
ガシラ 10〜17p 5匹 アオイソメ 胴付き・探り釣り
   p  匹    
   p  匹    
   p  匹    
夜間の潮流が西向きで、予想と逆だったので苦労しました。 釣人:SHIGE
西-5番  2009/05/30 (午前中時〜 時)
グレ 22p 1匹 オキアミ フカセ釣り
   p  匹    
   p  匹    
   p  匹    
木っ端の活性高く難しいです。午後からは東からの濁った潮が入りグレは消えました。 釣人:わいるだー <<<
西-3番  2009/05/30 (終日時〜 時)
グレ 22-24p 2匹 オキアミ フカセ釣り
   p  匹    
   p  匹    
   p  匹    
2枚いっときました。午前2ひろ位ですが良く浮いていましたがやっぱり2枚。 釣人:NIGHT
西-3番  2009/05/29 (終日時〜 時)
グレ 21〜31p 12匹 オキアミ フカセ釣り
   p  匹    
   p  匹    
   p  匹    
5番満員のため3番での釣果。午後から活性悪く、釣れたのは2枚のみです。 釣人:管理人
西-5番  2009/05/27 (終日時〜 時)
グレ 25p 2匹 オキアミ フカセ釣り
木っ端グレ  p 2匹    
   p  匹    
   p  匹    
グレ浮かず、とても難しかったです。私がヘタなのでしょうか? 釣人:やまぱぱ
西-5番  2009/05/26 (終日時〜 時)
グレ 23〜30p 14匹 オキアミ フカセ釣り
   p  匹    
   p  匹    
   p  匹    
30pオーバー4枚混じりました。15時以降は活性が下がり、アタリは遠のきました。 釣人:管理人
西-5番  2009/05/26 (終日時〜 時)
グレ 27〜28p 3匹 オキアミ フカセ釣り
   p  匹    
   p  匹    
   p  匹    
相変わらず喰いは浅いです。タナは矢引き。 釣人:サトシ・F
東-4番  2009/05/24 (午前中時〜 時)
アカタナゴ 25p 1匹 オキアミ フカセ釣り
メバル  p 11匹    
木っ葉  p 3匹    
   p  匹    
遠投しないと駄目ですね。 釣人:西っさん
一文字-8番  2009/05/23 (午前中時〜 時)
グレ 23p 7匹 オキアミ フカセ釣り
   p  匹    
   p  匹    
   p  匹    
午前の釣果です。友達にあげたので写真別取りです。グレは沢山見えました。 釣人:ノリさん
一文字-8番  2009/05/23 (午後時〜 時)
グレ 22〜28p 10匹 オキアミ フカセ釣り
   p  匹    
   p  匹    
   p  匹    
オセンが沖までイッパイで苦労しました。4時以降は浮かず。難しい1日でした。 釣人:ノリさん
東-4番  2009/05/23 (午後時〜 時)
グレ 24p 1匹 オキアミ フカセ釣り
   p  匹    
   p  匹    
   p  匹    
浮きません。でも何回かは掛けましたが、取れたのは1枚のみ。ヘタクソです。 釣人:NIGHT
一文字-5番  2009/05/23 (午前中時〜 時)
アイナメ 39p 1匹 しらさ ブッコミ釣り
がしら 20以下p 3匹    
めばる 15〜18p 6匹    
   p  匹    
おどろきのポン級感激です 釣人:ヒラ <<<
西-5番  2009/05/22 (午後時〜 時)
グレ 22〜30p 32匹 オキアミ フカセ釣り
   p  匹    
   p  匹    
   p  匹    
グレはたくさん居ますが、相変わらずアタリは渋いです。16時以降はさっぱり。 釣人:管理人
西-5番  2009/05/20 (終日時〜 時)
グレ 22〜24p 3匹 オキアミ フカセ釣り
   p  匹    
   p  匹    
   p  匹    
残念ながら今日は殆ど浮かず…沖の潮が緩んだ時にかろうじて釣れました。 釣人:わいるだー
西-5番  2009/05/19 (午前中時〜 時)
グレ 23〜30p 13匹 オキアミ フカセ釣り
   p  匹    
   p  匹    
   p  匹    
管理人さんにアワセのタイミングを教えて
頂きました。
釣人:グチオヤジ
一文字-7番  2009/05/19 (終日時〜 時)
グレ 32以下p 30匹 オキアミ フカセ釣り
   p  匹    
   p  匹    
   p  匹    
殆ど浮かなかったけど、ほぼ終日食いました。 釣人:kもりた
西-5番  2009/05/19 (午後時〜 時)
グレ 23〜31p 18匹 オキアミ フカセ釣り
   p  匹    
   p  匹    
   p  匹    
14時以降はさっぱりでした。グレは浮いてますが、サシエには反応悪かったです。 釣人:管理人
西-5番  2009/05/19 (午後時〜 時)
グレ 29p 1匹 オキアミ フカセ釣り
   p  匹    
   p  匹    
   p  匹    
グレは良く浮いていましたが、喰いは悪いです。 釣人:タクロー
西-5番  2009/05/17 (午前中時〜 時)
グレ 22p 1匹 オキアミ フカセ釣り
   p  匹    
   p  匹    
   p  匹    
強風の為、2時間で断念。
かろうじて初グレです。
釣人:勘太郎
中央-10番  2009/05/16 (夜間時〜 時)
ガシラ 23p 1匹 ソフトルアー ルアー・エギング
クロソイ 18p 1匹    
   p  匹    
   p  匹    
雨の中、粘ったけど、掛かったのは8時前後だけ。 釣人:のん
西-5番  2009/05/16 (終日時〜 時)
グレ 22〜27p 7匹 オキアミ フカセ釣り
   p  匹    
   p  匹    
   p  匹    
今日は天気が悪かったので若干グレの警戒心が薄かった様な気がします。 釣人:わいるだー
西-5番  2009/05/15 (終日時〜 時)
グレ 29.5p 1匹 オキアミ フカセ釣り
   p  匹    
   p  匹    
   p  匹    
手前は全て木っ端。沖狙いで何とか1枚 釣人:わいるだー
西-5番  2009/05/16 (終日時〜 時)
グレ 25p 1匹 オキアミ フカセ釣り
   p  匹    
   p  匹    
   p  匹    
今年最初の1枚です。 釣人:ひろ
西-5番  2009/05/16 (終日時〜 時)
グレ 23p 1匹 オキアミ フカセ釣り
   p  匹    
   p  匹    
   p  匹    
1枚のみ! 残念!!! 釣人:NIGHT
西-5番  2009/05/16 (終日時〜 時)
グレ 22〜28p 10匹 オキアミ フカセ釣り
   p  匹    
   p  匹    
   p  匹    
喰いは渋いです。オセンが沖にまでいてボラも大暴れ。難しい一日でした。 釣人:ノリさん
一文字-7番  2009/05/15 (終日時〜 時)
グレ 31〜30p 3匹 オキアミ フカセ釣り
グレ 27以下p 8匹    
   p  匹    
   p  匹    
西5番を振り返りながら12時間。食ったのは潮変わり?時のみ。 釣人:kもりた
西-5番  2009/05/15 (午後時〜 時)
グレ 25〜30p 7匹 オキアミ フカセ釣り
   p  匹    
   p  匹    
   p  匹    
グレは良く見えてますが、喰いは悪いです。タナは矢引き〜3ヒロとまちまちでした。 釣人:管理人
西-5番  2009/05/14 (終日時〜 時)
グレ 30p 1匹 オキアミ フカセ釣り
グレ 22〜24p 2匹    
グレ 木っ端p 1匹    
   p  匹    
今年初のグレ釣り、坊主でなくて良かった。喰いは渋いです。ほとんど浮きません。 釣人:やまぱぱ <<<
西-5番  2009/05/12 (午前中時〜 時)
グレ 23~32p 3匹 オキアミ フカセ釣り
   p  匹    
   p  匹    
   p  匹    
昼前ようやく気配がでてきたのに風も出てきました。大きいのは32cmありました。 釣人:グチオヤジ
西-5番  2009/05/12 (午後時〜 時)
グレ 25p 1匹 オキアミ フカセ釣り
   p  匹    
   p  匹    
   p  匹    
釣人は全部で6人。強風のため波高く、続行不能で15時に納竿。 釣人:管理人
西-5番  2009/05/11 (午後時〜 時)
グレ 24〜26p 2匹 オキアミ フカセ釣り
グレ 木っ端p 4匹    
   p  匹    
   p  匹    
食いが渋いと言うか、オキアミをスルーして漂うだけ。 釣人:まさ <<<
西-5番  2009/05/10 (終日時〜 時)
グレ 28〜30p 3匹 オキアミ フカセ釣り
グレ 〜23p 5匹    
   p  匹    
   p  匹    
夕方一時だけ活性があがりました。終日グレは漂っていますが全く喰いません。 釣人:デイドリーム
西-5番  2009/05/10 (午前中時〜 時)
グレ 23〜24p 3匹 オキアミ フカセ釣り
グレ 木っ葉p 2匹    
   p  匹    
   p  匹    
午前中は浮いても数は少なく、喰いが渋かったです。 釣人:西っさん
東-3番  2009/05/09 (夕方時〜 時)
ガシラ 20p 1匹 ワーム 胴付き・探り釣り
   p  匹    
   p  匹    
   p  匹    
落して即きました。が、この1匹のみ 周りも小型ですがボチボチ釣れてました。 釣人:きー坊
西-5番  2009/05/09 (終日時〜 時)
グレ 25〜30p 7匹 オキアミ フカセ釣り
   p  匹    
   p  匹    
   p  匹    
今日は終日浮いていました。喰いは渋かったですが、何回か活性が上がる事がありました 釣人:わいるだー
東-6番  2009/05/04 (午後時〜 時)
カレイ 18〜25p 2匹 青イソメ 投げ釣り
   p  匹    
   p  匹    
   p  匹    
今年初カレイです!!! 釣人:大和
西-5番  2009/05/06 (終日時〜 時)
グレ 30p 1匹 オキアミ フカセ釣り
グレ 24p 1匹    
   p  匹    
   p  匹    
連休最終日、再挑戦も渋い。オセンも少なめ、でもボラ天国なのはなぜ? 釣人:トモ
西-5番  2009/05/04 (終日時〜 時)
グレ 23〜25p 2匹 オキアミ フカセ釣り
   p  匹    
   p  匹    
   p  匹    
昼ごろ一瞬だけ姿が見えましたが食いません。活性まだまだ低そうです。 釣人:トモ
西-5番  2009/05/06 (終日時〜 時)
グレ 28p 1匹 オキアミ フカセ釣り
   p  匹    
   p  匹    
   p  匹    
1枚釣れて良かったです。 釣人:わいるだー
一文字   2009/05/06 (午前中時〜 時)
ガシラ 12〜21p 10匹 ワーム ルアー・エギング
   p  匹    
   p  匹    
   p  匹    
一文字での2人の釣果です。一文字、いいところでした。 釣人:ガシラハンター
西-5番  2009/05/06 (終日時〜 時)
グレ 22〜28p 4匹 オキアミ フカセ釣り
   p  匹    
   p  匹    
   p  匹    
活性が低く難しい一日でした。 釣人:ノリさん
西-5番  2009/05/06 (午後時〜 時)
グレ 24〜29p 2匹 オキアミ フカセ釣り
   p  匹    
   p  匹    
   p  匹    
午後の一瞬に浮きましたが、15時以降はさっぱり。後半はオセンの姿も消えました。 釣人:管理人
西-5番  2009/05/06 (終日時〜 時)
グレ 22p 1匹 オキアミ フカセ釣り
グレ 28p 1匹    
   p  匹    
   p  匹    
微妙なアタリを取るのに苦労しました。 釣人:西っさん
中央-3番  2009/05/05 (午前中時〜 時)
クジメ 20p 2匹 しらさ 胴付き・探り釣り
   p  匹    
   p  匹    
   p  匹    
おせんとぼらが暴走午後から撃沈 釣人:ヒラ <<<
東-6番  2009/05/04 (午前中時〜 時)
ギンポ 27p 1匹 青イソメ 胴付き・探り釣り
アイナメ 18〜20p 8匹    
   p  匹    
   p  匹    
驚きの一匹!!!! 釣人:ガッシー君
西-5番  2009/05/04 (早朝時〜 時)
グレ 25p 1匹 オキアミ フカセ釣り
   p  匹    
   p  匹    
   p  匹    
西3回目のトライでやっと釣れました。皆さんアドバイスありがとうございました。 釣人:NIGHT
中央-7番  2009/05/04 (夕方時〜 時)
ガシラ 21〜23p 2匹 ソフトルアー ルアー・エギング
   p  匹    
   p  匹    
   p  匹    
ひらめ狙いでしたが、上がったのはガシラでした。 釣人:の
東-3番  2009/05/04 (夕方時〜 時)
ガシラ 19p 1匹 シラサエビ エビ撒き釣り
   p  匹    
   p  匹    
   p  匹    
ハネ狙いでの今年初の夜釣りでしたが撃沈でした。 釣人:SHIGE
西-5番  2009/05/03 (終日時〜 時)
グレ 28〜30p 3匹 オキアミ フカセ釣り
グレ 22〜25p 4匹    
   p  匹    
   p  匹    
午後からオセンが出てきました。 釣人:西っさん
西-5番  2009/05/03 (終日時〜 時)
グレ 27〜30p 3匹 オキアミ フカセ釣り
   p  匹    
   p  匹    
   p  匹    
初めての30オーバー!ぶっこ抜いたら竿がポキッ! 釣人:わいるだー <<<
西-5番  2009/05/03 (夕方時〜 時)
グレ 28p 1匹 オキアミ フカセ釣り
   p  匹    
   p  匹    
   p  匹    
ラストで1枚追加です。 釣人:ノリさん
西-5番  2009/05/03 (終日時〜 時)
グレ 22〜31p 10匹 オキアミ フカセ釣り
   p  匹    
   p  匹    
   p  匹    
ボラやオセンの活性が上がってきました。グレは殆ど見えません。タナ1ヒロ半。 釣人:ノリさん
中央-11番  2009/05/03 (午後時〜 時)
コブダイ 22p 1匹 シラサエビ 胴付き・探り釣り
ガシラ 21〜16p 3匹 アオムシ  
   p  匹    
   p  匹    
前回1匹も釣れなかったので今回リベンジしました。美味しく頂きます。 釣人:おとん
中央-11番  2009/05/02 (夜間時〜 時)
ガシラ 20p 1匹 ソフトルアー ルアー・エギング
クロソイ 19p 1匹    
   p  匹    
   p  匹    
8時前後にきました。 釣人:のん
西-5番  2009/05/01 (午後時〜 時)
グレ 25〜29p 2匹 オキアミ フカセ釣り
   p  匹 アオサ  
   p  匹    
   p  匹    
今年の初グレです。昼からの釣行でしたが、夕方の1時間ほどグレが見えました。 釣人:管理人
中央-2番  2009/05/01 (終日時〜 時)
チヌ 46p 1匹 オキアミ フカセ釣り
チヌ 37p 1匹    
チヌ 34p 1匹    
   p  匹    
AM6〜PM6の12時間勤務の結果です。 釣人:kもりた
中央-11番  2009/05/01 (午後時〜 時)
ガシラ 15p 1匹 アオイソメ 胴付き・探り釣り
メバル 15p 1匹    
   p  匹    
   p  匹    
暑い位の気温でしたが釣果は寒かったです。 釣人:SHIGE
西-5番  2009/04/29 (終日時〜 時)
グレ 29p 1匹 オキアミ フカセ釣り
グレ 28p 1匹    
   p  匹    
   p  匹    
喰い渋いです。29cmは2.5ヒロでした。 釣人:西っさん
西-5番  2009/04/29 (午後時〜 時)
グレ 28p 3匹 オキアミ フカセ釣り
   p  匹    
   p  匹    
   p  匹    
グレは殆ど見えません。胃袋を見ると撒き餌をよく食べてました。 釣人:ノリさん <<<
中央-7番  2009/04/25 (夕方時〜 時)
チヌ 48p 1匹 オキアミ フカセ釣り
   p  匹    
   p  匹    
   p  匹    
17時頃、タナ6ヒロ強です。1号チヌ竿が良く曲がりました。5連勝!!! 釣人:NIGHT
西-5番  2009/04/18 (午後時〜 時)
グレ 22p 1匹 オキアミ フカセ釣り
   p  匹    
   p  匹    
   p  匹    
本年初釣行でラッキーでした。群れで漂っていますが食いません。 釣人:トモ
中央-2番  2009/04/19 (午後時〜 時)
チヌ 46.5p 1匹 オキアミ フカセ釣り
チヌ 45p 1匹    
チヌ 39p 1匹    
   p  匹    
のっこみ本番のようですねぇ。 釣人:kもりた
西-5番  2009/04/19 (午後時〜 時)
グレ 20p 1匹 オキアミ フカセ釣り
   p  匹    
   p  匹    
   p  匹    
タナ3ヒロ、シーズン開幕です。 釣人:わいるだー
東-4番  2009/04/19 (終日時〜 時)
チヌ 27-39p 3匹 オキアミ フカセ釣り
   p  匹    
   p  匹    
   p  匹    
朝はだめ、3枚は全て3時30分〜5時の間で来ました。 釣人:NIGHT
東-6番  2009/04/15 (終日時〜 時)
チヌ 39p 2匹 オキアミ フカセ釣り
ウミタナゴ  21-23p 2匹    
   p  匹    
   p  匹    
垂水初チヌです。タナ2.5ヒロでウキがジワーッと沈んで行きました。 釣人:kumapapa
東-4番  2009/04/18 (午後時〜 時)
チヌ 27p 1匹 オキアミ フカセ釣り
ガシラ 15p 1匹    
   p  匹    
   p  匹    
チヌそしてガシラ、その後すぐに地球を釣って竿が負けました。ポッキン!!! 釣人:NIGHT
一文字-1番  2009/04/18 (終日時〜 時)
コブダイ 25p 1匹 アオイソメ 投げ釣り
ガシラ 15p 2匹    
アイナメ 15p 1匹    
   p  匹    
2009年度初釣りでした。周囲はボラの大群が多かったです。 釣人:SHIGE
中央-2番  2009/04/18 (午後時〜 時)
チヌ 46・33p 2匹 オキアミ フカセ釣り
   p  匹    
   p  匹    
   p  匹    
℃13超を待って今春スロープ初挑戦。1.8kgのボッテリしたのが来ました。 釣人:kもりた
東-6番  2009/04/11 (午後時〜 時)
チヌ 35-45p 3匹 オキアミ フカセ釣り
   p  匹    
   p  匹    
   p  匹    
タナ2.5ヒロ前後できました。
のっこみ入るかな?
釣人:しんちゃん
東-4番  2009/04/11 (終日時〜 時)
チヌ 35p 1匹 オキアミ フカセ釣り
   p  匹    
   p  匹    
   p  匹    
今年初チヌですが、子供に負けました・・・。 釣人:西っさん
東-4番  2009/04/11 (午後時〜 時)
チヌ 40p 1匹 オキアミ フカセ釣り
   p  匹    
   p  匹    
   p  匹    
びっくりしました。 釣人:太志
東-4番  2009/04/11 (午後時〜 時)
チヌ 39p 1匹 オキアミ フカセ釣り
   p  匹    
   p  匹    
   p  匹    
7連敗阻止できました。タナ4ヒロ。ジワーとウキが沈みました。  釣人:NIGHT
東-4番  2009/04/05 (午後時〜 時)
チヌ 37p 1匹 オキアミ フカセ釣り
   p  匹    
   p  匹    
   p  匹    
今年お初です。テトラ際で3ヒロ半でした。 釣人:勘太郎
東-4番  2009/04/05 (終日時〜 時)
チヌ 43p 1匹 オキアミ フカセ釣り
   p  匹    
   p  匹    
   p  匹    
アタリ渋くタナ3つ、ポイント竿1本半
垂水で今年初のいぶし銀
釣人:蔵之臣
中央-9番  2009/04/05 (夜間時〜 時)
ガシラ 17-19p 2匹 2inchワーム ルアー・エギング
ガシラ 15-p 数匹    
   p  匹    
   p  匹    
人間には暖かくなったけど、さかなにはまだ寒いのかも。8時過ぎのみ。 釣人:のん
東-4番  2009/04/04 (午前中時〜 時)
チヌ 35p 1匹 オキアミ フカセ釣り
   p  匹    
   p  匹    
   p  匹    
今年初めての、銀ピカです。 釣人:ひろ
東-4番  2009/03/28 (午後時〜 時)
チヌ 35〜37p 4匹 オキアミ フカセ釣り
   p  匹    
   p  匹    
   p  匹    
竿下〜一本先、2,5ヒロ。存分に楽しめました。次はサイズUPしたいです。 釣人:ビギナー
東-6番  2009/03/28 (午後時〜 時)
チヌ 45p 1匹 オキアミ フカセ釣り
ウミタナゴ 20p 1匹    
   p  匹    
   p  匹    
夕方5時半頃に来ました。潮が動きだしたところ活性があがっったようです。 釣人:やまぱぱ
東-6番  2009/03/28 (午後時〜 時)
チヌ 46p 1匹 オキアミ フカセ釣り
   p  匹    
   p  匹    
   p  匹    
今日は昼間に釣れました。5時過ぎにも釣れてました。今日はボラの群れが見れました。 釣人:ノリさん
平磯   2009/03/23 (夕方時〜 時)
がしら 17p 2匹 まむし ブッコミ釣り
   p  匹    
   p  匹    
   p  匹    
ノリさんの報告は、心を揺さぶる程分かりやすくていいですね 釣人:崖っぷちの釣り師 <<<
東-6番  2009/03/21 (午後時〜 時)
チヌ 37p 1匹 オキアミ フカセ釣り
   p  匹    
   p  匹    
   p  匹    
長潮でイマイチでした。良い濁りはありましたが魚の反応は少ないです。 釣人:ノリさん
東-4番  2009/03/20 (午後時〜 時)
チヌ 35p 1匹 オキアミ フカセ釣り
   p  匹    
   p  匹    
   p  匹    
3.5ヒロで1枚。お隣は10枚釣っておられました。小生修行が足りません。 釣人:NIGHT
東-6番  2009/03/15 (午後時〜 時)
チヌ 39p 1匹 オキアミ フカセ釣り
   p  匹    
   p  匹    
   p  匹    
夕方17時過ぎにアタリ。生命反応は殆どありませんでした。 釣人:ノリさん
東-4番  2009/03/15 (午後時〜 時)
チヌ 44p 1匹 オキアミ フカセ釣り
メバル 15p 1匹    
   p  匹    
   p  匹    
日没寸前18時頃。テトラ際2ヒロ。根もたれみたいな鈍いアタリでした。 釣人:やまぱぱ
東-4番  2009/03/15 (午後時〜 時)
チヌ 43.5p 1匹 オキアミ フカセ釣り
   p  匹    
   p  匹    
   p  匹    
久しぶりの垂水でしたが、何とか釣れました。 釣人:まさ
東-4番  2009/03/08 (夕方時〜 時)
コブダイ 30p 1匹 オキアミ フカセ釣り
ガシラ 10〜18p 2匹    
メバル 〜14p 2匹    
   p  匹    
14時〜18時の超過。タナは竿1本、きわで釣れました。皆さんお帰り願いました。 釣人:NIGHT
中央-11番  2009/03/07 (夜間時〜 時)
ガシラ 20p 2匹 ソフトルアー ルアー・エギング
   p  匹    
   p  匹    
   p  匹    
釣れたのは7時前後のみ 釣人:のん <<<
東-6番  2009/03/07 (午後時〜 時)
チヌ 38p 1匹 オキアミ フカセ釣り
   p  匹    
   p  匹    
   p  匹    
15時頃、タナは3つ半でした。この時期にしては引きが強くて楽しめました。 釣人:ふじ★もん
東-4番  2009/03/07 (午後時〜 時)
チヌ 44p 1匹 オキアミ フカセ釣り
   p  匹    
   p  匹    
   p  匹    
エサ取り全く居ません。アタリは1回のみでした。 釣人:管理人
一文字-2番  2009/03/01 (終日時〜 時)
アブラメ 32以下p 3匹 シラサ 胴付き・探り釣り
メバル 24以下p 4匹    
   p  匹    
   p  匹    
シラサを上撒きしながら8時間勤務の結果です。 釣人:kもりた
東-3番  2009/02/28 (午後時〜 時)
チヌ 41p 1匹 オキアミ フカセ釣り
   p  匹    
   p  匹    
   p  匹    
17時半3ヒロです。水温が上がる夕方が良いようです。ちなみに一文字はチヌ爆釣中。 釣人:ノリさん
東-4番  2009/02/28 (午後時〜 時)
チヌ 45p 1匹 オキアミ フカセ釣り
チヌ 36p 1匹    
   p  匹    
   p  匹    
TFCのNIGHTさんの釣果です。16時過ぎ連発。 釣人:ノリさん
一文字-6番  2009/02/22 (終日時〜 時)
メバル 20〜27p 20以上匹 シラサ 胴付き・探り釣り
   p  匹 さびき  
   p  匹    
   p  匹    
小生コブ狙い撃沈。びっくりするほど良型メバルのみ釣ってた人ありました。 釣人:kもりた <<<
中央-11番  2008/02/21 (夜間時〜 時)
ガシラ 22p 1匹 ソフトルアー ルアー・エギング
   p  匹    
   p  匹    
   p  匹    
やはり7時前後に食い気がでるようです。 釣人:のん <<<
東-4番  2009/02/14 (午後時〜 時)
チヌ 38p 1匹 オキアミ フカセ釣り
   p  匹    
   p  匹    
   p  匹    
16時まえの釣果です。最初、根がかりかと思いました。 釣人:ふじ★もん
東-6番  2009/02/11 (午後時〜 時)
コブダイ 35p 1匹 オキアミ フカセ釣り
メバル 13〜16p 2匹    
ガシラ 17p 1匹    
   p  匹    
夕方暗くなるまで粘りましたが、チヌの気配無しです。周りも釣れてませんでした。 釣人:管理人 <<<
中央-9番  2009/02/07 (夜間時〜 時)
ガシラ 24p 1匹 ソフトルアー ルアー・エギング
クロソイ 17-18p 2匹    
   p  匹    
   p  匹    
久し振りだったが、6−7時に集中してきました。 釣人:のん
東-4番  2009/02/06 (午後時〜 時)
チヌ 35p 1匹 オキアミ フカセ釣り
メバル 他  p 4匹    
   p  匹    
   p  匹    
あきらめかけた夕方5時半にようやくチヌ到来。テトラ際から5m。棚2ヒロでした。 釣人:やまぱぱ
東-6番  2009/02/01 (午後時〜 時)
チヌ 45p 1匹 オキアミ フカセ釣り
   p  匹 ボケ  
   p  匹    
   p  匹    
やっぱり夕暮れがいいみたいです(17時頃)。テトラの際で2ヒロ半です。 釣人:ふじ★もん
東-6番  2009/01/31 (午後時〜 時)
チヌ 42p 1匹 オキアミ フカセ釣り
   p  匹    
   p  匹    
   p  匹    
17時過ぎ。アタリ出るもエサが残り、誘いをかけ続けるとウキが消し込まれました。 釣人:ふじ★もん
東-6番  2009/01/28 (終日時〜 時)
チヌ 47p 1匹 オキアミ フカセ釣り
   p  匹    
   p  匹    
   p  匹    
16時半頃に竿を曲げました。テトラの際でタナは3ヒロ半です。 釣人:ふじ★もん
東-4番  2009/01/26 (午後時〜 時)
チヌ 36p 1匹 オキアミ フカセ釣り
ウミタナゴ 20p 1匹    
ガシラ 12〜15p 3匹    
   p  匹    
タナは4ヒロ程度、テトラ端の竿1本先あたりでチヌ来ました(16時頃)。 釣人:やまぱぱ <<<
東-6番  2009/01/11 (午後時〜 時)
ガシラ 29p 1匹 シラサエビ エビ撒き釣り
ガシラ 20p 1匹    
   p  匹    
   p  匹    
20年近く釣っていますが、こんなビッグサイズは初めてです。 釣人:ガシラ大好き中年
東-3番  2009/01/17 (午後時〜 時)
チヌ 43p 1匹 オキアミ フカセ釣り
ガシラ 10p 4匹    
   p  匹    
   p  匹    
ホンダラが生えていて潮が速い時は釣り難いです。タナは4ヒロ。 釣人:ノリさん
東-4番  2009/01/17 (午後時〜 時)
チヌ 50p 1匹 オキアミ フカセ釣り
メバル 10〜14p 2匹    
ガシラ 14p 1匹    
   p  匹    
今年の初チヌです。潮の流れが速く、やり難かったです。タナは4ヒロ。 釣人:管理人
西-5番  2009/01/11 (終日時〜 時)
グレ 24〜27p 2匹 アオサ フカセ釣り
   p  匹    
   p  匹    
   p  匹    
1匹撮影時逃亡。暴風、高波で釣りにならない上、危険を感じ2時で諦めました。 釣人:デイドリーム
西-5番  2008/01/07 (夕方時〜 時)
ガシラ 17〜21p 2匹 バイオワーム ルアー・エギング
   p  匹    
   p  匹    
   p  匹    
明けましておめでとうございます。数釣れないですが結構いい型がきました。 釣人:ガシラハンター
西-5番  2009/01/05 (終日時〜 時)
グレ 25〜28p 3匹 アオサ フカセ釣り
   p  匹    
   p  匹    
   p  匹    
西風強く途中で断念。タナ3.5〜5ヒロと深いです。オキアミでは全く反応無し。 釣人:管理人
西-5番  2009/01/04 (午後時〜 時)
グレ 24〜27p 3匹 アオサ フカセ釣り
   p  匹    
   p  匹    
   p  匹    
タナは4ヒロ以下。かなり沖で。空振り多いですがアタリは何回かありました。 釣人:デイドリーム
西-5番  2008/12/29 (午後時〜 時)
グレ 23p 1匹 オキアミ フカセ釣り
コッパ  p 1匹    
   p  匹    
   p  匹    
新年おめでとうございます。20年ラスト釣行報告です。本年も宜しくお願いします。 釣人:トモ
西-5番  2008/01/03 (終日時〜 時)
グレ 23p 1匹 アオサ フカセ釣り
   p  匹    
   p  匹    
   p  匹    
初釣りで何とか一匹ゲット出来ました。 釣人:ノリさん <<<
西-5番  2009/01/03 (終日時〜 時)
グレ 29〜30p 2匹 アオサ フカセ釣り
   p  匹    
   p  匹    
   p  匹    
活性非常に低いです。らしいアタリは4回のみ。タナは4ヒロ前後。 釣人:デイドリーム
西-5番  2009/01/02 (終日時〜 時)
グレ 24〜28p 2匹 アオサ フカセ釣り
   p  匹    
   p  匹    
   p  匹    
辛うじて初グレゲット。タナは4ヒロ前後。オキアミは反応無し。 釣人:デイドリーム
西-5番  2008/12/29 (午後時〜 時)
グレ 22p 1匹 アオサ フカセ釣り
   p  匹    
   p  匹    
   p  匹    
オキアミで食い渋りのため試しにアオサを使ったらヒット。タナは相当深いです。 釣人:father
西-5番  2009/01/03 (終日時〜 時)
グレ 28p 1匹 アオサ フカセ釣り
   p  匹    
   p  匹    
   p  匹    
オキアミでは反応無し。終日粘ってアタリは2回のみ。シーズン終了間近かな? 釣人:管理人
中央-11番  2009/01/02 (終日時〜 時)
メバル 16p 1匹 シラサ エビ撒き釣り
ガシラ 18p 1匹    
セイゴ 25p 1匹    
   p  匹    
昼から西五番でフカセするがコッパ一匹でした。 釣人:まさ <<<
西-3番  2008/12/29 (夜間時〜 時)
ガシラ 21p 1匹 ソフトルアー ルアー・エギング
ガシラ 〜16p 数匹    
   p  匹    
   p  匹    
最初中央でぜんぜん掛からず、西エリアに移動してようやくゲット。 釣人:のん
西-5番  2008/12/29 (午後時〜 時)
グレ 25〜26p 2匹 オキアミ フカセ釣り
   p  匹    
   p  匹    
   p  匹    
今年はこれで釣納めです。日暮れて道遠し、といった感じですね。 釣人:タクロー
西-5番  2008/12/28 (夕方時〜 時)
グレ 29p 1匹 オキアミ フカセ釣り
   p  匹    
   p  匹    
   p  匹    
型は良いですが数がでません。 釣人:ノリさん
西-5番  2008/12/28 (午前中時〜 時)
グレ 29〜31p 2匹 オキアミ フカセ釣り
   p  匹    
   p  匹    
   p  匹    
喰いはものすごく渋いです。 釣人:ノリさん
一文字-4番  2008/12/28 (終日時〜 時)
チヌ 49p 1匹 オキアミ フカセ釣り
   p  匹    
   p  匹    
   p  匹    
今年の垂水はチヌで終わりました。 釣人:youやん
西-5番  2008/12/24 (午後時〜 時)
グレ 28〜29p 2匹 オキアミ フカセ釣り
ウマヅラ 21p 1匹    
メバル 15〜19p 2匹    
   p  匹    
午後4時間の釣果。オセンが沖に居座り攻略できず。後半はアジ回遊で撃沈。 釣人:father
西-5番  2008/12/23 (終日時〜 時)
グレ 25〜30p 5匹 オキアミ フカセ釣り
チヌ 24p 1匹    
ウマヅラ 25p 1匹    
   p  匹    
fatherと私の釣果です。当日はフカセ師8人が入り、ポイントがぼけた様です。 釣人:管理人
中央-11番  2008/12/23 (夜間時〜 時)
ガシラ 21p 1匹 ソフトルアー ルアー・エギング
   p  匹    
   p  匹    
   p  匹    
潮位が低くて9番は釣りにならず、11番でようやく1枚ゲット 釣人:のん
中央-5番  2008/12/20 (終日時〜 時)
ハオコゼ 8p 10匹 オキアミ 胴付き・探り釣り
ゴンズイ 13p 1匹    
   p  匹    
   p  匹    
カレイはボーズでした。ハオコゼが多いです。 釣人:ジオング <<<
中央-9番  2008/12/20 (夜間時〜 時)
ガシラ 23p 1匹 ソフトルアー ルアー・エギング
クロソイ 18p 1匹    
   p  匹    
   p  匹    
12cm以下数匹。今日はそれほど寒くなく、釣り日和でした。 釣人:のん
西-5番  2008/12/19 (終日時〜 時)
グレ 22〜30p 11匹 オキアミ フカセ釣り
   p  匹    
   p  匹    
   p  匹    
相変わらず木っ葉が多いです。タナは2〜3ヒロ、少し沖で良くヒットしました。 釣人:管理人
西-5番  2008/12/17 (午後時〜 時)
タコ 13p 1匹 ワーム ルアー・エギング
   p  匹    
   p  匹    
   p  匹    
なんと、ワームに喰いついてきました! 釣人:ガシラハンター
西-5番  2008/12/17 (午後時〜 時)
ムラソイ 19p 1匹 ワーム ルアー・エギング
   p  匹    
   p  匹    
   p  匹    
魚類はたった一匹の貧果でした。 釣人:ガシラハンター
西-5番  2008/12/13 (終日時〜 時)
グレ 22〜23p 6匹 オキアミ フカセ釣り
チヌ 27p 1匹    
   p  匹    
   p  匹    
今日は小型でした。アジも回遊し難しい一日でした。 釣人:ノリさん
西-5番  2008/12/13 (終日時〜 時)
グレ 31p 1匹 オキアミ フカセ釣り
チヌ 27p 1匹    
   p  匹    
   p  匹    
昼頃に小アジが回り苦戦しました。今日は撃沈です。 釣人:管理人
中央-10番  2008/12/12 (終日時〜 時)
グレ 15〜24p 2匹 オキアミS フカセ釣り
ババタレ 15p 1匹    
ウマズラ 22p 1匹    
   p  匹    
久しぶりに来ました グレは釣れましたが棚が3ヒロの為、浮きアワセです。 釣人:pyzar
西-5番  2008/12/10 (午後時〜 時)
グレ 28〜30p 2匹 オキアミ フカセ釣り
   p  匹    
   p  匹    
   p  匹    
釣果は2匹のみでしたが30オーバーは初めてなのでうれしかったです。 釣人:タクロー
一文字-4番  2008/12/11 (終日時〜 時)
グレ 23〜29p 9匹 オキアミ フカセ釣り
  以下p 6匹    
   p  匹    
   p  匹    
9時〜15時の釣果 釣人:中年ヤンキー
西-5番  2008/11/10 (午後時〜 時)
ガシラ 12〜16p 4匹 ワーム ルアー・エギング
ムラソイ 13p 1匹    
   p  匹    
   p  匹    
小型しか釣れないっス。腕悪いっス。 釣人:ガシラハンター
西-5番  2008/12/10 (午後時〜 時)
グレ 28p 1匹 オキアミ フカセ釣り
グレ 15〜20p 3匹    
   p  匹    
   p  匹    
痛恨のラインブレイク2回。乗れば型は大きいみたいです。 釣人:わいるだー
西-5番  2008/12/10 (午後時〜 時)
グレ 23〜30p 7匹 オキアミ フカセ釣り
グレ 15p 7匹    
   p  匹    
   p  匹    
グレは全く浮かず。遠投2〜3ヒロで釣れました。 釣人:管理人
西-5番  2008/12/05 (夕方時〜 時)
グレ 24〜29p 3匹 オキアミ フカセ釣り
コッパ  p 2匹    
ウマズラ 20p 1匹    
   p  匹    
雨後2時間行きました。残った餌で日曜日出動も強風と寒さのためギブアップ。 釣人:トモ
東-7番  2008/12/07 (終日時〜 時)
マダコ 8p 1匹 アオイソメ 胴付き・探り釣り
ガシラ 19.5p 1匹    
グレ 10p 1匹    
   p  匹    
グレは小さいから逃がしました。タコは全長38センチ、胴長8センチ。 釣人:ジオング
中央-5番  2008/12/03 (午後時〜 時)
カンダイ 30p 1匹 アオイソメ 投げ釣り
アジ 18p 4匹    
チャリコ 15p 2匹    
   p  匹    
カレイは姿見せず。ハゼ、トラギス、小メバル、アブラメなど外道多数 釣人:禁煙中 <<<
西-5番  2008/12/03 (終日時〜 時)
チヌ 30p 1匹 オキアミ フカセ釣り
キビレ 25p 1匹 シラサ  
   p  匹    
   p  匹    
キビレはMIKKOさんの釣果。 釣人:タクロー <<<
西-5番  2008/12/03 (終日時〜 時)
グレ 22〜32p 9匹 オキアミ フカセ釣り
グレ 12〜18p 7匹    
チヌ 25p 1匹    
   p  匹    
タナは1〜2ヒロ。グレは全く浮かなかったですが、30UPを3枚ゲット出来ました。 釣人:管理人
西-5番  2008/12/02 (午後時〜 時)
グレ 20〜27p 3匹 オキアミ フカセ釣り
   p  匹    
   p  匹    
   p  匹    
セイゴはMIKKOさんの釣果です。天候には恵まれたもののグレは姿を見せず。 釣人:タクロー
東-1番  2008/12/01 (午前中時〜 時)
ハマチ 44p 1匹 あじ 泳がせ釣り
   p  匹    
   p  匹    
   p  匹    
ひきいいですね 釣人:ガシラハンテー <<<
東-9番  2008/11/26 (終日時〜 時)
グレ 20〜25p 25匹 オキアミ フカセ釣り
ウマヅラハギ 25p 2匹    
アジ 20p 1匹    
   p  匹    
11時から15時までよく釣れました 釣人:toshi <<<
一文字-4番  2008/11/30 (午後時〜 時)
グレ 24〜31p 15匹 オキアミ フカセ釣り
グレ 〜23p 多数匹    
ウマヅラハギ 23p 1匹    
   p  匹    
強風で疲れました。タナは矢引き〜2ヒロ。遠投の方が型が良い様です。 釣人:デイドリーム
西-5番  2008/11/30 (終日時〜 時)
グレ 20〜27p 4匹 オキアミ フカセ釣り
コッパ 14〜16p 5匹    
ウマズラ 20p 1匹    
   p  匹    
10時〜14時の釣果です。一度も浮きませんでした。寒かった!! 釣人:まさ <<<
東-4番  2008/11/30 (終日時〜 時)
グレ 〜20cmp 5匹 オキアミ フカセ釣り
ウマズラハギ 20〜23p 2匹    
メバル 15〜17p 2匹    
   p  匹    
初めて棒ウキを使いました。 釣人:ひろ <<<
西-5番  2008/11/29 (午前中時〜 時)
グレ 22〜24p 3匹 オキアミ フカセ釣り
   p  匹    
   p  匹    
   p  匹    
朝は東からの泥水、昼からは強風で釣りにならず…(1枚は常連さんにあげました。) 釣人:わいるだー
東-4番  2008/11/29 (夕方時〜 時)
グレ 25〜27p 3匹 オキアミ フカセ釣り
グレ 15〜18p 5匹    
   p  匹    
   p  匹    
3時過ぎから1時間の釣果。強風に苦戦しました。グレいますよ。 釣人:ノリさん
西-5番  2008/11/27 (午後時〜 時)
グレ 22〜30p 13匹 オキアミ フカセ釣り
グレ 12〜18p 9匹    
   p  匹    
   p  匹    
今日は釣人多数のため中央寄りで釣りました。小アジはまだ居ます。 釣人:管理人
西-5番  2008/11/26 (午後時〜 時)
ガシラ 17〜19p 3匹 ワーム ルアー・エギング
   p  匹    
   p  匹    
   p  匹    
天気がいい日は根魚は釣れないっス。小型のため全てリリースっス 釣人:ガシラハンター
西-5番  2008/11/26 (午後時〜 時)
グレ 20〜26p 1匹 オキアミ フカセ釣り
チヌ 31p 1匹    
   p  匹    
   p  匹    
グレは浮きませんでした。東端で釣ってた方が終日でグレ1枚とチヌを11枚とのこと。 釣人:タクロー
西-5番  2008/11/22 (終日時〜 時)
グレ 15〜25p 5匹 オキアミ フカセ釣り
ウマズラ  p 1匹    
   p  匹    
   p  匹    
夕方よく浮いていましたが・・・・・ 釣人:トモ
西-5番  2008/11/22 (午後時〜 時)
グレ 20〜30p 15匹 オキアミ フカセ釣り
   p  匹    
   p  匹    
   p  匹    
アジがたまに回遊してます。喰い渋る時はムキ身がいいようです。 釣人:ノリさん <<<
西-5番  2008/11/22 (午後時〜 時)
オキアミ 22〜25p 4匹 オキアミ フカセ釣り
   p  匹    
   p  匹    
   p  匹    
アジがまだいます。今日はサヨリも回ってきました。 釣人:わいるだー
西-5番  2008/11/16 (午後時〜 時)
グレ 21〜30p 6匹 オキアミ フカセ釣り
カワハギ 20p 1匹    
ウマヅラハギ 19p 1匹    
   p  匹    
終日オセンすらほとんど見えず生命反応皆無。竿2本先3ヒロ以下で辛うじての釣果。 釣人:デイドリーム
東-9番  2008/11/15 (午後時〜 時)
カレイ 24p 1匹 アオイソメ 投げ釣り
メバル 10p 2匹    
   p  匹    
   p  匹    
メバルはサビキで。ヒラメも狙いましたが撃沈でした。 釣人:SHIGE
一文字-4番  2008/11/15 (終日時〜 時)
ウマヅラハギ 19p 1匹 オキアミ フカセ釣り
カワハギ 16p 1匹 アサリ  
ガシラ 21p 1匹    
   p  匹    
グレは木っ葉のみで撃沈・・・ 釣人:サトシ・F
一文字-4番  2008/11/15 (午後時〜 時)
グレ 25〜30p 6匹 オキアミ フカセ釣り
グレ 〜25p 数匹    
ウマヅラハギ 37p 1匹    
   p  匹    
活性悪く、終日浮かず。3ヒロでの釣果。全体でフカセは絶不調。カゴ釣りはまあまあ。 釣人:デイドリーム
西-5番  2008/11/12 (午後時〜 時)
グレ 20〜26p 6匹 オキアミ フカセ釣り
   p  匹    
   p  匹    
   p  匹    
アジが多く今日もだめかと思っていたら夕方に突然アジが消え、たて続けに釣れました。 釣人:タクロー
西-5番  2008/11/12 (午前中時〜 時)
ガシラ 13〜18p 5匹 ワーム 胴付き・探り釣り
   p  匹    
   p  匹    
   p  匹    
天気が良すぎたのと海水が透き通りすぎててあまり釣れませんでした。 釣人:ガシラハンター
中央-10番  2008/11/12 (夜間時〜 時)
シーバス 68p 1匹 小アジ 泳がせ釣り
   p  匹    
   p  匹    
   p  匹    
感激 釣人:やそ <<<
中央-5番  2008/11/10 (夜間時〜 時)
ハゼ 23p 1匹 ワーム ルアー・エギング
ガシラ 10−17p 8匹    
   p  匹    
   p  匹    
ガシラ狙いで大きなハゼが釣れ、驚きました 釣人:ビール
中央-5番  2008/11/10 (午前中時〜 時)
ヒラメ 20〜25p 2匹 オキアミ 泳がせ釣り
グレ 20〜23p 9匹 小アジ  
   p  匹    
   p  匹    
寒いですが何とかヒラメがつれました。 釣人:きよしろう
西-5番  2008/11/09 (午後時〜 時)
グレ 23〜24p 3匹 オキアミ フカセ釣り
   p  匹    
   p  匹    
   p  匹    
ワンドでのダンゴは撃沈。 釣人:西っさん <<<
西-5番  2008/11/09 (終日時〜 時)
グレ 20〜25p 3匹 オキアミ フカセ釣り
   p  匹    
   p  匹    
   p  匹    
喰いも悪かったですが、それ以上に腕が悪かったです… 釣人:わいるだー <<<
西-5番  2008/11/09 (終日時〜 時)
グレ 21〜29p 8匹 オキアミ フカセ釣り
   p  匹    
   p  匹    
   p  匹    
釣り場満員のため、やや西寄りに入りました。グレは殆ど浮きませんでした。 釣人:管理人
西-5番  2008/11/09 (終日時〜 時)
グレ 20〜29p 15匹 オキアミ フカセ釣り
   p  匹    
   p  匹    
   p  匹    
喰いが渋く苦労しました。 釣人:ノリさん
中央-11番  2008/11/09 (午後時〜 時)
マコガレイ 36.5p 1匹 アオイソメ 投げ釣り
マコガレイ 21.0p 1匹 マムシ  
   p  匹    
   p  匹    
初投稿です。寒さを我慢し、自己最高記録更新。アオイソメ四匹の房掛けで釣れました。 釣人:こばっく
一文字-4番  2008/11/09 (終日時〜 時)
グレ 23〜25p 10匹 オキアミ フカセ釣り
カワハギ 17p 1匹 アサリ  
ウマヅラ 21p 1匹    
   p  匹    
午前中に釣れました。午後はバラシ多し・・・全体に型が小さいです。 釣人:サトシ・F
一文字-4番  2008/11/09 (終日時〜 時)
グレ 20〜27p 15匹 オキアミ フカセ釣り
カワハギ 20〜22p 4匹 アサリ  
   p  匹    
   p  匹    
小型が多い上に活性が低かったです。タナは矢引き。カワハギは合間の3番の探りで。 釣人:デイドリーム
西-5番  2008/11/08 (午後時〜 時)
グレ 15〜27p 3匹 オキアミ フカセ釣り
   p  匹    
   p  匹    
   p  匹    
15:30から16:15分くらいの間だけでした。
喰い込み悪く3回針はずれあり
釣人:トモ
西-5番  2008/11/08 (午後時〜 時)
グレ 21〜28p 8匹 オキアミ フカセ釣り
   p  匹    
   p  匹    
   p  匹    
午後に良く浮きましたが全く喰い気無し。タナは矢引き〜1ヒロ前後。アジ多いです。 釣人:デイドリーム
西-5番  2008/11/06 (午後時〜 時)
グレ 20〜28p 14匹 オキアミ フカセ釣り
   p  匹    
   p  匹    
   p  匹    
まだまだ小アジ多いです。グレは15時〜16時半に良く釣れました。 釣人:管理人
西-5番  2008/11/06 (終日時〜 時)
グレ 21〜28p 3匹 オキアミ フカセ釣り
   p  匹    
   p  匹    
   p  匹    
午前中は不発。夕方、小アジが減り、グレが浮きました。 釣人:サトシ・F
西-5番  2008/11/05 (午後時〜 時)
グレ 約20〜p 3匹 オキアミ フカセ釣り
   p  匹    
   p  匹    
   p  匹    
釣場に着いた正午前にはグレが見えてましたがその後はアジの群れに悩まされました。 釣人:タクロー
一文字-5番  2008/11/02 (午後時〜 時)
カワハギ 17p 2匹 アサリ 胴付き・探り釣り
   p  匹    
   p  匹    
   p  匹    
3時過ぎから釣れました。エサ獲りも多かったです。 釣人:SHIGE
一文字-6番  2008/11/02 (午前中時〜 時)
ガシラ 10〜18p 6匹 イサザ 胴付き・探り釣り
   p  匹    
   p  匹    
   p  匹    
穴釣りの釣果です。オールリリースしました。 釣人:SHIGE
中央-4番  2008/11/02 (午前中時〜 時)
グレ 5p 7匹 アミエビ 胴付き・探り釣り
めばる 6〜10p 3匹 シラサエビ  
アブラメ 5p 1匹    
   p  匹    
グレが群れてます。 釣人:きよしろう <<<
中央-5番  2008/11/01 (午前中時〜 時)
ヒラメ 29p 1匹 アジ 泳がせ釣り
グレ 8〜15p 13匹 アミエビ  
ガシラ 17p 1匹 シラサエビ  
   p  匹    
中央6番でカレイも釣れていました。 釣人:きよしろう
東-2番  2008/11/01 (終日時〜 時)
アジ・チャリコ 15〜18p 数匹 オキアミ 紀州釣り
   p  匹    
   p  匹    
   p  匹    
チヌ不在。東1番西向きで60弱のヒラメ、飲ませで上がってました。 釣人:風 <<<
一文字-3番  2008/11/01 (午前中時〜 時)
グレ 24〜31p 14匹 オキアミ フカセ釣り
   p  匹 イシゴカイ  
   p  匹    
   p  匹    
今年の記録更新 31cmが釣れました。 釣人:グレッチ
中央-9番  2008/11/01 (夜間時〜 時)
ガシラ 18-28p 2匹 ソフトルアー ルアー・エギング
   p  匹    
   p  匹    
   p  匹    
自己新更新 今日は潮が動かず食いが悪く 早めに退散 釣人:のん
中央-5番  2008/10/30 (終日時〜 時)
カレイ 15−25p 5匹 アオイソメ 投げ釣り
めばる 18p 1匹 シラサエビ  
   p  匹    
   p  匹    
カレイは、5番の後向きからも釣れました。 釣人:sea.lover <<<
中央-1番  2008/10/26 (午後時〜 時)
ヒラメ 45p 1匹 アジ 泳がせ釣り
がしら 25p 1匹 シラサエビ  
めばる 10〜15p 10匹 シラサエビ  
   p  匹    
ひらめは、ちょい投げの、アジの、飲ませ釣りで、釣れました。 釣人:じゅんなま <<<
中央-11番  2008/10/25 (早朝時〜 時)
ヒラメ 51.5p 1匹 アジ 泳がせ釣り
アコウ 28p 1匹 アミエビ  
青アジ 10〜15p  50匹    
   p  匹    
初投票です!まだまだ中ボーですが
よろしくお願いします。
いきなり記録更新!
釣人:さっくん
中央-9番  2008/10/25 (夜間時〜 時)
メバル 21p 1匹 ソフトルアー ルアー・エギング
メバル 14p 2匹    
   p  匹    
   p  匹    
14cmはリリース 今日は、食いが悪く、疲れました。 釣人:のん
西-5番  2008/10/25 (午後時〜 時)
グレ 20〜23p 4匹 オキアミ フカセ釣り
   p  匹    
   p  匹    
   p  匹    
午後からよく浮きましたが…喰いは渋く厳しかったです。 釣人:わいるだー
西-5番  2008/10/24 (午後時〜 時)
グレ 20〜29p 14匹 オキアミ フカセ釣り
   p  匹    
   p  匹    
   p  匹    
12時半〜16時半の釣果。前半は小アジで苦戦、14時頃からグレの活性上がる。 釣人:管理人
西-5番  2008/10/21 (終日時〜 時)
グレ 21〜29p 6匹 オキアミ フカセ釣り
タコ  p 1匹    
   p  匹    
   p  匹    
グレは殆ど見えず。終日アジに手を焼きました。タコは夕方エギングで。 釣人:管理人
一文字-3番  2008/10/18 (午前中時〜 時)
グレ 30.5p 1匹 イシゴカイ フカセ釣り
グレ 24〜27p 3匹 オキアミ  
   p  匹    
   p  匹    
久々の30センチ オーバーです。 釣人:グレッチ
東-4番  2008/10/19 (終日時〜 時)
チヌ 31p 1匹 オキアミ フカセ釣り
グレ 22〜24p 6匹    
   p  匹    
   p  匹    
潮が複雑で釣り難い一日でした。グレが見えたのは一度だけ。 釣人:ノリさん
西-5番  2008/10/19 (夜間時〜 時)
アオリイカ 19p 1匹 餌木3.5号 ルアー・エギング
   p  匹    
   p  匹    
   p  匹    
11時頃HIT。10月中旬からアオリ全然釣れなくなりましたね。。 釣人:TeamLatol
中央-9番  2008/10/18 (夜間時〜 時)
ガシラ 21p 1匹 ソフトルアー ルアー・エギング
メバル 17p 1匹    
   p  匹    
   p  匹    
最後に今日一番の大物をばらしてがっくり 釣人:のん
西-5番  2008/10/18 (午後時〜 時)
グレ 23〜28p 5匹 オキアミ フカセ釣り
   p  匹    
   p  匹    
   p  匹    
午後からちょっとだけ練習に… 釣人:わいるだー
西-5番  2008/10/15 (夕方時〜 時)
アオリイカ 24p 1匹 3号エギ ルアー・エギング
   p  匹    
   p  匹    
   p  匹    
タモなし、ギャフなしでぶち抜きました。 釣人:よいち
西-5番  2008/10/15 (午前中時〜 時)
ガシラ 12〜20p 7匹 ワーム ルアー・エギング
ムラソイ 12p 1匹    
カワハギ 17p 1匹    
   p  匹    
ガシラ20センチ重かったっス。(17センチ以上2匹のみ持ち帰り。あとはリリース) 釣人:ガシラハンター
東-3番  2008/10/15 (午前中時〜 時)
小アジ 10p 数匹 オキアミ フカセ釣り
   p  匹 コーン  
   p  匹    
   p  匹    
蟻地獄 午前中でギブアップ 午後から南芦屋浜へ 釣人:パイザー <<<
東-4番  2008/10/13 (午後時〜 時)
グレ 22〜28p 3匹 ネリエ フカセ釣り
   p  匹    
   p  匹    
   p  匹    
アジ地獄でグレも食い気無し・・・ 釣人:3104k
東-1番  2008/10/12 (夜間時〜 時)
太刀魚 68p 1匹 キビナゴ ウキ釣り
   p  匹    
   p  匹    
   p  匹    
実はイカ狙いだったのですが、、、、 釣人:SHIGE
西-5番  2008/10/12 (終日時〜 時)
グレ 20〜29p 6匹 オキアミ フカセ釣り
   p  匹    
   p  匹    
   p  匹    
ノリさんに貰った撒き餌で釣れました。ノリさんありがとう、そしてあなたは凄すぎる。 釣人:トモ
西-5番  2008/10/12 (終日時〜 時)
グレ 22〜30p 26匹 オキアミ フカセ釣り
   p  匹    
   p  匹    
   p  匹    
午前中はアジで苦戦。午後からグレの活性が最高でした。トモさんお疲れ様でした。 釣人:ノリさん
東-1番  2008/10/11 (夜間時〜 時)
太刀魚 70p 1匹 キビナゴ ウキ釣り
太刀魚 50p 1匹    
   p  匹    
   p  匹    
久々に釣れました。潮が止まる間際に連続でヒット。サイズは盆前と変わらず。 釣人:マグロ兄貴
東-4番  2008/10/11 (午前中時〜 時)
ベラ 13〜15p 数匹 ネリエ 紀州釣り
   p  匹    
   p  匹    
   p  匹    
9〜14時の釣行。久々の4番でしたが2枚潮&根がかりで釣果出ず。 釣人:風 <<<
東-2番  2008/10/11 (午後時〜 時)
チヌ 23p 2匹 オキアミ 紀州釣り
グレ 23p 1匹 練り餌  
   p  匹    
   p  匹    
久しぶりの銀ピカです。 釣人:ひろ
西-5番  2008/10/11 (午後時〜 時)
グレ 21〜28p 11匹 オキアミ フカセ釣り
ウマヅラ 15p 1匹    
ガシラ 12〜14p 2匹 アジの切り身  
   p  匹    
グレは14時頃から活発。アジは16時頃から消えました。ガシラは探り釣りで。 釣人:管理人
西-5番  2008/10/11 (夕方時〜 時)
アオリイカ 20p 1匹 2.5号エギ ルアー・エギング
   p  匹    
   p  匹    
   p  匹    
フカセの後、2時間粘って釣れました。今シーズン初の20pです。 釣人:管理人
西-5番  2008/10/11 (終日時〜 時)
グレ 21〜28p 9匹 オキアミ フカセ釣り
   p  匹 パン粉  
   p  匹    
   p  匹    
タナは矢引き〜2ヒロでまちまち。夕方からアジが消えました。 釣人:デイドリーム
一文字-4番  2008/10/09 (終日時〜 時)
グレ 25〜29p 5匹 オキアミ フカセ釣り
グレ 20〜22p 4匹 練りえ  
   p  匹    
   p  匹    
同行者も同様釣果
どういう訳かアジが全く居ませんでした。
釣人:youやん <<<
西-3番  2008/10/02 (夜間時〜 時)
アオリイカ 20p 1匹 餌木(3号) ルアー・エギング
   p  匹    
   p  匹    
   p  匹    
21:00頃です。 釣人:レジェンド
西-5番  2008/10/08 (夕方時〜 時)
クジメ 22.5p 1匹 ワーム ルアー・エギング
   p  匹    
   p  匹    
   p  匹    
ガシラハンター友人inaの釣果です。 釣人:ina
西-5番  2008/10/08 (夕方時〜 時)
ムラソイ 17p 1匹 ワーム ルアー・エギング
ガシラ 17p 1匹    
   p  匹    
   p  匹    
垂水での釣果は2匹のみ。あとの魚は須磨で2人分の釣果。 釣人:ガシラハンター
西-3番  2008/10/07 (夜間時〜 時)
アオリイカ 14〜18p 3匹 エギ3.5号 ルアー・エギング
   p  匹    
   p  匹    
   p  匹    
やはり随分数は減ってきました。大型1パイ目の前でバラシました・・・ 釣人:デイドリーム
西-5番  2008/10/07 (夕方時〜 時)
アオリイカ 17p 1匹 3号エギ ルアー・エギング
   p  匹    
   p  匹    
   p  匹    
グレ狙いの合間に釣りました。17時から再度狙うもアタリは無かったです。 釣人:管理人
西-5番  2008/10/07 (午後時〜 時)
グレ 21〜29p 4匹 オキアミ フカセ釣り
   p  匹    
   p  匹    
   p  匹    
14時、小アジが消えた瞬間に釣れました。その後は再び小アジが回り出しギブアップ。 釣人:管理人
西-5番  2008/10/06 (夜間時〜 時)
ムラソイ 14p 1匹 ワーム ルアー・エギング
   p  匹    
   p  匹    
   p  匹    
20時〜21時の一時間でたったの一匹。勿論リリース慣行。 釣人:ガシラハンター
東-3番  2008/10/04 (午後時〜 時)
アオリイカ 13p 1匹 餌木2.5号 ルアー・エギング
   p  匹    
   p  匹    
   p  匹    
夕方4時〜6時までやりましたが、今日はこの一杯だけでした。。 釣人:チームラトル
西-5番  2008/10/04 (終日時〜 時)
グレ 22〜26p 3匹 オキアミ フカセ釣り
   p  匹 ネリエ  
   p  匹    
   p  匹    
小アジは午後から一瞬消えました。グレの喰いは渋いです。 釣人:デイドリーム
西-5番  2008/10/04 (終日時〜 時)
グレ 22〜28p 4匹 オキアミ フカセ釣り
ガシラ 12〜17p 5匹 ネリエ  
   p  匹    
   p  匹    
グレは午後から。ようやくオキアミで釣れました。ガシラは探り釣りで。 釣人:管理人
西-5番  2008/10/03 (夕方時〜 時)
アオリイカ 14〜17p 2匹 3号エギ ルアー・エギング
   p  匹    
   p  匹    
   p  匹    
18時前後に釣れました。 釣人:管理人
西-5番  2008/10/01 (夕方時〜 時)
アオリイカ 13p 1匹 2.5号エギ ルアー・エギング
   p  匹    
   p  匹    
   p  匹    
YAMASHITAのエギ王Qの2.5号蛍光オレンジに乗ってきました。 釣人:ガシラハンター
西-5番  2008/10/01 (午後時〜 時)
ガシラ 10〜17p 5匹 ワーム(ガルプ) ルアー・エギング
ムラソイ 17.5p 1匹    
ギンポ 22.5p 1匹    
   p  匹    
inaくんとの釣行です。このうちガシラハンターはガシラ4匹。 釣人:ガシラハンター
東-3番  2008/09/28 (夜間時〜 時)
アオリイカ 12〜14p 2匹 餌木2.5号 ルアー・エギング
   p  匹    
   p  匹    
   p  匹    
サイズは大きくなってきましたが、数は今一つでした。。イカは完全にスレてます・・・ 釣人:チームラトル
一文字-4番  2008/09/28 (終日時〜 時)
グレ 26〜30p 3匹 ネリエ フカセ釣り
グレ 20〜25p 7匹    
   p  匹    
   p  匹    
オセンの周りでグレが食ってくる感じ。木っ端の中に小マシなサイズがまざりました。 釣人:天野
東-6番  2008/09/28 (午後時〜 時)
アオリ 11〜14p 3匹 2.5号 ルアー・エギング
セイゴ 30弱p 1匹 パン粉、練りえ  
   p  匹 オキアミ  
   p  匹    
グレ確認出来ず。セイゴは写真拒否して逃げた。アオリ、夕方1時間程で。 釣人:youやん
中央-7番  2008/09/27 (夕方時〜 時)
コウイカ 10p 2匹 エギ3号 ルアー・エギング
   p  匹    
   p  匹    
   p  匹    
未だ小さいけど、中旬には期待できそう。墨がすごい。 釣人:の <<<
東-2番  2008/09/27 (終日時〜 時)
チヌ 25〜30p 2匹 ネリエ 紀州釣り
グレ 21p 2匹 オキアミ  
カワハギ 17p 1匹    
   p  匹    
アジ、チャリコ、アジ、チャリコ。
エサとり凄まじいです。
釣人:風
西-5番  2008/09/26 (夕方時〜 時)
アオリイカ 13〜15p 5匹 2.5号エギ ルアー・エギング
   p  匹    
   p  匹    
   p  匹    
17時半から1時間の釣果。型は良くなって来ましたが、数は随分減って来ました。 釣人:管理人
西-5番  2008/09/24 (午後時〜 時)
ガシラ 12〜19p 11匹 アジの切り身 胴付き・探り釣り
   p  匹    
   p  匹    
   p  匹    
MIKKOさんが8匹、私が3尾釣りました。切り身を使うとエサ取り回避出来ます。 釣人:管理人
西-5番  2008/09/24 (午後時〜 時)
グレ 28p 2匹 ネリエ フカセ釣り
アオリイカ 13p 2匹 エギ2.5号  
   p  匹    
   p  匹    
グレはタナ2.5ヒロ。小アジ多過ぎて手に負えず。アオリは夕方1時間の釣果。 釣人:管理人
東-4番  2008/09/23 (午後時〜 時)
グレ 21〜24p 3匹 ネリエ フカセ釣り
   p  匹    
   p  匹    
   p  匹    
エサ取り多いっす 釣人:3104k <<<
東-4番  2008/09/23 (午後時〜 時)
グレ 24〜29p 2匹 パン粉 フカセ釣り
アオリ 16p 1匹 エギ2,5  
   p  匹    
   p  匹    
アオリも段々と大きくなり釣りにくくなりなすねぇ。 釣人:youやん
東-4番  2008/09/23 (終日時〜 時)
ツバス 33p 1匹 小アジ 泳がせ釣り
グレ 22〜28p 2匹 ネリエ  
アオリイカ 11p 1匹 エギ2.5号  
   p  匹    
グレはフカセ、アオリはエギングでの釣果です。色んな釣りをしたので疲れました。 釣人:管理人
西-5番  2008/09/22 (午前中時〜 時)
グレ 木っ端p 5匹 オキアミ フカセ釣り
   p  匹    
   p  匹    
   p  匹    
活性上がってきました!が、僕の腕は上がってきません… 釣人:わいるだー
西-5番  2008/09/20 (早朝時〜 時)
アオリイカ 11p 2匹 エギ ルアー・エギング
   p  匹    
   p  匹    
   p  匹    
[Web] 釣人:さやパパ
東-7番  2008/09/22 (夜間時〜 時)
アオリイカ 12〜18p 3匹 餌木2.5号 ルアー・エギング
   p  匹 餌木3号  
   p  匹    
   p  匹    
餌木3号のマルチカラーで今期最大の18センチをゲットしました。 釣人:チームラトル
西-3番  2008/09/22 (夜間時〜 時)
アオリイカ 10〜12p 6匹 エギ3号 ルアー・エギング
   p  匹    
   p  匹    
   p  匹    
今日も活性低く乗りが悪かったです。 釣人:デイドリーム
西-3番  2008/09/22 (午前中時〜 時)
ハマチ 44p 1匹 小アジ 泳がせ釣り
アオリイカ 14p 1匹    
   p  匹    
   p  匹    
今回も空振り多いです。 釣人:サトシ・F
東-9番  2008/09/22 (午後時〜 時)
ボラ 69p 2匹 オキアミ 紀州釣り
   p  匹    
   p  匹    
   p  匹    
ダンゴ放ってもほってもボラばかり。撮らずにリーリスしたのも同サイズでした。 釣人:kもりた
東-1番  2008/09/21 (夜間時〜 時)
アオリイカ 12〜15p 3匹 エギ2.5号 ルアー・エギング
   p  匹    
   p  匹    
   p  匹    
21日深夜1:00〜友人と。3号は反応あるも乗り悪し、2.5号良し。 釣人:もりさん <<<
東-3番  2008/09/21 (夕方時〜 時)
アオリイカ 13p 1匹 エギ2.5号 ルアー・エギング
   p  匹    
   p  匹    
   p  匹    
難しい・・・ 釣人:3104k <<<
東-3番  2008/09/21 (夕方時〜 時)
アオリイカ 10〜14p 3匹 2.5号エギ ルアー・エギング
   p  匹    
   p  匹    
   p  匹    
雨の影響で濁りが入り不調。夕方1時間半の釣果です。 釣人:管理人
西-5番  2008/09/20 (夜間時〜 時)
アオリイカ 20p 1匹 エギ3号 ルアー・エギング
   p  匹    
   p  匹    
   p  匹    
ココに通い始めて4日目で初めてゲット 釣人:骨蔵
東-7番  2008/09/20 (夜間時〜 時)
ケンサキイカ 15p 2匹 エギ3号 ルアー・エギング
アオリイカ 10p 3匹    
   p  匹    
   p  匹    
アオリの気配は何処へやら・・・ 釣人:デイドリーム
西-3番  2008/09/20 (午後時〜 時)
スズキ 59p 1匹 アジ 泳がせ釣り
   p  匹    
   p  匹    
   p  匹    
垂水に通い6年目で初めてゲット。何も言えねぇ〜〜!! 釣人:ノリさん
中央-11番  2008/09/20 (夜間時〜 時)
アオリ 15p 1匹 エギ2.5号 ルアー・エギング
ケンサキ 17p 1匹    
   p  匹    
   p  匹    
8時すぎやっときましたもう少し腕があれば 釣人:のん
中央-3番  2008/09/20 (夕方時〜 時)
アオリイカ 13p 1匹 エギ2.5号 ルアー・エギング
   p  匹    
   p  匹    
   p  匹    
なんと一投目で釣れました。しかしそのあとは・・・・ 釣人:烏賊人 <<<
東-2番  2008/09/20 (午前中時〜 時)
チヌ 22p 1匹 ネリエ 紀州釣り
グレ 20〜28p 4匹 オキアミ  
アジ 13p 5匹    
   p  匹    
8時〜14時の釣行。チヌまでエサが届かない。グレは13時頃の時合いでした。 釣人:風
西-5番  2008/09/17 (終日時〜 時)
チヌ 26p 1匹 パン粉団子 フカセ釣り
   p  匹    
   p  匹    
   p  匹    
グレ狙いの間に小チヌ釣ましたぁ! 釣人:youやん
西-5番  2008/09/17 (午後時〜 時)
ガシラ 13〜20p 9匹 アジの切り身 胴付き・探り釣り
アオリイカ 8〜13p 9匹 エギ2.5号  
   p  匹    
   p  匹    
18時半までの釣果。アオリ狙いの合間にガシラを狙いました。 釣人:管理人
西-3番  2008/09/16 (夜間時〜 時)
アオリイカ 10〜17p 5匹 エギ3号 ルアー・エギング
ケンサキイカ 19p 1匹    
   p  匹    
   p  匹    
21〜23時。5番では20cm超も釣れた様です。エギはダートマックス アジカラー 釣人:デイドリーム
西-5番  2008/09/14 (夜間時〜 時)
アオリイカ 7〜12p 4匹 エギ2.5号 ルアー・エギング
ヤリイカ 8p 1匹    
   p  匹    
   p  匹    
19時〜20時半までに、イカがHIT!! 釣人:エギキャスター
西-5番  2008/09/15 (午前中時〜 時)
グレ 21p 1匹 オキアミ フカセ釣り
アジ  p 多数匹    
   p  匹    
   p  匹    
グレの姿は見えるのですが喰い悪いです。
虫エサのヌカ切りの方がいいみたい。
釣人:西っさん
東-2番  2008/09/14 (夕方時〜 時)
アオリイカ 12p 1匹 餌木2.5号 ルアー・エギング
   p  匹    
   p  匹    
   p  匹    
夕方4時頃唯一のヒット。エギンガーが多いせいかアオリイカはスレてる感じでした。 釣人:チームラトル
東-1番  2008/09/14 (午後時〜 時)
アジ 12p 3匹 ネリエ 紀州釣り
   p  匹 オキアミ  
   p  匹    
   p  匹    
大潮、快晴、やや風あるも絶好の釣日和。
しかしチヌは喰ってこない??
釣人:風 <<<
東-1番  2008/09/14 (夜間時〜 時)
太刀魚 72p 1匹 豆アジ 泳がせ釣り
   p  匹    
   p  匹    
   p  匹    
2回のバラシもありました。 釣人:SHIGE
西-3番  2008/09/14 (夜間時〜 時)
アオリイカ 12〜14p 4匹 エギ3.5号 ルアー・エギング
   p  匹    
   p  匹    
   p  匹    
夜9時までの釣果。風が強く潮がカッ飛び、釣りにくかったです。目の前でバラシ3回。 釣人:デイドリーム
東-3番  2008/09/14 (終日時〜 時)
ツバス 33p 1匹 活アジ 泳がせ釣り
   p  匹    
   p  匹    
   p  匹    
3104kさんの釣果です。 釣人:デイドリーム
東-3番  2008/09/14 (終日時〜 時)
ツバス 34〜38p 2匹 活アジ 泳がせ釣り
アオリイカ 13p 1匹    
   p  匹    
   p  匹    
今日の時合は午後4時前の一瞬だけでした。ルアーの孫針で掛かりは空振り無し。 釣人:デイドリーム
西-5番  2008/09/14 (夜間時〜 時)
アオリイカ 14p 2匹 2.5号エギ ルアー・エギング
   p  匹    
   p  匹    
   p  匹    
↓の最大寸14センチです。 釣人:ガシラハンター
西-5番  2008/09/14 (夜間時〜 時)
アオリイカ 10〜14p 5匹 2.5号エギ ルアー・エギング
   p  匹    
   p  匹    
   p  匹    
20時半〜21時45分の一時間15分の釣果。マルチカラーのエギでHIT! 釣人:ガシラハンター
西-5番  2008/09/14 (夕方時〜 時)
ガシラ 16p 1匹 ワーム ルアー・エギング
   p  匹    
   p  匹    
   p  匹    
一匹のみ。当然ちっちゃいからリリース。 釣人:ガシラハンター
東-7番  2008/09/13 (夜間時〜 時)
アオリイカ 11〜13p 4匹 エギ3号 ルアー・エギング
   p  匹    
   p  匹    
   p  匹    
沖、底は反応無く全て際の表層で乗ってきました。未だに良く解りません。 釣人:デイドリーム
東-7番  2008/09/12 (夜間時〜 時)
アオリイカ 13p 1匹 エギ2.5号 ルアー・エギング
   p  匹    
   p  匹    
   p  匹    
今日はほとんどアタリすらなく撃沈・・・ 釣人:デイドリーム
西-5番  2008/09/13 (夜間時〜 時)
アオリイカ 10p 1匹 2.5号エギ ルアー・エギング
   p  匹    
   p  匹    
   p  匹    
2時間でたったの一杯。ヘボすぎ。 釣人:ガシラハンター
中央-11番  2008/09/12 (夜間時〜 時)
ガシラ 21p 1匹 ワーム(ガルプ) ルアー・エギング
   p  匹    
   p  匹    
   p  匹    
↓の採寸分です。ムラソイ2匹はリリースだよ。17センチ以下でちっちゃかったからね 釣人:ガシラハンター
中央-11番  2008/09/12 (夜間時〜 時)
ガシラ 21p 1匹 ワーム(ガルプ) ルアー・エギング
ムラソイ 11〜17p 2匹    
   p  匹    
   p  匹    
夜間21〜22時の一時間運動がてらランガンしました。 釣人:ガシラハンター
西-3番  2008/09/12 (午前中時〜 時)
ツバス 35p 1匹 小アジ 泳がせ釣り
   p  匹    
   p  匹    
   p  匹    
アタリ4回あり、3回は空振りでした。タナは2ヒロ前後。 釣人:サトシ・F
西-3番  2008/09/12 (午前中時〜 時)
ハマチ 42〜44p 2匹 小アジ 泳がせ釣り
   p  匹    
   p  匹    
   p  匹    
アタリは4回ありました。出来るだけ小さなアジでないと喰い込み悪いです。 釣人:管理人
東-7番  2008/09/11 (夜間時〜 時)
アオリイカ 10〜14p 4匹 エギ2.5号 ルアー・エギング
   p  匹    
   p  匹    
   p  匹    
アタリは有れどなかなか乗りません。全て際のズル引きで。シャクると全く反応無し。 釣人:デイドリーム
中央-2番  2008/09/11 (午前中時〜 時)
アオリイカ 10p 2匹 エギ2号 ルアー・エギング
   p  匹    
   p  匹    
   p  匹    
今年初の秋イカを釣りました。エギンガーが多いせいか少しスレてるかも・・・ 釣人:烏賊人 <<<
西-5番  2008/09/10 (午後時〜 時)
ガシラ 10〜17p 3匹 ワーム(ガルプ) ルアー・エギング
   p  匹    
   p  匹    
   p  匹    
小さいのしか釣れず。オールリリース。 釣人:ガシラハンター
東-3番  2008/09/07 (午後時〜 時)
グレ 21p 1匹 練餌 フカセ釣り
アオリイカ 7p 1匹 エギ2号  
   p  匹    
   p  匹    
グレが燃えたのは一瞬。あとは22時までのらりくらりエギング。 釣人:蔵之臣 <<<
東-11番  2008/09/09 (夜間時〜 時)
アオリイカ 10p 2匹 エギ2.5号 ルアー・エギング
   p  匹    
   p  匹    
   p  匹    
懲りずにロッド&リールを新調するも・・・反応殆ど有りませんでした。 釣人:デイドリーム <<<
東-1番  2008/09/07 (終日時〜 時)
オコゼ 15p 1匹 活アジ 泳がせ釣り
アオリイカ 7p 4匹 エギ2号  
   p  匹    
   p  匹    
珍しいので。このサイズでアジ丸飲み。その後エギとロッド&リールをロスト・・・ 釣人:デイドリーム
西-5番  2008/09/09 (夕方時〜 時)
ガシラ 20p 1匹 オキアミ 胴付き・探り釣り
   p  匹    
   p  匹    
   p  匹    
夕方の30分ほどで釣れました。 釣人:MIKKO
西-2番  2008/09/09 (終日時〜 時)
ツバス 32〜33p 2匹 小アジ 泳がせ釣り
アオリイカ 8〜11p 7匹 エギ2.5号  
   p  匹    
   p  匹    
ツバスは9時、10時半に釣れました。アオリは日中の釣果です。 釣人:管理人
西-3番  2008/09/08 (夜間時〜 時)
ガシラ 20p 1匹 ワーム(ガルプ) ルアー・エギング
   p  匹    
   p  匹    
   p  匹    
↓の中の最高寸(20センチ)のみ持ち帰り。あとはリリースです。 釣人:ガシラハンター
西-3番  2008/09/08 (夜間時〜 時)
ガシラ 13〜20p 3匹 ワーム(ガルプ) ルアー・エギング
ムラソイ 13〜16p 2匹    
   p  匹    
   p  匹    
アオリイカに見放されたので久々のガシリング行って来ました。 釣人:ガシラハンター
東-3番  2008/09/07 (終日時〜 時)
ツバス 32p 2匹 小アジ 泳がせ釣り
   p  匹    
   p  匹    
   p  匹    
時合は昼前の一瞬でした。 釣人:デイドリーム
東-3番  2008/09/07 (終日時〜 時)
ツバス 32〜33p 2匹 小アジ 泳がせ釣り
アオリイカ 7〜12p 5匹 エギ2号  
   p  匹    
   p  匹    
ツバスは9時と11時に釣れました。アオリはエギングで日中、単発で釣れました。 釣人:管理人
西-5番  2008/09/06 (午後時〜 時)
グレ 25p 1匹 オキアミ フカセ釣り
アオリイカ 8〜12p 5匹 パン粉  
   p  匹 エギ  
   p  匹    
3ヒロ。ガン玉を打ち何とか釣れました。グレはいません。 釣人:ノリさん
東-1番  2008/09/06 (午後時〜 時)
チヌ 30p 1匹 ネリエ・青虫 紀州釣り
メバル 13p 1匹    
アジ  p 多数匹    
   p  匹    
15〜21:30の釣行。夜間は青虫でウキ釣り。 釣人:風
東-3番  2008/09/06 (夕方時〜 時)
アオリイカ 8〜13p 4匹 エギ2〜3号 ルアー・エギング
   p  匹    
   p  匹    
   p  匹    
写真7杯のうち3杯は髭漁師さんからの頂きモノです。 釣人:蔵之臣
西-5番  2008/09/06 (夜間時〜 時)
アオリイカ 10〜11p 3匹 3号エギ(ピンク) ルアー・エギング
   p  匹    
   p  匹    
   p  匹    
本日初めて同行させていただいたハルさんの釣果です。いろいろ教えてもらいました。 釣人:ガシラハンター
西-5番  2008/09/06 (夜間時〜 時)
アオリイカ 10〜14p 7匹 エギ ルアー・エギング
   p  匹    
   p  匹    
   p  匹    
リンダ(エギ子)さんとの夫さんの釣果です。14センチのは夫さんがGETです。 釣人:ガシラハンター
東-3番  2008/09/06 (夕方時〜 時)
カマス 25〜27p 2匹 エギ2号 ルアー・エギング
アオリイカ 8〜12p 6匹 7pミノー  
   p  匹    
   p  匹    
21時半までの釣果。カマスは18時頃に釣れましたが時合いは一瞬でした。 釣人:管理人
西-5番  2008/09/04 (夜間時〜 時)
ケンサキイカ 10p 2匹 2.5号エギ ルアー・エギング
   p  匹    
   p  匹    
   p  匹    
アオリが・・・ 釣人:3104k <<<
西-5番  2008/09/04 (終日時〜 時)
アオリイカ 7〜14p 13匹 2号エギ ルアー・エギング
   p  匹    
   p  匹    
   p  匹    
日中はフカセでグレを狙うも全く浮かずボウズ。アオリのキープは2杯のみ。 釣人:管理人
西-5番  2008/09/04 (夜間時〜 時)
アオリイカ 10p 1匹 2号エギ・ピンク ルアー・エギング
   p  匹    
   p  匹    
   p  匹    
21〜22時の一時間シャクってきました。たったの一匹です。ヘタクソです。 釣人:ガシラハンター
西-5番  2008/09/04 (夕方時〜 時)
アオリ 8〜14p 5匹 エギ2号 ルアー・エギング
   p  匹 コノシロカラー  
   p  匹 あじ金テープ  
   p  匹    
イカそーめん、にんにく醤油焼き、スパードライ!! 釣人:youやん
西-4番  2008/09/04 (夕方時〜 時)
ケンサキイカ 12〜20p 11匹 エギ2号 ルアー・エギング
アオリイカ 14p 1匹    
   p  匹    
   p  匹    
夕方の5時から7時までの間で時合いがありました。美味しく頂きました! 釣人:釣熊
西-5番  2008/09/03 (夕方時〜 時)
アオリ 15p 1匹 エギ ルアー・エギング
ケンサキ 13p 1匹    
   p  匹    
   p  匹    
昼間も結構釣れてました。グレは撃沈… 釣人:わいるだー
西-4番  2008/09/02 (夜間時〜 時)
アオリイカ 7〜12p 4匹 2号エギ ルアー・エギング
   p  匹    
   p  匹    
   p  匹    
20時〜22時半の釣果。腕が悪いっす。回遊魚(イカ)はすべてお持ち帰りだよっ! 釣人:ガシラハンター
西-5番  2008/09/02 (夜間時〜 時)
アオリイカ 12〜16p 5匹 エギ2号 P/G ルアー・エギング
   p  匹    
   p  匹    
   p  匹    
今日の外海向きはアタリ続かず。19:30〜22:00までの釣果。 釣人:もりさん <<<
西-5番  2008/09/02 (夜間時〜 時)
アオリイカ 10〜12p 2匹 2号エギ ルアー・エギング
   p  匹    
   p  匹    
   p  匹    
難しいです 釣人:3104k <<<
中央-10番  2008/09/02 (午後時〜 時)
チヌ 27〜30p 2匹 オキアミ 紀州釣り
青アジ 10p 40匹    
   p  匹    
   p  匹    
14時〜17時の釣果。サビキは青アジばかりでマアジがあまり釣れませんでした。 釣人:東大阪ファミリー
西-5番  2008/09/02 (午後時〜 時)
アオリイカ 10〜14p 5匹 2号エギ ルアー・エギング
   p  匹    
   p  匹    
   p  匹    
夕方1時間ほどの釣果。 釣人:MIKKO
西-5番  2008/09/02 (夜間時〜 時)
アオリイカ 8〜14p 27匹 エギ2号 ルアー・エギング
   p  匹    
   p  匹    
   p  匹    
18時半〜22時までの釣果。 釣人:管理人
西-5番  2008/09/01 (夜間時〜 時)
アオリイカ 8〜14p 10匹 2号エギ ルアー・エギング
   p  匹    
   p  匹    
   p  匹    
19時半からの釣果。今日は乗りがあまり良く無かったです。 釣人:管理人
西-5番  2008/09/01 (夜間時〜 時)
アオリイカ 10〜17p 5匹 2号エギ ピンク ルアー・エギング
ケンサキイカ 12〜16p 3匹 2.5号エギ ピンク  
   p  匹    
   p  匹    
アオリは底層で。ケンサキは中層で。はっきり分かれてました。 釣人:もりさん <<<
中央-7番  2008/09/01 (夜間時〜 時)
アオリイカ 8〜10p 3匹 2号エギ ルアー・エギング
   p  匹    
   p  匹    
   p  匹    
沢山のエギンガーがいるも中央ではイカの気配が有りませんでした。 釣人:デイドリーム <<<
西-5番  2008/09/01 (夜間時〜 時)
アオリイカ 10〜14p 7匹 2号エギ ルアー・エギング
ケンサキイカ 14p 1匹    
   p  匹    
   p  匹    
3杯は東の釣果です。 釣人:3104k <<<
西-5番  2008/08/31 (終日時〜 時)
グレ 20〜26p 2匹 オキアミ フカセ釣り
アオリイカ 10p 2匹 2号エギ  
   p  匹    
   p  匹    
朝6時から夜9時の釣果・・・終日グレは全く浮かず。小アジが多く釣りになりません。 釣人:デイドリーム
中央-11番  2008/09/01 (午後時〜 時)
カワハギ 食すp 1匹 サビキ5号 サビキ釣り
子アジ 食すp ?匹    
イワシ 食すp ?匹    
   p  匹    
グレ、ボ〜ズ 後は食す エギンガーの後はゴミだらけ〜 釣人:パイザー
東-9番  2008/09/01 (午後時〜 時)
チヌ 34p 1匹 オキアミ 紀州釣り
   p  匹    
   p  匹    
   p  匹    
6時間ダンゴ投げてこれです。他はボラばかり(中にはカンダイ?)でした。 釣人:kもりた
西-4番  2008/08/31 (夜間時〜 時)
アオリイカ 10〜13p 3匹 2号エギ ルアー・エギング
   p  匹    
   p  匹    
   p  匹    
今日はお休みなられているところ電話で起こしてすみませんでした。 釣人:ガシラハンター
東-4番  2008/08/31 (午後時〜 時)
チヌ 32p 1匹 パン粉 フカセ釣り
アオリイカ 10〜14p 2匹 2号エギ  
   p  匹    
   p  匹    
人が多かったっす 釣人:3104k <<<
東-1番  2008/08/31 (終日時〜 時)
チヌ 25〜34p 3匹 ネリエサ 紀州釣り
   p  匹 オキアミ  
   p  匹    
   p  匹    
11〜17時の釣果。雨後の影響か、食いイマイチ。 釣人:風
東-9番  2008/08/31 (夕方時〜 時)
アオリイカ 10〜15p 5匹 エギ2号 ルアー・エギング
   p  匹 3号  
   p  匹    
   p  匹    
日没より3号で少しサイズUP。あたり少ない。 刺身、にんにく醤油焼き! 釣人:youやん
西-5番  2008/08/30 (午後時〜 時)
グレ 20p 1匹 石ゴカイ ヌカ切り
カワハギ 15p 1匹    
豆アジ 7〜10p 10匹    
   p  匹    
雨の影響か活性低く、本命は一枚だけでした。。 釣人:チームラトル
西-5番  2008/08/30 (夜間時〜 時)
アオリイカ 12〜14p 4匹 2号エギ ルアー・エギング
   p  匹    
   p  匹    
   p  匹    
釣れたのは30分ほどでした。 釣人:3104k <<<
西-5番  2008/08/30 (夜間時〜 時)
ケンサキイカ 10・12p 2匹 1.8号エギ ルアー・エギング
   p  匹    
   p  匹    
   p  匹    
渋かったです。ってか腕か悪すぎ。 釣人:ガシラハンター
西-5番  2008/08/30 (午後時〜 時)
真鯛 22p 1匹 コーン フカセ釣り
   p  匹    
   p  匹    
   p  匹    
新事実!コーンで真鯛も釣れちゃいました! 釣人:わいるだー
西-5番  2008/08/29 (午後時〜 時)
グレ 27p 1匹 オキアミ フカセ釣り
アオリイカ 8〜13p 23匹 エギ2号  
ケンサキイカ 10〜12p 2匹    
   p  匹    
グレは12時半〜17時。イカは17時半〜19時。グレは開始3時間後に浮きました。 釣人:管理人
中央-7番  2008/08/28 (夜間時〜 時)
アオリイカ 10p 1匹 2号エギ ルアー・エギング
ケンサキイカ 10〜17p 2匹    
   p  匹    
   p  匹    
21時から1時間の釣果。アタリは数回有りましたがなかなか乗ってくれません。 釣人:デイドリーム
中央-7番  2008/08/28 (夕方時〜 時)
アオリイカ 8〜12p 4匹 2号エギ ルアー・エギング
ケンサキイカ 10p 1匹    
   p  匹    
   p  匹    
17時半〜19時の釣果。今日は乗りが悪かったです。 釣人:管理人 <<<
西-4番  2008/08/28 (夜間時〜 時)
アオリイカ 8〜10p 2匹 2号エギ ルアー・エギング
   p  匹    
   p  匹    
   p  匹    
19時から1時間だけ夕涼みに 釣人:3104k <<<
西-4番  2008/08/27 (夜間時〜 時)
アオリイカ 8〜12p 5匹 2号エギ ルアー・エギング
ケンサキイカ 10p 1匹    
   p  匹    
   p  匹    
21時にアタリが無くなりました 釣人:3104k <<<
西-4番  2008/08/27 (夜間時〜 時)
アオリイカ 8〜12p 9匹 2号エギ ルアー・エギング
ケンサキイカ 10p 1匹    
   p  匹    
   p  匹    
19時〜21時の釣果。最近、夜は寒いです。風邪ひきました。 釣人:管理人
西-5番  2008/08/26 (夜間時〜 時)
ケンサキイカ 10〜20p 3匹 エギ ルアー・エギング
   p  匹    
   p  匹    
   p  匹    
今年初のエギング釣果です。 釣人:ガシラハンター
西-4番  2008/08/26 (夕方時〜 時)
アオリイカ 10p 2匹 2号エギ ルアー・エギング
ケンサキイカ 10〜14p 2匹    
   p  匹    
   p  匹    
タクロー夫妻の釣果です。 釣人:管理人
中央-7番  2008/08/26 (夕方時〜 時)
アオリイカ 8〜14p 13匹 2号エギ ルアー・エギング
   p  匹    
   p  匹    
   p  匹    
17時〜19時半までの釣果。中央7で9杯、西4で4杯釣れました。 釣人:管理人
東-11番  2008/08/25 (夜間時〜 時)
カマス 20〜23p 5匹 ミノー ルアー・エギング
   p  匹    
   p  匹    
   p  匹    
11番、19時からの1時間の釣果。数はもっと可能だがサイズはどうか。 釣人:マヨナカベル
西-4番  2008/08/25 (夕方時〜 時)
アオリイカ 8〜10p 7匹 エギ ルアー・エギング
   p  匹    
   p  匹    
   p  匹    
西4で4杯、中央7で3杯釣れました。16時〜19時の釣果。 釣人:管理人
西-5番  2008/08/25 (午後時〜 時)
グレ 21〜27p 3匹 オキアミ フカセ釣り
   p  匹    
   p  匹    
   p  匹    
小アジ多いです。グレは見えてます。 釣人:管理人
西-5番  2008/08/25 (午後時〜 時)
グレ 23〜30p 10匹 オキアミ フカセ釣り
   p  匹 ネリエ  
   p  匹    
   p  匹    
久しぶりのフカセ!オモロ〜!! 釣人:まさ
東-2番  2008/08/24 (終日時〜 時)
チヌ 23〜36p 2匹 コーン 紀州釣り
   p  匹    
   p  匹    
   p  匹    
まさかあんな時間まで呑むとは・・・ 釣人:3104k
西-10番  2008/08/24 (終日時〜 時)
チヌ 21p 1匹 オキアミ 紀州釣り
   p  匹    
   p  匹    
   p  匹    
今年、垂水での初チヌです。小さい・・・。 釣人:正太郎
中央-10番  2008/08/21 (終日時〜 時)
チヌ 22p 1匹 練り餌 紀州釣り
   p  匹    
   p  匹    
   p  匹    
恥ずかしながら子供さんの足裏サイズです。 釣人:youやん
中央-10番  2008/08/21 (午後時〜 時)
チヌ 32p 1匹 オキアミ 紀州釣り
グレ 28p 1匹 コーン  
   p  匹    
   p  匹    
今年最初の紀州釣り。本命のアタリ少ないです。 釣人:管理人
西-5番  2008/08/21 (終日時〜 時)
グレ 27p 1匹 オキアミ フカセ釣り
グレ 15〜18p 3匹    
   p  匹    
   p  匹    
アジが多く苦戦。グレは木端が沢山いますが、オキアミを食べてくれません。 釣人:ノリさん
西-5番  2008/08/17 (終日時〜 時)
チヌ 27〜28p 2匹 オキアミ フカセ釣り
   p  匹 パン粉  
   p  匹    
   p  匹    
グレ狙いで1ヒロ。沢山浮くもアジが終日居つき釣りにならず。ヌカ切りの人4〜5枚 釣人:デイドリーム
東-2番  2008/08/17 (午後時〜 時)
チヌ 23p 1匹 オキアミ 紀州釣り
   p  匹    
   p  匹    
   p  匹    
ボラの猛攻、灼熱の太陽、無風状態からの向かい風、疲れました。 釣人:まさ <<<
東-1番  2008/08/16 (午後時〜 時)
チヌ 35〜38p 2匹 ネリエ 紀州釣り
ベラ 15〜16p 5匹 オキアミ  
   p  匹    
   p  匹    
11〜15時の釣果。 
豆アジ多し、少々厄介です。
釣人:風
一文字-1番  2008/08/15 (午前中時〜 時)
小アジ 10p 130匹 撒餌 サビキ釣り
ベラ 15p 20匹 アオイソメ  
ガシラ 15p 5匹 ゴカイ  
   p  匹    
初投稿です。
潮の流れが早かったです。
釣人:くわい <<<
西-5番  2008/08/13 (夕方時〜 時)
ムラソイ 15p 1匹 クラブ 胴付き・探り釣り
   p  匹    
   p  匹    
   p  匹    
リリース。みなさん、15センチ以下の釣魚は持ち帰らずにリリースしてあげましょう! 釣人:ガシラハンター
東-2番  2008/08/12 (午後時〜 時)
チヌ 32p 1匹 オキアミ 紀州釣り
   p  匹    
   p  匹    
   p  匹    
勘を取り戻さなければ・・・ 釣人:3104k <<<
東-2番  2008/08/12 (午後時〜 時)
ヘダイ 28p 1匹 オキアミ 紀州釣り
チヌ 32p 1匹    
   p  匹    
   p  匹    
チヌ!?キビレ!?ヘダイでした!!! 釣人:まさ
東-3番  2008/08/10 (夜間時〜 時)
太刀魚 50〜80p 14匹 ルアー ルアー・エギング
   p  匹    
   p  匹    
   p  匹    
日没から1時間半ほど。入れ食いでした。クーラーが一杯になったので納竿。 釣人:マグロ兄貴
一文字-1番  2008/08/09 (午後時〜 時)
チヌ 20p 1匹 青虫 胴付き・探り釣り
ガシラ 10〜20p 4匹 アケミ貝  
メバル 10〜15p 3匹    
   p  匹    
この他ベラ10〜20センチ15匹釣れました。 釣人:チームラトル
東-4番  2008/08/09 (夜間時〜 時)
太刀魚 55p 1匹 ルアー ルアー・エギング
   p  匹    
   p  匹    
   p  匹    
やっと一匹確保です。刺身で頂きます。
キスは塩屋で釣りました。
釣人:マグロ兄貴
中央-9番  2008/08/09 (夜間時〜 時)
スルメイカ 20p 1匹 ソフトルアー ルアー・エギング
   p  匹    
   p  匹    
   p  匹    
たまたま浮いていたところを引っ掛けました。 釣人:のん
東-9番  2008/08/08 (午後時〜 時)
ボラ 45〜60p 6匹 オキアミ 紀州釣り
   p  匹    
   p  匹    
   p  匹    
このところボラばかりです。チヌはどこへ行ったんでしょうか。 釣人:kもりた
中央-9番  2008/08/08 (夜間時〜 時)
ガシラ 12p 1匹 ジグヘッド&ワーム ルアー・エギング
タコ 20p 1匹    
   p  匹    
   p  匹    
21時頃に釣れました。タコも釣れたのですが、すぐに逃げてしまったので画像無し 釣人:超ビギナー
西-3番  2008/08/07 (夕方時〜 時)
サバ 40p 1匹 キビナゴ ウキ釣り
タチウオ 60p 2匹 オキアミ  
   p  匹    
   p  匹    
タチウオはオキアミで釣るのです! 釣人:3104k
西-3番  2008/08/07 (夜間時〜 時)
サバ 35p 1匹 きびなご ウキ釣り
タチウオ 50〜60p 6匹    
   p  匹    
   p  匹    
↓の釣果のおかげで、サバのタモ入れうまくなりました。 釣人:まさ <<<
西-3番  2008/08/07 (夜間時〜 時)
サバ 35〜37p 4匹 オキアミ ウキ釣り
タチウオ 60p 2匹    
   p  匹    
   p  匹    
19時半〜22時半までの釣果。アタリは頻繁にありました。 釣人:管理人
中央-11番  2008/08/05 (夜間時〜 時)
サバ 30p 1匹 ルアー(メタルジグ) ルアー・エギング
   p  匹    
   p  匹    
   p  匹    
初投稿です。19:30頃に釣れました。サバの
群れがピチピチはねてました
釣人:超ビギナー
西-5番  2008/08/04 (午後時〜 時)
グレ 20〜29p 5匹 オキアミ フカセ釣り
   p  匹    
   p  匹    
   p  匹    
夕方の一瞬だけグレが浮きました。豆アジが大量に居るため、かなり厄介です。 釣人:管理人
西-4番  2008/08/03 (夜間時〜 時)
サバ 37p 1匹 オキアミ ウキ釣り
   p  匹    
   p  匹    
   p  匹    
21時頃に釣れました。数はかなり少なくなってきました。 釣人:管理人
西-4番  2008/08/03 (夜間時〜 時)
サバ 36〜44p 2匹 キビナゴ ウキ釣り
   p  匹    
   p  匹    
   p  匹    
ルアーではさっぱりでした。 釣人:まさ
西-4番  2008/08/03 (夜間時〜 時)
サバ 36〜46p 2匹 キビナゴ ウキ釣り
タチウオ 60〜81p 2匹 オキアミ  
   p  匹    
   p  匹    
20時〜22時半の釣果。 釣人:デイドリーム
西-5番  2008/08/03 (夕方時〜 時)
グレ 26p 2匹 オキアミ フカセ釣り
   p  匹    
   p  匹    
   p  匹    
夕方2時間の釣果。かなり沢山浮いていますが、アタリが渋く難しいです。 釣人:デイドリーム
西-4番  2008/08/03 (終日時〜 時)
ベラ リリースp 1匹 オキアミM フカセ釣り
豆アジ リリースp ?匹    
ボラ 帰宅p 1匹    
   p  匹    
最近こんなんばかり・・・ デイさん、管理人さん、頑張ってね。 釣人:パイザー
中央-8番  2008/08/02 (夜間時〜 時)
サバ 36p 1匹 キビナゴ ウキ釣り
タチウオ 65p 2匹    
   p  匹    
   p  匹    
タチウオがめっちゃ多いです。 釣人:デイドリーム
中央-8番  2008/08/02 (夜間時〜 時)
サバ 35p 1匹 キビナゴ ウキ釣り
タチウオ 55〜65p 3匹    
   p  匹    
   p  匹    
この日は殆どサバは釣れてませんでした。タチウオは数出ますが細いです。 釣人:管理人
西-5番  2008/08/02 (夜間時〜 時)
タチウオ 62p 1匹 ルアー ルアー・エギング
   p  匹    
   p  匹    
   p  匹    
こちらもビギナーズラックです。釣果記録登録よろしくお願いします。 釣人:ガシラハンター
西-5番  2008/08/02 (夜間時〜 時)
サバ 43p 1匹 ルアー ルアー・エギング
サバ 36〜38p 2匹    
   p  匹    
   p  匹    
やりました!ビギナーズラック!釣果記録更新お願いします。 釣人:ガシラハンター
西-5番  2008/07/31 (終日時〜 時)
グレ 24〜29p 6匹 オキアミ フカセ釣り
グレ 18〜20p 9匹    
   p  匹    
   p  匹    
相変わらず喰いは渋いです。豆アジ、サヨリ、ボラ、オセン多数です。 釣人:管理人
西-5番  2008/07/30 (夕方時〜 時)
ムラソイ 12p 1匹 クラブ 胴付き・探り釣り
   p  匹    
   p  匹    
   p  匹    
先週に続き撃沈。即リリース。みなさん、15センチ以下の釣魚はリリースしましょう! 釣人:ガシラハンター
東-3番  2008/07/29 (夕方時〜 時)
サバ 35p 1匹 ルアー ルアー・エギング
   p  匹 レッドヘッド  
   p  匹 ミノー  
   p  匹    
今日はあまり群れが入ってきておらず、太刀魚が多かったです。 釣人:釣熊
西-5番  2008/07/30 (午後時〜 時)
豆アジ リリースp ?匹 オキアミS フカセ釣り
オセン 餌付けp 2匹    
   p  匹    
   p  匹    
オセンにボラが凄いです 何処に投げても豆アジの餌食に・・・ 釣人:パイザー <<<
東-6番  2008/07/27 (終日時〜 時)
グレ 20〜28p 3匹 オキアミ フカセ釣り
   p  匹    
   p  匹    
   p  匹    
午前中は4番で釣果無し。午後から6番へ移動。後半は当て潮でさっぱり。 釣人:管理人
東-9番  2008/07/27 (終日時〜 時)
テンコチ 24p 1匹 青虫 投げ釣り
   p  匹    
   p  匹    
   p  匹    
太志がちょい投げで釣りました。久しぶりにテンコチ見ました。 釣人:西っさん
中央-11番  2008/07/27 (午前中時〜 時)
ベラ 差し上げp 3匹 オキアミS フカセ釣り
   p  匹    
   p  匹    
   p  匹    
6:45〜10:45 4Hでギブアップです  釣人:パイザー
東-3番  2008/07/26 (夜間時〜 時)
サバ 32〜38p 4匹 オキアミ ウキ釣り
   p  匹    
   p  匹    
   p  匹    
昨夜はサバの群れが来ていたみたいです。 釣人:SHIGE
東-4番  2008/07/25 (午後時〜 時)
ガシラ 10〜19p 8匹 オキアミ 胴付き・探り釣り
メバル 10〜15p 3匹    
   p  匹    
   p  匹    
夕方6時頃によく釣れました。 釣人:リンクス
西-5番  2008/07/23 (夕方時〜 時)
ムラソイ 12p 1匹 クラブ 胴付き・探り釣り
   p  匹    
   p  匹    
   p  匹    
貧果ですみません。(即リリース) 釣人:ガシラハンター
中央-11番  2008/07/20 (終日時〜 時)
オコゼ 21p 1匹 岩虫 投げ釣り
グレ 18〜20p 2匹 オキアミ  
アイナメ 18〜21p 4匹    
   p  匹    
初めてオコゼを釣りました。さばくのに苦労しましたが、おいしくいただきました。 釣人:kumapapa
西-5番  2008/07/22 (午前中時〜 時)
グレ 25〜29p 3匹 オキアミ フカセ釣り
サヨリ 30p 3匹    
   p  匹    
   p  匹    
9時半から3時間の釣果。オセン、サヨリ、ボラ、小アジ滅茶苦茶います。 釣人:管理人
一文字-1番  2008/07/21 (終日時〜 時)
ガシラ 10〜15p 12匹 青虫 胴付き・探り釣り
メバル 10〜15p 8匹 オキアミ  
ベラ、アイナメ 10〜20p 20匹    
   p  匹    
堤防団子で寄せて40匹数釣り出来ました。 釣人:チームラトル
西-5番  2008/07/21 (夕方時〜 時)
ムラソイ 16p 1匹 磯ガニ 胴付き・探り釣り
   p  匹    
   p  匹    
   p  匹    
ムラソイ1匹のみ釣れました。(リリース) 釣人:ガシラハンター
一文字-9番  2008/06/19 (夜間時〜 時)
グレ 27p 1匹 地エビ 胴付き・探り釣り
   p  匹    
   p  匹    
   p  匹    
ブラクリで探っていたら釣れました。超ラッキーでした。 釣人:SHIGE <
中央-9番  2008/07/19 (夜間時〜 時)
ガシラ 17-19p 2匹 ソングルアー ルアー・エギング
メバル 10-12p 5匹    
   p  匹    
   p  匹    
アコウは玉砕。むずかしい 釣人:のん
中央-10番  2008/07/16 (夜間時〜 時)
アコウ 31p 1匹 シラサエビ エビ撒き釣り
メバル 15p 1匹    
   p  匹    
   p  匹    
19時半〜22時半までやりました。竿1本先、底狙いです。これからアコウ本番です。 釣人:管理人
西-5番  2008/07/16 (午後時〜 時)
ガシラ 15〜20p 2匹 クラブ 胴付き・探り釣り
ムラソイ 15p 1匹    
   p  匹    
   p  匹    
ブログに「垂水の釣り情報」リンク貼らせていただきました。 釣人:ガシラハンター
中央-11番  2008/07/15 (終日時〜 時)
海タナゴ リリースp 2匹 オキアミS フカセ釣り
   p  匹    
   p  匹    
   p  匹    
グレらしき姿を確認出来ましたが、食わす事が出来ない 何が・・・ 釣人:パイザー
西-5番  2008/07/13 (夕方時〜 時)
ギンポ 24p 1匹 クラブ 胴付き・探り釣り
   p  匹    
   p  匹    
   p  匹    
外道ですが、釣果記録更新お願いします。キモかったので即リリース。 釣人:ガシラハンター
西-5番  2008/07/13 (夕方時〜 時)
ガシラ 16〜18p 2匹 クラブ 胴付き・探り釣り
   p  匹    
   p  匹    
   p  匹    
暑くて気合が入りませんでした…なんとか2匹のGETです。 釣人:ガシラハンター
東-1番  2008/07/13 (午前中時〜 時)
チヌ 45p 1匹 オキアミ 紀州釣り
ベラ 15〜20p 5匹    
   p  匹    
   p  匹    
あたりは何度かありましたが、上げられたのは1匹だけです。 釣人:ひろ
西-4番  2008/07/12 (夜間時〜 時)
ムラソイ 19p 1匹 ワーム 胴付き・探り釣り
   p  匹    
   p  匹    
   p  匹    
夜間ソフトルアー(ワーム)での釣果です。かなり強い引きでした。詳しくはブログで。 釣人:ガシラハンター
西-4番  2008/07/11 (夜間時〜 時)
アナゴ 25−45p 8匹 イソメ 投げ釣り
   p  匹    
   p  匹    
   p  匹    
今晩はアナゴ尽くしの予定 釣人:ビール
西-5番  2008/07/11 (終日時〜 時)
グレ 22〜26p 5匹 オキアミ フカセ釣り
グレ 15〜18p 4匹    
サヨリ 30p 8匹    
   p  匹    
サヨリ、オセン、ボラ凄い数です。午前中のみグレがたまに浮きました。 釣人:管理人
西-5番  2008/07/09 (午後時〜 時)
ムラソイ 12〜21p 4匹 磯ガニ 胴付き・探り釣り
ガシラ 10〜16p 5匹    
   p  匹    
   p  匹    
ムラソイ記録更新になりませんでした…。 釣人:ガシラハンター
東-9番  2008/07/09 (午後時〜 時)
チヌ 46p 1匹 オキアミ 紀州釣り
   p  匹    
   p  匹    
   p  匹    
7月4日に続く今年2回目のダンゴにきたオリーワンです。 釣人:kもりた
西-5番  2008/07/06 (夕方時〜 時)
ガシラ 18〜21p 4匹 磯ガニ 胴付き・探り釣り
ムラソイ 16p 1匹    
   p  匹    
   p  匹    
ちょこっと夕方に行ったガシリングの釣果です。 釣人:ガシラハンター
東-4番  2008/07/05 (終日時〜 時)
チヌ 34p 1匹 オキアミ フカセ釣り
グレ 15p 3匹    
   p  匹    
   p  匹    
グレは管理人さんが釣ったものです。 釣人:ノリさん
中央-9番  2008/07/05 (夜間時〜 時)
メバル 15-19p 3匹 ソフトルアー ルアー・エギング
ガシラ 14p 1匹    
   p  匹    
   p  匹    
最初12番の水道でやったが、潮が速くて釣りにならず。 釣人:のん <<<
中央-11番  2008/07/05 (夜間時〜 時)
アナゴ 25p 1匹 アオイソメ 投げ釣り
   p  匹    
   p  匹    
   p  匹    
今日はイマイチでした。 釣人:SHIGE
東-4番  2008/07/05 (終日時〜 時)
サヨリ 35p 1匹 オキアミ フカセ釣り
   p  匹    
   p  匹    
   p  匹    
まささんの釣果。サヨリ回遊中です。 釣人:管理人
東-4番  2008/07/05 (終日時〜 時)
グレ 24〜26p 2匹 オキアミ フカセ釣り
グレ 13〜17p 7匹    
サヨリ 30p 10匹    
   p  匹    
11時〜15時の釣果。グレの喰い、かなり悪いです。木っ葉が多く、苦労しました。 釣人:管理人
東-1番  2008/07/04 (夜間時〜 時)
アナゴ 30〜40p 3匹 アオイソメ 投げ釣り
   p  匹    
   p  匹    
   p  匹    
アナゴニョロニョロ! 釣人:SHIGE
西-5番  2008/07/02 (夕方時〜 時)
クロソイ 22p 1匹 岩ガニ 胴付き・探り釣り
   p  匹    
   p  匹    
   p  匹    
↓の投稿と重複しますが、管理人さんにメジャーあてて頂いた写真です。 釣人:ガシラハンター
西-5番  2008/07/02 (夕方時〜 時)
ガシラ 14〜16p 3匹 岩ガニ 胴付き・探り釣り
クロソイ 22p 1匹    
   p  匹    
   p  匹    
垂水の釣り情報HP開設3周年おめでとうございます。久々に投稿させていただきます。 釣人:ガシラハンター
西-5番  2008/07/02 (終日時〜 時)
グレ 24〜30p 6匹 オキアミ フカセ釣り
グレ 15〜17p 5匹    
   p  匹    
   p  匹    
10時半〜17時までやりましたが、午後は1枚も釣れませんでした。遠投です。 釣人:管理人
東-3番  2008/07/02 (終日時〜 時)
メバル リリースp 1匹 オキアミS フカセ釣り
海タナゴ リリースp 1匹    
オセン トンビにp 1匹    
   p  匹    
オセンの下にグレを確認出来たんですが よう釣らず・・・ 釣人:パイザー <<<
一文字-1番  2008/07/01 (終日時〜 時)
ガシラ 15〜28p 50匹 どんこ 胴付き・探り釣り
   p  匹    
   p  匹    
   p  匹    
管理人さんお久し振りでした。垂水一門字チヌ始まりましたよ!師匠と知人と私の釣果 釣人:としよん <<<
東-3番  2008/06/28 (午前中時〜 時)
ガシラ 13−21p 6匹 さば切り身 胴付き・探り釣り
ベラ 22p 1匹    
   p  匹    
   p  匹    
4時ー9時で釣りましたが、地合は6時半からの30分のみ・・ 釣人:ビール
東-1番  2008/06/28 (午前中時〜 時)
チヌ 40〜50p 2匹 オキアミ 紀州釣り
   p  匹    
   p  匹    
   p  匹    
ついに垂水の年なしゲット出来ました。
正太郎さん、わいるだーさん、ありがとう!
釣人:風
西-5番  2008/06/26 (終日時〜 時)
グレ 24〜29p 12匹 オキアミ フカセ釣り
   p  匹    
   p  匹    
   p  匹    
お昼から濁った潮が入りさっぱりでした。トモさん明日は頑張ってください。 釣人:ノリさん
西-5番  2008/06/25 (終日時〜 時)
グレ 27p 1匹 オキアミ フカセ釣り
木っ端グレ 18p 1匹    
   p  匹    
   p  匹    
今日は濁った水で釣りにならず… 釣れなかったのは誰だ?(笑) 釣人:わいるだー
中央-11番  2008/06/22 (夕方時〜 時)
ガシラ 25p 1匹 シラサエビ エビ撒き釣り
タイ 20p 1匹    
   p  匹    
   p  匹    
初投稿です。雨が降るし食いは悪いしの釣果です。 釣人:buuchan <<<
東-4番  2008/06/22 (午後時〜 時)
グレ 28p 1匹 オキアミ フカセ釣り
   p  匹    
   p  匹    
   p  匹    
少しだけ竿を出しました。
潮が悪すぎです。
釣人:3104k <<<
中央-11番  2008/06/21 (夕方時〜 時)
ガシラ 15-17p 2匹 ソフトルアー ルアー・エギング
   p  匹    
   p  匹    
   p  匹    
7時ころ一瞬活性が上がって2枚ゲット。同時に雨が来て釣にならず 釣人:のん <<<
東-4番  2008/06/21 (午前中時〜 時)
ガシラ 20p 1匹 青いそめ 胴付き・探り釣り
   p  匹    
   p  匹    
   p  匹    
今晩のビールの肴です。 釣人:ビール
西-5番  2008/06/20 (午後時〜 時)
グレ 24〜27p 2匹 オキアミ フカセ釣り
   p  匹    
   p  匹    
   p  匹    
降雨予報のせいで貸しきり状態、グレ一杯いるのに2匹しかよう釣りませんでした。 釣人:kもりた <<<
西-3番  2008/06/17 (午前中時〜 時)
グレ 22〜26p 5匹 オキアミ フカセ釣り
コッパグレ  p 3匹    
   p  匹    
   p  匹    
極小ハリにしたら食いました。でも軽いので
なかなか沈まずオセンに苦戦。
釣人:グチオヤジ
中央-11番  2008/06/16 (午後時〜 時)
グレ 20〜25p 4匹 オキアミ フカセ釣り
豆アジ サビキ  p 30匹 アミエビ  
   p  匹    
   p  匹    
ボラが多すぎます。木っ端も多いです。嫁はサビキで豆アジ、グレ、メバル釣りました。 釣人:東大阪ファミリー
西-5番  2008/06/14 (終日時〜 時)
ガシラ 20p 1匹 シラサエビ 投げ釣り
ギンポ 25p 1匹 アオイソメ  
   p  匹    
   p  匹    
ガシラはブラクリで釣りました。(型小さいのの多すぎ!) 釣人:kenchan
中央-11番  2008/06/14 (終日時〜 時)
グレ 22〜28p 3匹 オキアミ フカセ釣り
   p  匹    
   p  匹    
   p  匹    
木端が多くキープサイズはこの3匹だけでした。小アジのえさ取りも強敵でした。 釣人:ノリさん
東-1番  2008/06/06 (午前中時〜 時)
チヌ 21〜38p 3匹 オキアミ 紀州釣り
グレ 25p 1匹    
コッパ、チャリコ  p 5匹    
   p  匹    
10〜14時の釣果。潮、活性とも良好でしたが、えさとりに勝てず・・。 釣人:風
中央-11番  2008/06/14 (終日時〜 時)
グレ 24p 1匹 オキアミ フカセ釣り
   p  匹    
   p  匹    
   p  匹    
初フカセ。ノリさん、ありがとうございました。 釣人:ジオング
中央-10番  2008/06/12 (午後時〜 時)
ワラサ 75p 1匹 ハードルアー ルアー・エギング
ヒラメ 35p 1匹    
めばる 15p 1匹    
   p  匹    
取り込みに御協力していただいた方々、ありがとうございました。 釣人:れっち
東-1番  2008/06/12 (終日時〜 時)
グレ 〜25p 3匹 オキアミS フカセ釣り
   p  匹    
   p  匹    
   p  匹    
9:45〜14:45 午前中はボラに餌取りの反応多し 午後はボラに餌取り反応薄い 釣人:パイザー
西-5番  2008/06/12 (終日時〜 時)
グレ 20〜30p 19匹 オキアミ フカセ釣り
   p  匹    
   p  匹    
   p  匹    
9時〜16時の釣果。午前中は活性高く好調。午後、後半は全くグレ浮かず。 釣人:管理人
西-5番  2008/06/12 (終日時〜 時)
グレ 21〜29p 10匹 オキアミ フカセ釣り
   p  匹    
   p  匹    
   p  匹    
サトシF君の釣果です。 釣人:管理人
西-5番  2008/06/12 (午前中時〜 時)
グレ 25〜30p 4匹 オキアミ フカセ釣り
   p  匹    
   p  匹    
   p  匹    
クロさんの釣果です。 釣人:管理人 <<<
西-3番  2008/06/10 (午後時〜 時)
グレ 26〜27p 2匹 オキアミ フカセ釣り
   p  匹    
   p  匹    
   p  匹    
貧果報告。タクローさん、まいりました! 釣人:youやん
西-3番  2008/06/10 (午後時〜 時)
グレ 23〜25p 2匹 オキアミ フカセ釣り
   p  匹    
   p  匹    
   p  匹    
同場所でyouヤンさん2匹、タクローさん4匹の釣果。終日、潮が濁り喰い悪い。 釣人:管理人 <<<
西-5番  2008/06/10 (午前中時〜 時)
グレ 22〜26p 8匹 オキアミ フカセ釣り
   p  匹    
   p  匹    
   p  匹    
午前中浮いてる時間にもうちょっと数稼げたかも。濁りがでてからはダメでした 釣人:グチオヤジ
中央-9番  2008/06/09 (夜間時〜 時)
メバル 10前後p 11匹 ワーム ルアー・エギング
   p  匹    
   p  匹    
   p  匹    
  釣人:メバリングのヒデ
西-5番  2008/06/09 (午前中時〜 時)
グレ 24〜27p 14匹 オキアミ フカセ釣り
   p  匹    
   p  匹    
   p  匹    
超遠投、タナ矢引き。以外にズバッとウキが入り手元まで来るアタリが多かったです。 釣人:サトシ・F
東-4番  2008/06/08 (終日時〜 時)
グレ 25〜30p 4匹 オキアミ フカセ釣り
チヌ 40p 1匹    
グレ 木っ端p 2匹    
   p  匹    
マグレでグレ釣れました。蛇の生殺しのようなホンマに厳しい釣りでした。 釣人:蔵之臣
東-4番  2008/06/08 (終日時〜 時)
グレ 24〜26p 2匹 オキアミ フカセ釣り
グレ 木っ端p 3匹    
   p  匹    
   p  匹    
撃沈しました。
蔵ちゃん、まいりました。
釣人:3104k <<<
西-5番  2008/05/08 (午前中時〜 時)
グレ 20〜25p 4匹 オキアミ フカセ釣り
グレ 木っ端p 5匹    
   p  匹    
   p  匹    
オセンが異常に多く分離が難しいです。だんだんサイズが小さくなってきました… 釣人:わいるだー <<<
西-5番  2008/06/08 (午前中時〜 時)
グレ 22〜26p 6匹 オキアミ フカセ釣り
   p  匹    
   p  匹    
   p  匹    
雨予報につきワイルダーさんと2人で貸切状態でしたがテクニック不足でした。 釣人:トモ
中央-10番  2008/06/08 (午前中時〜 時)
カレイ 30p 1匹 アオイソメ 投げ釣り
   p  匹    
   p  匹    
   p  匹    
今日は空いていました。 釣人:SHIGE
一文字-9番  2008/06/07 (夜間時〜 時)
アコウ 30p 1匹 アオイソメ 落とし込み・前打ち
   p  匹    
   p  匹    
   p  匹    
赤のケミホタルを鍼の上につけたら20時頃にきました。 釣人:SHIGE
中央-11番  2008/06/08 (午後時〜 時)
グレ 20〜25p 2匹 オキアミ フカセ釣り
   p  匹    
   p  匹    
   p  匹    
3投目できたので今日はいけると思いましたが、撃沈でした。 釣人:東大阪ファミリー
中央-11番  2008/06/06 (終日時〜 時)
グレ 24〜26p 4匹 オキアミ フカセ釣り
グレ 20以下p 数匹    
   p  匹    
   p  匹    
浮いているだけって感じです。アタリが渋過ぎます・・・ 釣人:デイドリーム
東-1番  2008/06/07 (午後時〜 時)
チヌ 32〜46p 3匹 オキアミL 紀州釣り
メバル 12〜15p 3匹    
コッパ 18p 1匹    
   p  匹    
チヌ食い気上昇中です。全開までもう少し。 釣人:風
中央-11番  2008/06/06 (終日時〜 時)
グレ 20〜28p 5匹 オキアミ フカセ釣り
コッパ  p 5匹    
   p  匹    
   p  匹    
浮いてるけど漂う感じで食いは悪かったです。 釣人:まさ <<<
西-5番  2008/06/04 (夕方時〜 時)
ガシラ 18〜7p 6匹 シラサエビ 胴付き・探り釣り
グジメ? 22p 1匹    
   p  匹    
   p  匹    
ガシラの自己新です^^何者か分からないのが1匹つれました。ガシラの↑のやつです。 釣人:グリズリー
東-4番  2008/06/01 (終日時〜 時)
グレ 22〜28p 4匹 オキアミ フカセ釣り
   p  匹    
   p  匹    
   p  匹    
昼からはまったく釣りが出来なくなりました。 釣人:3104k
西-5番  2008/05/31 (午後時〜 時)
グレ 22〜27p 6匹 オキアミ フカセ釣り
グレ 木っ端p 4匹    
   p  匹    
   p  匹    
雨の後は良くないようです。海の色もかなり汚かったです。 釣人:わいるだー
東-1番  2008/06/01 (午前中時〜 時)
チヌ 31p 1匹 オキアミM、L 紀州釣り
ベラ 12〜15p 5匹    
   p  匹    
   p  匹    
8〜14時の釣行。チヌ活性イマイチ。
午後、赤潮漂着で釣りにならず。
釣人:風
中央-11番  2008/06/01 (終日時〜 時)
グレ 23〜30p 7匹 オキアミ フカセ釣り
   p  匹    
   p  匹    
   p  匹    
グレは沢山いましたが喰いが渋くなかなか釣れませんでした。 釣人:ノリさん
中央-11番  2008/05/31 (午前中時〜 時)
グレ 〜29p 7匹 オキアミSサイズ フカセ釣り
海タナゴ 18p 1匹    
メバル ミニp 1匹    
   p  匹    
3時間の釣り時間、往復3時間です。道路公団さ〜ん 早く工事終わらせて〜。 釣人:パイザー
東-9番  2008/05/30 (夜間時〜 時)
ガシラ 5〜17p 2匹 シラサエビ エビ撒き釣り
メバル 8〜13p 10〜15匹    
   p  匹    
   p  匹    
初投稿です。最近垂水に出没し始めました。GHさんに弟子入り希望です!w 釣人:グリズリー
中央-11番  2008/05/30 (午後時〜 時)
グレ 23〜29p 5匹 オキアミ フカセ釣り
木っ端グレ  p 3匹    
   p  匹    
   p  匹    
今日は、ずーっと2枚潮。この季節でウキを沈めるなんて!納竿までこんな状態でした。 釣人:東大阪ファミリー
西-5番  2008/05/30 (午後時〜 時)
グレ 20数p 1匹 オキアミSサイズ フカセ釣り
オセン 10〜15p 3匹    
ボラ  p 2匹    
   p  匹    
ちょっと見学の積りが・・・ 餌取りの分離が出来ませ〜ん。 釣人:パイザー
西-5番  2008/05/27 (終日時〜 時)
グレ 21〜26p 10匹 オキアミS フカセ釣り
木っ端  p 1匹    
   p  匹    
   p  匹    
グレの姿は濁っていたためあまりよく見えず。
今年初の2桁です。
釣人:勘太郎
中央-11番  2008/05/25 (午後時〜 時)
グレ 23〜29p 18匹 オキアミ フカセ釣り
   p  匹    
   p  匹    
   p  匹    
久しぶりに良く釣れました。小さいけど引きはやっぱりグレが楽しいです。 釣人:東大阪ファイミリー
西-5番  2008/05/25 (終日時〜 時)
グレ 23〜25p 4匹 オキアミ フカセ釣り
   p  匹    
   p  匹    
   p  匹    
やっぱり日曜はやりにくいです…1枚はKさんに差し上げました。 釣人:わいるだー
西-5番  2008/05/24 (午前中時〜 時)
グレ 20〜28p 10匹 オキアミ フカセ釣り
グレ 木っ端p 1匹    
   p  匹    
   p  匹    
11時頃から土砂降りの雨につき涙の撤退!
夕方までできていたら…
釣人:わいるだー
西-5番  2008/05/23 (午後時〜 時)
グレ 23〜24p 2匹 オキアミSサイズ フカセ釣り
ボラ 不明p 1匹    
アジ 15前後p 1匹    
   p  匹    
管理人さんすんません 舞子の釣果です垂水の中央及び西は人がいっぱいで・・・ 釣人:パイザー
西-5番  2008/05/21 (午前中時〜 時)
グレ 28〜30p 3匹 オキアミ フカセ釣り
グレ 27以下p 3匹    
   p  匹    
   p  匹    
秋口より型が良いような気が。あたりは滅茶シブで腕が伴わず厳しいです。 釣人:トモ
西-3番  2008/05/21 (終日時〜 時)
グレ 25〜29p 3匹 オキアミ フカセ釣り
   p  匹    
   p  匹    
   p  匹    
5番超人気ですので、3番からの餌付け宜しく。 釣人:youヤン <<<
西-5番  2008/05/21 (夕方時〜 時)
ガシラ 12〜21p 14匹 シラサエビ 胴付き・探り釣り
   p  匹    
   p  匹    
   p  匹    
ブベラ!ハベラ!!ガシラ!!! 釣人:ガシラハンター
西-5番  2008/05/21 (終日時〜 時)
グレ 22〜26p 3匹 オキアミ フカセ釣り
   p  匹    
   p  匹    
   p  匹    
とてもよい天気でした。何度もグレの姿を見たのですが釣りあげられませんでした。 釣人:タクロー
東-6番  2008/05/20 (午前中時〜 時)
グレ 21p 1匹 オキアミ フカセ釣り
木っ端  p 1匹    
メバル リリースp 6匹    
   p  匹    
チヌを釣に行ったのですが… 釣人:ひろ
西-5番  2008/05/19 (午前中時〜 時)
グレ 22〜26p 3匹 オキアミ フカセ釣り
   p  匹    
   p  匹    
   p  匹    
アタリは頻繁にあったが釣れたのはわずか。 釣人:勘太郎
中央-11番  2008/05/19 (終日時〜 時)
グレ 29p 1匹 オキアミSサイズ フカセ釣り
コウイカ 持ち帰りp  匹    
ミニメバル、ハゼ リリースp 1匹    
   p  匹    
終日粘ってやっと1匹です 籠天秤ではよく上がってました コウイカは掬いました。 釣人:パイザー
西-5番  2008/05/18 (終日時〜 時)
グレ 23〜27p 3匹 オキアミ フカセ釣り
   p  匹    
   p  匹    
   p  匹    
西エリアは超満員。後半は強風のため早めに納竿。 釣人:管理人
西-5番  2008/05/17 (午前中時〜 時)
グレ 22〜27p 6匹 オキアミ フカセ釣り
グレ 木っ葉p 1匹    
   p  匹    
   p  匹    
楽しく釣れました。 釣人:西っさん
一文字-4番  2008/05/17 (午後時〜 時)
グレ 23〜26p 14匹 オキアミ フカセ釣り
ガシラ 15p 5匹    
   p  匹    
   p  匹    
今日は人もまばらでゆっくりできました。 釣人:ノリさん
東-7番  2008/05/17 (夜間時〜 時)
スズキ 45p 1匹 ルアー ルアー・エギング
メバル 10〜15p 38匹    
   p  匹    
   p  匹    
スズキはミノー、メバルはソフトルアーやメタルジグなど何でもヒットしました。 釣人:れっち
西-5番  2008/05/15 (午後時〜 時)
グレ 27p 2匹 オキアミ フカセ釣り
  24p 1匹    
   p  匹    
   p  匹    
15時半以降はあまり浮かず。 釣人:勘太郎
中央-11番  2008/05/07 (午後時〜 時)
グレ 24p 1匹 オキアミ フカセ釣り
   p  匹    
   p  匹    
   p  匹    
浮いてきたのは潮どまりから西流れに変わってから。撒餌が無くなり時間切れ・・残念! 釣人:金ちゃん
西-5番  2008/05/14 (終日時〜 時)
グレ 23〜27p 5匹 オキアミ フカセ釣り
木っ端グレ 15〜20p 5匹    
   p  匹    
   p  匹    
自己新記録2桁達成です!(木っ端入れてですけど…) 釣人:わいるだー
中央-11番  2008/05/13 (午後時〜 時)
グレ 23p 1匹 オキアミ フカセ釣り
   p  匹    
   p  匹    
   p  匹    
やっと釣れました。釣り始めから雨で風邪引きそうになりました。納竿前にアタリ。 釣人:東大阪ファミリー <<<
西-5番  2008/05/13 (終日時〜 時)
グレ 22〜28p 7匹 オキアミ フカセ釣り
   p  匹    
   p  匹    
   p  匹    
午前中はグレが浮きましたが、午後は雨も降りさっぱり。14時以降は釣果無しです。 釣人:管理人
西-5番  2008/05/12 (終日時〜 時)
グレ 24〜27p 3匹 オキアミ フカセ釣り
   p  匹    
   p  匹    
   p  匹    
午前中は良く浮いていました。掛ける腕が無いですけど。終盤雨で参りました・・・ 釣人:デイドリーム
西-5番  2008/05/13 (午前中時〜 時)
グレ 29,30p 2匹 オキアミ フカセ釣り
   p  匹    
   p  匹    
   p  匹    
なかなか難しい。型がよかったのがラッキー
管理人さんの隣で釣らせて頂きました。
釣人:グチオヤジ
一文字-4番  2008/05/11 (終日時〜 時)
グレ 28p 1匹 オキアミ フカセ釣り
グレ 20〜25p 2匹    
フグ 15p 1匹    
   p  匹    
今期初グレです。 釣人:蔵之臣
一文字-4番  2008/05/11 (終日時〜 時)
グレ 22〜26p 10匹 オキアミ フカセ釣り
   p  匹    
   p  匹    
   p  匹    
4番東側の1ヶ所のみ浮く場所があるようです。全体的に型が小さいです。 釣人:デイドリーム
西-5番  2008/05/09 (午後時〜 時)
グレ 27〜28p 2匹 オキアミ フカセ釣り
グレ 24p 1匹    
   p  匹    
   p  匹    
遅ればせながら、初グレ! 釣人:なおさん
西-5番  2008/05/08 (終日時〜 時)
グレ 20〜24p 7匹 オキアミ フカセ釣り
グレ 木っ端p 2匹    
小タナゴ  p 1匹    
   p  匹    
何とか初グレGETです。 釣人:勘太郎
西-5番  2008/05/08 (終日時〜 時)
グレ 22〜29p 14匹 オキアミ フカセ釣り
グレ 17p 1匹    
   p  匹    
   p  匹    
3連敗は免れました。午後から良く浮きましたが、喰いはかなり悪いです。 釣人:管理人
西-5番  2008/05/06 (午前中時〜 時)
グレ 27〜28p 2匹 オキアミ フカセ釣り
   p  匹    
   p  匹    
   p  匹    
GW3連勝です 釣人:わいるだー <<<
西-5番  2008/05/06 (午前中時〜 時)
グレ 22〜26p 5匹 オキアミ フカセ釣り
   p  匹    
   p  匹    
   p  匹    
西5で初めてのグレです。 釣人:ノリさん
西-5番  2008/05/06 (終日時〜 時)
グレ 29.5p 1匹 オキアミ フカセ釣り
グレ 18〜28p 4匹    
グレ 23p 1匹    
   p  匹    
1匹は太志が釣りました。午前中の釣果。 釣人:西っさん、太志
西-3番  2008/05/06 (午後時〜 時)
グレ 22p 1匹 オキアミ フカセ釣り
   p  匹    
   p  匹    
   p  匹    
2時以降グレの姿が消えました。 釣人:まさ <<<
西-5番  2008/05/06 (午前中時〜 時)
グレ 25p 2匹 オキアミ フカセ釣り
  20p 2匹    
   p  匹    
   p  匹    
4日に続いてGW2回目の挑戦。やっぱり見えているグレは釣れませんでした。 釣人:トモ <<<
中央-9番  2008/05/04 (夜間時〜 時)
ガシラ 16〜26p 3匹 ソフトルアー ルアー・エギング
   p  匹    
   p  匹    
   p  匹    
19時ころが一番釣れるように思います。小さいのは数匹リリース 釣人:のん
西-5番  2008/05/04 (午前中時〜 時)
グレ 25p 1匹 オキアミ フカセ釣り
   p  匹    
   p  匹    
   p  匹    
初グレ。見えている魚は厳しいです。わいるだーさん、西っさんサンありがとう。 釣人:トモ <<<
西-5番  2008/05/04 (午後時〜 時)
グレ 24p 1匹 オキアミ フカセ釣り
グレ 木っ葉p 2匹    
   p  匹    
   p  匹    
今年初グレですごく嬉しいです。グレなくて良かったです。 釣人:西っさん <<<
西-5番  2008/05/04 (終日時〜 時)
グレ 25〜27p 2匹 オキアミ フカセ釣り
   p  匹    
   p  匹    
   p  匹    
昨日の撒き餌が効いてました。アタリは結構あったのですが腕が伴わず… 釣人:わいるだー <<<
一文字-8番  2008/05/03 (終日時〜 時)
メバル 34p 1匹 青虫 ウキ釣り
メバル 28p 1匹    
メバル 23〜26p 5匹    
   p  匹    
4人で一文字へメバル釣りに行きました。みんなで、50匹ぐらい釣れましたよ。 釣人:あきお
西-5番  2008/05/03 (午後時〜 時)
グレ 27p 1匹 オキアミ フカセ釣り
   p  匹    
   p  匹    
   p  匹    
開幕戦グレGETです。 釣人:わいるだー <<<
一文字-4番  2008/05/03 (午後時〜 時)
グレ 23〜29p 5匹 オキアミ フカセ釣り
   p  匹    
   p  匹    
   p  匹    
今年初めてのグレです。カゴ釣りの人は10程度釣ってました。<br> 釣人:ノリさん
西-5番  2008/05/03 (終日時〜 時)
グレ 23p 1匹 オキアミ フカセ釣り
   p  匹    
   p  匹    
   p  匹    
今シーズン垂水での初グレ!時々浮いていました。 釣人:まさ
西-5番  2008/05/03 (夕方時〜 時)
グレ 28p 1匹 オキアミ フカセ釣り
   p  匹    
   p  匹    
   p  匹    
垂水初グレ 少数が時々確認できます。 釣人:youやん
西-5番  2008/05/03 (午前中時〜 時)
グレ 21〜24p 3匹 オキアミ フカセ釣り
グレ 木っ端p 1匹    
   p  匹    
   p  匹    
帰り際に数匹浮きました。 釣人:3104k <<<
中央-2番  2008/05/01 (終日時〜 時)
チヌ 46p 1匹 オキアミ フカセ釣り
   p  匹    
   p  匹    
   p  匹    
午後からはボラの群れが撒き餌を食い散らして困りました。 釣人:やまぱぱ
東-9番  2008/04/29 (午後時〜 時)
カレイ 28〜29p 2匹 青虫 ブッコミ釣り
   p  匹    
   p  匹    
   p  匹    
のんびりも楽しいけど呑み過ぎてしまいます。 釣人:3104k
東-4番  2008/04/29 (午後時〜 時)
ガシラ 15p 1匹 オキアミ フカセ釣り
ワカメ  p 数枚匹    
   p  匹    
   p  匹    
釣り日和でしたが、アタリはコブらしきもの1回だけ。 釣人:風 <<<
東-4番  2008/04/25 (午後時〜 時)
チヌ 34p 1匹 オキアミ フカセ釣り
   p  匹    
   p  匹    
   p  匹    
潮が緩んでいる間に藻の切れ目で。
3ヒロ。 バラシ1。
釣人:勘太郎
東-4番  2008/04/20 (終日時〜 時)
チヌ 30〜31p 2匹 オキアミ フカセ釣り
   p  匹    
   p  匹    
   p  匹    
アタリが出だして楽しい時期になりました。 釣人:3104k
東-4番  2008/04/20 (午後時〜 時)
チヌ 25〜34p 2匹 オキアミ フカセ釣り
   p  匹    
   p  匹    
   p  匹    
大分活性も良くなってきたようです。子メバル多し。ポイントは竿1本〜2本。 釣人:デイドリーム
中央-9番  2008/04/19 (夜間時〜 時)
メバル 23p 1匹 ソフトルアー ルアー・エギング
ガシラ 18p 2匹    
メバル 10-12p 数匹    
   p  匹    
夕方17時から始めたが、釣れ出したのは19時から。 釣人:のん
東-11番  2008/04/19 (午後時〜 時)
ヒラメ 28p 1匹 ワーム ルアー・エギング
   p  匹    
   p  匹    
   p  匹    
ソフトルアーのボトムバンピングでヒットしました。 釣人:れっち
東-4番  2008/04/19 (午後時〜 時)
チヌ 28p 3匹 オキアミL フカセ釣り
セイゴ 45p 1匹    
メバル 12p 2匹    
   p  匹    
若チヌの活性も上がってきました。 釣人:風
一文字   2008/04/12 (午前中時〜 時)
ガシラ 18〜27p 30匹 シラサえび 胴付き・探り釣り
   p  匹 アオイソメ  
   p  匹    
   p  匹    
詳細はこちらに
[Web]
釣人:おつかいまるくん
東-6番  2008/04/13 (終日時〜 時)
チヌ 44p 1匹 オキアミ フカセ釣り
ガシラ 15〜23p 3匹    
   p  匹    
   p  匹    
らしき渋〜いアタリは2回ほど?6番でも場所により状況がかなり違う様です。 釣人:デイドリーム
東-6番  2008/04/13 (終日時〜 時)
メバル 21p 1匹 オキアミ フカセ釣り
アイナメ 18p 1匹    
   p  匹    
   p  匹    
河口南東角の釣果。終日粘りましたがアタリは数えるほどしかありませんでした。 釣人:管理人 <<<
東-6番  2008/04/13 (午後時〜 時)
チヌ 45p 1匹 生オキアミ フカセ釣り
アブラメ 25p 1匹    
   p  匹    
   p  匹    
他に同型を根ズレ2回、サシエかじられ1回。全部違う位置。チヌ数は相当居ます 釣人:もりちゃん <<<
東-6番  2008/04/12 (午後時〜 時)
チヌ 34p 1匹 オキアミ フカセ釣り
   p  匹    
   p  匹    
   p  匹    
久しぶりのチヌゲットでした。 釣人:まさ
中央-7番  2008/04/12 (夜間時〜 時)
ガシラ 23p 1匹 ソフトルアー ルアー・エギング
メバル 10-12p 4匹    
   p  匹    
   p  匹    
潮が引いて浅くて釣り辛かった 釣人:のん
東-6番  2008/04/06 (終日時〜 時)
チヌ 30p 1匹 オキアミ フカセ釣り
   p  匹    
   p  匹    
   p  匹    
チヌの気配はほとんど無し。まぐれで釣れましたが厳しいです。 釣人:デイドリーム
中央-10番  2008/04/05 (夜間時〜 時)
ガシラ 20.5p 1匹 ソフトルアー ルアー・エギング
   p  匹    
   p  匹    
   p  匹    
帰り際にようやく1匹ゲット。 釣人:のん <<<
東-6番  2008/04/05 (終日時〜 時)
チヌ 43p 1匹 オキアミ フカセ釣り
チヌ 35p 1匹    
   p  匹    
   p  匹    
ホンダワラ要注意です。底の水温はまだ低いようですが際底で釣れました。 釣人:ノリさん
東-6番  2008/04/04 (午後時〜 時)
メバル 10p 5匹 オキアミ フカセ釣り
   p  匹    
   p  匹    
   p  匹    
小メバル多い。エサ取り対策必要。14時、福田川河口に網が入り、チヌの気配無し。 釣人:管理人 <<<
東-6番  2008/04/02 (終日時〜 時)
タナゴ 22〜25p 3匹 オキアミ フカセ釣り
メバル 12〜15p 3匹    
   p  匹    
   p  匹    
東3名が掛かられていましたがチヌは出ず。
餌盗りはやや活発になっています。
釣人:youやん
東-6番  2008/03/30 (午前中時〜 時)
メバル 15〜22p 3匹 オキアミ フカセ釣り
   p  匹    
   p  匹    
   p  匹    
雨の中、無理矢理の釣行。にごりは入ってたものの本命は釣れず・・・ 釣人:もりさん <<<
中央-7番  2008/03/29 (夜間時〜 時)
メバル 20.5p 1匹 ソフトルアー ルアー・エギング
   p  匹    
   p  匹    
   p  匹    
寒さに耐えながらやっと1匹ゲット。東エリアはやたらに藻が多くルアーにならず。 釣人:のん <<<
東-6番  2008/03/29 (終日時〜 時)
フグ 31.5p 1匹 オキアミ フカセ釣り
   p  匹    
   p  匹    
   p  匹    
自己記録です。ヒガンフグという名前です。蛙ではありません。 釣人:ノリさん
東-6番  2008/03/29 (終日時〜 時)
チヌ 48.5p 1匹 アキアミ フカセ釣り
   p  匹    
   p  匹    
   p  匹    
際の底で微妙にシモる程度。一斉の「バラせコール」ありがとうございました♪ 釣人:蔵之臣
東-6番  2008/03/29 (終日時〜 時)
チヌ 39.5p 1匹 オキアミ フカセ釣り
   p  匹    
   p  匹    
   p  匹    
竿2本先、タナ4ヒロ。アタリはかなり小さいです。 釣人:管理人
東-6番  2008/03/27 (終日時〜 時)
チヌ 37.5p 1匹 オキアミ フカセ釣り
   p  匹    
   p  匹    
   p  匹    
何度目の正直か・・・際底。乗っ込みとは程遠い活性の低さでした。アタリは1回のみ。 釣人:デイドリーム
東-6番  2008/03/26 (終日時〜 時)
チヌ 40p 1匹 オキアミ フカセ釣り
   p  匹    
   p  匹    
   p  匹    
際底で釣れました。他に子アイナメ、子メバル数匹です。下げ潮の時はいまいちです。 釣人:ノリさん
東-6番  2008/03/22 (午後時〜 時)
チヌ 49.5p 1匹 オキアミ フカセ釣り
チヌ 42p 1匹    
   p  匹    
   p  匹    
気温もあがり小魚も見えるようになりました。久しぶりにチヌゲットです。 釣人:ノリさん
西-2番  2008/03/22 (午前中時〜 時)
アイナメ 13p 1匹 オキアミ 胴付き・探り釣り
   p  匹    
   p  匹    
   p  匹    
周りも全然釣れてませんでしたが、たまたま引っ掛かってました 釣人:ふっか <<<
東-4番  2008/03/16 (午後時〜 時)
メバル 12p 1匹 オキアミ フカセ釣り
   p  匹    
   p  匹    
   p  匹    
活性極めて低いです。 釣人:風 <<<
東-6番  2008/03/13 (午後時〜 時)
ウミタナゴ 25p 1匹 オキアミ フカセ釣り
   p  匹    
   p  匹    
   p  匹    
かろうじて晩飯GETです。 釣人:勘太郎
東-1番  2008/03/09 (午後時〜 時)
ガシラ 16p 1匹 オキアミ フカセ釣り
   p  匹    
   p  匹    
   p  匹    
チヌ狙いだったのですが・・・。 釣人:西っさん
一文字-4番  2008/03/09 (終日時〜 時)
ガシラ 5p 1匹 オキアミ フカセ釣り
   p  匹    
   p  匹    
   p  匹    
東外側テトラで常連さんがチヌ3枚上げました。潮が緩んだ時がチャンスです。 釣人:ノリさん
中央-9番  2008/03/09 (午前中時〜 時)
メバル 10・13p 2匹 ルアー ルアー・エギング
   p  匹    
   p  匹    
   p  匹    
朝7時半〜9時半までの釣果です。あたりは4から5回程度ありました。 釣人:ひろ
中央-9番  2008/03/08 (夜間時〜 時)
メバル 18-20p 2匹 ソフトルアー ルアー・エギング
   p  匹    
   p  匹    
   p  匹    
港は透明度が高過ぎて日が落ちるまであたりなし。油はなし。 釣人:のん
東-4番  2008/03/08 (午後時〜 時)
メバル 10p 1匹 オキアミL フカセ釣り
クジメ 13p 1匹    
   p  匹    
   p  匹    
重油の漂着は今のところ、ありません。
活性低く、キビレが浮いています。
釣人:風 <<<
中央-5番  2008/03/02 (午後時〜 時)
メバル 15p 1匹 ルアー ルアー・エギング
   p  匹    
   p  匹    
   p  匹    
初めてのメバリングで1匹ゲットです。誰も釣れていませんでした。 釣人:ひろ
東-4番  2008/02/24 (午後時〜 時)
チヌ 41p 1匹 オキアミL フカセ釣り
クジメ 15p 1匹    
   p  匹    
   p  匹    
ホンダワラの隙間へ落とし込む感じです。
チヌはアタリも引きも鈍く、ほぼ底で。
釣人:風
東-8番  2008/02/21 (夜間時〜 時)
ガシラ 22p 1匹 ワーム ルアー・エギング
   p  匹    
   p  匹    
   p  匹    
久しぶりの東エリア メバル狙いでしたが嬉しい1匹でした。 釣人:チョッパー <<<
中央-5番  2008/02/17 (午後時〜 時)
カレイ 29p 1匹 青イソメ 投げ釣り
   p  匹    
   p  匹    
   p  匹    
16時半に西エリア9番方面に投げてきました。 釣人:禁煙中 <<<
西-5番  2008/02/12 (午後時〜 時)
ガシラ 12〜18p 6匹 シラサエビ 胴付き・探り釣り
   p  匹    
   p  匹    
   p  匹    
寒かったです。2匹お持ち帰り。小さいサイズは生かしリリース。 釣人:ガシラハンター
東-4番  2008/02/11 (午後時〜 時)
ガシラ 23p 1匹 オキアミ フカセ釣り
   p  匹    
   p  匹    
   p  匹    
ホンダワラが強敵でした。潮どまりにワカメ取り。 釣人:ノリさん
中央-7番  2008/02/11 (夕方時〜 時)
コブダイ 45p 1匹 カキ ブッコミ釣り
   p  匹    
   p  匹    
   p  匹    
15時半〜18時までの釣果。2人でアタリ1回だけでした。まだ時期が早い様です。 釣人:管理人
東-3番  2008/02/10 (午後時〜 時)
チヌ 45p 1匹 オキアミL フカセ釣り
アイナメ 15p 1匹    
   p  匹    
   p  匹    
久々の釣行。チヌはテトラ際、ホンダワラに
絡みそうで危ないところでした。
釣人:風
一文字-4番  2008/01/27 (終日時〜 時)
チヌ 47p 1匹 オキアミ フカセ釣り
メバル 20p 1匹    
   p  匹    
   p  匹    
15時半ごろ、潮が緩んだ瞬間に来ました。全体5人で6枚だけでした。 釣人:天野
西-5番  2008/01/27 (午後時〜 時)
チヌ 37p 1匹 オキアミ フカセ釣り
   p  匹    
   p  匹    
   p  匹    
初めて西5番で釣りました。場所に恵まれました。 釣人:ノリさん
西-5番  2008/01/26 (終日時〜 時)
グレ 23p 1匹 オキアミ フカセ釣り
ガシラ 10〜17p 3匹    
   p  匹    
   p  匹    
今年初のグレです 釣人:リンタロウ
西-5番  2008/01/23 (午後時〜 時)
ガシラ 10〜15p 4匹 魚の切り身 胴付き・探り釣り
   p  匹    
   p  匹    
   p  匹    
ぜんぜんあきまへん。さぶいからかなぁ。 釣人:ガシラハンター
西-5番  2008/01/20 (午前中時〜 時)
グレ 29p 1匹 アオサ フカセ釣り
   p  匹    
   p  匹    
   p  匹    
10時ごろのヒット。タナは3、5〜4,5ヒロ。その後は雨風強く昼過ぎ納竿。 釣人:もりさん
西-5番  2008/01/19 (午後時〜 時)
コブダイ 42p 1匹 練り餌 フカセ釣り
メバル 15p 1匹 オキアミ  
   p  匹    
   p  匹    
4時過ぎにきました。隣の方に手伝ってもらってようやく上がりました。 釣人:テル <<<
西-4番  2008/01/19 (夕方時〜 時)
ガシラ 15〜22p 8匹 アオイソメ 胴付き・探り釣り
   p  匹    
   p  匹    
   p  匹    
大きいのは刺身にしました。3匹リリース。 釣人:しおんぐ <<<
東-4番  2008/01/19 (午後時〜 時)
チヌ 35p 1匹 オキアミ フカセ釣り
タナゴ 23p 1匹    
ガシラ 15〜18p 2匹    
   p  匹    
なんとかチヌゲットです。藻が伸びていてつりにくいです。タナゴは子供がつりました。 釣人:ノリさん
西-5番  2008/01/17 (午後時〜 時)
グレ 23〜30p 5匹 アオサ フカセ釣り
   p  匹    
   p  匹    
   p  匹    
潮はあまり動かず。タナは3.5〜4ヒロ。風が強く、寒い1日でした。 釣人:管理人
東-4番  2008/01/14 (終日時〜 時)
チヌ 37p 1匹 オキアミ フカセ釣り
   p  匹    
   p  匹    
   p  匹    
午前中東1番でアオサで無謀な挑戦も寒風で死にかけ東4番へ移動。1枚バラし。 釣人:蔵之臣
東-4番  2008/01/14 (午後時〜 時)
チヌ 28〜42p 2匹 オキアミ生 フカセ釣り
   p  匹    
   p  匹    
   p  匹    
竿2〜3本先、2.5ヒロ〜下への沈め釣り。もう一枚40UP掛けたけど針外れ。 釣人:もりちゃん <<<
西-5番  2007/01/14 (午後時〜 時)
グレ 26〜29p 4匹 アオサ フカセ釣り
   p  匹    
   p  匹    
   p  匹    
釣れたのは12時半〜15時の間のみ。潮が緩んだ時だけアタリがありました。 釣人:管理人
一文字-4番  2008/01/14 (午後時〜 時)
グレ 30p 1匹 オキアミ フカセ釣り
メバル 18〜23p 5匹 シラサエビ  
   p  匹    
   p  匹    
子供がメバルを釣りました。 釣人:ノリさん
東-4番  2008/01/13 (午後時〜 時)
チヌ 27〜35p 3匹 オキアミ フカセ釣り
   p  匹    
   p  匹    
   p  匹    
アタリは渋々でした。 釣人:3104k
西-5番  2008/01/13 (終日時〜 時)
グレ 25〜28p 3匹 アオサ フカセ釣り
メバル 16p 1匹 オキアミ  
   p  匹    
   p  匹    
タナは3〜5ヒロ。相変わらず素針、居食い多し。難しいです・・・ 釣人:デイドリーム
西-5番  2008/01/13 (終日時〜 時)
グレ 23〜29p 5匹 アオサ フカセ釣り
メバル 15p 1匹 オキアミ  
   p  匹    
   p  匹    
場所が良かった感じです。タナは3〜4ヒロ。 釣人:サトシ・F
西-5番  2008/01/13 (午後時〜 時)
グレ 25〜27p 2匹 アオサ フカセ釣り
   p  匹    
   p  匹    
   p  匹    
タナは3.5〜4ヒロ。後半は潮が速く、さっぱりでした。 釣人:管理人
東-3番  2008/01/13 (終日時〜 時)
チヌ 40p 1匹 オキアミL フカセ釣り
ガシラ 15p 1匹    
クジメ 15p 1匹    
   p  匹    
11時〜17時の釣果。
チヌは13時頃HITもその後アタリ遠のく。
釣人:風
西-5番  2008/01/12 (午後時〜 時)
グレ 25p 1匹 アオサ フカセ釣り
   p  匹    
   p  匹    
   p  匹    
タナ3〜4ヒロ、アタリ有るが渋すぎる。カモメに注意本日2度かかる。 釣人:まさ
西-5番  2008/01/09 (午後時〜 時)
ガシラ 10〜18p 3匹 魚の切り身 胴付き・探り釣り
   p  匹    
   p  匹    
   p  匹    
水温低下のせいかガシラも活性が悪いです…(オールリリース) 釣人:ガシラハンター
西-5番  2008/01/09 (終日時〜 時)
グレ 25p 1匹 アオサ フカセ釣り
   p  匹    
   p  匹    
   p  匹    
西のグレはついにアオサまでスルー??微かなアタリはあれど喰い込まず素針多し・・・ 釣人:デイドリーム
一文字-4番  2008/01/06 (午後時〜 時)
チヌ 36p 1匹 オキアミ フカセ釣り
グレ 26、30p 2匹    
   p  匹    
   p  匹    
今年初めてのチヌが釣れました。一文字は日ごとに釣れなくなりました。 釣人:ノリさん
東-4番  2008/01/06 (午後時〜 時)
チヌ 27〜32p 4匹 オキアミ フカセ釣り
   p  匹    
   p  匹    
   p  匹    
今年初チヌです。
2枚バラシちゃいました
釣人:3104k
東-4番  2008/01/06 (終日時〜 時)
チヌ 27p 1匹 オキアミ フカセ釣り
   p  匹    
   p  匹    
   p  匹    
際狙いですが根掛かり多いです。
活性は高そうです。
釣人:サトシ・F
東-4番  2008/01/06 (終日時〜 時)
チヌ 29〜33p 3匹 オキアミ フカセ釣り
アジ 17〜19p 3匹    
ガシラ   12〜16p 4匹    
   p  匹    
まぐれですが際狙いでタナは底。アタリは微妙でした。大型針折れでバラシ有り。 釣人:デイドリーム
東-3番  2008/01/06 (終日時〜 時)
チヌ 30〜40p 3匹 オキアミM,L フカセ釣り
ガシラ 12〜15p 4匹    
マハゼ 15p 1匹    
   p  匹    
TFC東組の皆さん、お疲れさまでした。
東4番から5番にかけ工事中です。
釣人:風
西-3番  2008/01/05 (午後時〜 時)
グレ 25p 1匹 ハバノリ フカセ釣り
   p  匹    
   p  匹    
   p  匹    
やっと今年初グレです。
今度は初チヌ狙います!
釣人:3104k
西-5番  2008/01/05 (終日時〜 時)
グレ 24〜26p 3匹 アオサ フカセ釣り
   p  匹    
   p  匹    
   p  匹    
喰いはとっても渋いです。タナは4ヒロ以下。夕方までアタリなし。 釣人:デイドリーム
西-5番  2008/01/05 (終日時〜 時)
グレ 25〜27p 3匹 アオサ フカセ釣り
   p  匹    
   p  匹    
   p  匹    
15時まで全くアタリ無し。夕方、潮が緩み出して釣れました。タナは3〜4ヒロ。 釣人:管理人
西-5番  2008/01/04 (午後時〜 時)
グレ 24〜26p 2匹 オキアミ フカセ釣り
メバル 12〜18p 5匹 アオサ  
   p  匹    
   p  匹    
ようやく今年初グレ。大型2回バラシ・・・オキアミにはスルー。タナ3ヒロ以下。 釣人:デイドリーム
西-5番  2008/01/03 (終日時〜 時)
グレ 29〜30p 2匹 オキアミ フカセ釣り
   p  匹 アオサ  
   p  匹    
   p  匹    
西風強く釣り辛かった。オキアミには反応薄く、2匹ともアオサにて、棚は3ヒロ。 釣人:もりさん
東-3番  2008/01/03 (午後時〜 時)
チヌ 34〜37p 3匹 オキアミM,L フカセ釣り
ガシラ 13〜20p 5匹    
   p  匹    
   p  匹    
11〜16時の釣果。チヌは際3ヒロ〜底。
活性悪くないです。
釣人:風
中央-11番  2008/01/02 (午前中時〜 時)
メバル 14〜18p 4匹 シラサ エビ撒き釣り
   p  匹 ブツ  
   p  匹    
   p  匹    
早朝初釣り寒かったです、東OR西の方が型が良いようです。 釣人:まさ <<<
東-6番  2007/12/29 (終日時〜 時)
チヌ 39~42p 2匹 オキアミ フカセ釣り
   p  匹    
   p  匹    
   p  匹    
42cmは自分、39cmは同行者です。 釣人:のぐお
西-5番  2007/12/29 (午後時〜 時)
グレ 29p 1匹 オキアミ フカセ釣り
アジ 16〜17p 2匹    
   p  匹    
   p  匹    
釣り納めのやり直しで何とかボウズは免れましたが・・・来年は頑張ります。 釣人:デイドリーム
西-5番  2007/12/29 (終日時〜 時)
グレ コッパp 1匹 オキアミ フカセ釣り
メバル 17〜20p 3匹    
   p  匹    
   p  匹    
釣り収めなのに惨敗・・・デイちゃんグレありがとうね〜。皆さん良い御年を〜 釣人:まさ <<<
東-3番  2007/12/29 (午前中時〜 時)
コブダイ 20〜30p 2匹 オキアミM、L フカセ釣り
ガシラ 15p 1匹    
チャリコ 15p 2匹    
   p  匹    
天候心配でしたが釣り納めできました。 釣人:風 <<<
西-5番  2007/12/27 (終日時〜 時)
グレ 24〜31p 4匹 オキアミ フカセ釣り
アジ 19p 3匹    
   p  匹    
   p  匹    
午前中はエサ取りも無し。タナは3〜4ヒロ。31pは遠投で。 釣人:管理人
西-5番  2007/12/27 (終日時〜 時)
グレ 28p 1匹 オキアミ フカセ釣り
   p  匹    
   p  匹    
   p  匹    
かなり喰いは渋いです。 釣人:サトシ・F
西-5番  2007/12/26 (午後時〜 時)
ガシラ 10〜19p 13匹 シラサエビ 胴付き・探り釣り
   p  匹    
   p  匹    
   p  匹    
釣り納め行ってきました。イマイチの釣果でした。 釣人:ガシラハンター
西-5番  2007/12/25 (午後時〜 時)
グレ 約20〜p 4匹 オキアミ フカセ釣り
   p  匹    
   p  匹    
   p  匹    
3時前に1匹、4時前後に続けて3匹。未だにパターンがわかりません。 釣人:タクロー
東-4番  2007/12/23 (終日時〜 時)
チヌ 27.5p 1匹 オキアミ フカセ釣り
コブダイ 31p 1匹    
ガシラ 12〜15p 3匹    
   p  匹    
初めからチヌ狙いとの意見も有りますが、ポイントは少し沖でした。タナは底。 釣人:デイドリーム
一文字-4番  2007/12/24 (午後時〜 時)
グレ 23〜31p 9匹 オキアミ フカセ釣り
   p  匹    
   p  匹    
   p  匹    
今日も31センチが出ました。3回ハリス切れ。 釣人:ノリさん
東-4番  2007/12/23 (終日時〜 時)
チヌ 39p 1匹 オキアミS〜L フカセ釣り
ガシラ 10〜18p 5匹    
   p  匹    
   p  匹    
チヌは昼すぎ頃、3ヒロ半位。
グレ狙いスタートも早々にチヌに変更。
釣人:風 <<<
東-4番  2007/12/23 (終日時〜 時)
チヌ 34p 1匹 オキアミ フカセ釣り
メバル 20p 1匹    
   p  匹    
   p  匹    
グレ狙いでしたが反応無い為、深タナでチヌゲット。(4ヒロぐらい) 釣人:まさ <<<
東-3番  2007/12/23 (終日時〜 時)
メバル ミニp 2匹 オキアミ フカセ釣り
ガシラ ミニp 5匹    
   p  匹    
   p  匹    
グレ釣り大会の結果です 明日のおかずの一品となりました。 釣人:pyzar
西-5番  2007/12/21 (午後時〜 時)
グレ 24〜31p 7匹 オキアミ フカセ釣り
メバル 16p 1匹    
   p  匹    
   p  匹    
最近じゃ最もマシな釣果でした。漸く30オーバーゲット。タナは深く3ヒロ以下。 釣人:デイドリーム
西-5番  2007/12/19 (終日時〜 時)
グレ 22〜29p 13匹 オキアミ フカセ釣り
   p  匹    
   p  匹    
   p  匹    
一枚目は14時。グレは全く浮いてません。タナは1〜5ヒロとまちまち。 釣人:管理人
一文字-3番  2007/12/16 (午後時〜 時)
グレ 26〜31p 7匹 オキアミ フカセ釣り
   p  匹    
   p  匹    
   p  匹    
久しぶりにグレ釣りをしました。30cmがでました。 釣人:ノリさん
西-5番  2007/12/16 (午後時〜 時)
グレ 17〜20p 4匹 オキアミ フカセ釣り
タナゴ 10〜15p 10匹    
   p  匹    
   p  匹    
携帯で撮った写真添付できません…
夕方から浮きました…
釣人:わいるだー <<<
東-4番  2007/12/16 (終日時〜 時)
チヌ 31p 1匹 オキアミ フカセ釣り
グレ 26p 1匹    
   p  匹    
   p  匹    
行くたびに数が釣れなくなってる
難しいです。
釣人:3104k
東-3番  2007/12/16 (午後時〜 時)
チヌ 30p 1匹 オキアミ フカセ釣り
メバル 15p 2匹    
ガシラ 15p 1匹    
   p  匹    
グレ狙いでした。チヌは3ヒロ。 釣人:風
中央-10番  2007/12/15 (夕方時〜 時)
アコウ 25p 1匹 アオイソメ 胴付き・探り釣り
ガシラ 19p 1匹    
ウミタナゴ 21p 1匹    
   p  匹    
ボーズ脱出で嬉しい釣果。アコウが釣れました。 釣人:しおんぐ <<<
西-5番  2007/12/13 (午後時〜 時)
グレ 21〜31p 10匹 オキアミ フカセ釣り
ウマヅラ 35p 1匹    
   p  匹    
   p  匹    
やっと30pオーバーが出ました。15時以降はカモメの群れが居座り、釣りにならず。 釣人:管理人
西-3番  2007/12/12 (終日時〜 時)
グレ 23〜27p 4匹 オキアミ フカセ釣り
   p  匹    
   p  匹    
   p  匹    
タナは1.5〜2ヒロ。午前中はさっぱり。今日は雨のため早めに撤収。 釣人:管理人
東-3番  2007/12/11 (午後時〜 時)
メバル 20〜21p 3匹 オキアミSサイズ フカセ釣り
チャリコ  p 2匹    
ガシラ、フグ  p 多数匹    
   p  匹    
メバル釣りになってしまいました・・・ グレは浮いて来てないと思います。 釣人:pyzar
西-3番  2007/12/10 (午後時〜 時)
グレ 21〜28p 6匹 オキアミ フカセ釣り
   p  匹    
   p  匹    
   p  匹    
グレは納竿30分前から浮きました。喰いはかなり渋いです。 釣人:管理人
東-4番  2007/12/09 (終日時〜 時)
ウマヅラ 23p 1匹 オキアミ フカセ釣り
メバル 11p 1匹    
チャリコ  p 12匹    
   p  匹    
東のグレは一足早い冬休み。これきた!と思ったらおちょぼ口の彼女でした('A`) 釣人:蔵之臣
西-3番  2007/12/09 (終日時〜 時)
グレ 22〜29p 2匹 オキアミ フカセ釣り
チャリコ 12〜14p 6匹    
アジ 14〜17p 4匹    
   p  匹    
グレ全く浮かず。西全体でも釣れていたのは見た感じ数枚か?タナ3ヒロ。活性低過ぎ。 釣人:デイドリーム
東-3番  2007/12/08 (終日時〜 時)
チヌ 38p 1匹 オキアミ フカセ釣り
ガシラ 15〜18p 2匹    
メバル 15p 1匹    
   p  匹    
グレ狙いも撃沈。チヌは2ヒロ半で。 釣人:風
西-3番  2007/12/05 (終日時〜 時)
グレ 25p 1匹 オキアミ ウキ釣り
グレ 10〜17p 5匹    
コブダイ 28p 1匹    
   p  匹    
チヌ狙いも撃沈・・・来た!って思ったらコブの子。前の大会なら入賞か?? 釣人:デイドリーム
西-5番  2007/12/05 (午後時〜 時)
ガシラ 12〜17p 8匹 魚の切り身 胴付き・探り釣り
   p  匹    
   p  匹    
   p  匹    
ショッボ〜な釣果でした。管理人さん今日もグレをいただきありがとうございました。 釣人:ガシラハンター
西-5番  2007/12/05 (午後時〜 時)
グレ 22〜29p 20匹 オキアミ フカセ釣り
   p  匹    
   p  匹    
   p  匹    
14時〜15時半が好調でした。タナは矢引き〜2ヒロとまちまち。 釣人:管理人
西-3番  2007/12/04 (終日時〜 時)
グレ 22〜25p 8匹 オキアミ フカセ釣り
グレ 8〜16p 4匹    
   p  匹    
   p  匹    
とてつもない強風で諦めかけましたが、午後一瞬浮きました。タナ1ヒロ。海も大荒れ。 釣人:デイドリーム
西-3番  2007/12/04 (終日時〜 時)
チヌ 25〜39p 2匹 オキアミ フカセ釣り
グレ 21p 1匹    
   p  匹    
   p  匹    
サトシ・F君の釣果。タナ2ヒロ。 釣人:デイドリーム
東-4番  2007/12/02 (終日時〜 時)
チヌ 33p 1匹 オキアミ フカセ釣り
   p  匹    
   p  匹    
   p  匹    
グレ狙いが・・・この時期のチヌはよく引きますねぇ。 釣人:もりさん <<<
東-4番  2007/12/02 (終日時〜 時)
グレ 23〜24p 2匹 オキアミ フカセ釣り
グレ 木っ端p 5匹    
   p  匹    
   p  匹    
潮が悪すぎ・・・ 釣人:3104k
東-4番  2007/12/02 (終日時〜 時)
グレ 木っ端p 2匹 オキアミ フカセ釣り
チヌ 25p 1匹    
   p  匹    
   p  匹    
フカセデビューでの釣果です。写真なくてすいません。 釣人:正太郎 <<<
東-3番  2007/12/01 (午後時〜 時)
チヌ 33p 1匹 オキアミ フカセ釣り
ガシラ 15〜20p 3匹 ネリエ  
チャリコ 15〜18p 5匹    
   p  匹    
9〜14時。東界隈釣り人多く、3番テトラ西端での釣果。ボラも元気です。 釣人:風
西-3番  2007/11/30 (午前中時〜 時)
グレ 28p 1匹 オキアミ フカセ釣り
グレ 20〜23p 7匹    
   p  匹    
   p  匹    
西5番には入れませんでしたが、管理人さんのグレの浮かし方の通りにやってみました。 釣人:なおさん
西-3番  2007/11/29 (終日時〜 時)
グレ 29p 1匹 オキアミ フカセ釣り
チャリコ 12〜18p 9匹 サシアミ  
アジ 15〜19p 4匹    
   p  匹    
またハゲ撃沈。後半フカセに変更も最後の時合にボラを掛け撃沈×2 修行不足・・・ 釣人:デイドリーム
西-3番  2007/11/29 (午後時〜 時)
グレ 23〜29p 18匹 オキアミ フカセ釣り
グレ 13〜17p 3匹    
   p  匹    
   p  匹    
タナは矢引き〜2ヒロです。後半、浅ダナで良く釣れました。 釣人:管理人
東-2番  2007/08/19 (終日時〜 時)
チヌ 31p 1匹 オキアミ 紀州釣り
   p  匹    
   p  匹    
   p  匹    
初の紀州釣りで交通事故です。
これでまんまとハマりました。
釣人:蔵之臣
西-5番  2007/11/28 (午後時〜 時)
ガシラ 12p 16匹 魚の切り身 胴付き・探り釣り
ムラソイ 10p 1匹    
   p  匹    
   p  匹    
二週間ぶりの釣行です。釣行時間は14時半から16時半。寒くなってきました。 釣人:ガシラハンター
西-5番  2007/11/28 (午後時〜 時)
ギンポ 20.5p 1匹 魚の切り身 胴付き・探り釣り
   p  匹    
   p  匹    
   p  匹    
釣魚記録更新投稿しますっ! 釣人:ガシラハンター
西-3番  2007/11/26 (午後時〜 時)
グレ 24〜25p 2匹 サシアミ ウキ釣り
チャリコ 11〜16p 16匹 アミエビ  
   p  匹    
   p  匹    
フカセじゃ無く1号棒ウキ。アミエビ撒き釣り。ウマヅラ狙いで撃沈しました。 釣人:デイドリーム
東-4番  2007/11/25 (終日時〜 時)
グレ 23.5p 1匹 オキアミ フカセ釣り
木っ端  p 3匹    
チャリコ  p 4匹    
   p  匹    
初グレに敬意を表し刺身とポワレで愛猫と頂きました。
難しいですがかなり熱いです!
釣人:蔵之臣
東-4番  2007/11/25 (午後時〜 時)
チヌ 31p 1匹 オキアミ フカセ釣り
   p  匹    
   p  匹    
   p  匹    
グレに嫌われました。途中からチヌ狙いで何とか1枚ゲット。 釣人:管理人
東-4番  2007/11/25 (終日時〜 時)
チヌ 28p 1匹 オキアミ フカセ釣り
グレ 26〜28p 3匹    
グレ 木っ端p 5匹    
   p  匹    
難しいです・・・ 釣人:3104k
東-4番  2007/11/23 (終日時〜 時)
チヌ 23〜35p 6匹 オキアミ フカセ釣り
グレ 22〜28p 8匹    
グレ 木っ端p 3匹    
   p  匹    
チヌの食いが良く、餌取りを散らしてくれました。グレまで散りましたけど・・・ 釣人:3104k
一文字-3番  2007/11/24 (午前中時〜 時)
グレ 24〜27p 2匹 イシゴカイ フカセ釣り
   p  匹    
   p  匹    
   p  匹    
半年ぶりで一文字へ渡りました。 釣人:グレッチ
西-5番  2007/11/24 (終日時〜 時)
グレ 21〜28p 7匹 オキアミ フカセ釣り
   p  匹    
   p  匹    
   p  匹    
サトシ・F君の釣果。負けてしまいました。日毎にグレのタナが深くなる今日この頃。 釣人:デイドリーム
西-5番  2007/11/24 (終日時〜 時)
グレ 24〜28p 4匹 オキアミ フカセ釣り
グレ 12〜16p 3匹    
チャリコ 10〜18p 4匹    
   p  匹    
微妙な釣果です。タナ4ヒロ。午後一瞬浮いたグレは餌を食べる気無いようです。 釣人:デイドリーム
西-5番  2007/11/23 (午後時〜 時)
グレ 17〜25p 3匹 オキアミ フカセ釣り
   p  匹    
   p  匹    
   p  匹    
西っさん釣れましたよ〜 釣人:わいるだー
中央-11番  2007/11/23 (午後時〜 時)
グレ 17p 2匹 オキアミ フカセ釣り
ガシラ 20p 1匹    
メバル 10-17p 5匹    
   p  匹    
14時ころ一瞬だけ浮きましたがこっぱしか上げられず。 釣人:てる <<<
一文字-6番  2007/11/21 (午前中時〜 時)
メバル 20p 6匹 シラサ4杯 エビ撒き釣り
グレ 30p 1匹    
ベラ 12〜15p 3匹    
   p  匹    
真鯛狙いでしたが、強風時化で断念。11〜13時の釣果。強風時釣りになりません。 釣人:としよん <<<
西-5番  2007/11/21 (午後時〜 時)
グレ 25〜27p 2匹 オキアミ フカセ釣り
グレ 10〜17p 6匹    
   p  匹    
   p  匹    
エビ撒き×。諦め後夕方1時間の釣果(2ヒロ)ってか寒過ぎ風強過ぎ海荒れ過ぎ。 釣人:デイドリーム
西-5番  2007/11/19 (午後時〜 時)
グレ 22〜27p 7匹 オキアミ フカセ釣り
チャリコ 12〜16p 4匹    
   p  匹    
   p  匹    
タナ2〜3ヒロ。グレは全く見えず。 釣人:デイドリーム
西-5番  2007/11/19 (午後時〜 時)
グレ 22〜29p 21匹 オキアミ フカセ釣り
   p  匹    
   p  匹    
   p  匹    
12時から4時間の釣果。グレは全く浮かず。タナは2ヒロ前後。 釣人:管理人
西-5番  2007/11/17 (午後時〜 時)
カレイ 31p 1匹 アオイソメ 投げ釣り
カワハギ 18-19p 2匹    
ベラ  p 多数匹    
   p  匹    
初投稿です!初めてのカレイ、あまり引かないので海草かと思いました。 釣人:みっち@
一文字-6番  2007/11/16 (午前中時〜 時)
メバル 15〜25p 15匹 シラサ4杯 エビ撒き釣り
アイナメ 20p 1匹    
   p  匹    
   p  匹    
リリースサイズ多数匹。刺身最高♪タナは矢引〜2ヒロ。食いタナ安定せず。 釣人:としよん <<<
東-3番  2007/11/17 (午後時〜 時)
チヌ 30〜39p 2匹 オキアミ 紀州釣り
チャリコ 12〜15p 多数匹    
   p  匹    
   p  匹    
チヌは2匹とも14時〜14時30分にヒット。
活性、悪くないです。
釣人:風
東-4番  2007/11/17 (終日時〜 時)
グレ 23、24p 2匹 オキアミ フカセ釣り
コッパ 13〜16p 多数匹    
チャリコ 10〜15p 多数匹    
   p  匹    
ボラ、チャリコ、コッパに苦戦!やりにくいです。 釣人:まさ
一文字-9番  2007/11/15 (午前中時〜 時)
アコウ 29p 1匹 シラサエビ 胴付き・探り釣り
カワハギ 12〜16p 3匹 青イソメ  
ガシラ 13〜14p 4匹    
   p  匹    
一文字でアコウが釣れました。エサはシラサです。正式名はノミノクチ?まぐれです。 釣人:ゆうなぎ
西-5番  2007/11/14 (午後時〜 時)
ガシラ 12〜15p 7匹 シラサエビ 胴付き・探り釣り
メバル 15p 1匹    
   p  匹    
   p  匹    
15時から一時間程度の釣果です。小物ばっかりでした。 釣人:ガシラハンター
西-5番  2007/11/14 (午後時〜 時)
グレ 25p 1匹 オキアミ フカセ釣り
   p  匹    
   p  匹    
   p  匹    
浮いたのは16:30キャスティング5回分程でした。 釣人:わいるだー <<<
一文字-6番  2007/11/12 (午前中時〜 時)
クロメバル 15〜20p 7匹 シラサエビ3杯 フカセ釣り
ベラ 15p 3匹    
   p  匹    
   p  匹    
メッチャ上手かったです。棚は1ヒロ前後。イカらしき当たりも。 釣人:としよん <<<
西-5番  2007/11/11 (終日時〜 時)
グレ 24〜27p 2匹 オキアミ フカセ釣り
グレ 12〜16p 4匹    
チャリコ 10〜15p 3匹    
   p  匹    
強風とは言え一日いてこの釣果は・・・16時頃一瞬浮きました。 釣人:デイドリーム
東-4番  2007/11/11 (終日時〜 時)
グレ 23〜27p 7匹 オキアミ フカセ釣り
グレ 木っ端p 3匹    
   p  匹    
   p  匹    
強風でボラの数も半端じゃなかったです。
例のごとく2枚落としちゃいました。
釣人:3104k
東-5番  2007/11/10 (午後時〜 時)
アイナメ 10〜21p 6匹 シラサエビ 胴付き・探り釣り
ガシラ 12〜18p 4匹    
キュウセン 16p 1匹    
   p  匹    
息子(小5)と行きました。テトラ楽しいです。 釣人:うごパパ
東-4番  2007/11/10 (終日時〜 時)
グレ 23〜25p 7匹 オキアミ フカセ釣り
ウマヅラ 33p 1匹    
チャリコ 10〜13p 20匹    
   p  匹    
潮はあまり動かず。タナ2ヒロです。ボラ、チャリコが多数でかなり厄介です。 釣人:管理人
一文字-2番  2007/11/10 (午前中時〜 時)
ガシラ 17〜20p 2匹 アオイソメ 胴付き・探り釣り
ガシラ 15〜10p 4匹 アサリの剥き身  
カワハギ 22p 1匹    
   p  匹    
これらは今は胃袋の中です(^^) 釣人:御気楽サラリーマン
東-4番  2007/11/10 (終日時〜 時)
グレ 24〜26p 3匹 オキアミ フカセ釣り
   p  匹    
   p  匹    
   p  匹    
ボラに苦戦。疲れました。 釣人:まさ <<<
東-3番  2007/11/09 (午後時〜 時)
チヌ 30〜37p 6匹 オキアミ フカセ釣り
チヌ 46p 1匹    
   p  匹    
   p  匹    
15時からの釣果、グレは釣れませんでした。その代わりチヌが、二人の釣果です。 釣人:ISO
西-3番  2007/11/07 (午後時〜 時)
グレ 26〜27p 3匹 オキアミ フカセ釣り
グレ 手のひら級  p 3匹    
   p  匹    
   p  匹    
浮かせきれずこの貧果、日むらあり、雨の翌日は不調の感じです。 釣人:youヤン
西-5番  2007/11/07 (午後時〜 時)
ガシラ 13〜19p 13匹 アジ 胴付き・探り釣り
   p  匹    
   p  匹    
   p  匹    
15時半〜17時の一時間半の釣果です。今日は味の切り身で挑戦しました。 釣人:ガシラハンター
西-3番  2007/11/07 (午後時〜 時)
グレ 26p 1匹 オキアミ フカセ釣り
グレ 10〜16p 6匹    
   p  匹    
   p  匹    
午後一瞬浮きましたが腕が伴わず話になりません。練習あるのみ。 釣人:デイドリーム
西-4番  2007/11/07 (午後時〜 時)
チヌ 30p 1匹 オキアミ 紀州釣り
   p  匹    
   p  匹    
   p  匹    
初めてのチヌです。3回目のチャレンジでゲットです。 釣人:ひろ
西-5番  2007/11/07 (午後時〜 時)
グレ 28p 1匹 オキアミ フカセ釣り
グレ 23p 1匹    
   p  匹    
   p  匹    
14時頃からちょっとだけ浮きましたが、食いは渋かったです。 釣人:わいるだー <
東-4番  2007/11/07 (午後時〜 時)
グレ 24〜28p 7匹 オキアミ フカセ釣り
グレ 14〜18p 3匹    
チヌ 29p 1匹    
   p  匹    
サヨリ、ボラの多さに参りました。グレは全く浮かず。タナは2〜2.5ヒロです。 釣人:管理人
東-4番  2007/11/05 (終日時〜 時)
グレ 20〜29p 16匹 オキアミ フカセ釣り
グレ 12〜17p 16匹    
   p  匹    
   p  匹    
潮は殆ど動かず。ボラと木っ葉の分離に手を焼きました。とにかくボラ多過ぎです。 釣人:管理人
東-4番  2007/11/04 (終日時〜 時)
チヌ 30p 1匹 オキアミ フカセ釣り
グレ 23〜25p 10匹    
グレ 15〜16p 2匹    
   p  匹    
教訓!チヌ狙いもグレ仕掛けで。 釣人:3104k
東-4番  2007/11/04 (午後時〜 時)
グレ 23〜28p 4匹 オキアミ フカセ釣り
グレ コッパp 3匹 ネリエ  
   p  匹    
   p  匹    
チヌ狙いのはずが・・・次は最初からグレ狙いでチャレンジ。 釣人:まさ
西-4番  2007/11/04 (終日時〜 時)
チヌ 49p 1匹 オキアミ 紀州釣り
   p  匹    
   p  匹    
   p  匹    
紀州釣りで初めてチヌ釣りました。 釣人:西っさん
西-4番  2007/11/03 (終日時〜 時)
チヌ 26p 1匹 オキアミ 紀州釣り
   p  匹    
   p  匹    
   p  匹    
食いが悪すぎです。 釣人:3104k
西-3番  2007/11/03 (終日時〜 時)
グレ 22〜24p 9匹 オキアミ フカセ釣り
   p  匹    
   p  匹    
   p  匹    
今日は3、5番とも超満員でした。午前中はグレが良く浮きましたが、午後はさっぱり。 釣人:管理人
一文字-4番  2007/11/03 (午後時〜 時)
グレ 23〜25p 6匹 オキアミ フカセ釣り
カシラ 15〜18p 3匹 イワシ  
   p  匹    
   p  匹    
オセンとボラがすごいです。魚は写真をとる前にサバイテしまいました。 釣人:ノリさん <<<
西-3番  2007/11/03 (午前中時〜 時)
グレ 24〜28p 2匹 オキアミ フカセ釣り
グレ 10〜15p 3匹 イシゴカイ  
   p  匹    
   p  匹    
サトシ・F君の釣果です。 釣人:デイドリーム
西-3番  2007/11/03 (午前中時〜 時)
グレ 23〜27p 5匹 オキアミ フカセ釣り
グレ 12〜14p 3匹 イシゴカイ  
サヨリ 28p 1匹    
   p  匹    
当然まぐれです。タナは矢引き。管理人さんがマキエを打つと浮き始めました。尊敬!! 釣人:デイドリーム
西-5番  2007/10/31 (終日時〜 時)
グレ 13〜17p 2匹 オキアミ フカセ釣り
グレ 20〜28p 18匹    
   p  匹    
   p  匹    
10時から始めて、やっと14時に浮いてきました。タナは矢引き。実質3時間の釣果。 釣人:管理人
西-5番  2007/10/31 (終日時〜 時)
グレ 28〜29p 2匹 オキアミ フカセ釣り
   p  匹    
   p  匹    
   p  匹    
タクローさんの釣果です。 釣人:管理人
西-5番  2007/10/28 (終日時〜 時)
グレ 23〜27p 3匹 オキアミ フカセ釣り
チャリコ 15p 1匹    
   p  匹    
   p  匹    
オセンとボラに手こずりました。タナは3〜4ヒロでした。 釣人:おとん
中央-6番  2007/10/28 (終日時〜 時)
チヌ 44p 1匹 オキアミ ブッコミ釣り
チヌ 36p 1匹    
チヌ 26p 1匹    
   p  匹    
バクダン釣法にて午前1枚、午後2枚きました。 釣人:新居浜
東-9番  2007/10/26 (午前中時〜 時)
チヌ 23p 1匹 コーン 紀州釣り
チヌ 37p 1匹    
チヌ 38p 1匹    
   p  匹    
オキアミとコーンを使っていましたが、全てコーンで来ました。 釣人:ミスターX
西-5番  2007/10/26 (午後時〜 時)
グレ 20〜29p 14匹 オキアミ フカセ釣り
チヌ 28p 1匹    
   p  匹    
   p  匹    
土砂降り、雷の中頑張りました。全身ズブ濡れです。ボラ多数で苦労しました。 釣人:管理人
西-5番  2007/10/25 (午後時〜 時)
ガシラ 10〜19p 24匹 シラサ 胴付き・探り釣り
ムラソイ 10・12p 2匹    
   p  匹    
   p  匹    
14時半〜16時の一時間半の釣果です。お持ち帰りサイズは8匹。あとはリリース。 釣人:ガシラハンター
西-3番  2007/10/25 (午前中時〜 時)
チヌ 27p 1匹 オキアミ フカセ釣り
チャリコ 10〜17p たくさん匹 イシゴカイ  
メバル 15p 1匹    
   p  匹    
サトシ・F君の釣果。アジが釣れず買って行ったのに呑ませ撃沈。 釣人:デイドリーム
中央-11番  2007/10/24 (夕方時〜 時)
チヌ 40p 1匹 オキアミ フカセ釣り
チヌ 38p 1匹    
   p  匹    
   p  匹    
15時〜17時半の釣果。11番激流で12番に移動。波止際。12番も激流でした。 釣人:東大阪ファミリー
西-5番  2007/10/24 (午後時〜 時)
グレ 23p 1匹 オキアミ フカセ釣り
木っ端  p 1匹    
   p  匹    
   p  匹    
浮いているのになぁ。 釣人:勘太郎
西-5番  2007/10/23 (午後時〜 時)
グレ 20〜26p 14匹 オキアミ フカセ釣り
   p  匹    
   p  匹    
   p  匹    
やっとこさ14時にグレが浮きました。メジロを掛けましたが、細ハリスのため取れず。 釣人:管理人
西-5番  2007/10/23 (午後時〜 時)
グレ 21〜27p 3匹 オキアミ フカセ釣り
   p  匹    
   p  匹    
   p  匹    
後半、釣果が伸びました。 釣人:タクロー
西-3番  2007/10/22 (午前中時〜 時)
グレ 22p 1匹 イシゴカイ フカセ釣り
木っ葉グレ 10〜15p 数匹    
ガシラ 14〜16p 2匹    
   p  匹    
今日もエサが釣れず呑ませ撃沈。
フカセに変更。超際、2.5ヒロ
釣人:デイドリーム
東-2番  2007/10/20 (午後時〜 時)
チヌ 29p 1匹 オキアミ 紀州釣り
   p  匹    
   p  匹    
   p  匹    
念願の1匹を釣ったチヌです。おめでと〜 釣人:3104k <<<
東-2番  2007/10/21 (午後時〜 時)
チヌ 27〜32p 2匹 オキアミ 紀州釣り
   p  匹 コーン  
   p  匹    
   p  匹    
アジがまったく釣れてなく、呑ませ無理級 釣人:3104k
西-5番  2007/10/20 (午前中時〜 時)
グレ 22〜26p 4匹 オキアミ フカセ釣り
   p  匹 イシゴカイ  
   p  匹 アオイソメ  
   p  匹    
惨敗です。 釣人:ISO <<<
西-3番  2007/10/20 (午前中時〜 時)
グレ 21〜24p 2匹 イシゴカイ フカセ釣り
   p  匹 オキアミ  
   p  匹    
   p  匹    
サトシ・F君の強風の中の釣果。飲ませはアジが釣れず話に成りません。今日も彼に惨敗 釣人:デイドリーム
東-4番  2007/10/20 (午前中時〜 時)
チヌ 31〜35p 2匹 ネリエ 紀州釣り
ガシラ 15〜18p 2匹 コーン  
ベラ 15〜20p 3匹    
   p  匹    
釣人多く、東5番に近い4番、8時〜13時の釣果。西風強く、トラブル連発でした。 釣人:風
一文字   2007/10/17 (終日時〜 時)
アオリイカ 16〜23p 5匹 3号 ルアー・エギング
   p  匹    
   p  匹    
   p  匹    
青物の回遊が凄まじかった。青物が回ってなければ2桁行けそうです! 釣人:としよん <<<
西-5番  2007/10/17 (午後時〜 時)
ガシラ 15〜19p 3匹 ワーム ルアー・エギング
   p  匹    
   p  匹    
   p  匹    
15時半〜16時半ロッキーフライとバグアンツのワームでの釣果です。 釣人:ガシラハンター
西-3番  2007/10/18 (午後時〜 時)
グレ 22〜26p 2匹 オキアミ フカセ釣り
チヌ 26p 1匹    
   p  匹    
   p  匹    
16時頃に一瞬だけグレが浮きました。日中はエサ取りさえおらず、苦戦しました。 釣人:管理人
中央-5番  2007/10/14 (午前中時〜 時)
イワシ 13p 19匹 アミエビ サビキ釣り
   p  匹    
   p  匹    
   p  匹    
周りの人はあまり釣れてなかったようです。まさか、イワシがつれるとは思ってなかった 釣人:じおんぐ <<<
中央-10番  2007/10/17 (夕方時〜 時)
ゴンズイ 23p 1匹 オキアミ 胴付き・探り釣り
   p  匹    
   p  匹    
   p  匹    
ナマズかと思いました。 釣人:勘太郎
一文字-5番  2007/10/16 (終日時〜 時)
大き目の青物(多分) ??p 0匹 活アジ 泳がせ釣り
アジ(エサ用) 10〜15p たくさん匹 アミエビ  
   p  匹    
   p  匹    
三回アタリ有って三回とも一瞬でラインかリールかロッドがブレイク・・・ボウズです。 釣人:デイドリーム <<<
西-5番  2007/10/14 (終日時〜 時)
チヌ 39p 1匹 ネリエ 紀州釣り
ウマヅラ 30p 1匹 オキアミ  
   p  匹    
   p  匹    
チヌは10時30分頃、潮流の緩み掛けに来ました。4.5ヒロ。 釣人:風 <<<
西-3番  2007/10/14 (終日時〜 時)
グレ 22p 2匹 オキアミ フカセ釣り
アオリイカ 12〜13p 2匹 エギ2.5号  
   p  匹    
   p  匹    
アオリは早朝、グレは14時頃に釣れました。グレは全く浮きません。 釣人:管理人 <<<
西-4番  2007/10/14 (午後時〜 時)
チヌ 28〜32p 2匹 オキアミ 紀州釣り
   p  匹    
   p  匹    
   p  匹    
悪友のサトシ・F君の釣果です。負けてしまいました。こちらは「釣った魚」です。 釣人:デイドリーム
西-4番  2007/10/14 (午後時〜 時)
チヌ 31p 1匹 オキアミ 紀州釣り
   p  匹    
   p  匹    
   p  匹    
皆さんとは腕の差が有りすぎ、これが精一杯でした。このチヌは交通事故被害魚です。 釣人:デイドリーム
平磯   2007/10/14 (夜間時〜 時)
チヌ 30p 1匹 シラサエビ 胴付き・探り釣り
   p  匹    
   p  匹    
   p  匹    
初めまして。所用で大会は参加できませんでした。すみません。 釣人:超初心者
西-3番  2007/10/14 (終日時〜 時)
ハネ 39p 1匹 シラサ ウキ釣り
チヌ 43p 1匹 オキアミ  
   p  匹    
   p  匹    
まぐれです。 釣人:3104k <<<
中央-6番  2007/10/13 (午後時〜 時)
チヌ 31p 1匹 オキアミ ブッコミ釣り
   p  匹    
   p  匹    
   p  匹    
強風でしたが、集中して午後4時に1尾あげました。 釣人:新居浜
西-3番  2007/10/13 (午前中時〜 時)
グレ 22p 1匹 オキアミ フカセ釣り
   p  匹    
   p  匹    
   p  匹    
数回浮いただけでした。 釣人:まさ <<<
中央-8番  2007/10/12 (夕方時〜 時)
アオリイカ 16〜23p 4匹 3・5号 ルアー・エギング
   p  匹    
   p  匹    
   p  匹    
660gを筆頭に型が揃ってきました!刺身めちゃうまでした♪ 釣人:としよん <<<
西-5番  2007/10/11 (午後時〜 時)
チヌ 32p 1匹 オキアミ フカセ釣り
   p  匹    
   p  匹    
   p  匹    
約4ヒロ、ガン玉でウキを入れてやっとこれだけ。 釣人:youヤン
中央-8番  2007/10/10 (午前中時〜 時)
アオリイカ 16p 1匹 2.5号エギ ルアー・エギング
   p  匹    
   p  匹    
   p  匹    
エギを追いかけて沢山来ますが、水面でUターンして全くでした・・・実力不足か 釣人:デイドリーム
中央-7番  2007/10/11 (夕方時〜 時)
アカイカ 16p 1匹 エギ3.5号 ルアー・エギング
   p  匹    
   p  匹    
   p  匹    
イカもだんだんと大きくなってきました。 釣人:ひろ
一文字-9番  2007/10/07 (午前中時〜 時)
ガシラ 20−10p 5匹 シラサエビ 投げ釣り
べら 10p 1匹 アオイソメ  
ちゃりこ 10p 1匹    
   p  匹    
10時頃から潮が東向きになったら全くダメでした。 釣人:御気楽サラリーマン
東-2番  2007/10/08 (午後時〜 時)
チヌ 30〜37p 3匹 オキアミ(1匹) 紀州釣り
   p  匹 コーン(2匹)  
   p  匹    
   p  匹    
3時半から5時半までの2時間の釣果。1匹目はオキアミ。後はコーンに反応。 釣人:のーまるパパ
西-4番  2007/10/07 (夕方時〜 時)
ガシラ 13〜19p 4匹 シラサエビ 胴付き・探り釣り
   p  匹    
   p  匹    
   p  匹    
16:00〜18:00で、17:00前後に時合だったようです。 釣人:うごうご
中央-5番  2007/10/07 (夕方時〜 時)
アジ 15p 3匹 アミエビ サビキ釣り
   p  匹    
   p  匹    
   p  匹    
今日はさっぱりでした。ぜんぜん、魚が相手してくれなかったですよ。 釣人:じおんぐ <<<
西-3番  2007/10/07 (午後時〜 時)
グレ 20〜23p 2匹 オキアミ フカセ釣り
チヌ 27p 1匹    
   p  匹    
   p  匹    
今日は超満員でした。タナは2〜3.5ヒロです。 釣人:管理人
西-3番  2007/10/07 (終日時〜 時)
グレ 28.5p 1匹 オキアミ フカセ釣り
グレ 20〜26p 3匹 パン粉  
   p  匹    
   p  匹    
自己新28.5cmかなりの引き&重さでした。 釣人:まさ
中央-6番  2007/10/07 (終日時〜 時)
ヒメオコゼ 3〜5p 5匹 シラサ サビキ釣り
ベラ 12p 1匹 ブロック  
ぶぐ 5〜7p 多数匹 石コカイ  
   p  匹    
サビキは一切かからず、底を狙う前にヒメオコゼが来ることがあり危険 釣人:おじさん <<<
東-8番  2007/10/07 (午後時〜 時)
フグ 12〜27p 多数匹 オキアミ 紀州釣り
チャリコ 12〜13p 3匹 ネリエ  
   p  匹    
   p  匹    
11時〜15時。釣人多く、東の2〜5入れず。
東8、フグが湧いています。
釣人:風 <<<
中央-4番  2008/10/06 (夕方時〜 時)
アジ 16p 3匹 オキアミ サビキ釣り
サヨリ 22p 10匹    
   p  匹    
   p  匹    
アジはポツポツ。サヨリは群れがいましたね。でも、そんなに針にはかからなかった。 釣人:じおんぐ <<<
西-5番  2007/10/06 (午後時〜 時)
グレ 18〜21p 2匹 オキアミ フカセ釣り
   p  匹    
   p  匹    
   p  匹    
浮いているのに食いが渋くてだめでした 釣人:まさ <<<
東-9番  2007/10/04 (終日時〜 時)
チヌ 38p 1匹 オキアミ 紀州釣り
チヌ 25p 1匹    
   p  匹    
   p  匹    
10時から午後5時まで7時間で2枚です。 釣人:kもりた
中央-10番  2007/10/03 (夕方時〜 時)
チヌ 28p 1匹 オキアミ 紀州釣り
   p  匹    
   p  匹    
   p  匹    
今年お初です。
日没ぎりぎり。
釣人:勘太郎
一文字-8番  2007/10/01 (午前中時〜 時)
ベラ 12〜18p 19匹 イシゴカイ 胴付き・探り釣り
ガシラ 14〜17p 3匹 オキアミボイル  
   p  匹    
   p  匹    
アオリ→不発&エギ紛失 ウマヅラ→不発
泣く泣く探り→お土産確保の結果・・・
釣人:デイドリーム
中央-7番  2007/10/01 (夜間時〜 時)
アオリイカ 小p 1匹 エギ ルアー・エギング
   p  匹    
   p  匹    
   p  匹    
垂水で初イカです。 釣人:REC
西-5番  2007/09/30 (午後時〜 時)
メバル 15p 3匹 シラサ サビキ釣り
ガシラ 20p 1匹    
   p  匹    
   p  匹    
初めて投稿しました。 釣人:わいるだー
中央-5番  2007/10/01 (午前中時〜 時)
アオリイカ 17p 1匹 エギ ルアー・エギング
アジ 15〜20p 6匹 アミエビ  
カワハギ 15p 1匹    
   p  匹    
今日は家族サービスでここまでやって来ました。 釣人:ISO
中央-5番  2007/09/29 (夜間時〜 時)
アオリイカ 12〜15p 2匹 エギ ルアー・エギング
   p  匹    
   p  匹    
   p  匹    
宴会の後行ってきました。雨降るわ、風吹くわ、風裏求めるとここしか・・・ 釣人:もりさん
中央-7番  2007/09/30 (夕方時〜 時)
アオリイカ 14p 1匹 2号エギ ルアー・エギング
   p  匹    
   p  匹    
   p  匹    
釣り易い状況なのに釣れなかった。 釣人:3104k <<<
東-9番  2007/09/29 (終日時〜 時)
チヌ 43p 1匹 オキアミ 紀州釣り
チヌ(写真あり) 40p 1匹    
チヌ 28p 1匹    
   p  匹    
初めて友人(カナダ人)と出かけました。水深が深く難しかったです。 釣人:トムソーヤ
中央-5番  2007/09/29 (早朝時〜 時)
アオリイカ 15p 2匹 2号 ルアー・エギング
   p  匹    
   p  匹    
   p  匹    
写真はまるはにあるよう〜。嫁と美味しく刺身でいただきました! 釣人:としよん <<<
東-3番  2007/09/29 (午後時〜 時)
チヌ 27〜31p 2匹 オキアミ 紀州釣り
ベラ 12〜18p 4匹 ネリエ  
アジ 15〜16p 3匹    
   p  匹    
11時〜14時の釣果。13時頃ボラを掛けてしまいアタリ無くなりました。    釣人:風
中央-7番  2007/09/27 (午前中時〜 時)
アオリイカ 10〜13p 2匹 2.5号エギ ルアー・エギング
   p  匹    
   p  匹    
   p  匹    
3日連続通い詰め歩き回り3度目の正直(笑)目の前で2回バラしました・・・ 釣人:デイドリーム
西-5番  2007/09/26 (午後時〜 時)
ガシラ 12〜19p 21匹 シラサエビ 胴付き・探り釣り
   p  匹    
   p  匹    
   p  匹    
15:15〜16:45の一時間半の釣果です。このあとエギングはボーズでした。 釣人:ガシラハンター
西-5番  2007/09/26 (夕方時〜 時)
アオリイカ 13p 1匹 エギ ルアー・エギング
   p  匹    
   p  匹    
   p  匹    
↓の管理人さんが釣ったイカです。13センチでしたぁ?もっと大きく見えたけど。 釣人:ガシラハンター
西-5番  2007/09/26 (終日時〜 時)
ガシラ 13〜18p 8匹 アジの切り身 胴付き・探り釣り
グレ 20〜21p 4匹 オキアミ  
アオリイカ 13p 1匹 エギ2号  
   p  匹    
朝は探り、昼はフカセ、夕はエギングで疲れました。写真はMIKKOさんとの二人分。 釣人:管理人
一文字-4番  2007/09/24 (午前中時〜 時)
グレ 26p 2匹 ネリエ フカセ釣り
グレ 21〜22p 2匹    
   p  匹    
   p  匹    
9時ごろ、オセンの活性が上がると同時に釣れだしました。 釣人:天野
中央-3番  2007/09/24 (夜間時〜 時)
イカ 9p 1匹 シラサ ウキ釣り
   p  匹    
   p  匹    
   p  匹    
夜中の2時から5時前まででアタリ4回で取れたのはこれだけでした。。。 釣人:天野
東-6番  2007/09/23 (午前中時〜 時)
チヌ 25p 1匹 オキアミ フカセ釣り
アジ 10〜15p 多数匹    
ベラ 10〜20p 10匹    
   p  匹    
エサ取り強!マキエ撒きまくりながら我慢、ガマン、我慢! 釣人:もりさん <<<
中央-6番  2007/09/24 (午後時〜 時)
チヌ 28p 1匹 ネリエ ブッコミ釣り
   p  匹    
   p  匹    
   p  匹    
アタリがしぶく苦労しました。 釣人:新居浜
西-5番  2007/09/24 (終日時〜 時)
グレ 20〜22p 3匹 オキアミ フカセ釣り
   p  匹    
   p  匹    
   p  匹    
浮いて来たのにこの釣果。喰いは渋いです。 釣人:西っさん
東-3番  2007/09/23 (午前中時〜 時)
カワハギ 20p 1匹 青虫 投げ釣り
   p  匹    
   p  匹    
   p  匹    
うれしいです。お兄ちゃんの友達がさばいて食べました。 釣人:太志 <<<
東-9番  2007/09/23 (夕方時〜 時)
カマス 27p 1匹 ミノー ルアー・エギング
   p  匹    
   p  匹    
   p  匹    
偶然です。 釣人:3104k <<<
中央-7番  2007/09/24 (夕方時〜 時)
アオリイカ 7〜15p 5匹 エギ2号 ルアー・エギング
カマス 29p 1匹 ミノー  
   p  匹    
   p  匹    
管理人さんの言う通りしたら釣れました。 釣人:3104k <<<
中央-7番  2007/09/24 (夕方時〜 時)
アオリイカ 9〜13p 2匹 2.5号エギ ルアー・エギング
   p  匹    
   p  匹    
   p  匹    
潮の流れ速く今日はさっぱり。 釣人:管理人 <<<
西-3番  2007/09/24 (終日時〜 時)
グレ 20〜27p 6匹 オキアミ フカセ釣り
チヌ 28p 1匹    
   p  匹    
   p  匹    
午前中はさっぱり。午後から釣れましたが雨で断念。オセンの姿は全く無し。 釣人:管理人
西-3番  2007/09/24 (終日時〜 時)
グレ 20〜24p 3匹 オキアミ フカセ釣り
   p  匹    
   p  匹    
   p  匹    
8時半〜14時の釣果です。食いが渋くて疲れました。 釣人:まさ
中央-8番  2007/09/23 (夕方時〜 時)
アオリイカ 13p 1匹 エギ2号 ルアー・エギング
   p  匹    
   p  匹    
   p  匹    
管理人さんはやっぱりすごい!! 釣人:ひろ
東-6番  2007/09/23 (夕方時〜 時)
アオリイカ 9〜14p 9匹 2号エギ ルアー・エギング
   p  匹    
   p  匹    
   p  匹    
前半は調子良かったですが、日が暮れてからはさっぱりでした。 釣人:管理人
東-2番  2007/09/23 (午前中時〜 時)
チヌ 39p 1匹 オキアミ 紀州釣り
   p  匹    
   p  匹    
   p  匹    
チャリコ、ボラ、ベラだらけでした。 釣人:doimoi
東-4番  2007/09/23 (午後時〜 時)
チヌ 24〜33p 3匹 ネリエ 紀州釣り
ベラ 13〜17p 5匹 オキアミ  
アジ 14〜15p 2匹    
   p  匹    
チヌ28cmは撮影拒絶、逃亡図りました。
エサ盗り、相変わらず絶好調です。
釣人:風
東-8番  2007/09/22 (夕方時〜 時)
アオリイカ 12〜13p 2匹 2号エギ ルアー・エギング
   p  匹    
   p  匹    
   p  匹    
今日は無理して来ましたが、ダメでした。 釣人:管理人
西-3番  2007/09/22 (夕方時〜 時)
アオリイカ 10〜15p 2匹 3号 ルアー・エギング
   p  匹    
   p  匹    
   p  匹    
子供の運動会の帰りに行ってきました。久々の投稿です。写真なくてゴメンナサイ・・ 釣人:としよん <<<
中央-7番  2007/09/21 (夕方時〜 時)
アオリイカ 15p 1匹 エギ ルアー・エギング
ケンサキイカ 25p 1匹    
   p  匹    
   p  匹    
初めてイカを釣りました。イカのサイズの測り方が判らないため足先までのサイズです。 釣人:のん
中央-7番  2007/09/20 (午前中時〜 時)
マルハゲ 12〜15p 6匹 シラサエビ 掛け釣り
ベラ 10〜15p 3匹    
   p  匹    
   p  匹    
エビ撒きのハネ不発・・・急遽ハゲ掛けに変更。しかしサイズが・・・ 釣人:デイドリーム
西-5番  2007/09/19 (午後時〜 時)
ガシラ 13p 2匹 ワーム 胴付き・探り釣り
   p  匹    
   p  匹    
   p  匹    
ワームで2匹ゲット。ちっちゃかったのでリリース。 釣人:ガシラハンター
中央-7番  2007/09/19 (夕方時〜 時)
タコ 8p 1匹 1.8号エギ ルアー・エギング
   p  匹    
   p  匹    
   p  匹    
イカは釣れずともタコが釣れました。ぶべらっ!! 釣人:ガシラハンター
中央-7番  2007/09/19 (夕方時〜 時)
アオリイカ 12p 1匹 2号エギ ルアー・エギング
   p  匹    
   p  匹    
   p  匹    
↓の管理人さんが釣ったアオリです。 釣人:ガシラハンター
中央-7番  2007/09/19 (夕方時〜 時)
アオリイカ 8〜12p 5匹 2号エギ ルアー・エギング
   p  匹    
   p  匹    
   p  匹    
夕方2時間の釣果。際でのアタリが多いです。 釣人:管理人 <<<
西-5番  2007/09/19 (終日時〜 時)
グレ 20〜29p 8匹 オキアミ フカセ釣り
グレ 12〜16p 6匹    
   p  匹    
   p  匹    
11時〜16時までの釣果。14時以降はエサ取りさえ消えてさっぱり。 釣人:管理人
中央-8番  2007/09/17 (夕方時〜 時)
アオリイカ 8〜9p 2匹 エギ2号 ルアー・エギング
   p  匹    
   p  匹    
   p  匹    
楽しくなってきた。 釣人:3104k <<<
中央-8番  2007/09/16 (夕方時〜 時)
アオリイカ 12p 1匹 エギ2号 ルアー・エギング
   p  匹    
   p  匹    
   p  匹    
アオリの投稿忘れてました。 釣人:3104k <<<
中央-8番  2007/09/18 (夕方時〜 時)
アオリイカ 8〜13p 9匹 2号エギ ルアー・エギング
   p  匹    
   p  匹    
   p  匹    
夕方1時間半の釣果。エギングにはまってしまいました。 釣人:管理人
一文字-7番  2007/09/18 (午前中時〜 時)
サンバソウ 14〜16p 2匹 アケミ貝 胴付き・探り釣り
マルハゲ 10〜13p 5匹 イシゴカイ  
ベラ(全てリリース) 10〜15p 15匹    
   p  匹    
今年初モノです。例年よりサイズが・・・食いも渋いし。元はチヌ狙いの予定(笑) 釣人:デイドリーム
中央-6番  2007/09/16 (午後時〜 時)
チヌ 38p 1匹 オキアミ ブッコミ釣り
チヌ 27p 1匹    
   p  匹    
   p  匹    
「バクダン釣法」強風と大雨で我慢の釣りでした。 釣人:新居浜
中央-7番  2007/09/17 (夕方時〜 時)
アオリイカ 8〜11p 5匹 2号エギ ルアー・エギング
ケンサキイカ 13p 1匹    
   p  匹    
   p  匹    
風が強く、やり辛かったです。 釣人:管理人
東-2番  2007/09/17 (午後時〜 時)
チヌ 37p 1匹 ネリエ 紀州釣り
   p  匹    
   p  匹    
   p  匹    
強風で釣り辛いし、食いも悪かったです。 釣人:3104k
西-5番  2007/09/17 (午後時〜 時)
グレ 21〜26p 2匹 オキアミ フカセ釣り
グレ 16〜18p 2匹    
   p  匹    
   p  匹    
私もコッパ1匹脱走していました。強風で疲れました。 釣人:まさ
西-5番  2007/09/17 (午前中時〜 時)
グレ 19〜26p 4匹 オキアミ フカセ釣り
   p  匹    
   p  匹    
   p  匹    
強風の為マキエを浴びながら粘りました。1匹はスカリから逃げました。 釣人:西っさん
中央-8番  2007/09/16 (夕方時〜 時)
アオリイカ 10前後p 2匹 2号エギ ルアー・エギング
   p  匹    
   p  匹    
   p  匹    
よくわからないうちに掛かっていました。 釣人:まさ <<<
中央-8番  2007/09/16 (夕方時〜 時)
アオリイカ 8〜11p 7匹 2号エギ ルアー・エギング
   p  匹    
   p  匹    
   p  匹    
雨が上がってから夕方2時間ほどの釣果。 釣人:管理人
西-5番  2007/09/16 (午後時〜 時)
グレ 21〜26p 3匹 オキアミ フカセ釣り
   p  匹    
   p  匹    
   p  匹    
雨、風のため早々に撤収。15時から再開するも、またも大雨で釣り出来ず。 釣人:管理人
東-4番  2007/09/16 (午後時〜 時)
ガシラ 17p 1匹 ネリエサ 紀州釣り
アジ 11p 1匹    
   p  匹    
   p  匹    
強風&雨のため早期撤収しました。自然には勝てません。 釣人:風 <<<
東-2番  2007/09/15 (午後時〜 時)
チヌ 31p 1匹 オキアミ 紀州釣り
   p  匹 コーン  
   p  匹    
   p  匹    
チャリコ!チャリコ!チャリコ!の1日でした。 釣人:正太郎 <<<
中央-8番  2007/09/14 (夕方時〜 時)
アオリイカ 8〜12p 3匹 2号エギ ルアー・エギング
   p  匹    
   p  匹    
   p  匹    
夕方10分間の釣果。一緒に居た友人は14時半からケンサキ含め20杯の釣果。 釣人:管理人
西-5番  2007/09/12 (午後時〜 時)
グレ 21〜28p 4匹 オキアミ フカセ釣り
   p  匹    
   p  匹    
   p  匹    
グレを浮かすのに4時間かかりました。食いはかなり渋いです。タナは矢引きです。 釣人:管理人
西-4番  2007/09/10 (午後時〜 時)
チヌ 30p 1匹 オキアミ 紀州釣り
   p  匹    
   p  匹    
   p  匹    
13時半〜17時半までの釣果。チヌは16時半に釣れました。エサ取り少なめ。 釣人:管理人
中央-11番  2007/09/09 (午後時〜 時)
チヌ 25〜39p 3匹 オキアミ 紀州釣り
   p  匹    
   p  匹    
   p  匹    
15時〜18時の釣果。ボラの寄りもほどほどでなかなか楽しかったです。 釣人:東大阪ファミリー
東-2番  2007/09/09 (午後時〜 時)
チヌ 23〜38p 2匹 ネリエ 紀州釣り
   p  匹    
   p  匹    
   p  匹    
餌取り激しいです。 釣人:3104k
東-5番  2007/09/08 (午前中時〜 時)
チヌ 46p 1匹 アジ 泳がせ釣り
   p  匹    
   p  匹    
   p  匹    
西っさんに頂いたアジで釣れました。西っさん有難うございました。 釣人:もりさん
中央-4番  2007/09/08 (夕方時〜 時)
アオリイカ コロッケp 3匹 エギ ルアー・エギング
   p  匹    
   p  匹    
   p  匹    
メバリングのヒデさんのコメントを見て出かけました。 釣人:ひろ
東-4番  2007/09/08 (午後時〜 時)
チヌ 38p 1匹 ネリエ 紀州釣り
ベラ 13〜16p 3匹    
   p  匹    
   p  匹    
10時〜15時。エサ盗りとの攻防続く。しかし暑いです。 釣人:風
東-2番  2007/09/06 (午後時〜 時)
チヌ 20〜35p 6匹 オキアミ 紀州釣り
   p  匹    
   p  匹    
   p  匹    
風がスゴかったです。。 釣人:REC
西-5番  2007/09/05 (午後時〜 時)
ガシラ 13〜19p 18匹 シラサエビ 胴付き・探り釣り
   p  匹    
   p  匹    
   p  匹    
久々のガシラ釣り行ってきました!良型揃いでした。(小さいの撮影後リリース) 釣人:ガシラハンター
西-4番  2007/09/04 (午後時〜 時)
チヌ 30p 1匹 オキアミ 紀州釣り
   p  匹    
   p  匹    
   p  匹    
食いはかなり悪いです。エサ取りはボラのみ。サシエは殆ど取られませんでした。 釣人:管理人
東-9番  2007/09/02 (午後時〜 時)
チヌ 21〜37p 3匹 オキアミ 紀州釣り
   p  匹 ボケ  
   p  匹    
   p  匹    
午後からの釣果です。 釣人:ヒロボー
東-2番  2007/09/02 (午後時〜 時)
チヌ 31〜40p 3匹 オキアミ 紀州釣り
   p  匹    
   p  匹    
   p  匹    
場所が良かったです。 釣人:3104k
東-2番  2007/09/02 (午後時〜 時)
チヌ 20p 2匹 オキアミ 紀州釣り
   p  匹    
   p  匹    
   p  匹    
久々の紀州釣りですが何とかチヌをゲット出来ました。エサ取り少なめです。 釣人:管理人 <<<
東-4番  2007/09/01 (午後時〜 時)
チヌ 28p 1匹 ネリエ 紀州釣り
ガシラ 15p 1匹    
ベラ 13p 3匹    
   p  匹    
14〜18時の釣果。エサとりとの攻防でした。 釣人:風 <<<
中央-4番  2007/09/01 (夜間時〜 時)
アオリイかの新子 12p 2匹 エギ ルアー・エギング
アオリイカの新子 9p 7匹    
   p  匹    
   p  匹    
まだまだ小さいですね一ヶ月後が楽しみです^^ 釣人:メバリングのヒデ
東-2番  2007/08/26 (午後時〜 時)
チヌ 25p 2匹 オキアミ 紀州釣り
   p  匹    
   p  匹    
   p  匹    
今日もボラぼらボラ 釣人:REC <<<
東-2番  2007/08/25 (午後時〜 時)
チヌ 37p 1匹 オキアミ 紀州釣り
チヌ 25p 2匹    
   p  匹    
   p  匹    
ボラ多いし 釣人:REC
西-3番  2007/08/26 (午後時〜 時)
グレ 27p 1匹 オキアミ フカセ釣り
小アジ 10〜15p 数十匹    
   p  匹    
   p  匹    
今日は惨敗です。グレは終日浮かず。 釣人:管理人
西-4番  2007/08/26 (午後時〜 時)
チヌ 30p 1匹 オキアミ 紀州釣り
アジ 10p 6匹 ネリエ  
   p  匹 コーン  
   p  匹    
何度かチヌっぽいアタリがありました。これからいいかも。 釣人:まさ <<<
中央-11番  2007/08/23 (夕方時〜 時)
チヌ 35p 2匹 オキアミ 紀州釣り
チヌ 30p 1匹    
   p  匹    
   p  匹    
15時〜18時の釣果。久しぶりの紀州釣り、釣れてよかったです。 釣人:東大阪ファミリー
西-5番  2007/08/24 (終日時〜 時)
グレ 20〜27p 5匹 オキアミ フカセ釣り
小アジ  p 数匹    
   p  匹    
   p  匹    
ボラの攻撃が強く、午前中はトラブル続き。実質午後の15時までの釣果 釣人:てる
西-3番  2007/08/24 (午前中時〜 時)
チヌ 38p 1匹 オキアミ フカセ釣り
   p  匹    
   p  匹    
   p  匹    
またグレ狙いが外れてチヌが。。前より大きかったのでよかったです^^ 釣人:かまっち
西-5番  2007/08/21 (午後時〜 時)
グレ 21〜28p 7匹 オキアミ フカセ釣り
   p  匹    
   p  匹    
   p  匹    
グレは16時以降は浮かず。17時よりワンド内でスズキを狙うも不発に終わる。 釣人:管理人
西-5番  2007/08/21 (午前中時〜 時)
チヌ 36p 1匹 オキアミ フカセ釣り
   p  匹    
   p  匹    
   p  匹    
グレ釣りの予定が、初めてチヌを釣ることになり、本命を釣れませんでした。。。。 釣人:かまっち
東-3番  2007/08/20 (夜間時〜 時)
シーバス 48cmp 1匹 ルアー ルアー・エギング
   p  匹    
   p  匹    
   p  匹    
初のシーバス狙いで、イワシカラーのルアーをキャストして見事にゲット。 釣人:見習Takuma <<<
東-4番  2007/08/18 (午後時〜 時)
アジ 10〜13p 20〜30匹 アミエビ サビキ釣り
   p  匹    
   p  匹    
   p  匹    
ダンゴ・チヌは3度の素バリのみ。
修行が足りません。
釣人:風 <<<
一文字-8番  2007/08/16 (終日時〜 時)
チヌ 36p 1匹 イガイ 落とし込み・前打ち
   p  匹    
   p  匹    
   p  匹    
朝一に来ました。それ以降はあたり無し。。 釣人:としよん
西-5番  2007/08/19 (午後時〜 時)
グレ 21〜27p 3匹 オキアミ フカセ釣り
グレ 17p 1匹    
   p  匹    
   p  匹    
15時まで3番で試すも、グレは一度も浮かず。5番も後半に2、3度浮いただけ。 釣人:管理人
西-5番  2007/08/17 (午前中時〜 時)
グレ 20〜26p 4匹 オキアミ フカセ釣り
グレ 17〜19p 3匹    
   p  匹    
   p  匹    
グレはよく浮いていました。ただ、相変わらずおせんとボラの猛攻撃が続いていました。 釣人:てる <<<
西-5番  2007/08/18 (早朝時〜 時)
ガシラ 17p 2匹 イサザ 投げ釣り
   p  匹    
   p  匹    
   p  匹    
初投稿です。              それにしても今日わだめでした。 釣人:名も無き中学生 <<<
東-2番  2007/08/16 (午後時〜 時)
チヌ 30〜32p 4匹 オキアミ 紀州釣り
   p  匹 コーン  
   p  匹    
   p  匹    
時合にヌカが無くなりました・・・ 釣人:3104k
東-4番  2007/08/14 (午後時〜 時)
チヌ 39p 1匹 ネリエ 紀州釣り
ガシラ 13〜16p 8匹    
ベラ 12〜15p 多数匹    
   p  匹    
ベラ、ボラ、フグ絶好調。チヌにエサが届かない。固いダンゴが要ります。 釣人:風
東-2番  2007/08/14 (午後時〜 時)
チヌ 26〜36p 4匹 オキアミ 紀州釣り
   p  匹    
   p  匹    
   p  匹    
ボラの猛攻撃に苦労しました。 釣人:まさ
東-2番  2007/08/14 (午後時〜 時)
チヌ 26p 1匹 オキアミ 紀州釣り
グレ 22p 1匹    
   p  匹    
   p  匹    
一昨日、昨日も一緒・・・・
まささん、参りました。
釣人:3104k
東-9番  2007/08/13 (午後時〜 時)
チヌ 25p 1匹 オキアミ 紀州釣り
   p  匹 ボケ  
   p  匹    
   p  匹    
かろうじてボウズはまぬがれました・・・。 釣人:やまちゃん
東-2番  2007/08/13 (午後時〜 時)
チヌ 31p 1匹 コーン 紀州釣り
   p  匹    
   p  匹    
   p  匹    
昨日と一緒の時間で型も一緒・・・ 釣人:3104k
東-2番  2007/08/12 (午後時〜 時)
チヌ 27p 1匹 オキアミ 紀州釣り
   p  匹    
   p  匹    
   p  匹    
食い渋いっす 釣人:3104k <<<
西-5番  2007/08/11 (午前中時〜 時)
グレ 26〜27p 2匹 オキアミ フカセ釣り
アジ  p 7匹    
   p  匹    
   p  匹    
グレは浮いていましたが、うまく捕まえられない自分がなさけない・・ 釣人:てる <<<
東-2番  2007/08/12 (午後時〜 時)
チヌ 38p 1匹 オキアミ 紀州釣り
   p  匹 コーン  
   p  匹 ネリエ  
   p  匹    
風が途中からふかなくなり熱さとの戦いでした 釣人:まさ
西-3番  2007/08/12 (午前中時〜 時)
グレ 23p 1匹 オキアミ フカセ釣り
アジ  p 多数匹    
   p  匹    
   p  匹    
フカセは限界でしょうか? 釣人:西っさん
東-2番  2007/08/11 (午後時〜 時)
チヌ 29p 1匹 オキアミ 紀州釣り
   p  匹 ネリエ  
   p  匹 コーン  
   p  匹    
正太郎さんと釣行、正太郎さんも29cm1匹ゲットしました。 釣人:まさ
中央-5番  2007/08/06 (夕方時〜 時)
イワシ・サバ 7〜20p 120匹 アミエビ サビキ釣り
アジ 5〜15p 19匹 アジパワー  
メバル 5p 1匹    
   p  匹    
家族で楽しみました!子供大喜びです。女房殿はこれから料理です。感謝! 釣人:としよん
西-4番  2007/08/06 (夕方時〜 時)
スズキ 63p 1匹 小アジ 泳がせ釣り
   p  匹    
   p  匹    
   p  匹    
17時半、1投目に来ました。その後19時まで粘るもアタリ無し。 釣人:管理人
西-3番  2007/08/05 (午前中時〜 時)
グレ 20〜24p 2匹 オキアミ フカセ釣り
アジ 21p 2匹    
小アジ  p 大漁匹    
   p  匹    
リベンジ果たせて良かったです。アジの猛攻と太陽の猛攻半端じゃないです。 釣人:もりさん
一文字-1番  2007/08/04 (夕方時〜 時)
チヌ 51p 1匹 イガイ 落とし込み・前打ち
   p  匹    
   p  匹    
   p  匹    
本当に渋い。活性低い。。。あれが当たりなんて!!垂水一文字恐るべし。。 釣人:としよん
西-5番  2007/08/05 (午後時〜 時)
グレ 22〜27p 7匹 オキアミ フカセ釣り
グレ 15〜18p 3匹    
   p  匹    
   p  匹    
15時以降は強風で釣果伸びず。16時以降は小アジ多数でグレは全く浮かず。 釣人:管理人
西-3番  2007/08/05 (午前中時〜 時)
グレ 23p 1匹 オキアミ フカセ釣り
小アジ  p 数匹    
   p  匹    
   p  匹    
アジの中のグレ。私には1匹が精一杯。 釣人:西っさん
東-2番  2007/08/05 (終日時〜 時)
チヌ 41p 1匹 オキアミ 紀州釣り
ちゃりこ 10p 3匹 ネリエ  
べら 10p 2匹 コーン  
   p  匹    
かなり食いは渋いです。エサ取多くオキアミは一瞬でなくなります。 釣人:まさ
東-9番  2007/08/04 (午後時〜 時)
チヌ 31p 1匹 ボケ 紀州釣り
チヌ 29p 1匹 オキアミ  
   p  匹    
   p  匹    
活性低いのかオキアミあまり取られません。型は出ませんでした・・・。 釣人:やまちゃん
東-2番  2007/08/04 (終日時〜 時)
チヌ 37p 1匹 オキアミ 紀州釣り
チヌ 25p 1匹    
タコ  p  匹    
   p  匹    
ボラの猛攻撃!周りではスズキがめちゃ釣れてました。 釣人:キヨ
西-5番  2007/08/01 (午後時〜 時)
グレ 24〜29p 7匹 オキアミ フカセ釣り
グレ 16〜20p 3匹    
   p  匹    
   p  匹    
15時以降は全くグレは浮かず。今日は向かい風で苦労しました。 釣人:管理人
西-5番  2007/07/29 (終日時〜 時)
グレ 22〜26p 22匹 オキアミ フカセ釣り
グレ 13〜19p 7匹    
   p  匹    
   p  匹    
10時半〜17時半までの釣果。タナは矢引き。午前中と夕方が良かったです。 釣人:管理人
中央-7番  2007/07/29 (午前中時〜 時)
イワシ 8-12p 215匹 アミエビ サビキ釣り
ハオコゼ 6-8p 30匹    
サバ 13p 1匹    
   p  匹    
鯵は全くきませんでした。残念! 釣人:のぶ <<<
西-5番  2007/07/29 (午後時〜 時)
グレ 20〜22p 4匹 オキアミ フカセ釣り
   p  匹    
   p  匹    
   p  匹    
グレはかなり浮いてるのに、この釣果・・・惨敗です。 釣人:まさ
中央-10番  2007/07/28 (夕方時〜 時)
小アジ 5〜12p 80匹 アミえび サビキ釣り
メバル 10p 1匹    
   p  匹    
   p  匹    
小アジが入れ食い状態でした。 釣人:うーちゃん <<<
一文字-5番  2007/07/27 (午前中時〜 時)
ガシラ 15〜30p 70〜80匹 キビナゴ ブッコミ釣り
   p  匹 イサザ  
   p  匹    
   p  匹    
師匠と2人の釣果。ダウンショット仕掛。11時〜12時の1時間の釣果です。 釣人:としよん
東-6番  2007/07/26 (午後時〜 時)
チヌ 35〜38p 2匹 オキアミ、フナムシ 紀州釣り
グレ 21p 1匹    
タコ  40〜50p 2匹    
   p  匹    
カメラのレンズが曇っていてすいません。 フナムシでの当りは大きかったです。 釣人:    ヒロボー
西-5番  2007/07/25 (午前中時〜 時)
グレ 23p 1匹 オキアミ フカセ釣り
   p  匹    
   p  匹    
   p  匹    
水もきれいでグレも浮いていましたが、オセンをかわせず惨敗でした。 釣人:まさ
西-5番  2007/07/25 (午前中時〜 時)
べラ 12〜18p 51匹 石ゴカイ 投げ釣り
   p  匹    
   p  匹    
   p  匹    
あきさんの釣果です。
7時から14時までの釣果です。
釣人:まさ
西-5番  2007/07/24 (終日時〜 時)
グレ 20〜22p 4匹 オキアミ フカセ釣り
   p  匹    
   p  匹    
   p  匹    
終日海は濁っていました! 釣人:まさ
西-5番  2007/07/23 (午後時〜 時)
グレ 25p 2匹 オキアミ フカセ釣り
グレ 15〜17p 2匹    
   p  匹    
   p  匹    
15時からの釣果。グレは殆ど浮かず。16時からは濁りが入りさっぱり。 釣人:管理人
中央-11番  2007/07/22 (午後時〜 時)
チヌ 40p 2匹 オキアミ フカセ釣り
   p  匹    
   p  匹    
   p  匹    
15時〜18時の釣果。エサ取りあんまりなし。タナ竿1本ぐらい 釣人:東大阪ファミリー
東-2番  2007/07/22 (午前中時〜 時)
チヌ 22,27p 2匹 オキアミ 紀州釣り
グレ 25p 1匹 ボケ  
   p  匹    
   p  匹    
ボケでグレが釣れました。 釣人:yuicci
東-2番  2007/07/21 (終日時〜 時)
チヌ 30〜42p 5匹 オキアミ 紀州釣り
たこ 58p 1匹 ネリエ  
   p  匹 コーン  
   p  匹    
巨大だこ釣れました、目が怖かった!! 釣人:まさ
一文字-1番  2007/07/21 (夕方時〜 時)
チヌ 25〜41p 2匹 カニ 落とし込み・前打ち
   p  匹 イガイ  
   p  匹    
   p  匹    
ワカメ全部切れました。いよいよでしょう!でも、あたり渋いよ〜・・ 釣人:としよん
西-5番  2007/07/21 (終日時〜 時)
グレ 26p 1匹 オキアミ フカセ釣り
さば 22p 1匹    
小あじ  p 6匹    
   p  匹    
グレは終日浮いてこず。ボラの勢いが復活し、釣りにならず。さばがきてました。 釣人:てる <<<
東-4番  2007/07/21 (午後時〜 時)
ベラ 15p 1匹 ネリエサ 紀州釣り
がしら 15p 1匹    
   p  匹    
   p  匹    
今日はまささんに脱帽です。 参りました。 釣人:風 <<<
西-5番  2007/07/18 (午後時〜 時)
グレ 24〜26p 4匹 オキアミ フカセ釣り
   p  匹    
   p  匹    
   p  匹    
夕方になって食いが立ちました。 釣人:タクロー
西-5番  2007/07/18 (終日時〜 時)
グレ 22〜26p 15匹 オキアミ フカセ釣り
グレ 13〜19p 5匹    
サヨリ 23〜28p 6匹    
   p  匹    
11時〜17時半までの釣果。15時まではグレ殆ど浮かず。15時からグレ17枚。 釣人:管理人
西-3番  2007/07/16 (午前中時〜 時)
グレ 16〜24p 5匹 オキアミ フカセ釣り
サンマ  p 2匹    
サヨリ  p 7匹    
   p  匹    
16cmのグレはスカリから脱走しました。 釣人:西っさん
西-5番  2007/07/16 (午前中時〜 時)
グレ 23〜26p 4匹 オキアミ フカセ釣り
サヨリ 27〜28p 2匹    
秋刀魚 33p 1匹    
   p  匹    
グレは浮いてしましたが、サヨリと秋刀魚の群がじゃまして、なかなか食いが悪い。 釣人:てる <<<
東-4番  2007/07/15 (終日時〜 時)
チヌ 30p 1匹 ネリエサ 紀州釣り
コブ 30p 1匹    
ガシラ 13〜16p 4匹    
   p  匹    
11〜16時の釣果。西風、うねり、強烈。
スカリをうねりに奪われました〜。
釣人:風 <<<
西-3番  2007/07/16 (午後時〜 時)
グレ 25p 3匹 オキアミ フカセ釣り
小アジ 10p 数十匹    
   p  匹    
   p  匹    
13時からの釣果。小アジ、サヨリ、雨、風でさっぱり。グレは15時以降は見えず。 釣人:管理人
東-2番  2007/07/12 (午後時〜 時)
チヌ 36〜39p 2匹 ネリエサ 紀州釣り
   p  匹    
   p  匹    
   p  匹    
14時〜18時の釣果。南西風強く2番北向きの釣座も苦戦。豆アジも多かったです。 釣人:風
一文字-4番  2007/07/08 (終日時〜 時)
グレ 24〜27p 5匹 オキアミ(ボイル) フカセ釣り
グレ 20前後p 4匹 オキアミ(生)  
サヨリ 28〜35p 2匹 ネリエ  
   p  匹    
オセンとグレが遠近では分離できないので、同じ流れの中でするしか無いと思います。 釣人:天野
一文字-7番  2007/07/07 (終日時〜 時)
チヌ 45p 1匹 イガイ 落とし込み・前打ち
ガシラ 15〜25p 6匹 イカナゴ  
   p  匹    
   p  匹    
チヌにセクシーポーズとって貰いました!時合までガシラで遊びました♪ 釣人:としよん
一文字-9番  2007/07/06 (終日時〜 時)
コブダイ 40p 2匹 イガイ 落とし込み・前打ち
   p  匹    
   p  匹    
   p  匹    
最後に、チヌ(多分ね)バラシマシタ。。。。スリットは強敵だねえ〜 釣人:としよん
西-5番  2007/07/07 (終日時〜 時)
グレ 24〜27p 2匹 オキアミ フカセ釣り
  19p 2匹    
   p  匹    
   p  匹    
ほとんどグレは浮いてきませんでした。おせんばかり釣っていました。 釣人:てる <<<
一文字-5番  2007/07/05 (午前中時〜 時)
アイナメ 23p 1匹 青イソメ 胴付き・探り釣り
ガシラ 14〜15p 1匹    
キュウセン 12〜17p 8匹    
   p  匹    
はじめて投稿します。約一年ぶりの一文字でした。 釣人:ゆうなぎ
東-3番  2007/07/02 (終日時〜 時)
チヌ 30p 1匹 エビ 紀州釣り
五レ 20〜25p 12匹    
   p  匹    
   p  匹    
チヌ釣れた!
グレはまさに入れ食いでした!!
釣人:rinn
東-3番  2007/07/05 (午後時〜 時)
コブダイ 32p 1匹 カニ 落とし込み・前打ち
グレ 20〜25p 3匹 エビ  
サンマ  p 2匹    
   p  匹    
チヌ狙いで落とし込みしてたら、なんと!コブ鯛GET!!刺身にして頂きました! 釣人:rinn
東-3番  2007/07/05 (午後時〜 時)
コブダイ 32p 1匹 カニ 落とし込み・前打ち
グレ 20〜25p 3匹 エビ  
サンマ  p 2匹    
   p  匹    
チヌ狙いで落とし込みしてたら、なんと!コブ鯛GET!!刺身にして頂きました! 釣人:rinn <<<
西-5番  2007/07/03 (終日時〜 時)
グレ 20〜26p 13匹 オキアミ フカセ釣り
グレ 15〜18p 5匹    
サヨリ 25p 5匹    
   p  匹    
釣れたのは12時〜15時の間だけ。他の時間帯はさっぱり。終日、サヨリの群れ有り。 釣人:管理人
一文字-7番  2007/07/02 (夕方時〜 時)
チヌ 38p 1匹 イガイ 落とし込み・前打ち
   p  匹    
   p  匹    
   p  匹    
微妙なあたりでヒット。玉網入れ直後に針外れ!ここのチヌは難しい! 釣人:としよん
東-2番  2007/07/01 (午後時〜 時)
ガシラ 13〜16p 2匹 オキアミ 紀州釣り
   p  匹    
   p  匹    
   p  匹    
後半はボラに悩まされました。3104kさん、参りました。 釣人:管理人 <<<
東-2番  2007/07/01 (午後時〜 時)
チヌ 44p 1匹 オキアミ 紀州釣り
チヌ 36p 1匹    
   p  匹    
   p  匹    
場所が良かった感じです。 釣人:3104k
一文字-2番  2007/06/29 (終日時〜 時)
チヌ 30p 1匹 イガイ 落とし込み・前打ち
   p  匹 タンク  
   p  匹 パイプ  
   p  匹    
まだ海草が付着していて釣りにくいです。プレッシャー高いよ〜 釣人:としよん
中央-11番  2007/06/30 (午後時〜 時)
マダイ 32p 1匹 青虫 投げ釣り
アナゴ 42p 1匹 石ゴカイ  
カレイetc 22p 1匹    
   p  匹    
久しぶりの投げ釣り!!マダイGET!!サビキもGoodでした。 釣人:おとん
東-4番  2007/06/30 (午後時〜 時)
チヌ 37〜39p 3匹 ネリエサ 紀州釣り
   p  匹    
   p  匹    
   p  匹    
11:30〜16:30の釣果。潮は悪くなかったハズですが案外シブかったです。 釣人:風
東-2番  2007/06/30 (終日時〜 時)
チヌ 48p 1匹 ネリエ 紀州釣り
   p  匹 オキアミ  
   p  匹    
   p  匹    
ついにチヌゲット!長い道のりでした。 釣人:まさ
西-5番  2007/06/29 (終日時〜 時)
グレ 18〜23p 14匹 オキアミ フカセ釣り
   p  匹    
   p  匹    
   p  匹    
今日は満員御礼でしたが、皆さんと仲良く釣りが出来ました、 釣人:ISO <<<
一文字-4番  2007/06/28 (午前中時〜 時)
グレ 18〜27p 13匹 オキアミ フカセ釣り
サヨリ 28〜33p 5匹    
   p  匹    
   p  匹    
15年ぶり位の一文字釣行でした。 釣人:T AND M
西-5番  2007/06/26 (終日時〜 時)
グレ 20〜26p 21匹 オキアミ フカセ釣り
グレ 13〜18p 5匹    
   p  匹    
   p  匹    
10時半から夕方までの釣果。夕方は殆どアタリ無し。オセン、かなり活発です。 釣人:管理人
西-5番  2007/06/23 (終日時〜 時)
グレ 23p 1匹 オキアミ フカセ釣り
グレ 19p 2匹    
   p  匹    
   p  匹    
人生山あり谷あり。釣りも同じです。上下の2匹は次男坊です。 釣人:西っさん
東-3番  2007/06/23 (午後時〜 時)
チヌ 39p 1匹 ネリエサ 紀州釣り
コブ鯛 40p 1匹    
   p  匹    
   p  匹    
14時〜18時の釣果。東3番界隈はまだ海藻が多く、根がかり注意です。 釣人:風
東-9番  2007/06/23 (午前中時〜 時)
チヌ 45p 1匹 オキアミ 紀州釣り
ボラ 60程度p 7匹    
ガシラ 20p 2匹    
   p  匹    
10時頃釣れました。今シーズン2度目の紀州釣りでやっとです。 釣人:doimoi
西-5番  2007/06/23 (午後時〜 時)
グレ 20〜25p 17匹 オキアミ フカセ釣り
シマアジ 51p 1匹    
   p  匹    
   p  匹    
12時半〜17時半までの釣果。シマアジはタナ2ヒロ。奇跡です。 釣人:管理人
東-4番  2007/06/21 (夕方時〜 時)
45p 1匹 アオイソメ 投げ釣り
   p  匹    
   p  匹    
   p  匹    
チヌ・ハネ狙いの投げ 真鯛と思うんですけど?錘25号 ハリス2.5 1.8m  釣人:キタノカチドキ
西-5番  2007/06/20 (夕方時〜 時)
ガシラ 10〜20p 16匹 シラサエビ 胴付き・探り釣り
クジメ 20.5p 1匹    
   p  匹    
   p  匹    
下の2匹を加えた集合写真です。今日煮付けにしておいしくいただきました。 釣人:ガシラハンター
西-5番  2007/06/20 (夕方時〜 時)
ガシラ 20.5p 1匹 シラサエビ 胴付き・探り釣り
   p  匹    
   p  匹    
   p  匹    
自己最高寸更新させていただきます。よろしくお願いします。 釣人:ガシラハンター
西-5番  2007/06/20 (夕方時〜 時)
クジメ 20.5p 1匹 シラサエビ 胴付き・探り釣り
   p  匹    
   p  匹    
   p  匹    
季節はずれのクジメくん。一年以上前に釣ったまったく同じ場所で釣れました! 釣人:ガシラハンター
西-3番  2007/06/19 (午後時〜 時)
グレ 22〜25p 9匹 オキアミ フカセ釣り
グレ 15p 1匹    
   p  匹    
   p  匹    
昼からの釣果。今日も5番は超満員で場所取れず。15時以降はグレの姿見えず。 釣人:管理人
西-5番  2007/06/18 (終日時〜 時)
グレ 21〜26p 15匹 オキアミ フカセ釣り
グレ 15〜20p 8匹    
   p  匹    
   p  匹    
釣り人、少なかったです。ボラ多い 釣人:ISO
東-4番  2007/06/18 (午後時〜 時)
チヌ 31p 1匹 ネリエサ 紀州釣り
   p  匹    
   p  匹    
   p  匹    
久々の平日釣行も、ボラ氏の餌付けに行ったようなものでした・・。 釣人:風
東-4番  2007/06/17 (午後時〜 時)
チヌ 36〜41p 2匹 オキアミ フカセ釣り
   p  匹    
   p  匹    
   p  匹    
餌取りヤヴァイです。 釣人:3104k
西-3番  2007/06/17 (午前中時〜 時)
グレ 22〜26p 5匹 オキアミ フカセ釣り
グレ 16p 1匹    
   p  匹    
   p  匹    
初めて26cm釣りました。今日はよく浮いてきました。 釣人:西っさん
中央-7番  2007/06/16 (午後時〜 時)
カレイ 10〜15p 3匹 アオイソメ ウキ釣り
タコ 15p 1匹    
   p  匹    
   p  匹    
カレイは喰いに気がつかなかったです。タコは棲み処の牛乳瓶ごと釣りラッキーでした。 釣人:初心者 <<<
東-9番  2007/06/16 (午後時〜 時)
チヌ 30p 1匹 オキアミ 紀州釣り
   p  匹    
   p  匹    
   p  匹    
かろうじて1匹手にできました。本年の垂水紀州釣りの初チヌでした。 釣人:やまちゃん
西-5番  2007/06/16 (終日時〜 時)
グレ 18〜25p 7匹 オキアミ フカセ釣り
   p  匹    
   p  匹    
   p  匹    
ボラも7匹釣りました。ボラの数異常です。 釣人:ISO <<<
西-5番  2007/06/16 (終日時〜 時)
グレ 23p 1匹 オキアミ フカセ釣り
グレ 12〜17p 6匹    
   p  匹    
   p  匹    
午前中は浮いていたが、午後はさっぱり。午後はボラと餌取り相手に遊んでました。 釣人:てる <<<
東-4番  2007/06/16 (午後時〜 時)
チヌ 36〜47p 4匹 ネリエサ 紀州釣り
   p  匹    
   p  匹    
   p  匹    
ようやく、久々にチヌ氏面会叶う!
チヌ達の食い気、一挙に上昇中です。
釣人:風
西-3番  2007/06/16 (午前中時〜 時)
グレ 22p 1匹 オキアミ フカセ釣り
グレ 16〜18p 2匹    
   p  匹    
   p  匹    
午前中はほとんど浮いてきませんでした。 釣人:西っさん
中央-5番  2007/06/15 (終日時〜 時)
ボラ 69p 1匹 食わせダンゴ ウキ釣り
   p  匹 オキアミ  
   p  匹 コーン  
   p  匹    
チヌ狙いの税金です♪あまりに連れ過ぎるので記念に撮影したものです。 釣人:としよん
中央-5番  2007/06/15 (終日時〜 時)
チヌ 41p 1匹 食わせダンゴ ウキ釣り
ボラ 50〜69p 10匹 オキアミ  
   p  匹 コーン  
   p  匹    
渋い当たりでチヌ釣れたから満足です。一目盛りの攻防♪ 釣人:としよん
西-3番  2007/06/12 (終日時〜 時)
グレ 20〜25p 7匹 オキアミ フカセ釣り
グレ 15〜18p 2匹    
   p  匹    
   p  匹    
5番に5人、3番に6人と超満員。6時間の釣果です。グレはあまり浮きませんでした。 釣人:管理人
西-5番  2007/06/11 (午前中時〜 時)
グレ 13〜15p 2匹 オキアミ フカセ釣り
ウマズラ 35p 1匹    
   p  匹    
   p  匹    
たまにはこんな魚釣れないとグレちゃいます。 釣人:西っさん
西-5番  2007/06/11 (終日時〜 時)
グレ 20〜25p 9匹 オキアミ フカセ釣り
グレ 17p 1匹    
   p  匹    
   p  匹    
11時〜17時の釣果。15時頃より濁りが入りさっぱり。ボラ滅茶苦茶居ます。 釣人:管理人
東-4番  2007/06/10 (午後時〜 時)
チヌ 36p 1匹 オキアミ フカセ釣り
グレ 22〜26p 3匹    
   p  匹    
   p  匹    
初投稿。2時まで潮が飛び、釣れたのは2時〜4時の間でした。 釣人:3104k
西-5番  2007/06/10 (午後時〜 時)
グレ 22〜26p 3匹 オキアミ フカセ釣り
グレ 14p 1匹    
   p  匹    
   p  匹    
2時以降はだめでした。 釣人:てる <<<
西-3番  2007/06/10 (終日時〜 時)
グレ 20〜22p 4匹 オキアミ フカセ釣り
グレ 12〜16p 4匹    
   p  匹    
   p  匹    
昼前の一瞬だけしか浮きませんでした、しかも西風のため大変でした 釣人:まさ <<<
東-4番  2007/06/10 (午前中時〜 時)
ベラ 15〜18p 2匹 オキアミ 紀州釣り
ガシラ 12〜15p 3匹    
   p  匹    
   p  匹    
チヌ氏バラシ1、シブイが垂水のチヌ、上昇気配です。 釣人:風 <<<
西-7番  2007/06/09 (夕方時〜 時)
アジ 3〜4p 40匹 アミエサ サビキ釣り
ガシラ 10p 3匹匹    
   p  匹    
   p  匹    
以外にアジが小さいながらも釣れました。 釣人:釣りきち純児 <<<
中央-11番  2007/06/09 (午後時〜 時)
ガシラ 5〜10p 3匹 アオイソメ 胴付き・探り釣り
アイゴ 5〜10p 1匹    
アイナメ 7p 2匹    
   p  匹    
だんだん釣りの楽しさがわかってきました。 釣人:初心者シゲ <<<
西-3番  2007/06/09 (午後時〜 時)
グレ 23p 1匹 オキアミ フカセ釣り
グレ 22p 1匹    
   p  匹    
   p  匹    
自作ハリスウキの感度は良かったです。が、2匹だけでした。ボラも2匹。 釣人:西っさん
東-1番  2007/06/09 (午後時〜 時)
コブダイ 34p 1匹 オキアミ フカセ釣り
   p  匹 ネリエ  
   p  匹    
   p  匹    
強い引きにチヌかと思えばコブでした。早くチヌ釣りて〜 釣人:まさ
西-5番  2007/06/08 (午前中時〜 時)
グレ 20〜23p 3匹 オキアミ フカセ釣り
   p  匹    
   p  匹    
   p  匹    
風が強くて、、、、 釣人:ISO <<<
西-3番  2007/06/07 (午後時〜 時)
グレ 21〜26p 28匹 オキアミ フカセ釣り
グレ 15〜20p 3匹    
   p  匹    
   p  匹    
11時半〜17時までの釣果。15時以降は強風のためお手上げ。殆ど前半の釣果です。 釣人:管理人
西-5番  2007/06/06 (終日時〜 時)
グレ 20〜23p 6匹 オキアミ フカセ釣り
   p  匹    
   p  匹    
   p  匹    
たくさんのグレが浮いていたのに、、、、 釣人:ISO <<<
西-5番  2007/06/06 (午後時〜 時)
ガシラ 10〜18p 24匹 地エビ 胴付き・探り釣り
   p  匹    
   p  匹    
   p  匹    
小型中心。1尾だけ18センチです。 釣人:ガシラハンター
西-5番  2007/06/06 (午後時〜 時)
メバル 17p 1匹 地エビ 胴付き・探り釣り
   p  匹    
   p  匹    
   p  匹    
ガシラに混ざってメバルちゃん1尾釣れました。 釣人:ガシラハンター
西-5番  2007/06/06 (午後時〜 時)
グレ 23〜24p 2匹 オキアミS フカセ釣り
  21p 2匹    
   p  匹    
   p  匹    
14時からの釣果です。
いっぱい見えているのになかなか食ってくれませんでした。
釣人:勘太郎
東-6番  2007/06/05 (午後時〜 時)
ガシラ 15〜20p 3匹 ワーム ルアー・エギング
   p  匹    
   p  匹    
   p  匹    
はじめて来ました 釣人:あきちゃん
西-5番  2007/06/04 (終日時〜 時)
グレ 20〜26p 13匹 オキアミ フカセ釣り
グレ 12〜16p 5匹 アオサ  
   p  匹    
   p  匹    
ついに20オーバー2桁行きました。平日はやっぱりいいですね。 釣人:まさ
中央-11番  2007/06/03 (午後時〜 時)
グレ 30p 1匹 オキアミ カゴ天秤釣り
   p  匹    
   p  匹    
   p  匹    
  釣人:プリン <<<
西-5番  2007/06/03 (午後時〜 時)
グレ 22p 1匹 オキアミ フカセ釣り
グレ 19p 1匹    
   p  匹    
   p  匹    
大きい方は次男坊です…。修行に行ってきます。
よく浮いていたのに2匹だけ…。
釣人:西っさん
中央-11番  2007/06/03 (午前中時〜 時)
グレ 23p 1匹 オキアミ フカセ釣り
グレ 12〜16p 5匹    
   p  匹    
   p  匹    
グレが浮いてくると海上保安庁の船の出入りで散りストレスたまる 釣人:まさ <<<
東-7番  2007/06/02 (午前中時〜 時)
チヌ 45p 2匹 オキアミ ウキ釣り
   p  匹 アケミ  
   p  匹    
   p  匹    
食わせダンゴで釣りました。やっほ〜♪ 釣人:としよん
中央-10番  2007/06/02 (夜間時〜 時)
アコウ 25p 1匹 シラサエビ ウキ釣り
ガシラ 16〜19p 3匹    
   p  匹    
   p  匹    
西っさんに頂いたエビを撒いたらきました。
初アコウです
釣人:ちん
西-1番  2007/06/02 (夜間時〜 時)
アナゴ 38p 1匹 青イソメ 投げ釣り
   p  匹    
   p  匹    
   p  匹    
アジュール舞子ですがアナゴが釣れました!は…はうあ!!!! 釣人:ガシラハンター
西-5番  2007/06/01 (午後時〜 時)
グレ 21〜27p 23匹 オキアミ フカセ釣り
グレ 15〜17p 3匹    
   p  匹    
   p  匹    
11:30〜17:30までの釣果。グレは多数浮いてますが、食いはかなり浅いです。 釣人:管理人
西-3番  2007/05/31 (午後時〜 時)
グレ 22〜26p 10匹 オキアミ フカセ釣り
グレ 15〜18p 3匹    
   p  匹    
   p  匹    
11:30〜17:30までの釣果。今日も強風で四苦八苦。西5番は満員御礼でした。 釣人:管理人
西-5番  2007/05/30 (午後時〜 時)
ガシラ 10〜16p 21匹 地エビ 胴付き・探り釣り
   p  匹    
   p  匹    
   p  匹    
小物ばっかりでした。良型はじぇんじぇん釣れません。 釣人:ガシラハンター
西   2007/05/29 (夕方時〜 時)
アオリイカ 22p 1匹 エギ ルアー・エギング
   p  匹    
   p  匹    
   p  匹    
アジュールですが今季初アオリをGETしました。 釣人:さっさん
西-3番  2007/05/28 (午後時〜 時)
グレ 23〜25p 16匹 オキアミ フカセ釣り
アジ 18〜21p 2匹    
   p  匹    
   p  匹    
13時〜17時半までの釣果です。前半は矢引き、夕方は3ヒロで食いました。 釣人:管理人
一文字-4番  2007/05/27 (終日時〜 時)
グレ 26〜20p 25匹 オキアミ フカセ釣り
ガシラ 25〜15p 10匹    
   p  匹    
   p  匹    
午後から良く釣れました。 釣人:ノリさん
中央-11番  2007/05/26 (午後時〜 時)
アイナメ 10〜21p 3匹 シラサエビ 胴付き・探り釣り
   p  匹    
   p  匹    
   p  匹    
小さい魚しか釣ったことなかったのですがはじめて20cmゲットして嬉しかったです。 釣人:うーちゃん
中央-11番  2007/05/26 (午後時〜 時)
グレ 21〜26p 6匹 オキアミ フカセ釣り
グレ 15〜20p 4匹    
   p  匹    
   p  匹    
15時以降はさっぱり。お昼過ぎが一番活性が高かったです。タナは1ヒロ前後。 釣人:管理人
東-4番  2007/05/26 (終日時〜 時)
アイナメ 20p 1匹 オキアミ フカセ釣り
クジメ 18p 1匹 ネリエ  
ベラ 16、18p 2匹    
   p  匹    
9時〜15時の釣果。午前中、活性高くガシラ、メバルなど五目釣り。チヌ氏は会えず。 釣人:風 <<<
中央-11番  2007/05/26 (午後時〜 時)
グレ 20〜24p 5匹 オキアミ フカセ釣り
グレ 12〜16p 4匹    
   p  匹    
   p  匹    
3時以降はさっぱりでした。 釣人:まさ
一文字-7番  2007/05/24 (終日時〜 時)
グレ 24前後p 12匹 オキアミ フカセ釣り
   p  匹    
   p  匹    
   p  匹    
強風までの釣果ですが、渡ってこれでは情けないです。 釣人:kもりた <<<
中央-5番  2007/05/23 (終日時〜 時)
チヌ 49p 1匹 オキアミ 紀州釣り
   p  匹    
   p  匹    
   p  匹    
日没直後に来ました。これが垂水漁港初の釣果です!垂水最高♪ 釣人:としよん
西-5番  2007/05/23 (午後時〜 時)
ガシラ 10〜18p 29匹 地エビ 胴付き・探り釣り
   p  匹    
   p  匹    
   p  匹    
14:30〜17:00の2時間半の釣果です。怒涛の29連チャン! 釣人:ガシラハンター
西-5番  2007/05/23 (午後時〜 時)
グレ 24〜25p 2匹 オキアミ フカセ釣り
グレ 20前後p 4匹    
木っ端  p 2匹    
   p  匹    
撒き餌を撒くとすぐ浮いてきました。
良い季節ですね。
寒い時期が嘘みたい。
釣人:勘太郎
西-5番  2007/05/21 (午後時〜 時)
グレ 20〜24p 6匹 オキアミ フカセ釣り
グレ 12〜16p 5匹    
   p  匹    
   p  匹    
やはり平日は釣果があがりますね。 釣人:まさ
西-5番  2007/05/20 (午後時〜 時)
グレ 21〜25p 5匹 オキアミ フカセ釣り
   p  匹    
   p  匹    
   p  匹    
9時半〜14時、ワンド内でのダンゴはボウズでした。フカセは15時〜18時まで。 釣人:管理人
西-5番  2007/05/20 (終日時〜 時)
グレ 20〜26p 3匹 オキアミ フカセ釣り
   p  匹    
   p  匹    
   p  匹    
いつ振りの釣果投稿か分かりませんが、初グレちょうだいしました。 釣人:もりさん <<<
東-1番  2007/05/19 (午前中時〜 時)
コブダイ 61p 1匹 イガイ ブッコミ釣り
   p  匹 アケミ貝  
   p  匹    
   p  匹    
朝一最初の仕掛け投入直後にきました。 釣人:yuicci
東-4番  2007/05/19 (午後時〜 時)
ショウサイフグ 5p 5匹 アオイソメ サビキ釣り
   p  匹    
   p  匹    
   p  匹    
初めての海釣りで、外道ですが釣れて嬉しかったです。 釣人:初心者シゲ <<<
東-4番  2007/05/19 (午後時〜 時)
ガシラ 15p 1匹 オキアミ 紀州釣り
ベラ 13p 2匹    
   p  匹    
   p  匹    
今シーズンのダンゴ初投げ。チヌ達は産卵の休息期間でしょうか?気配ありません。 釣人:風 <<<
西-5番  2007/05/19 (午後時〜 時)
グレ 22〜26p 5匹 オキアミ フカセ釣り
グレ 12〜16p 3匹    
   p  匹    
   p  匹    
やっと!やっと!やっと!5匹以上釣れました。次は2ケタ頑張ります。 釣人:まさ <<<
西-5番  2007/05/19 (午後時〜 時)
グレ 20〜26p 19匹 オキアミ フカセ釣り
グレ 12〜18p 3匹    
   p  匹    
   p  匹    
11時〜18時までの釣果です。今日も後半は不調でした。 釣人:管理人
西-5番  2007/05/15 (午後時〜 時)
グレ 21〜26p 8匹 オキアミ フカセ釣り
グレ 14〜20p 4匹    
   p  匹    
   p  匹    
あまりグレは浮かず。特に16時以降はオセン、グレともに姿見えず。 釣人:管理人
中央-9番  2007/05/13 (午後時〜 時)
ガシラ 19〜22p 2匹 シラサエビ 胴付き・探り釣り
   p  匹    
   p  匹    
   p  匹    
探り屋さんのお陰です。次男坊に帰ろうを連発されてあきらめかけてただけに大喜び。 釣人:入れ喰い
西-5番  2007/05/13 (終日時〜 時)
ハネ 40p 1匹 シラサ エビ撒き釣り
グレ 16〜25p 4匹 オキアミ  
   p  匹    
   p  匹    
グレは昼から中央11番でフカセで釣りました。
またまたグレ4匹・・・
釣人:まさ <<<
西-5番  2007/05/13 (終日時〜 時)
グレ 13〜21p 4匹 オキアミ フカセ釣り
   p  匹    
   p  匹    
   p  匹    
風強く釣りにくかったです。ハネはまささんがエビ撒きで釣られました。 釣人:西っさん
西-5番  2007/05/13 (午後時〜 時)
グレ 20〜25p 5匹 オキアミ フカセ釣り
   p  匹    
   p  匹    
   p  匹    
12時〜14時半までの釣果。その後は強風のため中央11番に移動。釣果無しです。 釣人:管理人
中央-11番  2007/05/12 (午後時〜 時)
グレ 16p 1匹 オキアミ フカセ釣り
グレ 25p 1匹    
   p  匹    
   p  匹    
さっぱりグレは浮いてこなかったです。 釣人:まさ <<<
中央-11番  2007/05/11 (午後時〜 時)
メバル 13-18p 80匹 シラサエビ 胴付き・探り釣り
ガシラ 15-20p 10匹    
タナゴ 20p 1匹    
   p  匹    
メバルはずっと入れ食いです。 釣人:探り屋 <<<
西-5番  2007/05/11 (午後時〜 時)
グレ 21〜26p 21匹 オキアミ フカセ釣り
   p  匹    
   p  匹    
   p  匹    
12時半から4時間半の釣果です。タナは1m以内。16時以降は食いが落ちました。 釣人:管理人
西-5番  2007/05/09 (午後時〜 時)
ガシラ 10〜19p 19匹 ジエビ 胴付き・探り釣り
メバル 12〜18p 2匹    
   p  匹    
   p  匹    
爆ヒット!今日は暑かった。午後2時間半の釣果です。 釣人:ガシラハンター
西-5番  2007/05/07 (午後時〜 時)
グレ 20〜27p 16匹 オキアミ フカセ釣り
グレ 12〜20p 10匹    
   p  匹    
   p  匹    
今日は木っ葉がやたら多かったです。タナは0.5〜3ヒロ。6時間半の釣果です。 釣人:管理人
東-4番  2007/05/05 (夕方時〜 時)
ガシラ 12〜17p 7匹 オキアミ フカセ釣り
   p  匹    
   p  匹    
   p  匹    
5/4、5/5いずれも夕刻、チヌ氏会えず。
皆さんグレ快釣羨ましぃ〜!
釣人:風 <<<
西-5番  2007/05/05 (終日時〜 時)
グレ 15〜23p 5匹 オキアミ フカセ釣り
   p  匹    
   p  匹    
   p  匹    
次男坊が2匹釣りました。無茶苦茶喜んでいました。 釣人:釣り四年生
西-5番  2007/05/05 (午後時〜 時)
グレ 14〜25p 4匹 オキアミ フカセ釣り
   p  匹    
   p  匹    
   p  匹    
4匹が私には限界なのか!!! 釣人:まさ <<<
中央-11番  2007/05/04 (夕方時〜 時)
メバル 15〜18p 16匹 シラサエビ 胴付き・探り釣り
   p  匹    
   p  匹    
   p  匹    
夕方17〜18時の間入れ食いになりました 釣人:探り屋 <<<
西-5番  2007/05/04 (午後時〜 時)
グレ 20〜30p 19匹 オキアミ フカセ釣り
   p  匹    
   p  匹    
   p  匹    
13時半から5時間の釣果。ようやく30pオーバーが釣れました。 釣人:管理人
西-5番  2007/05/04 (終日時〜 時)
グレ 20〜25p 4匹 オキアミ フカセ釣り
   p  匹    
   p  匹    
   p  匹    
2時すぎから南風がきつくなり、非常に寒かったです 釣人:まさ <<<
西-5番  2007/05/03 (終日時〜 時)
グレ 16〜26p 5匹 オキアミ フカセ釣り
   p  匹    
   p  匹    
   p  匹    
20p以上は3枚でした。活性が悪く、苦戦しました。 釣人:管理人
一文字-6番  2007/05/03 (午前中時〜 時)
ハネ 50〜55p 2匹 オキアミ フカセ釣り
チヌ 39p 1匹 シラサ  
グレ 20〜25p 2匹    
   p  匹    
他にガシラがチラホラ 釣人:トム <<<
中央-11番  2007/05/03 (夕方時〜 時)
ガシラ 15〜18p 9匹 地エビ 胴付き・探り釣り
メバル 15p 2匹 イシゴカイ  
コブダイ 35p 1匹    
   p  匹    
潮の流れが早く釣りづらかったです 釣人:探り屋 <<<
一文字-4番  2007/05/03 (終日時〜 時)
グレ 20〜25p 12匹 オキアミ フカセ釣り
   p  匹    
   p  匹    
   p  匹    
今日は食いが悪くて、夕方から釣れました。 釣人:ノリさん
西-3番  2007/05/01 (午後時〜 時)
グレ 0p 0匹 オキアミ小 フカセ釣り
   p  匹    
   p  匹    
   p  匹    
2時〜5時の3時間グレを狙いましたが全く当たり無し。集まったのはボラばかり。 釣人:Kもりた <<<
西-4番  2007/04/30 (午後時〜 時)
ムラソイ 12p 2匹 オキアミ 胴付き・探り釣り
   p  匹    
   p  匹    
   p  匹    
子供が釣り上げました。2年後の釣り大会のために撮影後リリース。 釣人:お父さん
西-5番  2007/04/30 (終日時〜 時)
グレ 21p 1匹 アオサ フカセ釣り
   p  匹    
   p  匹    
   p  匹    
垂水最後の釣行で得意のアオサでゲットしました。管理人さん、参りました。 釣人:お父さん
西-5番  2007/04/30 (終日時〜 時)
グレ 20〜26p 11匹 オキアミ フカセ釣り
   p  匹    
   p  匹    
   p  匹    
17時までの釣果。後半は強風のため苦戦しました。タナは1ヒロです。 釣人:管理人
一文字-4番  2007/04/29 (終日時〜 時)
グレ 18〜25p 20匹 オキアミ フカセ釣り
メバル 15p 2匹    
ガシラ 15p 2匹    
   p  匹    
久しぶりのグレです。午後からよく釣れました。 釣人:ノリさん
中央-11番  2007/04/28 (終日時〜 時)
ガシラ 15〜18p 8匹 シラサエビ 胴付き・探り釣り
メバル 15p 2匹    
クジメ 20p 1匹    
   p  匹    
昼間はアタリすらなくポカポカ陽気で昼寝してて夜6時頃から釣れ出しました 釣人:探り屋 <<<
西-5番  2007/04/28 (午後時〜 時)
グレ 22〜26p 2匹 サシアミ フカセ釣り
ウミタナゴ 26p 1匹    
   p  匹    
   p  匹    
夕方2時間の釣果。グレのタナは半ヒロ。ウミタナゴは知人のK氏が釣ったものです。 釣人:管理人
平磯   2007/04/28 (午後時〜 時)
ヒラメ 25p 1匹 シラサ エビ撒き釣り
メバル 20弱p 1匹    
   p  匹    
   p  匹    
今日は風が強くエビ撒きにはきつかったですが、なんとか2匹上げることができました。 釣人:さっさん
西-5番  2007/04/26 (午後時〜 時)
グレ 21〜26p 6匹 オキアミ フカセ釣り
ウミタナゴ 23p 1匹 アオサ  
アジ 21p 1匹    
   p  匹    
グレは良く見えてますが、食いはかなり悪い。オキアミで3匹。タナは0.5〜4ヒロ。 釣人:管理人
中央-11番  2007/04/24 (夜間時〜 時)
ガシラ 18〜23p 3匹 シラサ 胴付き・探り釣り
   p  匹    
   p  匹    
   p  匹    
一文字釣行後の釣果です 釣人:探り屋 <<<
一文字-7番  2007/04/24 (午前中時〜 時)
ガシラ 13〜18p 17匹 シラサ 胴付き・探り釣り
メバル 15〜18p 2匹    
クジメ 25.5p 1匹    
   p  匹    
ポイントは7番と赤灯西向きです。魚種他はコブ24a1匹です 釣人:探り屋 <<<
西-5番  2007/04/21 (午後時〜 時)
グレ 23p 1匹 オキアミ フカセ釣り
アジ 21p 1匹    
ウミタナゴ 20p 1匹    
   p  匹    
今日は向かい風で苦労しました。アジは夕方です。お父さん参りました。 釣人:管理人
中央-11番  2007/04/21 (夕方時〜 時)
ガシラ 13〜19p 9匹 シラサ 胴付き・探り釣り
メバル 13p 1匹    
   p  匹    
   p  匹    
食いが悪くアタリも小さかったです 釣人:探り屋 <<<
西-5番  2007/04/21 (終日時〜 時)
グレ 23〜24p 2匹 アオサ フカセ釣り
   p  匹    
   p  匹    
   p  匹    
南よりの強風で釣り辛かったですが、風が緩んだ時に2匹釣れました。 釣人:お父さん
東-6番  2007/04/21 (夕方時〜 時)
セイゴ 32p 1匹 シラサ エビ撒き釣り
ヒラメ 25p 1匹    
ガシラ 掌サイズp 2匹    
   p  匹    
16時〜18時半までの釣行。最後の一投でヒラメきました!自身ヒラメは初です。 釣人:さっさん
西-5番  2007/04/19 (午後時〜 時)
グレ 22〜24p 3匹 アオサ フカセ釣り
   p  匹    
   p  匹    
   p  匹    
管理人さん、参りました! 釣人:お父さん
西-5番  2007/04/19 (午後時〜 時)
グレ 21〜26p 11匹 アオサ フカセ釣り
チヌ 29p 1匹 オキアミ  
   p  匹    
   p  匹    
私が釣ったのはグレ8匹です。エサはアオサです。他は友人がオキアミで釣りました。 釣人:管理人
西-5番  2007/04/15 (終日時〜 時)
グレ 21〜23p 4匹 アオサ フカセ釣り
   p  匹    
   p  匹    
   p  匹    
朝から粘ってお昼までに2匹、午後に2匹仕留めました。昨日練習した甲斐ありました。 釣人:お父さん
西-5番  2007/04/15 (午後時〜 時)
グレ 24〜25p 2匹 アオサ フカセ釣り
   p  匹    
   p  匹    
   p  匹    
今シーズン初のグレです。タナは3〜4ヒロくらいでした。 釣人:管理人
西-5番  2007/04/14 (午後時〜 時)
グレ 23p 1匹 アオサ フカセ釣り
   p  匹    
   p  匹    
   p  匹    
2ヵ月振りのご対面です。16時に頃に釣れました。 釣人:お父さん
東-6番  2007/04/14 (午後時〜 時)
メバル 13〜15p 2匹 オキアミ フカセ釣り
   p  匹    
   p  匹    
   p  匹    
南向きは西風強く竿出せず。チヌ氏にはお会いできませんでした。釣果安定しません。 釣人:風 <<<
中央-11番  2007/04/14 (夕方時〜 時)
ガシラ 15〜26p 7匹 シラサエビ 胴付き・探り釣り
メバル 13〜20p 14匹    
ムラソイ 20p 1匹    
   p  匹    
13時から釣り始めましたが昼間はダメで18時頃から入れ食い状態でした 釣人:探り屋 <<<
一文字-5番  2007/04/13 (終日時〜 時)
アブラメ 18〜25p 3匹 シラサエビ 胴付き・探り釣り
メバル 15〜23p 8匹    
ガシラ 15〜20p 8匹    
   p  匹    
底はエサ取りが多く全て上のタナ(ワカメ帯の下)で釣れました。 釣人:探り屋 <<<
中央-7番  2007/04/10 (終日時〜 時)
ガシラ 18〜23p 4匹 シラサ 胴付き・探り釣り
メバル 15〜20p 16匹    
クジメ 18p 2匹    
   p  匹    
15時まで中央11番でやってましたがアタリすらないので移動後爆釣です 釣人:探り屋 <<<
東-4番  2007/04/08 (午前中時〜 時)
ガシラ 10〜27p 5匹 オキアミ フカセ釣り
クジメ 15p 1匹    
   p  匹    
   p  匹    
大会優勝者の横で釣りました。 釣人:垂水 man
東-4番  2007/04/08 (終日時〜 時)
チヌ 36.5p 1匹 オキアミ フカセ釣り
   p  匹    
   p  匹    
   p  匹    
風さんの釣果です。大会優勝おめでとうございます。皆さん見習いましょう。 釣人:管理人
東-6番  2007/04/08 (終日時〜 時)
チヌ 33.5p 1匹 オキアミ フカセ釣り
   p  匹    
   p  匹    
   p  匹    
釣り1年生さんの釣果です。大会準優勝おめでとうございます。 釣人:管理人
東-6番  2007/04/08 (終日時〜 時)
チヌ 33p 1匹 オキアミ フカセ釣り
ガシラ 12〜13p 3匹    
   p  匹    
   p  匹    
釣り大会ご参加頂いた皆様、お疲れさまでした。やっぱりチヌ釣りは難しいですね。 釣人:管理人
一文字-3番  2007/04/08 (午前中時〜 時)
ガシラ 15〜20p 8匹 シラサ 胴付き・探り釣り
メバル 15〜20p 5匹 地エビ  
クジメ 18p 1匹    
   p  匹    
午前中の上げ潮時にアタリが集中し潮止まり後はアタリなしでした 釣人:探り屋 <<<
東-6番  2007/04/08 (午後時〜 時)
ヒラメ 26p 1匹 ソフトルアー ルアー・エギング
   p  匹    
   p  匹    
   p  匹    
初めてひらめを釣りました。感激です。 釣人:のん <<<
東-6番  2007/04/06 (午後時〜 時)
ウミタナゴ 22p 1匹 オキアミ フカセ釣り
メバル 16p 2匹    
   p  匹    
   p  匹    
雨で濡れるし、竿折れるし… 明日の本番では頑張ります。 釣人:お父さん <<<
東-2番  2007/04/05 (終日時〜 時)
ウマヅラハギ 22〜32p 7匹 シラサエビ 胴付き・探り釣り
カワハギ 17p 1匹    
ガシラ 6〜10p 3匹    
   p  匹    
ガシラはイマイチでしたが、ハギがたくさん釣れました。 釣人:リンタロウ
中央-11番  2007/04/05 (午後時〜 時)
ガシラ 13〜20p 3匹匹 シラサ 胴付き・探り釣り
   p  匹    
   p  匹    
   p  匹    
ワカメが多く生えていて釣りにくい状況でした。 釣人:探り屋 <<<
一文字-3番  2007/04/05 (午前中時〜 時)
ガシラ 15〜20p 12匹 シラサ 胴付き・探り釣り
タナゴ 20p 1匹    
   p  匹    
   p  匹    
アタリがあったのは朝一番だけでした 釣人:探り屋 <<<
中央-7番  2007/04/03 (夕方時〜 時)
コブダイ 73〜75p 2匹 カキ ブッコミ釣り
   p  匹    
   p  匹    
   p  匹    
16時〜18時までの釣果。アタリは5回あり取れたのはこの2枚だけです。 釣人:管理人
東-6番  2007/04/01 (午後時〜 時)
ボラ 60p 1匹 オキアミ フカセ釣り
ウミタナゴ 25p 1匹    
   p  匹    
   p  匹    
チヌがなかなか釣れません。 釣人:ノリさん <<<
東-6番  2007/04/01 (午後時〜 時)
ボラ 50p 1匹 オキアミ フカセ釣り
アイナメ 16p 1匹    
   p  匹    
   p  匹    
チヌ狙い3連敗です。アタリも殆ど無し。ボラは数が増えてきました。 釣人:管理人 <<<
中央-2番  2007/03/30 (終日時〜 時)
メバル 12〜15p 3匹 オキアミ フカセ釣り
ボラ 60p 1匹    
   p  匹    
   p  匹    
細長いチヌが釣れました。今日はテトラ帯の方が良かったかもしれません。 釣人:お父さん
中央-11番  2007/03/25 (午前中時〜 時)
メバル 21p 1匹 アイスジグ ルアー・エギング
   p  匹    
   p  匹    
   p  匹    
 潮止まりを狙って釣りました。
結局これ一匹でした。
釣人:はじ
東-6番  2007/03/24 (午前中時〜 時)
クジメ 18p 1匹 オキアミ フカセ釣り
   p  匹    
   p  匹    
   p  匹    
明日は午後から頑張ってみます。 釣人:お父さん <<<
東-4番  2007/03/24 (午前中時〜 時)
ガシラ 15p 1匹 オキアミ フカセ釣り
メバル 16p 1匹    
   p  匹    
   p  匹    
南の風雨強まり10:30頃早々撤収。まるは情報では中央2番でチヌ50UP出る。 釣人:風 <<<
東-4番  2007/03/21 (午後時〜 時)
チヌ 27〜42p 3匹 オキアミL フカセ釣り
ガシラ 10〜13p 2匹 ネリエ  
   p  匹    
   p  匹    
久々チヌ氏に会えました。テトラ際3.5ヒロ、いずれもG2でじわっとアタリでした。 釣人:風
東-6番  2007/03/21 (午後時〜 時)
ガシラ 12p 1匹 オキアミ フカセ釣り
   p  匹    
   p  匹    
   p  匹    
いつもより水位が低く根掛り多発。目の前は藻が多く釣り辛かったです。 釣人:お父さん <<<
東-6番  2007/03/20 (午後時〜 時)
チヌ 41p 1匹 オキアミ フカセ釣り
   p  匹    
   p  匹    
   p  匹    
神(管理人さん)のお告げ通り釣れました。16時、潮が少し動き出した時にパクっ! 釣人:お父さん
中央-2番  2007/03/20 (午後時〜 時)
メバル 11〜15p 6匹 オキアミ フカセ釣り
   p  匹    
   p  匹    
   p  匹    
少し時期が早かったのか大物釣れず。西風が強くなったので15時頃東6番に移動。 釣人:お父さん <<<
東-3番  2007/03/18 (終日時〜 時)
ガシラ 13・16p 2匹 シラサエビ 胴付き・探り釣り
   p  匹    
   p  匹    
   p  匹    
ガシラが不調でした。 釣人:リンタロウ <<<
東-6番  2007/03/18 (終日時〜 時)
クジメ 18p 1匹 オキアミ フカセ釣り
   p  匹    
   p  匹    
   p  匹    
↓臨んだうちのひとりです。AM餌取り、PM向かい風で撃沈です。 釣人:お父さん <<<
東-6番  2007/03/18 (午後時〜 時)
チヌ 40p 1匹 オキアミ フカセ釣り
   p  匹    
   p  匹    
   p  匹    
今日は私を含め4人で臨みましたが、釣れたのは1枚だけ。私はガシラ3尾だけでした。 釣人:管理人 <<<
東-3番  2007/03/17 (午後時〜 時)
メバル 13〜15p 2匹 オキアミ フカセ釣り
ガシラ 10〜13p 2匹 ネリエ  
   p  匹    
   p  匹    
テトラ際、3〜4ヒロを攻めまくるもチヌの気配感じられませんでした。海藻は少なめ。 釣人:風 <<<
東-5番  2007/03/17 (午後時〜 時)
アナハゼ 19p 1匹 オキアミ フカセ釣り
メバル 15p 2匹    
クジメ・ガシラ 17・13p 各1匹    
   p  匹    
東6北風強く釣りになりませんでした。東5に移動後はマシでしたが根魚のみ。 釣人:お父さん
東-6番  2007/03/15 (早朝時〜 時)
ガシラ 20-26p 3匹 地えび 胴付き・探り釣り
   p  匹    
   p  匹    
   p  匹    
朝から昼間でで、当たりもほとんど無く、釣果は3匹だけでした。 釣人:くすにょん
東-6番  2007/03/14 (午後時〜 時)
チヌ 37〜44p 3匹 オキアミ フカセ釣り
ガシラ 12〜15p 2匹    
クジメ 15p 2匹    
   p  匹    
13時〜15時に続けて釣れました。15時以降は潮が完全に止まり、釣果無しです。 釣人:管理人
東-6番  2007/03/11 (終日時〜 時)
メバル 11・16p 2匹 オキアミ フカセ釣り
   p  匹    
   p  匹    
   p  匹    
複雑な潮、強風、餌取り多くチヌ仕留められませんでした。来週も頑張ります。 釣人:お父さん <<<
東-5番  2007/03/11 (午後時〜 時)
チヌ 29p 1匹 オキアミ フカセ釣り
ガシラ 12p 1匹    
   p  匹    
   p  匹    
15時頃、タナ4ヒロで来ました。今日は風が強く釣り辛かったです。フグ多いです。 釣人:管理人
東-6番  2007/03/10 (午前中時〜 時)
チヌ 36p 1匹 オキアミ フカセ釣り
   p  匹    
   p  匹    
   p  匹    
嬉しかったです。これでどっぷりフカセ釣りにはまりそうです。 釣人:もりさん <<<
一文字-5番  2007/03/09 (終日時〜 時)
ガシラ 15〜20p 6匹 シラサ 胴付き・探り釣り
メバル 15p 2匹 地エビ  
アブラメ 23p 1匹    
   p  匹    
ポイントは5番の他2、3番ですね… 釣人:探り屋 <<<
一文字-5番  2007/03/08 (終日時〜 時)
メバル 20〜24p 2匹 シラサ 胴付き・探り釣り
アブラメ 20p 2匹 地エビ  
ガシラ 15p 1匹    
   p  匹    
朝から北西の風が強く吹き非常に釣り難い状況でした。 釣人:探り屋 <<<
東-6番  2007/03/04 (午後時〜 時)
ガシラ 10〜15p 3匹 シラサエビ 胴付き・探り釣り
アイナメ・クジメ 13p 2匹    
メバル 10p 1匹    
   p  匹    
暖かくて過ごしやすかったです 釣人:海人 <
一文字-3番  2007/03/04 (終日時〜 時)
メバル 15〜18p 4匹 シラサ 胴付き・探り釣り
アブラメ 21p 1匹 地エビ  
ガシラ 15p 1匹    
   p  匹    
暖かく釣りやすかったけど潮が澄んでいてアタリ少なめでした 釣人:探り屋 <<<
東-6番  2007/03/04 (午後時〜 時)
チヌ 30p 1匹 オキアミ フカセ釣り
アイナメ 15〜35.5p 2匹    
ガシラ 9〜13p 3匹    
   p  匹    
アイナメは15時、チヌは17時に両方ともテトラ際、タナ3.5ヒロで釣れました。 釣人:管理人
東-6番  2007/03/04 (終日時〜 時)
チヌ 40p 1匹 オキアミ フカセ釣り
メバル 12p 1匹    
   p  匹    
   p  匹    
6回目のTRYでGET! 11時頃タナは3ヒロ PMから南風強く釣り辛かったです 釣人:お父さん
一文字-5番  2007/03/03 (終日時〜 時)
メバル 18〜21p 3匹 地エビ 胴付き・探り釣り
ガシラ 15〜18p 3匹 シラサ  
クジメ 21p 1匹 シラサ  
   p  匹    
アタリが少なく厳しい状況でした。 釣人:探り屋 <<<
西-4番  2007/03/03 (終日時〜 時)
ソイ・ガシラ 14・17p 各1匹 シラサエビ 胴付き・探り釣り
クジメ 15p 2匹 オキアミ  
メバル 15p 3匹    
   p  匹    
根魚は4番でお昼頃、メバルは5番で日暮れ間際にフカセで釣りました。 釣人:お父さん
東-4番  2007/03/03 (午後時〜 時)
メバル 13〜17p 4匹 オキアミ フカセ釣り
ガシラ 13〜15p 2匹 ネリエ  
   p  匹    
   p  匹    
チヌ狙いでしたが本命来ず。らしきアタリは何回かありましたが食い込まず、渋いです。 釣人:風 <<<
東-6番  2007/03/01 (終日時〜 時)
メバル 11〜16p 5匹 オキアミ フカセ釣り
クジメ 18p 1匹    
   p  匹    
   p  匹    
15時過ぎに立て続けに強い引きがありましたが、勝負する暇もなくラインブレイク… 釣人:お父さん
中央-10番  2007/02/25 (夕方時〜 時)
ヒラメ 25p 2匹 シラサエビ ウキ釣り
   p  匹    
   p  匹    
   p  匹    
メバル狙いでの釣行でしたが、ひらめをGET!<br>美味かったです。 釣人:気まぐれひでちゃん <<<
東-6番  2007/02/25 (午後時〜 時)
ガシラ 25p 1匹 オキアミ フカセ釣り
   p  匹    
   p  匹    
   p  匹    
このほかはエサもかじられませんでした。 釣人:勘太郎
平磯   2007/02/24 (午後時〜 時)
ヒラメ 36p 1匹 メバルサビキ ブッコミ釣り
メバル 10p 1匹 キビナゴ  
   p  匹 シラサエビ  
   p  匹    
午前、メバルサビキ。14:00メバルサビキにキビナゴでのブッコミでヒラメ。 釣人:のぶ
東-4番  2007/02/24 (午後時〜 時)
クジメ 22p 1匹 オキアミ フカセ釣り
メバル 15〜16p 2匹    
ガシラ 10p 2匹    
   p  匹    
チヌ狙いでしたが今日も玉砕… 根気強く明日もチャレンジします。 釣人:お父さん
東-4番  2007/02/21 (午後時〜 時)
ガシラ 12〜18p 7匹 オキアミ フカセ釣り
   p  匹    
   p  匹    
   p  匹    
2匹はフカセ、5匹は穴釣り
穴釣りは30分ぐらいの釣果です。
釣人:勘太郎
東-1番  2007/02/19 (午後時〜 時)
メバル 11〜13p 2匹 シラサエビ エビ撒き釣り
   p  匹    
   p  匹    
   p  匹    
釣り竿が海に引きずり込まれて散々でした。 釣人:リンタロウ <<<
東-6番  2007/02/18 (午後時〜 時)
チヌ 47.5p 1匹 オキアミ フカセ釣り
   p  匹    
   p  匹    
   p  匹    
釣れたのは13時頃です。テトラ際、タナ3ヒロで来ました。 釣人:管理人
東-6番  2007/02/18 (午後時〜 時)
メバル 15p 1匹 オキアミ フカセ釣り
ガシラ 10p 1匹    
   p  匹    
   p  匹    
いい感じの潮でしたが風に悩まされチヌ捕獲ならず。懲りずに来週もトライします! 釣人:お父さん <<<
東-4番  2007/02/17 (午後時〜 時)
チヌ 27p 1匹 ネリエ フカセ釣り
メバル 15〜16p 3匹 オキアミ  
   p  匹    
   p  匹    
チヌは上潮が動き出した直後、15時頃ヒット。テトラ際の4ヒロ位。海藻に苦戦。 釣人:風
西-5番  2007/02/17 (午前中時〜 時)
メバル 13〜16p 5匹 オキアミ フカセ釣り
   p  匹    
   p  匹    
   p  匹    
9時から3時間の釣果です。餌取りが多くメバルに食わせるのに一苦労です。 釣人:お父さん
東-5番  2007/02/14 (夕方時〜 時)
メバル 6〜12p 12匹 シラサエビ エビ撒き釣り
ハネ 52p 1匹    
   p  匹    
   p  匹    
雨の中ねばってハネGET! 釣人:リンタロウ
東-6番  2007/02/12 (午後時〜 時)
ガシラ 10〜13p 2匹 オキアミ フカセ釣り
   p  匹    
   p  匹    
   p  匹    
チヌ狙いで釣行しましたが、潮が全く動かず不調でした。エサ取りのフグ大量です。 釣人:管理人 <<<
一文字-2番  2007/02/12 (終日時〜 時)
ガシラ 13〜21p 12匹 シラサエビ 胴付き・探り釣り
アブラメ 25〜33p 3匹    
メバル 15p 1匹    
   p  匹    
ポイントは一文字ポイント図2番、3番、5番です 釣人:探り屋 <<<
西-5番  2007/02/11 (午後時〜 時)
グレ 25p 1匹 アオサ フカセ釣り
   p  匹    
   p  匹    
   p  匹    
5時間粘ってアタリは1回のみでした。もう無理かもしれません。 釣人:管理人
東-4番  2007/02/11 (午後時〜 時)
チヌ 23p 1匹 オキアミ フカセ釣り
   p  匹    
   p  匹    
   p  匹    
魚の気配がほとんどありませんでした。スプールを落とすし散々な一日でした。 釣人:ノリさん
一文字-5番  2007/02/10 (終日時〜 時)
アブラメ 20〜27p 6匹 シラサエビ 胴付き・探り釣り
ガシラ 15〜20p 10匹 地エビ  
メバル 15〜18p 5匹    
   p  匹    
ポイント一文字内向きの旧灯台西側から中央付近のケーソンの継ぎ目です。 釣人:探り屋 <<<
西-5番  2007/02/10 (終日時〜 時)
グレ 23p 1匹 アオサ フカセ釣り
メバル 12〜16p 6匹 オキアミ  
   p  匹    
   p  匹    
12時にヒットするも痛恨のバラシ。13時にようやく1匹釣り上げました。 釣人:お父さん
東-3番  2007/02/09 (夜間時〜 時)
メバル 10・14p 2匹 シラサエビ 胴付き・探り釣り
ガシラ 7〜15p 3匹    
   p  匹    
   p  匹    
リール忘れて大変でした・・・ 釣人:リンタロウ <<<
西-5番  2007/02/07 (夜間時〜 時)
ガシラ 18〜23p 3匹 ワーム ルアー・エギング
ガシラ 18未満p 4匹    
   p  匹    
   p  匹    
メバルの気配全くありません。 釣人:YAGSTER
中央-1番  2007/02/04 (終日時〜 時)
ヒラメ 20p 1匹 シラサエビ エビ撒き釣り
メバル 15p 2匹    
アイナメ 12p 1匹    
   p  匹    
干潮前の1時間と満潮前のほんの一瞬だけ釣れました。 釣人:へろへろ
東-2番  2007/02/04 (午後時〜 時)
ガシラ 16p 2匹 シラサエビ 胴付き・探り釣り
メバル 12〜15p 3匹    
   p  匹    
   p  匹    
なぜか不調でした 釣人:リンタロウ <<<
東-7番  2007/02/04 (早朝時〜 時)
マアナゴ 62p 1匹 ソフトルアー 胴付き・探り釣り
   p  匹    
   p  匹    
   p  匹    
6:30ブラクリに掛かってビックリした 釣人:のぶ
西-5番  2007/02/04 (終日時〜 時)
グレ 22〜23p 2匹 アオサ フカセ釣り
   p  匹    
   p  匹    
   p  匹    
食い渋りのせいか素針多し。何とか2匹仕留めました。もう少しいけそうな気がします。 釣人:お父さん
中央-7番  2007/02/04 (夜間時〜 時)
ガシラ 18p 1匹 ソフトルアー 胴付き・探り釣り
   p  匹    
   p  匹    
   p  匹    
1:00開始、2:00ジャストにヒット。 釣人:のぶ
西-5番  2007/02/03 (午後時〜 時)
グレ 23p 1匹 アオサ フカセ釣り
   p  匹    
   p  匹    
   p  匹    
水温の低下でアオサにも反応薄です。餌取りはまだいるので可能性はあると思います。 釣人:お父さん
西-5番  2007/01/31 (終日時〜 時)
グレ 21〜23p 4匹 アオサ フカセ釣り
グレ 17p 1匹    
   p  匹    
   p  匹    
風が強く釣り辛かったです。3〜5ヒロで捕獲。今日は全く浮きませんでした。 釣人:お父さん
西-5番  2007/01/30 (夜間時〜 時)
ガシラ 10〜26p 8匹 ワーム ルアー・エギング
   p  匹    
   p  匹    
   p  匹    
メバルはさっぱりだったので、狙いをガシラに変更。久しぶりの大物GETしました。 釣人:YAGSTER
西-5番  2007/01/30 (午後時〜 時)
グレ 23p 1匹 アオサ フカセ釣り
  21p 1匹    
   p  匹    
   p  匹    
やっと釣れました。午後4時頃です。 釣人:勘太郎
東-4番  2007/01/28 (午後時〜 時)
チヌ 40p 1匹 オキアミ フカセ釣り
チヌ 25p 1匹    
ガシラ 10〜20p 8匹    
   p  匹    
4〜4.5ヒロで釣れました。 釣人:ノリさん
西-5番  2007/01/28 (午後時〜 時)
グレ 20〜25p 13匹 アオサ フカセ釣り
   p  匹    
   p  匹    
   p  匹    
15時くらいから調子が上がりました。タナは1〜4ヒロです。まだまだいけそうです。 釣人:管理人
西-5番  2007/01/28 (終日時〜 時)
グレ 20〜26p 8匹 アオサ フカセ釣り
   p  匹    
   p  匹    
   p  匹    
珍しく午前中に2匹ゲット。13〜15時をピークに6匹追加しました。 釣人:お父さん
東-6番  2007/01/27 (終日時〜 時)
メバル 8〜17p 13匹 シラサエビ エビ撒き釣り
ガシラ 9〜19p 6匹 ワーム  
   p  匹    
   p  匹    
エビ巻きではメバルのみでしたが、メバリングでガシラがよく釣れました。 釣人:リンタロウ <<<
西-5番  2007/01/27 (午後時〜 時)
グレ 20〜24p 7匹 アオサ フカセ釣り
   p  匹    
   p  匹    
   p  匹    
15時から17時の釣果です。今日は食いが良かったと思います。 釣人:お父さん
西-5番  2007/01/25 (午後時〜 時)
グレ 25p 1匹 アオサ フカセ釣り
   p  匹    
   p  匹    
   p  匹    
納竿間際にやっと釣れた貴重な1尾です。日中はさっぱりでした。 釣人:管理人
西-4番  2007/01/21 (終日時〜 時)
ウミタナゴ 14p 1匹 シラサエビ 胴付き・探り釣り
ムラソイ 12p 2匹 オキアミ  
ガシラ 10〜13p 4匹    
   p  匹    
マキエをしても餌取りすら浮いて来ませんでした。透明度もいつもより悪かったです。 釣人:お父さん
一文字-3番  2007/01/20 (午後時〜 時)
グレ 23〜25p 2匹 オキアミ フカセ釣り
   p  匹    
   p  匹    
   p  匹    
今日は2匹でした。 釣人:ノリさん
西-5番  2007/01/20 (終日時〜 時)
グレ 21p 1匹 オキアミ フカセ釣り
ウミタナゴ 19〜20p 2匹 アオサ  
メバル 14〜17p 2匹    
   p  匹    
グレが浮いたのは14時のほんの一瞬でした。管理人さんの方法で釣れて感動! 釣人:お父さん
東-5番  2007/01/20 (午後時〜 時)
チヌ 36〜37p 2匹 ネリエ フカセ釣り
   p  匹    
   p  匹    
   p  匹    
5番の東端、テトラ際、3.5〜4ヒロでヒット。根がかり多し。 釣人:風
西-5番  2007/01/19 (午後時〜 時)
グレ 20〜26p 16匹 アオサ フカセ釣り
   p  匹 オキアミ  
   p  匹    
   p  匹    
オキアミでは殆ど反応無し。試しにアオサを使うと良く釣れました。詳しくは日記で。 釣人:管理人
一文字-3番  2007/01/14 (終日時〜 時)
グレ 24〜26p 3匹 オキアミ フカセ釣り
   p  匹    
   p  匹    
   p  匹    
初釣りです。なんとか釣れました。 釣人:ノリさん
西-5番  2007/01/14 (終日時〜 時)
メバル 12〜16p 3匹 オキアミ フカセ釣り
ムラソイ 12p 1匹 シラサエビ  
アナハゼ 16p 1匹    
   p  匹    
初管理人さんの隣釣り。グレとギャラリーの数はほぼ同じくらいだったと思います。 釣人:お父さん
西-5番  2007/01/14 (午後時〜 時)
グレ 18〜25p 4匹 オキアミ フカセ釣り
ウミタナゴ 16〜18p 2匹    
   p  匹    
   p  匹    
グレは見えてましたが、とにかく食いが悪かったです。 釣人:管理人
東-5番  2007/01/13 (早朝時〜 時)
メバル 20p 1匹 ワーム ルアー・エギング
ガシラ 12-18p 約15匹    
   p  匹    
   p  匹    
メバルは激渋でした。やっぱり夕〜夜の方がいいみたいです。 釣人:YAGSTER <<<
西-11番  2007/01/11 (午後時〜 時)
ガシラ 10〜23p 9匹 シラサ 胴付き・探り釣り
メバル 10〜15p 3匹 冷凍イカナゴ  
アブラメ 21p 1匹    
   p  匹    
小型ばかりですがガシラの数が結構釣れました。 釣人:探り屋 <<<
西-4番  2007/01/13 (午後時〜 時)
グレ 22p 1匹 オキアミ フカセ釣り
ガシラ 10〜15p 5匹 シラサエビ  
メバル・ムラソイ 15・16p 各1匹    
   p  匹    
何とか1匹釣り上げました。浮いてきたのは夕方に2〜3回だけ。 釣人:お父さん
一文字-7番  2007/01/12 (終日時〜 時)
メバル 16〜17p 19匹 オキアミS ウキ釣り
タナゴ 15〜17p 7匹    
   p  匹    
   p  匹    
グレ、オキアミに反応なし、(姿見えず)
メバルは、元気、元気!
釣人:光君、パパ(尼崎) <<<
西-5番  2007/01/11 (午後時〜 時)
グレ 20〜26p 5匹 オキアミ フカセ釣り
グレ 14〜16p 3匹    
メバル 12〜14p 6匹    
   p  匹    
水温低く、エサ取りさえ動き悪かったです。
グレのタナは50p〜3ヒロ。
釣人:管理人
西-5番  2007/01/10 (午後時〜 時)
ガシラ 20p 2匹 シラサエビ 胴付き・探り釣り
   p  匹    
   p  匹    
   p  匹    
16匹中2匹が20センチのいい型でした。(記録更新)よろしくお願いします。 釣人:ガシラハンター
西-5番  2007/01/10 (午後時〜 時)
ガシラ 7〜20p 16匹 シラサエビ 胴付き・探り釣り
   p  匹    
   p  匹    
   p  匹    
初釣り行ってきました!今年もどうぞよろしくお願いします。 釣人:ガシラハンター
平磯-5番  2007/01/08 (午前中時〜 時)
メバル 12〜17p 14匹 シラサエビ エビ撒き釣り
ガシラ 15p 1匹    
   p  匹    
   p  匹    
際の海草の切れ目をフカセで2ヒロ半で流して、誘いを入れるとよくアタリました。 釣人:joh <<<
中央-11番  2007/01/08 (午後時〜 時)
サヨリ 30〜31p 2匹 オキアミ フカセ釣り
アジ 20〜23p 3匹    
メバル 11〜14p 4匹    
   p  匹    
西5番へ行きましたが強風のため断念。中央は魚の気配が殆どありませんでした。 釣人:管理人 <<<
西-4番  2007/01/08 (午後時〜 時)
ガシラ 10〜16p 5匹 シラサエビ 胴付き・探り釣り
ウミタナゴ 14〜22p 2匹    
メバル・アイナメ 15・17p 各1匹    
   p  匹    
西風が強くウキでは全く釣りをさせて貰えませんでした。 釣人:お父さん
平磯-6番  2007/01/08 (午前中時〜 時)
メバル 14〜16p 3匹 シラサエビ ウキ釣り
ウミタナゴ 18p 1匹    
アナハゼ 12p 1匹    
   p  匹    
メバルのアタリは垂水漁港より良いですが、腕の悪さに3匹止まり。 釣人:お父さん
一文字-7番  2007/01/06 (午前中時〜 時)
グレ 24p 1匹 オキアミ フカセ釣り
ウミタナゴ 18-26p 3匹    
メバル 16-17p 3匹    
   p  匹    
タナゴ1匹とメバル1匹は3番で、それ以外5匹が7番です。3番はフグだらけでした。 釣人:yuicci
西-5番  2007/01/05 (午後時〜 時)
グレ 23〜27p 3匹 オキアミ フカセ釣り
チヌ 23p 1匹    
メバル 12〜16p 3匹    
   p  匹    
今シーズン初の27pゲットです。グレが浮いたのは夕方の一瞬だけ。 釣人:管理人
東-1番  2007/01/04 (午前中時〜 時)
ガシラ 13・16p 2匹 エビ 胴付き・探り釣り
メバル 10〜14p 3匹    
   p  匹    
   p  匹    
今日も数が少なかったです。 釣人:リンタロウ <<<
東-3番  2007/01/03 (午後時〜 時)
アコウ 29p 1匹 シラサエビ 胴付き・探り釣り
   p  匹    
   p  匹    
   p  匹    
穴釣りです。上手く引っかからずに釣れました。 釣人:ぱせぽん
西-5番  2007/01/03 (午後時〜 時)
グレ 23〜26p 3匹 オキアミ フカセ釣り
メバル 14p 1匹    
   p  匹    
   p  匹    
初釣り行ってきました。後半、グレの姿が確認出来ましたが、活性はかなり低いです。 釣人:管理人
一文字-7番  2007/01/02 (午前中時〜 時)
メバル 15p 20匹 シラサエビ ウキ釣り
ガシラ 10p 10匹    
   p  匹    
   p  匹    
ガシラは小型。メバルはウキ下2ヒロで沈みテトラ上を流す。 釣人:ロビン <<<
東-6番  2006/12/31 (早朝時〜 時)
メバル 15〜25p 3匹 ワーム ルアー・エギング
ガシラ 17〜18p 3匹    
ガシラ 17未満p 約10匹    
   p  匹    
今年の釣り納めで久しぶりに刺身サイズGETです。メバルは東6、ガシラは東5です。 釣人:YAGSTER
西-5番  2006/12/30 (午後時〜 時)
グレ 20〜26p 11匹 オキアミ フカセ釣り
メバル 12〜14p 2匹    
   p  匹    
   p  匹    
釣り納めに行って来ました。グレは浮いてますが、サシエをなかなか食わなかったです。 釣人:管理人
西-5番  2006/12/27 (午後時〜 時)
ガシラ 12〜19p 11匹 シラサエビ 胴付き・探り釣り
   p  匹    
   p  匹    
   p  匹    
今年最後の釣行の結果です。19センチクラス2匹持ち帰り、あとはリリース。 釣人:ガシラハンター
西-5番  2006/12/27 (午後時〜 時)
グレ 21〜25p 10匹 オキアミ フカセ釣り
メバル 12〜17p 6匹    
サヨリ 28〜31p 3匹    
   p  匹    
3時間の釣果です。タナは1ヒロ以内です。西の風が強く釣り辛かったです。 釣人:管理人
東-6番  2006/12/25 (夜間時〜 時)
メバル 15〜22p 3匹 ワーム ルアー・エギング
   p  匹    
   p  匹    
   p  匹    
今日は東風が強く、食いは渋かったのですが、何とか今シーズン初の20upです。 釣人:YAGSTER
西-5番  2006/12/25 (午後時〜 時)
グレ 22〜25p 7匹 オキアミ フカセ釣り
サヨリ 28〜32p 2匹    
メバル 12〜16p 7匹    
   p  匹    
13時から1時間だけグレが浮いてきました。メバルの数も増えてきた様です。 釣人:管理人
西-5番  2006/12/24 (午後時〜 時)
ガシラ 18.5p 1匹 シラサエビ 胴付き・探り釣り
   p  匹    
   p  匹    
   p  匹    
9匹リリース後のGETでしたが、おなかが大きいママさんでしたので撮影後リリース。 釣人:ガシラハンター
西-5番  2006/12/24 (午後時〜 時)
ガシラ 10〜12p 9匹 シラサエビ 胴付き・探り釣り
   p  匹    
   p  匹    
   p  匹    
久々の釣行でしたがサイズが出ず、撮影後みなさん海に帰っていただきました。 釣人:ガシラハンター
東-4番  2006/12/24 (午後時〜 時)
メバル 15p 1匹 シラサエビ 胴付き・探り釣り
ガシラ 10〜15p 2匹    
アブラメ?(クジメ) 12〜17p 3匹    
   p  匹    
大きさは測ってないので適当で、タバコと比べて参考にして下さい。 釣人:ぱせぽん
東-5番  2006/12/23 (午後時〜 時)
チヌ 35p 1匹 ネリエサ フカセ釣り
ガシラ 15〜17p 5匹    
   p  匹    
   p  匹    
本年最後の釣行。底狙いでしたがチヌは3ヒロでヒット。 釣人:風
西-5番  2006/12/21 (午後時〜 時)
グレ 20〜25p 4匹 オキアミ フカセ釣り
サヨリ 30〜36p 5匹    
アジ 25p 1匹    
   p  匹    
今日は食いが渋かったです。サヨリの大型は今が狙い目です。 釣人:管理人
東-4番  2006/12/19 (午後時〜 時)
ガシラ 12〜17p 3匹 アオイソメ 胴付き・探り釣り
   p  匹    
   p  匹    
   p  匹    
疲れに耐えながらの釣りでしたが、型はいいのでよかったです。 釣人:リンタロウ <<<
西-5番  2006/12/19 (午後時〜 時)
グレ 22〜26p 12匹 オキアミ フカセ釣り
サヨリ 25〜32p 10匹    
   p  匹    
   p  匹    
2人分の釣果です。グレは16時にやっと浮きました。釣れたのは最後の30分だけ。 釣人:管理人
西-5番  2006/12/18 (午後時〜 時)
マコカレイ 15〜25p 5匹 アオイソメ 投げ釣り
コダイ 15p 2匹 マムシ  
アイナメ 22p 1匹    
   p  匹    
カレイを5匹ゲツトしました 釣人:投げ釣り師
中央-5番  2006/12/17 (午後時〜 時)
サヨリ 約20p 6匹 アミエビ サビキ釣り
   p  匹    
   p  匹    
   p  匹    
寒かったですけど、釣れたのでよかったです。 釣人:とげっこ
西-5番  2006/12/16 (午前中時〜 時)
カレイ 30p 1匹 アオイソメ 投げ釣り
アイナメ 20p 1匹    
   p  匹    
   p  匹    
1本針4投で2尾は超ラッキーでした。探りでガシラ・メバルもゲット。 釣人:いわな
中央-9番  2006/12/16 (午前中時〜 時)
アイナメ 20.5p 1匹 アオイソメ 胴付き・探り釣り
   p  匹 シラサエビ  
   p  匹    
   p  匹    
7:40-13:00。8:15に釣り上げました。餌取り多く苦労しました。 釣人:のぶ
西-5番  2006/12/14 (終日時〜 時)
グレ 21〜25p 14匹 オキアミ フカセ釣り
アジ 17〜22p 9匹    
サヨリ 27p 10匹    
   p  匹    
終日、イワシとサヨリが沖に留まり釣り辛かったです。アジは夕方に来ました。 釣人:管理人
西-5番  2006/12/11 (午後時〜 時)
グレ 18〜25p 12匹 オキアミ フカセ釣り
メバル 18p 1匹    
   p  匹    
   p  匹    
オセン、イワシ、フグが滅茶苦茶多いです。グレは小型のみ浮いてます。 釣人:管理人
中央-10番  2006/12/09 (終日時〜 時)
チヌ 23p 1匹 オキアミ 紀州釣り
チヌ 24p 1匹 塩マムシ  
   p  匹    
   p  匹    
今年最後の紀州釣り釣行。雨の中なんとか釣果を得られました。 釣人:漁馬
西-5番  2006/12/08 (終日時〜 時)
グレ 20〜26p 8匹 オキアミ フカセ釣り
   p  匹    
   p  匹    
   p  匹    
10時〜14時までの釣果。14時以降はグレは釣れず。イワシが多く、釣り辛い。 釣人:管理人
西-5番  2006/12/06 (午後時〜 時)
ガシラ 10〜17p 18匹 シラサエビ 胴付き・探り釣り
   p  匹    
   p  匹    
   p  匹    
数は釣れども小型のオンパレードでした。持ち帰りは6匹、あとはリリースしました。 釣人:ガシラハンター
東-4番  2006/12/03 (午前中時〜 時)
メバル 9〜16p 6匹 シラサエビ 胴付き・探り釣り
ガシラ 7〜19p 9匹 アオイソメ  
シャコ 20p 1匹    
   p  匹    
ガシラ、メバルは胴突きですが、シャコは投げ仕掛けが絡まって偶然釣れました。 釣人:リンタロウ <<<
東-9番  2006/12/03 (午前中時〜 時)
カレイ 22p 2匹 マムシ 投げ釣り
アイナメ 35p 1匹 アオイソメ  
   p  匹    
   p  匹    
今年一番の寒さの中、カレイ&ポンクラスのアイナメGet! 釣人:もりさん
中央-5番  2006/12/03 (午後時〜 時)
ガシラ 15p 1匹 ゴカイ 胴付き・探り釣り
   p  匹    
   p  匹    
   p  匹    
一投目に来たが以後つづかず。。。
数がほしいです
釣人:who`s <<<
中央-11番  2006/12/03 (午後時〜 時)
メバル 13〜15p 2匹 オキアミ 胴付き・探り釣り
   p  匹    
   p  匹    
   p  匹    
ちびメバルが多かったです。。 釣人:who`s <<<
中央-11番  2006/12/02 (午後時〜 時)
カレイ 23〜35p 3匹 マムシ 投げ釣り
ホウボウ 24・26p 2匹 青イソメ  
カワハギetc  p 4匹    
   p  匹    
初めまして。突然の雨にも負けずGetしました!情報いつも有難うございます。 釣人:おとん
西-5番  2006/11/30 (午後時〜 時)
グレ 22〜26p 7匹 オキアミ フカセ釣り
   p  匹    
   p  匹    
   p  匹    
2時間半の釣果。タナは前半は2.5〜3.5ヒロ、後半は矢引き。活性低い。 釣人:管理人
西-5番  2006/11/29 (午後時〜 時)
ガシラ 12〜19p 16匹 シラサエビ 胴付き・探り釣り
   p  匹    
   p  匹    
   p  匹    
きました!怒涛の16連チャン!最大寸は19センチ!(更新サイズ) 釣人:ガシラハンター
東-9番  2006/11/26 (午前中時〜 時)
カレイ 28p 1匹 マムシ 投げ釣り
   p  匹 アオイソメ  
   p  匹    
   p  匹    
雨の為か・・当たりは渋い!風が冷たく体冷えました。かなりの防寒着を・・ 釣人:もりさん <<<
西-4番  2006/11/25 (終日時〜 時)
チヌ 20〜30p 3匹 オキアミ 紀州釣り
アジ(探り釣り) 15p 2匹    
   p  匹    
   p  匹    
あたりが渋かったように思います。でも、釣れてよかったです♪ 釣人:へろへろ
東-4番  2006/11/25 (午後時〜 時)
ガシラ 7〜16p 3匹 シラサエビ 胴付き・探り釣り
メバル 6〜11p 7匹    
   p  匹    
   p  匹    
先週より少し数が減ったように思えます。 釣人:リンタロウ <<<
中央-10番  2006/11/25 (終日時〜 時)
チヌ 20-22p 3匹 オキアミ 紀州釣り
キビレ 〜27p 3匹 冷凍ボケ(釣果無)  
カレイ 27p 1匹    
   p  匹    
型は小さく残念だけどまだ釣れそう。カレイも嬉しい(笑) 釣人:漁馬
西-5番  2006/11/22 (午後時〜 時)
アイナメ 30p 1匹 シラサエビ 胴付き・探り釣り
   p  匹    
   p  匹    
   p  匹    
きました!今季初のドデカアイナメ!超ド級の引きでした! 釣人:ガシラハンター
西-5番  2006/11/22 (午後時〜 時)
ガシラ 12〜18p 11匹 シラサエビ 胴付き・探り釣り
   p  匹    
   p  匹    
   p  匹    
連チャン!小型が多く、掛かった半分がリリースサイズでした。 釣人:ガシラハンター
西-4番  2006/11/21 (午後時〜 時)
スズキ 68p 1匹 活きイワシ フカセ釣り
   p  匹    
   p  匹    
   p  匹    
他1匹バラシ。デカイのまだまだ居ますよ。 釣人:管理人
西-4番  2006/11/20 (午後時〜 時)
チヌ 28〜29p 2匹 小ボケ 紀州釣り
   p  匹 オキアミ  
   p  匹    
   p  匹    
西風が強かったので、西4番の西側から。ボケで50cmはわせでなんとか。4時すぎ。 釣人:のーまるパパ
東-9番  2006/11/18 (午後時〜 時)
チヌ 23〜27p 2匹 オキアミ 紀州釣り
   p  匹 コーン  
   p  匹    
   p  匹    
調子が出だした頃に雨、型狙いのはずが...。 釣人:やまちゃん
西-4番  2006/11/18 (午後時〜 時)
チヌ 25〜26p 2匹 オキアミ 紀州釣り
アイナメ 18p 1匹    
   p  匹    
   p  匹    
今日はアタリが渋かったです。ボラの気配は全く無し。エサ取りはフグとイワシ。 釣人:管理人
西-4番  2006/11/15 (午後時〜 時)
ヒラメ 25p 1匹 シラサエビ エビ撒き釣り
   p  匹 青イソメ  
   p  匹    
   p  匹    
シラサエビで釣れました。このあとにも恐らくだったヒラメをバラしました。 釣人:海釣太郎
西-5番  2006/11/15 (午後時〜 時)
ムラソイ 16p 1匹 シラサエビ 胴付き・探り釣り
   p  匹    
   p  匹    
   p  匹    
珍しく?ムラソイ釣れました。アコウさんは終わりかなぁ… 釣人:ガシラハンター
西-5番  2006/11/15 (午後時〜 時)
ガシラ 10〜15p 5匹 シラサエビ 胴付き・探り釣り
   p  匹    
   p  匹    
   p  匹    
今日は風がとても強く、いい釣果がだせませんでした。から揚げサイズ5匹のみです。 釣人:ガシラハンター
東-9番  2006/11/12 (午後時〜 時)
チヌ 26p 1匹 オキアミ 紀州釣り
   p  匹    
   p  匹    
   p  匹    
さすが、垂水の管理人様!ご教授いただきたいです。2桁いいなあ〜。3〜5時釣行です 釣人:のーまるパパ
西-4番  2006/11/12 (午後時〜 時)
チヌ 20〜30p 10匹 オキアミ 紀州釣り
   p  匹    
   p  匹    
   p  匹    
14時頃からアタリ連発。コーンではアタリ無し。エビ撒きのハネも好調。 釣人:管理人
東-4番  2006/11/12 (午後時〜 時)
チヌ 36p 1匹 ネリエ 紀州釣り
   p  匹    
   p  匹    
   p  匹    
アタリは明確でしたが、後が続かず。えさとりは依然活性。 釣人:風
西-5番  2006/11/12 (午前中時〜 時)
メバル 15p 1匹 シラサエビ 胴付き・探り釣り
ガシラ 12〜16p 6匹    
   p  匹    
   p  匹    
今日は風が強くて寒かったです。詳しくはブログで。 釣人:ガシラハンター
西-5番  2006/11/08 (午後時〜 時)
ガシラ 12〜16p 10匹 シラサエビ 胴付き・探り釣り
   p  匹    
   p  匹    
   p  匹    
今日は尊師こと管理人様とゆっくりお話できて光栄でした。またよろしくお願いします。 釣人:ガシラハンター
西-4番  2006/11/08 (午前中時〜 時)
スズキ 73p 1匹 イワシ フカセ釣り
   p  匹    
   p  匹    
   p  匹    
フカセのグレ狙いの合間に、常連さんから頂いたイワシを付けたら釣れました。 釣人:管理人
西-4番  2006/11/06 (午後時〜 時)
チヌ 27p 1匹 オキアミ 紀州釣り
   p  匹    
   p  匹    
   p  匹    
40cmオーバーねらうも・・・。東9番でお隣で失礼しました。次は声をかけま〜す。 釣人:のーまるパパ
東-9番  2006/11/03 (終日時〜 時)
チヌ 30p 1匹 オキアミ 紀州釣り
ボラ 〜60p 5?匹 コーン  
   p  匹    
   p  匹    
終日粘ってやっと15時に1尾get。やっとです。お隣はのーまるパパさんでしたか。 釣人:doimoi <<<
東-9番  2006/11/03 (午後時〜 時)
チヌ 34p 1匹 コーン 紀州釣り
   p  匹    
   p  匹    
   p  匹    
40cmオーバーを求めて、東9番へ。なんとか1枚ゲットしたものの・・・ 釣人:のーまるパパ
西-5番  2006/11/01 (午後時〜 時)
ガシラ 12〜18p 11匹 シラサエビ 胴付き・探り釣り
   p  匹    
   p  匹    
   p  匹    
アコウ以外にもガシラ持ち帰りサイズ11匹ゲットしました。 釣人:ガシラハンター
西-5番  2006/11/01 (午後時〜 時)
アコウ 24.0p 1匹 シラサエビ 胴付き・探り釣り
アコウ 22.0p 1匹    
   p  匹    
   p  匹    
アコウのツガイゲットしました!最高の引きでした!味もバツグン!詳しくはブログで 釣人:ガシラハンター
東-9番  2006/10/28 (終日時〜 時)
チヌ 41p 1匹 コーン 紀州釣り
チヌ 38p 1匹    
   p  匹    
   p  匹    
紀州釣り2回目で40cm台釣ることができた!少ない当たりを何とか拾えたかな。 釣人:やまちゃん
東-9番  2006/10/28 (終日時〜 時)
チヌ 45p 1匹 コーン 紀州釣り
チヌ 25p 2匹 オキアミ  
   p  匹    
   p  匹    
ボラと思ったらあれ〜大きなチヌ。
待望の40cm台が
釣人:ハットリ
中央-10番  2006/10/28 (午後時〜 時)
メバル 20p 1匹 シラサエビ 胴付き・探り釣り
ガシラ 15p 1匹    
   p  匹    
   p  匹    
メバルの小型がいっぱいいましたが、粘って大きいのが来ました。 釣人:漁業一番 <<<
西-4番  2006/10/28 (午前中時〜 時)
ヒラメ 40p 1匹 ゴカイ 投げ釣り
スズキ 55p 1匹    
   p  匹    
   p  匹    
すごい引いた 釣人:ぐっさん <<<
東-8番  2006/10/20 (夜間時〜 時)
ガシラ 25p 1匹 青虫 胴付き・探り釣り
  24p 1匹    
アジ 12p 2匹    
   p  匹    
午後8時頃パタパタと2匹ゲット! 釣人:ももちゃん
中央-1番  2006/10/21 (午前中時〜 時)
ヒラメ 43p 1匹 イワシ 泳がせ釣り
   p  匹    
   p  匹    
   p  匹    
先週41cmをゲットする。イワシは10cm以上が食いつきが良いような気がする。 釣人:千鳥が丘の穴釣士
西-4番  2006/10/21 (午前中時〜 時)
チヌ 25p 1匹 オキアミ 紀州釣り
ボラ 50p 1匹 コーン  
   p  匹    
   p  匹    
朝の7時に、しぶしぶ釣れただけで、後は一切当たりもなしの一日でした。 釣人:doimoi <<<
東-9番  2006/10/21 (終日時〜 時)
チヌ 37p 1匹 コーン 紀州釣り
   p  匹 オキアミ  
   p  匹 丸えび  
   p  匹    
食いが渋くあたりを取るのに苦労しました。 釣人:ハットリ
西-5番  2006/10/20 (午後時〜 時)
グレ 20〜25p 6匹 オキアミ フカセ釣り
   p  匹    
   p  匹    
   p  匹    
14時〜16時の釣果。エサ取りのオセン、イサギは活発。小アジは殆ど気配無し。 釣人:管理人
西-5番  2006/10/18 (午前中時〜 時)
ベラ 10〜18p 65匹 石ゴカイ 投げ釣り
カワハギ 15p 1匹    
   p  匹    
   p  匹    
ベラ絶好調。午前中だけの釣果。午後も有望。 釣人:管理人
西-4番  2006/10/18 (午後時〜 時)
チヌ 24〜41p 4匹 コーン 紀州釣り
   p  匹    
   p  匹    
   p  匹    
お昼前後にアタリ頻繁。オキアミではイワシ、ボラのみ。 釣人:管理人
東-8番  2006/10/14 (夜間時〜 時)
ガシラ 24p 2匹 青虫 胴付き・探り釣り
海タナゴ  p 1匹    
アジ  p 5匹    
   p  匹    
先週の土曜日同じエリアであこう26cm1匹ゲット! 釣人:ももちゃん
東-2番  2006/10/15 (終日時〜 時)
チヌ 36.5p 1匹 コーン 紀州釣り
ベラ 15p 1匹 オキアミ  
チャリコ 10p 2匹    
   p  匹    
向かい風が強かったですが、2時頃(開始5時間後)やっとゲットしました。 釣人:のーまるパパ
西-5番  2006/10/15 (午後時〜 時)
グレ 22〜24p 5匹 オキアミ フカセ釣り
サヨリ 30p 3匹    
   p  匹    
   p  匹    
終日小アジの姿は無し。沖はサヨリの群れ。グレは時々浮く程度。活性は低い。 釣人:管理人
中央-5番  2006/10/15 (午前中時〜 時)
サヨリ 26〜31p 8匹 アミエビ エビ撒き釣り
   p  匹 サシエビ  
   p  匹    
   p  匹    
サヨリの釣魚記録更新なったかな!? 釣人:まっちゃん
西-4番  2006/10/14 (終日時〜 時)
チヌ 34p 1匹 オキアミ 紀州釣り
チヌ 25p 1匹 ネリエ  
   p  匹 コーン  
   p  匹    
飛ばしサビキの方に包囲され厳しい釣りでしたが、なんとか2尾ゲット。 釣人:漁馬
東-2番  2006/10/09 (午後時〜 時)
チヌ 25p 2匹 コーン 紀州釣り
   p  匹 オキアミ  
   p  匹 生ミック  
   p  匹    
3連休の最終日。初東2へ。2匹ゲットできました。あたり餌はコーンでした。 釣人:のーまるパパ
西-4番  2006/10/09 (夕方時〜 時)
イワシ 7〜13p 20〜30匹 アミエビ サビキ釣り
アジ 16、17p 2匹 イワシ  
ガシラ 12、16p 2匹    
   p  匹    
ガシラはイワシを餌にして釣りました。一昨日よりイワシは少なかったです。 釣人:小6
西-4番  2006/10/09 (夕方時〜 時)
カマス 30p 3匹 ミノー ルアー・エギング
   p  匹    
   p  匹    
   p  匹    
サビキで釣ったイワシでも釣れてます。17時以降が狙いめ。 釣人:管理人 <<<
中央-1番  2006/10/08 (午後時〜 時)
カタクチイワシ 8〜15p 80匹 オキアミレンガ サビキ釣り
メバル 20p 1匹 地エビ  
   p  匹    
   p  匹    
家族連れが多く、皆イワシが大漁。イワシのサビキに31cmのヒラメがヒット! 釣人:やまぱぱ <<<
東-3番  2006/10/08 (午後時〜 時)
チヌ 23〜35p 5匹 ネリエ 紀州釣り
アコウ 24p 1匹 オキアミ  
   p  匹    
   p  匹    
ボラ、ベラ、ボラ、ベラ・・・。
アコウが救いでした。
釣人:風
西-4番  2006/10/08 (午後時〜 時)
チヌ 27〜33p 2匹 コーン 紀州釣り
シマアジ 43p 1匹 オキアミ  
   p  匹    
   p  匹    
シマアジは奇跡的に釣れました。エサはコーンです。チヌはオキアミ、コーンです。 釣人:管理人
中央-10番  2006/10/07 (午後時〜 時)
チヌ 25p 1匹 オキアミ 紀州釣り
   p  匹    
   p  匹    
   p  匹    
当たりは多いが食い込み浅く素針多発。後1枚上げたが抜き上げ時ポチャン(泣) 釣人:漁馬
西-4番  2006/10/07 (夕方時〜 時)
イワシ 7〜14p 50〜60匹 アミエビ サビキ釣り
   p  匹    
   p  匹    
   p  匹    
アジを狙いに行っていたんですが、イワシしか釣れませんでした。 釣人:小6 <<<
西-5番  2006/10/07 (午後時〜 時)
グレ 20〜22p 5匹 オキアミ フカセ釣り
   p  匹    
   p  匹    
   p  匹    
15時頃から小アジ多数。グレは14時から16時までの釣果。 釣人:管理人
東-2番  2006/10/04 (午前中時〜 時)
チヌ 38p 1匹 ねりえ 紀州釣り
   p  匹    
   p  匹    
   p  匹    
  釣人:SH <<<
西-5番  2006/10/04 (夕方時〜 時)
ガシラ 13p 1匹 ワーム ルアー・エギング
   p  匹    
   p  匹    
   p  匹    
10分間で大雨になり1匹ゲットで納竿となりました。味噌汁でいただきました。 釣人:ガシラハンター
西-4番  2006/10/04 (午後時〜 時)
チヌ 26〜46p 4匹 コーン 紀州釣り
   p  匹    
   p  匹    
   p  匹    
久々の紀州釣りで40pオーバー2枚ゲットです。イワシが多く、オキアミではもたず。 釣人:管理人
東-5番  2006/10/03 (夕方時〜 時)
小アジ 15〜18p 50匹 アミエビ サビキ釣り
   p  匹    
   p  匹    
   p  匹    
遠投ウキサビキです。日中も釣れてますが夕方のほうが釣果はいい様です。 釣人:管理人 <<<
東-6番  2006/10/02 (午後時〜 時)
チヌ 27p 1匹 ネリエ フカセ釣り
   p  匹    
   p  匹    
   p  匹    
雨後にもかかわらず濁りは無し。エサ取り多数。小アジ狙いの人、50〜70尾。 釣人:管理人


[ <<BACK ][ TOP ]

(128/267)